| Dokumendiregister | Transpordiamet |
| Viit | 7.1-7/25/14061-4 |
| Registreeritud | 05.12.2025 |
| Sünkroonitud | 08.12.2025 |
| Liik | Sissetulev kiri |
| Funktsioon | 7.1 Teetaristuga seotud õiguste andmine |
| Sari | 7.1-7 Keskkonnaalaste lubade kirjavahetus ja kooskõlastused |
| Toimik | 7.1-7/2025 |
| Juurdepääsupiirang | Avalik |
| Juurdepääsupiirang | |
| Adressaat | Keskkonnaamet |
| Saabumis/saatmisviis | Keskkonnaamet |
| Vastutaja | Rein Kallas (Users, Teehoiuteenistus, Planeerimise osakond, Tehnovõrkude üksus) |
| Originaal | Ava uues aknas |
Keskkonnaluba
Loa registrinumber KL-521921
Loa omaja andmed
Ärinimi / Nimi Marina Minerals OÜ
Registrikood / Isikukood 11349875
Tegevuskoha andmed
Nimetus Väike-Ahli liivakarjäär
Aadress Haapsalu metskond 31, Väike-Ahli küla, Haapsalu linn, Lääne maakond
Katastritunnus(ed) 67401:006:0357
Territoriaalkood EHAK 9616
Käitise territoorium Ruumikuju: 1 lahustükk. Puudutatud katastriüksus: Haapsalu metskond 31 (67401:006:0357).
Tegevusvaldkond Loaga reguleeritavad tegevused Maavara kaevandamine;
Loa andja andmed
Asutuse nimi Keskkonnaamet
Registrikood 70008658
Aadress Roheline 64, 80010 Pärnu
Loa kehtivuse periood
Loa versiooni kehtima hakkamise kuupäev
05.12.2025
Lõppemise kuupäev 05.12.2040
Reovee, sh ohtlike ainete, juhtimine ühiskanalisatsiooni Andmeid ei esitata, kuna need pole antud kontekstis asjakohased.
Maapõu M1. Maavara kaevandamine
Maardlad
Maardla ja mäeeraldis
Mäeeraldise liik uus mäeeraldis
Registrikaardi nr 1 023
Maardla nimetus Väike-Ahli
Maardla osa nimetus
Maardla põhimaavara liiv
Mäeeraldise nimetus Väike-Ahli liivakarjäär
Mäeeraldisel on teenindusmaa Jah
Mäeeraldise ruumikuju Ruumikuju: 1 lahustükk.
Teenindusmaa ruumikuju Ruumikuju: 1 lahustükk.
Mäeeraldise pindala (ha) 10.80
Käitise ehk mäeeraldise teenindusmaa pindala (ha) 12.85
Kaevandatava katendi kogus (tuh m³) 136
Kaevandatava mulla kogus (tuh m³) 32
Kaevandatud maavara kasutamise otstarve ehitus, teedeehitus
Minimaalne tootmismaht aastas
Keskmine tootmismaht aastas 45
Maksimaalne tootmismaht aastas (tuh t või tuh m³)
Plokid Nimetus Kasutusala Maavara Kaevandatud maavara kuulub eraomanikule? Kaevandamine lubatud allpool põhjaveetaset Liik Varu
Kogus Ühik Kuupäev
1 plokk täiteliiv Liiv, täitepinnas Ei Ei aT - aktiivne tarbevaru 45 tuh m³ 31.03.2024
2 plokk täiteliiv Liiv, täitepinnas Ei Jah aT - aktiivne tarbevaru 666 tuh m³ 31.03.2024
Tegevusala andmed
2/3
Geoloogilised uuringud
Geoloogilise uuringu aruande nimetus Aruanne Lääne maakonnas Väike-Ahli uuringuruumis tehtud geoloogiliste tööde kohta (varu seisuga 26.10.2023)
Geoloogiafondi number 9842
Maavaravaru arvele võtmise otsuse number 1-17/24/741
Maavaravaru arvele võtmise otsuse kuupäev 26.03.2024
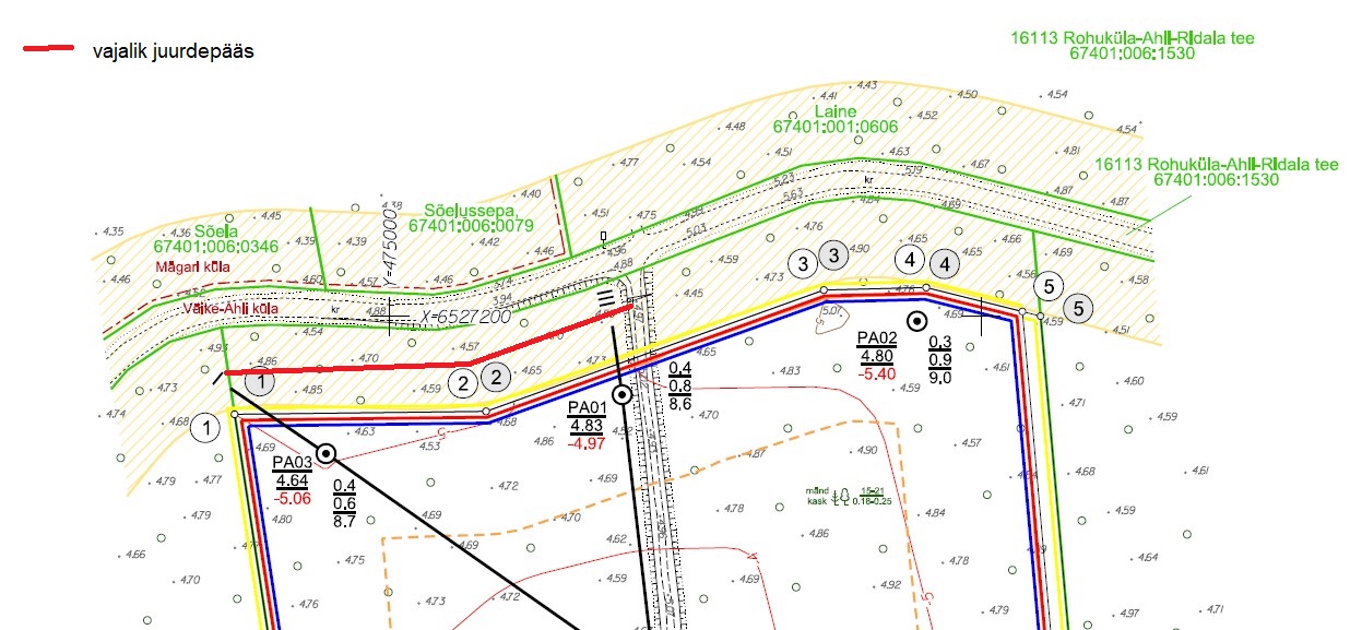
1. Rohevõrgustiku eesmärkide tagamiseks tuleb järskudesse nõlvadesse rajada käigurajad, et karjääri põhja või astangutele sattunud loomad saaks sealt välja ilma pikki vahemaid läbimata. Käigukohad peavad olema rajatud ka müravallidesse või neist peab olema tagatud ümberpääs; 2. Mäeeraldise ümber on keelatud rajada piirdeaedu, mis loomade liikumist takistavad; 3. Mäeeraldisele jääva kuivenduskraavi toimimine tuleb tagada selliselt, et maavara kaevandamisel ei satuks karjääri kogunevat vett kraavi ja sealt suublaks olevasse Asuküla peakraavi (VEE1105400); 4. Maavara väljaveoks võib kasutada Kasemetsa metsatee ja riigitee 16113 ristumist riigitee km 10,08, kuid ristmik vajab rekonstrueerimist. Transpordiamet väljastab EhS § 99 lõike 3 kohased täpsemad nõuded projekti koostamiseks ristumiskoha kinnistu omaniku taotluse alusel; 5. Kaevandaja peab tagama kaevandamise ajal ja kaevandamise järgselt pideva ligipääsu tulevasest mäeeraldisest lõunasse jäävatele metsaosadele ning mäeeraldisele jääva kraavi (ETAK ID 2394713) toimimise või ümbersuunamise vastavalt OÜ J. Viru Markšeideribüroo koostanud skeemile „Kasemetsa tee ja kraavide toimimise tagamine“; 6. Kaevandaja peab tagama karjääri ekspluateerimise käigus ja korrastamise järgselt ligipääsu Koolimetsa maaüksusele (tunnusega 67401:006:0004).
Maavara Kehtiv alates aasta Kehtiv kuni aasta Aastane tootmismaht Kaevandatav varu Maksimaalne Maksimaalne aastamäär keskkonnanõuete täitmiseks Ühik Kogus Ühik
Liiv, täitepinnas 2025 2037 tuh m³ 533 tuh m³
Mäeeraldise KOV jaotus Maavara Kehtiv alates aasta Kehtiv kuni aasta KOV-id
KOV EHAK KOV nimetus KOV pindala (ha) KOV pindala eraldisel (ha) Pinna proportsioon Liiv, täitepinnas 2025 2037 0502 Märjamaa vald
Kõrvaltingimused
Kaevandatud maa kasutamise otstarve Tehisveekogu ja metsamaa
Loa lisad Nimetus Manus Mäeeraldise plaan Lisa 1: Väike-Ahli liivakarjääri mäeeraldise plaan.pdf
Geoloogilised läbilõiked Lisa 2: Väike-Ahli liivakarjääri geoloogilised läbilõiked.pdf
Korrastatud ala plaan Lisa 3: Väike-Ahli liivakarjääri korrastatud maa plaan 23.07.2024.pdf
Kasemetsa tee ja kraavide toimimise tagamine Lisa 4: Väike-Ahli_eskiis_Kasemetsa tee ja kraavide toimimise tagamine.pdf
Koolimetsa kinnistu juurdepääs Lisa 5: Koolimetsa kinnistu juurdepääs.jpg
3/3
vt 4.48 m
6 7 4 0 1 :0
0 6 :1
1 6 0
H a a p s a lu m
e ts
k o n d 9
6 7 4 0 1 :0
0 6 :1
1 6 0
H a a p s a lu m
e ts
k o n d 9 6
7 4 0 1 :0
0 6 :1
1 6 0
H a a p s a lu m
e ts
k o n d 9
6 7 4 0 1 :0
0 6 :1
1 6 0
H a a p s a lu m
e ts
k o n d 9
67401:006:0357 Haapsalu metskond 31
67401:006:0357 Haapsalu metskond 31
67401:006:0357 Haapsalu metskond 31
Plokk 1 aT
Plokk 1 aT
Plokk 2 aT
Plokk 2 aT
Plokk 2 aT
1 :5
1 :5
1 :5
1 :5
1 :5
1 :5
1 :2
1 :2
1 :2 1
:2
1 :2
1 :2
4.64
PA03
-5.06 8.7
0.6
0.4
4.65
PA05
-3.15 6.8
0.6
0.4
8.6
0.3
1.0
4.92
PA06
-4.98
5.91
PA10
-3.19 5.93
PA09
-1.67 4.82
PA13
1.82
4.83
PA01
-4.97 8.6
0.8
0.4 4.4
0.7
1.7
6.00
PA07
-0.80 5.12
PA12
-1.38 4.65
PA05
-3.15 6.8
0.6
0.4
5.93
PA09
-1.67
2.7
-
3.8 3.9
-
3.7
-
-
3.0
3.9
-
3.7
6.4
-
2.7
0
2
4
6
-2
-4
-6
-8
0
2
4
6
-2
-4
-6
-8
0
2
4
6
8
-2
-4
-6
0
2
4
6
8
-2
-4
-6
0
2
4
6
-2
-4
-6
-8
0
2
4
6
-2
-4
-6
-8
Geoloogiline läbilıige I-I’
Geoloogiline läbilıige II-II’
Geoloogiline läbilıige III-III’
NW abs m
NW abs m
N abs m
SE abs m
SE abs m
S abs m
Tellija:
Kinnitas
Joonestas
Koostas Kaupo Rıivasepp
Kaupo Rıivasepp
Tınis Kattel
(allkirjastatud digitaalselt)
(allkirjastatud digitaalselt)
(allkirjastatud digitaalselt)
Formaat A2
10115, Harju maakond
Tartu mnt 83-806, Tallinn
MARINA MINERALS OÜ
18.04.2024
Koostatud:
Gr lisa 2
Keskkonnaloa taotlus Töö nr 24106
V˜IKE-AHLI LIIVAKARJ˜˜R
L˜BILÕIKED I-I’...III-III’
GEOLOOGILISED V 1:200
H 1:2000
Mııtkava:
Lääne maakond Haapsalu linn
uuringupunkti sügavus, m
Geoloogiline puurauk:
4.65
PA05
-3.15 6.8
0.6
0.4
Ülipeene- kuni keskmiseteraline liiv
Saviliiv
Moreen
Liivsavi
Teetammi materjal
Mullakiht, kohati maetud teetammi alla
E-post: [email protected]
Tel: 634 4552
OÜ J.Viru Markeideribüroo
10112 Tallinn
Tartu mnt 84a-50
www.vmb.ee
töö nr 23240, EGF 9842.
Väike-Ahli uuringuruumi geoloogilised läbilıiked I-I...III-III’, OÜ J.Viru Markeideribüroo 11.03.2024,
3. Kasutatud:
2. Katastriüksuse piirid Maa-ameti geoportaali ruumiandmetest digitaalselt pp.kk.aaaa. a (plaanil skemaatiliselt)
1. Kırgused EH2000 süsteemis.
M˜RKUSED:
0 20 50
Joonmııtkava
100 m
4.83
PA01
-4.97 8.6
0.8
0.4
LEPPEM˜RGID:
Katastriüksuse piir, tunnus ja nimetus
Aktiivse tarbevaru ploki piir ja numberPlokk 1 aT
* Väljaspool mäeeraldist tähistab kasuliku kihi lamamit
Mäeeraldise piir
Mäeeraldise teenindusmaa piir
67401:006:0357 Haapsalu metskond 31
* Väljaspool mäeeraldist tähistab kasuliku kihi lamamit
1 :2
ja pıhjavee eeldatav tase pärast maavara ammendamist (3.6 abs m) Geoloogilise uuringuga määratud mäetööde-eelne pıhjaveetase
Veetaseme mııtmise aeg Uuringuaegne veetaseme sügavus maapinnast, m
Nılvus 1:5 vastab kaldele 12°
Nılvus 1:2 vastab kaldele 26°
Kaevandamisel jäetav kaitsetervik
10.6
8.8
10.9
9.6
8.2
7.8
8.8
0.4
9.7
0.4
7.8
1.0
9.9
2.7
9.1
3.7
7.6
3.0
6.0
0.3
0.2
0.4
8.8
7.8
3.7
8.2
7.6
0.4
9.8
12.0
11.7
0.2
1.4
1.7
6.8
7.2
0.3
3.8
6.5
7.8
0.9
1.2
1.2
0.9
1.6
1.1
Ø700 bet 3.69-3.92
5.61
Truubi asukoht:
0.4 kihi piiri sügavus, m
Suudme kırgus, abs m Puuraugu nr
Mäeeraldise lamam*, abs m Kasuliku kihi paksus allpool keskmist veetaset, m Kasuliku kihi paksus ülalpool keskmist veetaset, m
Kattekihi paksus, m
25.10.2023
vt 1.6 m 25.10.2023
vt 1.2 m
25.10.2023
vt 1.1 m
26.10.2023
vt 2.1 m 26.10.2023
vt 2.0 m
26.10.2023
vt 1.3 m
25.10.2023
vt 1.2 m 26.10.2023
vt 2.0 m
25.10.2023
vt 1.5 m 25.10.2023
vt 2.3 m 26.10.2023
vt 1.3 m
Kasuliku kihi paksus allpool keskmist veetaset, m Kasuliku kihi paksus ülalpool keskmist veetaset, m
Kattekihi paksus, m Suudme kırgus, abs m
Puuraugu nr
Mäeeraldise lamam*, abs m
25.10.2023
vt 1.6 m
vt 4.48 m
kraav (kuiv)
lepp
kask
haab
0.1-0.2
2-3
0.22-0.30
22-25
haab
kask
mänd
haab
sanglepp
0.8-0.11
10-12
Väike-Ahli küla
Mägari küla
kr
kr
4 .8
0 4 .2
5 4 .7 9
4 .11
4.45
4.95
5.19
5.6 3
5.2 3
4.9 9
5.0 3
4.88 4.96
3.94
3.74
4.88
4 .9
7
4.64
4.64
4.65
4.69
4.97
4.64
4.71
4.61
4.59
4.59
4.68
4.71
4.60
4.51
4.58
4.69
4.59
4.56
4.65
4.66
4.69
4.65 4.90
4.84
4.76
4.73
4.59
4.45
4.71
4.65
4.59
4.74
4.74
4.62
4.66
4.78
4.62
4.80
4.85
4.86
4.54
4.70
4.59
4.57
4.65
4.70
4.59
4.73
4.93
4.73
4.74 4.68
4.77
4.77
4.79
4.79
4.70
4.66
4.81
4.73
4.84
4.85
4.82
4.90
4.74
4.71
4.68
4.83
4.46
4.52
4.60
4.39
4.57
4.39
4.38 4.45
4.36 4.35
4.46
4.42
4.46
4.40
4.46
4.51
4.77
4.75
4.54
4.48
4.51
4.41
4.63
4.52
4.43 4.50
4.67
4.87
4.81
4.54
4.87
4.54
4.63
4.70
4.64
4.69
4.79
4.78
5.01
4.85
5.18
5.15
4.97
5.34
5.28
5.35
5.13
5.28
5.26
5.24
5.08
5.13
5.05
4.99
4.98
5.01
5.07
5.11
5.11
5.10
5.10
5.20
5.23 5.08
5.15
5.17 5.14
5.27
5.07
5.10
5.03
5.45
4.75
4.73
4.79
4.80
4.74
5.68 4.89
4.84 4.93
4.90 4.99
5.01
4.93
5.01
4.97
5.14 5.12
5.39
5.31
5.17
5.10
5.41
5.21
5.23
5.13
5.16
5.15
5.14
5.27
5.47
5.27
5.34
5.21
5.11
5.53
4.81
5.76
5.70
5.66
5.76
5.37
5.47
5.29
5.13
5.47
5.24 5.10
5.29
5.25
5
5
5
5
5
5
5
5
5
5
-1
-2
-2
-3 -4
-1
4 .7
1
4 .6
1
12
12
12
4
4
4
4
4
4
4
4
-4
-4
-3
-3
-3
-3
-2
-2
-2
-2
-2
-2
-1
-1
-1
-1
-1
-1
-1
0
0
0
0
0
0
0
0
0
0 0
0
0
0
0
0
0
0
1
1
1
1
1
1
1
1
1
1
1
1
1
1
1
1
1
1
1
2
2
2
2
2
2
2
2 2
2
2
2
2
2
2
2
2
2
2
3
3
3
3
3
3
3
3
3
3
3
3
3
3
3
3
3
3
3
3
6
6
6
7
7
7
8
8
8
9
9
9
10
10
10
11
11
11
5
5
5
5
5
5
-5
67401:006:0346 Sıela 67401:006:0079
Sıelussepa,
67401:001:0606 Laine
67401:006:0357 Haapsalu metskond 31
67401:006:0004 Koolimetsa
67401:006:1160 Haapsalu metskond 9
67401:006:1530 16113 Rohuküla-Ahli-Ridala tee
67401:006:1160 Haapsalu metskond 9
67401:006:1530 16113 Rohuküla-Ahli-Ridala tee
67401:006:1160 Haapsalu metskond 9
Veetase 3.6 m, pindala ~10.03 ha
Tehisveekogu
1 2
3 4
5
6
7
8
Tellija:
Kinnitas
Joonestas
Koostas Kaupo Rıivasepp
Kaupo Rıivasepp
(allkirjastatud digitaalselt)
(allkirjastatud digitaalselt)
(allkirjastatud digitaalselt)
Formaat A2
10115, Harju maakond
Tartu mnt 83-806, Tallinn
MARINA MINERALS OÜ
23.07.2024
Koostatud:
Gr lisa 3
Keskkonnaloa taotlus
1:2000
Mııtkava:
Töö nr 24106 V˜IKE-AHLI LIIVAKARJ˜˜R
Lääne maakond Haapsalu linn
MAA PLAAN
KORRASTATUD
Kaupo Rıivasepp
Kaardilehed nr 6224 ja 6223 (Palivere/Haapsalu)
ASENDISKEEM M 1:50 000
N
S
W E
liivakarjäär Väike-Ahli
E-post: [email protected]
Tel: 634 4552
OÜ J.Viru Markeideribüroo
10112 Tallinn
Tartu mnt 84a-50
www.vmb.ee
0 20 50
Joonmııtkava
100 m
LEPPEM˜RGID:
Katastriüksuse piir, tunnus ja nimetus
Mäeeraldise piir, piiripunkt ja number
Maapinna samakırgusjoon, abs m
Maardla piir asendiskeemil
X=6526600
X=6527200
Y =4
7 5 0 0 0
Y =4
7 5 2 0 0
67401:006:0004 Koolimetsa
Asustusüksuse piir ja nimetusVäike-Ahli küla
Tee kaitsevöönd
töö nr 23240, EGF 9842.
Väike-Ahli uuringuruumi topograafiline ja varu arvutuse plaan, OÜ J.Viru Markeideribüroo 11.03.2024,
7. Kasutatud:
6. Kitsenduste piirid Maa-ameti geoportaali ruumiandmetest digitaalselt seisuga 05.03.2024. a.
5. Maardla plokkide piirid Maa-ameti geoportaali ruumiandmetest digitaalselt pp.kk.aaaa. a (plaanil skemaatilised).
4. Katastriüksuse piirid Maa-ameti geoportaali ruumiandmetest digitaalselt 02.04.2024. a.
3. Mııdistamise lähtekoordinaadid ja kırgused Trimble VRS Now püsijaamade vırk.
2. Mııdistatud 25.10.2023. a.
1. Koordinaadid L-Est’97 süsteemis, kırgused EH2000 süsteemis.
M˜RKUSED:
nr
punkti
Piiri- Koordinaadid
X Y
pindala 12.85 ha
Mäeeraldise teenindusmaa
8
7
6
5
4
3
2
1
6526939.50
6526677.42
6526712.50
6527200.12
6527209.79
6527208.91
6527167.88
6527166.88
474982.22
475021.39
475263.22
475220.19
475181.51
475146.86
475032.60
474947.50
(registrikaardi nr 1023) piir Väike-Ahli maardla
PIIRIANDMED
(KORRASTATUD MAA)
M˜EERALDISE TEENINDUSMAA
Mäeeraldise teenindusmaa (korrastatud maa) piir, piiripunkt ja number
Tehisveekogu pıhja samakırgusjoon, abs m
Korrastatud tehisveekoguks (pindala 10.03 ha)
Ümbertıstetud Kasemetsa tee skemaatiline asukoht
piiriga lıuna poole
Haapsalu metskond 9 kinnistuni, kust edasi suunatakse tee paralleelselt kinnistu
Rohuküla-Ahli-Ridala teelt. Tee rajatakse piki mäeeraldise pıhjaserva ida poole,
Tee suunatakse ümber, kasutades olemasolevat mahasıitu
Korrastatud metsamaaks (pindala 2.82 ha)
Tagasitäidetud ala
5
-3
1
vt 4.99 m
vt 4.48 m
vt 4.11 m
kraav (kuiv)
kraav (kuiv)
kuiv
Pinnas
Pinnas Pinnas
Pinnas
5
5
5
5
5
5
5
5
5
5
5
5
5
5
5
5
5
5
5
5
5
5
5
5
5
5
5
5
5
5
5
5
5
5
5
5
5
5
5 5
5
5
5
5
5
lepp
haab
kask
0.20-0.24
17-20
mänd 0.21
15.2
0.18-0.25
15-21
kask
mänd
lepp
kask
haab
0.1-0.2
2-3
0.22-0.30
22-25
haab
kask
mänd
haab
sanglepp
0.8-0.11
10-12
-1
-2
-2
-3
-3
-5
-4
-5
-1
Väike-Ahli küla
Mägari küla
p in
n
p in
n
kr
kr
4 .8
0 4 .2
5 4 .7 9
4 .11
4.45
4.76
4.82 3.91
4.53
3.91
4.55
4.78 3.87
4.95
4.68
3.94
4.66
5.19
5.6 3
5.2 3
4.9 9
5.0 3
4.88 4.96
3.94
3.74
4.88
5 .0
2 4 .9
7
4 .9
3 4 .9
6 5 .0
7 5 .13
5 .4
8
5 .8
6 5 .5
8 5 .9
2 6 .11
4.71
4.51
4.71
4.53
4.555.36
5.59
5.69 4.68
5.36
4.68
5 .9
1
5.04
5.04 5.14
4.93
5.35
4.93
4.92
4.86
4.78
4.87 4.90
4.84
4.78
4.54
4.57
4.69
4.89
4.79
4.94
5.05
5.08
4.91
4.72
4.70
4.64
4.78
4.64
4.65
4.69
4.97
4.64
4.71
4.61
4.59
4.59
4.68
4.71
4.60
4.51
4.58
4.69
4.59
4.61
4.69
4.59
4.83
5.07
4.65
4.70
4.56
4.65
4.66
4.69
4.65
4.76
4.90
4.84
4.76
4.73
4.59
4.45
4.93
5.03
5.05
4.92
4.87
4.85 5.01 4.81
4.65
4.73
4.83
4.89
4.83
4.86 4.73
4.56
4.74
4.68
4.72
4.70
4.71
4.65
4.59
4.74
4.74
4.62
4.66
4.78
4.62
4.80
4.82
4.84
4.80
4.80
4.77
4.55
4.81
4.85
4.61
4.66
4.71
4.80
4.68
4.77
4.85 4.71
4.73
4.70
4.76
4.74
4.54
4.76
4.64
4.72
4.64
4.59
4.70
4.72
4.69
4.73
4.70
4.63
4.62
4.52
4.69
4.86
4.68
4.53
4.63
4.69
4.75
4.80
4.69
4.85
4.86
4.54
4.70
4.59
4.57
4.65
4.70
4.59
4.73
4.93
4.73
4.74 4.68
4.77
4.77
4.79
4.79
4.70
4.66
4.81
4.73
4.84
4.85
4.82
4.90
4.74
4.71
4.68
4.83
4.46
4.52
4.60
4.39
4.57
4.39
4.38 4.45
4.36 4.35
4.46
4.42
4.46
4.40
4.46
4.51
4.77
4.75
4.54
4.48
4.51
4.41
4.63
4.52
4.43 4.50
4.67
4.87
4.81
4.54
4.87
4.54
5.06
4.92
4.72
5.14 4.75
4.76
4.63
4.70
4.64
4.69
4.79
4.78
5.01
4.85
5.18
5.15
4.97
5.34
5.28
5.35
5.13
5.28
5.26
5.24
5.08
5.13
5.05
4.99
4.98
5.01
5.07
5.11
5.11
5.10
5.10
5.20
5.23
5.05
5.08
5.15
5.17 5.14
5.27
5.07
4.91
4.96 5.02
4.88
4.69
5.06 4.94
4.92 5.01
4.96 5.03
4.97
5.03
5.58
5.38 4.83
4.71
4.84
4.95
4.91
4.97 5.02
5.00
5.09
4.93
4.96
5.12
4.98
5.01
4.92
5.09
4.97
5.10
4.94
5.03
5.02
5.01
4.96
6.06
5.39
4.99
4.95
4.92
4.83
4.90
5.86
5.90
5.45
5.86
5.86
5.73
5.79
4.77
4.85
4.76
4.46
4.47
4.54
4.57
4.43
4.28
4.50
4.75
4.73
4.79
4.80
4.74
5.68 4.89
4.84 4.93
4.90 4.99
5.01
4.93
5.01
4.97
5.14 5.12
5.39
5.31
5.17
5.10
5.41
5.21
5.23
5.13
5.16
5.15
5.14
5.27
5.47
5.27
5.34
5.21
5.11
5.53
4.81
5.76
5.70
5.66
5.76
5.37
5.47
5.29
5.13
5.47
5.24 5.10
5.29
5.25
5.23
5.13
5.20
5.06 5.26
5.15
5.11
5.20
5.09
5.12 5.26
5.27
5.21
5.31
5.13
5.06
6.07 6.04
5.83
5 .9
3
6 .12
5 .7
0
5.63 5.76
5.54 5.24
5 .2
0
8.12
7.02
4.72
4.88
4.88
4.90
4.87
5.00
4.81
4.92
4.93
4.92
4.98
5.07
5.15
5.07
5.01
4.96
5.02
5.17
5.01
Ø700 bet 3.69-3.92
5.61
truup on setet täis
4 .7
1
4 .6
1
5.88
5 .2
1
5 .3
4
5 .6
8
67401:006:0346 Sıela 67401:006:0079
Sıelussepa,
67401:001:0606 Laine
67401:006:0357 Haapsalu metskond 31
67401:006:0004 Koolimetsa
67401:006:1160 Haapsalu metskond 9
67401:006:1530 16113 Rohuküla-Ahli-Ridala tee
67401:006:1160 Haapsalu metskond 9
67401:006:1530 16113 Rohuküla-Ahli-Ridala tee
67401:006:1160 Haapsalu metskond 9
Plokk 2 aT Plokk 1 aT
1 2
3 4
5
6
7
8
1
10
2
3 4
5
6
7
8
9
4.82
PA13
1.82
5.12
PA12
-1.38
5.93
PA09
-1.67
4.67
PA08
-0.43
4.83
PA01
-4.97
4.65
PA05
-3.15
4.58
PA04
-3.32
6.00
PA07
-0.80
5.91
PA10
-3.19
4.80
PA02
-5.40
4.64
PA03
-5.06
4.92
PA06
-4.98
5.03
PA11
-0.37
I
I’
I
III’
III
I’
8.7
0.6
0.4
8.6
0.8
0.4 9.0
0.9
0.3
6.9
0.7
0.3
6.8
0.6
0.4
8.6
0.3
1.0
4.4
0.7
1.7
2.7
-
3.8
3.0
-
2.4
-
-
3.0
6.4
-
2.7
3.9
-
3.7
0.7
-
4.4
Tellija:
Kinnitas
Joonestas
Koostas Kaupo Rıivasepp
Kaupo Rıivasepp
Tınis Kattel
(allkirjastatud digitaalselt)
(allkirjastatud digitaalselt)
(allkirjastatud digitaalselt)
M˜EERALDISE PLAAN Formaat A2
10115, Harju maakond
Tartu mnt 83-806, Tallinn
MARINA MINERALS OÜ
18.04.2024
Koostatud:
Gr lisa 1
Keskkonnaloa taotlus
1:2000
Mııtkava:
Töö nr 24106 V˜IKE-AHLI LIIVAKARJ˜˜R
Lääne maakond Haapsalu linn
Kaardilehed nr 6224 ja 6223 (Palivere/Haapsalu)
ASENDISKEEM M 1:50 000
N
S
W E
Geoloogilise puuraugu asukoht
4.83
PA01
-4.97 8.6
0.8
0.4
liivakarjäär Väike-Ahli
E-post: [email protected]
Tel: 634 4552
OÜ J.Viru Markeideribüroo
10112 Tallinn
Tartu mnt 84a-50
www.vmb.ee
0 20 50
Joonmııtkava
100 m
LEPPEM˜RGID:
Katastriüksuse piir, tunnus ja nimetus
Mäeeraldise teenindusmaa piir, piiripunkt ja number
Mäeeraldise piir, piiripunkt ja number
Aktiivse tarbevaru ploki piir ja numberPlokk 1 aT
Geoloogilise läbilıike joonI I’
Mäeeraldise lamami samakırgusjoon, abs m
Maapinna samakırgusjoon, abs m
Maardla piir asendiskeemil
X=6526600
X=6527200
Y =4
7 5 0 0 0
Y =4
7 5 2 0 0
67401:006:0004 Koolimetsa
Asustusüksuse piir ja nimetusVäike-Ahli küla
* Väljaspool mäeeraldist tähistab kasuliku kihi lamamit
Ülemine piir ühtib mäeeraldise piiriga
Kaevandamisel jäetava veepealse hoideterviku alumine piir
Tee kaitsevöönd
töö nr 23240, EGF 9842.
Väike-Ahli uuringuruumi topograafiline ja varu arvutuse plaan, OÜ J.Viru Markeideribüroo 11.03.2024,
7. Kasutatud:
6. Kitsenduste piirid Maa-ameti geoportaali ruumiandmetest digitaalselt seisuga 05.03.2024. a.
5. Maardla plokkide piirid Maa-ameti geoportaali ruumiandmetest digitaalselt pp.kk.aaaa. a (plaanil skemaatilised).
4. Katastriüksuse piirid Maa-ameti geoportaali ruumiandmetest digitaalselt 02.04.2024. a.
3. Mııdistamise lähtekoordinaadid ja kırgused Trimble VRS Now püsijaamade vırk.
2. Mııdistatud 25.10.2023. a.
1. Koordinaadid L-Est’97 süsteemis, kırgused EH2000 süsteemis.
M˜RKUSED:
nr
punkti
Piiri- Koordinaadid
X Y
PIIRIANDMED
M˜EERALDISE TEENINDUSMAA
pindala 12.85 ha
Mäeeraldise teenindusmaa
8
7
6
5
4
3
2
1
6526939.50
6526677.42
6526712.50
6527200.12
6527209.79
6527208.91
6527167.88
6527166.88
474982.22
475021.39
475263.22
475220.19
475181.51
475146.86
475032.60
474947.50
nr
punkti
Piiri- Koordinaadid
X Y
M˜EERALDISE PIIRIANDMED
6526939.50
6526677.42
6526695.78
6526897.64
6526946.16
6527201.66
6527209.79
6527208.91
6527167.88
6527166.88
474982.22
475021.39
475147.93
475182.95
475236.58
475214.03
475181.51
475146.86
475032.60
474947.50
10
9
8
7
6
5
4
3
2
1
Mäeeraldise pindala 10.80 ha
(registrikaardi nr 1023) piir Väike-Ahli maardla
veetasemega (3.6 abs m)
Ülemine piir ühtib eeldatava kaevandamisjärgse
Kaevandamisel jäetava veealuse hoideterviku alumine piir
5
-3
1
Kasuliku kihi paksus allpool keskmist veetaset, m Kasuliku kihi paksus ülalpool keskmist veetaset, m
Kattekihi paksus, m
1
Suudme kırgus, abs m Puuraugu nr
Mäeeraldise lamam*, abs m
vt 4.99 m
vt 4.48 m
vt 4.11 m
kraav (uuringu ajal kuiv)
kraav (uuringu ajal kuiv)
67401:001:0606 Laine
67401:006:0346 Sıela
67401:006:0079 Sıelussepa
67401:006:1160 Haapsalu metskond 9
67401:006:0357 Haapsalu metskond 31
67401:006:0004 Koolimetsa
67401:006:1160 Haapsalu metskond 9
4 .8
0 4 .2
5 4 .7 9
4 .11
4.45
4.76
4.82 3.91
4.53
3.91
4.55
4.78 3.87
4.95
4.68
3.94
4.66
5.19
5.6 3
5.2 3
4.9 9
5.0 3
4.88 4.96
3.94
3.74
4.88
5 .0
2 4 .9
7
4 .9
3 4 .9
6 5 .0
7 5 .13
5 .4
8
5 .8
6 5 .5
8 5 .9
2 6 .11
4.71
4.51
4.71
4.53
4.55 5.36
5.59
5.69 4.68
5.36
4.68
5 .9
1
5.04
5.04 5.14
4.93
5.35
Pinnas
Pinnas Pinnas
Pinnas
4.93
4.92
4.86
4.78
4.87 4.90
4.84
4.78
4.54
4.57
4.69
4.89
4.79
4.94
5.05
5.08
4.91
4.72
4.70
4.64
4.78
4.64
4.65
4.69
4.97
4.64
4.71
4.61
4.59
4.59
4.68
4.71
4.60
4.51
4.58
4.69
4.59
4.61
4.69
4.59
4.83
5.07
4.65
4.70
5
5
5
5
5
5
5
5
5
5
5
5
5
5
5
5
5
5
5
5
5
5
5
5
5
5
5
5
5
5
5
5
5
5
5
5
5
5
5 5
5
5
5
5
5
4.56
4.65
4.66
4.69
4.65
4.76
4.90
4.84
4.76
4.73
4.59
4.45
4.93
5.03
5.05
4.92
4.87
4.85 5.01 4.81
4.65
4.73
4.83
4.89
4.83
4.86 4.73
4.56
4.74
4.68
4.72
4.70
4.71
4.65
4.59
4.74
4.74
4.62
4.66
4.78
4.62
4.80
4.82
4.84
4.80
4.80
4.77
4.55
4.81
4.85
4.61
4.66
4.71
4.80
4.68
4.77
4.85 4.71
4.73
4.70
4.76
4.74
4.54
4.76
4.64
4.72
4.64
4.59
4.70
4.72
4.69
4.73
4.70
4.63
4.62
4.52
4.69
4.86
4.68
4.53
4.63
4.69
4.75
4.80
4.69
4.85
4.86
4.54
4.70
4.59
4.57
4.65
4.70
4.59
4.73
4.93
4.73
4.74 4.68
4.77
4.77
4.79
4.79
4.70
4.66
4.81
4.73
4.84
4.85
4.82
4.90
4.74
4.71
4.68
4.83
4.46
4.52
4.60
4.39
4.57
4.39
4.38 4.45
4.36 4.35
4.46
4.42
4.46
4.40
4.46
4.51
4.77
4.75
4.54
4.48
4.51
4.41
4.63
4.52
4.43 4.50
4.67
4.87
4.81
4.54
4.87
4.54
5.06
4.92
4.72
5.14 4.75
4.76
4.63
4.70
4.64
4.69
4.79
4.78
5.01
4.85
5.18
5.15
4.97
5.34
5.28
5.35
5.13
5.28
5.26
5.24
5.08
5.13
5.05
4.99
4.98
5.01
5.07
5.11
5.11
5.10
5.10
5.20
5.23
5.05
5.08
5.15
5.17 5.14
5.27
5.07
4.91
4.96 5.02
4.88
4.69
5.06 4.94
4.92 5.01
4.96 5.03
4.97
5.03
5.58
5.38 4.83
4.71
4.84
4.95
4.91
4.97 5.02
5.00
5.09
4.93
4.96
5.12
4.98
5.01
4.92
5.09
4.97
5.10
4.94
5.03
5.02
5.01
4.96
6.06
5.39
4.99
4.95
4.92
4.83
4.90
5.86
5.90
5.45
5.86
5.86
5.73
5.79
4.77
4.85
4.76
4.46
4.47
4.54
4.57
4.43
4.28
4.50
4.75
4.73
4.79
4.80
4.74
5.68 4.89
4.84 4.93
4.90 4.99
5.01
4.93
5.01
4.97
5.14 5.12
5.39
5.31
5.17
5.10
5.41
5.21
5.23
5.13
5.16
5.15
5.14
5.27
5.47
5.27
5.34
5.21
5.11
5.53
4.81
5.76
5.70
5.66
5.76
5.37
5.47
5.29
5.13
5.47
5.24 5.10
5.29
5.25
5.23
5.13
5.20
5.06 5.26
5.15
5.11
5.20
5.09
5.12 5.26
5.27
5.21
5.31
5.13
5.06
6.07 6.04
5.83
5 .9
3
6 .12
5 .7
0
5.63 5.76
5.54 5.24
5 .2
0
8.12
7.02
4.72
4.88
4.88
4.90
4.87
5.00
4.81
4.92
4.93
4.92
4.98
5.07
5.15
5.07
5.01
4.96
5.02
5.17
5.01
67401:006:0357 Haapsalu metskond 31
lepp
haab
kask
0.20-0.24
17-20
mänd 0.21
15.2
0.18-0.25
15-21
kask
mänd
lepp
kask
haab
0.1-0.2
2-3
0.22-0.30
22-25
haab
kask
mänd
haab
sanglepp
0.8-0.11
10-12
Väike-Ahli küla
Mägari küla
Mägari küla
Ø700 bet 3.69-3.92
5.61
truup on setet täis
p in
n
p in
n
kr
kr
X=6526600
Y =4
7 5 0 0 0
Y =4
7 5 2 0 0
X=6527000
4.00
4 .7
1
4 .6
1
5.88
5 .2
1
5 .3
4
5 .6
8
67401:006:1530
16113 Rohuküla-Ahli-Ridala tee
Plokk 2 aT
Plokk 1 aT
Plokk 1 aT
0 100 m
Joonmııtkava:
20
1
10
2
3 4
5
6
7
8
9
Mııtkava:
Tellija:
Skeem 1
Töö nr 23240
28.02.2024
Koostatud:
25.10.2023
Mııdistatud:
10115, Harju maakond
Tartu mnt 83-806, Tallinn
MARINA MINERALS OÜTriine Nirgi
ARVUTUSE ALA V˜IKE-AHLI MAAVARAVARU
Lääne maakond Haapsalu linn
Formaat A2
Koostas
toimimise tagamine
Kasemetsa tee ja kraavide
Kaardilehed nr 6224 ja 6223 (Palivere/Haapsalu) ASENDISKEEM M 1:50 000
N
S
W E
Katastriüksuse piir, tunnus ja nimetus
Varu arvutuse ploki piir, piiripunkt ja number
Varu arvutuse ploki tähis
Maapinna samakırgusjoon, abs m
LEPPEM˜RGID:
6526939.50
6526677.42
6526695.78
6526897.64
6526946.16
6527201.66
6527209.79
6527208.91
6527167.88
6527166.88
474982.22
475021.39
475147.93
475182.95
475236.58
475214.03
475181.51
475146.86
475032.60
474947.50
10
9
8
7
6
5
4
3
2
1
nr
punkti
Piiri-
PIIRIANDMED VARU ARVUTUSE PLOKKIDE
Koordinaadid
X Y
Plokkide pindala: 10.80 ha
Asustusüksuse piir ja nimetus
uuringuruum Väike- Ahli
Rohuküla-Ahli-Ridala tee kaitsevöönd
Rohuküla-Ahli-Ridala kırvalmaantee (16113)
Kasemetsa tee (6740074)
Piirkonna kraavide vee voolusuunad
Varu arvutuse ala läbiv kraav, ETAK ID 2394713
5. Kasutatud Metsaportaali andmeid seisuga 10.01.2024. a.
4. Külade piir on kuvatud skemaatiliselt.
3. Katastriüksuse piirid on alla laetud Maa-ameti geoportaalist seisuga 27.12.2023. a.
2. Mııdistamise lähtekoordinaadid ja kırgused Trimble VRS Now püsijaamade vırk.
1. Koordinaadid on L-Est’97 süsteemis, kırgused EH2000 süsteemis.
M˜RKUSED:
1:2000
E-post: [email protected]
Tel: 634 4552
OÜ J.Viru Markeideribüroo
10112 Tallinn
Tartu mnt 84a-50
www.vmb.ee
kuivenduskraavide suudmeks.
Asuküla peakraav (VEE1105400; valgala 40 km†), mis on piirkonna
pıhja suunas, kus uuringuruumi piirist ca 300 m kaugusel voolab
Ala iseloomustab väga lauge reljeef. Maapinnakırgused langevad
detailsemalt korrastamisprojektiga).
veereiimi reguleerimiseks lisakraav ala lääneservast (lahendatakse
kaevandamise tulemusel moodustunud veekogu, vajadusel rajatakse
kuivenduskraave. Pärast kaevandamist hakkab veevool toimuma läbi
toimimine, sh tagatakse veevool läbi karjääri mööda olemasolevaid
Kaevandamise ajal tagatakse alal olemasoleva kuivendussüsteemi
Veetaseme kırgus vıib varieeruda sıltuvalt ilmastikuoludest.
oli 3,6 abs m, mis jääb olemasolevate kraavide pıhjast madalamale.
tase kırgustel 3,04-4,07 m, languga pıhja suunas. Keskmine kırgus
Geoloogilise uuringu käigus rajatud puuraukudes mııdeti pıhjavee-
Ümbertıstetud Kasemetsa tee skemaatiline asukoht
kust edasi suunatakse tee paralleelselt kinnistu piiriga lıuna poole.
plokkide pıhjaserva ida poole, Haapsalu metskond 9 kinnistuni,
Rohuküla-Ahli-Ridala teelt. Tee rajatakse piki maavaravaru
Tee suunatakse ümber, kasutades olemasolevat mahasıitu
5
1
| Nimi | K.p. | Δ | Viit | Tüüp | Org | Osapooled |
|---|---|---|---|---|---|---|
| Väike-Ahli liivakarjääri keskkonnaloa KL-521921 andmise otsuse ja loa eelnõu edastamine tutvumiseks ja arvamuse avaldamiseks | 18.11.2025 | 1 | 7.1-7/25/14061-3 | Sissetulev kiri | transpordiamet | Keskkonnaamet |
| Kiri | 13.08.2024 | 2 | 7.1-7/24/14061-2 | Valjaminev kiri | transpordiamet | Keskkonnaamet |
| Väike-Ahli liivakarjääri keskkonnaloa taotluse menetlusse võtmise teade | 13.08.2024 | 2 | 7.1-7/24/14061-1 | Sissetulev kiri | transpordiamet | Keskkonnaamet |