| Dokumendiregister | Transpordiamet |
| Viit | 7.1-2/24/14422-8 |
| Registreeritud | 21.11.2024 |
| Sünkroonitud | 25.11.2024 |
| Liik | Sissetulev kiri |
| Funktsioon | 7.1 Teetaristuga seotud õiguste andmine |
| Sari | 7.1-2 Planeeringud ja lepingukohustuseta ehitiste kooskõlastamise dokumendid |
| Toimik | 7.1-2/2024 |
| Juurdepääsupiirang | Avalik |
| Juurdepääsupiirang | |
| Adressaat | Oü Lihtsad Linnamehed |
| Saabumis/saatmisviis | Oü Lihtsad Linnamehed |
| Vastutaja | Elliko Kõiv (Users, Teehoiuteenistus, Planeerimise osakond, Tehnovõrkude üksus) |
| Originaal | Ava uues aknas |
Tere
Edastan.
Parimate soovidega
Elliko
Kõiv
Tehnovõrkude koordinaator
Planeerimise osakond
Tehnovõrkude üksus
Tel: 57 848 581
E-post: [email protected]
Valge 4 / 11413 Tallinn / Transpordiamet
From: Ahti Särg <[email protected]>
Sent: Thursday, November 21, 2024 11:56 AM
To: Elliko Kõiv <[email protected]>; Anni Luht <[email protected]>
Subject: Re: FW: Nõuded veetorustikuprojekti koostamiseks riigitee nr 2 km 187,96-188,06 teemaal ja kaitsevööndis
Tere
Juhtus nii, et varasemat kirjavahetust ei saanud kätte, aga parem hilja kui mitte kunagi. Tegin veetorustiku kulgemise omamoodi,
et ei satuks kergliiklustee alla. Tõmbasin veetoru maantee poole, üks põhjusi veetoru oleks sattunud Roosi tänava kõrgepingeliini posti alla
ja võib olla visuaalselt parem kui tuleviku sademeveetoru ja veetoru paiknevad lähestikku ja võib-olla ka kinnistuomanike rahulolu suurem
kui põllult midagi juurde ei ampsaks. Saadan pdf-is mõtte. Olge head kommenteerige. Sobivuse korral püüan parandused sisse viia ja dokumentatsiooni
uuesti saata. Saatke e-post igaks-juhuks minu isklikule aadressile, ei ole firma e-post transpordiametiga sinasõbraks saanud.
Lugupidamisega
Ahti Särg
Oü Lihtsad Linnamehed
Uus 32-3, Tartu, 50603
Tel. +3725171980
Fax. 1481910414
www.linnamehed.ee
Kontakt Elliko Kõiv (<[email protected]>) kirjutas kuupäeval N, 21. november 2024 kell 10:50:
From: Elliko Kõiv
Sent: Thursday, November 14, 2024 7:01 PM
To: Anni Luht <[email protected]>; [email protected]
Subject: RE: Nõuded veetorustikuprojekti koostamiseks riigitee nr 2 km 187,96-188,06 teemaal ja kaitsevööndis
Tere
Kas antud lahenduse osas on midagi muutunud 😊?
Ikka head
Elliko
From: Anni Luht <[email protected]>
Sent: Wednesday, October 30, 2024 12:19 PM
To: [email protected]
Cc: Elliko Kõiv <[email protected]>
Subject: RE: Nõuded veetorustikuprojekti koostamiseks riigitee nr 2 km 187,96-188,06 teemaal ja kaitsevööndis
Tere Ahti,
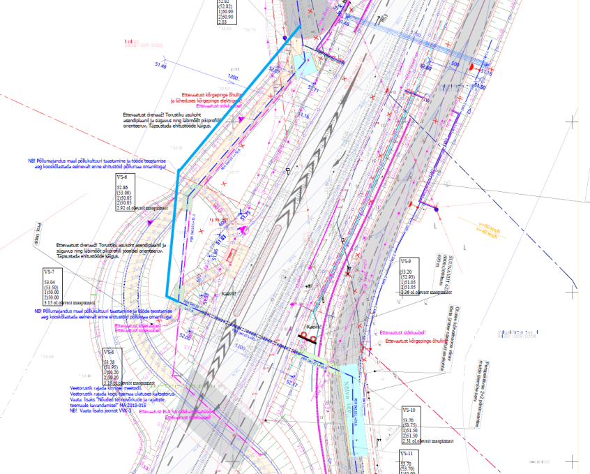
Vabandan, et minu vastus on viibinud. Vaatasin lahenduse üle ja tekkis küsimus/mõte, et kas pead all oleval skeemil kujutatud trassi paiknemist võimalikuks.
Praegu on veetorustiku kulgemine näidatud kergliiklustee alla. Hetkel pole veel üheselt selge, kellele perspektiivselt kergliiklustee kulgema hakkab, aga Transpordiameti eelistus on, et torustik kattes ei paikneks. See on ettevaatusabinõu võimalikeks avariiolukordadeks, kus võib tekkida vajadus avada torustiku remondiks tee konstruktsioone (olukorras, kus kergliiklustee on valmis ehitatud). Lisaks, kui torustik on kergliiklusteest rohkem eemale viidud, saab tee-ehitustöid muretumalt läbi viia. On tõenäolisem, et ehituse käigus torustikku ei rikuta. Joonise põhjal tundub, et ruumi veetorustiku kulgemiseks kergliiklustee taga on. Kas pead selle muudatuse sisseviimist võimalikuks?
Heade soovidega
Anni Luht
projektijuht/projekteerimise osakond
+372 509 0807
From: Ahti Särg <[email protected]>
Sent: Thursday, October 24, 2024 2:44 PM
To: Elliko Kõiv <[email protected]>
Cc: Anni Luht <[email protected]>
Subject: Re: Nõuded veetorustikuprojekti koostamiseks riigitee nr 2 km 187,96-188,06 teemaal ja kaitsevööndis
Tere
Saadan allkirjastatud projekti kooskõlastamiseks.
LugupidamisegaAhti SärgOü Lihtsad LinnamehedUus 32-3, Tartu, 50603Tel. +3725171980Fax. 1481910414www.linnamehed.ee22.10.2024 13:37 Elliko Kõiv kirjutas:
Tere Ahti
Minul tähelepanekuid rohkem ei ole. Kui Annil ka midagi lisada ei ole, siis ma palun digitaalselt allkirjastatud projekti, et sellele kooskõlastus anda.
Olen puhkuselt järgmine esmaspäev tagasi ja saan tegeleda 😊
Ikka head
Elliko Kõiv
From: Ahti Särg <[email protected]>
Sent: Friday, October 18, 2024 9:16 AM
To: Elliko Kõiv <[email protected]>; Anni Luht <[email protected]>
Subject: Fwd: Nõuded veetorustikuprojekti koostamiseks riigitee nr 2 km 187,96-188,06 teemaal ja kaitsevööndis
Tere
Panen ikka manuses joonised ka kaasa,
LugupidamisegaAhti SärgOü Lihtsad LinnamehedUus 32-3, Tartu, 50603Tel. +3725171980Fax. 1481910414www.linnamehed.ee
-------- Edastatud kiri --------
Teema:
Re: Nõuded veetorustikuprojekti koostamiseks riigitee nr 2 km 187,96-188,06 teemaal ja kaitsevööndis
Kuupäev:
Fri, 18 Oct 2024 09:14:10 +0300
Saatja:
Ahti Särg <[email protected]>
Vastamise aadress:
Saaja:
Elliko Kõiv <[email protected]>
Koopia:
Anni Luht <[email protected]>
Tere
Paluksin veel kord ülevaadata joonised, et kas sai parem. Tegin ikkagi kaks asendiplaani. Üks siis olemasoleva olukorraga ja teine planeeritava
riigiteega. Kartsin, et ehitaja satub paanikasse ja tekitab ühel joonisel segadust kui kooskõlastada ka teiste kommunikatsioonivaldajatega.
Omaarust peaks kahe joonisega variant parem olema. Muutsin ka pikiprofiili nii, et planeeritav riigitee maapind peal. Tänud, tänud ette,
LugupidamisegaAhti SärgOü Lihtsad LinnamehedUus 32-3, Tartu, 50603Tel. +3725171980Fax. 1481910414www.linnamehed.ee15.10.2024 11:46 Elliko Kõiv kirjutas:
Tere Ahti
Vaatasin Sinu lahendust ja palun projektlahendust korrigeerida:
- Palun võta projekti asendiplaanile alla riigitee Tallinn-Tartu-Võru-Luhamaa Tartu läänepoolse ümbersõidu VI joonis (võib olla hallina taustal), et oleks paremini arusaada, kuidas kulgeb Sinu poolt projekteeritud veetrass riigitee ja kavandatava JJT suhtes, sh kuidas kulgeb trass kavandavate tehnovõrkude ja teiste rajatiste suhtes, nagu nt sademeveekanalisatsioon, truubid, elektrikaabel, müratõkkesein jne. Kaevusid mitte katetesse kavandada. Kuna antud ristmik kavandatakse ringi ehitada, siis palun veetrass kavandada nii, et see ei jääks tulevikus tee-ehitusele, sh teiste tehnovõrkude ja rajatiste ehitusele ette ega peaks veetrassi hakkama ümbertõstma.
- Hetkel on arusaamatu, kas olemasoleva ja projekteeritava maapinna kõrgused jäävad samaks?
Palu kanna joonisele nii olemasoleva kui ka planeeritava maapinna kontuur ja kõrgused. Nt on varasemalt näidatud riigitee olemasolev ja kavandatav kontuur nii:
- Palun anda lahendus nii, et teekatte taastamisega ei pea tulema mahasõidule, mis ulatub riigiteemaale. Riigiteemaale ulatuvad mahasõidud kuuluvad riigitee koosseisu.
Parimate soovidega
Elliko Kõiv
Tehnovõrkude koordinaator
Planeerimise osakond
Tehnovõrkude üksus
Tel: 57 848 581
E-post: [email protected]
Valge 4 / 11413 Tallinn / Transpordiamet
From: Ahti Särg <[email protected]>
Sent: Wednesday, October 2, 2024 10:03 AM
To: Anni Luht <[email protected]>
Cc: Elliko Kõiv <[email protected]>
Subject: Re: Nõuded veetorustikuprojekti koostamiseks riigitee nr 2 km 187,96-188,06 teemaal ja kaitsevööndis
Tere
Kuna Transpordiametiga esimene kokkupuude koostööna ja projekt nn "esimene pääsuke", siis saadan eelvaate tööst s.o joonised ja seletuskiri. Püüdsin anda parima kuid jään ootama tagasisidet mida saab paremini teha ja mis ei kõlba kuhugi. Riigitee alt läbiminekul lähtusin Altren Projekt töös nii asukoha valikul kui ka sügavustest. Joonistest olulisemad siis sai tehtud VVK-3_Ristumine_riigiteega ja VVK-11_Isiklik_kasutusõigus ja lõpus joonis TEEDE EELPROJEKTIGA mis jäi lõpetamata (jäin kõhklema vajaduses kuid näitab Altren Projekti ja Teedeprojekti tööd ja enda projekteeritud torusid). Arvan, et Tartu Veevärgil torude väljaehitamise soov kiirem kui võimalik riigitee valmimine. Palun kaasabi ja tänud juba ette,
LugupidamisegaAhti SärgOü Lihtsad LinnamehedUus 32-3, Tartu, 50603Tel. +3725171980Fax. 1481910414www.linnamehed.ee23.08.2024 18:48 [email protected] kirjutas:
Tere!
Teile on saadetud Transpordiameti dokumendihaldussüsteemi Delta kaudu dokument.
Pealkiri: Nõuded veetorustikuprojekti koostamiseks riigitee nr 2 km 187,96-188,06 teemaal ja kaitsevööndis
Registreerimise kuupäev: 23.08.2024
Registreerimise number: 7.1-2/24/14422-2.
Dokument on manuses.
Transpordiamet
Valge 4
11413 Tallinn
kliendiinfo 620 1200, [email protected]
www.transpordiamet.ee
---
Kiri on saadetud väljastpoolt valitsemisala. Ärge avage kirjaga kaasa tulnud linke või manuseid enne, kui olete saatja õigsuses ja sisu turvalisuses kindel.
---
Kiri on saadetud väljastpoolt valitsemisala. Ärge avage kirjaga kaasa tulnud linke või manuseid enne, kui olete saatja õigsuses ja sisu turvalisuses kindel.
---
Kiri on saadetud väljastpoolt valitsemisala. Ärge avage kirjaga kaasa tulnud linke või manuseid enne, kui olete saatja õigsuses ja sisu turvalisuses kindel.
|
--- Kiri on saadetud väljastpoolt valitsemisala. Ärge avage kirjaga kaasa tulnud linke või manuseid enne, kui olete saatja õigsuses ja sisu turvalisuses kindel. |
0.0 4
0.0 5
v=40 km/h
v=50 km/h v=40 km/h
1.4
1.4
P
e r s p e k t i i v s e 2 +
2 p õ h i m
a a n t e e
m
u l d e ü l e m
i n e s e r v
P
e r s p e k t i i v s e 2 +
2 p õ h i m
a a n t e e
m
u l d e ü l e m
i n e s e r v
1:1.75
1:3
961
1:1.75
0.00°
1.8 1°
P
r o j . t r e p p
P
e r s p e k t i i v s e 2 +
2 p õ h i m
a a n t e e
m
u l d e ü l e m
i n e s e r v
O
l . o l e v k õ r v a l h o o n e v ä r a v
t õ s t a ü m
b e r n ä i d a t u d a s u k o h t a
SU U
N A
V IIT 621
6000x3000m m
400 m
2
NÕLV A TE
E
E26 3 L
ÕIK 5
E263 LÕIK 5
MS 2 MS
2 MS
3
MS 3
¨
¨
Muudatuse nr. Kuupäev Projekteeris Selgitus
OÜ LIHTSAD LINNAMEHED
UUS TN 32-3, TARTU 50603. Reg. kood 11105794
Litsents EEP000313 v.a 06-04-05
ROOSI TÄNAV JA NÕLVA TEE
KAMBJA VALD, REOLA KÜLA
PROJEKTEERIJA AHTI SÄRG
VEEVARUSTUS JA KANALISATSIOON
(ASENDIPLAAN PLANEERITAVA
TALLINN-TARTU-VÕRU-LUHAMAA TARTU
LÄÄNEPOOLSE ÜMBERSÕIDU EHITUSALAGA)
PROJEKTEERIJA
LAURI KÜNNAPUU
OÜ TPK PROJEKT
TELLIJA AS TARTU VEEVÄRK
TÖÖ NR. 2024-11 LL
JOONISE NR. VVK-1
MÕÕTKAVA 1.500
KUUPÄEV SEPTEMBER 2024 VÄLISVÕRGUD, TÖÖPROJEKT
TINGMÄRGID
Projekteeritud kanalisatsioonitorustiku
otsakork
Projekteeritud kanalisatsiooni vaatluskaev
Projekteeritud maa-alune
tuletõrjehüdrandikaev
Projekteeritud kapega maakraan/siiber
Projekteeritud veetorustiku sõlm
Projekteeritud veetorustik (torustiku rajamine
lahtise kaevikuga meetodil)
Projekteeritud veetorustik (torustiku rajamine
kinnisel meetodil)
Projekteeritud kanalisatsioonitorustik
Likvideeritav veetorustik
Likvideeritav kanalisatsioonitorustik
Likvideeritav kaev
Veetorustik
Kanalisatsioonitorustik
Drenaažitorustik
Sademeveetorustik
Sidekanalisatsioon
Sidekaabel
Madalpingekaabel
Madalpinge õhuliin
Kõrgepingekaabel
Kõrgepinge õhuliin
TEEDE TEEKATETE TAASTAMINE PEALE
TORUSTIKE EHITUSTÖID
Taastatav 1.kihiline sõidutee asfaltkate
Taastatav freespurust kate
Taastatav killustikust kate
Taastatav kruusast kate/ kruusast teepeenar
Taastatav sillutiskate betoonkivi/betoonplaat)
Taastatav haljasala (muru)
Taastatav põllukultuur põllumaal koostöö
põllumaa omanikuga
MÄRKUSED:
1. Joonise aluseks on Kambja vald, Reola küla, Roosi tänava ja Nõlva tee vee-ja kanalisatsioonitorustiku projekti geodeetiline
alusplaan. Geodeetiline alusplaan on koostatud OÜ Geodeesia poolt 18.04.2024, töö nr.GE-4148. Koordinaadid on L-Est´97
süsteemis ja kõrgused on EH2000 süsteemis.
2. Projekteerimise aluseks OÜ Teedeprojekt töö nr.T04921 "Tartu läänepoolse ümbersõidu VI ehitusala ehitusprojekt"
3. Projekteerimise aluseks OÜ Altren Projekt töö nr 23031 "Tallinn-Tartu-Võru-Luhamaa Tartu läänepoolse ümbersõidu VI
ehitusala torustikud"
4. Projekteerimise aluseks OÜ Hepta Group Energy töö nr 21173 "Tallinn-Tartu-Võru-Luhamaa Tartu läänepoolse ümbersõidu VI
ehitusala elektri, side ja tänavavalgustus"
5. Projekteerimise aluseks Transpordiameti poolt väljastatud 23.08.2024 nr 7.1-2/24/14422-2 nõuded veetorustikuprojekti
koostamiseks riigitee nr 2 km 187,96-188,06 teemaal ja kaitsevööndis.
6. Projekteerimise aluseks Transpordiameti (endine Maanteeamet) juhend MA 2018-015 "Nõuded tehnovõrkude ja rajatiste
teemaale kavandamisel"
7. Kaevikuta torustike ehitamisel tuleb juhinduda standarditest EVS-EN 12889 ja EVS-EN 14457.
8. Enne ehitustööde alustamist tuleb tööde teostajal koostöös olemasolevate maa-aluste rajatiste valdajatega rajatiste asukoht
täpsustada ja tähistada. Tööde teostajal tuleb täita nimetatud rajatiste valdajate poolt esitatavaid nõudeid rajatiste vahetus
läheduses töötamisel.
9. Tööde teostajal tuleb arvestada olemasolevate, teadmata asukohaga rajatiste võimalikust ümberpaigutamisest tuleneva kuluga.
10. Tööde teostaja peab arvestama asjaoluga, et olemasolevate majaühendustorustike asukohad, sügavused ja läbimõõdud
võivad olla erinevad projektis näidatust. Tööde teostajal tuleb majaühendustorustikud täpsustada ehitustööde käigus ning
vajadusel korrigeerida projektlahendust.
11. Uute torustike rajamisel tuleb vana torustik ja kaevud tööst kõrvaldavates lõikudes likvideerida.
12. Lähemal kui 2m tehnovõrgust tuleb kaevetöid teha käsitsi.
13. Ristuvad elektri-ja sidekaablid ja sidekanalisatsioonitorustikud riputada seni kuni kaevik avatud. Kaablid asetada üle kaeviku
talade külge.
14. Ehituse tsooni jäävad elektri-ja tänavavalgustuse postid/mastid ehituse ajaks toestada, tagades nende püsivuse ja säilimise.
Tegevus kooskõlastada OÜ-ga Elektrilevi.
15. Tartu linnas kivi-ja süvenduspinnast võtab vastu AS Eesti Keskkonnateenused Turu tn 48 asuvas ladestuspaigas, asfalditükke
ja ehituslammutuse segajäätmeid võtab vastu OÜ Karimek Tehnika tänav 14 ja OÜ Reco Ringmajanduseteenused Jalaka
tänav 60b.
16. NB!!! Kulumiskihi asfaldisegus tuleb kasutada graniitkillustikku.
17.Teede teekatete taastamisel lähtuda olemasolevast teede vertikaalplaneeringust.
18. Juhul kui kaevetööde käigus kahjustatakse betoonäärekivisid, siis tuleb need demonteerida ja paigaldada uued kivid.
19. Ülekäigukohtades ja sissesõitudel taastada äärekivid 0 kõrgusega.
20. Teede teekatete taastamine joonisel on arvestatud torustike rajamisel toestatud kaevikuga. Teekatete taastamine ja uute
äärekivide paigaldamine on joonisel orienteeruv. Teekatete taastamine ja uute äärekivide paigaldamine sõltub ehitusmeetodist,
geoloogilistest tingimustest, ilmast ja ohutustingimustest. Juhul kui teekatted ja uute äärekivide paigaldamine tuleb taastada
suuremas mahus kui joonisel näidatud, siis kuuluvad need tööde teostaja töövõttu.
21. Juhul kui ehitustööde käigus kinnisel meetodil torustiku rajamine asendatakse kaeviku meetodiga, siis tuleb katendi taastust
korrigeerida ja lähtuda katendi taastamisel määrusest nr.1, § 10, lõige (3) lõige (3) https://www.riigiteataja.ee/akt/410012023001?leiaKehtiv.
22. Peale teekatete taastamist taastada teekatte markeering ja märgid.
23. Tee teekatete taastamisel järgida järgmisi nõudeid määrusi:
- Tee ehitamise kvaliteedi nõuded. Majandus-ja taristuministri 03.08.2015.a määrus nr.101
"Asfaldist katendikihtide ehitamise juhis TA 2021" kinnitatud Transpordi maanteehoiuteenistuse direktori
korraldusega 16.04.2021 nr.1.1-3/21/162.
- MT määrus nr 43 vastu võetud 13.07.2018 „Nõuded ajutisele liikluskorraldusele“.
ALTREN PROJEKT OÜ TINGMÄRGID, TÖÖ NR.T04921
(Tallinn-Tartu-Võru-Luhamaa Tartu läänepoolse ümersõidu
VI ehitusala torustikud)
Projekteeritud
sademeveekanalisatsioonitorustik
HEPTA GROUP ENERGY OÜ TINGMÄRGID, PROJEKTEERITUD ELEKTER, SIDE JA TÄNAVAVALGUSTUS
Paigaldatav sidekaabel
Sidekanalisatsioon
Madalpinge maakaabel, X-kaablite arv
Keskpinge maakaabel, X-kaablite arv
Tänavavalgustuse maakaabel, X-kaablite arv
Likvideerimine
Tugi
Liitumiskilp
Lülitus- ja juhtimiskilp
Jätkumuhv keskpinge
Jätkumuhv välisvalgustus
Jätkumuhv sidekaabel
Valgustusmasti demonteerimine
2 valgustiga valgustusmasti demonteerimine
Ümbertõstetav sidekaev
Valgusti, metallmast, jaland, konsool
Valgusti vahetus ol. ol. metallmastil, konsool
ÜKR Valgusti, metallmast, jaland
Metallmasti, konsool, 2x valgustit
Tunneli valgusti
Puitmast
Demonteeritav rajatis
Ümbertõstetav KP õhuliin
1 W
1 . 1
1
W
1
. 1
1
W
1
.
1
1
W
1
.
1
1
W
1
.
1
1
W
1
.
1
1
W
1
.
1
1
W
1
.
1
1
W
1
.
1
1
W
1
.
1
1
W
1
.
1
1
W
1
.
1
1
W
1
.
1
1
W
2
1
W
2
1
W
2
1
W
2
1
W
2
1
W
2
1
W
2
1
W
2
1
W
2
1
W
2
1
W
2
1
W
2
1
W
2
1
W
1
.
1
1
W
1
.
1
1
W
1
.
1
1
W
1
.
1
1
W
1
.
1
1
W
1
.
1
1
W
1
.
1
1
W
1
.
1
1
W
1
.
1
1
W
1
.
1
1
W
1
.
1
1
W
1
1
W
1
1
W
1
W
1
1
W
1
NÕUTAV NÄHTAVUSE PIIR
PROJEKTEERITUD MÜRATÕKKESEIN
PROJEKTEERITUD ÜHEPOOLNE PÕRKEPIIRE VIADUKTIL H2W1 (ESISERV)
PROJEKTEERITUD SÕIDUTEE BETOON / TARDKIVIST ÄÄREKIVI, h=12cm MADALDATUD ÄÄREKIVI KÕRGUS, cm
PROJEKTEERITUD TEE TELG PROJEKTEERITUD KATTE SERV
PROJEKTEERITUD BETOONPLAATIDEST (1 RIDA 30x30cm) MURUKAITSERIBA
PROJEKTEERITUD NÕLV
OÜ TEEDEPROJEKT TINGMÄRGID (TEEDE-EHITUSLIK OSA, TÖÖ NR.T04921)
10 7,5 4 2 0
TEEMAA PIIRI ETTEPANEK (TRAM)
PROJEKTEERITUD HORISONTAAL KÕRGUSARVUGA44.50
OLEMASOLEVA MAAPINNA HORISONTAAL KÕRGUSARVUGA44.50
MAANTEE/TÄNAVA KAITSEVÖÖNDI PIIRI ETTEPANEK PUURKAEVUDE SANITAARKAITSEALAD
PROJEKTEERITUD ÜHEPOOLNE PÕRKEPIIRE N2W3 (ESISERV)
PROJEKTEERITUD KERGLIIKLEJA PIIRE
PROJEKTEERITUD KAHEPOOLNE PÕRKEPIIRE H2W4
TEEGA KÜLGNEV VABA RUUM
KRAAVI PUHASTAMINE
KORRASHOIU LIIKUMISALA (4m) JA JUURDEPÄÄSU ASUKOHT
PROJEKTEERITUD ÜHEPOOLNE PÕRKEPIIRE H2W5 (ESISERV)
PROJEKTEERITUD TRUUP
TEEMAA PIIRI ETTEPANEK (KOV)
PROJEKTEERITUD TRUUP/VÄIKEULUKITE LÄBIPÄÄS
PROJEKTEERITUD KAHEPAIKSETE LÄBIPÄÄS
PROJEKTEERITUD PIIRDEAED
PROJEKTEERITUD KAHEPAIKSETE TÕKE. BETOONELEMENT h=400mm
PROJEKTEERITUD KAHEPAIKSETE TÕKE. AUGUSTATUD PLASTIKSEIN, AMX40 v. analoog
PROJEKTEERITUD SUUNAVIIDA KANDUR (RAAM/KONSOOL)
˛
ÜHENDUS OL.OLEVA TORUGA KK-44
53.47 (53.47) 1)51.25 2.22
KK-43 PE De400/315 53.47 (53.47) 1)50.96 2)51.24 2.51
ÜHENDUS OL.OLEVA TORUGA VS-21
53.14 (53.14) 1)50.98 2.27
VS-7
53.04 (53.50) 1)50.00 2)50.00 3.61
KK-72 PE De400/315 53.37 (53.37) 1)51.56 2)52.16 1.81
ÜHENDUS OL.OLEVA TORUGA KK-73
53.37 (53.37) 1)52.17 1.20
P
V
C
D
e
2
0
0
L
=
1
. 4
i =
0
. 0
0
5
P
V
C
D
e
1
6
0
L
=
8
. 5
i =
0
. 0
0
8
KK-61 PE De400/315 53.24 (53.24) 1)51.56 2)52.14 1.68
ÜHENDUS OL.OLEVA TORUGA KK-62
53.24 (53.24) 1)52.15 1.09
P V C D
e 1 6 0
L =
0 .8
i =
0 .0
0 8
KK-5 PE De560/500 53.40 (53.40) 1)51.14 2)51.72 3)51.14 2.26
P
V
C
D
e
1
6
0
PVC De200
L=2.1 i=0.005
P
V
C
D
e
2
0
0
L
=
5
.
3
i
=
0
.
0
0
5
KK-4 PE De560/500 53.38 (53.38) 1)50.90 2)50.90 3)50.90 4)50.90 2.48
1
2
KK-6 PE De560/500 53.32 (53.32) 1)51.44 2)51.44 3)51.49 1.88
OTSAKORK KK-71
53.34 (53.34) 1)51.55 1.79
VS-3
53.24 (53.24) 1)51.08 2)51.08 2.27
P
E
H
D
e
1
1
0
L
=
4
. 0
HÜDRANT H-1
53.61 (53.70) 1)51.66 2.06 ol.olevast maapinnast
Kaevik!
Kaevik!
VS-15
53.36 (53.70) 1)50.86 2.61 ol.olevast maapinnast
VS1-2
53.33 (53.33) 1)51.53 sügavus orienteeruv 1.91
P
E
H
D
e
1
1
0
L
=
1
4
.
6
VS-8
53.28 (51.95) 1)50.20 2)50.20 1.86
P
E
H
D
e
1
1
0
L
=
1
6
.
6
P
E
H
D
e
1
1
0
L
=
3
1
.
7
KK-41 PE De400/315 53.32 (53.32) 1)50.97 2)50.97 2.35
KK-31 PE De400/315 53.15 (53.15) 1)51.07 2)51.07 2.08
KK-42 PE De400/315 53.33 (53.33) 1)51.09 2)51.20 2.24
P
V
C
D
e 1
6
0
L =
6
. 2
i =
0
. 0
0
8
P
V
C
D
e 2 0 0 L =
3 2 . 3 i =
0 . 0 0 5
1
2
P
V
C
D
e
1
6
0
L =
1
6
. 7
i =
0
. 0
0
8
P
V
C
D
e
1
6
0 L
=
8
.
4
i =
0
.
0
0
8
KK-32 PE De400/315 52.95 (52.95) 1)51.12 2)52.03 3)51.29 1.83
D
N
1
0
0
m
a
l
m
DN100 malm
1
2
3
Ettevaatust veetorustik!
1
2
D
N
2
0
0
k
e
r
?
NB! Ristumisel paigaldada
olemasolev veetoru sügavamale.
VS-14
53.36 (53.70) 1)50.86 2)50.86 2.61 ol.olevast maapinnast
P
V
C
D
e
2
0
0
L
=
6
1
. 1
i =
0
. 0
0
5
1
2
3
4
P
V
C
D
e
2
0
0
L
=
4
6
. 4
i =
0
. 0
0
5
P
V
C
D
e
2
0
0
L
=
9
.
2
i
=
0
.
0
0
6
1
2
P
V
C
D
e
1
6
0
L
=
8
. 2
i =
0
. 0
0
8
P
V
C
D
e
1
6
0
L
=
1
6
.
8
i
=
0
.
0
0
7
1
2
Ettevaatust veetorustik!
Ettevaatust sidekaabel!
Ettevaatust sidekaabel!
Veekaev likvideerida!
Veekaev likvideerida!
Ettevaatust veetorustik!
Ettevaatust veetorustik!
Ettevaatust sidekaabel!
Ettevaatust elektripost elektri-ja sidekaablitega!
Ettevaatust elektripostitugi!
Ettevaatust elektri-ja sideõhuliin!
KK-3 PE De560/500 53.24 (53.24) 1)50.60 2)50.94 3)50.60 4)51.57 2.64
Ettevaatust elektripost
elektri-ja sidekaablitega!
NB! Vajadusel veekaev likvideerida!
KK-2 PE De560/500 53.15 (53.15) 1)50.44 2)50.44 2.71
Ettevaatust kõrgepingekaablid!
Ettevaatust kõrgepingekaablid!
Ettevaatust veetorustik!
Ettevaatust veetorustik!
Ettevaatust elektri-ja sideõhuliin!
1
2
Ettevaatust madalpingekaabel!
Ettevaatust madalpingekaabel!
Ettevaatust madalpinge õhuliin!
Ettevaatust veetorustik!
1
2
3
4
Ettevaatust veetorustik!
Ettevaatust kõrgepinge õhuliin!
Ettevaatust veetorustik!
Ettevaatust kõrgepinge õhuliin!
ÜHENDUS OL.OLEVA TORUGA VS-1
53.16 (53.16) 1)51.12 2.15
P
E
H
D
e
1
1
0
L =
3
2
. 4
P
V
C
D
e
2
0
0
L
=
1
4
. 3
i =
0
. 0
0
5
P
V
C
D
e
2
0
0
L
=
9
.
7
i
=
0
.
0
0
5
1
2
P
V
C
D
e
2
0
0
L
=
1
. 0
i =
0
. 0
3
4
VS-4
52.80 (52.80) 1)50.96 2)50.96 3)50.96 1.95
KK-33 PE De400/315 53.39 (53.39) 1)51.64 2)52.46 1.75
D
N
1
0
0
K
e
r
1
2
VS-2
53.16 (53.16) 1)51.11 2)51.11 3)51.11 2.16
P
E
H
D
e
1
1
0
L
=
2
7
. 8
NB! Olemasolev kolmik DN100 sõlmes VS-15 pöörata ringi
Ettevaatust kõrgepinge õhuliin!
Ettevaatust kõrgepinge õhuliin
ja läheduses kõrgepinge elektripost!
Ettevaatust kõrgepinge õhuliin!
Ettevaatust sidekaabel!
Ettevaatust truup!
Ettevaatust madalpinge õhuliin!
VS-41
53.12 (53.12) 1)51.13 2)51.02 2.10
Ettevaatust sidekaabel!
Ettevaatust truup!
Ettevaatust kõrgepinge õhuliin
ja läheduses kõrgepinge elektripost!
Ettevaatust sidekaabel!
Ettevaatust drenaaž! Torustiku asukoht
asendiplaanil ja sügavus ning läbimõõt pikiprofiilil
orienteeruv. Täpsustada ehitustööde käigus.
Ettevaatust drenaaž! Torustiku asukoht asendiplaanil ja
sügavus ning läbimõõt pikiprofiili joonisel orienteeruv.
Täpsustada ehitustööde käigus.
Ettevaatust sidekaabel!
Ettevaatust sidekaabel!
Ettevaatust sidekaabel!
Ettevaatust sidekaabel!
VS-10
53.70 (53.75) 1)51.50 2)51.50 2.31 ol.olevast maapinnast
P E H
D
e 1 1 0 L =
2 0 . 6
Ettevaatust elektri-ja sideõhuliin!
VS-5
52.82 (52.82) 1)50.90 2)50.90 2.03
VS-6
52.86 (53.00) 1)50.05 2)50.05 3.06
P
E
H
D
e
1
1
0
L
=
3
1
. 8
VS-13
53.63 (53.63) 1)51.57 2)51.57 3)51.57 2.17
P
E
H
D
e
1
1
0
L
=
2
1
. 0
Veetorustik rajada kinnisel meetodil.
Veetorustik rajada kogu teemaa ulatuses kaitsetorus.
Vaata lisaks "Nõuded tehnovõrkude ja rajatiste
teemaale kavandamisel" MA 2018-015
NB! Vaata lisaks joonist VVK-3
NB! Veetorustik likvideerida.
Sulgeda sadula juurest
elekterkeevis otsakorgiga PE De32!
P
E
H
D
e
1
1
0
L
=
1
.
7
P
E
H
D
e
1
1
0
L
=
8
.
2
P
E
H
D
e
1
1
0
L
=
1
.
5
NB! Põllumajandus maal põllukultuuri taastamine ja tööde teostamise
aeg kooskõlastada eelnevalt enne ehitustöid põllumaa omanikuga!
Ettevaatust madalpinge õhuliinid
ja läheduses elektripost!
NB! Põllumajandus maal põllukultuuri taastamine ja tööde teostamise
aeg kooskõlastada eelnevalt enne ehitustöid põllumaa omanikuga!
VS-9
53.20 (52.93) 1)51.05 2)51.05 2.26 ol.olevast maapinnast
VS-11
53.70 (53.70) 1)51.90 2)51.90 1.91
VS-12
53.50 (53.50) 1)51.70 2)51.70 1.91
Likvideeritav veetorustik!
Ettevaatust ELA SA sidekanalisatsioon!
KK-7 PE De560/500 53.34 (53.34) 1)51.52 2)51.56 3)51.52 4)51.52 1.82
P
V
C
D
e
1
6
0
L
=
0
. 8
i =
0
. 0
0
7
1
2
3
4
OTSAKORK KK-70
53.34 (53.34) 1)51.56 1.78
P
V
C
D
e
2
0
0
L
=
3
9
. 0
i =
0
. 0
0
5
1
2
3
P
V
C
D
e
2
0
0
L
=
2
2
. 7
i =
0
. 0
0
5
1
2
3
KK-06 PE De560/500 53.42 (53.42) 1)51.33 2)51.37 3)51.33 2.09
P
V
C
D
e
1
6
0
L
=
2
. 3
i =
0
. 0
0
7
OTSAKORK KK-061
53.47 (53.47) 1)51.39 2.08
1
2
3
MAAKRAAN DN25 VS-02
53.42 (53.42) 1)51.32 2)51.32 2.13
SADUL De110-32 VS-01
53.23 (53.23) 1)51.04 2.22
P
E
D
e
3
2
L
=
9
. 8
OTSAKORK VS-03
53.47 (53.47) 1)51.35 2.15
VS1-1
53.36 (53.70) 1)50.86 2.61 ol.olevast maapinnast
Ettevaatust kõrgepinge õhuliin
ja läheduses kõrgepinge elektripost!
Ettevaatust madalpingekaabel!
Ettevaatust madalpingekaabel!
Ettevaatust madalpingekaabel!
Ettevaatust kõrgepinge õhuliin
ja läheduses kõrgepinge elektripost!
P
E
H
D
e
1
1
0
L
=
6
0
. 9
P
E
H
D
e
1
1
0
L
=
5
5
.
2
P
E
H
D
e
1
1
0
L
=
2
4
.
6
P
E
H
D
e
1
1
0
L
=
1
1
.
6
0.0 4
0.0 5
v=40 km/h
v=50 km/h v=40 km/h
1.4
1.4
P
e r s p e k t i i v s e 2 +
2 p õ h i m
a a n t e e
m
u l d e ü l e m
i n e s e r v
P
e r s p e k t i i v s e 2 +
2 p õ h i m
a a n t e e
m
u l d e ü l e m
i n e s e r v
1:1.75
1:3
961
1:1.75
0.00°
1.8 1°
P
r o j . t r e p p
P
e r s p e k t i i v s e 2 +
2 p õ h i m
a a n t e e
m
u l d e ü l e m
i n e s e r v
O
l . o l e v k õ r v a l h o o n e v ä r a v
t õ s t a ü m
b e r n ä i d a t u d a s u k o h t a
SU U
N A
V IIT 621
6000x3000m m
400 m
2
NÕLV A TE
E
E26 3 L
ÕIK 5
E263 LÕIK 5
MS 2 MS
2 MS
3
MS 3
¨
¨
Muudatuse nr. Kuupäev Projekteeris Selgitus
OÜ LIHTSAD LINNAMEHED
UUS TN 32-3, TARTU 50603. Reg. kood 11105794
Litsents EEP000313 v.a 06-04-05
ROOSI TÄNAV JA NÕLVA TEE
KAMBJA VALD, REOLA KÜLA
PROJEKTEERIJA AHTI SÄRG
VEEVARUSTUS JA KANALISATSIOON
(ASENDIPLAAN PLANEERITAVA
TALLINN-TARTU-VÕRU-LUHAMAA TARTU
LÄÄNEPOOLSE ÜMBERSÕIDU EHITUSALAGA)
PROJEKTEERIJA
LAURI KÜNNAPUU
OÜ TPK PROJEKT
TELLIJA AS TARTU VEEVÄRK
TÖÖ NR. 2024-11 LL
JOONISE NR. VVK-1
MÕÕTKAVA 1.500
KUUPÄEV SEPTEMBER 2024 VÄLISVÕRGUD, TÖÖPROJEKT
TINGMÄRGID
Projekteeritud kanalisatsioonitorustiku
otsakork
Projekteeritud kanalisatsiooni vaatluskaev
Projekteeritud maa-alune
tuletõrjehüdrandikaev
Projekteeritud kapega maakraan/siiber
Projekteeritud veetorustiku sõlm
Projekteeritud veetorustik (torustiku rajamine
lahtise kaevikuga meetodil)
Projekteeritud veetorustik (torustiku rajamine
kinnisel meetodil)
Projekteeritud kanalisatsioonitorustik
Likvideeritav veetorustik
Likvideeritav kanalisatsioonitorustik
Likvideeritav kaev
Veetorustik
Kanalisatsioonitorustik
Drenaažitorustik
Sademeveetorustik
Sidekanalisatsioon
Sidekaabel
Madalpingekaabel
Madalpinge õhuliin
Kõrgepingekaabel
Kõrgepinge õhuliin
TEEDE TEEKATETE TAASTAMINE PEALE
TORUSTIKE EHITUSTÖID
Taastatav 1.kihiline sõidutee asfaltkate
Taastatav freespurust kate
Taastatav killustikust kate
Taastatav kruusast kate/ kruusast teepeenar
Taastatav sillutiskate betoonkivi/betoonplaat)
Taastatav haljasala (muru)
Taastatav põllukultuur põllumaal koostöö
põllumaa omanikuga
MÄRKUSED:
1. Joonise aluseks on Kambja vald, Reola küla, Roosi tänava ja Nõlva tee vee-ja kanalisatsioonitorustiku projekti geodeetiline
alusplaan. Geodeetiline alusplaan on koostatud OÜ Geodeesia poolt 18.04.2024, töö nr.GE-4148. Koordinaadid on L-Est´97
süsteemis ja kõrgused on EH2000 süsteemis.
2. Projekteerimise aluseks OÜ Teedeprojekt töö nr.T04921 "Tartu läänepoolse ümbersõidu VI ehitusala ehitusprojekt"
3. Projekteerimise aluseks OÜ Altren Projekt töö nr 23031 "Tallinn-Tartu-Võru-Luhamaa Tartu läänepoolse ümbersõidu VI
ehitusala torustikud"
4. Projekteerimise aluseks OÜ Hepta Group Energy töö nr 21173 "Tallinn-Tartu-Võru-Luhamaa Tartu läänepoolse ümbersõidu VI
ehitusala elektri, side ja tänavavalgustus"
5. Projekteerimise aluseks Transpordiameti poolt väljastatud 23.08.2024 nr 7.1-2/24/14422-2 nõuded veetorustikuprojekti
koostamiseks riigitee nr 2 km 187,96-188,06 teemaal ja kaitsevööndis.
6. Projekteerimise aluseks Transpordiameti (endine Maanteeamet) juhend MA 2018-015 "Nõuded tehnovõrkude ja rajatiste
teemaale kavandamisel"
7. Kaevikuta torustike ehitamisel tuleb juhinduda standarditest EVS-EN 12889 ja EVS-EN 14457.
8. Enne ehitustööde alustamist tuleb tööde teostajal koostöös olemasolevate maa-aluste rajatiste valdajatega rajatiste asukoht
täpsustada ja tähistada. Tööde teostajal tuleb täita nimetatud rajatiste valdajate poolt esitatavaid nõudeid rajatiste vahetus
läheduses töötamisel.
9. Tööde teostajal tuleb arvestada olemasolevate, teadmata asukohaga rajatiste võimalikust ümberpaigutamisest tuleneva kuluga.
10. Tööde teostaja peab arvestama asjaoluga, et olemasolevate majaühendustorustike asukohad, sügavused ja läbimõõdud
võivad olla erinevad projektis näidatust. Tööde teostajal tuleb majaühendustorustikud täpsustada ehitustööde käigus ning
vajadusel korrigeerida projektlahendust.
11. Uute torustike rajamisel tuleb vana torustik ja kaevud tööst kõrvaldavates lõikudes likvideerida.
12. Lähemal kui 2m tehnovõrgust tuleb kaevetöid teha käsitsi.
13. Ristuvad elektri-ja sidekaablid ja sidekanalisatsioonitorustikud riputada seni kuni kaevik avatud. Kaablid asetada üle kaeviku
talade külge.
14. Ehituse tsooni jäävad elektri-ja tänavavalgustuse postid/mastid ehituse ajaks toestada, tagades nende püsivuse ja säilimise.
Tegevus kooskõlastada OÜ-ga Elektrilevi.
15. Tartu linnas kivi-ja süvenduspinnast võtab vastu AS Eesti Keskkonnateenused Turu tn 48 asuvas ladestuspaigas, asfalditükke
ja ehituslammutuse segajäätmeid võtab vastu OÜ Karimek Tehnika tänav 14 ja OÜ Reco Ringmajanduseteenused Jalaka
tänav 60b.
16. NB!!! Kulumiskihi asfaldisegus tuleb kasutada graniitkillustikku.
17.Teede teekatete taastamisel lähtuda olemasolevast teede vertikaalplaneeringust.
18. Juhul kui kaevetööde käigus kahjustatakse betoonäärekivisid, siis tuleb need demonteerida ja paigaldada uued kivid.
19. Ülekäigukohtades ja sissesõitudel taastada äärekivid 0 kõrgusega.
20. Teede teekatete taastamine joonisel on arvestatud torustike rajamisel toestatud kaevikuga. Teekatete taastamine ja uute
äärekivide paigaldamine on joonisel orienteeruv. Teekatete taastamine ja uute äärekivide paigaldamine sõltub ehitusmeetodist,
geoloogilistest tingimustest, ilmast ja ohutustingimustest. Juhul kui teekatted ja uute äärekivide paigaldamine tuleb taastada
suuremas mahus kui joonisel näidatud, siis kuuluvad need tööde teostaja töövõttu.
21. Juhul kui ehitustööde käigus kinnisel meetodil torustiku rajamine asendatakse kaeviku meetodiga, siis tuleb katendi taastust
korrigeerida ja lähtuda katendi taastamisel määrusest nr.1, § 10, lõige (3) lõige (3) https://www.riigiteataja.ee/akt/410012023001?leiaKehtiv.
22. Peale teekatete taastamist taastada teekatte markeering ja märgid.
23. Tee teekatete taastamisel järgida järgmisi nõudeid määrusi:
- Tee ehitamise kvaliteedi nõuded. Majandus-ja taristuministri 03.08.2015.a määrus nr.101
"Asfaldist katendikihtide ehitamise juhis TA 2021" kinnitatud Transpordi maanteehoiuteenistuse direktori
korraldusega 16.04.2021 nr.1.1-3/21/162.
- MT määrus nr 43 vastu võetud 13.07.2018 „Nõuded ajutisele liikluskorraldusele“.
ALTREN PROJEKT OÜ TINGMÄRGID, TÖÖ NR.T04921
(Tallinn-Tartu-Võru-Luhamaa Tartu läänepoolse ümersõidu
VI ehitusala torustikud)
Projekteeritud
sademeveekanalisatsioonitorustik
HEPTA GROUP ENERGY OÜ TINGMÄRGID, PROJEKTEERITUD ELEKTER, SIDE JA TÄNAVAVALGUSTUS
Paigaldatav sidekaabel
Sidekanalisatsioon
Madalpinge maakaabel, X-kaablite arv
Keskpinge maakaabel, X-kaablite arv
Tänavavalgustuse maakaabel, X-kaablite arv
Likvideerimine
Tugi
Liitumiskilp
Lülitus- ja juhtimiskilp
Jätkumuhv keskpinge
Jätkumuhv välisvalgustus
Jätkumuhv sidekaabel
Valgustusmasti demonteerimine
2 valgustiga valgustusmasti demonteerimine
Ümbertõstetav sidekaev
Valgusti, metallmast, jaland, konsool
Valgusti vahetus ol. ol. metallmastil, konsool
ÜKR Valgusti, metallmast, jaland
Metallmasti, konsool, 2x valgustit
Tunneli valgusti
Puitmast
Demonteeritav rajatis
Ümbertõstetav KP õhuliin
1 W
1 . 1
1
W
1
. 1
1
W
1
.
1
1
W
1
.
1
1
W
1
.
1
1
W
1
.
1
1
W
1
.
1
1
W
1
.
1
1
W
1
.
1
1
W
1
.
1
1
W
1
.
1
1
W
1
.
1
1
W
1
.
1
1
W
2
1
W
2
1
W
2
1
W
2
1
W
2
1
W
2
1
W
2
1
W
2
1
W
2
1
W
2
1
W
2
1
W
2
1
W
2
1
W
1
.
1
1
W
1
.
1
1
W
1
.
1
1
W
1
.
1
1
W
1
.
1
1
W
1
.
1
1
W
1
.
1
1
W
1
.
1
1
W
1
.
1
1
W
1
.
1
1
W
1
.
1
1
W
1
1
W
1
1
W
1
W
1
1
W
1
NÕUTAV NÄHTAVUSE PIIR
PROJEKTEERITUD MÜRATÕKKESEIN
PROJEKTEERITUD ÜHEPOOLNE PÕRKEPIIRE VIADUKTIL H2W1 (ESISERV)
PROJEKTEERITUD SÕIDUTEE BETOON / TARDKIVIST ÄÄREKIVI, h=12cm MADALDATUD ÄÄREKIVI KÕRGUS, cm
PROJEKTEERITUD TEE TELG PROJEKTEERITUD KATTE SERV
PROJEKTEERITUD BETOONPLAATIDEST (1 RIDA 30x30cm) MURUKAITSERIBA
PROJEKTEERITUD NÕLV
OÜ TEEDEPROJEKT TINGMÄRGID (TEEDE-EHITUSLIK OSA, TÖÖ NR.T04921)
10 7,5 4 2 0
TEEMAA PIIRI ETTEPANEK (TRAM)
PROJEKTEERITUD HORISONTAAL KÕRGUSARVUGA44.50
OLEMASOLEVA MAAPINNA HORISONTAAL KÕRGUSARVUGA44.50
MAANTEE/TÄNAVA KAITSEVÖÖNDI PIIRI ETTEPANEK PUURKAEVUDE SANITAARKAITSEALAD
PROJEKTEERITUD ÜHEPOOLNE PÕRKEPIIRE N2W3 (ESISERV)
PROJEKTEERITUD KERGLIIKLEJA PIIRE
PROJEKTEERITUD KAHEPOOLNE PÕRKEPIIRE H2W4
TEEGA KÜLGNEV VABA RUUM
KRAAVI PUHASTAMINE
KORRASHOIU LIIKUMISALA (4m) JA JUURDEPÄÄSU ASUKOHT
PROJEKTEERITUD ÜHEPOOLNE PÕRKEPIIRE H2W5 (ESISERV)
PROJEKTEERITUD TRUUP
TEEMAA PIIRI ETTEPANEK (KOV)
PROJEKTEERITUD TRUUP/VÄIKEULUKITE LÄBIPÄÄS
PROJEKTEERITUD KAHEPAIKSETE LÄBIPÄÄS
PROJEKTEERITUD PIIRDEAED
PROJEKTEERITUD KAHEPAIKSETE TÕKE. BETOONELEMENT h=400mm
PROJEKTEERITUD KAHEPAIKSETE TÕKE. AUGUSTATUD PLASTIKSEIN, AMX40 v. analoog
PROJEKTEERITUD SUUNAVIIDA KANDUR (RAAM/KONSOOL)
˛
ÜHENDUS OL.OLEVA TORUGA KK-44
53.47 (53.47) 1)51.25 2.22
KK-43 PE De400/315 53.47 (53.47) 1)50.96 2)51.24 2.51
ÜHENDUS OL.OLEVA TORUGA VS-21
53.14 (53.14) 1)50.98 2.27
VS-7
53.04 (53.50) 1)50.00 2)50.00 3.61
KK-72 PE De400/315 53.37 (53.37) 1)51.56 2)52.16 1.81
ÜHENDUS OL.OLEVA TORUGA KK-73
53.37 (53.37) 1)52.17 1.20
P
V
C
D
e
2
0
0
L
=
1
. 4
i =
0
. 0
0
5
P
V
C
D
e
1
6
0
L
=
8
. 5
i =
0
. 0
0
8
KK-61 PE De400/315 53.24 (53.24) 1)51.56 2)52.14 1.68
ÜHENDUS OL.OLEVA TORUGA KK-62
53.24 (53.24) 1)52.15 1.09
P V C D
e 1 6 0
L =
0 .8
i =
0 .0
0 8
KK-5 PE De560/500 53.40 (53.40) 1)51.14 2)51.72 3)51.14 2.26
P
V
C
D
e
1
6
0
PVC De200
L=2.1 i=0.005
P
V
C
D
e
2
0
0
L
=
5
.
3
i
=
0
.
0
0
5
KK-4 PE De560/500 53.38 (53.38) 1)50.90 2)50.90 3)50.90 4)50.90 2.48
1
2
KK-6 PE De560/500 53.32 (53.32) 1)51.44 2)51.44 3)51.49 1.88
OTSAKORK KK-71
53.34 (53.34) 1)51.55 1.79
VS-3
53.24 (53.24) 1)51.08 2)51.08 2.27
P
E
H
D
e
1
1
0
L
=
4
. 0
HÜDRANT H-1
53.61 (53.70) 1)51.66 2.06 ol.olevast maapinnast
Kaevik!
Kaevik!
VS-15
53.36 (53.70) 1)50.86 2.61 ol.olevast maapinnast
VS1-2
53.33 (53.33) 1)51.53 sügavus orienteeruv 1.91
P
E
H
D
e
1
1
0
L
=
1
4
.
6
VS-8
53.28 (51.95) 1)50.20 2)50.20 1.86
P
E
H
D
e
1
1
0
L
=
1
6
.
6
P
E
H
D
e
1
1
0
L
=
3
1
.
7
KK-41 PE De400/315 53.32 (53.32) 1)50.97 2)50.97 2.35
KK-31 PE De400/315 53.15 (53.15) 1)51.07 2)51.07 2.08
KK-42 PE De400/315 53.33 (53.33) 1)51.09 2)51.20 2.24
P
V
C
D
e 1
6
0
L =
6
. 2
i =
0
. 0
0
8
P
V
C
D
e 2 0 0 L =
3 2 . 3 i =
0 . 0 0 5
1
2
P
V
C
D
e
1
6
0
L =
1
6
. 7
i =
0
. 0
0
8
P
V
C
D
e
1
6
0 L
=
8
.
4
i =
0
.
0
0
8
KK-32 PE De400/315 52.95 (52.95) 1)51.12 2)52.03 3)51.29 1.83
D
N
1
0
0
m
a
l
m
DN100 malm
1
2
3
Ettevaatust veetorustik!
1
2
D
N
2
0
0
k
e
r
?
NB! Ristumisel paigaldada
olemasolev veetoru sügavamale.
VS-14
53.36 (53.70) 1)50.86 2)50.86 2.61 ol.olevast maapinnast
P
V
C
D
e
2
0
0
L
=
6
1
. 1
i =
0
. 0
0
5
1
2
3
4
P
V
C
D
e
2
0
0
L
=
4
6
. 4
i =
0
. 0
0
5
P
V
C
D
e
2
0
0
L
=
9
.
2
i
=
0
.
0
0
6
1
2
P
V
C
D
e
1
6
0
L
=
8
. 2
i =
0
. 0
0
8
P
V
C
D
e
1
6
0
L
=
1
6
.
8
i
=
0
.
0
0
7
1
2
Ettevaatust veetorustik!
Ettevaatust sidekaabel!
Ettevaatust sidekaabel!
Veekaev likvideerida!
Veekaev likvideerida!
Ettevaatust veetorustik!
Ettevaatust veetorustik!
Ettevaatust sidekaabel!
Ettevaatust elektripost elektri-ja sidekaablitega!
Ettevaatust elektripostitugi!
Ettevaatust elektri-ja sideõhuliin!
KK-3 PE De560/500 53.24 (53.24) 1)50.60 2)50.94 3)50.60 4)51.57 2.64
Ettevaatust elektripost
elektri-ja sidekaablitega!
NB! Vajadusel veekaev likvideerida!
KK-2 PE De560/500 53.15 (53.15) 1)50.44 2)50.44 2.71
Ettevaatust kõrgepingekaablid!
Ettevaatust kõrgepingekaablid!
Ettevaatust veetorustik!
Ettevaatust veetorustik!
Ettevaatust elektri-ja sideõhuliin!
1
2
Ettevaatust madalpingekaabel!
Ettevaatust madalpingekaabel!
Ettevaatust madalpinge õhuliin!
Ettevaatust veetorustik!
1
2
3
4
Ettevaatust veetorustik!
Ettevaatust kõrgepinge õhuliin!
Ettevaatust veetorustik!
Ettevaatust kõrgepinge õhuliin!
ÜHENDUS OL.OLEVA TORUGA VS-1
53.16 (53.16) 1)51.12 2.15
P
E
H
D
e
1
1
0
L =
3
2
. 4
P
V
C
D
e
2
0
0
L
=
1
4
. 3
i =
0
. 0
0
5
P
V
C
D
e
2
0
0
L
=
9
.
7
i
=
0
.
0
0
5
1
2
P
V
C
D
e
2
0
0
L
=
1
. 0
i =
0
. 0
3
4
VS-4
52.80 (52.80) 1)50.96 2)50.96 3)50.96 1.95
KK-33 PE De400/315 53.39 (53.39) 1)51.64 2)52.46 1.75
D
N
1
0
0
K
e
r
1
2
VS-2
53.16 (53.16) 1)51.11 2)51.11 3)51.11 2.16
P
E
H
D
e
1
1
0
L
=
2
7
. 8
NB! Olemasolev kolmik DN100 sõlmes VS-15 pöörata ringi
Ettevaatust kõrgepinge õhuliin!
Ettevaatust kõrgepinge õhuliin
ja läheduses kõrgepinge elektripost!
Ettevaatust kõrgepinge õhuliin!
Ettevaatust sidekaabel!
Ettevaatust truup!
Ettevaatust madalpinge õhuliin!
VS-41
53.12 (53.12) 1)51.13 2)51.02 2.10
Ettevaatust sidekaabel!
Ettevaatust truup!
Ettevaatust kõrgepinge õhuliin
ja läheduses kõrgepinge elektripost!
Ettevaatust sidekaabel!
Ettevaatust drenaaž! Torustiku asukoht
asendiplaanil ja sügavus ning läbimõõt pikiprofiilil
orienteeruv. Täpsustada ehitustööde käigus.
Ettevaatust drenaaž! Torustiku asukoht asendiplaanil ja
sügavus ning läbimõõt pikiprofiili joonisel orienteeruv.
Täpsustada ehitustööde käigus.
Ettevaatust sidekaabel!
Ettevaatust sidekaabel!
Ettevaatust sidekaabel!
Ettevaatust sidekaabel!
VS-10
53.70 (53.75) 1)51.50 2)51.50 2.31 ol.olevast maapinnast
P E H
D
e 1 1 0 L =
2 0 . 6
Ettevaatust elektri-ja sideõhuliin!
VS-5
52.82 (52.82) 1)50.90 2)50.90 2.03
VS-6
52.86 (53.00) 1)50.05 2)50.05 3.06
P
E
H
D
e
1
1
0
L
=
3
1
. 8
VS-13
53.63 (53.63) 1)51.57 2)51.57 3)51.57 2.17
P
E
H
D
e
1
1
0
L
=
2
1
. 0
Veetorustik rajada kinnisel meetodil.
Veetorustik rajada kogu teemaa ulatuses kaitsetorus.
Vaata lisaks "Nõuded tehnovõrkude ja rajatiste
teemaale kavandamisel" MA 2018-015
NB! Vaata lisaks joonist VVK-3
NB! Veetorustik likvideerida.
Sulgeda sadula juurest
elekterkeevis otsakorgiga PE De32!
P
E
H
D
e
1
1
0
L
=
1
.
7
P
E
H
D
e
1
1
0
L
=
8
.
2
P
E
H
D
e
1
1
0
L
=
1
.
5
NB! Põllumajandus maal põllukultuuri taastamine ja tööde teostamise
aeg kooskõlastada eelnevalt enne ehitustöid põllumaa omanikuga!
Ettevaatust madalpinge õhuliinid
ja läheduses elektripost!
NB! Põllumajandus maal põllukultuuri taastamine ja tööde teostamise
aeg kooskõlastada eelnevalt enne ehitustöid põllumaa omanikuga!
VS-9
53.20 (52.93) 1)51.05 2)51.05 2.26 ol.olevast maapinnast
VS-11
53.70 (53.70) 1)51.90 2)51.90 1.91
VS-12
53.50 (53.50) 1)51.70 2)51.70 1.91
Likvideeritav veetorustik!
Ettevaatust ELA SA sidekanalisatsioon!
KK-7 PE De560/500 53.34 (53.34) 1)51.52 2)51.56 3)51.52 4)51.52 1.82
P
V
C
D
e
1
6
0
L
=
0
. 8
i =
0
. 0
0
7
1
2
3
4
OTSAKORK KK-70
53.34 (53.34) 1)51.56 1.78
P
V
C
D
e
2
0
0
L
=
3
9
. 0
i =
0
. 0
0
5
1
2
3
P
V
C
D
e
2
0
0
L
=
2
2
. 7
i =
0
. 0
0
5
1
2
3
KK-06 PE De560/500 53.42 (53.42) 1)51.33 2)51.37 3)51.33 2.09
P
V
C
D
e
1
6
0
L
=
2
. 3
i =
0
. 0
0
7
OTSAKORK KK-061
53.47 (53.47) 1)51.39 2.08
1
2
3
MAAKRAAN DN25 VS-02
53.42 (53.42) 1)51.32 2)51.32 2.13
SADUL De110-32 VS-01
53.23 (53.23) 1)51.04 2.22
P
E
D
e
3
2
L
=
9
. 8
OTSAKORK VS-03
53.47 (53.47) 1)51.35 2.15
VS1-1
53.36 (53.70) 1)50.86 2.61 ol.olevast maapinnast
Ettevaatust kõrgepinge õhuliin
ja läheduses kõrgepinge elektripost!
Ettevaatust madalpingekaabel!
Ettevaatust madalpingekaabel!
Ettevaatust madalpingekaabel!
Ettevaatust kõrgepinge õhuliin
ja läheduses kõrgepinge elektripost!
P
E
H
D
e
1
1
0
L
=
6
0
. 9
P
E
H
D
e
1
1
0
L
=
5
5
.
2
P
E
H
D
e
1
1
0
L
=
2
4
.
6
P
E
H
D
e
1
1
0
L
=
1
1
.
6
| Nimi | K.p. | Δ | Viit | Tüüp | Org | Osapooled |
|---|---|---|---|---|---|---|
| Notari leping 1806 | 22.10.2025 | 1 | 3.2-2/25/1588-1 | Maaleping | transpordiamet | |
| Riigivara tasuta kasutamiseks andmine ja kinnisasja koormamine isikliku kasutusõigusega | 14.10.2025 | 1 | 1.1-3/25/637 | Korraldus | transpordiamet | |
| AS Tartu Veevärk taotlus veetorustiku paigalduseks 2 Tallinn-Tartu-Võru-Luhamaa | 10.10.2025 | 3 | 7.1-5/25/17330-1 | Sissetulev kiri | transpordiamet | aktsiaselts Tartu Veevärk |
| Vee- ja kanalisatsiooniprojekti kooskõlastamine riigitee nr 2 maaüksuse piires ja tee kaitsevööndis | 03.12.2024 | 3 | 7.1-2/24/14422-10 | Valjaminev kiri | transpordiamet | Oü Lihtsad Linnamehed |
| Veetorustikuprojekti koostamine riigitee nr 2 km 187,96-188,06 teemaal ja kaitsevööndis | 26.11.2024 | 2 | 7.1-2/24/14422-9 | Sissetulev kiri | transpordiamet | Oü Lihtsad Linnamehed |
| Veetorustiku rajamine kinnisel meetodil Tallinn-Tartu-Võru-Luhamaa Tartu läänepoolse ümbersõidu VI ehitusalas | 28.10.2024 | 2 | 7.1-2/24/14422-6 | Sissetulev kiri | transpordiamet | Oü Lihtsad Linnamehed |
| Nõuded veetorustikuprojekti koostamiseks riigitee nr 2 km 187,96-188,06 teemaal ja kaitsevööndis | 28.10.2024 | 2 | 7.1-2/24/14422-7 | Valjaminev kiri | transpordiamet | Oü Lihtsad Linnamehed |
| Kiri | 18.10.2024 | 3 | 7.1-2/24/14422-5 | Sissetulev kiri | transpordiamet | Oü Lihtsad Linnamehed |
| Veetorustiku rajamine kinnisel meetodil Tallinn-Tartu-Võru-Luhamaa Tartu läänepoolse ümbersõidu VI ehitusalas | 15.10.2024 | 2 | 7.1-2/24/14422-4 | Valjaminev kiri | transpordiamet | Oü Lihtsad Linnamehed |
| Veetorustiku rajamine kinnisel meetodil Tallinn-Tartu-Võru-Luhamaa Tartu läänepoolse ümbersõidu VI ehitusalas | 02.10.2024 | 2 | 7.1-2/24/14422-3 | Sissetulev kiri | transpordiamet | Oü Lihtsad Linnamehed |
| Nõuded veetorustikuprojekti koostamiseks riigitee nr 2 km 187,96-188,06 teemaal ja kaitsevööndis | 23.08.2024 | 3 | 7.1-2/24/14422-2 | Valjaminev kiri | transpordiamet | Oü Lihtsad Linnamehed |