| Dokumendiregister | Transpordiamet |
| Viit | 7.1-2/25/12322-3 |
| Registreeritud | 03.12.2025 |
| Sünkroonitud | 04.12.2025 |
| Liik | Sissetulev kiri |
| Funktsioon | 7.1 Teetaristuga seotud õiguste andmine |
| Sari | 7.1-2 Väliste isikute ehitiste ja lubade kooskõlastamise dokumendid |
| Toimik | 7.1-2/2025 |
| Juurdepääsupiirang | Avalik |
| Juurdepääsupiirang | |
| Adressaat | Partner Insenerid OÜ |
| Saabumis/saatmisviis | Partner Insenerid OÜ |
| Vastutaja | Herkki Rõõm (Users, Teehoiuteenistus, Planeerimise osakond, Kooskõlastuste üksus) |
| Originaal | Ava uues aknas |
Tere,
Palun registreerida pöördumine.
Parimat,
Herkki Rõõm
From: Partner Insenerid OÜ <[email protected]>
Sent: Wednesday, December 3, 2025 11:03 AM
To: Herkki Rõõm <[email protected]>
Subject: Fwd: FW: Vasalemma KLT eskiis
Tere
Edastan Vasalemma KLT eskiisi uuesti üle vaatamiseks ja ühtlasi palun ka tagasisidet.
Heade soovidega
Raimo Tarto
Partner Insenerid OÜ
Projektijuht/teedeinsener
+372 53358333
-----------------------------------------------------------------------------------------------------------------------------------------------------
---------- Forwarded message ---------
Saatja: Erki Ruben <[email protected]>
Date: K, 19. november 2025 kell 14:21
Subject: FW: Vasalemma KLT eskiis
To: [email protected] <[email protected]>
Cc: Kerli Lambing <[email protected]>, Allan Kalve <[email protected]>, Partner Insenerid OÜ <[email protected]>
Tere, Herkki
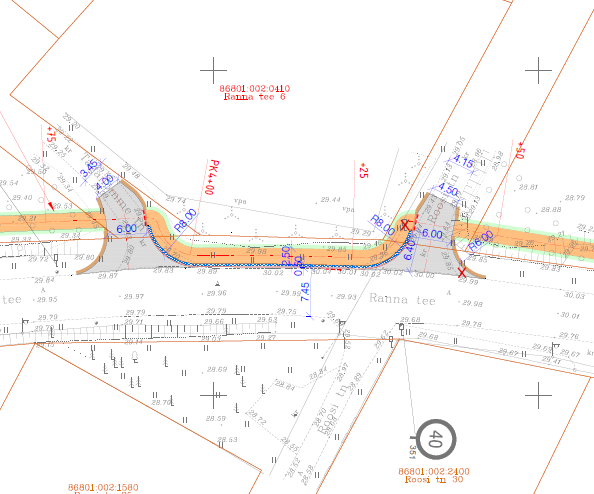
Lääne-Harju Vallavalitsus projekteerib suure hooga Vasalemma alevikus riigitee nr 11172 Vasalemma karjääri tee km 0,650-1,265 kaitsevööndiga kattuvale alale jalgteed. Transpordiameti poolt olete projekti koostamise nõuded meile esitanud. Oleme asendiplaanilise lahenduse enda jaoks täiuslikkuse lähedale läbi töötanud ja soovime seda ka Teiele tutvustada enne, kui jätkame kõrguslike, liikluskorralduslike ja muude küsimuste lahendamisega.
Olulised kohad, mida jälgida:
Selgitan iga punkti detailsemalt:
Bussipeatuse ümbertõstmisel paraneb ka pikinähtavus. Olemasoleval teepoolel on pikinähtavuseks ca 100m, kui bussipeatus ümber tõsta teisele poole teed, siis samas suunas sõitvate sõidukitele jääb seisva bussi märkamiseks üle 200m.
Bussipeatuse soovime lahendada Transpordiameti tüüpjoonise järgi ilma taskuta ootealaga peatusena.
Tegemist on õpilasliini peatusega, kus ühtegi maakondlikku liini läbi ei sõida. Sisenemiste arv keskmiselt päevas on viimase 3 aasta jooksul alla 4 sisenemise päevas:
|
2023 |
2024 |
2025 |
|
3,186 |
3,789 |
3,93 |
PK 4+00 – vt punkti 1
PK 2+00 – vajalik on Pärna tänavalt lõuna suunalt saaabuvate jalakäijate suunamine võimalikult otse kergliiklusteele
PK 1+00 - vajalik on Paekivi tänavalt lõuna suunalt saaabuvate jalakäijate suunamine võimalikult otse kergliiklusteele
PK 0+50 – vajalik on säilitada väärtuslikke puid.
Palun avaldage arvamust, kas meie lähenemised ja loogika lahendusteni jõudmiseks on Transpordiametile sobiv ja arusaadav. Konstruktiivne tagasiside lahenduse põhjendatud parandamisele on teretulnud. Palun ärge nõudke ohutussaartega teeületuskohti.
Lugupidamisega
Erki Ruben
abivallavanem • vallavalitsus
+ 372 5836 8245 • [email protected]
Lääne-Harju Vallavalitsus
+ 372 679 0600 • [email protected]
Hooli keskkonnast ja ära prindi seda kirja välja.
From: Partner
Insenerid OÜ <[email protected]>
Sent: Tuesday, November 18, 2025 5:45 PM
To: Erki Ruben <[email protected]>
Cc: Kerli Lambing <[email protected]>; Allan Kalve <[email protected]>
Subject: Re: Vasalemma KLT eskiis
Tere
Korrigeerisin joonist (eemaldasin objekti algusest pingi ja prügikasti ning näitasin need soovitud asukohta, eemaldasin olemasoleva bussipeatuse liiklusmärgi ja paigaldasin selle soovitud asukohta, tegin KLT väikse aasa, et bussipeatuse ootealaga kokku viia).
Hetkel on 5m pikkune ooteala tinglikult joonisel, kuid ilmselt oleks see mõistlik, madala äärekiviga (h=2cm) eraldada sõiduteest, aga seda saab täpsustada TRAM esindajaga.
Heade soovidega
Raimo Tarto
Partner Insenerid OÜ
Projektijuht/teedeinsener
+372 53358333
Kontakt Erki Ruben (<[email protected]>) kirjutas kuupäeval T, 18. november 2025 kell 10:58:
Tere
Tänan väga. Palun veel ühte muudatust enne, kui Trami saadan. Palun viime bussipeatuse kergliiklustee poole teed. Sellel on mitu põhjendust:
- Ranna teest lõuna pool elavad inimesed, kes soovivad kergliiklusteed kasutada Ranna tee ääres liikumiseks ja bussipeatusesse jõudmiseks, ei pea sellisel juhul 2 korda teed ületama. Põhja pool Ranna teed elavad inimesed ei peaks ühtegi korda teed ületama.
- Bussipeatuse lahendus on täna ja palun projekteerime ka sellesse projekti ootealaga ilma taskuta lahenduse (Trami skeem manuses).
- Kuivõrd buss peatub sõidurajal, siis tänases peatuses on pikinähtavus ca 100m, mis on küll okei, aga teisele poole teed sama lahendusega bussipeatuse rajamisel tekiks pikinähtavuseks 200+m. Jällegi ohutus tõuseb.
- Bussipeatuse teisele poole teed tõstmise korral saab sellesse asukohta projekteerida ka pingi. See tähendab, et skeemil näidatud pinkide asukohad Jaani tee ristmiku ja Roosi tänava ristmiku juures langevad ära.
Pinkidest üldse. Kolmas pink on projekteeritud vana vallamaja juurde. Võtame selle ka maha, sest vallamaja juures on see tarostu olemas
Kuhu, aga võiks projekteerida lisaks bussipeatuse pingile veel ühe lisanduva pingi asukoha, on Tindi kinnistu Taganõmme ja Ranna tee ristmiku lähedal. Seal on kena kõrghaljastus ka juba olemas, mis säilitades pakub varju.
Tervitades
Erki Ruben
From: Partner Insenerid OÜ <[email protected]>
Sent: Monday, November 17, 2025 1:01 PM
To: Erki Ruben <[email protected]>
Cc: Kerli Lambing <[email protected]>; Allan Kalve <[email protected]>
Subject: Re: Vasalemma KLT eskiis
Tere
Koostasin lahenduse v2, kus pk 4 kandis erakinnistusse ei läinud ja uus lahendus on äärekiviga.
Heade soovidega
Raimo Tarto
Partner Insenerid OÜ
Projektijuht/teedeinsener
+372 53358333
Kontakt Erki Ruben (<[email protected]>) kirjutas kuupäeval R, 14. november 2025 kell 13:06:
Tere, Raimo
Aitäh, kas sa saaksid palun teha ühe variandi veel sellise, kus erakinnistu juures PK4 kandis oleks ka äärekiviga kõnnitee variant. Tahaks esimesena sellisega TRAMi jutule minna.
Tervitades
Erki
From: Partner Insenerid OÜ <[email protected]>
Sent: Thursday, November 13, 2025 11:33 AM
To: Erki Ruben <[email protected]>
Subject: Vasalemma KLT eskiis
Tere
Esitan Vasalemma jalg- ja jalgrattatee põhiprojekti eskiis asendiplaani üle vaatamiseks.
Kõnnitee kaugus riigitee äärest peab olema juhendite järgi 5m kuid erandina võib olla 3m (need kaugused on mõeldud sõiduraja äärest).
Olen teatud kohtades melega veidi kaugemale projekteerinud kuna on soov jätta väga ilusad puud sõidutee ja kõnnitee vahelisele ribale alles.
Säilitatavad puud on rohelise ringiga.
Pk 2+50 kandis on sinisega kõnnitee alternatiivne asukoha lahendus, kui võib alajaama kinnistu sisse minna.
Joonisel on märgitud pinkide ja prügikastide asukohad, ühes kohas on erakinnistuga vaja tegelda (pk 4+00 kandis).
Uusi mahasõite ei tule, vaid 2 olemasolevat mahasõitu on vaja korda teha.
Anna märku, vajadusel tulen kohale arutama.
Heade soovidega
Raimo Tarto
Partner Insenerid OÜ
Projektijuht/teedeinsener
+372 53358333
541
40 35 1
40351
40 35 1
40351
40 35 1
40351
40 35
1
40351
40 35 1
KLT variant 2, kui võib alajaama kinnistu sisse minna
2.50
2. 50
2.00
7.50
5. 00
6. 00
6. 007. 25
5. 50 2. 80
2.50
2. 50
2. 50
6.006.00
4.0 0 4.50
4.15
3.4 5
4.15
R6 .00
2.00
2. 50
0. 502. 50
7. 45
R8 .0 0 R8.00
6. 40
Pingi ja prügikasti asukoha ettepanek
54 1a
5.00
3. 20
2. 50
PK0+00
PK1+00
PK2+00
PK3+00
PK4+00 PK5+00
PK6+00
PK6+27
+25
+50
+75
+25
+50
+75
+25
+50
+75
+25
+50
+75
+25
+50
+75
+25
+50
+75
+25
Pingi ja prügikasti asukoha ettepanek
MõõtkavaJoonise nimetus: 1:500MAA-ALA PLAAN TEHNOVÕRKUDEGA
Geodeesia24 OÜ Litsentsid: 751 MA, EEG000265
Reg nr: 12135099 Pärnu mnt 139e, 11317 Tallinn
Leht:Kuupäev: 29.10.202511364-25 GEODEESIA 1
Marju LemberVastutav geodeet:
Mõõdistas: Reivo Suurna Staadium:Töö nr:
Objekt: RANNA TEE Harju maakond, Lääne-Harju vald,Aadress:
Töö: TOPO-GEODEETILINE UURING Geodeesia 24
Märkused: 1. Koordinaadid riiklikus L-Est'97, kõrgused EH2000 süsteemis 2. Piiriandmed on informatiivse tähendusega. 3. Katastriüksuste piirid saadud Maa- ja Ruumiametist seisuga 29.10.2025
Vasalemma alevik, 11172 Vasalemma karjääri tee
Partner Insenerid OÜ Reg nr: 16925361 MTR: EEP005052; ELK000171 [email protected]
Töö nimetus
Objekti asukoht
Joonise nimetus
Kuupäev
Töö nr
Staadium
Joonise nr
Rev
Mõõtkava
Tellija
Eskiis asendiplaan
Harju maakond, Lääne-Harju vald, Vasalemma alevik
11172 Vasalemma karjääri tee jalg- ja jalgrattatee
11172 Vasalemma karjääri tee km 0,650-1,260
13.11.2025
P29-25
PP
E1
3
-
R. Tarto R. Tarto
Proj. juht Projekteerija
Lääne-Harju Vallavalitsus
M. TaalCad. projekt.
Tingmärgid: Kinnistupiir Projekteeritud telg
Projekteeritud kõnnitee asfaltkate, tüüp 2 Projekteeritud sõidutee asfaltkate, tüüp 1
Projekteeritud peenar Likvideeritav/ümber tõstetav objekt
põhiprojekt
Projekteeritud kõnnitee tugevdatud asfaltkate, tüüp 3
40 351
Olemasolev liiklusmärk
Projekteeritud murukate
Säilitatav puu, R2m
Projekteeritud sõidutee äärekivi, h=10cm Projekteeritud sõidutee äärekivi, h=2cm
Projekteeritud sillutiskate (graniit), tüüp4
541
40 35 1
40351
40 35 1
40351
40 35 1
40351
40 35
1
40351
40 35 1
KLT variant 2, kui võib alajaama kinnistu sisse minna
2.50
2. 50
2.00
7.50
5. 00
6. 00
6. 007. 25
5. 50 2. 80
2.50
2. 50
2. 50
6.006.00
4.0 0 4.50
4.15
3.4 5
4.15
R6 .00
2.00
2. 50
0. 502. 50
7. 45
R8 .0 0 R8.00
6. 40
Pingi ja prügikasti asukoha ettepanek
54 1a
5.00
3. 20
2. 50
PK0+00
PK1+00
PK2+00
PK3+00
PK4+00 PK5+00
PK6+00
PK6+27
+25
+50
+75
+25
+50
+75
+25
+50
+75
+25
+50
+75
+25
+50
+75
+25
+50
+75
+25
Pingi ja prügikasti asukoha ettepanek
MõõtkavaJoonise nimetus: 1:500MAA-ALA PLAAN TEHNOVÕRKUDEGA
Geodeesia24 OÜ Litsentsid: 751 MA, EEG000265
Reg nr: 12135099 Pärnu mnt 139e, 11317 Tallinn
Leht:Kuupäev: 29.10.202511364-25 GEODEESIA 1
Marju LemberVastutav geodeet:
Mõõdistas: Reivo Suurna Staadium:Töö nr:
Objekt: RANNA TEE Harju maakond, Lääne-Harju vald,Aadress:
Töö: TOPO-GEODEETILINE UURING Geodeesia 24
Märkused: 1. Koordinaadid riiklikus L-Est'97, kõrgused EH2000 süsteemis 2. Piiriandmed on informatiivse tähendusega. 3. Katastriüksuste piirid saadud Maa- ja Ruumiametist seisuga 29.10.2025
Vasalemma alevik, 11172 Vasalemma karjääri tee
Partner Insenerid OÜ Reg nr: 16925361 MTR: EEP005052; ELK000171 [email protected]
Töö nimetus
Objekti asukoht
Joonise nimetus
Kuupäev
Töö nr
Staadium
Joonise nr
Rev
Mõõtkava
Tellija
Eskiis asendiplaan
Harju maakond, Lääne-Harju vald, Vasalemma alevik
11172 Vasalemma karjääri tee jalg- ja jalgrattatee
11172 Vasalemma karjääri tee km 0,650-1,260
13.11.2025
P29-25
PP
E1
3
-
R. Tarto R. Tarto
Proj. juht Projekteerija
Lääne-Harju Vallavalitsus
M. TaalCad. projekt.
Tingmärgid: Kinnistupiir Projekteeritud telg
Projekteeritud kõnnitee asfaltkate, tüüp 2 Projekteeritud sõidutee asfaltkate, tüüp 1
Projekteeritud peenar Likvideeritav/ümber tõstetav objekt
põhiprojekt
Projekteeritud kõnnitee tugevdatud asfaltkate, tüüp 3
40 351
Olemasolev liiklusmärk
Projekteeritud murukate
Säilitatav puu, R2m
Projekteeritud sõidutee äärekivi, h=10cm Projekteeritud sõidutee äärekivi, h=2cm
Projekteeritud sillutiskate (graniit), tüüp4
| Nimi | K.p. | Δ | Viit | Tüüp | Org | Osapooled |
|---|