| Dokumendiregister | Andmekaitse Inspektsioon |
| Viit | 2.2.-1/26/30-1 |
| Registreeritud | 16.04.2026 |
| Sünkroonitud | 17.04.2026 |
| Liik | Sissetulev kiri |
| Funktsioon | 2.2 Loa- ja teavitamismenetlused |
| Sari | 2.2.-1 Isikuandmete töötlemine teadus-, ajaloouuringu ja riikliku statistika vajadusteks |
| Toimik | 2.2.-1/2026 |
| Juurdepääsupiirang | Avalik |
| Juurdepääsupiirang | |
| Adressaat | Päästeamet |
| Saabumis/saatmisviis | Päästeamet |
| Vastutaja | Anu Suviste (Andmekaitse Inspektsioon, Menetlusvaldkond, Tiim) |
| Originaal | Ava uues aknas |
Andmekaitse Inspektsioon
Tatari 39
Tallinn 10134
Martin Lambing,
Päästeameti peadirektori asetäitja
peadirektori ülesannetes (taotluse esitaja)
TAOTLUS ISIKUANDMETE TÖÖTLEMISEKS TEADUSUURINGUS
Juhindudes isikuandmete kaitse seaduse (IKS) paragrahvis 6 sätestatust palun kooskõlastada
Uuringu pealkiri Kriisihaavatavuse kujunemine, tulevikukriisid ja sekkumised ühiskondliku
valmisoleku suurendamiseks
Kas poliitika kujundamise uuring (IKS § 6 lg 5) või Jah
uuring hõlmab eriliigilisi isikuandmeid ja puudub valdkondlik
eetikakomitee (IKS § 6 lg 4)
Jah
Palume eelmise kahe lahtri puhul valida üks vastavalt õiguslikule alusele, v.a olukorras, kui poliitika kujundamise uuringu puhul
puudub valdkondlik eetikakomitee. Kui poliitika kujundamise uuringus töödeldakse eriliiki isikuandmeid, siis täita ka
eetikakomitee otsuse lahter.
Kas isikuandmete töötleja on määranud andmekaitsespetsialisti (sh
tema nimi ja kontaktandmed)?
Terje Mäesalu
terje.maesalu@ut.ee
Kas on olemas eetikakomitee otsus1? Kooskõlastuse olemasolul lisada see taotlusele.
Jah, kooskõlastus on
taotluse lisas
Kas osa uuringust toimub andmesubjekti nõusoleku alusel? Kui jah, siis palume taotlusele lisada nõusoleku vorm või selle kavand ning küsimustik või
selle kavand.
Ei
1. Vastutava töötleja üldandmed2
1.1. Vastutava töötleja nimi, registrikood,
aadress ja kontaktandmed (sh kontaktisik) analoogne registrikandega, kontaktisiku e-post, telefon
Päästeamet, registrikood 70000585
Kontaktisik: Tarvi Ojala, Päästeameti
arendusosakond, teenuste koordinaator,
[email protected], 5366 1747
1.2. Isikuandmete töötlemiskoha aadress (kui
erineb registriandmetest) maja, tänav, asula/linn, maakond, postiindeks
2. Volitatud töötleja üldandmed3
2.1. Volitatud töötleja nimi, registrikood, Tartu Ülikool, Ülikooli 18, 50090 Tartu
1 IKS § 6 lg 4 - kui uuringus töödeldakse eriliiki isikuandmeid, on vajalik ka eetikakomitee kooskõlastus. 2Vastutav töötleja on uuringu läbiviija (tellija). Juhul, kui vastutav töötleja kasutab uuringu läbiviimisel teisi isikuid ja asutusi, siis on need teised isikud
ja asutused volitatud töötlejad. 3 Volitatud töötlejate loetelu peab olema ammendav ehk kõik volitatud töötlejad peavad olema nimetatud. Kui taotluse esitaja on volitatud töötleja, peab taotlusele olema lisatud dokument, kust nähtub, et vastutav töötleja on volitatud töötlejale andnud volituse inspektsioonile taotluse esitamiseks.
aadress ja kontaktandmed (sh kontaktisik) Aadress analoogne registrikandega, kontaktisiku e-post ja
telefoninumber
Registrikood: 74001073
Kati Orru, riskisotsioloogia professor,
[email protected], 515 8545
Kristi Nero, Sten Hansson, Mihkel Solvak,
Taavi Unt, Annegrete Molloka, Gregor Nepste,
Toomas Kangur
2.2. Isikuandmete töötlemiskoha aadress (kui
erineb registriandmetest) maja, tänav, asula/linn, maakond, postiindeks
3. Mis on teadusuuringu läbiviimise õiguslik
alus? Nimetage õigusakt, mis annab Teile õiguse teadusuuringut läbi
viia. Ei piisa viitest IKS § 6-le. Poliitikakujundamise eesmärgil
läbiviidava uuringu puhul tuua välja volitusnorm, millest
nähtub, et asutus on selle valdkonna eest vastutav.
Akadeemilise uuringu korral võib see olla näiteks Teadus- ja
arendustegevuse korralduse seadus või teadus- või
arendusprojekti avamise otsus, leping vms.
Päästeseadus § 5 lg 1 sätestab Päästeameti
ülesandena päästesündmuse tagajärgede
tõrjumise, lg 4 päästesündmuse ennetamise.
Tagajärgede tõrjumiseks ja ennetamiseks on
vaja teada, millised on suuremahuliste
ohusündmuste võimalikud mõjud inimestele ja
millised inimrühmad võivad suure
tõenäosusega vajada abi ning kus nad
paiknevad.
Uuring selgitab abivajadust kahes
Päästeametile olulise sündmuse puhul:
pikaajaline elektrikatkestus ja ulatuslik
evakuatsioon
4. Mis on isikuandmete töötlemise eesmärk? Kirjeldage uuringu eesmärke ja püstitatud hüpoteese, mille saavutamiseks on vajalik isikuandmete töötlemine. Palume siin punktis
selgitada kogu uuringut, mitte ainult taotluse esemeks olevat osa (näitaks ka nõusoleku alusel toimuvat uuringu osa). Kui osa
uuringust toimub nõusoleku alusel, siis palume taotlusele lisada nõusoleku vorm või selle kavand ning küsimustik või selle kavand.
Üldine eesmärk:
Selgitada haavatavuse ja abivajaduse täpsem kvantitatiivne prognoos kahes prioriteetses
hädaolukorras (pikaajaline elektrikatkestus ja ulatuslik evakuatsioon), põhinedes
stsenaariumipõhistel simulatsioonharjutustel ja kasutades riiklikke andmekogusid.
Töö hüpotees: Kombineerides hädaolukorra stsenaariumi alusel määratletud haavatavustegurite
näitajaid registriandmetest, saame kõrge täpsusprotsendiga hinnangu võimalike abivajajate
hulgale. Sealhulgas saame täpsustada erineva raskuskategooriaga (abivajaduse
kiireloomulisusega) haavatavusteguritega koormatud inimeste hulgad erinevates Eesti
piirkondades.
Koostame haavatavusindeksi (komposiitindeksi), tuginedes Orru jt poolt välja töötatud
dünaamilisele ja intersektsionaalsele kriisihaavatavuse raamistikule, et mõista, kui paljud
inimesed võivad eri piirkondades konkreetsetes hädaolukordades abi vajada (nt evakuatsiooni või
psühhosotsiaalset tuge).
Indeksi koostamiseks ühendame mitmesugused andmekogud. Kasutame Statistikaameti (riigi
ametliku statistika tootja) valduses olevaid andmekogusid ja teisi selle uurimistöö eesmärgil
Statistikaametiga seondatud andmekogusid, et katta haavatavuse peamisi näitajad (nt
hooldusvajadus).
Haavatavustegurite valik tugineb põhjalikul teadustööl. Kontseptuaalse mudeli alusel oleme
eelnevalt läbi viinud simulatsioonharjutusi (Orru et al, ilmumas 2026 Turvalisuskompassis)
milles kogutud eksperthinnangute alusel on tehtud haavatavustegurite valik. Eri sündmuste
simulatsioonharjutustes oleme saanud asjakohaste haavatavustegurite kaalukused, mis
kujundavad indeksi komponente. Haavatavusindeksid koostatakse kahe stsenaariumi kontekstis:
ulatuslik evakuatsioon ja pikaajaline elektrikatkestus.
Et mõista, kuidas haavatavustegurid teatud indiviididel kuhjuvad, teeb registrite liitmise
Statistikaamet, kasutades pseudo-ID-sid, mille võti ei ole uurijatele kättesaadav. Katsetame
masinõppe mudeleid (otsustuspuu, random forest ja boosting models, TabNet) et prognoosida
haavatavusi erinevates stsenaariumides. Erinevaid mudeleid tuleb katsetada, kuna nende toimivus
ja andmevajadused varieeruvad. Püüame leida mudeli arvestades minimaalset andmevajadust.
Proovime ka erinevaid analüüsiüksuse agregatsioonitasemeid (nt 100 m × 100 m ruudustik või 1
km × 1 km ruudustik), et pakkuda kasutatavaid väljundeid, säilitades samal ajal andmesubjektide
privaatsuse.
Selle töö uurimisülesanded on järgmised:
1. Töötada välja Eesti registripõhiste andmete põhjal metoodika, mis võimaldaks hinnata
võimalike abivajajate hulka hädaolukordade stsenaariumites. Töötada välja indikaatorite süsteem,
millega mõõta inimeste abivajaduse suurust erinevates hädaolukordades ja erinevate
haavatavusteguritega koormatud abivajajate hulka piirkonniti
2. Ühendada Eesti Statistikaameti teadlaste töökoha serveris inimeste eelnevalt
pseudonümiseeritud andmed Tervisekassast, Sotsiaalkindlustusametist (STAR, SKAIS),
Sotsiaalministeeriumist (TIS), Haridus- ja Teadusministeeriumist (EHIS), Politsei- ja
Piirivalveametist (elamislubade ja töölubade register; välismaalase lühiajalise Eestis töötamise
registreerimise andmekogu (LTR), Transpordiametist (Liiklusregister), Töötukassast (TKIS),
rahvastikuregistrist, Eesti Loomaarstide Lemmikloomaregistrist (LLR). Ühendada teadlaste
töökoha serveris küsitlusandmed hoiakute, teadmiste ja praktikate kohta.
3. Hinnata statistiliste meetoditega peamiste haavatavusseisundite mõju abivajadusele
piirkondade lõikes. Katsetada erinevaid masinõppemudeleid (otsustuspuu, random forest,
boosting-mudelid ning närvivõrgupõhine TabNet), et prognoosida haavatavust eri hädaolukorra
stsenaariumides. Võrrelda mudelite toimivust ja andmevajadusi ning leida lahendus, mis tagab
võimalikult suure prognoositäpsuse minimaalse andmekasutusega. Hinnata erinevaid
analüüsiüksuse agregatsioonitasemeid (nt 100 m × 100 m ja 1 km × 1 km ruudustik), et pakkuda
praktiliselt rakendatavaid ja samal ajal isikuandmete kaitset tagavaid väljundeid.
6. Publitseerida valitud metoodika põhjal soovitused haavatavuse hindamiseks hädaolukordades.
Avaldada tabelid/kaardid abivajadusest piirkonniti.
7. Publitseerida teadusartikkel valitud metoodika kohta ja illustreerida seda projekti
juhtkomisjoni poolt valitud näidetega.
Käesoleva uurimistöö tulemusena tekib võimalus hakata ühtse metoodika järgi Eestis hindama
haavatavusi hädaolukordades. Uurimustöö tulemusena luuakse metoodika mille abil on võimalik
valiidsel ja reliaabsel viisil hinnata individualiseeritud haavatavust hädaolukordades ja hinnata
erinevate haavatavusteguritega koormatud inimeste hulka piirkonniti.
Uurimistööd viiakse läbi projekti ajavahemikus: 01.03.2026-31.12.2028. Arvestatud on küllaltki
pika võimaliku artiklite avaldamise viibega, kuna tippajakirjades avaldamise ambitsiooni korral
tuleb arvestada paljude eitustega ning mitmete muudatuste tegemise ringidega. Samuti
arvestatakse, et planeeritud metoodika arendamine nõuab muutmist ja kohandamist vastavalt
tellijatelt saadud tagasisidele.
Uurimistöö jaguneb kolmeks etapiks. Esimeseks etapiks on ettevalmistus, mille jooksul
analüüsitakse varasemaid lahendusi, kooskõlastatakse uurimistöö eetilised aspektid ning
kogutakse uuringuks vajalikud andmed. Teiseks etapiks on analüüsimeetodi implementeerimine,
milles leitakse vastus hüpoteesile ning rakendatakse optimaalset mudelit uurimistöö
läbiviimiseks. Kolmandaks etapiks on erinevad jätkutegevused vastavalt leitud tulemustele.
Täpsemalt on uurimistöö ajaraam järgmine:
I etapp
1.-3. kuu
Esimese etapi põhitegevused:
1. Põhjaliku kirjandusülevaate loomine analoogse probleemi lahendamisest (registriandmete
põhjal haavatavuse hindamine konkreetsetes hädaolukordades)
2. Eetikakomitee loa taotlemine.
3. Andmete taotlemine andmeallikatelt: Tervisekassa andmekogu, tervise infosüsteem,
sotsiaalteenuste ja –toetuste andmeregister STAR, sotsiaalkaitse infosüsteem SKAIS,
töövõime hindamise ja töövõimetuse toetuse andmekogu TETRIS, rahvastikuregister,
lemmikloomaregister, hariduse infosüsteem, elamislubade ja töölubade register,
liiklusregister, kinnistusraamat.
4. Statistikaametiga tegevuste kokku leppimine andmete ühendamiseks ja
pseudonümiseerimiseks, andmete viimine Statistikaameti serverisse teadlaste turvalisele
töökohale.
Andmete kogumine, kvaliteedi hindamiskriteeriumite jm. reeglite süstematiseerimine ja
ümbersõnastamine (nn Prompt Engineering)
II etapp
4.-12. kuu
Teise etapi põhitegevused:
1. Metoodika väljatöötamine
2. Metoodika kooskõlastamine teadlaste ja poliitikakujundajatega
3. Andmeanalüüsi läbiviimine, haavatavuste hindamine
4. Mudelite võimekuse võrdlemine erinevate statistiliste parameetrite alusel Loodud metoodika kohta Päästeametile raporti loomine
III etapp
13.-36. kuu
Kolmanda etapi põhitegevused
1. Teadusartiklite kirjutamine tulemuste alusel, teadusajakirja esitamine, sh saadud
retsensioonide ja tagasiside põhjal analüüsi täpsustuste tegemine
2. Päästeametiga koostöös edasiste teadus- ja arendusvajaduste määratlemine
Jätku-uuringu skoobi täpsustamine
5. Selgitage, miks on isikut tuvastamist võimaldavate andmete töötlemine vältimatult vajalik
uuringu eesmärgi saavutamiseks.
Registriandmete ristkasutamine hädaolukordade uurimisel on vajalik ühiskonnale laiemalt kui ka
uuritavatele, kuna see võimaldab täpsemalt tuvastada haavatavaid inimesi ja leibkondi ning
prognoosida abivajaduse ulatust ja ajastust. Andmete koosvaade isiku tuvastamist võimaldavate
andmete kaudu aitab muuta nähtavaks seni varjatud haavatavused, toetada õiglasemat ja
tõenduspõhisemat poliitikakujundust ning suunata ressursse ennetavalt sinna, kus neist on kõige
rohkem kasu. Samuti vähendab registriandmete kasutamine inimeste koormust, kuna see piirab
vajadust korduvate küsitluste ja enese tõendamise järele, eriti kriisiolukordades.
6. Selgitage ülekaaluka huvi olemasolu.
Inimeste andmete kasutamine käesolevas uuringus on kooskõlas avaliku huvi ja teadusuuringute
eesmärgiga, milleks on inimeste elu, tervise ja heaolu parem kaitse hädaolukordades. Selline
kasutus vastab mõistlikule eeldusele, et riiklikes registrites kogutud andmeid võidakse kasutada
anonüümsel ja vastutustundlikul viisil avalikes huvides, sealhulgas kriisivalmiduse ja riskide
vähendamise parandamiseks.
7. Selgitage, kuidas tagate, et isikuandmete töötlemine ei kahjusta ülemääraselt
andmesubjekti õigusi ega muuda tema kohustuste mahtu. Vajadusel loetleda täiendavaid kaitsemeetmeid privaatsuse riive vähendamiseks.
Käesolevas uuringus kasutatavad registriandmed on saadud riiklikest andmekogudest seaduslikul
alusel, kooskõlas kehtivate andmekaitsereeglitega. Andmete edastamine toimub vastavate
registrite andmevaldajate loal ning kindlaksmääratud eesmärgil, kasutades turvalisi kanaleid ja
piiratud ligipääsuga keskkondi. Andmed töödeldakse pseudonüümitult või agregeeritult viisil, mis
ei võimalda üksikisikute tuvastamist. Andmete ristkasutamine on piiratud üksnes nende
tunnustega, mis on vajalikud uurimisküsimuste lahendamiseks ning hädaolukordadega seotud
haavatavuse ja abivajaduse analüüsimiseks.
8. Kuidas toimub andmete edastamine isikuandmete allikalt teadusuuringu läbiviijani?
Sealhulgas palume välja tuua milliseid töötlussüsteeme ja/või keskkondi (sh pilveteenus)
isikuandmete (sh pseudonüümitud) töötlemiseks kasutatakse ning millises riigis 4 asuvad
töötlussüsteemide/pilveteenuse pakkuja serverid.
Osasid registriandmeid haldab Statistikaamet juba eelnevalt ning need on tehtud
pseudonümiseeritud kujul kättesaadavaks teadlastele turvalisel töökohal (Vt punkti 3). Teistest
registritest (Tervisekassa, Töötukassa, Sotsiaalkindlustusamet) ja küsitlusandmed edastatakse
andmed Statistikaametile turvalist kanalit pidi. Statistikaamet pseudonümiseerib andmed ja tõstab
juba pseudonümiseeritud andmed teadlaste serverisse.
Erinevate pseudonümiseeritud registriandmete kokkupanek toimub uurimistöö liikmete poolt ja
tehakse kättesaadavaks vaid uurimismeeskonna liikmetele vastavas projekti kaustas teadlaste
serveris.
Pseudonümiseeritud andmestik tehakse kättesaadavaks volitatud töötlejatele Statistikaameti
teadlaste keskkonnas.
Andmete liikumise protsess on järgmine:
• Uuringu läbiviija teeb andmepäringud Tervisekassale, Töötukassale ja
sotsiaalkindlustusametile
• Uuringu läbiviija teeb andmepäringu Statistikaametile
• Teistest registritest (Tervisekassa andmekogu, Töötukassa andmekogu,
Sotsiaalkindlustusameti andmekogud, Tervise infosüsteem, Politsei- ja Piirivalveameti
andmekogud, Liiklusregister, Lemmikloomaregister, Kinnistusraamat, Rahvastikuregister,
Ehitisregister) edastatakse isikukoodidega andmed Statistikaametile turvalist kanalit pidi.
• Statistikaamet pseudonümiseerib andmestikud
• Statistikaamet teeb pseudonümiseeritud andmed kättesaadavaks uurimismeeskonnale
teadlaste töökohal olevate andmekaustade kaudu
• Andmeid analüüsitakse Statistikaameti teadlaste keskkonnas. Analüüsi tulemid (tabelid,
joonised jms) läbivad enne konfidentsiaalsuse kontrolli, mille teeb Statistikaameti töötaja.
4 Isikuandmete edastamine on lubatud üksnes sellisesse riiki, millel on piisav andmekaitse tase (Euroopa Liidu liikmesriigid; Euroopa Majanduspiirkonna lepinguga ühinenud riigid; riigid, mille isikuandmete kaitse tase on Euroopa Komisjoni poolt hinnatud piisavaks). Kui kasutatava
keskkonna server ei asu piisava andmekaitsetasemega riigis, saab isikuandmete edastamine toimuda isikuandmete kaitse üldmääruse (IKÜM) artiklite
44-50 alusel. Täiendav teave: https://www.aki.ee/isikuandmed/andmetootlejale/isikuandmete-edastamine-valisriiki. Kui kasutatava keskkonna server asub riigis, mis ei ole piisava andmekaitse tasemega, tuleb täita ka taotluse punkt 12. Edastamine tähendab ka isikuandmete hoidmist serveris.
9. Loetlege isikute kategooriad, kelle andmeid töödeldakse ning valimi suurus. Inimeste rühmad, keda uurida kavatsetakse ning kui palju neid on.
Eraldi uuritavaid ei värvata uuringusse, vaid selleks kasutatakse juba varasemalt kogutud
registriandmeid. Kuivõrd uurimisülesanne haavatavuse hindamist inimeste registriandmete
põhjal, siis on ka uuringu sihtrühmaks kõik Eesti elanikud. Et haavatavasse olukorda võivad
sattuda ja abi võivad vajada inimesed olenemata vanusest, siis ei ole eelnevalt pandud vanuselist
piirangut analüüsitavale sihtrühmale.
Tabelis on toodud inimeste rühmad haavatavustega, mis mõjutavad nende hädaolukorras
toimetulekut. Välja on toodud selgitus haavatavuse mehhanismi kohta ja andmeallikad, kust
nende kohta infot saab.
Inimese
seisund
Näited Selgitus
haavatavustegurite
kohta
Andmeallikad Tunnused
andmestikest
Eelnevalt
suurenenud
terviserisk
Elektrilise
meditsiinivahendi
(nt toite- või
hapnikuaparaadi)
kasutajad
Kodust ravi või
hooldust vajav
raskelt haige (nt
operatsioonidest
taastujad,
põetamist vajavad
haiged)
Piiratud
liikumisvõimega
inimesed (nt
ratastooli või
kõnniabivahendi
kasutajad)
Rasedad naised
Inimesed, kelle
vaimse tervise
seisund takistab
olukorra
mõistmist ja
reageerimist
Kuulmis-,
nägemis- või
kõnepuudega
inimesed
Inimeste tervis võib olla
juba eelnevalt
kahjustatud, mistõttu nad
vajavad pidevat ravi ja
hooldust. Nende
liikumisvõime võib olla
piiratud ning nad võivad
vajada eriravi ja -
vahendeid, nagu
elektrilised
hapnikumasinad,
spetsiaalsed voodid,
transport ja ravimid,
mille kättesaadavus ja
toimimine võivad olla
eluliselt olulised.
Kriisiolukorrast tingitud
stress võib nende
seisundit veelgi
halvendada.
Lisaks füüsilisele
haprusele võivad
eelnevad terviseriskid
hõlmata vaimse tervise
probleeme, mis
raskendavad olukorrale
adekvaatselt
reageerimist – näiteks
mäluprobleemid,
vähenenud ajataju,
enesetaju või ruumitaju.
See võib põhjustada
raskusi juhiste järgimisel
Tervisekassa
andmekogu
Tervise
infosüsteem,
Meditsiiniseadmet
e ja –abivahendite
andmekogu
Tervise
infosüsteem,
Sotsiaalteenuste ja
-toetuste
andmeregistri
STAR ning
sotsiaalkaitse
infosüsteemi
SKAIS.
Töötukassa
andmekogu
Elektrilise
meditsiiniseadme
hüvitamise andmed
Koduõe teenuse
määramise saatekiri,
65+ vanuses inimese
haiglast
väljakirjutamine
viimase 2 nädala
jooksul, puuduv või
osaline töövõime,
määratud puue,
koduhooldusteenuse
kasutamine,
abivahendi
kasutamine,
tuvastatud rasedus,
suure hooldus- ja
abivajadusega laste
hoiu teenus,
või abi vajaduse
edastamisel.
Kuulmis-, nägemis- või
kõnehäiretega inimesed
võivad olla eriti
ohustatud, kuna neil võib
olla raskusi
käitumisjuhistele
ligipääsuga, nende
mõistmisega või oma
vajaduste edastamisega
kriisireageerijatele ja -
haldajatele.
Haavatavam
ad leibkonna-
koosseisud
Üksikvanemad
või ainsa hoolda-
jaga pered
Pered, kus on alla
kolmeaastased
lapsed
Üheliikmelised
leibkonnad
Pered, kus
hooldaja on ka
hädaolukorra
lahendamise
ülesannetes
Leibkonnad, kus
on lemmikloomad
Üksikvanemaga
leibkonnad võivad
vajada erilist tähelepanu,
kuna nende vaesusrisk
on suurem kui peredel,
kus on kaks või enam
täiskasvanut. Väikeste
lastega pered võivad
muutuda haavatavaks,
kuna lapsed on
vastuvõtlikud
vigastustele ja
traumadele ning sõltuvad
vanemate toest.
Hädaolukorras võivad
nad vajada suuremat
tähelepanu ja kaitset.
Üksi elavad inimesed
kogevad suurema
tõenäosusega sotsiaalset
isolatsiooni, mis võib
kaasa tuua kehvema
füüsilise ja vaimse
tervise ning raskendada
reageerimist
hädaolukorrale või
sellest taastumist.
Lemmikloomadega
majapidamised võivad
silmitsi seista suuremate
raskustega, kuna
omanikud viivitavad
evakueerimisega või ei
leia varjupaiku, kuhu
loomi lubatakse, seades
ohtu nii ennast kui ka
oma lemmikud.
Sotsiaalteenuste ja
-toetuste
andmeregistri
STAR ning
sotsiaalkaitse
infosüsteemi
SKAIS andmed
Rahvastikuregister,
Kohalike
omavalitsuste
lemmikloomade
register (või Eesti
loomaarstide
lemmikloomaregist
er)
Rahvastikuregistri
alusel üksi elavad
inimesed ja alla 3
aastase lapsed pered,
lemmikloomaregistri
sse ja
põllumajanduslooma
de registrisse kantud
loomade omanikud,
vastavate
sotsiaalteenuste ja –
toetuste saajad
Puudulik
sotsiaalne
tugivõrgustik
Elukoht piir-
konnas, mida
iseloomustab
vähene sotsiaalne
suhtlus ja usal-
duslikkus
Ühiskondlikult
tõrjutud või stig-
matiseeritud kul-
tuurilise, etnilise,
poliitilise, sek-
suaalse või muu
sättumuse tõttu
Elamine piirkonnas, kus
puudub sotsiaalne
suhtlus ja usaldus, võib
hädaolukorras tõsiselt
takistada abi saamist ja
koostööd. Sellistes
kogukondades tunnevad
inimesed end sageli
eraldatuna, mis
raskendab evakueerimist
ja kriisiinfo levikut.
Samuti võivad
kultuurilise, etnilise,
poliitilise või seksuaalse
sättumuse tõttu tõrjutud
inimesed vältida abi
otsimist, kartes
diskrimineerimist.
Usaldamatus
institutsioonide ja
kogukonna suhtes võib
viia viivitusteni ja
suurendada haavatavust.
Euroopa
Sotsiaaluuringu
andmed
diskrimineerituse
kohta; piirkonna
elanike toetuse
kohta.
Päästeameti/Emori
Elanikkonna
hädaolukordadeks
valmisoleku
uuringust:
Uskumus
Kogukonnaga
koostöö
vajalikkusesse
Uskumus riigi
võimekusse tagada
hädaolukordade
lahendamine.
Riigikantselei
küsitlusuuring
(seire). Üldine
usaldus inimeste
suhtes
Asutuse hoole
või
järelevalve
all
Koolis või
eelkoolis
Hooldusasutustes
(vanemaealised,
erivajadusega)
Erinevate asutuste
(näiteks koolide,
lasteaedade ja
hooldekodude) hoole all
olevad inimesed
sõltuvad personali
võimest teha nende eest
vajalikke korraldusi,
sealhulgas
evakueerimise, ruumide
soojana hoidmise ja
hügieeni tagamise osas
elektrikatkestuse korral
(Bathi & Das, 2016).
Hooldusasutustes
viibivatel inimestel
võivad olla piiratud
füüsilised või
kognitiivsed võimed,
mistõttu võib juhiste
järgimine või
hädaolukorras
evakueerumine olla
keeruline.
Lapsed, eriti
väikelapsed, ei oma
sageli vajalikke
vahendeid ega oskusi, et
Hariduse
infosüsteemi,
Sotsiaalteenuste ja
-toetuste
andmeregistri
STAR ning
sotsiaalkaitse
infosüsteemi
SKAIS andmed.
Õppuri tegeliku
elukoha ja
sideaadress, andmed
STAR andmestikust
väljaspool kodu
osutatav üldhooldus-
või erihooldusteenus
hädaolukorraks
iseseisvalt valmistuda,
ning sõltuvad täielikult
täiskasvanute toest ja
otsustest.
Puuduvad
kriisis
vajalikud
toime-
tulekuoskuse
d
Kohalike oludega
mittetuttav isik (nt
turist,
sisserändaja, uus
elanik)
Vajalike
ellujäämisoskuste
puudumine (nt
ebasobiv
toimetulekustratee
gia üleujutuse või
pika
elektrikatkestuse
korral)
Ei pääse teabele
ligi ega saa abi
küsida, kuna
räägib keelt,
milles kriisiteavet
ei jagata
Inimesed, kes ei tunne
kohalikke olusid –
näiteks turistid,
sisserändajad või uued
elanikud – ei pruugi
hädaolukorras teada,
kust saada
usaldusväärset teavet või
kelle poole abi
saamiseks pöörduda.
Seetõttu võivad nad
jääda kriisijuhistest
teadmatuks. Kui
kriisiteavet ei jagata
nende emakeeles, võib
neil olla raskusi juhiste
mõistmisega ning abi
küsimisega. Keelebarjäär
võib piirata ka
kriisihaldajate ja
esmareageerijate
võimekust nende
vajadusi mõista ja neile
reageerida.
Lisaks võib ellujäämise
oskuste puudumine,
näiteks teadmatus
evakueerimisprotseduuri
dest või esmaabi
võtetest, suurendada
nende haavatavust ja
raskendada olukorrale
adekvaatset reageerimist.
Päästeameti/Emori
Elanikkonna
hädaolukordadeks
valmisoleku
uuringust:
Kodu puudutavate
riskide hindamine
viimase 3 aasta
jooksul;
hädaolukorra
käitumisjuhendiga
tutvumine;
hoiatuste ja
käitumisjuhiste
järgimine
Välismaalase
lühiajalise Eestis
töötamise
registreerimise
andmekogu,
Sotsiaalteenuste- ja
toetuste
andmeregister
STAR
Rahvusvahelise ja
ajutise kaitse saanute
tugiisku teenus ja
tõlketeenus,
lühiajaline
töötamiseks Eestis
viibimine
Varasemad
materiaalsed
raskused
Vahendite puudus
kriisiga toimetu-
lekuks
Transpordivahendi
või sõiduoskuste
puudumine
Puudub alter-
natiivse elukoht
evakuatsiooniks
Eluaseme puudumisel
puudub inimesel
hädaolukorras turvaline
varjupaik ning
juurdepääs elutähtsatele
teenustele, nagu soe
ruum,
pesemisvõimalused ja
toiduvalmistamine – eriti
juhul, kui varjupaigad ja
muud
sotsiaalhoolekandeasutus
ed on sunnitud oma
tegevuse katkestama.
Töötukassa
andmekogu
Liiklusregister
(sõiduki omanikud
ning registreeritud
kasutajad)
Kinnistusraamat
(kinnisvara
omanikud ning
isikliku
kasutusõiguse
alusel kinnisvara
Toimetulekutoetuse
või baasmääras
töötuskindlustushüvi
tise saamine,
registreeritud
elukoha puudumine,
transpordivahendi
omaniku või kasutaja
puudumine
registreeritud
elukohas
Vajalikest ressurssidest
ilma jäämine, näiteks
toidu, küünalde,
patareide või
transpordivahendite
puudumine, vähendab
inimese võimet
kriisiolukorras
iseseisvalt toime tulla.
Inimesed, kellel puudub
teine elukoht, ei saa
hädaolukorras mujale
liikuda, mis suurendab
nende haavatavust ja
piirab võimalusi
taastumiseks.
kasutajad – “nn
alternatiivse või 2.
kodu omajad”).
Päästeameti/Emori
Elanikkonna
hädaolukordadeks
valmisoleku
uuringust: kodused
vahendid
iseseisvaks
toimetulekuks;
teise eluaseme
olemasolu;
uskumus riigi
võimekusest
tagada
hädaolukordade
lahendamine.
Ohtlikud
väärarusaam
ad ja hoiakud
Omavad
väärarusaamu ohu
allika, ulatuse või
mõju kohta
Ei usalda
kriisihaldusasutusi
Ei usalda amet-
likke meediaka-
naleid
Väärarusaamad ohu
allika, ulatuse või mõju
kohta on ohtlikud, sest
need võivad inimese
silmis vähendada ohu
tõsidust ja seeläbi
vähendada tema
valmisolekut riske
maandada. Inimesed, kes
ei usalda
kriisihaldusasutusi ja
nende töötajaid, ei
pruugi järgida nende
juhiseid ning võivad
seeläbi seada ohtu oma
elu või tervise. Inimesed,
kes ei usalda ametlikke
meediakanaleid, võivad
pöörduda alternatiivsete
allikate poole, mis
jagavad eksitavat või
väärinfot kriisi kohta.
Riigikantselei
küsitlusuuring
(seire): küsimused
inimestevahelisest
usaldusest;
uskumus Eesti riigi
toimetulekust
elutähtsate teenuste
katkemisel;
usaldatavatest
meediakanalistest
9.1. Tooge välja periood, mille kohta isikuandmete päring tehakse.
01.01.2024-31.12.2025
9.2. Loetlege töödeldavate isikuandmete kooseis. Tuua detailselt välja, milliseid isikuandmeid töödeldakse (nt ees- ja perenimi, isikukood, e-posti aadress jne) ning põhjendus, miks
just neid andmeid on uuringu eesmärgi täitmiseks vaja. Vajadusel esitada taotluse lisana (nt tabelina).
Statistikaameti enda poolt juba teadlaste töökohal kättesaadavaks tehtud andmed on koostatud
järgmiste registrite põhjal: töötamise register (TÖR), maksukohuslaste register (MKR), Eesti
rahvastikuregister (RR). Lisaks on kasutusel uurimistöö jaoks järgmised registrid: Töötukassa
andmekogu, sotsiaalkaitse infosüsteemi andmed (SKAIS), sotsiaalteenuste ja -toetuste
andmeregister (STAR), Tervisekassa andmekogu, Tervise infosüsteem.
Eesti rahvastikuregister (Siseministeerium)
- Isikukood
- Sugu
- Emakeel
- Elukoha andmed
- Viibimiskoha aadress
- Ütluspõhised andmed rahvuse, emakeele ja kõrgeima omandatud haridustaseme kohta
- Andmed selle kohta, et isik on piiratud teovõimega
- Eestkoste andmed (eestkoste alguse ja lõppemise aeg ning eestkostja)
- ema, isa, abikaasa ja lapse rahvastikuregistrisse kantud isikukoodid
Tervise infosüsteem Digilugu (Sotsiaalministeerium)
- Isikukood
- Elukoha aadress
- Tegelik elukoht
- Puude raskusaste
- Puude raskusastme kehtivuse alguskuupäev
- Puude raskusastme kehtivuse lõpukuupäev
- Eestkoste andmed
- Töövõimekaotuse protsent
- Töövõimekaotuse kestuse alguskuupäev
- Töövõimekaotuse kestuse lõpukuupäev
- Töövõime ulatus
- Osalise või puuduva töövõime kestuse alguskuupäev
- Osalise või puuduva töövõime kestuse lõpukuupäev
- Koduõendusteenuse saatekirja alguskuupäev
- Koduõendusteenuse saatekirja lõpukuupäev
- Retseptide andmed (siin eraldi loetelu oleks nt isikukood, retsepti id, väljastamise
kuupäev, realiseerimise kuupäev, diagnoosi kood, ravimi rhm jne)
- Väljastatud meditsiiniseadme ja selle väljastamise aluseks oleva meditsiiniseadme kaardi
andmed
- Haigus- ja hoolduslehe andmed?
- Põhidiagnoos raviarvel?
-
- Hoolekandeasutuses viibiva isiku viibimiskoha andmed (isikukood, viibimiskoha aadress)
- Puude raskusastme tuvastamise otsuse andmed (puude liik, raskusaste, Puude
alguskuupäev, puude lõpukuupäev
- Kutse tervishoiuteenusele (Tervishoiuteenuse nimetus)
- Ambulatoorne epikriis (patsiendi isikukood, diagnooside jms kirjeldused?, erinevate
abivahendite vajadused)
- Statsionaarne epikriis (diagnoos?, väljakirjutamise kuupäev)
- Tervisedeklaratsioon (psüühikat puudutavad andmed jne)
- Raseduse esinemine
Meditsiiniseadmete ja abivahendite andmekogu MSA (Ravimiamet)
- Tavakasutaja isikukood
- Vastavate meditsiiniseadmete eestikeelne nimetus
Tervisekassa andmekogu (Tervisekassa)
Terviseteenuse hüvitamise andmed:
- isikukood või selle puudumise korral muu isikut identifitseeriv kood
- rahvastikuregistrijärgne elukoht (aadress)
- raviarve number
- teenuse tüübi kood
- põhidiagnoosi kood (RHK 10)
- kaasuva diagnoosi kood (RHK 10)
- haiguse kliinilise raskusastme või staadiumi tunnus
- osutatud tervishoiuteenuse kood (sh NCSP kood) ja hulk
- tervishoiuteenuse osutamise kuupäev
Ajutise töövõimetuse hüvitise andmed
- isikukood
- rahvastikuregistrijärgne elukoht (aadress)
- töövõimetuslehe number ja liik
- tööst vabastamise põhjus ja põhjuste identifikaatori number
- tööst vabastamise algus- ja lõppkuupäev
- diagnoosi kood (RHK 10)
- ajutiselt teisele tööle üleviimise algus- ja lõppkuupäev
- info tööandjale töötingimuste terviseseisundile vastavaks kohandamiseks
- lapse olemasolu, kui emal on alla üheaastane laps
-
Sotsiaalteenuste ja -toetuste andmeregister STAR (Sotsiaalkindlustusamet)
Määruse tekstist sõnastus:
- isikukood
- elukoha- ja viibimisandmed
- erivajaduse, puude ja töövõime andmed ning terviseseisundiga seotud tegutsemise ja
osalemise piirangute andmed, erihoolekandeteenuse ja sotsiaalse rehabilitatsiooni teenuse
puhul isiku psüühikahäire diagnoos
- eestkoste andmed
- hindamiste andmed
- isikule makstud toetuste andmed
- teenust saama suunamise otsuste andmed
- isikule osutatud teenuste andmed
- toiduabi andmed;
- välismaalasele rahvusvahelise kaitse andmise seaduse kohaselt vastu võetud
rahvusvahelist kaitset taotleva ja rahvusvahelise kaitse saanud isiku kohta
sotsiaalhoolekande seaduse § 1421 lõikes 2 nimetatud andmed
Sotsiaalkaitse infosüsteem SKAIS (Sotsiaalkindlustusamet)
- isikukood
- elukoha andmed
- välismaalase elamisloa või -õiguse olemasolu ja tähtaeg
- eestkoste andmetena eestkostja isiku- või registrikood, elukoha andmed ning eestkoste
alguse ja lõppemise aeg;
- hooldusõiguse andmetena selle isiku isikukood, kelle suhtes on õigus määratud, ning
hooldusõiguse jõustumise ja kehtivuse aeg
- Eesti Vabariiki saabumise andmed – millal ja mis riigist saabus Eestisse elama
Alusandmed isikule riikliku toetuse, pensioni, hüvitise, elatisabi ja teenuse määramise ja
maksmise kohta
- puudega inimese sotsiaaltoetuse taotluse andmed
- tuumakatastroofi tagajärgede likvideerija sotsiaaltoetuse, olümpiavõitja riikliku toetuse,
represseeritu toetuse, välisriigist Eestisse elama asunud Eesti kodaniku või eesti rahvusest
isiku ning tema abikaasa, laste ja vanemate sotsiaaltoetuse taotlemise andmed
- püsiva töövõimetuse tuvastamise otsuse andmed ja osalise või puuduva töövõime
tuvastamise otsuse andmed
- andmed isikule riikliku toetuse, pensioni, hüvitise, elatisabi ja teenuse määramise,
maksmise, peatamise, lõpetamise või sellest keeldumise ja kinnipidamise kohta
- andmed isiku terviseseisundi ja puude kohta
- represseeritu tunnistuse, puudega isiku kaardi ja pensionitunnistuse väljastamise andmed
- lapsetoetuse, üksikvanema lapse toetuse, eestkostetava lapse toetuse taotluse andmed
- Töötervishoiu ja tööohutuse seaduses sätestatud tööõnnetusest või kutsehaigusest tingitud
kahju hüvitamise alusandmed: töövõime kaotuse tuvastamise andmed tööõnnetusest või
kutsehaigusest tingitud tervisekahjustusest tingitud varalise kahju hüvitamiseks
- Üksi elava pensionäri toetuse saamise andmed
- sotsiaalse rehabilitatsiooni teenuse vajaduse tuvastamise andmed
- erihoolekandeteenust saama suunamise otsuse andmed
- abivahendi eest tasu maksmise kohustuse ülevõtmise taotluse andmed
- abivahendikaardi andmed
- toetuse, pensioni, hüvitise, elatisabi või teenuse liik
- toetuse, pensioni, hüvitise ja elatisabi määramise alg- ja lõpptähtaeg
Abivahendi-, sotsiaalse rehabilitatsiooni, erihoolekande- ja ohvriabiteenuse osutajaga sõlmitud
lepingu andmed:
- lepingu liik, kehtivuse aeg ja teenuse osutamise koha kontaktandmed
Andmed isiku terviseseisundi ja puude raskusastme tuvastamise kohta
- diagnoositud haiguste nimetused ja koodid, diagnooside liigid
- hinnatud tegutsemise ja osalemise piirangud, organismi funktsioonide kõrvalekalded ja
struktuuride kahjustused, keskkonnategurid, RFK koodid
- lapse ja vanaduspensioniealise isiku puude raskusastme tuvastamise taotluse andmed
- tööealise isiku puude raskusastme tuvastamise taotluse andmed
- tuvastatud puude raskusaste ja puude raskusastme tuvastamise kuupäev
- funktsioonid, mille kõrvalekalle vastab vähemalt keskmisele puude raskusastmele
- puude raskusastme kestus ja korduvekspertiisi taotlemise aeg
- püsiva töövõimetuse tuvastamise otsuse andmed – püsiva töövõimetuse tekkimise aeg,
kestus ja ulatus väljendatuna töövõime kaotuse protsentides
- kuriteo tagajärjel tekkinud püsiva töövõimetuse või töövõime vähenemise ulatus
- tööõnnetuse või kutsehaiguse tagajärjel tekkinud püsiva töövõimetuse või töövõime
vähenemise ulatus
- töövõime hindamise otsuse andmed – töövõime ulatus ja vähenenud töövõime kestus
- puudega isiku kaardi väljastamise andmed: kehtivuse algus- ja lõppkuupäev
Töötukassa andmekogu (Töötukassa)
- isikukood
- elukoha aadress
- elamisloa või elamisõiguse kehtivuse aeg
- töövõime hindamise taotluse andmed: töövõimet välistava seisundi esinemine ning
abivahendite, kõrvalise abi, rehabilitatsiooni ja sotsiaalteenuste kasutamine
- eksperdiarvamuse andmed:
- töövõimet välistava seisundi esinemine;
- diagnoosid ja seisundid, millele eksperdiarvamus tugineb;
- piirangu raskusaste; kokkuvõttev kirjeldus piirangu avaldumise,
- põhjuste ja raskusastmete koosmõjust taotleja tegutsemisvõimele;
- taotleja töövõime ulatus ja kestus koos põhjendusega;
- hindamise käigus selgunud vajaduse korral soovitused abivahendi kasutamise ja töövõime
toetamise kohta
- liikumisvõime, käeline tegevus, suhtlemine (meelepuuded), enesehooldus, vaimupuue
(psüühika ja käitumishäired) – kerge, raske ja täieliku piiranguga
- voodihaiged - igal juhul
- välistavad seisundid - dialüüsihaiged, dementsed, vaimse alaarenguga
Mingitel juhtudel oleks vaja diagnoosi täienduseks – meelepuuete puhul ja psüühikahäirete
puhul – kombineerida diagnoos juurde.
- töövõime hindamise otsuse andmed: määratud töövõime ulatus; osalise või puuduva
töövõime kestus
Ehitisregister (Kliimaministeerium)
- ehitise andmed: ehitisregistri kood
- ehitise asukoha andmed: ehitise ja selle asukoha maaüksuse koha-aadress
- ehitisega seotud isikute andmed: omaniku isikukood
- registreeritavate soojus- ja jahutusseadmete andmed
- andmed veevarustuse, pesemisvõimaluste, elektrisüsteemi, kanalisatsiooni,
soojusvarustuse, energiaallika, tualettruumi olemasolu ja liikide ning päikesepaneelide
olemasolu kohta kantakse registrisse registriparanduskande automaatkandega juhul, kui
tehnosüsteemi olemasolu nähtub võrguvaldajaga sõlmitud teenuse osutamise lepingust
Elamislubade ja töölubade register (Politsei- ja Piirivalveamet)
Tähtajalise elamisloa taotlemisel andmekogusse kantavad andmed
- eesnimi või -nimed
- perekonnanimi või -nimed
- Eesti isikukood, kui see on taotlejal olemas
- Sünniaeg
- Rahvus
- Emakeel
- kontaktandmed, sealhulgas kontaktaadress Eestis ja elukoha aadress Eestis, kui elukoha
aadress erineb kontaktaadressist Eestis
- taotluse esitamise kuupäev
Tähtajalise elamisloa pikendamise taotlemisel kogutavad andmed:
- Eesti isikukood
- emakeel
- kontaktandmed, sealhulgas kontaktaadress ja elukoha aadress Eestis, kui elukoha aadress
erineb kontaktaadressist Eestis
Välismaalase kohanemisprogrammis osalema suunamise kohta andmekogusse kantavad andmed
- kohanemisprogrammi osalema suunamise aeg
- uuesti kohanemisprogrammi osalema suunamise aeg
Euroopa Liidu kodaniku ja tema perekonnaliikme kohanemisprogrammis osalema suunamise
kohta andmekogusse kantavad andmed
- kohanemisprogrammi osalema suunamise aeg
- uuesti kohanemisprogrammi osalema suunamise aeg
Välismaalase lühiajalise Eestis töötamise registreerimise andmekogu (Politsei- ja
Piirivalveamet)
- isikukood
- kontaktaadress
- töötamise asukoha aadress
- töötamise planeeritav algus- ja lõppkuupäev
Liiklusregister (Transpordiamet)
- sõidukile riiklikul registreerimisel antud ja sõiduki riiklikule registreerimismärgile kantud
tähtede ja numbrite kombinatsioon ning riikliku registreerimismärgi tüüp
- sõiduki omaniku või omanike isiku- või äriregistrikood, elu- või asukoht
registreerimistunnistuse väljastamise kuupäeval
- sõiduki vastutava kasutaja isiku- või äriregistrikood, nimi, elu- või asukoht
registreerimistunnistuse väljastamise kuupäeval
- sõiduki kasutaja isiku- või äriregistrikood, nimi, elu- või asukoht registreerimistunnistuse
väljastamise kuupäeval
Kinnistusraamat (maa- ja linnakohtute kinnistusosakonnad)
- kinnisasja asukoht
- füüsilisest isikust omaniku puhul isikukood (selle puudumisel sünniaeg)
9.3. Loetlege isikuandmete allikad. Nimetage konkreetsed isikuandmete allikad (nt registrid, küsitluslehed jne), kust isikuandmeid saadakse.
Haavatavustegurite koondumisest ülevaate saamiseks on vajalik siduda erinevate registrite
andmed. Registripõhiste andmete kasutamine võimaldab võtta arvesse ka selliste
haavatavusteguritega rühmasid, kelle osa küsitlusandmetes (nt Eesti Terviseuuring) oleks väike,
kuid registriandmetes on piisavalt suur, et viia läbi analüüs ja teha andmepõhiseid hinnanguid.
Haavatavuse tunnused on pärit erinevatest registritest, mistõttu on vajalik erinevate registrite
kokkupanemine üheks andmestikuks Statistikaameti teadlaste serveris.
Uuringu käigus ei koguta uusi andmeid, vaid kasutatakse juba olemasolevaid registriandmeid.
Enamus sotsiaalmajanduslikest registriandmetest on Statistikaameti poolt juba kokku pandud ja
turvaliselt serveris laiemaks kasutamiseks olemas. Näiteks, rahvastikuregister, rahvaloenduse
andmed, inimeste sissetulekute andmed, hariduse infosüsteemi andmed, toimetuleku- laste- ja
üksi elava eaka toetuste andmed, töövõime andmed, andmed määratud puude kohta, andmed
kasutatavate sotsiaalteenuste kohta, välismaalaste Eestis töötamise kohta. Statistikaametil on ka
olemas Euroopa Sotsiaaluuringu küsitlusandmed hoiakute, teadmiste ja hädaolukordadeks
valmisoleku praktikate kohta.
Eesti Statistikaameti teadlaste töökoha serveris ühendatakse eelnevalt inimeste
pseudonümiseeritud andmed Tervisekassast, Sotsiaalkindlustusametist (STAR, SKAIS),
Sotsiaalministeeriumist (TIS), Haridus- ja Teadusministeeriumist (EHIS), Politsei- ja
Piirivalveametist (elamislubade ja töölubade register), Transpordiametist (Liiklusregister),
Töötukassast (TETRIS), rahvastikuregistrist, Eesti Loomaarstide Lemmikloomaregistrist (LLR), jt
(vt täpset loetelu lisas). Lisaks ühendatakse teadlaste töökoha serveris küsitlusandmed hoiakute,
teadmiste ja praktikate kohta Euroopa Sotsiaaluuringu, Päästeameti ja Riigikantselei
küsitlusuuringutest.
Selleks taotletakse andmed andmeallikatelt: Tervisekassa andmekogu, tervise infosüsteem,
sotsiaalteenuste ja –toetuste andmeregister STAR, sotsiaalkaitse infosüsteem SKAIS, töövõime
hindamise ja töövõimetuse toetuse andmekogu TETRIS, rahvastikuregister,
lemmikloomaregister, hariduse infosüsteem, elamislubade ja töölubade register, liiklusregister,
kinnistusraamat. Küsitlusuuringu andmed taotletakse Päästeametilt ja Riigikantseleilt.
Tervisekassa ja retseptikeskkonna andmekogud on juba eelnevalt kogutud Tervisekassa poolt
oma põhitegevuse raames. Tervise infosüsteemi omanik on sotsiaalministeerium ning andmed on
eelnevalt kogutud põhitegevuse raames süsteemi haldaja ja arendaja TEHIK poolt.
Sotsiaalteenuste ja -toetuste andmeregistri STAR ning sotsiaalkaitse infosüsteemi SKAIS andmed
on eelnevalt kogutud Sotsiaalkindlustusameti poolt. Eesti loomaarstid on eelnevalt kogunud
andmed Lemmikloomaregistrisse. Haridus- ja Teadusministeeriumi andmed on kogutud hariduse
infosüsteemi, Transpordiameti kogutud andmed liiklusregistrisse.
Sotsiaalmajanduslike näitajate andmestik (inimeste töötamine (töövõime hindamine ja
töövõimetuse toetuse andmekogu TETRIS), toimetulekutoetuse andmekogu, elamislubade ja
töölubade register, haridustase, sugu, vanus, elukoha maakond, emakeel jmt) hariduse
infosüsteem (õpilaste elukoha andmed), liiklusregister (sõiduki omanikud ning registreeritud
kasutajad), kinnistusraamat (kinnisvara omanikud ning isikliku kasutusõiguse alusel kinnisvara
kasutajad – “nn alternatiivse või 2. kodu omajad”) on teiste projektide raames juba
Statistikaameti poolt koostatud, pseudonümiseeritud ja Statistikaameti teadlaste keskkonda viidud
(sh laiemaks kasutuseks muudes uuringutes ja analüüsides).
Andmed küsitlustest (Euroopa Sotsiaaluuring, Päästeameti/Emori küsitlusuuring
hädaolukordadeks valmisolekust, Riigikantselei seire) ühendatakse andmekoguga agregeeritult
rühmapõhiselt piirkondliku keskmise jaotusena. Euroopa Sotsiaaluuringu puhul on teada vald,
Päästeameti ja Riigikantselei uuringute puhul piirkond.
9.4. Kas andmeandjatega (andmekogu vastutava töötlejaga) on konsulteeritud ning nad on
valmis väljastama uuringu eesmärgi saavutamiseks vajalikud andmed?
Andmeandjatega (andmekogu vastutava töötlejaga) on konsulteeritud ning nad on valmis
väljastama uuringu eesmärgi saavutamiseks vajalikud andmed.
10. Kas kogutud andmed pseudonümiseeritakse või anonümiseeritakse? Mis etapis seda
tehakse? Kes viib läbi pseudonümiseerimise või anonümiseerimise (vastutav töötleja, volitatud
töötleja, andmeandja vms)?
Kui andmeid ei pseudonümiseerita, siis selgitada, miks seda ei tehta.
Uuringus kasutatakse Statistikaameti poolt pseudonümiseeritud andmeid, mille võti on ainult
Statistikaametil.
10.1. Loetlege pseudonümiseeritud andmete koosseis.
Pseudonümiseeritakse otsesed identifikaatorid, isikukoodid ja unikaalsed registrikoodid.
10.2. Kirjeldage pseudonümiseerimise protsessi ja vahendeid.
Kui kasutatakse koodivõtit, siis tuua välja, kes koodivõtit säilitab ja kui kaua säilitab.
Uuringus kasutatakse Statistikaameti poolt pseudonümiseeritud andmeid, mille võti on ainult
Statistikaametil. Teistest registritest (Tervisekassa, Töötukassa, Sotsiaalkindlustusamet)
edastatakse andmed Statistikaametile turvalist kanalit pidi. Statistikaamet pseudonümiseerib
andmed ja tõstab juba pseudonümiseeritud andmed teadlaste serverisse. Koodivõtit hoitakse ainult
Statistikaametis ja see ei ole kättesaadav teistele osapooltele.
Pseudonüümid on andmestikus loodud isikukoodide põhjal. Pseudonümiseerimiseks kasutatakse
koodivõtit, mida Statistikaamet säilitab tähtajatult. Uurimismeeskonnal kaob ligipääs
Statistikaameti keskkonnale vastavalt lepingule pärast projekti lõppu. Uuringu jaoks loodud
analüüsikaustu säilitatakse kuni kaks kuud pärast projekti lõppu.
Töös kasutatavate teiste sisendandmestike (Tervisekassa andmed, Töötukassa andmed) säilitamine
ei sõltu antud uuringust, kuna sisendandmestikku võidakse kasutada ka teiste projektide raames.
Säilitamise kuupäev puudutab seega vaid käesoleva uuringu raames loodud analüüsitabeleid ja
muid kokkuvõtvaid andmeid. Projektikaustade säilitamise periood lepitakse Statistikaameti ja töö
tegijate vahel kokku andmete kasutuslepingus.
10.3. Tooge välja pseudonümiseeritud andmete säilitamise aeg ja põhjendus.
Kui andmeid ei pseudonümiseerita, siis tuua välja andmete kustutamise tähtaeg. Vähemalt kvartali ja aasta täpsusega.
11. Kas andmesubjekti teavitatakse
isikuandmete töötlemisest? Jah/ei
Ei
11.1. Kui vastasite ei, siis palun põhjendage5 Käesolevas uuringus töödeldakse eriliiki
isikuandmeid registritest teadusuuringu ja
olulise avaliku huvi eesmärgil kooskõlas
IKÜM artikli 9 lõike 2 (ohusündmusteks
valmisolek). Individuaalset nõusolekut ei
küsita, kuna andmete kasutamine toimub
pseudonüümitult ja agregeeritult ning
üksikisikute tuvastamine ei ole võimalik.
Töötlemisel rakendatakse andmete
pseudonüümimist, agregeerimine ja
ligipääsupiirangud ning andmeid kasutatakse
viisil, mis ei võimalda üksikisikute tuvastamist
väljundtasandil.
11.2. Kui vastasite jah, siis kirjeldage, kuidas
teavitatakse.
-
11.3. Kust on leitavad
andmekaitsetingimused6?
Andmekaitsetingimused tehakse
kättesaadavaks vastutava töötleja kodulehel.
12. Kas isikuandmeid edastatakse
kolmandatesse riikidesse7 Jah/ei. Kui vastate küsimusele jah, siis täita ka järgnevad lahtrid.
Ei
12.1. Loetlege riigid, kuhu isikuandmeid
edastatakse.
-
12.2. Milliseid lisakaitsemeetmeid
kasutatakse?
Isikuandmete töötlemise läbipaistvus
tagatakse sellega, et on selgelt arusaadav,
milliseid andmeid, mis eesmärgil ja kuidas
5 Isikuandmete töötlemisest teavitamise kohustus tuleneb IKÜM-st, teavitamata jätmine on põhjendatud väga erandlikel juhtudel. 6 IKÜM-i kohaselt tuleb andmesubjektile esitada isikuandmete töötlemise kohta teave ehk nn andmekaitsetingimused, mis peavad vastama IKÜM art
12 – 14 sätestatule. 7 Isikuandmete edastamine on lubatud üksnes sellisesse riiki, millel on piisav andmekaitse tase (Euroopa Liidu liikmesriigid; Euroopa
Majanduspiirkonna lepinguga ühinenud riigid; riigid, mille isikuandmete kaitse tase on Euroopa Komisjoni poolt hinnatud piisavaks).
Isikuandmete nn kolmandatesse riikidesse edastamine toimub IKÜM artiklite 44-50 alusel. Täiendav teave: https://www.aki.ee/isikuandmed/andmetootlejale/isikuandmete-edastamine-valisriiki.
kasutatakse. See tähendab, et andmetöötluse
eesmärgid, õiguslik alus, andmete liigid,
säilitamistähtajad ja vastutavad osapooled on
dokumenteeritud ning vajadusel avalikult
kättesaadavad uuringukirjelduses, hilisemates
publikatsioonides.
Andmeid kasutatakse ainult selles taotluses
kirjeldatud eesmärgil ja metoodilisi võtteid
kasutades. Andmete saamine, ristkasutamine,
töötlemine ja tulemuste avaldamine on
dokumenteeritud ja kirjeldatud
publikatsioonides.
Tulemused agregeeritakse ja üldistatakse
ruumiliselt selliselt, et vältida väikeste või
haruldaste rühmade tuvastatavust.
Isikuandmete töötlemine ei kahjusta
andmesubjektide õigusi ega muuda nende
kohustuste mahtu, kuna kõik uuringu
lõpptulemused avaldatakse üldistatud kujul.
Analüüsi tulemusena valminud jooniste ja
tabelite vormistamisel lähtutakse põhimõttest,
et kui mingis kategoorias on tulemusi vaid
väheste indiviidide kohta (alla 20), siis
agregeeritakse tunnused. Uuringu tulemusi
üldistatakse analüüsitavate rühmade tasandil, st
ei analüüsita ühtegi indiviidid individuaalselt
ega eraldi. Uuringu tulemuste avaldamisel
jälgitakse, et registriandmete analüüsis ei oleks
üheski lõikes vähem kui 20 andmesubjekti
(juhul kui mõnes lõikes on inimeste arv
väiksem, jäetakse andmed avaldamata või
agregeeritakse vastavalt suurematesse
rühmadesse).
Enne tulemuste avaldamist kontrollitakse
väljundeid. Statistikaameti teadlaste
keskkonnast väljastatakse analüüsi tulemusena
valminud tulemid (tabelid ja joonised) alles
pärast Statistikaameti töötaja üle kontrollimist
(tabelid on kõrge agregeerituse tasemega ning
ei sisalda konfidentsiaalseid andmeid).
Kinnitan, et taotluses esitatud andmed vastavad tegelikkusele.
Martin Lambing (allkirjastaja ees- ja perenimi)8
(allkiri ja kuupäev)
Taotluse lisad9:
Lisa 1: Seaduse alusel loodud valdkonnapõhise eetikakomitee seisukoht (juhul, kui on
olemas)
8 Taotluse saab allkirjastada vaid isik, kellel on vastava asutuse/ettevõtte esindusõigus või teda on volitatud taotlust esitama. Kui allkirjastaja on volitatud
taotlust esitama, siis esitada volitust tõendav dokument (volikiri, leping vms). 9 Kui nimetatud lisasid ei ole, siis palume need kustutada.
Lõuna päästekeskus / Jaama 207 / 50705 Tartu / 628 2000 / [email protected] / www.paasteamet.ee /
Registrikood 70000585
Andmekaitse Inspektsioon
Meie 16.04.2026 nr 1.2-2.1/2615-1
Teadusuuringu loa taotlemine
poliitikakujundamise uuringu
läbiviimiseks
Esitame taotluse isikuandmete töötlemiseks teadusuuringus „Kriisihaavatavuse kujunemine,
tulevikukriisid ja sekkumised ühiskondliku valmisoleku suurendamiseks“ lisatud vormil,
Päästeameti ja Tartu Ülikooli teadus- ja arendustöö lepingu 6.4-2.1/102ML 11.04.2024 alusel.
Lugupidamisega
(allkirjastatud digitaalselt)
Martin Lambing
Peadirektori asetäitja peadirektori ülesannetes
Lisad:
1. Taotlus isikuandmete töötlemiseks
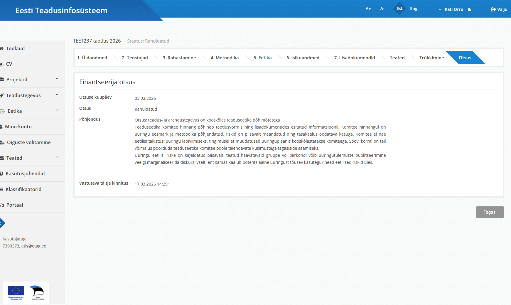
2. Kuvatõmmis teaduseetika komitee otsusest
Sama/Teadmiseks: Tartu Ülikool
Tarvi Ojala
+372 53661747