| Dokumendiregister | Transpordiamet |
| Viit | 7.1-2/25/21545-8 |
| Registreeritud | 03.10.2025 |
| Sünkroonitud | 06.10.2025 |
| Liik | Valjaminev kiri |
| Funktsioon | 7.1 Teetaristuga seotud õiguste andmine |
| Sari | 7.1-2 Väliste isikute ehitiste ja lubade kooskõlastamise dokumendid |
| Toimik | 7.1-2/2025 |
| Juurdepääsupiirang | Avalik |
| Juurdepääsupiirang | |
| Adressaat | ITK Inseneribüroo |
| Saabumis/saatmisviis | ITK Inseneribüroo |
| Vastutaja | Laur Kõiv (Users, Teehoiuteenistus, Planeerimise osakond, Tehnovõrkude üksus) |
| Originaal | Ava uues aknas |
From: Laur Kõiv
Sent: Fri, 03 Oct 2025 13:43:12 +0000
To: 'Kristjan Toro' <[email protected]>
Subject: RE: 23028 - Aespa aleviku sidevõrk
Tere
Olen materjalid üle vaadanud ning toon välja leitud puudused.
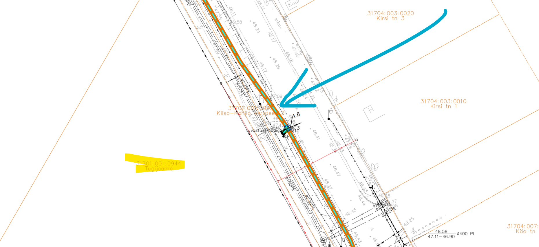
Näide kaabli paiknemisest, ilmselt vana versioon ja jäänud korrigeerimata.

Asendiplaanil kohati kontuurid kattuvad ning samuti paikneb sidekaev elektrikaablite asukohas.



Palume nihutada kaevik eemale katetest ja kajastada nõlva taastamise osa.

Läbilõikel kajastada kaeviku sügavus.
Palume esitada õigetes mõõtudes. Lisaks palume antud osas kajastada ka viide asendiplaanile antud kaeviku taastamise osas.
Kajastada läbilõike viide asendiplaanil ja läbilõikel nt A-A vms.





Materjalide hulgast ei tuvastanud IKÕ plaane kinnistute Kiisa-Kohila kergtee L2 ja Kiisa-Kohila kergtee L1 osas. Palume esitada.

Parimate soovidega
Laur Kõiv
Peaspetsialist
Tehnovõrkude üksus
Planeerimise osakond
55901417
Teelise 4 / 10916 Tallinn / Transpordiamet
From: Kristjan Toro <[email protected]>
Sent: Thursday, October 2, 2025 3:39 PM
To: Laur Kõiv <[email protected]>
Subject: RE: 23028 - Aespa aleviku sidevõrk
Tere
Tõesti jäi kahe-silma vahele.
Puuduolevad failid lisasin uue konteineriga siia:
Lugupidamisega
| Kristjan Toro Välisvõrkude projekteerija |
From: Laur Kõiv <[email protected]>
Sent: Thursday, October 2, 2025 3:33 PM
To: Kristjan Toro <[email protected]>
Subject: RE: 23028 - Aespa aleviku sidevõrk
Tere
Kahjuks ei tuvastanud materjalide hulgast ristmeväljajooniseid.
Parimate soovidega
Laur Kõiv
Peaspetsialist
Tehnovõrkude üksus
Planeerimise osakond
55901417
Teelise 4 / 10916 Tallinn / Transpordiamet
From: Kristjan Toro <[email protected]>
Sent: Tuesday, September 23, 2025 2:22 PM
To: Laur Kõiv <[email protected]>
Subject: RE: 23028 - Aespa aleviku sidevõrk
Tere
Vajalikud muudatused on projekti sisse viidud.
Saadan projekti uuesti kooskõlastamisele.
Projekt:
23028 - Sideprojekt
Lugupidamisega
| Kristjan Toro Välisvõrkude projekteerija |
From: Laur Kõiv <[email protected]>
Sent: Thursday, September 18, 2025 3:32 PM
To: Kristjan Toro <[email protected]>
Subject: RE: 23028 - Aespa aleviku sidevõrk
Teie 21.08.2025
Meie 18.09.2025 nr 7.1-2/24/21545-6
Kristjan Toro
ITK Inseneribüroo OÜ
21.08.2025 esitasite taotluse kooskõlastada sideprojekt „Kohila sidetrass, Aespa alevik, Kohila vald ja Roobuka küla, Saku vald“, projekteerija ITK Inseneribüroo OÜ, töö nr 23028 (edaspidi Projekt).
Tehnovõrk on projekteeritud riigitee nr 11240 Tõdva-Hageri tee km 7,97-9,59 ja riigitee nr 11245 Kiisa-Kohila tee km 0,32-1,13 teemaale ja kaitsevööndisse.
Tutvunud esitatud materjalidega, märgime, et projektis esinevad puudused ning arvestatud ei ole Transpordiameti varasemate märkustega ning me ei pea võimalikuks esitatud Projekti kooskõlastada.
Palume projekti materjale korrigeerida vastavalt juurde lisatud tähelepanekutele (Tähelepanekud 18.09.2025).
Juhime tähelepanu, et käesolevas kirjas esitatud tähelepanekute loetelu ei ole lõplik ning materjalide esitamisel võib märkuseid ning asjaolusid lisanduda.
Korrigeeritud materjalid palume esitada kooskõlastamiseks, kas minu e-mailile või aadressile [email protected].
Parimate soovidega
Laur Kõiv
Peaspetsialist
Tehnovõrkude üksus
Planeerimise osakond
55901417
Teelise 4 / 10916 Tallinn / Transpordiamet
| Kristjan Toro Välisvõrkude projekteerija |
| Nimi | K.p. | Δ | Viit | Tüüp | Org | Osapooled |
|---|---|---|---|---|---|---|
| EHR- Raplamaa, Kohila vald, Aespa aleviku sidevõrgu ehitusteatis, menetlus nr 523249 | 06.01.2026 | 1 | 7.1-2/26/19768-3 | Sissetulev kiri | transpordiamet | Kohila Vallavalitsus |
| Vastus EHR- Raplamaa, Kohila vald, Aespa aleviku sidevõrgu ehitusteatis, menetlus nr 523249 | 02.12.2025 | 1 | 7.1-2/25/19768-2 | Valjaminev kiri | transpordiamet | Kohila Vallavalitsus |
| EHR- Raplamaa, Kohila vald, Aespa aleviku sidevõrgu ehitusteatis, menetlus nr 523249 | 20.11.2025 | 1 | 7.1-2/25/19768-1 | Sissetulev kiri | transpordiamet | Kohila Vallavalitsus |
| Vastus Rapla maakond, Kohila vald, Aespa Aleviku sideprojekti kooskõlastamine | 23.10.2025 | 1 | 7.1-2/25/21545-10 | Valjaminev kiri | transpordiamet | ITK Inseneribüroo |
| Vastus EHR- Raplamaa, Kohila vald, Aespa aleviku sidevõrgu projekteerimistingimuste taotlus, menetlus nr 505141 | 09.10.2025 | 1 | 7.1-2/25/16464-3 | Valjaminev kiri | transpordiamet | Kohila Vallavalitsus |
| Vastus EHR- Raplamaa, Kohila vald, Aespa aleviku sidevõrgu projekteerimistingimuste taotlus, menetlus nr 505141 | 09.10.2025 | 1 | 7.1-2/25/16464-4 | Valjaminev kiri | transpordiamet | Kohila Vallavalitsus |
| Rapla maakond, Kohila vald, Aespa Aleviku sideprojekti kooskõlastamine | 07.10.2025 | 1 | 7.1-2/25/21545-9 | Sissetulev kiri | transpordiamet | ITK Inseneribüroo |
| EHR- Raplamaa, Kohila vald, Aespa aleviku sidevõrgu projekteerimistingimuste taotlus, menetlus nr 505141 | 30.09.2025 | 1 | 7.1-2/25/16464-2 | Sissetulev kiri | transpordiamet | Kohila Vallavalitsus |
| EHR- Raplamaa, Kohila vald, Aespa aleviku sidevõrgu projekteerimistingimuste taotlus, menetlus nr 505141 | 29.09.2025 | 1 | 7.1-2/25/16464-1 | Sissetulev kiri | transpordiamet | Kohila Vallavalitsus |
| Rapla maakond, Kohila vald, Aespa Aleviku sideprojekti kooskõlastamine | 23.09.2025 | 6 | 7.1-2/25/21545-7 | Sissetulev kiri | transpordiamet | ITK Inseneribüroo |
| Vastus Rapla maakond, Kohila vald, Aespa aleviku sideprojekt kooskõlastamiseks | 18.09.2025 | 1 | 7.1-2/25/21545-6 | Valjaminev kiri | transpordiamet | ITK Inseneribüroo OÜ |
| Rapla maakond, Kohila vald, Aespa aleviku sideprojekt kooskõlastamiseks | 25.08.2025 | 1 | 7.1-2/25/21545-5 | Sissetulev kiri | transpordiamet | ITK Inseneribüroo OÜ |
| Vastus Rapla maakond, Kohila vald, Aespa Aleviku sideprojekti kooskõlastamine | 05.05.2025 | 1 | 7.1-2/25/21545-4 | Valjaminev kiri | transpordiamet | ITK Inseneribüroo OÜ |
| Rapla maakond, Kohila vald, Aespa Aleviku sideprojekti kooskõlastamine | 14.04.2025 | 1 | 7.1-2/25/21545-3 | Sissetulev kiri | transpordiamet | ITK Inseneribüroo OÜ |
| Vastus Rapla maakond, Kohila vald, Aespa aleviku sideprojekt | 14.01.2025 | 1 | 7.1-2/25/21545-2 | Valjaminev kiri | transpordiamet | ITK Inseneribüroo OÜ |
| Rapla maakond, Kohila vald, Aespa aleviku sideprojekt | 18.12.2024 | 28 | 7.1-2/24/21545-1 | Sissetulev kiri | transpordiamet | ITK Inseneribüroo OÜ |