| Dokumendiregister | Transpordiamet |
| Viit | 7.1-2/26/1383-3 |
| Registreeritud | 17.02.2026 |
| Sünkroonitud | 18.02.2026 |
| Liik | Sissetulev kiri |
| Funktsioon | 7.1 Teetaristuga seotud õiguste andmine |
| Sari | 7.1-2 Väliste isikute ehitiste ja lubade kooskõlastamise dokumendid |
| Toimik | 7.1-2/2026 |
| Juurdepääsupiirang | Avalik |
| Juurdepääsupiirang | |
| Adressaat | Kirjanurk OÜ |
| Saabumis/saatmisviis | Kirjanurk OÜ |
| Vastutaja | Elliko Kõiv (Users, Teehoiuteenistus, Planeerimise osakond, Tehnovõrkude üksus) |
| Originaal | Ava uues aknas |
Tere
Edastan.
Parimate soovidega
Elliko
Kõiv
Tehnovõrkude koordinaator
Planeerimise osakond
Tehnovõrkude üksus
Tel: 57 848 581
E-post: [email protected]
Valge 4 / 11413 Tallinn / Transpordiamet
From: Liisa Jänes <[email protected]>
Sent: Thursday, February 12, 2026 4:59 PM
To: Elliko Kõiv <[email protected]>
Subject: RE: Sidemastide asukoha valik Tallin-Pärnu maantee ääres: 13894P Häädemeeste vald, Orajõe/Treimani küla mast
Tere
Maa-ja Ruumiamet sooviks, et mast läheks Ojalauda kinnistult nr 14901:001:0128 -> Ojalauda kinnistule nr 14901:001:0129.

Lilla viirutus tähistab teemaplaneeringu ala.

Teemaplaneeringu järgi likvideeritakse Räägu tee 14901:001:0511

Kas TRAM`ile võiks sobida masti asukohaks Ojalauda kinnistu 14901:001:0129?
Tervitades
|
|
Liisa Jänes Projekteerija Tel +372 5345 7609 |
![]()
From: Elliko Kõiv <[email protected]>
Sent: neljapäev, 5. veebruar 2026 10:26
To: Liisa Jänes <[email protected]>
Subject: RE: Sidemastide asukoha valik Tallin-Pärnu maantee ääres: 13894P Häädemeeste vald, Orajõe/Treimani küla mast
Hei Liisa
Meie telefonivestluse jätkuks. Arutasime majas Kaiega ka mastide asukohtade üle ja kahjuks mul ei ole Sulle jagada teeprojekti.
Hetkel palun arvesta mastide kavandamisel sellega, et mastide kujad ei ulatuks teekaitsevööndisse ega ulatuks teemaplaneeringuga määrataud maantee trassikoridori. Võta mastide projektlahendusele teemaplaneeringu piirid ka alla. Lisaks palun vaata ka RB trassikoridori, et ka sellega ei oleks vastuolu.
Saadan vastuse Sulle ühe e-kirjaga.
1. Tori vald, Kurena küla, Ojalauda (tunnus 17901:001:0128) km 117. Asukoht sobib, aga palun nihuta seda, et kuja ei ulatuks teekaitsevööndisse ega ulatuks teemaplaneeringuga määratud maantee trassikoridori.

2. Häädemeeste vald, Metsaküla, Salu (tunnus 84801:001:0492) km 145,15. Asukoht sobib, aga palun nihuta seda, et kuja ei ulatuks teekaitsevööndisse ega ulatuks teemaplaneeringuga määratud maantee trassikoridori.

3. Häädemeeste vald, Krundiküla, Orajõe metskond 4 (tunnus 21401:001:0813) km 172,60 või Uuemurru (tunnus 21303:001:0044) km 172,67. Uuemurru juures võib tekkida vajadus ristmik ümberehitada, see masti asukoht ei sobi. Metskonna kinnisasjale kavandatava masti asukoht sobiks, aga palun nihuta siin ka masti.

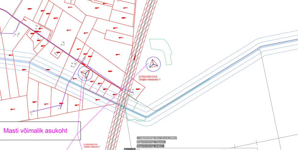
4. Häädemeeste vald, Orajõe küla, Orajõe metskond 1 (tunnus 21303:005:0123) km 183,48. Asukoht on OK.

Parimate soovidega
Elliko
Kõiv
Tehnovõrkude koordinaator
Planeerimise osakond
Tehnovõrkude üksus
Tel: 57 848 581
E-post: [email protected]
Valge 4 / 11413 Tallinn / Transpordiamet
From: Liisa Jänes <[email protected]>
Sent: Monday, January 26, 2026 4:28 PM
To: [email protected]
Subject: Sidemastide asukoha valik Tallin-Pärnu maantee ääres: 13894P Häädemeeste vald, Orajõe/Treimani küla mast
Tere
Koostame ELA SA tellimusel sideprojekte sidemastidele Tallinn- Pärnu maantee lähistel seoses rahvusvahelise projektiga,
mille eesmärk on saada katkematu 5G ühendus Via Baltica peale.
Projekt: 13894P Pärnu maakond, Häädemeeste vald, Orajõe küla/Treimani küla ELASA mobiilsidemast
Hetkel otsime mastile sobivat kohta ja peame läbirääkimisi kinnistuomanikega.
Palun leida manusest eskiis joonis masti võimaikust asukohast, mis jääb riigitee nr 4 Tallinn-Pärnu-Ikla tee lähiste km`l 183,48 ja 184,72
(4 Tallinn-Pärnu-Ikla tee 21303:005:0229).
Kui kinnistuomanik ei luba masti paigaldada võib masti asukoht muutuda 1-2 km.
Kas oleks võimalik saada projekt või eskiis joonis Tallinn- Pärnu maantee teeprojektist, millega saaksime projekti koostamisel arvestada.
Lugupidamisega
|
|
Liisa Jänes Projekteerija Tel +372 5345 7609 |
![]()
| Nimi | K.p. | Δ | Viit | Tüüp | Org | Osapooled |
|---|---|---|---|---|---|---|
| ELASA 72m kõrguse vabaltseisva sidemasti projekti kooskõlastamine riigitee nr 4 lähipiirkonnas ja metsatee nr 2130505 Kiviaru tee kaitsevööndis | 19.03.2026 | 1 | 7.1-2/26/3259-2 | Valjaminev kiri | transpordiamet | Kirjanurk OÜ |
| Pärnu maakond, Häädemeeste vald, Orajõe küla ELASA vabaltseisev mobiilsidemast 72m | 26.02.2026 | 1 | 7.1-2/26/3259-1 | Sissetulev kiri | transpordiamet | Kirjanurk OÜ |
| Sidemastide asukoha valik Tallin-Pärnu maantee ääres: 13894P Häädemeeste vald, Orajõe/Treimani küla mast | 17.02.2026 | 1 | 7.1-2/26/1383-4 | Valjaminev kiri | transpordiamet | Kirjanurk OÜ |
| Sidemastide asukoha valik Tallin-Pärnu maantee ääres: 13894P Häädemeeste vald, Orajõe/Treimani küla mast | 05.02.2026 | 13 | 7.1-2/26/1383-2 | Valjaminev kiri | transpordiamet | Kirjanurk OÜ |
| Sidemastide asukoha valik Tallin-Pärnu maantee ääres | 27.01.2026 | 22 | 7.1-2/26/1383-1 | Sissetulev kiri | transpordiamet | Kirjanurk OÜ |