| Dokumendiregister | Riigimetsa Majandamise Keskus |
| Viit | 3-1.1/5657 |
| Registreeritud | 17.10.2022 |
| Sünkroonitud | 01.01.2026 |
| Liik | Kiri |
| Funktsioon | 3-1.1 |
| Sari | Metsahalduse / Maakasutuse alane kirjavahetus |
| Toimik | |
| Juurdepääsupiirang | Avalik |
| Juurdepääsupiirang | |
| Adressaat | KMG OÜ |
| Saabumis/saatmisviis | KMG OÜ |
| Vastutaja | Alar Süda |
| Originaal | Ava uues aknas |
From: Kardo Koplus <IMCEAEX-_O=EXCHANGELABS_OU=EXCHANGE+20ADMINISTRATIVE+20GROUP+20+28FYDIBOHF23SPDLT+29_CN=RECIPIENTS_CN=FE9BF498AD7041C49C7B96538126F688-KARDO+20KOPLU@eurprd07.prod.outlook.com>
Sent: Thu, 26 May 2022 08:57:23 +0000
To: Heini Viilup <[email protected]>
Subject: Ed: Karjääri mahasõidu laius ja liikluskorraldus
Tere
Saime Tarnspordiametilt vastuse, et projekt on sobiv (vt eelmine kiri). Transpordiametiga lepingu sõlmimisega ja volikirjade edastamisega saan aru saate ise edasi tegutseda.
Lisasin manusesse valmis projekti ning tööde üleandmise-vastuvõtmise akti mille palun allkirjastatult tagasi saata.
Tervitades
Kardo Koplus
tel: +372 626 4100
mob: +372 5394 0782
![]()
Saatja: Krista Einama <[email protected]>
Saatmisaeg: neljapäev, 26. mai 2022 10:24
Adressaat: Kardo Koplus <[email protected]>
Koopia: Heiki Alango <[email protected]>
Teema: RE: Karjääri mahasõidu laius ja liikluskorraldus
Tere,
Projekt on sobiv, jääb üle vaid lepingusse minna, ootan volikirja.
Tervitades, Krista Einama
From: Kardo Koplus <[email protected]>
Sent: Wednesday, May 25, 2022 4:07 PM
To: Krista Einama <[email protected]>
Subject: Vs: Karjääri mahasõidu laius ja liikluskorraldus
Tere
Sain info, et projekti tellija edastab Transpordiametile lepingu sõlmimiseks maaomaniku volituse või notariaalse lepingu.
Tervitades
Kardo Koplus
tel: +372 626 4100
mob: +372 5394 0782
![]()
Saatja: Krista Einama <[email protected]>
Saatmisaeg: kolmapäev, 25. mai 2022 15:02
Adressaat: Kardo Koplus <[email protected]>
Teema: RE: Karjääri mahasõidu laius ja liikluskorraldus
Tere,
Tänan. Kas saate täpsustada, hetkel projekti tellija ehitab võõrale maale ja selleks pidi olema maaomaniku volitus.
Kas projekti tellija, kes pole maaomanik, esitas maaomaniku volituse ? Hetkel ma ei leia seda üles. Allkirjastada saab huvitatud isik, kui maaomanik on teda volitanud, muidu peab allkirjastama maaomanik. See pole küll projekteerija teema, 😊 aga äkki saate info edastada.
Tervitades
Krista Einama
From: Kardo Koplus <[email protected]>
Sent: Wednesday, May 25, 2022 2:47 PM
To: Krista Einama <[email protected]>
Subject: Vs: Karjääri mahasõidu laius ja liikluskorraldus
Selge, jääme ootama.
Täpsustan veel, et tellija poolt allkirjastab hoopis Indrek Pappel +372 50 18 978
[email protected]
Lugupidamisega
|
Kardo Koplus,
MSc |
Saatja: Krista Einama <[email protected]>
Saatmisaeg: kolmapäev, 25. mai 2022 14:03
Adressaat: Kardo Koplus <[email protected]>
Teema: RE: Karjääri mahasõidu laius ja liikluskorraldus
Loodan homme.
Tervitades,
From: Kardo Koplus <[email protected]>
Sent: Wednesday, May 25, 2022 2:00 PM
To: Krista Einama <[email protected]>
Subject: Vs: Karjääri mahasõidu laius ja liikluskorraldus
Tere
Kirjutan, et uurida, kas olete jõudnud viimased täiendused üle vaadata?
Lugupidamisega
|
Kardo Koplus,
MSc |
Saatja: Kardo Koplus
Saatmisaeg: teisipäev, 24. mai 2022 15:02
Adressaat: Krista Einama <[email protected]>
Teema: Vs: Karjääri mahasõidu laius ja liikluskorraldus
Tere
Projekti tellija on KMG OÜ, esindaja Heini Viilup, [email protected], +372 514 4822
Lisasin liiklusmärgi paigalduskõrguse info seletuskirja:

Lugupidamisega
|
Kardo Koplus,
MSc |
Saatja: Krista Einama <[email protected]>
Saatmisaeg: teisipäev, 24. mai 2022 12:29
Adressaat: Kardo Koplus <[email protected]>
Teema: FW: Karjääri mahasõidu laius ja liikluskorraldus
Tere,
Ootan täiendatud projekti ja tellija kontaktandmeid, kes allkirjastab lepingu.
Lugupidamisega, Krista Einama
From: Andrei Makarov <[email protected]>
Sent: Tuesday, May 24, 2022 12:24 PM
To: Kardo Koplus <[email protected]>
Cc: Krista Einama <[email protected]>
Subject: RE: Karjääri mahasõidu laius ja liikluskorraldus
Tere
Palun paigalduskõrgust kuskil ka ära märkida ja siis on korras.
Lugupidamisega
Andrei Makarov
Liikluskorraldaja
Taristu ehitamise ja korrashoiu osakonna ida üksus
+3725887 2362
Valge 4 / 11413 Tallinn Transpordiamet
From: Kardo Koplus <[email protected]>
Sent: Tuesday, May 24, 2022 11:22 AM
To: Andrei Makarov <[email protected]>
Cc: Krista Einama <[email protected]>
Subject: Vs: Karjääri mahasõidu laius ja liikluskorraldus
Tere
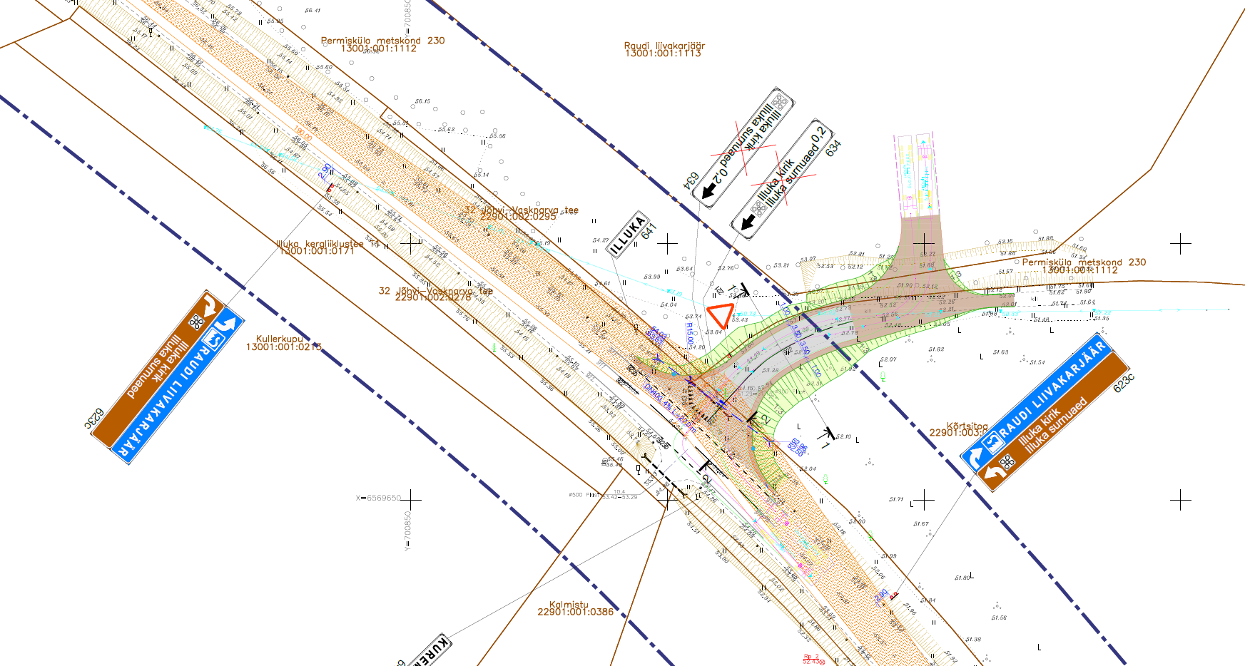
Manuses vastavalt märkustele korrigeeritud liikluskorralduse joonis.
Lugupidamisega
|
Kardo Koplus,
MSc |
Saatja: Andrei Makarov <[email protected]>
Saatmisaeg: teisipäev, 24. mai 2022 9:12
Adressaat: Kardo Koplus <[email protected]>
Koopia: Krista Einama <[email protected]>
Teema: RE: Karjääri mahasõidu laius ja liikluskorraldus
Tere
Huvitav on see, et standardis on hoopis teine 623c. Mis standardi olete kasutanud?


Kui 634 paigaldamisega oleksin põhimõtteliselt nõus, siis 636 sellise paigaldamisega ja kujundusega nõustuda ei saa. Märk 636 pannakse avalikult kasutatavale teele vahetult märgil näidatud asutusse suunduva teega lõikumise kohale s.o viimasele pöördekohale või kuni 25 m kaugusele enne seda.
Nähtavust saab tagada märgi paigaldamisega teatud kõrgusele.
Lugupidamisega
Andrei Makarov
Liikluskorraldaja
Taristu ehitamise ja korrashoiu osakonna ida üksus
+3725887 2362
Valge 4 / 11413 Tallinn Transpordiamet
From: Kardo Koplus <[email protected]>
Sent: Monday, May 23, 2022 5:29 PM
To: Andrei Makarov <[email protected]>
Cc: Krista Einama <[email protected]>
Subject: Vs: Karjääri mahasõidu laius ja liikluskorraldus
Tere
Edastan manusena korrigeeritud liikluskorralduse joonise.
Vastused märkustele:
Lugupidamisega
|
Kardo Koplus,
MSc |
Saatja: Krista Einama <[email protected]>
Saatmisaeg: esmaspäev, 23. mai 2022 11:46
Adressaat: Kardo Koplus <[email protected]>
Teema: FW: Karjääri mahasõidu laius ja liikluskorraldus
From: Andrei Makarov <[email protected]>
Sent: Monday, May 23, 2022 11:34 AM
To: Krista Einama <[email protected]>
Subject: RE: Karjääri mahasõidu laius ja liikluskorraldus
Tere
Miks asendatud märgi 634 märgiga 623c, 636 Raudi karjääri kujundus ei ole standardikohane, suundade järjekord ei ole õige. Märkide kaugus ristmikust kuni 25 m.

Tervitades
Andrei
From: Krista Einama <[email protected]>
Sent: Monday, May 23, 2022 9:36 AM
To: Andrei Makarov <[email protected]>
Subject: RE: Karjääri mahasõidu laius ja liikluskorraldus
Tere,
Saadan liikluskorralduse joonise. Kas ümbertõstetav märk on õigesti pandud.
Tervitades
Krista
From: Andrei Makarov <[email protected]>
Sent: Monday, May 2, 2022 12:40 PM
To: Krista Einama <[email protected]>
Subject: RE: Karjääri mahasõidu laius ja liikluskorraldus
Kas asukoht sobiv või mitte oskan öelda siis, kui märk on peale kantud, joonisel praegu isegi numbrit ei ole.
Tervitades
Andrei
From: Krista Einama <[email protected]>
Sent: Monday, May 2, 2022 11:09 AM
To: Andrei Makarov <[email protected]>
Subject: RE: Karjääri mahasõidu laius ja liikluskorraldus
Tere,
Aitäh.
Märk jäi laienduse alla, kas uus asukoht on sobiv.
Raadamine tuleks sisse projekti kirjutada.
Tervitades
Krista
From: Andrei Makarov <[email protected]>
Sent: Monday, May 2, 2022 10:59 AM
To: Krista Einama <[email protected]>
Subject: RE: Karjääri mahasõidu laius ja liikluskorraldus
Tere
Peab projektis ette nägema nähtavuskolmnurga parandamist (praegu lihtsalt peale kantud), laiuse kohta ütleks, et vastavalt meie tüüpjoonistele, muud ei oska pakkuda, mahasõidu laius sõltub tee laiusest, mitte vastupidi.

Tahaks teada, mis liiklusmärgi soovitakse ringi tõsta.

Tervitades
Andrei
From: Krista Einama <[email protected]>
Sent: Friday, April 29, 2022 9:25 AM
To: Andrei Makarov <[email protected]>
Subject: FW: Karjääri mahasõidu laius ja liikluskorraldus
Tere,
Saadan Raudi karjääri mahasõidu arvamuse avaldamiseks. Kui lai võiks olla karjääri teenindav mahasõit.
Tervitades
Krista
From: Krista Einama
Sent: Thursday, April 28, 2022 3:56 PM
To: Hannes Ristov <[email protected]>; Jaan Saia <[email protected]>
Subject: Karjääri mahasõidu laius ja liikluskorraldus
Tervitades
Krista
Lugupidamisega
Krista Einama
Peaspetsialist
Projekteerimise osakonna
taristu kooskõlastuste üksus
tel 5862 7026
AKT-SAATEKIRI nr. 22-045-1 Valmistoodangu üleandmise-vastuvõtmise kohta
Meie, allakirjutanud, koostasime akt-saatekirja järgmiste teostatud tööde kohta: Projekt: Raudi liivakarjääri juurdepääsutee Valmiduse kohta seisuga: 26.05.2022
KUULUB AKTEERIMISELE JA TASUMISELE KÄESOLEVA AKTI ALUSEL: Tööde teostamine 2 400,00 € Kokku 2 400,00 € Käibemaks 20% 480,00 € Kogumaksumus 2 880,00 €
ÜLEANTAVA TOODANGU LOETELU Akt-saatekirjale allakirjutamisega Tellija kooskõlastab teostatud tööde hinna 2 880,00 € ja kohustub tasuma 14 päeva jooksul pärast kohase arve saamist.
TÖÖVÕTJA: K-PROJEKT AS Reg kood 12203754 Ahtri tn 6A, 10151 Tallinn
TELLIJA: KMG OÜ Reg nr. 16196755 Betooni 28, 0 Tallinn
Töö andis üle: Kardo Koplus Allkiri: ______________ Kuupäev: ____________
Töö võttis vastu: Allkiri: ______________ Kuupäev: ____________
From: Kristjan Jassik <[email protected]> Sent: 17 October 2022 17:32:02 To: Ida-Virumaa Cc: Subject: Raudi karjääri sissesõidutee maakasutusleping
Tere! KMG-le väljasta kaevandamiseluba Raudi karjääris Ida-Virumaal. Karjäär paikneb katastril tunnusega 1300:001:1113 Sellega seoses soovime RMK-ga sõlmida Raudi karjääri sissesõidutee rajamiseks ja kasutamiseks maakasutuslepingut. Tee hakkaks paikneme kinnistus katastritunnusega 13001:001:1112 Karjääri aluse maa kasutusleping on RMK ja KMG OÜ vahel juba sõlmitud. Kas saaksite lepingu ee valmistada? Lisan kirja juurde ka juurdepääsutee joonised Tervitused, Kristjan Jassik Mäetööde osakonna juhataja Tel +372 510 1021 e-post [email protected] KMG OÜ Betooni tn 28, 13816 Tallinn Tel: +372 605 7550 E-mail: [email protected]
See e-kiri ja selle lisad võivad sisaldada konfidentsiaalset informatsiooni, mis on mõeldud ainult kirja saajale. Kui see kiri ei ole mõeldud Teile, palun kustutage kiri ja kõik selle koopiad. Saadetud e-kiri on konfidentsiaalne ning teil ei ole õigust selles sisalduvat informatsiooni enda huvides ära kasutada ega seda teistele osapooltele jagada.