| Dokumendiregister | Transpordiamet |
| Viit | 7.1-2/24/430-3 |
| Registreeritud | 02.02.2024 |
| Sünkroonitud | 30.03.2024 |
| Liik | Sissetulev kiri |
| Funktsioon | 7.1 Teetaristuga seotud õiguste andmine |
| Sari | 7.1-2 Planeeringud ja lepingukohustuseta ehitiste kooskõlastamise dokumendid |
| Toimik | 7.1-2/2024 |
| Juurdepääsupiirang | Avalik |
| Juurdepääsupiirang | |
| Adressaat | E-Service Aktsiaselts |
| Saabumis/saatmisviis | E-Service Aktsiaselts |
| Vastutaja | Laur Kõiv (Users, Teehoiuteenistus, Planeerimise osakond, Kooskõlastuste üksus) |
| Originaal | Ava uues aknas |
Tere
Palun registreerida minule tƤitmiseks.
Delta viit: 7.1-2/24/430-2
Parimate soovidega
Laur
KƵiv
Peaspetsialist
Tehnovõrkude üksus
Planeerimise osakond
55901417
Teelise 4 / 10916 Tallinn / Transpordiamet
From: Helina Turja <[email protected]>
Sent: Friday, February 2, 2024 2:24 PM
To: Laur KƵiv <[email protected]>
Subject: RE: Taotlus_kooskolastada_tehnovorgu_projekt_IP6010
Tere,
Saadan parandatud dokumendid.
Loodan, et sai arusaadavamaks.
---------------------------------------------------------
Lugupidamisega
Helina Turja
Projekteerija
E-SERVICE AS
Tel. (+372) 53 512 312
From: Laur KƵiv <[email protected]>
Sent: Thursday, February 1, 2024 4:21 PM
To: Helina Turja <[email protected]>
Subject: RE: Taotlus_kooskolastada_tehnovorgu_projekt_IP6010
Tere
Oleme projekti lƤbi vaadanud ning palume korrigeerida/tƤiendada projekti.
Tutvunud esitatud materjalidega (seletuskiri, joonised), mƤrgime, et projekteerimisel ei ole arvestatud kƵiki Transpordiameti tüüpnƵudeid: „NƵuded tehnovƵrkude teemaale paigaldamise kavandamiselā€
EL-01-16
100
66903:001:0159 Kivikoigi
66901:001:0567 6690176 Koigi tee L1
66903:001:0160 Kivikünka
66801:001:1877 Uuetoa
66903:001:0055 Kaasiku-Ülepere
66901:001:0677
6690176 Koigi te e L2
66903:001:0189 Metsaveere
66903:001:0188 Põlluaasa
66801:001:1431 Kasesalu
66903:001:0166 Kaasikupõllu
66903:001:0183 Kaasiku-Altpere
66903:001:0184 Männisalu
66903:001:0640 Lepaluku
66903:001:0520 Männiku
66903:001:0030 Nahkjala-Ülepere
66903:001:0154 Kangruotsa
66903:001:0562 Välja
66901:001:0669 6690173 Nurme külatee L4
66903:001:0561 Välja
66903:001:0153 Tänavaotsa
31701:006:1127 Tõnuma-Aadu
31701:006:0147 Uue-Matso
31701:006:0148 Vana-Matso
31701:006:0146 Põllu-Matso
31701:001:1806 Pealtmetsa
31701:001:1412
31701:001:1413
Päiksemäe
Ojapõllu
31701:006:0134 Kungla
31701:006:1254 Kaalu
31701:006:1169 Nurmevälja
31701:001:0699
Krim mikü
la te e L4
31701:001:1795 Nurmeotsa
31701:001:1794 Käänuääre
31701:006:1021 Sepa
31701:001:0869
Suurküla tee L2
31701:006:1022 Sepa
31701:006:0019 Uuetoa
31701:006:0215 Vahtraoru
31701:006:0993 Kassi
31701:006:0209 Iti
31701:001:0868
31701:001:1107 Pipi
Suurküla tee L1
31701:006:1220 Aasa
31701:001:1085 Kurrunurru
31701:006:0051 Kaheküla
31701:006:0991 Kassi
31701:006:0192 Mardi
31701:006:1251 Annuse
31701:001:0581 Tõnuma-Aadu tee L1
31701:006:1080 20101 Hageri-Kodila-Kuusiku tee
31701:006:1154 Tammeotsa
31701:006:1172 Araka
31701:006:0200 Konnakotka
31701:006:0580 Lillemetsa
31701:006:0191 Reinumäe
31701:006:1160 Laanesaare
31701:006:1060 Maasika
31701:006:0680 Möldri
31701:006:1183 Allikaoru
31701:006:1182 Allika
31701:006:1216 Oliveri
31701:006:1090
20103 Pihali-Adila-Rabivere tee
31701:006:1155 Pihali alajaam
31701:006:0700 Indreku
31701:006:1031 Metsatuka
31701:006:0520 Markuse
31701:006:1156 Laane
31701:006:0208 Orase
31701:001:1034 Mesiohaka
31701:001:1136 Vahastu metskond 295
31701:001:1084 Noorteküla
31701:001:1131 Kullamaa
31701:006:0003 Tiigi
66903:001:0184 Männisalu
31701:001:0163
31701:001:0239 Mesila
Jüri
31701:001:0205 Metsavahe
31701:001:1712 Ulja
31701:001:2650 Väljaotsa
31701:001:0157 Nõmmemetsa
31701:001:1895 Harutee
31701:005:0200 Reinholdi
31701:005:0074 Laimikusauna
31701:005:0330 Saariku
31701:005:0028 Pirni 31701:005:0025
Ollamaa
31701:005:0210 Kopli
31701:005:0049 Vainu
31701:005:0571 Hansu
31701:005:0581 Ülevainu
31701:005:0491 Pärdimatsu
31701:005:0700 Uue-Pihla
31701:005:0029 Kirstisoo
31701:005:0262 Sooaluse
31701:005:0078 Kelluka
31701:006:0850 Rabivere turbatootmisala
31701:006:1090 20103 Pihali-Adila-Rabivere tee
31701:006:0208 Orase
31701:006:1183 Allikaoru
31701:006:1022 Sepa
M19H1
M19
74,1
77
74,7
74,2
75,6
73,3
75,9
76,4
75,1
77,4
70,9
75,2
71,6
75
76,1
73,5
77,1
76
72,2
75,9
81,5
M19H2
M19H3
M19H4
M19H5
M19H6
M19H7
M19H8
M19H9
M19H10
M19H11
M19H12
M19H13
M19H14
M19H15
M19H16
M19H17
M19H18
M19H19
M19H20
M19H21
M19H22
23 °
EL-01-1
EL -0
1- 2
69 ,6
75 ,5
80 ,8
67 ,8
65 ,2
62 ,7
62 ,6
70 ,4
M 13
M 13
H1
M 13
H2
M 13
H3
M 13
H4
M 13
H5
M 13
H6
M 13
H7
M 13
H8
10,1
EL -0
1- 3
11 ,6
67 ,5
70 ,4
95 ,7
76 ,7
82 ,9
76 ,3
87 ,7
75 ,9
70 ,7
74 ,3
79 ,1
76 70
,9 72
,6 82
,9 76
,3 80
,6 66
,9 89
73 ,6
M 53
M 53
H 1
M 53
H 2
M 53
H 3
M 53
H 4
M 53
H 5
M 53
H 6
M 53
H 7
M 53
H 8
M 53
H 9
M 53
H 10
M 53
H 11
M 53
H 12
M 53
H 13
M 53
H 14
M 53
H 15
M 53
H 16
M 53
H 17
M 53
H 18
M 53
H 19
M 53
H 20
M 53
H 21
29°
EL-01-4
EL-01-6
EL-01-5
EL-01-7
EL-01-8
EL-01-9
EL-01-10
19,6
110,7
125,5
3,4
70,4
66,7
62,9
74,1
70,2
66,4
72,6
74,5
74,9
72,6
72,7
68,3
68,9
67,2
76,6
65,3
71,2
73,5
70,8
72,9
66
75
73,8
74,9
73,8
69,5
73,2
69,5
107,1
108,9
M 129H5
M 129H3
M 129H2
M 129H4
M 129
88,6
99,3
105,6
118,3
134,8
145,3
143,7
123,7
117,8
137,8
115,7
129
128,3
105,8
102,4
133,4
120
127,7
127,7
109,6
57,2
126,1
85,8
97,8
98,7
101,6
9,9
127,2
120,6
114,4
120,1
89,9
93,2
82,4
66,8 7,5
7,7
M 130
M 131
M 132
M 133
M 134
M 135
M 136
M 137
M 138
M 139
M 140
M 141
M 142
M 143
M 144
M 145
M 146
M 147
M 148
M 149
M 150
M 151
M 152
M 153
M 154
M 155
M 156
M 157
M 158
M 159
M110
M109
M108
M107
M106 M105
M104
M103 M102
M101
M100
M99
M98
M97
M96
M95
M94
M93
M92
M91
M90
M89
M88
M87
M86
M85
M84
M83
M82 M81
M80
M79
M78
M77
M76
M75
M74
M73A
M73 M72
71
Dem onteerida AJ Pihali:(Kohila)
- Dem onteerida trafo 100KVA
- Dem onteerida alajaam
a seadm ed ja juhtm
estik
(kuni 1m sügavuselt dem
onteeritava alajaam a
alt m aterjalid/seadm
ed eem aldada)
- Arvesti ja kontsentraator tõsta üm ber projekteeritavasse alajaam
a AJ14234
20°
27°
57
58
Ristumine teega
59
60
61
62
63
64
74.1
65
M133M132
11
66
67
68
69
11
56
7,2 8
70
57
58
Ristumine teega
59
60
61
62
63
64
73.5
65
M147
M146
11
66
67
68
69
11
56
7,3 5
70
57
58
Ristumine madalpinge õhuliiniga
59
60
61
62
63
64
66
65
M150M149
11
66
67
68
69
11
2,6 5
70
Olemasolev 0,4kV õhuliin
57
58
Ristumine teega
59
60
61
62
63
64
108.9
65
M159
M158
11
66
67
68
69
11
6,8 5
70
31701:001:1131 Kullamaa
31701:006:1216 Oliveri
0°
31701:006:0019 Uuetoa
57
58
Ristumine teega
59
60
61
62
63
64
118.3
65
M106
M107
12
66
67
68
69
12
6,7 7
70
56
55
31701:006:1183Allikaoru 31701:006:1182Allika
57
58
59
60
61
62
63
64
117.8
65
M101
M102
11
66
67
68
69
11
6,9 2
70
71
72
7,4 1
31701:006:1060 Maasika 31701:006:1160Laanesaare
58
Ristumine Kasari jõega
59
60
61
62
63
64
133.4
65
M93
M94
11
66
67
68
69
11 4,6 8
70
31701:006:0580 Lillemetsa 31701:006:1172Araka 31701:006:0200Konnakotka
59
60
61
62
63
64
65
M86M87
12
66
67
68
69
12
6,0 4
70
71
71
72
59
60
61
62
63
64
65
66
67
68
69
70
71
72 M85
12
8,2 9
59
60
61
62
63
64
65
66
67
68
69
70
71
72
M84
127,2 1
73 73 73
59
60
61
62
63
64
65
66
67
68
69
70
71
72
73 M83
11
1,2 6
Olemasolev 0,4kV õhuliin
126,1 85,8 97,8 98,7
31701:001:058131701:006:0195 Mardi Tõnuma-Aadu tee L131701:006:108020101 Hageri-Kodila-Kuusiku tee31701:006:1154Tammeotsa 31701:006:0192Mardi
63
64
65
M76M77
11
66
67
68
69 11 7,2 170
71
72
7
M73
11
73
74
75
63
64
65
66
67
68
69
70
71
72
73
74
75
M75
11
63
64
65
66
67
68
69
70
71
72
73
74
75
M74
11
63
64
65
66
67
68
69
70
71
72
73
74
75
7,6
31701:006:0051 Kaheküla
89,9
31701:006:1021 Sepa
93,24 62 62 62 62
82,4 31701:001:0869 Suurküla tee L2
31701:006:1021 Sepa
31701:006:1022 Sepa
31701:006:1022Sepa 66,8
0°
0°
Asendada lõpumast koos toega. (KRE 11m, 3.kl + tugi 11m, 3.kl).
Paigaldada maanduslülitiga koormuslahklüliti (LP17243).
Demonteerida olemasolev lahklüliti. Ehitada maandus ja pot. ühtlustusring
Rekonstrueerida Lümando10kV haruliin Mastist M19-M19H22isoleeritud õhuliini juhtmega BLL62
L=1589m (trass)
Asendada kandemast(KRE 11m, 3.kl; rõhttraavers)Paigaldada sädevahemikud
Asendada kandemast(KRE 11m, 3.kl; rõhttraavers)
Asendada kandemast(KRE 11m, 3.kl; rõhttraavers)
Asendada kandemast(KRE 11m, 3.kl; rõhttraavers)Paigaldada sädevahemikud Asendada Traavers(rõhttraavers)
Asendada kandemast(KRE 11m, 3.kl; rõhttraavers)
Asendada kandemast(KRE 11m, 3.kl; rõhttraavers)
Asendada kandemast(KRE 11m, 3.kl; rõhttraavers)Paigaldada sädevahemikud
Asendada kandemast(KRE 11m, 3.kl; rõhttraavers)
Asendada kandemast(KRE 11m, 3.kl; rõhttraavers)
Asendada kandemast(KRE 11m, 3.kl; rõhttraavers)Paigaldada sädevahemikud
Asendada kandemast(KRE 11m, 3.kl; rõhttraavers)
Asendada kandemast(KRE 11m, 3.kl; rõhttraavers)
Asendada kandemast(KRE 11m, 3.kl; rõhttraavers)Paigaldada sädevahemikud
Asendada kandemast(KRE 11m, 3.kl; rõhttraavers)
Asendada kandemast(KRE 11m, 3.kl; rõhttraavers)
Asendada nurgamast koos toega(KRE 11m, 3.kl + tugi 11m, 3.kl; nurgatraavers)
Paigaldada sädevahemikud
Asendada kandemast(KRE 11m, 3.kl; rõhttraavers)
Asendada kandemast(KRE 11m, 3.kl; rõhttraavers)
Asendada kandemast(KRE 11m, 3.kl; rõhttraavers)Paigaldada sädevahemikud
Asendada ankrumast koos tõmmitsaga (KRE 11m, 3.kl; Ankrutraavers)
Raie: madal võsa669m2
Re ko
ns tru
ee rid
a L aim
iku 10
kV ha
ru lii
n
M as
tis t M
13 -M
13 H8
iso lee
rit ud
õh uli
ini ju
htm eg
a B LL
62
L= 55
5m (t
ras s)
Ase nd
ad a T
raa ve
rs
Ra ie:
no or
ed m
än nid
22 3m
2
Ase nd
ad a k
an de
mas t
(K RE
1 1m
, 3 .kl
; r õh
ttr aa
ve rs)
Pa iga
lda da
sä de
va he
miku d
Ase nd
ad a k
an de
mas t
(K RE
1 1m
, 3 .kl
; r õh
ttr aa
ve rs)
Ase nd
ad a k
an de
mas t
(T AN 1
1m , 3
.kl ; r
õh ttr
aa ve
rs)
Eh ita
da m
aa nd
us
Ase nd
ad a k
an de
mas t
(T AN 1
1m , 3
.kl ; r
õh ttr
aa ve
rs)
Pa iga
lda da
sä de
va he
miku d
Ase nd
ad a k
an de
mas t
(T AN 1
1m , 3
.kl ; r
õh ttr
aa ve
rs)
Ase nd
ad a k
an de
mas t
(T AN 1
1m , 3
.kl ; r
õh ttr
aa ve
rs)
Ase nd
ad a k
an de
mas t
(T AN 1
1m , 3
.kl ; r
õh ttr
aa ve
rs)
Pa iga
lda da
sä de
va he
miku d
Ase nd
ad a T
raa ve
rs
Paigaldada lõputraavers
A se
nd ad
a lõ
pu m
as t k
oo s t
oe ga
. ( K
RE 1
1m , 3
.k l +
tu gi
1 1m
, 3 .k
l).
Pa ig
al da
da m
aa nd
us lü
lit ig
a ko
or m
us la
hk lü
lit i (
LP 17
24 5)
.
D em
on te
er id
a ol
em as
ol ev
la hk
lü lit
i.
Eh ita
da m
aa nd
us ja
p ot
. ü ht
lu stu
sr in
g
A se
nd ad
a ka
nd em
as t
(K RE
1 1m
, 3 .k
l; rõ
ht tra
av er
s) Pa
ig al
da da
sä de
va he
m ik
ud
A se
nd ad
a ka
nd em
as t
(K RE
1 1m
, 3 .k
l; rõ
ht tra
av er
s)
A se
nd ad
a ka
nd em
as t
(K RE
1 1m
, 3 .k
l; rõ
ht tra
av er
s)
A se
nd ad
a ka
nd em
as t
(K RE
1 1m
, 3 .k
l; rõ
ht tra
av er
s) Pa
ig al
da da
sä de
va he
m ik
ud
A se
nd ad
a ka
nd em
as t
(K RE
1 1m
, 3 .k
l; rõ
ht tra
av er
s)
V ah
et ad
a tra
av er
s ( Rõ
ht tra
av er
s)
V ah
et ad
a tra
av er
s ( Rõ
ht tra
av er
s)
Pa ig
al da
da sä
de va
he m
ik ud
V ah
et ad
a tra
av er
s ( Rõ
ht tra
av er
s)
V ah
et ad
a tra
av er
s ( Rõ
ht tra
av er
s)
A se
nd ad
a N
ur ga
m as
t k oo
s t oe
ga
(K RE
1 1m
, 3 .k
l, tu
gi K
RE 3
kl . 1
1m ; n
ur ga
tra av
er s)
Pa ig
al da
da sä
de va
he m
ik ud
V ah
et ad
a tra
av er
s ( Rõ
ht tra
av er
s)
V ah
et ad
a tra
av er
s ( Rõ
ht tra
av er
s) V
ah et
ad a
tra av
er s (
Rõ ht
tra av
er s)
Pa ig
al da
da sä
de va
he m
ik ud
V ah
et ad
a tra
av er
s ( Rõ
ht tra
av er
s) A
se nd
ad a
ka nd
em as
t (K
RE 1
1m , 3
.k l;
rõ ht
tra av
er s)
A se
nd ad
a ka
nd em
as t
(K RE
1 1m
, 3 .k
l; rõ
ht tra
av er
s)
A se
nd ad
a ka
nd em
as t
(K RE
1 1m
, 3 .k
l; rõ
ht tra
av er
s)
A se
nd ad
a ka
nd em
as t
(K RE
1 1m
, 3 .k
l; rõ
ht tra
av er
s) Pa
ig al
da da
sä de
va he
m ik
ud A
se nd
ad a
ka nd
em as
t (K
RE 1
1m , 3
.k l;
rõ ht
tra av
er s)
Pa ig
al da
da sä
de va
he m
ik ud
A se
nd ad
a lõ
pu tra
av er
s
Re ko
ns tru
ee rid
a H
ag er
i r ab
a 10
kV h
ar ul
iin
M as
tis t M
53 H
1- M
53 H
21 iso
le er
itu d
õh ul
iin i j
uh tm
eg a
BL L6
2
L= 15
47 m
(t ra
ss )
Ra ie
: v õs
a 21
4m 2
Ra ie
: v õs
a 17
4m 2
Rekonstrueerida Pihali 10kV haruliin
M astist M
129-M 129H5
isoleeritud õhuliini juhtmega BLL62
L=331m (trass)
Projekteeritud mastalajaam AJ14234.
Asendada mast koos toega (KRE 11m, 4.kl; tugi KRE11m, 4.kl)
(Paigaldada lõputraavers)
Paigaldada uus trafo 100kVA 21(10,5)/0,41 kV
Paigaldada 0,4 kV JS kilp
Demonteerida tõmmitsad.
Asendada kandemast
(KRE 11m, 3.kl; rõhttraavers)
Asendada kandemast
(KRE 11m, 3.kl; rõhttraavers)
Paigaldada sädevahemikud
Asendada kandemast
(KRE 11m, 3.kl; rõhttraavers)
Asendada kandemast koos toega
(KRE 11m, 3.kl; tugi KRE 11m 3. kl; 3xlõputraavers)
Raie: madal võsa
503m 2
Asendada traavers koos isolaatoritega.
(Rõhttraavers)
Asendada traavers koos isolaatoritega.
(Rõhttraavers)
Asendada kandemast
(KRE 11m, 3.kl; rõhttraavers)
Paigaldada sädevahemikud
Asendada kandemast
(KRE 11m, 3.kl; rõhttraavers)
Asendada kandemast
(KRE 11m, 3.kl; rõhttraavers)
Asendada traavers koos isolaatoritega.
(Rõhttraavers)
Asendada nurgamast koos toega
(KRE 11m, 3. kl; tugi KRE 11m, 3. kl; nurgatraavers)
Paigaldada sädevahemikud
Asendada traavers koos isolaatoritega.
(Rõhttraavers)
Asendada traavers koos isolaatoritega.
(Rõhttraavers)
Asendada traavers koos isolaatoritega.
(Rõhttraavers)
Paigaldada sädevahemikud
Asendada traavers koos isolaatoritega.
(Rõhttraavers)
Asendada traavers koos isolaatoritega.
(Rõhttraavers)
Asendada traavers koos isolaatoritega.
(Rõhttraavers)
Paigaldada sädevahemikud
Asendada traavers koos isolaatoritega.
(Rõhttraavers)
Asendada traavers koos isolaatoritega.
(Rõhttraavers)
Asendada traavers koos isolaatoritega.
(Rõhttraavers)
Paigaldada sädevahemikud
Asendada kandemast
(KRE 11m, 3.kl; rõhttraavers)
Asendada traavers koos isolaatoritega.
(Rõhttraavers)
Asendada traavers koos isolaatoritega.
(Rõhttraavers)
Paigaldada sädevahemikud
Asendada traavers koos isolaatoritega.
(Rõhttraavers)
Paigaldada sädevahemikud
Ehitada maandus R ≤ 15 Ω
Asendada kandemast
(KRE 11m, 3.kl; rõhttraavers)
Paigaldada sädevahemikud
Ehitada maandus R ≤ 15 Ω
Asendada kandemast
(KRE 11m, 3.kl; rõhttraavers)
Asendada traavers koos isolaatoritega.
(Rõhttraavers)
Asendada kandemast
(KRE 11m, 3.kl; rõhttraavers)
Paigaldada sädevahemikud
Asendada kandemast
(KRE 11m, 3.kl; rõhttraavers)
Asendada traavers koos isolaatoritega.
(Rõhttraavers)
Asendada traavers koos isolaatoritega.
(Rõhttraavers)
Paigaldada sädevahemikud
Asendada nurgamast koos toega
(KRE 11m, 3. kl; tugi KRE 11m, 3. kl; nurgatraavers)
Asendada kandemast
(KRE 11m, 3.kl; akrutraavers)
Asendada traavers
(Lõputraavers)
Raie: madal võsa
447m 2
Raie: madal võsa
41m 2
Raie: madal võsa
216m 2
Raie: madal võsa
15m 2
Rekonstrueerida 10kV õhuliin
M astist M
129-M 159
isoleeritud õhuliini juhtmega BLL99
L=2205m (trass)
Rekonstrueerida 10kV õhuliin
M astist M
129-M 159
isoleeritud õhuliini juhtmega BLL99
L=2205m (trass)
Ristum ine M
P õhuliiniga
Gabariit 3m
0,4kV m astidele Ehtada m
aandus R ≤ 30 Ω
2,5m
Asendada kandemast (KRE 11m, 3.kl; Rõhttraavers)
Paigaldada sädevahemikud
Asendada traavers (Lõputraavers)
Rekonstrueerida 10kV õhuliin
Mastist M73-M110 isoleeritud õhuliini juhtmega BLL99
L=3983m (trass)
Asendada kandemast (KRE 11m, 3.kl; Rõhttraavers)
Asendada kandemast (KRE 11m, 3.kl; Rõhttraavers)
Asendada nurgamast koos toega
(KRE 12m, 3. kl; tugi KRE 12m, 3. kl; nurgatraavers)
Paigaldada sädevahemikud
Raie: madal võsa1976m2
Asendada kandemast (KRE 12m, 3.kl; Rõhttraavers)
Asendada kandemast (KRE 11m, 3.kl; Rõhttraavers)
Asendada kandemast (KRE 11m, 3.kl; Rõhttraavers)
Paigaldada sädevahemikud
Asendada kandemast (KRE 11m, 3.kl; Rõhttraavers)
Paigaldada sädevahemikud Asendada kandemast
(KRE 11m, 3.kl; Rõhttraavers)
Asendada kandemast (KRE 11m, 3.kl; Rõhttraavers)
Asendada kandemast (KRE 11m, 3.kl; Rõhttraavers)
Paigaldada sädevahemikud
Asendada kandemast (KRE 11m, 3.kl; Rõhttraavers)
Asendada taarvers ( Rõhttraavers)
Asendada kandemast (KRE 11m, 3.kl; Rõhttraavers)
Paigaldada sädevahemikud
Asendada kandemast (KRE 11m, 3.kl; Rõhttraavers)
Asendada nurgamast koos toega
(KRE 11m, 3.kl, Tugi 11m, 3.kl; Lõputraavers 2x)
Paigaldada riigel
Raie: madal võsa 3350m 2
Asendada kandemast(KRE 11m, 3.kl; Ankrutraavers)Paigaldada sädevahemikud
Raie: madal võsa3033m2
Asendada kandemast(KRE 11m, 3.kl; Rõhttraavers)
Asendada kandemast(KRE 11m, 3.kl; Rõhttraavers)
Asendada kandemast(KRE 11m, 3.kl; Rõhttraavers)Paigaldada sädevahemikud
Asendada kandemast(KRE 11m, 3.kl; Rõhttraavers)
Asendada kandemast (AJ Kaisa)(KRE 11m, 4.kl; Rõhttraavers)Tõsta ümber mastalajaama seadmed uuele mastile!
Asendada kandemast(KRE 12m, 3.kl; Rõhttraavers)Paigaldada sädevahemikud
Asendada kandemast(KRE 12m, 3.kl; Ankrutraavers)
Asendada traavers(Rõhttraavers)Paigaldada sädevahemikudEhitada maandus R ≤ 15 Ω
Asendada traavers(Ankrutraavers)
Asendada traavers(Lõputraavers)Paigaldada tugi (KRE 11m 3. kl)Paigaldada koormuslahklüliti LP17244Ehitada maandus
Rekonstrueerida 10kV õhuliinMastist M73-M110isoleeritud õhuliini juhtmega BLL99L=3983m (trass)
Asendada kandemast(KRE 11m, 3.kl; Rõhttraavers)Paigaldada sädevahemikud
Asendada traavers(Nurgatraavers)
Asendada traavers(Rõhttraavers)
Asendada traavers(Rõhttraavers)Paigaldada sädevahemikud
Asendada traavers(Rõhttraavers)
Asendada traavers(Ankrutraavers)
Asendada traavers(Ankrutraavers)Paigaldada sädevahemikud
Asendada traavers(Ankrutraavers)
Raie: kadakad604m2
Asendada kandemast(KRE 12m, 3.kl; Ankrutraavers)
Asendada kandemast(KRE 12m, 3.kl; Ankrutraavers)Paigaldada sädevahemikudEhitada maandus R ≤ 15 Ω
Asendada traavers(2xLõputraavers)
63,3
72,6
69
69,3
74,4
65,6
71,7
49,5
68,7
73,6
62,9
70,8
67
68,8
69,3
68,5
68,8
66,1
73,3
68,9
69,2
68,3
70,5
65,2
70,6
73,3
53,2
70,9
70,3
70,7
73,4
75,4
53,1
62,7
70,4
68,6
68,4
69,5
69,1
32,5
36
68,1
71
68,6
60,2
67,6
68,9
68,1
71,8
68,3
68,5
69,5
68,9
66,4
70,2
68,2
69,1
67,3
69,6
69,8
68,3
68,3
71,3
67,1
69,6
69,3
75,1
79,9
68,3
66,3
72,4
68,9
69,3
48,9
90,1
47,2
69,1
69,7
68,2
68,3
68,9
72,2
64,3
69,6
M 72H19
M 72H18
M 72H17
M 72H16
M 72H15
M 72H14
M 72H13
M 72H12
M 72H11
M 72H10
M 72H9
M 72H8
M 72H7
M 72H6
M 72H5
M 72H4
M 72H3
M 72H2
M 72H1
M 71
M 70
M 69
M 68
M 67
M 66
M 65
M63
M62
M61
M60
M59
M58
M57
M56
M55
M54
M53
M52
M51
M50
M49
M48
M47
M46
M45
M44
M43
M42
M41
M40
M39
M38
M37
M36
M34
M33
M32
M31
M30
M29
M28
M27
M26
M25
M24
M23
M22
M21
M20
M19
M18
M17
M16
M15
M14
M13
M12
M11
M10
M9
M8
M7
M35
M 64
Asendada mast koos tugedega
(KRE 11m, 3.kl.; 2xtugi KRE 11m, 3.kl.; 3xlõputraavers)
Paigaldada sädevahemikud Asendada traavers
(Rõhttraavers)
Asendada mast
(KRE 11m, 3.kl.; Rõhttraavers)
Asendada mast
(KRE 11m, 3.kl.; Rõhttraavers)
Paigaldada sädevahemikud
Asendada mast
(KRE 11m, 3.kl.; Rõhttraavers)
Asendada mast
(KRE 11m, 3.kl.; Rõhttraavers)
Paigaldada sädevahemikud Asendada mast
(KRE 11m, 3.kl.; Rõhttraavers)
Paigaldada sädevahemikudAsendada traavers
(Rõhttraavers)
Asendada mast
(KRE 11m, 3.kl.; Rõhttraavers)
Asendada mast
(KRE 11m, 3.kl.; Rõhttraavers)
Paigaldada sädevahemikud
Asendada mast
(KRE 11m, 3.kl.; Rõhttraavers)
Asendada mast
(KRE 11m, 3.kl.; Rõhttraavers) Asendada traavers
(Rõhttraavers)
Paigaldada sädevahemikud
Asendada mast
(KRE 11m, 3.kl.; Rõhttraavers)
Asendada mast
(KRE 11m, 3.kl.; Rõhttraavers) Asendada mast
(KRE 11m, 3.kl.; Rõhttraavers)
Paigaldada sädevahemikud
Asendada mast
(KRE 11m, 3.kl.; Rõhttraavers)
Asendada mast
(KRE 11m, 3.kl.; Rõhttraavers)
Asendada mast
(KRE 11m, 3.kl.; Rõhttraavers)
Paigaldada sädevahemikud
Asendada traavers
(Rõhttraavers)
Rekonstrueerida 10kV õhuliin Rabivere LP haruliin
M astist M
72-M 72H19
isoleeritud õhuliini juhtmega BLL99
L=1294m (trass)
M 72H20
Asendada mast
(KRE 11m, 3.kl.; Rõhttraavers)
Asendada traavers
(Rõhttraavers)
Paigaldada sädevahemikud
Asendada mast
(KRE 11m, 3.kl.; Rõhttraavers)
Asendada mast
(KRE 11m, 3.kl.; Rõhttraavers)
Asendada mast
(KRE 11m, 3.kl.; Rõhttraavers)
Paigaldada sädevahemikud
Asendada traavers
(Rõhttraavers)
Asendada mast
(KRE 11m, 3.kl.; Rõhttraavers)
Asendada mast
(KRE 11m, 3.kl.; Rõhttraavers)
Paigaldada sädevahemikud
Rekonstrueerida 10kV õhuliin
M astist M
7-M 72
isoleeritud õhuliini juhtmega BLL99
L=4382m (trass)
60
61
62
63
64
65
M72H14
M72H16
11
66
67
68
69
11
70
71
72
M72H13
11
73
3,5 8
Olemasolev 0,4kV õhuliin
M72H15
11
69,3
31701:001:1085 Kurrunurru
31701:001:1107 Pipi
Raie: madal võsa
1163m 2
Raie: madal võsa
166m 2
Raie: madal võsa
162m 2
74,4
74
75
76
60
61
62
63
64
65
66
67
68
69
70
71
72
73
74
75
76
65,6 60
61
62
63
64
65
66
67
68
69
70
71
72
73
74
75
76
M72H12
11
M72H11
11
49,5
7,8 8
8,4 6
60
61
62
63
64
65
66
67
68
69
70
71
72
73
74
75
76
M72H1
11
73,39
7,1 8
M72
11
M71
11
2,9 1
Olemasolev 0,4kV õhuliin
31701:006:1220 Aasa
31701:006:0209 Iti
63
64
65
66
67
68
69
70
71
72
73
74
75
76
M69
11
M68
11
70,53
8,7 8
31701:006:1169Nurmevälja31701:001:0699 Krimmiküla tee L4
31701:001:1795Nurmeotsa 31701:006:1254 Kaalu 63
64
65
66
67
68
69
70
71
72
73
74
75
76
M66
11
M65
11
73,3
8,7 8
62 31701:006:1254 Kaalu 31701:006:0134
Kungla
Asendada traavers
(Rõhttraavers)
31701:006:0134Kungla
Asendada mast
(KRE 11m, 3.kl.; Rõhttraavers)
Asendada mast
(KRE 11m, 3.kl.; Rõhttraavers)
Paigaldada sädevahemikud
Asendada traavers
(Rõhttraavers)
4°
Asendada nurgamast koos toega
(KRE 11m, 3.kl.;tugi KRE 11m, 3.kl.;
Nurgatraavers)
Asendada mast
(KRE 11m, 3.kl.; Rõhttraavers)
Paigaldada sädevahemikud
Asendada mast
(KRE 11m, 3.kl.; Rõhttraavers)
Raie: madal võsa
738m 2
Asendada traavers
(Rõhttraavers)
Asendada traavers
(Rõhttraavers)
Paigaldada sädevahemikud
Asendada mast
(KRE 11m, 3.kl.; Rõhttraavers)
Asendada mast
(KRE 11m, 3.kl.; Rõhttraavers)
Asendada mast
(KRE 11m, 3.kl.; Rõhttraavers)
Paigaldada sädevahemikud
Asendada traavers
(Rõhttraavers)
Asendada mast
(KRE 11m, 3.kl.; Rõhttraavers) Asendada traavers
(Rõhttraavers)
Paigaldada sädevahemikud
Asendada mast
(KRE 11m, 3.kl.; Rõhttraavers)
Asendada traavers
(Nurgatraavers)
Paigaldada masti tipu kate
Raie: madal võsa
738m 2
Asendada traavers
(Rõhttraavers)
Paigaldada masti tipu kate
Paigaldada sädevahemikud
Asendada traavers
(Rõhttraavers)
Paigaldada masti tipu kate
Asendada mast
(KRE 11m, 3.kl.; Ankrutraavers)
Asendada traavers
(Ankrutraavers)
Paigaldada sädevahemikud
Asendada traavers
(Rõhttraavers)
Asendada traavers
(Rõhttraavers)
Asendada traavers
(Rõhttraavers)
Paigaldada sädevahemikud
Asendada traavers
(Rõhttraavers)
Asendada traavers
(Rõhttraavers)
Asendada traavers
(Rõhttraavers)
Paigaldada sädevahemikud
Asendada traavers
(Rõhttraavers)
Asendada traavers
(Rõhttraavers)
Raie: madal võsa
317m 2
64
65
66
67
68
69
70
71
72
73
74
75
76 M44
11
M68
11
68,05
7,6 7
77
66903:001:0154 Kangruotsa66901:001:0669
6690173 Nurme külatee L4
66903:001:0153 Tänavaotsa
Asendada mast
(KRE 11m, 3.kl.; Rõhttraavers)
Paigaldada sädevahemikud
Asendada traavers
(Rõhttraavers)
Asendada traavers
(Rõhttraavers)
Asendada mast
(KRE 11m, 3.kl.; Rõhttraavers)
Paigaldada sädevahemikud
66903:001:0520Männiku
Raie: madal võsa
261m 2
Asendada mast
(KRE 11m, 3.kl.; Rõhttraavers)
Asendada traavers
(Rõhttraavers)
Asendada traavers
(Rõhttraavers)
Paigaldada sädevahemikud
Asendada traavers
(Rõhttraavers)
Asendada traavers
(Rõhttraavers)
Asendada traavers
(Nurgatraavers)
Paigaldada sädevahemikud
Asendada mast
(KRE 11m, 3.kl.; Rõhttraavers)
Asendada traavers
(Rõhttraavers)
Asendada mast
(KRE 11m, 3.kl.; Rõhttraavers)
Paigaldada sädevahemikud Asendada mast
(KRE 11m, 3.kl.; Rõhttraavers) Asendada mast
(KRE 11m, 3.kl.; Rõhttraavers) Asendada mast
(KRE 11m, 3.kl.; Rõhttraavers)
Paigaldada sädevahemikud Asendada mast
(KRE 11m, 3.kl.; Rõhttraavers)
Asendada mast
(KRE 11m, 3.kl.; Rõhttraavers)
Raie: madal võsa
261m 2
Raie: noored kuused/männid
798m 2
Asendada traavers
(Ankrutraavers)
Asendada mast
(KRE 11m, 3.kl.; Ankrutraavers)
Paigaldada sädevahemikud Asendada mast
(KRE 11m, 3.kl.; Rõhttraavers)
Asendada mast
(KRE 11m, 3.kl.; Rõhttraavers)
Asendada traavers
(Rõhttraavers)
Paigaldada sädevahemikud
Asendada traavers
(Rõhttraavers)
Asendada mast
(KRE 11m, 3.kl.; Rõhttraavers)
Asendada traavers
(Ankrutraavers)
Asendada traavers
(Ankrutraavers)
Asendada traavers
(Lõputraavers)
64
65
66
67
68
69
70
71
72
73
74
75
76 M29
11
M28
11
71,34
7,2 2
77
66903:001:0184 Männisalu
66903:001:0640 Lepaluku
67
68
69
70
71
72
73
74
75
76
77
78
79
80
81
82
83
M16
11
M15
11
47,18
8,4 1
M9
11
64,34
8,6 4
M8
11
M7
11
66903:001:0055Kaasiku-Ülepere66901:001:06776690176 Koigi tee L2
66903:001:0188Põlluaasa 67
68
69
70
71
72
73
74
75
76
77
78
79
80
81
82
67
68
69
70
71
72
73
74
75
76
77
78
79
80
81
82
69,57
7,7 9
66903:001:0159Kivikoigi66901:001:05676690176 Koigi tee L166903:001:0160Kivikünka
Ristumine teega
Gabariit 7,7m
Ristumine teega
Gabariit 8,6m
Ristumine teega
Gabariit 8,4m
Ristumine teega
Gabariit 7,2m
Ristumine teega
Gabariit 7,6m
Ristumine teega
Gabariit 8,7m
Ristumine teega
Gabariit 8,7m
Ristumine
Gabariit 3,5m
Ristumine teega
Gabariit 7,8m Ristumine teega
Gabariit 8,4m
Ristumine teega
Gabariit 7,1m
Ristumine M P õhuliiniga
Gabariit 2,9m
Ristumine teegaGabariit 7,6m
Ristumine teegaGabariit 7m
Ristumine teegaGabariit 7,2m
Ristumine teegaGabariit 8,2m
Ristumine teegaGabariit 7,2m
Ristumine teegaGabariit 6m
Ristumine teegaGabariit 6,7m
Ristumine Kasari jõega Gabariit 4,6m
Ristumine M P õhuliiniga
Gabariit 2,6 m
Ristumine teega
Gabariit 7,3m
Ristumine teega
Gabariit 6,8m
Ristumine teega
Gabariit 7,2m
Ri stu
mine te
eg a
Gab ari
it 7,5
m
Ristumine teegaGabariit 8,2m
Asendada kandemast koos toega
(KRE 11m, 3.kl; tugi KRE 11m 3. kl; Ankrutraavers)
Paigaldada sädevahemikud
M 129H1
57
58
59
60
61
62
63
64
65
66
67
68
69
70
56
55
M105
12
134,67
6,1 3
31701:006:1183 Allikaoru
31701:006:1183Allikaoru
Ristumine teegaGabariit 6,1m
5°
10°
48°
31701:005:0760 Meierei tee 1
31701:005:0058 Sutlema tee 8
31701:005:0350 Meierei tee 2 // Sutlema tee 10
31701:005:0066 Tuuleveski tee 2
31 70
1: 00
5: 00
67
Al le
e
31701:005:0068 Tuuleveski tee 3
31701:005:0937 Meierei alajaam
31701:005:0057 Sutlema tee 6
31701:001:0613 Kuriste tee
31701:005:0451 Sutlema tee 4
Kohila tee 3
31 70
1: 00
5: 04
40
Ko hi
la te
e 1
// S
ut le
m a
te e
2
31701:005:0500 Kuriste tee 6
31701:005:0959 Kohila tee 5
31701:005:0660 Kuriste tee 12
31701:005:0120 Kohila tee 11
31701:005:0270 Kuriste tee 14
31701:005:0650 Kohila tee 9
31701:005:0005 Kohila tee 8
31701:005:0023 Kohila tee 10
31701:005:0021 Oru
31701:001:0611 Kiriku tee L2
31701:005:0430 Vaino
31701:005:0050 Ernitsa
31701:005:0581 Ülevainu
31701:005:0302 Mäeküla
31701:005:0012 Ann-Mai
31701:001:0608 Pargi tänav
31701:005:0301 Mäeküla
31701:005:0410 Kohila tee 6
31701:005:0985 Kohila tee 4
31701:005:0033 Kiriku tee 1
31701:001:1496 Kohila tee 4a
31 70
1: 00
1: 11
44
Su tle
m a
ke rg
te e
L1
31 70
1: 00
5: 00
59
Su tle
m a
ja lg
te e
31701:001:1036 Kuriste tee 1
31701:005:0750 Kabelikopli tee 2
31701:005:0790 Sutlema tee 9
31701:001:0612 Kabelikopli tee
31701:001:0288 Mesitaru
31701:005:0221 Võsalepa
31701:001:1870 Allika
31701:001:2691 Mäeotsa
31701:001:0263 Koka
31701:001:2471 Vardi metskond 77
31701:005:0170 Tuuleveski tee 6
31 70
1: 00
1: 05
49 Su
tle m
a ke
rg te
e
31701:001:0549 Sutlema kergtee
31701:001:2190 11240 Tõdva-Hageri tee
31 70
1: 00
1: 21
90
11 24
0 Tõ
dv a-
Ha ge
ri te
e
31 70
1: 00
5: 01
41
Su tle
m a
te e
11
Su tle
m a
ke rg
te e
L1 31
70 1:
00 1:
11 44
11 24
0 Tõ
dv a-
Ha ge
ri te
e 31
70 1:
00 1:
21 90
31701:005:0480
31701:005:0820 11220 Kernu-Kohila tee
31701:005:0985 Kohila tee 4
31701:005:0985 Kohila tee 4
31 70
1: 00
5: 08
30
20 10
1 Ha
ge ri-
Ko di
la -K
uu sik
u te
e
X X
X X
X X
X X
X X
X X
X X
X X
X X
X X
X
X
X X
X X X X X X 31701:001:1482 Kohila tee 19a
31701:001:0187
31701:001:0188 Laudataguse
31701:005:0340 Kohila tee 21
31701:005:0250 Tuuleveski tee 7
31701:005:0920 Kohila tee 13
31701:001:1141 Pärdipõllu
31701:001:1142 Varsakopli
31701:005:0470 Kohila tee 19
31701:005:0223 Kohila tee 15
31701:001:0439 Vanakooli
31701:005:0510 Kohila tee 17
31701:005:0222 Nurmekõivu
Lauda
Lauda
31701:001:2180 11220 Kernu-Kohila tee
EL -0
1- 11
EL -0
1- 12
EL-01-13
EL-01-14
EL-00
M 60
M 1
M 2
M 3
M 4
M 5
M 6
M 7
M 8
M 9
De m
on te
er id
a KP
õ hu
lii ni
k aa
be l k
oo s m
as tid
eg a
- A S-
35 L=
40 5m
(T RA
SS )
- R au
db et
oo n
m as
t 3 tk
- R au
db et
oo n
m as
ti tu
gi 3
tk - P
ui tm
as t 6
tk - P
ui tm
as ti
tu gi
1 tk
+TR +KP +MPS +MP -T12N2UV2W 1W1V1U-MEB KPS
+.K03 +.K01
+.K05
Pr oj
ek te
er itu
d 24
kV m
aa ka
ab el
- Nr
: K PL
22 05
73 (A
J1 42
33 <
--> M
60 )
- AH
XA M
K- W
3 x2
40 +3
5, L KA
AB EL
=4 90
m , L
TR AS
S= 4
53 m
- Sa
m as
se tr
as si
pa ig
al da
da re
se rv
to ru
D 16
0
-2 x(
AJ 14
23 3<
--> A
D1 60
4 50
N, L
TO RU
=1 77
m , L
TR AS
S= 1
72 m
)
- 2x
(A <-
-> B
D1 60
7 50
N, L T
O RU
=2 41
m , L
TR AS
S= 2
33 m
)
- 2x
(B <-
-> C
D1 60
1 25
0N , L
TO RU
=1 2m
, L TR
AS S=
1 0m
)
- 2x
(C <-
-> M
60 D
16 0
75 0N
, L TO
RU =4
0m , L
TR AS
S= 3
8m )
- Sü
ga vu
s: m
in 1
m
A
De m
on te
er id
a AJ
H ag
er i h
oo ld
ek od
u: (K
oh ila
)
- D em
on te
er id
a tr
af o
40 0k
VA - D
em on
te er
id a
al aj
aa m
a se
ad m
ed ja
ju ht
m es
tik
(k un
i 1 m
sü ga
vu se
lt de
m on
te er
ita va
a la
ja am
a
al t m
at er
ja lid
/s ea
dm ed
e em
al da
da )
- K on
se nt
ra at
or ja
a rv
es ti
tõ st
a üm
be r p
ro je
kt ee
rit av
as se
al aj
aa m
a AJ
14 23
3 - O
le m
as ol
ev ad
0 ,4
kV ü
he nd
us ed
ta as
ta da
v as
ta va
lt
el ek
tr isk
ee m
ile (J
oo ni
s E L-
03 )
Pr oj
ek te
er itu
d ko
m pl
ek ta
la ja
am "
AJ 14
23 3"
1 VM
63 0k
VA (V
t. jo
on is
EL -0
3, E
L- 05
)
- M aa
nd us
ta ki
st us
ta ga
da R ≦4
,0 o
om i;
- O le
m as
ol ev
a m
aa pi
nn a
kõ rg
us : +
65 .6
1 (li
gi ka
ud ne
)
- A la
ja am
a 0-
pu nk
ti kõ
rg us
: + 61
.9 1
- A la
ja am
a pa
ig al
du sp
iir ko
nn a
kõ rg
en di
ku d
ta sa
nd ad
a.
- T aa
st ad
a al
aj aa
m a
üm be
r l ip
pa ed
!
- A la
ja am
a se
nd ad
a ol
em as
ol ev
a al
aj aa
m a
ko ha
le . E
hi tu
se ks
k as
ut ad
a ge
ne ra
at or
it!
B
C
M 17
Pr oj
ek te
er itu
d 0,
4k V
m aa
ka ab
el
- Nr
: M PL
40 47
26 (A
J1 42
33 <-
-> M
17 )
- AX
PK 4G
24 0,
L KA AB
EL =3
91 m
, L TR
AS S=
3 62
m
- AJ
14 23
3< -->
A D1
10 4
50 N,
L T O
RU =1
80 m
, L TR
AS S=
1 74
m
- A<
--> M
17 D
11 0
75 0N
, L TO
RU =1
94 m
, L TR
AS S=
1 88
m
- Sü
ga vu
s: m
in 1
m
Pr oj
ek te
er itu
d 24
kV m
aa ka
ab el
- Nr
: K PL
22 05
74 (A
J1 42
33 <
--> AJ
78 03
)
- AH
XA M
K- W
3 x1
20 +3
5, L KA
AB EL
=1 10
8m , L
TR AS
S= 1
04 6m
- AJ
14 23
3< -->
A D1
60 4
50 N,
L TO RU
=1 77
m , L
TR AS
S= 1
71 m
- A<
--> B
D1 60
7 50
N, L T
OR U
=1 90
m , L
TR AS
S= 1
83 m
- B<
--> C
D1 60
1 25
0N , L
TO RU
=3 7m
, L TR
AS S=
3 2m
- C<
--> D
D1 60
4 50
N, L T
OR U
=7 5m
, L TR
AS S=
7 1m
- D <-
-> E
D1 60
1 25
0N , L
TO RU
=1 0m
, L TR
AS S=
9 m
- E<
--> F
D1 60
4 50
N, L T
O RU
=6 8m
, L TR
AS S=
6 4m
- F<
--> G
D1 60
1 25
0N , L
TO RU
=9 m
, L TR
AS S
= 8m
- G <-
-> H
D1 60
7 50
N, L T
OR U
=3 02
m , L
TR AS
S =
29 3m
- H <-
-> I D
16 0
12 50
N, L T
OR U
=1 3m
, L TR
AS S=
1 2m
- I<
--> J D
16 0
75 0N
, L TO
RU =4
1m , L
TR AS
S =
40 m
- J<
--> K
D1 60
1 25
0N , L
TO RU
=3 7m
, L TR
AS S=
3 5m
- K <-
-> L D
16 0
75 0N
, L TO
RU =1
6m , L
TR AS
S= 1
5m
- L<
--> M
D 16
0 12
50 N,
L T OR
U =9
0m , L
TR AS
S= 8
5m
- M
<- ->
N D1
60 1
25 0N
, L TO
RU =1
2m , L
TR AS
S= 1
0m
- N<
--> AJ
78 03
D 16
0 45
0N , L
TO RU
=2 0m
, L TR
AS S=
1 8m
- Sü
ga vu
s: m
in 1
m
D E
F
G
H
I
M
N
Pr oj
ek te
er itu
d 24
kV m
aa ka
ab el
-N r:
KP L2
20 57
4 (A
J1 42
33 <
--> AJ
78 03
)
- AH
XA M
K- W
3 x1
20 +3
5, L KA
AB EL
=1 10
8m , L
TR AS
S= 1
04 6m
- AJ
14 23
3< -->
A D1
60 4
50 N,
L TO RU
=1 77
m , L
TR AS
S= 1
71 m
- A<
--> B
D1 60
7 50
N, L TO
RU =1
90 m
, L TR
AS S=
1 83
m
-B <-
-> C
D1 60
1 25
0N , L
TO RU
=3 7m
, L TR
AS S=
3 2m
- C <-
-> D
D1 60
4 50
N, L
TO RU
=7 5m
, L TR
AS S=
7 1m
- D<
--> E
D1 60
1 25
0N , L
TO RU
=1 0m
, L TR
AS S=
9 m
- E<
--> F
D1 60
4 50
N, L T
O RU
=6 8m
, L TR
AS S
= 64
m
-F <-
-> G
D1 60
1 25
0N , L
TO RU
=9 m
, L TR
AS S=
8 m
-G <-
-> H
D1 60
7 50
N, L
TO RU
=3 02
m , L
TR AS
S= 2
93 m
- H<
--> I D
16 0
12 50
N, L T
O RU
=1 3m
, L TR
AS S
= 12
m
-I <-
-> J D
16 0
75 0N
, L TO
RU =4
1m , L
TR AS
S= 4
0m
- J<
--> K
D1 60
1 25
0N , L
TO RU
=3 7m
, L TR
AS S=
3 5m
- K<
--> L D
16 0
75 0N
, L TO
RU =1
6m , L
TR AS
S= 1
5m
- L<
--> M
D 16
0 12
50 N,
L TO RU
=9 0m
, L TR
AS S
= 85
m
-M <-
-> N
D1 60
1 25
0N , L
TO RU
=1 2m
, L TR
AS S=
1 0m
-N <-
-> AJ
78 03
D 16
0 45
0N , L
TO RU
=2 0m
, L TR
AS S=
1 8m
- Sü
ga vu
s: m
in 1
m
31701:005:0870 Puhastusseadme
31701:005:0007 Tuuleveski tee 4
31701:001:1211 Härjasilma
31701:001:1509 Kuriste tee L1
31701:001:1108 Meierei tee 6
31701:005:0069 Meierei tee 5
31701:005:0890 Meierei tee 4
31701:005:0950 Meierei tee 3
31701:005:0936 Tuuleveski alajaam
31701:005:0170 Tuuleveski tee 6
M37
Projekteeritu d 24kV maakaabel
- Nr: KPL220575 (HK2042 <-->M37)
- AHXAMK-W 3x50+35, L KAABEL=781m, LTRASS= 731m
- D160 450N, L TORU=752m, LTRASS= 731m
- Sügavus: min 1m
Projekteeritu d 24kV maakaabel
- Nr: KPL220575 (HK2042 <-->M37)
- AHXAMK-W 3x50+35, LKAABEL=781m, L TRASS= 731m
- D160 450N, LTORU=752m, L TRASS= 731m
- Sügavus: min 1m
Projekteeritu d KP harukilp HK2042
- Kilp paigaldada Tuuleveski tee 6 kinnistule;
- Kilbi tüüp: Sokliga pinnases, In= 630A+märketulp
- Kilbi kõrgusmärk: +62.04
- Uks avaneb sissesõidu tee suunas.
Ol. o. KP kaabel AHXAMK-W 3x120+35 (nr: 93802)
- Olemasolev KP kaabel
- Teha kaablile sisselõige ja ühendada proj. KP harukilpi
(nr: H K2042);
Ol. o. KP kaabel AHXAMK-W 3x120+35 (nr: 9 3802)
- Olemasolev KP kaabel
- Teha kaablile sisselõige ja ühendada proj. KP harukilpi
(nr: H K2042);
- Uus kaabli number KPL228102
- Pikendada kaablit jä tkumuhviga
Olemasolev alajaam AJ Sirle
KP JM 1
M 7
M 8
M 9
M 10
M 11
M 12
M 13
M 24
M 24
A M
25
M 26
M 27
M 28
M 29
M 30
M 31
M 32
M 33
M 34
M 35
M 36
M 23
M 22
M 16 M
1 M
1
31701:001:2567 Lauda alajaam
De m
on te
er ita
v õh
ul iin
ik aa
be l 3
C CC
ST A
SC R
99 L TR
AS S=
61 3m
AJ H
ag er
i l au
da -M
13 - D
em on
te er
id a
pu itm
as tid
: 7 tk
- D em
on te
er id
a m
as ti
to ed
(p ui
t): 2
tk
- D em
on te
er id
a tõ
m m
its ad
: 4 tk
De m
on te
er ita
v õh
ul iin
ik aa
be l A
S- 50
L TR AS
S= 10
11 m
Aj S
irl e-
M 13
De m
on te
er ita
v õh
ul iin
ik aa
be l A
S- 25
L TR AS
S= 27
6m
Aj T
iiu -M
13 - D
em on
te er
id a
pu itm
as tid
: 1 3t
k
- D em
on te
er id
a m
as ti
to ed
(p ui
t): 2
tk
- D em
on te
er id
a ra
ud be
to on
m as
tid : 5
tk
- D em
on te
er id
a m
as ti
to ed
(r au
db et
oo n)
: 6 tk
De m
on te
er ita
v M
ad al
pi ng
e õh
ul iin
i k aa
be l
AM KA
3 x7
0+ 50
a lja
am a
ja M
P m
as ti
M 1
va he
l
L TR AS
S= 9m
Tö ös
t v äl
ja m
in ev
k aa
be l
- A J7
80 3<
--> KP
m as
t M 24
A
De m
on te
er id
a AJ
T iiu
:(K oh
ila )
- D em
on te
er id
a tr
af o
63 KV
A - D
em on
te er
id a
al aj
aa m
a se
ad m
ed ja
ju ht
m es
tik
(k un
i 1 m
sü ga
vu se
lt de
m on
te er
ita va
a la
ja am
a
al t m
at er
ja lid
/s ea
dm ed
e em
al da
da )
- De
m on
te er
id a
ar ve
st i j
a ko
nt se
nt ra
at or
C B
31701:005:0280 Kuriste tee 10
Ristumine MP õhuliinigaGabariit 3m 0,4kV mastidele Ehtada maandus R ≤ 30 Ω
1,2m
L
31701:005:0820 11220 Kernu-Kohila tee
31701:006:0195 Mardi
ET TE
VA AT
US T!
Si de
ka ab
el !
ET TE
VA AT
US T!
M P
ka ab
el !
ET TE
VA AT
US T!
Ka na
lis at
sio on
i t or
u!
ET TE
VA AT
US T!
Ve e
to ru
! ET
TE VA
AT US
T! Ta
as ta
da a
ed !
ET TE
VA AT
US T!
Ta as
ta da
a ed
! ET
TE VA
AT US
T! Si
de ka
ab el
!
ET TE
VA AT
US T!
Si de
ka ab
el !
ET TE
VA AT
US T!
Sa de
ve e
ka na
lis at
sio on
i t or
u!
ET TE
VA AT
US T!
Tr as
s k ul
ge b
sid ek
aa bl
i k õr
va l!
Pu ur
im ism
as in
a pa
ik ne
m isa
la !
Pe al
e pu
ur im
ist ta
as ta
da m
ur up
la ts
!
Pu ur
im isk
ae vi
k!
D1 60
-1 25
0N k
ai ts
et or
u L TR
AS S=
32 m
L T O
RU =3
7m (v
t. Ri
st m
ev äl
ja jo
on is
R1 )
NB ! E
NN E
PU UR
IM IS
T TE
HA K
IN DL
AK S
RI ST
UV AT
E TR
AS SI
DE S
ÜG AV
US ED
Ri st
um in
e ki
nn ise
l m ee
to di
l! D1
60 -1
25 0N
k ai
ts et
or u
L TR AS
S= 9m
L TO RU
=1 0m
Sü ga
vu s m
in 1
m
ET TE
VA AT
US T!
Si de
ka ab
el !
ET TE
VA AT
US T!
Si de
ka ab
el !
ET TE
VA AT
US T!
Si de
ka ab
el !
Ri st
um in
e ki
nn ise
l m ee
to di
l! D1
60 -1
25 0N
k ai
ts et
or u
L TR AS
S= 8m
L TO
RU =9
m Sü
ga vu
s m in
1 m
NB ! E
NN E
PU UR
IM IS
T TE
HA K
IN DL
AK S
RI ST
UV AT
E TR
AS SI
DE S
ÜG AV
US ED
ET TE
VA AT
US T!
M P
ka ab
el !
ET TE
VA AT
US T!
M P
ja K
P ka
ab el
!
Ri st
um in
e ki
nn ise
l m ee
to di
l! D1
60 -1
25 0N
k ai
ts et
or u
L TR AS
S= 12
m L TO
RU =1
3m Sü
ga vu
s m in
1 m
Ri st
um in
e ki
nn ise
l m ee
to di
l! D1
60 -1
25 0N
k ai
ts et
or u
L TR AS
S =3
3m L TO
RU =3
5m Sü
ga vu
s m in
1 m
Ri st
um in
e ki
nn ise
l m ee
to di
l! D1
60 -1
25 0N
k ai
ts et
or u
L TR AS
S= 12
m L TO
RU =1
0m Sü
ga vu
s m in
1 m
Pu ur
im ism
as in
a pa
ik ne
m isa
la !
Pu ur
im isk
ae vi
k!
Pu ur
im ism
as in
a pa
ik ne
m isa
la !
Pu ur
im isk
ae vi
k!
ET TE
VA AT
US T!
Si de
ka ab
el !
ET TE
VA AT
US T!
Ve et
or u!
Pu ur
im ism
as in
a pa
ik ne
m isa
la !
Pu ur
im isk
ae vi
k!
Pu ur
im ism
as in
a pa
ik ne
m isa
la !
Pu ur
im isk
ae vi
k!
Pu ur
im ism
as in
a pa
ik ne
m isa
la !
Pu ur
im isk
ae vi
k!
ETTEVAATUST!
Truup!
Kaabel paigaldada tru ubi alt!
2x D1
60 -1
25 0N
k ai
ts et
or u
L TR AS
S= 12
m L
TO RU
=1 0m
ET TE
VA AT
US T!
Ve et
or u!
ET TE
VA AT
US T!
Ka na
lis at
sio on
itr as
s!
ET TE
VA AT
US T!
Pr oj
ek te
er itu
d M
P ka
ab el
!
ET TE
VA AT
US T!
Ve et
ra ss
!
ET TE
VA AT
US T!
Ve et
ra ss
!
ET TE
VA AT
US T!
Ve et
ra ss
!
ET TE
VA AT
US T!
Si de
ka ab
el !
ET TE
VA AT
US T!
Ve et
ra ss
!
ET TE
VA AT
US T!
Si de
ka ab
el !
ET TE
VA AT
US T!
Ve et
ra ss
! K
J
ET TE
VA AT
US T!
EL A
SA si
de tr
as s!
ET TE
VA AT
US T!
Si de
ka ab
el !
ET TE
VA AT
US T!
Si de
ka ab
el !
ET TE
VA AT
US T!
Ve et
or u!
Pu ur
im ism
as in
a pa
ik ne
m isa
la !
Ri st
um in
e ki
nn ise
l m ee
to di
l! (V
t. Ri
st m
ev äl
ja jo
on is
R2 )
D1 60
-1 25
0N k
ai ts
et or
u L TR
AS S=
35 m
L TO RU
=3 7m
Sü ga
vu s m
in 1
m NB
! E NN
E PU
UR IM
IS T
TE HA
K IN
DL AK
S
RI ST
UV AT
E TR
AS SI
DE S
ÜG AV
US ED
ET TE
VA AT
US T!
Ve et
or u!
Pu ur
im isk
ae vi
k!
Ri st
um in
e ki
nn ise
l m ee
to di
l! D1
60 -1
25 0N
k ai
ts et
or u
L TR AS
S= 52
m L TO
RU =5
5m Sü
ga vu
s m in
1 m
31701:001:1852 Pärtle
Demonteerida AJ Tõnu:(Kohila)
- Demonteerida trafo 100KVA
- Demonteerida alajaama seadmed ja juhtmestik
(kuni 1m sügavuselt demonteeritava alajaama
alt materjalid/seadmed eemaldada)
- Arvesti tõsta ümber projekteeritavasse alajaama AJ14598
Projekteeritud mastalajaam AJ14234.
Asendada mast koos toega (KRE 11m, 4.kl; tugi KRE11m, 4.kl)
(Paigaldada 2xlõputraavers)
Paigaldada uus trafo 100kVA 21(10,5)/0,41 kV
Paigaldada 0,4 kV JS kilp
Demonteerida tõmmitsad.
Projekteeritud 0,4kV maakaablid
-Nr: MPL404723 (AJ14234<-->M1)
- AXPK4G120, LKAABEL=23m, LTRASS= 12m
- Sügavus: min 0,7m
-Nr: MPL404724 (AJ14234<-->M1)
- AXPK4G120, LKAABEL=23m, LTRASS = 12m
- Sügavus: min 0,7mOlemasolev RB mast koos toega M1
- Hargnemisklemmid 6xSLIW54
- Hargnemisklemm 2xSL9.21+kate
- Maakaabli kinnitusdetailid RB mastile 2kmpl
- Maakaabli kaitserenn 2xL=2,2m
Olemasolev RB mast koos toega M1
-Hargnemisklemmid 3xSLIW54
-Hargnemisklemm SL9.21+kate
- Maakaabli kinnitusdetailid RB mastile
- Maakaabli kaitserenn L=2,2m
M 129H5
129H4 M1
M1
M1
Projekteeritud 0,4kV maakaablid
-Nr: MPL404722 (AJ14234<-->M1)
- AXPK4G120, LKAABEL=20m, LTRASS= 9m
- Sügavus: min 0,7m
Olemasolev RB mast koos toega M1
-Hargnemisklemmid 3xSLIW54
- Hargnemisklemm SL9.21+kate
- Maakaabli kinnitusdetailid RB mastile
- Maakaabli kaitserenn L=2,2m Projekteeritud 0,4kV maakaablid
- Nr: MPL404725 (AJ14234<-->M1)
-AXPK4G120, LKAABEL =29m, LTRASS = 16m
- Sügavus: min 0,7m
Demonteerida AJ Pihali:(Kohila)
- Demonteerida trafo 100KVA
- Demonteerida alajaama seadmed ja juhtmestik
(kuni 1m sügavuselt demonteeritava alajaama
alt materjalid/seadmed eemaldada)
- Arvesti ja kontsentraator tõsta ümber projekteeritavasse alajaama AJ14234
Kuupäev Töö nr.
Tellija:
Muudatus Kuupäev
MõõtkavaJoonise nr.
Staadium Koostas
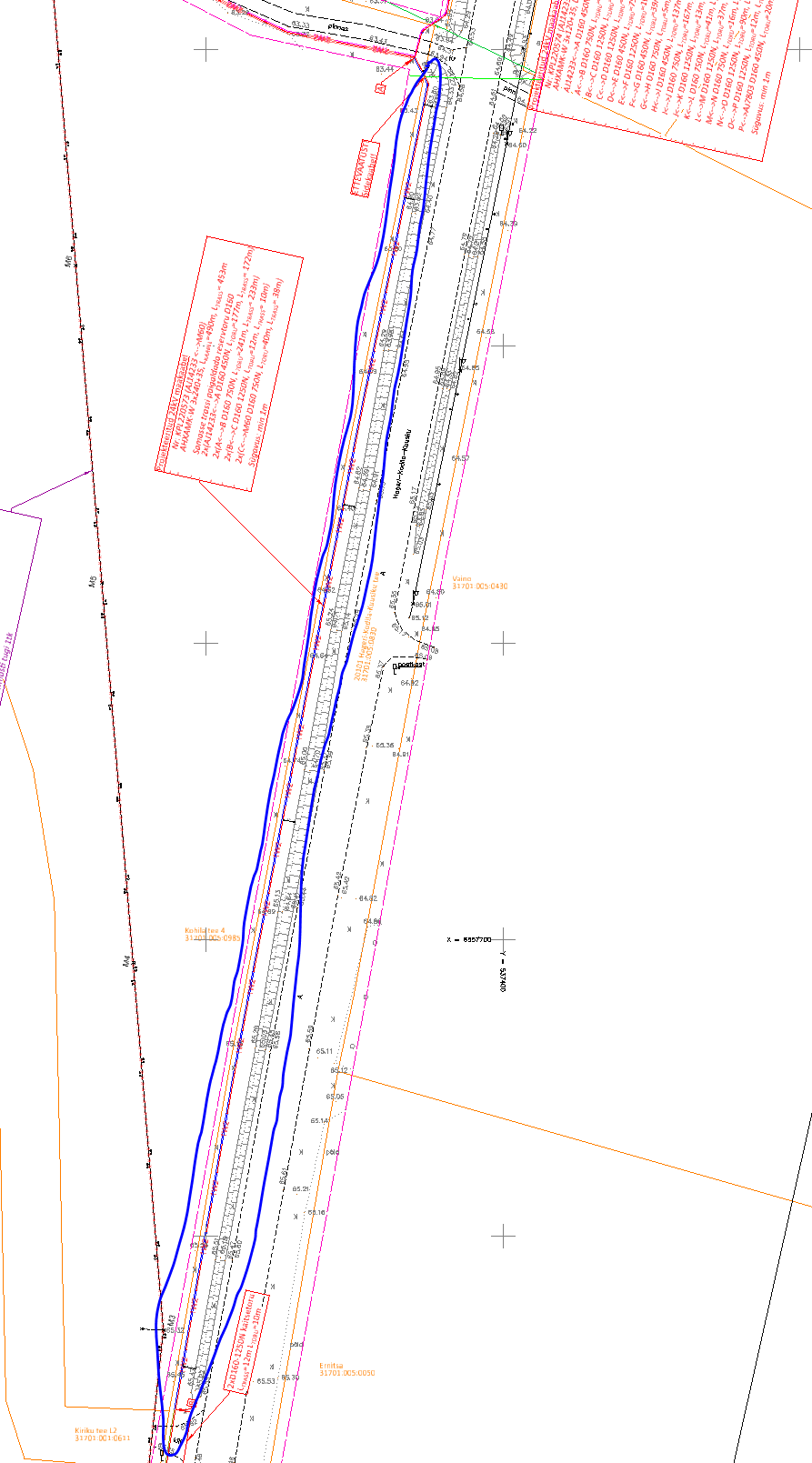
23_3619_TP_EL-01_ASEND_240104_HT
LehtJoonis:
Töö nimetus:
Aadress:
Elektritööde reg. nr.: EL10360030-0001
Salve 2a Tallinn 11612 Tel: (+372) 6 701 066 www.eservice.ee
Kontrollis Proj. kood
H. Turja Tööprojekt
04.01.2024 23_3619
Elektrilevi OÜ
H. Turja IP6010
1/1
Kohila vald, Rapla maakond
Asendiplaan
Kohila -Adila 10kV fiidri rekonstrueerimine
EL-00 1:20000/-MÄRKUSED: 1) Projekt on koostatud lähtuvalt Elektrilevi OÜ lähteülesandest nr: IP6010. 2) Projekti asendiplaani koostamiseks on kasutatud: - Geoalus OÜ poolt koostatud geodeetilist asendiplaani nr: 23-G444; kuup.:04.01.2024 (koordinaadid L-EST97 ja kõrgused EH2000 süsteemis 3) Õhu- ja maakaabelliinide pikkused on asendiplaanile märgitud trassipikkustena (kogupikkused vt. elektrilisel skeemil Joonis EL-02 ja EL-03).
TINGMÄRGID
Olemasolev kinnistupiir
64
65
66
67
68
69
70
71
72
73
74
75
76 M29
11
M28
11
71,34
7, 22
77
66903:001:0184 Männisalu
66903:001:0640 Lepaluku
67
68
69
70
71
72
73
74
75
76
77
78
79
80
81
82
83
M16
11
M15
11
47,18
8, 41
M9
11
64,34
8, 64
M8
11
M7
11
66903:001:0055 Kaasiku-Ülepere66901:001:0677
6690176 Koigi tee L2
66903:001:0188 Põlluaasa
67
68
69
70
71
72
73
74
75
76
77
78
79
80
81
82
67
68
69
70
71
72
73
74
75
76
77
78
79
80
81
82
69,57
7, 79
66903:001:0159 Kivikoigi
66901:001:0567 6690176 Koigi tee L1
66903:001:0160 Kivikünka
66903:001:0159
Kivik oigi
66901:001:0567
6690176 Koigi te e L1
66903:001:0160
Kivik ünka
66801:001:1877
Uuetoa
66903:001:0055
Kaasik u-Ü
lepere
66 90
1: 00
1: 06
77
66 90
17 6
Ko ig
i t ee
L2
66903:001:0189
Metsa ve
ere
66903:001:0188
Põllu aasa
66801:001:1431
Kasesalu
66903:001:0166
Kaasik upõllu
66903:001:0183
Kaasik u-Altp
ere
66903:001:0184
Männisa lu
66903:001:0640
Lepaluku
66903:001:0184
Männisa lu
69,1 67,3
69,6 69,8
68,3 68,3
71,3 67,1
69,6 69,3 75,1
79,9 68,3
66,3 72,4
68,9 69,3
48,9 90,1
47,2 69,1
69,7 68,2
68,3 68,9
72,2 64,3
69,6
M34
M33
M32
M31
M30
M29 M28
M27
M26
M25 M24
M23 M22 M21
M20 M19
M18 M17
M16 M15
M14
M13 M12
M11 M10
M9
M8 M7
Asendada mast (KRE 11m, 3.kl.; Rõhttraavers) Paigaldada sädevahemikud
Asendada traavers (Rõhttraavers) Asendada traavers
(Rõhttraavers)
Asendada mast (KRE 11m, 3.kl.; Rõhttraavers) Paigaldada sädevahemikud
66 90
3:0 01
:05 20
M än
nik u
Raie: madal võsa 261m2
Asendada mast (KRE 11m, 3.kl.; Rõhttraavers)
Asendada traavers (Rõhttraavers) Asendada traavers
(Rõhttraavers) Paigaldada sädevahemikud
Asendada traavers (Rõhttraavers) Asendada traavers
(Rõhttraavers)
Asendada traavers (Nurgatraavers) Paigaldada sädevahemikud
Asendada mast (KRE 11m, 3.kl.; Rõhttraavers)
Asendada traavers (Rõhttraavers)
Asendada mast (KRE 11m, 3.kl.; Rõhttraavers) Paigaldada sädevahemikud
Asendada mast (KRE 11m, 3.kl.; Rõhttraavers)
Asendada mast (KRE 11m, 3.kl.; Rõhttraavers)
Asendada mast (KRE 11m, 3.kl.; Rõhttraavers) Paigaldada sädevahemikud
Asendada mast (KRE 11m, 3.kl.; Rõhttraavers)
Asendada mast (KRE 11m, 3.kl.; Rõhttraavers)
Raie: madal võsa 261m2
Raie: noored kuused/männid 798m2
Asendada traavers (Ankrutraavers)
Asendada mast (KRE 11m, 3.kl.; Ankrutraavers) Paigaldada sädevahemikud
Asendada mast (KRE 11m, 3.kl.; Rõhttraavers)
Asendada mast (KRE 11m, 3.kl.; Rõhttraavers)
Asendada traavers (Rõhttraavers) Paigaldada sädevahemikud
Asendada traavers (Rõhttraavers)
Asendada mast (KRE 11m, 3.kl.; Rõhttraavers)
Asendada traavers (Ankrutraavers)
Asendada traavers (Ankrutraavers)
Asendada traavers (Lõputraavers) Mast asendatakse projektiga IP4462 ja paigaldatakse 2 tõmmitsat!
Ristumine teega Gabariit 7,7m
Ristumine teega Gabariit 8,6m
Ristumine teega Gabariit 8,4m
Ristumine teega Gabariit 7,2m
10 °
Kuupäev Töö nr.
Tellija:
Muudatus Kuupäev
MõõtkavaJoonise nr.
Staadium Koostas
23_3619_TP_EL-01_ASEND_240104_HT
LehtJoonis:
Töö nimetus:
Aadress:
Elektritööde reg. nr.: EL10360030-0001
Salve 2a Tallinn 11612 Tel: (+372) 6 701 066 www.eservice.ee
Kontrollis Proj. kood
H. Turja Tööprojekt
04.01.2024 23_3619
Elektrilevi OÜ
H. Turja IP6010
10/16
Kohila vald, Rapla maakond
Asendiplaan
Kohila -Adila 10kV fiidri rekonstrueerimine
EL-01 1:1500 / -
TINGMÄRGID
Olemasolev madalpinge õhuliin Olemasolev keskpinge õhuliin
Projekteeritud puitmast Projekteeritud masti tugi
Projekteeritud BLL99 õhuliin
Olemasolev kinnistupiir
Olemasolev puitmast Olemasolev raudbetoonmast
Raieala
MÄRKUSED: 1) Projekt on koostatud lähtuvalt Elektrilevi OÜ lähteülesandest nr: IP6010. 2) Projekti asendiplaani koostamiseks on kasutatud: - Geoalus OÜ poolt koostatud geodeetilist asendiplaani nr: 23-G444; kuup.: 04.01.2024 (koordinaadid L-EST97 ja kõrgused EH2000 süsteemis 3) Õhu- ja maakaabelliinide pikkused on asendiplaanile märgitud trassipikkustena (kogupikkused vt. elektrilisel skeemil Joonis EL-02 ja EL-03).
Joonis 09
65.00 64.00 63.00 62.00 61.00 60.00 59.00
66.00
La ht
ise ka
ev ik
u al
a
La ht
ise ka
ev ik
u al
a
Sõ id
ut ee
Ristmevälja joonis R1 Ristumine 31701 Kernu-Kohila teega
1:250
1, 17
51
4, 11
(m in
. 2 ,2
m )
3, 4
1, 24
O l.
o. si
de ka
ab el
Sü ga
vu s o
rie nt
. 1 m
KÜ p
iir
O l.
o. si
de ka
ab el
Sü ga
vu s o
rie nt
. 1 m
1, 08
1
0, 75
31701:005:0820 11220 Kernu-Kohila tee 31701:005:0120
Kohila tee 11
4, 49
(m in
. 2 ,2
m )
2, 21
O l.
o. S
K to
ru D
=5 60
Sü ga
vu s 6
3. 00
2, 25
O l.
o. E
LA S
A sid
ek aa
be l
Sü ga
vu s o
rie nt
. 1 m
2, 46
(m in
. 1 m
) KÜ p
iir
3, 41
O l.
o. T
V ka
ab el
Sü ga
vu s o
rie nt
. 1 m
31701:005:0830 20101 Hageri-Kodila-Kuusiku tee
O l.
o. tr
uu p
D= 75
0 Sü
ga vu
s 6 2.
40
1, 38
1, 24
Kinnine kaevis 1xØ160, 1250N 1xØ110, 1250N LTORU=56m, LTRASS=51m
1W1
1W1 1W1 1W1 1W1 1W1
2
2 2 2 2 2
M17
1,2
Kohila tee 3
31701:005:0500 Kuriste tee 6
31701:005:0959 Kohila tee 5
31701:005:0120 Kohila tee 11
31701:005:0650 Kohila tee 931701:005:0005
Kohila tee 8
31701:005:0023 Kohila tee 10
31701:005:0021 O
ru 31701:001:0611 Kiriku tee L2
31701:005:0430 Vaino
31701:005:0050 Ernitsa31701:005:0581
Ülevainu
31701:005:0302 M
äeküla
31701:005:0012 Ann-M
ai
31701:001:0608 Pargi tänav
31701:005:0301 M
äeküla
31701:005:0410 Kohila tee 6
31701:005:0985 Kohila tee 4
31701:005:0033 Kiriku tee 1
31701:001:1496 Kohila tee 4a
31701:005:0480
31701:005:0820 11220 Kernu-Kohila tee
31701:005:0985 Kohila tee 4
31701:005:0985 Kohila tee 4
31701:005:0830 20101 Hageri-Kodila-Kuusiku tee
X X
X X
X X
X X
X XXXXXXXXXXXXXXXXXXXXXXXXXXXXXXXXXXXXXXXXXXXXXXXXXXXXXXXXXXXXXXXXXXXXXXXXXXXXXXXXXXXXXXXXXXXXXXXXXXXXXXXXXXXXXXXXXXXXXXXXXXXXXXXXXXXXXXXXXXXXXXXXXXXXXXXXXXXXXXXXXXXXXXXXXXXXXXXXXXXXXXXXXXXXXXXXXXXXXXXXXXXXXXXXXXXXXXXXXXXXXXXXXXXXXXXXXXXXXXXXXXXXXXXXXXXXXXXXXXXXXXXXXXXXXXXXXXXXXXXXXXXXXXXXXXXXXXXXXXXXXXXXXXXXXXXXXXXXXXXXXXXXXXXXXXXXXXXXXXXXXXXXXXXXXXXXXXXXXXXXXXXXXXXXXXXXXXXXXXXXXXXXXXXXXXXXXXX 1W2 1W2
1W2 1W2 1W2 1W2 1W2 1W2 1W2 1W2 1W2 1W2 1W2 1W2 1W2 1W2 1W2 1W2 1W2 1W2 1W2
31701:005:0920 Kohila tee 13
M60 M1 M2
M3
M4
M5
M6
M7
M8
M9
Demonteerida KP õhuliini kaabel koos mastidega - AS-35 L=405m (TRASS) - Raudbetoon mast 3tk - Raudbetoon masti tugi 3tk - Puitmast 6tk - Puitmasti tugi 1tk
+T R
+K P
+M PS
+M P
-T 1
2N
2U
2V 2W 1W
1V
1U
-M EB
+K PS
+. K0
3
+. K0
1
+. K0
5
Projekteeritud 24kV maakaabel - Nr: KPL220573 (AJ14233 <-->M60) - AHXAMK-W 3x240+35, LKAABEL=489m, LTRASS= 451m - Samasse trassi paigaldada reservtoru D160 - 2x(AJ14233<-->B D160 450N, LTORU=416m, LTRASS= 404m) - 2x(B<-->C D160 1250N, LTORU=8m, LTRASS= 7m) - 2x(C<-->M60 D160 750N, LTORU=42m, LTRASS= 40m) - Sügavus: min 1m
A
Demonteerida AJ Hageri hooldekodu:(Kohila) - Demonteerida trafo 400kVA - Demonteerida alajaama seadmed ja juhtmestik (kuni 1m sügavuselt demonteeritava alajaama alt materjalid/seadmed eemaldada) - Konsentraator ja arvesti tõsta ümber projekteeritavasse alajaama AJ14233 - Olemasolevad 0,4kV ühendused taastada vastavalt elektriskeemile (Joonis EL-03)
Projekteeritud komplektalajaam "AJ14233" 1VM630kVA (Vt. joonis EL-03, EL-05) - Maandustakistus tagada R≦4,0 oomi; - Olemasoleva maapinna kõrgus: +65.61 (ligikaudne) - Alajaama 0-punkti kõrgus: +61.91 - Alajaama paigalduspiirkonna kõrgendikud tasandada. - Taastada alajaama ümber lippaed! - Alajaam asendada olemasoleva alajaama kohale. Ehituseks kasutada generaatorit!
B
C
Projekteeritud 0,4kV maakaabel - Nr: MPL404726 (AJ14233<-->JK67888) - AXPK4G240, LKAABEL=317m, LTRASS= 296m - AJ14233<-->A D110 450N, LTORU=180m, LTRASS= 173m - A<-->M17 D110 750N, LTORU=127m, LTRASS= 123m - Sügavus: min 1m
Projekteeritud 24kV maakaabel - Nr: KPL220574 (AJ14233 <-->AJ7803) - AHXAMK-W 3x120+35, LKAABEL=1078m, LTRASS= 1015m - AJ14233<-->A D160 450N, LTORU=177m, LTRASS= 171m - A<-->B D160 750N, LTORU=168m, LTRASS= 162m (sügavus min 1m) - B<-->C D160 1250N, LTORU=56m, LTRASS= 51m(sügavus min 2,2m) - C<-->D D160 450N, LTORU=72m, LTRASS= 69m(sügavus min 1m) - D<-->E D160 1250N, LTORU=14m, LTRASS= 13m(sügavus min 1m) - E<-->F D160 450N, LTORU=37m, LTRASS= 36m(sügavus min 1m) - F<-->G D160 750N, LTORU=5m, LTRASS= 4m(sügavus min 1m) - G<-->H D160 450N, LTORU=137m, LTRASS= 133m(sügavus min 1m) - H<-->I D160 750N, LTORU=166m, LTRASS= 161m(sügavus min 1m) - I<-->J D160 1250N, LTORU=13m, LTRASS= 12m(sügavus min 1m) - J<-->K D160 750N, LTORU=41m, LTRASS= 40m(sügavus min 1m) - K<-->L D160 1250N, LTORU=37m, LTRASS= 35m(sügavus min 1m) - L<-->M D160 750N, LTORU=17m, LTRASS= 16m(sügavus min 1m) - M<-->N D160 125050N, LTORU=35m, LTRASS= 33m(sügavus min 1m) - N<-->O D160 1250N, LTORU=70m, LTRASS= 66m(sügavus min 1m) - O<-->AJ7803 D160 450N, LTORU=14m, LTRASS= 13m(sügavus min 1m)
D E
1W1 1W1 1W1 1W1
1W1
1W1
1W1
1W1
1W1
1W1 1W1
1W1 1W1
1W1
1W1 1W1
1W1 1W1
1W1 1W1
1W1
1W1
1W 1
1W 1
1W 1
1W 1
1W 1
1W 1
1W1 1W1 1W1 1W1 1W1 1W1 1W1 1W1 1W1 1W1
ETTEVAATUST! Sidekaabel!
ETTEVAATUST! MP kaabel!
ETTEVAATUST! Kanalisatsiooni toru!
ETTEVAATUST! Vee toru!
ETTEVAATUST! Sidekaabel!
ETTEVAATUST! Sadevee kanalisatsiooni toru!
Puurimismasina paiknemisala! Peale puurimist taastada muruplats!
D160-1250N kaitsetoru D110-1250N kaitsetoru LTRASS=51m LTORU=56m Min. sügavus teekatte all 2,2m (vt. Ristmevälja joonis R1) NB! ENNE PUURIMIST TEHA KINDLAKS RISTUVATE TRASSIDE SÜGAVUSED
Ristumine kinnisel meetodil! D160-1250N kaitsetoru LTRASS=13m LTORU=14m Sügavus min 1m
Puurimismasina paiknemisala!
Puurimiskaevik!
ETTEVAATUST! ELA SA sidetrass!
ETTEVAATUST! Sidekaabel!
XXXXXXXXXXXXXXXXXXXXXXXXXXXXXXXXXXXXXXXX
M10M11M12
Mastile M12 paigaldada tõmmits!
Demonteeritav Madalpinge õhuliini kaabel AMKA 3x50+70 masti M1 ja M12 vahel LTRASS=102m Demonteerida RB mastid M10 ja M11 Mastile M12 paigaldada tõmmits
Projekteeritud jaotuskilp - Nr:JK67888 - Kõrgusmärk: 63.23 - Olemasolevatele MP kaablid ühendada proj. jaotuskilpi - Jaotuskilp paigaldada proj. Liitumiskilbi 124032LK kõrvale, eest vaadatult paremale! - Taastada olemasoleva LK toide!
Projekteeritud 0,4kV maakaabel - Nr: MPL423848 (JK67888<-->MP M7) - AXPK4G240, LKAABEL=207m, LTRASS= 193m - JK67888<-->B D110 750N, LTORU=45m, LTRASS= 42m (Sügavus: min 1m) - B<-->C D110 1250N, LTORU=56m, LTRASS= 51m (Sügavus: min 2,2m) - D<-->E D110 750N, LTORU=72m, LTRASS= 70m (Sügavus: min 1m) - E<-->F D110 1250N, LTORU=1m, LTRASS= 13m(Sügavus: min 1m) - F<-->M7 D110 450N, LTORU=19m, LTRASS= 17m(Sügavus: min 1m)
2 2 2 2 2 2 2 2 2 2 1W2 1W2 2 2
2
2
2
2
2
2 2
2
2
2
1W 2
1W 2
2W 2
2W 2
2W 2
2W 2
2W 2
2W 2
2W2
2W2 2W2
2W2 2W2
2W2 2W2
2W2
- Olemasolev kaabel - Uus Nr: MPL423849 (JK67888<-->MP M17) - AXPK4G70 - Kaabel tõsta ümber proj. jaotuskilpi JK67888
M17
ETTEVAATUST! Trass kulgeb sidekaabli kõrval!
Projekteeritud tarbija jaotuskilp - Hageri turvakodu Kõrgusmärk: 65.91 - Jaotuskilp paigaldada tagumise küljega proj. alajaama AJ14233 äärde! - Taastada tarbija ühendused!
3,5
D160 750N KPL220574
D110 750N MPL404726
D160 450N KPL220573
D160 450N reservtoru
D110 450N MPL404726
D160 450N KPL220574
D160 450N KPL220573
D160 450N reservtoru
D160 750N KPL220574
D110 750N MPL423848
D160 450N KPL220574
D110 450N MPL423848
Puurimiskaevik!
C B
Ristumine kinnisel meetodil! 2x(D160-1250N kaitsetoru) LTRASS=7m LTORU=8m Sügavus min 1m
1, 2
1, 1
1
1,2
Kuupäev Töö nr.
Tellija:
Muudatus Kuupäev
MõõtkavaJoonise nr.
Staadium Koostas
23_3619_TP_EL-01_ASEND_240104_HT
LehtJoonis:
Töö nimetus:
Aadress:
Elektritööde reg. nr.: EL10360030-0001
Salve 2a Tallinn 11612 Tel: (+372) 6 701 066 www.eservice.ee
Kontrollis Proj. kood
H. Turja Tööprojekt
04.01.2024 23_3619
Elektrilevi OÜ
H. Turja IP6010
11/16
Kohila vald, Rapla maakond
Asendiplaan
Kohila -Adila 10kV fiidri rekonstrueerimine
EL-01 1:500 / -
MÄRKUSED: 1) Projekt on koostatud lähtuvalt Elektrilevi OÜ lähteülesandest nr: IP6010. 2) Projekti asendiplaani koostamiseks on kasutatud: - Geoalus OÜ poolt koostatud geodeetilist asendiplaani nr: 23-G444; kuup.: 04.01.2024 (koordinaadid L-EST97 ja kõrgused EH2000 süsteemis 3) Õhu- ja maakaabelliinide pikkused on asendiplaanile märgitud trassipikkustena (kogupikkused vt. elektrilisel skeemil Joonis EL-02 ja EL-03).
TINGMÄRGID Projekteeritud 0,4kV maakaabel kaitsetorus1W1
Olemasolev 0,4kV maakaabelliin Olemasolev keskpinge õhuliin
Olemasolev kanalisatsiooni trass
Projekteeritud 24kV maakaabel kaitsetorus1W2
Olemasolev sadekanalisatsiooni trass
+TR
+KP
+MPS
+MP
-T1
2N
2U
2V
2W 1W
1V
1U
-MEB +KPS
+.K03
+.K01
+.K05
+.K07
+.K08 Projekteeritud alajaam
Projekteeritud 24kV maakaabel (2 kaablit trassis)2W2
Olemasolev kõrgpinge õhuliin
Olemasolev side õhuliin Olemasolev sidekaabel
Olemasolev 0,4kV õhuliin
Olemasolev kinnistupiir Olemasolev vee trass
Puu kaitsevöönd R=2m
Joonis 12
Projekteeritud 450N kaitsetoru Projekteeritud 750N kaitsetoru Projekteeritud 1250N kaitsetoru
Projekteeritud jaotuskilp
Lahtise kaeviku ala Puurimiskaevik
1, 1
2, 9
31701:005:0760 M
eierei tee 1
31701:005:0058 Sutlem
a tee 8
31701:005:0350 M
eierei tee 2 // Sutlem a tee 10
31701:005:0066 Tuuleveski tee 2
31701:005:0067Allee
31701:005:0068 Tuuleveski tee 331701:005:0937
M eierei alajaam
31701:005:0057 Sutlem
a tee 6
31701:001:0613 Kuriste tee
31701:005:0451 Sutlem
a tee 4
Kohila tee 3
31701:005:0440 Kohila tee 1 // Sutlema tee 2
31701:005:0500 Kuriste tee 6
31701:005:0959 Kohila tee 5
31701:005:0660 Kuriste tee 12
31701:005:0120 Kohila tee 11
31701:005:0270 Kuriste tee 14
31701:005:0650 Kohila tee 931701:005:0005
Kohila tee 8
31701:001:1144Sutlema kergtee L1
31701:005:0059Sutlema jalgtee
31701:001:1036 Kuriste tee 1
31701:001:0549 Sutlem
a kergtee
31701:001:219011240 Tõdva-Hageri tee
Sutlema kergtee L1 31701:001:1144
11240 Tõdva-Hageri tee 31701:001:2190
31701:005:0480
31701:005:0820 11220 Kernu-Kohila tee
X X
X X
X X
X X
X
X X X X X X X X X X X X X X X X X X X X X X X X X X X X X X X X X X X X X X X X X X X X X X X X X X X X X X X X X X X X X X X X X X
X X
X X
X X
X X
X X
X X
X X
X
B M7
D E
F
G
I
J
N
Projekteeritud 24kV maakaabel - Nr: KPL220574 (AJ14233 <-->AJ7803) - AHXAMK-W 3x120+35, LKAABEL=1078m, LTRASS= 1015m - AJ14233<-->A D160 450N, LTORU=177m, LTRASS= 171m - A<-->B D160 750N, LTORU=168m, LTRASS= 162m (sügavus min 1m) - B<-->C D160 1250N, LTORU=56m, LTRASS= 51m(sügavus min 2,2m) - C<-->D D160 450N, LTORU=72m, LTRASS= 70m(sügavus min 1m) - D<-->E D160 1250N, LTORU=14m, LTRASS= 13m(sügavus min 1m) - E<-->F D160 450N, LTORU=37m, LTRASS= 36m(sügavus min 1m) - F<-->G D160 750N, LTORU=5m, LTRASS= 4m(sügavus min 1m) - G<-->H D160 450N, LTORU=137m, LTRASS= 133m(sügavus min 1m) - H<-->I D160 750N, LTORU=166m, LTRASS= 161m(sügavus min 1m) - I<-->J D160 1250N, LTORU=13m, LTRASS= 12m(sügavus min 1m) - J<-->K D160 750N, LTORU=41m, LTRASS= 40m(sügavus min 1m) - K<-->L D160 1250N, LTORU=37m, LTRASS= 35m(sügavus min 1m) - L<-->M D160 750N, LTORU=17m, LTRASS= 16m(sügavus min 1m) - M<-->N D160 125050N, LTORU=35m, LTRASS= 33m(sügavus min 1m) - N<-->O D160 1250N, LTORU=70m, LTRASS= 66m(sügavus min 1m) - O<-->AJ7803 D160 450N, LTORU=14m, LTRASS= 13m(sügavus min 1m)
31701:005:0870 Puhastusseadm
e
31701:005:0007 Tuuleveski tee 4
31701:001:1211 Härjasilm
a
31701:001:1509 Kuriste tee L1
31701:001:1108 M
eierei tee 6
31701:005:0069 M
eierei tee 5
31701:005:0890 M
eierei tee 4
31701:005:0950 M
eierei tee 3
31701:005:0936 Tuuleveski alajaam
31701:005:0170
M13
M24 M24A
M23M22 M16
XX
X X
X X
X X
X X
X X
X X
X X
X X
X X
X X
X X
X X
X X
X X
X X
X X
X X
X X
X X
X X
X
Tööst väljaminev kaabel - AJ7803<-->KP mast M24A
1W1 1W1 1W1 1W1
1W1
1W1
1W1
1W1
1W1
1W1 1W1
1W1 1W1
1W1
1W1
31701:005:0280 Kuriste tee 10
M
ETTEVAATUST! Sidekaabel!
ETTEVAATUST! Sadevee kanalisatsiooni toru!
D160-1250N kaitsetoru
Ristumine kinnisel meetodil! D160-1250N kaitsetoru LTRASS=13m LTORU=14m Sügavus min 1m
ETTEVAATUST! Sidekaabel!
ETTEVAATUST! MP kaabel! Sügavus 61.98 ETTEVAATUST!
MP ja KP kaabel!
Ristumine kinnisel meetodil! D160-1250N kaitsetoru LTRASS=12m LTORU=13m Sügavus min 1m
Ristumine kinnisel meetodil! D160-1250N kaitsetoru LTRASS=33m LTORU=35m Sügavus min 1m
Puurimismasina paiknemisala!
Puurimiskaevik!
Puurimismasina paiknemisala!
Puurimiskaevik!
ETTEVAATUST! Sidekaabel!
ETTEVAATUST! Veetoru!
Puurimismasina paiknemisala!
Puurimiskaevik!
ETTEVAATUST! Veetoru!
ETTEVAATUST! Kanalisatsioonitrass!
ETTEVAATUST! Projekteeritud MP kaabel!
ETTEVAATUST! Veetrass!
ETTEVAATUST! Veetrass!
ETTEVAATUST! Veetrass!
ETTEVAATUST! Sidekaabel!
ETTEVAATUST! Veetrass!
ETTEVAATUST! Sidekaabel!
ETTEVAATUST! Veetrass!
LK
ETTEVAATUST! ELA SA sidetrass!
ETTEVAATUST! Sidekaabel!
ETTEVAATUST! Sidekaabel!
ETTEVAATUST! Veetoru!
Puurimismasina paiknemisala!
Ristumine kinnisel meetodil! (Vt. Ristmevälja joonis R2) D160-1250N kaitsetoru LTRASS=35m LTORU=37m Sügavus min 1m NB! ENNE PUURIMIST TEHA KINDLAKS RISTUVATE TRASSIDE SÜGAVUSED
ETTEVAATUST! Veetoru!
Puurimiskaevik!
Ristumine kinnisel meetodil! D160-1250N kaitsetoru LTRASS=66m LTORU=70m Sügavus min 1m
ETTEVAATUST! Sidekaabel!
H
Demonteeritav Madalpinge õhuliini kaabel AMKA 3x50+70 masti M1 ja M12 vahel
Projekteeritud 0,4kV maakaabel - Nr: MPL423848 (JK67888<-->MP M7) - AXPK4G240, LKAABEL=207m, LTRASS= 193m - JK67888<-->B D110 750N, LTORU=45m, LTRASS= 42m (Sügavus: min 1m) - B<-->C D110 1250N, LTORU=56m, LTRASS= 51m (Sügavus: min 2,2m) - D<-->E D110 750N, LTORU=72m, LTRASS= 70m (Sügavus: min 1m) - E<-->F D110 1250N, LTORU=1m, LTRASS= 13m(Sügavus: min 1m) - F<-->M7 D110 450N, LTORU=19m, LTRASS= 17m(Sügavus: min 1m)
1W2 1W2 2 2
2
2
2
2
2
2 2
2
2
2
1W2 1W2
1W 2
1W 2
1W 2
1W 2
1W 2
1W 2
1W 2
1W 2
1W 2
1W 2
1W 2
1W 2
1W 2
1W 2
1W 2
1W2 1W2 1W2 1W2 1W2 1W2 1W2 1W2 1W2 1W2 1W2 1W2 1W2 1W2 1W2 1W2 1W2 1W2 1W2 1W2 1W2
1W2
1W1
- Olemasolev kaabel - Uus Nr: MPL423849 (JK67888<-->MP M17) - AXPK4G70 - Kaabel tõsta ümber proj. jaotuskilpi JK67888
M17
ETTEVAATUST! Trass kulgeb sidekaabli kõrval!
ETTEVAATUST! Sidekaabel!
ETTEVAATUST! Sidekaabel!
D160 750N KPL220574
D110 750N MPL423848
D110 450N MPL423848
D160 750N KPL220574
D1 60
7 50
N K
PL 22
05 74
D1 60
4 50
N K
PL 22
05 74
D160 750N KPL220574
D110 450N KPL220574
Puurimiskaevik!1,2
1 1
1,4
1,8
2, 3
1,9
La ht
ise ka
ev ik
u al
a
La ht
ise ka
ev ik
u al
a
Sõ id
ut ee
Ristmevälja joonis R2 1:250
1, 272,44
34.65
4, 37
(m in
. 1 ,2
m )
2, 9
(m in
0 ,5
m )
1, 34
O l.
o. si
de ka
ab el
Sü ga
vu s o
rie nt
. 1 m
KÜ p
iir
O l.
o. si
de ka
ab el
Sü ga
vu s o
rie nt
. 1 m
1W2 1W2
0, 97
(m in
0 ,5
m )
1
1, 04
(m in
1 m
)
1, 99
(m in
0 ,5
m )O
l. o.
V ee
to ru
D =6
3 PP
k at
te ga
Sü ga
vu s 6
1. 43
3,17
31701:005:0350 Meierei tee 2 // Sutlema tee 10 31701:005:0760
Meierei tee 1 Kinnine kaevis 1xØ160, 1250N LTORU=37m, LTRASS=35m
1W2 1W2 1W2 1W2 1W2
Kuupäev Töö nr.
Tellija:
Muudatus Kuupäev
MõõtkavaJoonise nr.
Staadium Koostas
23_3619_TP_EL-01_ASEND_240104_HT
LehtJoonis:
Töö nimetus:
Aadress:
Elektritööde reg. nr.: EL10360030-0001
Salve 2a Tallinn 11612 Tel: (+372) 6 701 066 www.eservice.ee
Kontrollis Proj. kood
H. Turja Tööprojekt
04.01.2024 23_3619
Elektrilevi OÜ
H. Turja IP6010
12/16
Kohila vald, Rapla maakond
Asendiplaan
Kohila -Adila 10kV fiidri rekonstrueerimine
EL-01 1:500 / -
MÄRKUSED: 1) Projekt on koostatud lähtuvalt Elektrilevi OÜ lähteülesandest nr: IP6010. 2) Projekti asendiplaani koostamiseks on kasutatud: - Geoalus OÜ poolt koostatud geodeetilist asendiplaani nr: 23-G444; kuup.: 04.01.2024 (koordinaadid L-EST97 ja kõrgused EH2000 süsteemis - Connecto Eesti AS poolt koostatud Sutlema tee 6 elektriliitumise asendiplaan nr: LR9845-1; kuup.: 25.01.2024 (koordinaadid L-EST97 ja kõrgused EH2000 süsteemis 3) Õhu- ja maakaabelliinide pikkused on asendiplaanile märgitud trassipikkustena (kogupikkused vt. elektrilisel skeemil Joonis EL-02 ja EL-03).
Joonis 11
TINGMÄRGID Projekteeritud 0,4kV maakaabel kaitsetorus1W1
Olemasolev 0,4kV maakaabelliin Olemasolev keskpinge õhuliin
Olemasolev kanalisatsiooni trass
Projekteeritud 24kV maakaabel kaitsetorus1W2
Olemasolev sadekanalisatsiooni trass
+TR
+KP
+MPS
+MP
-T1
2N
2U
2V
2W 1W
1V
1U
-MEB +KPS
+.K03
+.K01
+.K05
+.K07
+.K08 Projekteeritud alajaam
Projekteeritud 24kV maakaabel (2 kaablit trassis)2W2
Olemasolev kõrgpinge õhuliin
Olemasolev side õhuliin Olemasolev sidekaabel
Olemasolev 0,4kV õhuliin
Olemasolev kinnistupiir Olemasolev vee trass
Puu kaitsevöönd R=2m
Projekteeritud 450N kaitsetoru Projekteeritud 750N kaitsetoru Projekteeritud 1250N kaitsetoru
Projekteeritud jaotuskilp
Lahtise kaeviku ala Puurimiskaevik
31701:001:0288
Mesitaru
31701:005:0221
Võsalepa
31701:001:1870
Allika
31701:001:0263
Koka
31701:001:2471
Vardi metskond 77
31701:005:0170
Tuuleveski tee 6
31 70
1: 00
1: 05
49
Su tle
m a k
er gt
ee
31701:001:2190
11240 Tõdva-Hageri tee
1W2 1W2
1W2 1W2 1W2 1W2 1W2 1W2 1W2 1W2 1W2 1W2 1W2 1W2 1W2 1W2 1W2 1W2
1W2 1W2 1W2 1W2 1W2 1W2 1W2 1W2 1W2 1W2 1W2 1W2 1W2 1W2 1W2 1W2 1W2 1W2 1W2 1W2 1W2 1W2 1W2 1W2 1W2 1W2 1W2
1W2 1W2
1W2 1W2 1W2
1W2 1W2 1W2 1W2 1W2 1W2 1W2
1W2 1W2
1W2 1W2 1W2 1W2 1W2 1W2 1W2 1W2
1W2 1W2
1W2 1W2
1W2
1W2
1W2 1W2
1W2 1W2
1W2
1W2 1W2
1W2
1W2 1W2
1W2
1W2
1W2 1W2
1W2 1W2
1W2 1W2 1W2 1W2 1W2
1W2 1W2
1W2 1W2
1W2 1W2
1W2 1W2
1W2 1W2
Projekteeritud 24kV maakaabel - Nr: KPL220575 (HK2042 <-->M37) - AHXAMK-W 3x50+35, LKAABEL=781m, LTRASS= 731m - D160 450N, LTORU=752m, LTRASS= 731m - Sügavus: min 1m
Projekteeritud KP harukilp HK2042 - Kilp paigaldada Tuuleveski tee 6 kinnistule; - Kilbi tüüp: Sokliga pinnases, In=630A+märketulp - Kilbi kõrgusmärk: +62.04 - Uks avaneb sissesõidu tee suunas.
Ol. o. KP kaabel AHXAMK-W 3x120+35 (nr: 93802) - Olemasolev KP kaabel - Teha kaablile sisselõige ja ühendada proj. KP harukilpi (nr: HK2042);
Ol. o. KP kaabel AHXAMK-W 3x120+35 (nr: 93802) - Olemasolev KP kaabel - Teha kaablile sisselõige ja ühendada proj. KP harukilpi (nr: HK2042); - Uus kaabli number KPL228102 - Pikendada kaablit jätkumuhviga - Nr: 93802 (HK2042 <-->KP JM1) - AHXAMK-W 3x120+35, LKAABEL=6m, LTRASS= 3m - D160 450N, LTORU=4m, LTRASS= 3m - Sügavus: min 1m
KP JM1
ETTEVAATUST! Truup! Kaabel paigaldada truubi pealt!
D160 450N KPL220575
D160 450N KPL220575
Kuupäev Töö nr.
Tellija:
Muudatus Kuupäev
MõõtkavaJoonise nr.
Staadium Koostas
23_3619_TP_EL-01_ASEND_240104_HT
LehtJoonis:
Töö nimetus:
Aadress:
Elektritööde reg. nr.: EL10360030-0001
Salve 2a Tallinn 11612 Tel: (+372) 6 701 066 www.eservice.ee
Kontrollis Proj. kood
H. Turja Tööprojekt
04.01.2024 23_3619
Elektrilevi OÜ
H. Turja IP6010
13/16
Kohila vald, Rapla maakond
Asendiplaan
Kohila -Adila 10kV fiidri rekonstrueerimine
EL-01 1:500 / -
MÄRKUSED: 1) Projekt on koostatud lähtuvalt Elektrilevi OÜ lähteülesandest nr: IP6010. 2) Projekti asendiplaani koostamiseks on kasutatud: - Geoalus OÜ poolt koostatud geodeetilist asendiplaani nr: 23-G444; kuup.: 04.01.2024 (koordinaadid L-EST97 ja kõrgused EH2000 süsteemis 3) Õhu- ja maakaabelliinide pikkused on asendiplaanile märgitud trassipikkustena (kogupikkused vt. elektrilisel skeemil Joonis EL-02 ja EL-03).
TINGMÄRGID
Olemasolev keskpinge maakaabelliin
Projekteeritud 24kV maakaabel kaitsetorus1W2
Olemasolev 0,4kV õhuliin
Olemasolev kinnistupiir
Projekteeritud 450N kaitsetoru
Projekteeritud 24kV harukilp Projekteeritud 24kV jätkumuhv
Joonis 14
Lahtise kaeviku ala
31701:001:2691
Mäeotsa
31701:001:2471
Vardi metskond 77
1W2 1W2
1W2 1W2 1W2
1W2 1W2
1W2 1W2
1W2 1W2 1W2 1W2 1W2
1W2 1W2 1W2
1W2 1W2
1W2
1W2 1W2
1W2 1W2
1W2
1W2 1W2
1W2 1W2
1W2 1W2
1W2 1W2
1W2
1W2 1W2
1W 2
1W 2
1W 2
1W 2
1W 2
1W 2
1W 2
1W 2
1W 2
1W 2
1W 2
1W 2
1W 2
1W 2
X X X X X X X X X X X X X X X X X X X X X X X X X X X X X X X X X X X X X X X X X X X X X X M37
Projekteeritud 24kV maakaabel - Nr: KPL220575 (HK2042 <-->M37) - AHXAMK-W 3x50+35, LKAABEL=781m, LTRASS= 731m - D160 450N, LTORU=752m, LTRASS= 731m - Sügavus: min 1m
Olemasolev alajaam AJ Sirle
D160 450N KPL220575
Kuupäev Töö nr.
Tellija:
Muudatus Kuupäev
MõõtkavaJoonise nr.
Staadium Koostas
23_3619_TP_EL-01_ASEND_240104_HT
LehtJoonis:
Töö nimetus:
Aadress:
Elektritööde reg. nr.: EL10360030-0001
Salve 2a Tallinn 11612 Tel: (+372) 6 701 066 www.eservice.ee
Kontrollis Proj. kood
H. Turja Tööprojekt
04.01.2024 23_3619
Elektrilevi OÜ
H. Turja IP6010
14/16
Kohila vald, Rapla maakond
Asendiplaan
Kohila -Adila 10kV fiidri rekonstrueerimine
EL-01 1:500 / A3
MÄRKUSED: 1) Projekt on koostatud lähtuvalt Elektrilevi OÜ lähteülesandest nr: IP6010. 2) Projekti asendiplaani koostamiseks on kasutatud: - Geoalus OÜ poolt koostatud geodeetilist asendiplaani nr: 23-G444; kuup.: 04.01.2024 (koordinaadid L-EST97 ja kõrgused EH2000 süsteemis 3) Õhu- ja maakaabelliinide pikkused on asendiplaanile märgitud trassipikkustena (kogupikkused vt. elektrilisel skeemil Joonis EL-02 ja EL-03).
TINGMÄRGID
Olemasolev keskpinge maakaabelliin
Projekteeritud 24kV maakaabel kaitsetorus1W2
Olemasolev 0,4kV õhuliin
Olemasolev kinnistupiir
Projekteeritud 450N kaitsetoru
Olemasolev 0,4kV maakaabelliin
X X X X X X Demonteeritav keskpinge õhuliin
Joonis 13
Lahtise kaeviku ala
31701:005:0025 O
llam aa
31701:005:0210 Kopli
31701:005:0049 Vainu
31701:005:0571 Hansu
11,6
67,5
70,4
95,7
76,7
82,9
76,3
87,7
M53
M53H1
M53H2
M53H3
M53H4
M53H5
M53H6
M53H7
M53H8
Asendada lõpumast koos toega. (KRE 11m, 3.kl + tugi 11m, 3.kl). Paigaldada maanduslülitiga koormuslahklüliti (LP17245). Demonteerida olemasolev lahklüliti. Ehitada maandus ja pot. ühtlustusring
Asendada kandemast (KRE 11m, 3.kl; rõhttraavers) Paigaldada sädevahemikud
Asendada kandemast (KRE 11m, 3.kl; rõhttraavers)
Asendada kandemast (KRE 11m, 3.kl; rõhttraavers)
Asendada kandemast (KRE 11m, 3.kl; rõhttraavers) Paigaldada sädevahemikud
Asendada kandemast (KRE 11m, 3.kl; rõhttraavers)
Vahetada traavers (Rõhttraavers)
Rekonstrueerida Hageri raba 10kV haruliin Mastist M53H1-M53H21 isoleeritud õhuliini juhtmega BLL62 L=1547m (trass)
Raie: võsa 214m2
Raie: võsa 174m2
31701:005:0760 M
eierei tee 1
31701:005:0058 Sutlem
a tee 8
31701:005:0350 M
eierei tee 2 // Sutlem a tee 10
31701:005:0066 Tuuleveski tee 2
31701:005:0067Allee
31701:005:0068 Tuuleveski tee 331701:005:0937
M eierei alajaam
31701:005:0057 Sutlem
a tee 6
31701:001:0613 Kuriste tee
31701:005:0451 Sutlem
a tee 4
Kohila tee 3
31701:005:0440 Kohila tee 1 // Sutlema tee 2
31701:005:0500 Kuriste tee 6
31701:005:0959 Kohila tee 5
31701:005:0660 Kuriste tee 12
31701:005:0120 Kohila tee 11
31701:005:0270 Kuriste tee 14
31701:005:0650 Kohila tee 931701:005:0005
Kohila tee 8
31701:005:0023 Kohila tee 10
31701:005:0021 O
ru 31701:001:0611 Kiriku tee L2
31701:005:0430 Vaino
31701:005:0050 Ernitsa
31701:005:0581 Ülevainu
31701:005:0302 M
äeküla
31701:005:0012 Ann-M
ai
31701:001:0608 Pargi tänav
31701:005:0301 M
äeküla
31701:005:0410 Kohila tee 6
31701:005:0985 Kohila tee 4
31701:005:0033 Kiriku tee 1
31701:001:1496 Kohila tee 4a
31701:001:1144Sutlema kergtee L1
31701:005:0059Sutlema jalgtee
31701:001:1036 Kuriste tee 1
31701:005:0750 Kabelikopli tee 2
31701:005:0790 Sutlem
a tee 9
31701:001:0612 Kabelikopli tee
31701:001:0288 M
esitaru
31701:005:0221 Võsalepa
31701:001:1870 Allika
31701:001:2691 M
äeotsa
31701:001:0263 Koka
31701:001:2471 Vardi m
etskond 77
31701:005:0170 Tuuleveski tee 6
31701:001:0549Sutlema kergtee
31701:001:0549 Sutlem
a kergtee
31701:001:2190 11240 Tõdva-Hageri tee
31701:001:219011240 Tõdva-Hageri tee
31701:005:0141 Sutlema tee 11
Sutlema kergtee L1 31701:001:1144
11240 Tõdva-Hageri tee 31701:001:2190
31701:005:0480
31701:005:0820 11220 Kernu-Kohila tee
31701:005:0985 Kohila tee 4
31701:005:0985 Kohila tee 4
31701:005:0830 20101 Hageri-Kodila-Kuusiku tee
1W2
1W 2
1W 2
1W 2
1W 2
1W 2
1W 2
1W 2
1W 2
1W 2
1W 2
1W 2
1W 2
1W 2
1W 2
1W 2
1W 2
1W 2
1W 2
1W 2
1W 2
1W 2
1W 2
1W 2
1W 2
1W 2
1W 2
1W 2
1W 2
1W 2
1W 2
1W 2
1W 2
1W 2
1W 2
1W 2
1W 2
1W 2
1W 2
1W 2
1W 2
1W 2
1W 2
1W 2
1W 2
1W 2
1W 2
1W 2
1W 2
1W 2
1W 2
1W 2
1W 2
1W 2
1W 2
1W 2
1W 2
1W 2
1W 2
1W 2
1W 2
1W 2
1W 2
1W2
1W2
1W2
1W2
1W2
1W2
1W2
1W2
1W2
1W2
1W2
1W2
1W2
1W2
1W2
1W2
1W2
1W2
1W2
1W2
1W2
1W2
1W2
1W2
1W2
1W2
1W2
1W2
1W 2
1W 2
1W 2
1W 2
1W 2
1W 2
1W 2
1W 2
1W 2
1W 2
1W 2
1W 2
1W 2
1W2
1W2
1W2
1W2
1W2
1W2
1W2
1W2
1W2
1W 2
1W 2
1W 2
1W 2
1W 2
1W 2
1W 2
X X
X X
X X
X X
X XXXXXXXXXXXXXXXXXXXXXXXXXXXXXXXXXXXXXXXXXXXXXXXXXXXXXXXXXXXXXXXXXXXXXXXXXXXXXXXXXXXXXXXXXXXXXXXXXXXXXXXXXXXXXXXXXXXXXXXXXXXXXXXXXXXXXXXXXXXXXXXXXXXXXXXXXXXXXXXXXXXXXXXXXXXXXXXXXXXXXXXXXXXXXXXXXXXXXXXXXXXXXXXXXXXXXXXXXXXXXXXXXXXXXXXXXXXXXXXXXXXXXXXXXXXXXXXXXXXXXXXXXXXXXXXXXXXXXXXXXXXXXXXXXXXXXXXXXXXXXXXXXXXXXXXXXXXXXXXXXXXXXXXXXXXXXXXXXXXXXXXXXXXXXXXXXXXXXXXXXXXXXXXXXXXXXXXXXXXXXXXXXXXXXXXXXXX
1W2 1W2 1W2 1W2 1W2 1W2 1W2 1W2 1W2 1W2 1W2 1W2 1W2 1W2 1W2 1W2 1W2 1W2 1W2 1W2 1W2
X X
X X
X X
X X
X X
X
X X X X X X X X X X X X X X X X X X X X X X X X X X X X X X X X X X X X X X X X X X X X X X X X X X X X X X X X X X X X X X X X X X X X X X X X X X X X X X X X X X X X X X X X X X X X X X X X X X X X X X X X X X X X X X X X X X X X X X X X X X X X X X X X X X X X X X X X X X X X X X X X X X X X X X X X X X X X X X X X X X X X X X X X X X X X X X X X X X X X X X X X X X X X X X X X X X X X X X X X X X X X X X X X X X X X X X X X X X X X X X X X X X X X X X X X X X X X X X X X X X X X X X X X X X X X X X X X X X X X X X X X X X X X X X X X X X X X X X X X X X X X X X X X X X X X X X X X X X X X X X X
X X
X X
X X
X X
X X
X X
X X
X X
X X
X X
X X
X X
X X
X X
X X
X X
X X
X X
X X
X X
X X
X X
X X
X X
X X
X X
X X
X X
X X
X X
X X
X X
X X
X X
X X
X X
X X
X X
X X
X X
X X
X X
X X
X X
X X
X X
X X
X X
X X
X X
X X
X X
X X
X X
X X
X X
X X
X X
X X
X X
X X
X X
X X
X X
X X
X X
X X
X X
X X
X X
X X
X X
X X
X X
X X
X X
31701:001:1482 Kohila tee 19a
31701:001:0187
31701:001:0188 Laudataguse
31701:005:0340 Kohila tee 21
31701:005:0250 Tuuleveski tee 7
31701:005:0920 Kohila tee 13
31701:001:1141 Pärdipõllu
31701:001:1142 Varsakopli
31701:005:0470 Kohila tee 19
31701:005:0223 Kohila tee 15
31701:001:0439 Vanakooli
31701:005:0510 Kohila tee 17
31701:005:0222 Nurm
ekõivu
Lauda
31701:001:2180
11220 Kernu-Kohila tee
EL-01-11 EL-01-12
EL-01-13
EL-01-14
M60 M1 M2
M3
M4
M5
M6
M7
M8
M9
Demonteerida KP õhuliini kaabel koos mastidega - AS-35 L=405m (TRASS) - Raudbetoon mast 3tk - Raudbetoon masti tugi 3tk - Puitmast 6tk - Puitmasti tugi 1tk
+T R
+K P
+M PS
+M P
-T1
2N 2U
2V 2W 1W
1V
1U
-M EB
+K PS
+.K 03
+.K 01
+.K 05
Projekteeritud 24kV maakaabel - Nr: KPL220573 (AJ14233 <-->M60) - AHXAMK-W 3x240+35, LKAABEL=490m, LTRASS= 453m - Samasse trassi paigaldada reservtoru D160 - 2x(AJ14233<-->A D160 450N, LTORU=177m, LTRASS= 172m) - 2x(A<-->B D160 750N, LTORU=241m, LTRASS= 233m) - 2x(B<-->C D160 1250N, LTORU=12m, LTRASS= 10m) - 2x(C<-->M60 D160 750N, LTORU=40m, LTRASS= 38m) - Sügavus: min 1m
A
Demonteerida AJ Hageri hooldekodu:(Kohila) - Demonteerida trafo 400kVA - Demonteerida alajaama seadmed ja juhtmestik (kuni 1m sügavuselt demonteeritava alajaama alt materjalid/seadmed eemaldada) - Konsentraator ja arvesti tõsta ümber projekteeritavasse alajaama AJ14233 - Olemasolevad 0,4kV ühendused taastada vastavalt elektriskeemile (Joonis EL-03)
Projekteeritud komplektalajaam "AJ14233" 1VM630kVA (Vt. joonis EL-03, EL-05) - Maandustakistus tagada R≦4,0 oomi; - Olemasoleva maapinna kõrgus: +65.61 (ligikaudne) - Alajaama 0-punkti kõrgus: +61.91 - Alajaama paigalduspiirkonna kõrgendikud tasandada. - Taastada alajaama ümber lippaed! - Alajaam asendada olemasoleva alajaama kohale. Ehituseks kasutada generaatorit!
B
D
M7
Projekteeritud 0,4kV maakaabel - Nr: MPL404726 (AJ14233<-->JK...) - AXPK4G240, LKAABEL=317m, LTRASS= 296m - AJ14233<-->A D110 450N, LTORU=180m, LTRASS= 173m - A<-->M17 D110 750N, LTORU=127m, LTRASS= 123m - Sügavus: min 1m
Projekteeritud 24kV maakaabel - Nr: KPL220574 (AJ14233 <-->AJ7803) - AHXAMK-W 3x120+35, LKAABEL=1081m, LTRASS= 1021m - AJ14233<-->A D160 450N, LTORU=177m, LTRASS= 171m - A<-->B D160 750N, LTORU=170m, LTRASS= 165m - B<-->C D160 1250N, LTORU=37m, LTRASS= 32m - C<-->D D160 1250N, LTORU=42m, LTRASS= 37m - D<-->E D160 450N, LTORU=74m, LTRASS= 72m - E<-->F D160 1250N, LTORU=10m, LTRASS= 9m - F<-->G D160 450N, LTORU=38m, LTRASS= 37m - G<-->H D160 750N, LTORU=5m, LTRASS= 4m - H<-->I D160 450N, LTORU=137m, LTRASS= 133m - I<-->J D160 750N, LTORU=167m, LTRASS= 162m - J<-->K D160 1250N, LTORU=13m, LTRASS= 12m - K<-->L D160 750N, LTORU=41m, LTRASS= 40m - L<-->M D160 1250N, LTORU=37m, LTRASS= 35m - M<-->N D160 750N, LTORU=16m, LTRASS= 15m - N<-->O D160 1250N, LTORU=90m, LTRASS= 85m - O<-->P D160 1250N, LTORU=12m, LTRASS= 10m - P<-->AJ7803 D160 450N, LTORU=20m, LTRASS= 18m - Sügavus: min 1m
E
F
G
H
J K
O
P
Projekteeritud 24kV maakaabel - Nr: KPL220574 (AJ14233 <-->AJ7803) - AHXAMK-W 3x120+35, LKAABEL=1081m, LTRASS= 1021m - AJ14233<-->A D160 450N, LTORU=177m, LTRASS= 171m - A<-->B D160 750N, LTORU=170m, LTRASS= 165m - B<-->C D160 1250N, LTORU=37m, LTRASS= 32m - C<-->D D160 1250N, LTORU=42m, LTRASS= 37m - D<-->E D160 450N, LTORU=74m, LTRASS= 72m - E<-->F D160 1250N, LTORU=10m, LTRASS= 9m - F<-->G D160 450N, LTORU=38m, LTRASS= 37m - G<-->H D160 750N, LTORU=5m, LTRASS= 4m - H<-->I D160 450N, LTORU=137m, LTRASS= 133m - I<-->J D160 750N, LTORU=167m, LTRASS= 162m - J<-->K D160 1250N, LTORU=13m, LTRASS= 12m - K<-->L D160 750N, LTORU=41m, LTRASS= 40m - L<-->M D160 1250N, LTORU=37m, LTRASS= 35m - M<-->N D160 750N, LTORU=16m, LTRASS= 15m - N<-->O D160 1250N, LTORU=90m, LTRASS= 85m - O<-->P D160 1250N, LTORU=12m, LTRASS= 10m - P<-->AJ7803 D160 450N, LTORU=20m, LTRASS= 18m - Sügavus: min 1m
31701:005:0870 Puhastusseadm
e
31701:005:0007 Tuuleveski tee 4
31701:001:1211 Härjasilm
a
31701:001:1509 Kuriste tee L1
31701:001:1108 M
eierei tee 6
31701:005:0069 M
eierei tee 5
31701:005:0890 M
eierei tee 4
31701:005:0950 M
eierei tee 3
31701:005:0936 Tuuleveski alajaam
31701:005:0170 Tuuleveski tee 6
M37
Projekteeritud 24kV maakaabel
- Nr: KPL220575 (HK2042 <-->M 37)
- AHXAM K-W
3x50+35, LKAABEL =781m, LTRASS = 731m
- D160 450N, LTORU =752m, LTRASS = 731m
- Sügavus: min 1m
Projekteeritud 24kV maakaabel
- Nr: KPL220575 (HK2042 <-->M 37)
- AHXAM K-W
3x50+35, LKAABEL =781m, LTRASS = 731m
- D160 450N, LTORU =752m, LTRASS = 731m
- Sügavus: min 1m
Projekteeritud KP harukilp HK2042
- Kilp paigaldada Tuuleveski tee 6 kinnistule;
- Kilbi tüüp: Sokliga pinnases, In=630A+märketulp
- Kilbi kõrgusmärk: +62.04
- Uks avaneb sissesõidu tee suunas.
Ol. o. KP kaabel AHXAM K-W
3x120+35 (nr: 93802)
- Olemasolev KP kaabel
- Teha kaablile sisselõige ja ühendada proj. KP harukilpi
(nr: HK2042);
Ol. o. KP kaabel AHXAM K-W
3x120+35 (nr: 93802)
- Olemasolev KP kaabel
- Teha kaablile sisselõige ja ühendada proj. KP harukilpi
(nr: HK2042);
- Uus kaabli number KPL228102
- Pikendada kaablit jätkumuhviga
Olemasolev alajaam AJ Sirle
KP JM 1
M7
M8
M9
M10
M11
M12
M13
M24 M24A M25 M26
M27
M28
M29
M30
M31
M32
M33
M34
M35
M36
M23M22 M16
M1
M1
XX
X X
X X
X X
X X
X X
X X
X X
X X
X X
X X
X X
X X
X X
X X
X X
X X
X X
X X
X X
X X
X
31701:001:2567 Lauda alajaam
Demonteeritav õhuliinikaabel 3 CCCST ASCR 99 LTRASS=613m AJ Hageri lauda-M13 - Demonteerida puitmastid: 7tk - Demonteerida masti toed (puit): 2tk - Demonteerida tõmmitsad: 4tk
Demonteeritav õhuliinikaabel AS-50 LTRASS=1011m Aj Sirle-M13 Demonteeritav õhuliinikaabel AS-25 LTRASS=276m Aj Tiiu-M13 - Demonteerida puitmastid: 13tk - Demonteerida masti toed (puit): 2tk - Demonteerida raudbetoonmastid: 5tk - Demonteerida masti toed (raudbetoon): 6tk
Demonteeritav Madalpinge õhuliini kaabel AMKA 3x70+50 aljaama ja MP masti M1 vahel LTRASS=9m
Tööst väljaminev kaabel - AJ7803<-->KP mast M24A
Demonteerida AJ Tiiu:(Kohila) - Demonteerida trafo 63KVA - Demonteerida alajaama seadmed ja juhtmestik (kuni 1m sügavuselt demonteeritava alajaama alt materjalid/seadmed eemaldada) - Demonteerida arvesti ja kontsentraator
C B
1W1 1W1 1W1 1W1 1W1
1W1
1W1
1W1
1W1
1W1 1W1
1W1 1W1
1W1
1W1 1W1
1W1 1W1
1W1 1W1
1W1
1W1
1W 1
1W 1
1W 1
1W 1
1W 1
1W 1
1W1 1W1 1W1 1W1 1W1 1W1 1W1 1W1 1W1 1W1
31701:005:0280 Kuriste tee 10
N
ETTEVAATUST! Sidekaabel!
ETTEVAATUST! MP kaabel!
ETTEVAATUST! Kanalisatsiooni toru!
ETTEVAATUST! Vee toru!
ETTEVAATUST! Taastada aed! ETTEVAATUST! Sidekaabel!
ETTEVAATUST! Sidekaabel!
ETTEVAATUST! Sadevee kanalisatsiooni toru!
ETTEVAATUST! Trass kulgeb sidekaabli kõrval!
Puurimismasina paiknemisala! Peale puurimist taastada muruplats!
Puurimiskaevik!D160-1250N kaitsetoru LTRASS=37m LTORU=42m (vt. Ristmevälja joonis R1) NB! ENNE PUURIMIST TEHA KINDLAKS RISTUVATE TRASSIDE SÜGAVUSED
Ristumine kinnisel meetodil! D160-1250N kaitsetoru LTRASS=9m LTORU=10m Sügavus min 1m
ETTEVAATUST! Sidekaabel!
ETTEVAATUST! Sidekaabel!
ETTEVAATUST! MP kaabel!
ETTEVAATUST! MP ja KP kaabel!
Ristumine kinnisel meetodil! D160-1250N kaitsetoru LTRASS=12m LTORU=13m Sügavus min 1m
Ristumine kinnisel meetodil! D160-1250N kaitsetoru LTRASS=33m LTORU=35m Sügavus min 1m
Ristumine kinnisel meetodil! D160-1250N kaitsetoru LTRASS=12m LTORU=10m Sügavus min 1m
Puurimismasina paiknemisala!
Puurimiskaevik!
Puurimismasina paiknemisala!
Puurimiskaevik!
ETTEVAATUST! Sidekaabel!
ETTEVAATUST! Veetoru!
Puurimismasina paiknemisala!
Puurimiskaevik!
Puurimismasina paiknemisala!
Puurimiskaevik!
ETTEVAATUST!
Truup!
Kaabel paigaldada truubi alt!
2xD160-1250N kaitsetoru LTRASS=12m LTORU=10m
ETTEVAATUST! Veetoru!
ETTEVAATUST! Kanalisatsioonitrass!
ETTEVAATUST! Projekteeritud MP kaabel!
ETTEVAATUST! Veetrass!
ETTEVAATUST! Veetrass!
ETTEVAATUST! Veetrass!
ETTEVAATUST! Sidekaabel!
ETTEVAATUST! Veetrass!
ETTEVAATUST! Sidekaabel!
ETTEVAATUST! Veetrass!
ML
ETTEVAATUST! ELA SA sidetrass!
ETTEVAATUST! Sidekaabel!
ETTEVAATUST! Sidekaabel!
ETTEVAATUST! Veetoru!
Puurimismasina paiknemisala!
Ristumine kinnisel meetodil! (Vt. Ristmevälja joonis R2) D160-1250N kaitsetoru LTRASS=35m LTORU=37m Sügavus min 1m NB! ENNE PUURIMIST TEHA KINDLAKS RISTUVATE TRASSIDE SÜGAVUSED
ETTEVAATUST! Veetoru!
Puurimiskaevik!
Ristumine kinnisel meetodil! D160-1250N kaitsetoru LTRASS=52m LTORU=55m Sügavus min 1m
C
ETTEVAATUST! Sidekaabel!
I
XXXXXXXXXXXXXXXXXXXXXXXXXXXXXXXXXXXXXXXXXXXXXXXXX
Demonteeritav Madalpinge õhuliini kaabel AMKA 3x50+70 masti M1 ja M12 vahel LTRASS=102m Demonteerida RB mastid M10 ja M11 Mastile M12 paigaldada tõmmits
M10M11M12
Mastile M12 paigaldada tõmmits!
Demonteeritav Madalpinge õhuliini kaabel AMKA 3x50+70 masti M1 ja M12 vahel LTRASS=102m Demonteerida RB mastid M10 ja M11 Mastile M12 paigaldada tõmmits
Projekteeritud jaotuskilp - Nr:JK... - Kõrgusmärk: 63.23 - Olemasolevatele MP kaablid ühendada proj. jaotuskilpi - Jaotuskilp paigaldada proj. Liitumiskilbi 124032LK kõrvale, eest vaadatult paremale! - Taastada olemasoleva LK toide!
Projekteeritud 0,4kV maakaabel - Nr: MPL404726 (JK...<-->MP M7) - AXPK4G240, LKAABEL=217m, LTRASS= 198m - JK...<-->B D110 750N, LTORU=46m, LTRASS= 43m - B<-->C D110 1250N, LTORU=18m, LTRASS= 17m - C<-->D D110 1250N, LTORU=42m, LTRASS= 37m - D<-->E D110 750N, LTORU=75m, LTRASS= 72m - E<-->F D110 1250N, LTORU=10m, LTRASS= 9m - F<-->M7 D110 450N, LTORU=21m, LTRASS= 20m - Sügavus: min 1m (teekatte all vastavalt ristmevälja joonisele R1)
2W22W22W22W22W22W22W22W2 2W22W22W22W22W22W22W22W22W22W22W22W2
2W 2
2W 2
2W 2
2W 2
2W 2
2W 2
2W 2
2W 2
2W 2
2W 2
2W 2
2W 2
2W 2
2W 2
2W 2
2W 2
2W 2
2W2 2W2
2W2 2W2
2W2 2W2
2W2
2W2
2W2
2W2
2W22W22W22W22W22W22W22W22W22W22W22W22W22W22W2
2W 2
2W 2
2W 2
2W 2
2W 2
2W 2
2W2
2W2 2W2
2W2 2W2
2W2 2W2
2W2
2W22W22W22W22W22W22W22W22W2
D160-1250N kaitsetoru LTRASS=18m LTORU=17m (vt. Ristmevälja joonis R3)
Puurimiskaevik!
Puurimismasina paiknemisala!
Puurimiskaevik!
Kuupäev Töö nr.
Tellija:
Muudatus Kuupäev
MõõtkavaJoonise nr.
Staadium Koostas
23_3619_TP_EL-01_ASEND_240104_HT
LehtJoonis:
Töö nimetus:
Aadress:
Elektritööde reg. nr.: EL10360030-0001
Salve 2a Tallinn 11612 Tel: (+372) 6 701 066 www.eservice.ee
Kontrollis Proj. kood
H. Turja Tööprojekt
04.01.2024 23_3619
Elektrilevi OÜ
H. Turja IP6010
15/16
Kohila vald, Rapla maakond
Asendiplaan
Kohila -Adila 10kV fiidri rekonstrueerimine
EL-01 1:2000 /-
MÄRKUSED: 1) Projekt on koostatud lähtuvalt Elektrilevi OÜ lähteülesandest nr: IP6010. 2) Projekti asendiplaani koostamiseks on kasutatud: - Geoalus OÜ poolt koostatud geodeetilist asendiplaani nr: 23-G444; kuup.: 04.01.2024 (koordinaadid L-EST97 ja kõrgused EH2000 süsteemis - Webmap lihtalus 3) Õhu- ja maakaabelliinide pikkused on asendiplaanile märgitud trassipikkustena (kogupikkused vt. elektrilisel skeemil Joonis EL-02 ja EL-03).
Olemasolev puitmast Olemasolev masti tugi Olemasolev mast (raudbetoon)
Olemasolev kinnistupiir X X X X X X X X X X X X Demontaaž
Olemasolev 24kV maakaabelliin Olemasolev keskpinge õhuliin
TINGMÄRGID
Olemasolev 0,4kV maakaabelliin Olemasolev 0,4kV õhuliin
10 0
31701:006:1090 20103 Pihali-Adila-Rabivere tee
31 70
1: 00
6: 11
55
Pih ali
al aja
am M129H4 1W
1
1W 1
1W 1
1W 1
1W 1
1W 1
1W1
1W1
1W1
1W1
1W1
1W1
1W1
1W1
1W1
1W1
1W1
1W1
1W1
1W1
1W1
1W1
1W1
1W 1
1W 1
1W 1
1W 1
1W 1
1W 1
1W 1
1W 1
1W 1
1W 1
1W 1
31 70
1: 00
1: 18
52
Pä rtl
e
Projekteeritud mastalajaam AJ14234. (Paigaldada lõputraavers) Paigaldada uus trafo 100kVA 21(10,5)/0,41 kV Paigaldada 0,4 kV JS kilp
Projekteeritud 0,4kV maakaablid - Nr: MPL404723 (AJ14234<-->M1) - AXPK4G120, LKAABEL=23m, LTRASS= 12m - D110 450N, LTORU=14m, LTRASS= 12m - Sügavus: min 0,7m - Nr: MPL404724 (AJ14234<-->M1) - AXPK4G120, LKAABEL=23m, LTRASS= 12m - D110 450N, LTORU=14m, LTRASS= 12m - Sügavus: min 0,7m
Olemasolev RB mast koos toega M1 - Hargnemisklemmid 6xSLIW54 - Hargnemisklemm 2xSL9.21+kate - Maakaabli kinnitusdetailid RB mastile 2kmpl - Maakaabli kaitserenn 2xL=2,2m - Mastil kurepesa
Olemasolev RB mast koos toega M1 - Hargnemisklemmid 3xSLIW54 - Hargnemisklemm SL9.21+kate - Maakaabli kinnitusdetailid RB mastile - Maakaabli kaitserenn L=2,2m
M129H5
M1M1
M1
Projekteeritud 0,4kV maakaablid - Nr: MPL404722 (AJ14234<-->M1) - AXPK4G120, LKAABEL=20m, LTRASS= 9m - D110 450N, LTORU=11m, LTRASS= 9m - Sügavus: min 0,7m
Olemasolev RB mast koos toega M1 - Hargnemisklemmid 3xSLIW54 - Hargnemisklemm SL9.21+kate - Maakaabli kinnitusdetailid RB mastile - Maakaabli kaitserenn L=2,2m - Mastil kurepesa
Projekteeritud 0,4kV maakaablid - Nr: MPL404725 (AJ14234<-->M1) - AXPK4G120, LKAABEL=29m, LTRASS= 16m - D110 450N, LTORU=18m, LTRASS= 16m - Sügavus: min 0,7m
Demonteerida AJ Pihali:(Kohila) - Demonteerida trafo 100KVA - Demonteerida alajaama seadmed ja juhtmestik (kuni 1m sügavuselt demonteeritava alajaama alt materjalid/seadmed eemaldada) - Arvesti ja kontsentraator tõsta ümber projekteeritavasse alajaama AJ14234
Kuupäev Töö nr.
Tellija:
Muudatus Kuupäev
MõõtkavaJoonise nr.
Staadium Koostas
23_3619_TP_EL-01_ASEND_240104_HT
LehtJoonis:
Töö nimetus:
Aadress:
Elektritööde reg. nr.: EL10360030-0001
Salve 2a Tallinn 11612 Tel: (+372) 6 701 066 www.eservice.ee
Kontrollis Proj. kood
H. Turja Tööprojekt
04.01.2024 23_3619
Elektrilevi OÜ
H. Turja IP6010
16/16
Kohila vald, Rapla maakond
Asendiplaan
Kohila -Adila 10kV fiidri rekonstrueerimine
EL-01 1:250 /A3
MÄRKUSED: 1) Projekt on koostatud lähtuvalt Elektrilevi OÜ lähteülesandest nr: IP6010. 2) Projekti asendiplaani koostamiseks on kasutatud: - Geoalus OÜ poolt koostatud geodeetilist asendiplaani nr: 23-G444; kuup.: 04.01.2024 (koordinaadid L-EST97 ja kõrgused EH2000 süsteemis - Webmap lihtalus 3) Õhu- ja maakaabelliinide pikkused on asendiplaanile märgitud trassipikkustena (kogupikkused vt. elektrilisel skeemil Joonis EL-02 ja EL-03).
TINGMÄRGID
Projekteeritud 0,4kV maakaabel kaitsetorus1W1
Olemasolev kinnistupiir
Olemasolev 0,4kV maakaabelliin Olemasolev 0,4kV õhuliin
Olemasolev 10kV õhuliin Olemasolev raudbetoonmast
100 Projekteeritud mastalajaam
Projekteeritud BLL62 õhuliin
31701:001:0613
Kohila tee 3
31701:005:0500 Kuriste tee 6
31701:005:0959 Kohila tee 5
31701:005:0120 Kohila tee 11
31701:005:0650 Kohila tee 931701:005:0005
Kohila tee 8
31701:005:0023 Kohila tee 10
31701:005:0021 O
ru 31701:001:0611 Kiriku tee L2
31701:005:0430 Vaino
31701:005:0050 Ernitsa31701:005:0581
Ülevainu
31701:005:0302 M
äeküla
31701:005:0012 Ann-M
ai
31701:001:0608 Pargi tänav
31701:005:0301 M
äeküla
31701:005:0410 Kohila tee 6
31701:005:0985 Kohila tee 4
31701:005:0033 Kiriku tee 1
31701:001:1496 Kohila tee 4a
31701:005:0480
31701:005:0820 11220 Kernu-Kohila tee
31701:005:0985 Kohila tee 4
31701:005:0985 Kohila tee 4
31701:005:0830 20101 Hageri-Kodila-Kuusiku tee
X X
X X
X X
X X
X XXXXXXXXXXXXXXXXXXXXXXXXXXXXXXXXXXXXXXXXXXXXXXXXXXXXXXXXXXXXXXXXXXXXXXXXXXXXXXXXXXXXXXXXXXXXXXXXXXXXXXXXXXXXXXXXXXXXXXXXXXXXXXXXXXXXXXXXXXXXXXXXXXXXXXXXXXXXXXXXXXXXXXXXXXXXXXXXXXXXXXXXXXXXXXXXXXXXXXXXXXXXXXXXXXXXXXXXXXXXXXXXXXXXXXXXXXXXXXXXXXXXXXXXXXXXXXXXXXXXXXXXXXXXXXXXXXXXXXXXXXXXXXXXXXXXXXXXXXXXXXXXXXXXXXXXXXXXXXXXXXXXXXXXXXXXXXXXXXXXXXXXXXXXXXXXXXXXXXXXXXXXXXXXXXXXXXXXXXXXXXXXXXXXXXXXXXX
1W2 1W2 1W2 1W2 1W2 1W2 1W2 1W2 1W2 1W2 1W2 1W2 1W2 1W2 1W2 1W2 1W2 1W2 1W2 1W2 1W2
31701:005:0920 Kohila tee 13
M60 M1 M2
M3
M4
M5
M6
M7
M8
M9
Demonteerida KP õhuliini kaabel koos mastidega - AS-35 L=405m (TRASS) - Raudbetoon mast 3tk - Raudbetoon masti tugi 3tk - Puitmast 6tk - Puitmasti tugi 1tk
+T R
+K P
+M PS
+M P
-T 1
2N
2U
2V 2W 1W
1V
1U
-M EB
+K PS
+. K0
3
+. K0
1
+. K0
5
Projekteeritud 24kV maakaabel - Nr: KPL220573 (AJ14233 <-->M60) - AHXAMK-W 3x240+35, LKAABEL=490m, LTRASS= 453m - Samasse trassi paigaldada reservtoru D160 - 2x(AJ14233<-->A D160 450N, LTORU=177m, LTRASS= 172m) - 2x(A<-->B D160 750N, LTORU=241m, LTRASS= 233m) - 2x(B<-->C D160 1250N, LTORU=12m, LTRASS= 10m) - 2x(C<-->M60 D160 750N, LTORU=40m, LTRASS= 38m) - Sügavus: min 1m
A
Demonteerida AJ Hageri hooldekodu:(Kohila) - Demonteerida trafo 400kVA - Demonteerida alajaama seadmed ja juhtmestik (kuni 1m sügavuselt demonteeritava alajaama alt materjalid/seadmed eemaldada) - Konsentraator ja arvesti tõsta ümber projekteeritavasse alajaama AJ14233 - Olemasolevad 0,4kV ühendused taastada vastavalt elektriskeemile (Joonis EL-03)
Projekteeritud komplektalajaam "AJ14233" 1VM630kVA (Vt. joonis EL-03, EL-05) - Maandustakistus tagada R≦4,0 oomi; - Olemasoleva maapinna kõrgus: +65.61 (ligikaudne) - Alajaama 0-punkti kõrgus: +61.91 - Alajaama paigalduspiirkonna kõrgendikud tasandada. - Taastada alajaama ümber lippaed! - Alajaam asendada olemasoleva alajaama kohale. Ehituseks kasutada generaatorit!
B
D
Projekteeritud 0,4kV maakaabel - Nr: MPL404726 (AJ14233<-->JK67888) - AXPK4G240, LKAABEL=317m, LTRASS= 296m - AJ14233<-->A D110 450N, LTORU=180m, LTRASS= 173m - A<-->M17 D110 750N, LTORU=127m, LTRASS= 123m - Sügavus: min 1m
Projekteeritud 24kV maakaabel - Nr: KPL220574 (AJ14233 <-->AJ7803) - AHXAMK-W 3x120+35, LKAABEL=1082m, LTRASS= 1022m - AJ14233<-->A D160 450N, LTORU=177m, LTRASS= 171m - A<-->B D160 750N, LTORU=170m, LTRASS= 165m - B<-->C D160 1250N, LTORU=37m, LTRASS= 32m - C<-->D D160 1250N, LTORU=42m, LTRASS= 37m - D<-->E D160 450N, LTORU=74m, LTRASS= 72m - E<-->F D160 1250N, LTORU=10m, LTRASS= 9m - F<-->G D160 450N, LTORU=39m, LTRASS= 38m - G<-->H D160 750N, LTORU=5m, LTRASS= 4m - H<-->I D160 450N, LTORU=137m, LTRASS= 133m - I<-->J D160 750N, LTORU=167m, LTRASS= 162m - J<-->K D160 1250N, LTORU=13m, LTRASS= 12m - K<-->L D160 750N, LTORU=41m, LTRASS= 40m - L<-->M D160 1250N, LTORU=37m, LTRASS= 35m - M<-->N D160 750N, LTORU=16m, LTRASS= 15m - N<-->O D160 1250N, LTORU=90m, LTRASS= 85m - O<-->P D160 1250N, LTORU=12m, LTRASS= 10m - P<-->AJ7803 D160 450N, LTORU=20m, LTRASS= 18m - Sügavus: min 1m
E
F
C B
1W1 1W1 1W1 1W1 1W1
1W1
1W1
1W1
1W1
1W1 1W1
1W1 1W1
1W1 1W1
1W1 1W1
1W1 1W1
1W1
1W1
1W 1
1W 1
1W 1
1W 1
1W 1
1W 1
1W1 1W1 1W1 1W1 1W1 1W1 1W1 1W1 1W1 1W1
ETTEVAATUST! Sidekaabel!
ETTEVAATUST! MP kaabel!
ETTEVAATUST! Kanalisatsiooni toru!
ETTEVAATUST! Vee toru!
ETTEVAATUST! Taastada aed! ETTEVAATUST! Sidekaabel!
ETTEVAATUST! Sidekaabel!
ETTEVAATUST! Sadevee kanalisatsiooni toru!
ETTEVAATUST! Trass kulgeb sidekaabli kõrval!
Puurimismasina paiknemisala! Peale puurimist taastada muruplats!
Puurimiskaevik!D160-1250N kaitsetoru LTRASS=37m LTORU=42m (vt. Ristmevälja joonis R1) NB! ENNE PUURIMIST TEHA KINDLAKS RISTUVATE TRASSIDE SÜGAVUSED
Ristumine kinnisel meetodil! D160-1250N kaitsetoru LTRASS=9m LTORU=10m Sügavus min 1m
ETTEVAATUST! Sidekaabel!
ETTEVAATUST! Sidekaabel!
Puurimismasina paiknemisala!
Puurimiskaevik!
2xD160-1250N kaitsetoru LTRASS=12m LTORU=10m
ETTEVAATUST! ELA SA sidetrass!
ETTEVAATUST! Sidekaabel!
C
XXXXXXXXXXXXXXXXXXXXXXXXXXXXXXXXXXXXXXXXX
M10M11M12
Mastile M12 paigaldada tõmmits!
Demonteeritav Madalpinge õhuliini kaabel AMKA 3x50+70 masti M1 ja M12 vahel LTRASS=102m Demonteerida RB mastid M10 ja M11 Mastile M12 paigaldada tõmmits
Projekteeritud jaotuskilp - Nr:JK67888 - Kõrgusmärk: 63.23 - Olemasolevatele MP kaablid ühendada proj. jaotuskilpi - Jaotuskilp paigaldada proj. Liitumiskilbi 124032LK kõrvale, eest vaadatult paremale! - Taastada olemasoleva LK toide!
Projekteeritud 0,4kV maakaabel - Nr: MPL423848 (JK67888<-->MP M7) - AXPK4G240, LKAABEL=217m, LTRASS= 198m - JK67888<-->B D110 750N, LTORU=46m, LTRASS= 43m - B<-->C D110 1250N, LTORU=18m, LTRASS= 17m - C<-->D D110 1250N, LTORU=42m, LTRASS= 37m - D<-->E D110 750N, LTORU=75m, LTRASS= 72m - E<-->F D110 1250N, LTORU=10m, LTRASS= 9m - F<-->M7 D110 450N, LTORU=21m, LTRASS= 20m - Sügavus: min 1m (teekatte all vastavalt ristmevälja joonisele R1)
2W 2
2W 2
2W2 2W2
2W2 2W2
2W2
2W2
2W2
2W2
2W22W22W22W22W22W22W22W22W22W22W22W22W22W22W2
2W 2
2W 2
2W 2
2W 2
2W 2
2W 2
2W2
2W2 2W2
2W2 2W2
2W2 2W2
2W2
D160-1250N kaitsetoru LTRASS=18m LTORU=17m (vt. Ristmevälja joonis R3)
Puurimiskaevik!
Puurimismasina paiknemisala!
Puurimiskaevik!
- Olemasolev kaabel - Uus Nr: MPL423849 (JK67888<-->MP M17) - AXPK4G70 - Kaabel tõsta ümber proj. jaotuskilpi JK67888
M17
65.00 64.00 63.00 62.00 61.00 60.00 59.00
66.00
La ht
ise ka
ev ik
u al
a
La ht
ise ka
ev ik
u al
a
Sõ id
ut ee
Ristmevälja joonis R1 Ristumine 31701 Kernu-Kohila teega
1:250
1, 85
6,11
36,57 4,
44 (m
in . 2
,2 m
)
2, 08
1, 65
O l.
o. si
de ka
ab el
Sü ga
vu s o
rie nt
. 1 m
KÜ p
iir
O l.
o. si
de ka
ab el
Sü ga
vu s o
rie nt
. 1 m
1W2 1W2
2, 01
1
1, 03
31701:005:0820 11220 Kernu-Kohila tee 31701:005:0120
Kohila tee 11
3, 88
(m in
. 2 ,2
m )
2, 21
O l.
o. S
K to
ru D
=5 60
Sü ga
vu s 6
3. 00
2, 68
O l.
o. E
LA S
A sid
ek aa
be l
Sü ga
vu s o
rie nt
. 1 m
2, 77
(m in
. 2 ,2
m )
KÜ p
iir
2, 36
O l.
o. T
V ka
ab el
Sü ga
vu s o
rie nt
. 1 m
31701:005:0830 20101 Hageri-Kodila-Kuusiku tee
1W1
1W1 1W1 1W1
1W 1
2W2
2W22W22W2
2W2
M17
Kuupäev Töö nr.
Tellija:
Muudatus Kuupäev
MõõtkavaJoonise nr.
Staadium Koostas
23_3619_TP_EL-01_ASEND_240104_HT
LehtJoonis:
Töö nimetus:
Aadress:
Elektritööde reg. nr.: EL10360030-0001
Salve 2a Tallinn 11612 Tel: (+372) 6 701 066 www.eservice.ee
Kontrollis Proj. kood
H. Turja Tööprojekt
04.01.2024 23_3619
Elektrilevi OÜ
H. Turja IP6010
11/16
Kohila vald, Rapla maakond
Asendiplaan
Kohila -Adila 10kV fiidri rekonstrueerimine
EL-01 1:500 / -
MÄRKUSED: 1) Projekt on koostatud lähtuvalt Elektrilevi OÜ lähteülesandest nr: IP6010. 2) Projekti asendiplaani koostamiseks on kasutatud: - Geoalus OÜ poolt koostatud geodeetilist asendiplaani nr: 23-G444; kuup.: 04.01.2024 (koordinaadid L-EST97 ja kõrgused EH2000 süsteemis 3) Õhu- ja maakaabelliinide pikkused on asendiplaanile märgitud trassipikkustena (kogupikkused vt. elektrilisel skeemil Joonis EL-02 ja EL-03).
TINGMÄRGID Projekteeritud 0,4kV maakaabel kaitsetorus1W1
Olemasolev 0,4kV maakaabelliin Olemasolev keskpinge õhuliin
Olemasolev kanalisatsiooni trass
Projekteeritud 24kV maakaabel kaitsetorus1W2
Olemasolev sadekanalisatsiooni trass
+TR
+KP
+MPS
+MP
-T1
2N
2U
2V
2W 1W
1V
1U
-MEB +KPS
+.K03
+.K01
+.K05
+.K07
+.K08 Projekteeritud alajaam
Projekteeritud 24kV maakaabel (2 kaablit trassis)2W2
Olemasolev kõrgpinge õhuliin
Olemasolev side õhuliin Olemasolev sidekaabel
Olemasolev 0,4kV õhuliin
Olemasolev kinnistupiir Olemasolev vee trass
Puu kaitsevöönd R=2m
Joonis 12
Projekteeritud 450N kaitsetoru Projekteeritud 750N kaitsetoru Projekteeritud 1250N kaitsetoru
31701:001:1895
Harutee
31701:005:0200
Reinholdi
31701:005:0074
Laim ikusauna
31701:005:0330
Saariku
31701:005:0028
Pirni
69,675,580,867,865,262,762,670,4
M13M13H1M13H2M13H3M13H4M13H5M13H6M13H7M13H8
Rekonstrueerida Laimiku10kV haruliin Mastist M13-M13H8 isoleeritud õhuliini juhtmega BLL62 L=555m (trass)
Asendada Traavers
Raie: noored männid 223m2
Asendada kandemast (KRE 11m, 3.kl; rõhttraavers) Paigaldada sädevahemikud
Asendada kandemast (KRE 11m, 3.kl; rõhttraavers)
Asendada kandemast (TAN 11m, 3.kl; rõhttraavers) Ehitada maandus
Asendada kandemast (TAN 11m, 3.kl; rõhttraavers) Paigaldada sädevahemikud
Asendada kandemast (TAN 11m, 3.kl; rõhttraavers)
Asendada kandemast (TAN 11m, 3.kl; rõhttraavers)
Asendada kandemast (TAN 11m, 3.kl; rõhttraavers) Paigaldada sädevahemikud
Asendada Traavers
Ristumine teega Gabariit 7,5m
31701:005:0820
11220 Kernu-Kohila tee
61
62
Ristumine teega
63
64
65
66
67
68
62.7
69
M13H5M13H6
11
70
71
72
73 11
60
7, 55
74
Kuupäev Töö nr.
Tellija:
Muudatus Kuupäev
MõõtkavaJoonise nr.
Staadium Koostas
23_3619_TP_EL-01_ASEND_240104_HT
LehtJoonis:
Töö nimetus:
Aadress:
Elektritööde reg. nr.: EL10360030-0001
Salve 2a Tallinn 11612 Tel: (+372) 6 701 066 www.eservice.ee
Kontrollis Proj. kood
H. Turja Tööprojekt
04.01.2024 23_3619
Elektrilevi OÜ
H. Turja IP6010
2/16
Kohila vald, Rapla maakond
Asendiplaan
Kohila -Adila 10kV fiidri rekonstrueerimine
EL-01 1:1000 / -MÄRKUSED: 1) Projekt on koostatud lähtuvalt Elektrilevi OÜ lähteülesandest nr: IP6010. 2) Projekti asendiplaani koostamiseks on kasutatud: - Geoalus OÜ poolt koostatud geodeetilist asendiplaani nr: 23-G444; kuup.: 04.01.2024 (koordinaadid L-EST97 ja kõrgused EH2000 süsteemis 3) Õhu- ja maakaabelliinide pikkused on asendiplaanile märgitud trassipikkustena (kogupikkused vt. elektrilisel skeemil Joonis EL-02 ja EL-03).
TINGMÄRGID
Olemasolev madalpinge õhuliin Olemasolev keskpinge õhuliin
Projekteeritud puitmast Projekteeritud BLL62 õhuliin
Olemasolev kinnistupiir
Olemasolev puitmast Olemasolev raudbetoonmast
Raieala
X X X X X X X X X X X
36301:001:0910 Kaarlipõllu
36301:001:0184 Lillendi
36301:001:0302 Huntaugu
36301:001:0001 Jõenurme
33801:001:1040 Ülase
36301:001:0503 Habaja-Triigi tee L1
36301:001:0385 Vanaveski
33801:001:1014 Sigala
36301:001:0249 Karu
36301:001:0143 14 Kose-Purila tee
36301:001:0222 Kose mnt 4
33801:001:0135 Veskimaja
36301:001:0383 Väikeveski
36301:001:0177 Kose mnt 1
36301:001:0174 Kose mnt 3
33801:001:0494 Kose mnt 5
M43
M42
M41
M40
M39
M38
M37 M36
M35 M34
M33 M32
M31 M30
M29
123,3
119,1 106,4
109,3 108,1
108,3 110,5
110,8
M28
108,3
111,2
109,9
118,2
106,1
52,6
M38H2
M38H1
M38H3
M38H4
M38H5
M38H6
M38H8
M38H7
M38H9
M38H10 72,9
77,2
84,3
89,3
92
89,1
94,4 74,3
98,8
6,8
114
24°
12°
80°
29°
M29A
36301:001:0028
36301:001:0169 Kose mnt 4a
36301:001:0267 Kose mnt 6
36301:001:0291
33801:001:1275 Kose maantee L1
Mõisa tee 6
Mõisatalli
Sigala 33801:001:1014
1W2
1W21W2
1W2
Asendada lõpumast ja paigaldada tugi (AJ Saareveski) (KRE 11m, 4.kl;tugi 11m, 3.kl; Lõputraavers) Tõsta ümber mastalajaama seadmed uuele mastile!
Asendada traavers (ankrutraavers)
Asendada kandemast (KRE 12m, 3.kl; ankrutraavers) Paigaldada sädevahemikud
Asendada kandemast (KRE 11m, 3.kl; rõhttraavers)
Asendada traavers (rõhttraavers) Paigaldada sädevahemikud
Asendada kandemast (KRE 11m, 3.kl; rõhttraavers)
Asendada nurgamast koos toega (KRE 11m, 3.kl; tugi KRE 11m, 3.kl; nurgatraavers)
Asendada kandemast (KRE 11m, 3.kl; rõhttraavers) Paigaldada sädevahemikud
Asendada kandemast (KRE 11m, 3.kl; rõhttraavers)
Asendada kandemast (KRE 11m, 3.kl; rõhttraavers) Tõsta ümber liigpingepiirikud ja lahkkaitsmed
Asendada kandemast (KRE 11m, 3.kl; rõhttraavers) Paigaldada sädevahemikud
Asendada kandemast (KRE 11m, 3.kl; rõhttraavers)
Asendada kandemast (KRE 11m, 3.kl; rõhttraavers)
Asendada kandemast (KRE 11m, 3.kl; rõhttraavers) Paigaldada sädevahemikud
Asendada kandemast koos toega (KRE 11m, 3.kl; Tugi KRE 11m, 3. kl; rõhttraavers)
Asendada kandemast (KRE 11m, 3.kl; rõhttraavers)
Asendada ankrumast (KRE 11m, 3.kl; ankrutraavers) Paigaldada maanduslülitiga koormuslahklüliti (LP17292). Demonteerida olemasolev lahklüliti. Ehitada maandus ja pot. ühtlustusring
Rekonstrueerida 10kV õhuliin M6 - M43 isoleeritud õhuliini juhtmega BLL99 L=4004m (trass)
Rekonstrueerida 10kV õhuliin M38-M38H10 isoleeritud õhuliini juhtmega BLL99 L=786m (trass)
Asendada ankrumast (KRE 11m, 3.kl; ankrutraavers) Paigaldada sädevahemikud
Asendada nurgamast koos toega (KRE 11m, 3.kl; tugi KRE 11m, 3.kl; nurgatraavers)
Asendada kandemast (KRE 11m, 3.kl; ankrutraavers)
Asendada kandemast (KRE 11m, 3.kl; ankrutraavers) Paigaldada sädevahemikud
Asendada kandemast (KRE 11m, 3.kl; ankrutraavers)
Asendada kandemast (KRE 11m, 3.kl; ankrutraavers)
Asendada nurgamast koos toega (KRE 11m, 3.kl; tugi KRE 11m, 3.kl; 2xlõputraavers) Paigaldada sädevahemikud
Asendada nurgamast koos toega (KRE 11m, 3.kl; tugi KRE 11m, 3.kl; nurgatraavers)
Asendada lõpumast koos toega (KRE 11m, 3.kl; tugi KRE 11m, 3.kl; lõputraavers)
Ristumine teega! Gabariit 6,95m
Ristumine teega! Gabariit 6,96m
Ristumine teega! Gabariit 6,95m
Ristumine teega! Gabariit 7,6m
Asendada traavers (lõputraavers)
A
B
D
C
ETTEVAATUST! Vee toru!
ETTEVAATUST! Kanalisatsiooni toru!
D160-1250N kaitsetoru LTRASS=34m LTORU=36m Sügavus min 1m.
D160-1250N kaitsetoru LTRASS=39m LTORU=41m Sügavus min 1m.
72
73
74
75
76
77
78
79
106,1
80
M41
M42
12
81
82
83
84
11
71
6, 95
85
36301:001:0385 Vanaveski
36301:001:0143 14 Kose-Purila tee
36301:001:0383 Väikeveski
72
73
74
75
76
77
78
79
108,3
80 M34 M35
11
81
82
83
11
71
6, 96
70
69
72
73
74
75
76
77
78
79
80
81
82
83
71
70
69
6, 95
M33
11
114
68
69
72
71
74
72,9
75
76
11
M38H10
11
M38H9
70
77
73
78
79
80
7, 62
81
82
83
33801:001:101436301:001:0249
Sigala
36301:001:0028 Karu
36301:001:0222 Kose mnt 4 Mõisa tee 6
Joonis 03
MÄRKUSED: 1) Projekt on koostatud lähtuvalt Elektrilevi OÜ lähteülesandest nr: IP5962. 2) Projekti asendiplaani koostamiseks on kasutatud: - Geoalus OÜ poolt koostatud geodeetilist asendiplaani nr: 23-G446; kuup.: 10.01.2024 (koordinaadid L-EST97 ja kõrgused EH2000 süsteemis 3) Õhu- ja maakaabelliinide pikkused on asendiplaanile märgitud trassipikkustena (kogupikkused vt. elektrilisel skeemil Joonis EL-05 ja EL-07).
Kuupäev Töö nr.
Tellija:
Muudatus Kuupäev
MõõtkavaJoonise nr.
Staadium Koostas
23_3621_TP_EL-01_ASEND_240110_HT_IP5962
LehtJoonis:
Töö nimetus:
Aadress:
Elektritööde reg. nr.: EL10360030-0001
Salve 2a Tallinn 11612 Tel: (+372) 6 701 066 www.eservice.ee
Kontrollis Proj. kood
H. Turja Tööprojekt
10.01.2024 23_3619
Elektrilevi OÜ
H. Turja IP5962
3/8
Kose vald, Harju maakond
Asendiplaan
fiidri rekonstrueerimine Kõue 35-10 PAJ ja Habaja 10kV
EL-01 1:2000 / -
TINGMÄRGID
Olemasolev madalpinge õhuliin Olemasolev keskpinge õhuliin
Projekteeritud puitmast Projekteeritud masti tugi
Projekteeritud BLL99 õhuliin
Olemasolev kinnistupiir
Olemasolev puitmast Olemasolev raudbetoonmast
Joonis 01
Joonis 06
EL-01-16 10
0
31701:006:1090 20103 Pihali-Adila-Rabivere tee
31 70
1: 00
6: 11
55
Pih ali
al aja
am
31 70
1: 00
6: 07
00
In dr
ek u
31 70
1: 00
6: 10
31
M et
sa tu
ka
31 70
1: 00
6: 05
20
M ar
ku se
31 70
1: 00
6: 11
56
La an
e
31 70
1: 00
6: 02
08
Ora se
31 70
1: 00
1: 10
34
M es
ioh ak
a
31 70
1: 00
6: 02
08
Ora se
19 ,6
11 0,
7
12 5,
5
3, 4
70,4
66,7
62,9
74,1
70,2
66,4
72,6
74,5 74,9 72,6
72,7 68,3 68,9 67,2 76,6 65,3
M129H5
M129H4
71
Demonteerida AJ Pihali:(Kohila) - Demonteerida trafo 100KVA - Demonteerida alajaama seadmed ja juhtmestik (kuni 1m sügavuselt demonteeritava alajaama alt materjalid/seadmed eemaldada) - Arvesti ja kontsentraator tõsta ümber projekteeritavasse alajaama AJ14234
20°
Rekonstrueerida Pihali 10kV haruliin Mastist M129-M129H5 isoleeritud õhuliini juhtmega BLL62 L=331m (trass)
Projekteeritud mastalajaam AJ14234. (Paigaldada lõputraavers) Paigaldada uus trafo 100kVA 21(10,5)/0,41 kV Paigaldada 0,4 kV JS kilp
Asendada kandemast (KRE 11m, 3.kl; rõhttraavers)
Asendada kandemast (KRE 11m, 3.kl; rõhttraavers) Paigaldada sädevahemikud
Asendada kandemast (KRE 11m, 3.kl; rõhttraavers)
Asendada kandemast koos toega (KRE 11m, 3.kl; tugi KRE 11m 3. kl; 3xlõputraavers)
Raie: madal võsa 503m2
Asendada traavers koos isolaatoritega. (Rõhttraavers)
Asendada traavers koos isolaatoritega. (Rõhttraavers)
Asendada kandemast (KRE 11m, 3.kl; rõhttraavers) Paigaldada sädevahemikud
Asendada kandemast (KRE 11m, 3.kl; rõhttraavers)
Asendada kandemast (KRE 11m, 3.kl; rõhttraavers)
Asendada traavers koos isolaatoritega. (Rõhttraavers)
Asendada nurgamast koos toega (KRE 11m, 3. kl; tugi KRE 11m, 3. kl; nurgatraavers) Paigaldada sädevahemikud
Asendada traavers koos isolaatoritega. (Rõhttraavers)
Asendada traavers koos isolaatoritega. (Rõhttraavers)
Asendada traavers koos isolaatoritega. (Rõhttraavers) Paigaldada sädevahemikud
Asendada traavers koos isolaatoritega. (Rõhttraavers)
Asendada traavers koos isolaatoritega. (Rõhttraavers)
Asendada traavers koos isolaatoritega. (Rõhttraavers) Paigaldada sädevahemikud
Asendada traavers koos isolaatoritega. (Rõhttraavers)
Asendada traavers koos isolaatoritega. (Rõhttraavers)
Raie: madal võsa 447m2
Raie: madal võsa 41m2
Raie: madal võsa 216m2
Raie: madal võsa 15m2
Rekonstrueerida 10kV õhuliin Mastist M129-M159 isoleeritud õhuliini juhtmega BLL99 L=2205m (trass)
Ristumine teega Gabariit 7,2m
Asendada kandemast koos toega (KRE 11m, 3.kl; tugi KRE 11m 3. kl; Ankrutraavers) Paigaldada sädevahemikud
1W 1
1W1
1W1 1W1
1W1
1W 1
1W 1
31 70
1: 00
1: 18
52
Pä rtl
e
M129H5
129H4
M1
M
57
58
Ristumine teega
59
60
61
62
63
64
74.1
65
M133M132
11
66
67
68
69
11
56
7, 28
70
Kuupäev Töö nr.
Tellija:
Muudatus Kuupäev
MõõtkavaJoonise nr.
Staadium Koostas
23_3619_TP_EL-01_ASEND_240104_HT
LehtJoonis:
Töö nimetus:
Aadress:
Elektritööde reg. nr.: EL10360030-0001
Salve 2a Tallinn 11612 Tel: (+372) 6 701 066 www.eservice.ee
Kontrollis Proj. kood
H. Turja Tööprojekt
04.01.2024 23_3619
Elektrilevi OÜ
H. Turja IP6010
4/16
Kohila vald, Rapla maakond
Asendiplaan
Kohila -Adila 10kV fiidri rekonstrueerimine
EL-01 1:1500 / -
TINGMÄRGID
Olemasolev madalpinge õhuliin Olemasolev keskpinge õhuliin
Projekteeritud puitmast Projekteeritud masti tugi
Projekteeritud BLL62/99 õhuliin
Olemasolev kinnistupiir
Olemasolev puitmast Olemasolev raudbetoonmast
100 Projekteeritud mastalajaam
Raieala
MÄRKUSED: 1) Projekt on koostatud lähtuvalt Elektrilevi OÜ lähteülesandest nr: IP6010. 2) Projekti asendiplaani koostamiseks on kasutatud: - Geoalus OÜ poolt koostatud geodeetilist asendiplaani nr: 23-G444; kuup.: 04.01.2024 (koordinaadid L-EST97 ja kõrgused EH2000 süsteemis 3) Õhu- ja maakaabelliinide pikkused on asendiplaanile märgitud trassipikkustena (kogupikkused vt. elektrilisel skeemil Joonis EL-02 ja EL-03).
Joonis 05
31 70
1: 00
6: 12
16
Oliv er
i
31 70
1: 00
1: 11
36
Va ha
stu m
et sk
on d 2
95
31 70
1: 00
1: 10
84
Noo rte
kü la
31 70
1: 00
1: 11
31
Ku lla
m aa
31 70
1: 00
6: 00
03
Tii gi
31 70
1: 00
6: 10
90
20 10
3 P iha
li- Ad
ila -R
ab ive
re te
e
71,2 73,5 70,8 72,9 66
75 73,8 74,9 73,8 69,5 73,2 69,5
107,1
108,9
88,6
99,3
M145 M146 M147
M148 M149 M150
M151 M152
M153 M154
M155 M156
M157
M158
M159 M110
M109
27°
Asendada traavers koos isolaatoritega. (Rõhttraavers) Paigaldada sädevahemikud
Asendada kandemast (KRE 11m, 3.kl; rõhttraavers)
Asendada traavers koos isolaatoritega. (Rõhttraavers)
Asendada traavers koos isolaatoritega. (Rõhttraavers) Paigaldada sädevahemikud
Asendada traavers koos isolaatoritega. (Rõhttraavers) Paigaldada sädevahemikud Ehitada maandus R ≤ 15 Ω
Asendada kandemast (KRE 11m, 3.kl; rõhttraavers) Paigaldada sädevahemikud Ehitada maandus R ≤ 15 Ω
Asendada kandemast (KRE 11m, 3.kl; rõhttraavers)
Asendada traavers koos isolaatoritega. (Rõhttraavers)
Asendada kandemast (KRE 11m, 3.kl; rõhttraavers) Paigaldada sädevahemikud
Asendada kandemast (KRE 11m, 3.kl; rõhttraavers)
Asendada traavers koos isolaatoritega. (Rõhttraavers)
Asendada traavers koos isolaatoritega. (Rõhttraavers) Paigaldada sädevahemikud
Asendada nurgamast koos toega (KRE 11m, 3. kl; tugi KRE 11m, 3. kl; nurgatraavers)
Asendada kandemast (KRE 11m, 3.kl; akrutraavers)
Asendada traavers (Lõputraavers)
Rekonstrueerida 10kV õhuliin Mastist M129-M159 isoleeritud õhuliini juhtmega BLL99 L=2205m (trass)
Ristumine MP õhuliiniga Gabariit 3m 0,4kV mastidele Ehtada maandus R ≤ 30 Ω
2,5m Ristumine MP õhuliiniga Gabariit 2,6 m
Ristumine teega Gabariit 7,3m
Ristumine teega Gabariit 6,8m
57
58
Ristumine teega
59
60
61
62
63
64
73.5
65
M147
M146
11
66
67
68
69 11
56
7, 35
70
57
58
Ristumine madalpinge õhuliiniga
59
60
61
62
63
64
66
65
M150 M149
11
66
67
68
69
11
2, 65
70
Olemasolev 0,4kV õhuliin
57
58
Ristumine teega
59
60
61
62
63
64
108.9
65
M159
M158
11
66
67
68
69
11
6, 85
70
31701:001:1131 Kullamaa
31701:006:1216 Oliveri
Kuupäev Töö nr.
Tellija:
Muudatus Kuupäev
MõõtkavaJoonise nr.
Staadium Koostas
23_3619_TP_EL-01_ASEND_240104_HT
LehtJoonis:
Töö nimetus:
Aadress:
Elektritööde reg. nr.: EL10360030-0001
Salve 2a Tallinn 11612 Tel: (+372) 6 701 066 www.eservice.ee
Kontrollis Proj. kood
H. Turja Tööprojekt
04.01.2024 23_3619
Elektrilevi OÜ
H. Turja IP6010
5/16
Kohila vald, Rapla maakond
Asendiplaan
Kohila -Adila 10kV fiidri rekonstrueerimine
EL-01 1:1500 / -
TINGMÄRGID
Olemasolev madalpinge õhuliin Olemasolev keskpinge õhuliin
Projekteeritud puitmast Projekteeritud BLL99 õhuliin
Olemasolev kinnistupiir
Olemasolev puitmast Olemasolev raudbetoonmast
Raieala
MÄRKUSED: 1) Projekt on koostatud lähtuvalt Elektrilevi OÜ lähteülesandest nr: IP6010. 2) Projekti asendiplaani koostamiseks on kasutatud: - Geoalus OÜ poolt koostatud geodeetilist asendiplaani nr: 23-G444; kuup.: 04.01.2024 (koordinaadid L-EST97 ja kõrgused EH2000 süsteemis 3) Õhu- ja maakaabelliinide pikkused on asendiplaanile märgitud trassipikkustena (kogupikkused vt. elektrilisel skeemil Joonis EL-02 ja EL-03).
Joonis 06
Joonis 04
57
58
Ristumine teega
59
60
61
62
63
64
118.3
65
M106
M107
12
66
67
68
69
12
6, 77
70
56
55
31701:006:1183 Allikaoru
31701:006:1182 Allika
57
58
59
60
61
62
63
64
65
66
67
68
69
70
56
55
M105
12
134,67
6, 13
31701:006:1183 Allikaoru
57
58
59
60
61
62
63
64
117.8
65
M101
M102
11
66
67
68
69
11
6, 92
70
71
72
7, 41
31701:006:1060 Maasika 31701:006:1160
Laanesaare
58
Ristumine Kasari jõega
59
60
61
62
63
64
133.4
65
M93
M94
11
66
67
68
69
11
4, 68
70
31701:006:0580 Lillemetsa
31701:006:1172 Araka 31701:006:0200
Konnakotka
71
31701:006:1172Araka
31701:006:0580 Lillemetsa
31701:006:0191 Reinumäe
31701:006:1160 Laanesaare
31701:006:1060 Maasika
31701:006:0680 Möldri
31701:006:1183 Allikaoru
31701:006:1182 Allika
31701:006:1216 Oliveri
20103 Pihali-Adila-Rabivere tee
31701:006:1183 Allikaoru
88,6
99,3
105,6
118,3
134,8
145,3
143,7
123,7
117,8
137,8
115,7
129
128,3
105,8
102,4
133,4
M159
M110
M109
M108
M107
M106
M105
M104
M103
M102
M101
M100
M99
M98
M97
M96
M95
M94
0°
Asendada kandemast (KRE 11m, 3.kl; Rõhttraavers) Paigaldada sädevahemikud
Asendada traavers (Lõputraavers)
Rekonstrueerida 10kV õhuliin Mastist M73-M110 isoleeritud õhuliini juhtmega BLL99 L=3983m (trass)
Asendada kandemast (KRE 11m, 3.kl; Rõhttraavers)
Asendada kandemast (KRE 11m, 3.kl; Rõhttraavers)
Asendada nurgamast koos toega (KRE 12m, 3. kl; tugi KRE 12m, 3. kl; nurgatraavers) Paigaldada sädevahemikud
Raie: madal võsa 1976m2
Asendada kandemast (KRE 12m, 3.kl; Rõhttraavers)
Asendada kandemast (KRE 11m, 3.kl; Rõhttraavers)
Asendada kandemast (KRE 11m, 3.kl; Rõhttraavers) Paigaldada sädevahemikud
Asendada kandemast (KRE 11m, 3.kl; Rõhttraavers) Paigaldada sädevahemikud
Asendada kandemast (KRE 11m, 3.kl; Rõhttraavers)
Asendada kandemast (KRE 11m, 3.kl; Rõhttraavers)
Asendada kandemast (KRE 11m, 3.kl; Rõhttraavers) Paigaldada sädevahemikud
Asendada kandemast (KRE 11m, 3.kl; Rõhttraavers)
Asendada taarvers ( Rõhttraavers)
Asendada kandemast (KRE 11m, 3.kl; Rõhttraavers) Paigaldada sädevahemikud
Asendada kandemast (KRE 11m, 3.kl; Rõhttraavers)
Asendada nurgamast koos toega (KRE 11m, 3.kl, Tugi 11m, 3.kl; Lõputraavers 2x) Paigaldada riigel
Raie: madal võsa 3350m2
Ristumine teega Gabariit 6,7m
Ristumine Kasari jõega Gabariit 4,6m
31701:006:1183 Allikaoru
Ristumine teega Gabariit 6,1m
48°
Kuupäev Töö nr.
Tellija:
Muudatus Kuupäev
MõõtkavaJoonise nr.
Staadium Koostas
23_3619_TP_EL-01_ASEND_240104_HT
LehtJoonis:
Töö nimetus:
Aadress:
Elektritööde reg. nr.: EL10360030-0001
Salve 2a Tallinn 11612 Tel: (+372) 6 701 066 www.eservice.ee
Kontrollis Proj. kood
H. Turja Tööprojekt
04.01.2024 23_3619
Elektrilevi OÜ
H. Turja IP6010
6/16
Kohila vald, Rapla maakond
Asendiplaan
Kohila -Adila 10kV fiidri rekonstrueerimine
EL-01 1:1500 / -
TINGMÄRGID
Olemasolev keskpinge õhuliin
Projekteeritud puitmast Projekteeritud masti tugi
Projekteeritud BLL99 õhuliin
Olemasolev kinnistupiir
Olemasolev puitmast Olemasolev raudbetoonmast
Raieala
MÄRKUSED: 1) Projekt on koostatud lähtuvalt Elektrilevi OÜ lähteülesandest nr: IP6010. 2) Projekti asendiplaani koostamiseks on kasutatud: - Geoalus OÜ poolt koostatud geodeetilist asendiplaani nr: 23-G444; kuup.: 04.01.2024 (koordinaadid L-EST97 ja kõrgused EH2000 süsteemis 3) Õhu- ja maakaabelliinide pikkused on asendiplaanile märgitud trassipikkustena (kogupikkused vt. elektrilisel skeemil Joonis EL-02 ja EL-03).
Joonis 05
Joonis 07
59
60
61
62
63
64
65
M86 M87
12
66
67
68
69
12
6, 04
70
71
72
59
60
61
62
63
64
65
66
67
68
69
70
71
72 M85
12
7, 74
59
60
61
62
63
64
65
66
67
68
69
70
71
72
M84
127, 21
73 73 73
59
60
61
62
63
64
65
66
67
68
69
70
71
72
73 M83
11
1, 26
Olemasolev 0,4kV õhuliin
126,1 88,92 97,8 98,7
31701:001:058131701:006:0195 Mardi Tõnuma-Aadu tee L1
31701:006:1080 20101 Hageri-Kodila-Kuusiku tee
31701:006:1154 Tammeotsa 31701:006:0192
Mardi
63
64
65
M76 M77
11
66
67
68
69 11
7, 2170
71
72
7
M73
11
73
74
75
63
64
65
66
67
68
69
70
71
72
73
74
75
M75
11
63
64
65
66
67
68
69
70
71
72
73
74
75
M74
11
63
64
65
66
67
68
69
70
71
72
73
74
75
7, 6
31701:006:0051 Kaheküla
89,9
31701:006:1021 Sepa
93,24 62 62 62 62
82,4 31701:001:0869 Suurküla tee L2
31701:006:1021 Sepa
31701:006:1022 Sepa
66,8
31701:001:1794Käänuääre
31701:006:1021Sepa
31701:001:0869
Suurküla tee L2
31701:006:0051Kaheküla
31701:006:0991Kassi
31701:006:0192Mardi
31701:006:1251Annuse
31701:001:0581Tõnuma-Aadu tee L131701:006:108020101 Hageri-Kodila-Kuusiku tee
31701:006:1154Tammeotsa
31701:006:0200Konnakotka
120
127,7
127,7
109,6
57,2
126,1
88,9
94,7
98,7
101,6
9,9
127,2
120,6
114,4
120,1
89,9
93,2
82,4
66,8
7,5
7,7
M93
M92
M91
M90
M89
M88
M87
M86
M85
M84
M83
M82 M81
M80
M79
M78
M77
M76
M75
M74
M73A
M73 M72
0°
31701:006:0019
31701:006:1022Sepa
0°
Asendada kandemast (KRE 11m, 3.kl; Ankrutraavers) Paigaldada sädevahemikud
Raie: madal võsa 3033m2
Asendada kandemast (KRE 11m, 3.kl; Rõhttraavers)
Asendada kandemast (KRE 11m, 3.kl; Rõhttraavers)
Asendada kandemast (KRE 11m, 3.kl; Rõhttraavers) Paigaldada sädevahemikud
Asendada kandemast (KRE 11m, 3.kl; Rõhttraavers)
Asendada kandemast (AJ Kaisa) (KRE 11m, 4.kl; Rõhttraavers) Tõsta ümber mastalajaama seadmed uuele mastile!
Asendada kandemast (KRE 12m, 3.kl; Rõhttraavers) Paigaldada sädevahemikud
Asendada kandemast (KRE 12m, 3.kl; Ankrutraavers)
Asendada traavers (Rõhttraavers) Paigaldada sädevahemikud Ehitada maandus R ≤ 15 Ω
Asendada traavers (Ankrutraavers)
Asendada traavers (Lõputraavers) Paigaldada tugi (KRE 11m 3. kl) Paigaldada koormuslahklüliti LP17244 Ehitada maandus
Rekonstrueerida 10kV õhuliin Mastist M73-M110 isoleeritud õhuliini juhtmega BLL99 L=3983m (trass)
Asendada kandemast (KRE 11m, 3.kl; Rõhttraavers) Paigaldada sädevahemikud
Asendada traavers (Nurgatraavers)
Asendada traavers (Rõhttraavers)
Asendada traavers (Rõhttraavers) Paigaldada sädevahemikud
Asendada traavers (Rõhttraavers)
Asendada traavers (Ankrutraavers)
Asendada traavers (Ankrutraavers) Paigaldada sädevahemikud
Asendada traavers (Ankrutraavers)
Raie: kadakad 604m2
Asendada kandemast Uus mast asendada teekattest kaugemale kinnistu piirile (KRE 12m, 3.kl; Ankrutraavers)
Asendada kandemast (KRE 12m, 3.kl; Ankrutraavers) Paigaldada sädevahemikud Ehitada maandus R ≤ 15 Ω
Asendada traavers (2xLõputraavers)
73,3
M72H1
Ristumine M P õhuliiniga
Gabariit 2,9m
Ristumine teega Gabariit 7,6m
Ristumine teega Gabariit 7m
Ristumine teega Gabariit 7,2m
Ristumine teega Gabariit 7,7m
Ristumine teega Gabariit 7,2m
Ristumine teega Gabariit 6m
Ristumine MP õhuliiniga Gabariit 3m 0,4kV mastidele Ehtada maandus R ≤ 30 Ω
1,2m
31701:006:0195Mardi57
Kuupäev Töö nr.
Tellija:
Muudatus Kuupäev
MõõtkavaJoonise nr.
Staadium Koostas
23_3619_TP_EL-01_ASEND_240104_HT
LehtJoonis:
Töö nimetus:
Aadress:
Elektritööde reg. nr.: EL10360030-0001
Salve 2a Tallinn 11612 Tel: (+372) 6 701 066 www.eservice.ee
Kontrollis Proj. kood
H. Turja Tööprojekt
04.01.2024 23_3619
Elektrilevi OÜ
H. Turja IP6010
7/16
Kohila vald, Rapla maakond
Asendiplaan
Kohila -Adila 10kV fiidri rekonstrueerimine
EL-01 1:1500 / -
TINGMÄRGID
Olemasolev madalpinge õhuliin Olemasolev keskpinge õhuliin
Projekteeritud puitmast Projekteeritud masti tugi
Projekteeritud BLL99 õhuliin
Olemasolev kinnistupiir
Olemasolev puitmast Olemasolev raudbetoonmast
Raieala
MÄRKUSED: 1) Projekt on koostatud lähtuvalt Elektrilevi OÜ lähteülesandest nr: IP6010. 2) Projekti asendiplaani koostamiseks on kasutatud: - Geoalus OÜ poolt koostatud geodeetilist asendiplaani nr: 23-G444; kuup.: 04.01.2024 (koordinaadid L-EST97 ja kõrgused EH2000 süsteemis 3) Õhu- ja maakaabelliinide pikkused on asendiplaanile märgitud trassipikkustena (kogupikkused vt. elektrilisel skeemil Joonis EL-02 ja EL-03).
Joonis 06
60
61
62
63
64
65
M72H14
M72H16
11
66
67
68
69
11
70
71
72
M72H13
11
73
3, 58
Olemasolev 0,4kV õhuliin
M72H15
11
69,3 31701:001:1085 Kurrunurru
31701:001:1107 Pipi
74,4
74
75
76
60
61
62
63
64
65
66
67
68
69
70
71
72
73
74
75
76
65,6 60
61
62
63
64
65
66
67
68
69
70
71
72
73
74
75
76
M72H12
11
M72H11
11
49,5
7, 88 8, 46
60
61
62
63
64
65
66
67
68
69
70
71
72
73
74
75
76
M72H1
11
73,39
7, 18
M72
11
M71
11
2, 91
Olemasolev 0,4kV õhuliin
31701:006:1220 Aasa
31701:006:0209 Iti
63
64
65
66
67
68
69
70
71
72
73
74
75
76 M69
11
M68
11
70,53
8, 78
31701:006:1169 Nurmevälja
31701:001:0699 Krimmiküla tee L4
31701:001:1795 Nurmeotsa
31701:006:1254 Kaalu
63
64
65
66
67
68
69
70
71
72
73
74
75
76
M66
11
M65
11
73,3
8, 78
62 31701:006:1254 Kaalu
31701:006:0134 Kungla
31 70
1: 00
6: 01
34
Ku ng
la
31 70
1: 00
6: 12
54
Ka alu31 70
1: 00
6: 11
69
Nur m
ev älj
a
31 70
1: 00
1: 06
99 Kr
im m
ik ül
a te
e L4
31 70
1: 00
1: 17
95
Nur m
eo tsa
31 70
1: 00
1: 17
94
Kä än
uä är
e
31 70
1: 00
6: 10
21
Se pa
31701:001:0869 Suurküla tee L2
31 70
1: 00
6: 10
22
Se pa
31 70
1: 00
6: 00
19
Uue to
a
31 70
1: 00
6: 02
15
Va ht
ra or
u
31 70
1: 00
6: 09
93
Ka ss
i
31 70
1: 00
6: 02
09
Iti
31701:001:0868
31 70
1: 00
1: 11
07
Pip i
Suurküla tee L1
31 70
1: 00
6: 12
20
Aa sa
31 70
1: 00
1: 10
85
Ku rru
nu rru
31 70
1: 00
6: 10
22
Se pa
93 ,2
82 ,4
66 ,8
7, 5
7, 7
M75
M74
M73 A
M73 M7231
70 1:
00 6:
00 19
Uue to
a
31 70
1: 00
6: 10
22
Se pa
Asen da
da tr
aa ve
rs
(A nk
rut raa
ve rs)
Asen da
da tr
aa ve
rs
(A nk
rut raa
ve rs)
Pa iga
lda da
sä de
va he
miku d
Asen da
da tr
aa ve
rs
(A nk
rut raa
ve rs)
Asen da
da tr
aa ve
rs
(2x Lõp
utr aa
ve rs)
63,3 72,6 69 69,3 74,4 65,6 71,7 49,5 68,7 73,6 62,9 70,8 67 68,8 69,3 68,5 68,8 66,1
73,3 68,9 69,2 68,3 70,5 65,2 70,6 73,3 53,2 70,9
M72H19 M72H18 M72H17 M72H16 M72H15 M72H14 M72H13 M72H12 M72H11 M72H10 M72H9 M72H8 M72H7 M72H6 M72H5 M72H4 M72H3 M72H2 M72H1
M71 M70 M69 M68 M67 M66 M65 M64
Asendada mast koos tugedega (KRE 11m, 3.kl.; 2xtugi KRE 11m, 3.kl.; 3xlõputraavers) Paigaldada sädevahemikud
Asendada traavers (Rõhttraavers)
Asendada mast (KRE 11m, 3.kl.; Rõhttraavers)
Asendada mast (KRE 11m, 3.kl.; Rõhttraavers) Paigaldada sädevahemikud
Asendada mast (KRE 11m, 3.kl.; Rõhttraavers)
Asendada mast (KRE 11m, 3.kl.; Rõhttraavers) Paigaldada sädevahemikud
Asendada mast (KRE 11m, 3.kl.; Rõhttraavers) Paigaldada sädevahemikud
Asendada traavers (Rõhttraavers)
Asendada mast (KRE 11m, 3.kl.; Rõhttraavers)
Asendada mast (KRE 11m, 3.kl.; Rõhttraavers) Paigaldada sädevahemikud
Asendada mast (KRE 11m, 3.kl.; Rõhttraavers)
Asendada mast (KRE 11m, 3.kl.; Rõhttraavers)
Asendada traavers (Rõhttraavers) Paigaldada sädevahemikud
Asendada mast (KRE 11m, 3.kl.; Rõhttraavers)
Asendada mast (KRE 11m, 3.kl.; Rõhttraavers)
Asendada mast (KRE 11m, 3.kl.; Rõhttraavers) Paigaldada sädevahemikud
Asendada mast (KRE 11m, 3.kl.; Rõhttraavers)
Asendada mast (KRE 11m, 3.kl.; Rõhttraavers)
Asendada mast (KRE 11m, 3.kl.; Rõhttraavers) Paigaldada sädevahemikud
Asendada traavers (Rõhttraavers)
Rekonstrueerida 10kV õhuliin Rabivere LP haruliin Mastist M72-M72H19 isoleeritud õhuliini juhtmega BLL99 L=1294m (trass)
M72H20
Asendada mast (KRE 11m, 3.kl.; Rõhttraavers)
Asendada traavers (Rõhttraavers) Paigaldada sädevahemikud
Asendada mast (KRE 11m, 3.kl.; Rõhttraavers)
Asendada mast (KRE 11m, 3.kl.; Rõhttraavers)
Asendada mast (KRE 11m, 3.kl.; Rõhttraavers) Paigaldada sädevahemikud
Asendada traavers (Rõhttraavers)
Asendada mast (KRE 11m, 3.kl.; Rõhttraavers)
Asendada mast (KRE 11m, 3.kl.; Rõhttraavers) Paigaldada sädevahemikud
Rekonstrueerida 10kV õhuliin Mastist M7-M72 isoleeritud õhuliini juhtmega BLL99 L=4382m (trass)
Raie: madal võsa 1163m2
Raie: madal võsa 166m2
Raie: madal võsa 162m2
Ristumine teega Gabariit 8,7m
Ristumine teega Gabariit 8,7m
Ristumine Gabariit 3,5m
Ristumine teega Gabariit 7,8m
Ristumine teega Gabariit 8,4m
Ristumine teega Gabariit 7,1m
Ristumine MP õhuliiniga Gabariit 2,9m
Rist um
ine te
eg a
Gab ari
it 7 ,6m
Rist um
ine te
eg a
Gab ari
it 7 m
Kuupäev Töö nr.
Tellija:
Muudatus Kuupäev
MõõtkavaJoonise nr.
Staadium Koostas
23_3619_TP_EL-01_ASEND_240104_HT
LehtJoonis:
Töö nimetus:
Aadress:
Elektritööde reg. nr.: EL10360030-0001
Salve 2a Tallinn 11612 Tel: (+372) 6 701 066 www.eservice.ee
Kontrollis Proj. kood
H. Turja Tööprojekt
04.01.2024 23_3619
Elektrilevi OÜ
H. Turja IP6010
8/16
Kohila vald, Rapla maakond
Asendiplaan
Kohila -Adila 10kV fiidri rekonstrueerimine
EL-01 1:1500 / -
TINGMÄRGID
Olemasolev madalpinge õhuliin Olemasolev keskpinge õhuliin
Projekteeritud puitmast Projekteeritud masti tugi
Projekteeritud BLL99 õhuliin
Olemasolev kinnistupiir
Olemasolev puitmast Olemasolev raudbetoonmast
Raieala
MÄRKUSED: 1) Projekt on koostatud lähtuvalt Elektrilevi OÜ lähteülesandest nr: IP6010. 2) Projekti asendiplaani koostamiseks on kasutatud: - Geoalus OÜ poolt koostatud geodeetilist asendiplaani nr: 23-G444; kuup.: 04.01.2024 (koordinaadid L-EST97 ja kõrgused EH2000 süsteemis 3) Õhu- ja maakaabelliinide pikkused on asendiplaanile märgitud trassipikkustena (kogupikkused vt. elektrilisel skeemil Joonis EL-02 ja EL-03).
Jo on
is 07
Joonis 09
64
65
66
67
68
69
70
71
72
73
74
75
76 M44
11
M68
11
68,05
7, 67
77
66903:001:0154 Kangruotsa66901:001:0669
6690173 Nurme külatee L4
66903:001:0153 Tänavaotsa
66 90
3:0 01
:05 20
M än
nik u
66 90
3:0 01
:00 30
Nah kja
la- Ülep
er e
66 90
3:0 01
:01 54
Ka ng
ru ot
sa
66 90
3:0 01
:05 62
Välj a
66 90
1:0 01
:06 69
66 90
17 3 N
ur me k
üla te
e L 4
66 90
3:0 01
:05 61
Välj a
66 90
3:0 01
:01 53
Tä na
va ot
sa
31 70
1:0 06
:11 27
Tõ nu
ma-A ad
u
31 70
1:0 06
:01 47
Uue -M
ats o
31 70
1:0 06
:01 48
Van a-M
ats o31
70 1:0
06 :01
46
Põ llu
-M ats
o
31 70
1:0 01
:18 06
Pe alt
met sa
31 70
1:0 01
:14 12
31 70
1:0 01
:14 13
Pä iks
em äe
Ojap õll
u
70,3
70,7
73,4
75,4 53,1 62,7 70,4 68,6 68,4 69,5 69,1 32,5 36 68,1
71 68,6 60,2 67,6
68,9 68,1
71,8 68,3
68,5 69,5
68,9 66,4
70,2 68,2
69,1 M63
M62 M61
M60
M59 M58
M57 M56
M55
M54 M53
M52 M51
M50 M49
M48 M47
M46 M45
M44 M43
M42 M41
M40 M39
M38 M37
M36 M35
Asendada traavers (Rõhttraavers)
31 70
1: 00
6: 01
34
Ku ng
la
Asendada mast (KRE 11m, 3.kl.; Rõhttraavers)
Asendada mast (KRE 11m, 3.kl.; Rõhttraavers) Paigaldada sädevahemikud Asendada traavers
(Rõhttraavers)
4°
Asendada nurgamast koos toega (KRE 11m, 3.kl.;tugi KRE 11m, 3.kl.; Nurgatraavers)
Asendada mast (KRE 11m, 3.kl.; Rõhttraavers) Paigaldada sädevahemikud
Asendada mast (KRE 11m, 3.kl.; Rõhttraavers)
Raie: madal võsa 738m2 Asendada traavers
(Rõhttraavers) Asendada traavers (Rõhttraavers) Paigaldada sädevahemikud
Asendada mast (KRE 11m, 3.kl.; Rõhttraavers) Asendada mast
(KRE 11m, 3.kl.; Rõhttraavers)
Asendada mast (KRE 11m, 3.kl.; Rõhttraavers) Paigaldada sädevahemikud
Asendada traavers (Rõhttraavers)
Asendada mast (KRE 11m, 3.kl.; Rõhttraavers)
Asendada traavers (Rõhttraavers) Paigaldada sädevahemikud
Asendada mast (KRE 11m, 3.kl.; Rõhttraavers)
Asendada traavers (Nurgatraavers) Paigaldada masti tipu kate
Raie: madal võsa 738m2
Asendada traavers (Rõhttraavers) Paigaldada masti tipu kate Paigaldada sädevahemikud
Asendada traavers (Rõhttraavers) Paigaldada masti tipu kate
Asendada mast (KRE 11m, 3.kl.; Ankrutraavers)
Asendada traavers (Ankrutraavers) Paigaldada sädevahemikud
Asendada traavers (Rõhttraavers)
Asendada traavers (Rõhttraavers)
Asendada traavers (Rõhttraavers) Paigaldada sädevahemikud
Asendada traavers (Rõhttraavers)
Asendada traavers (Rõhttraavers)
Asendada traavers (Rõhttraavers) Paigaldada sädevahemikud
Asendada traavers (Rõhttraavers)
Asendada traavers (Rõhttraavers)
Raie: madal võsa 317m2
Ristumine teega Gabariit 7,6m
5°
Kuupäev Töö nr.
Tellija:
Muudatus Kuupäev
MõõtkavaJoonise nr.
Staadium Koostas
23_3619_TP_EL-01_ASEND_240104_HT
LehtJoonis:
Töö nimetus:
Aadress:
Elektritööde reg. nr.: EL10360030-0001
Salve 2a Tallinn 11612 Tel: (+372) 6 701 066 www.eservice.ee
Kontrollis Proj. kood
H. Turja Tööprojekt
04.01.2024 23_3619
Elektrilevi OÜ
H. Turja IP6010
9/16
Kohila vald, Rapla maakond
Asendiplaan
Kohila -Adila 10kV fiidri rekonstrueerimine
EL-01 1:1500 / -
TINGMÄRGID
Olemasolev madalpinge õhuliin Olemasolev keskpinge õhuliin
Projekteeritud puitmast Projekteeritud masti tugi
Projekteeritud BLL99 õhuliin
Olemasolev kinnistupiir
Olemasolev puitmast Olemasolev raudbetoonmast
Raieala
MÄRKUSED: 1) Projekt on koostatud lähtuvalt Elektrilevi OÜ lähteülesandest nr: IP6010. 2) Projekti asendiplaani koostamiseks on kasutatud: - Geoalus OÜ poolt koostatud geodeetilist asendiplaani nr: 23-G444; kuup.: 04.01.2024 (koordinaadid L-EST97 ja kõrgused EH2000 süsteemis 3) Õhu- ja maakaabelliinide pikkused on asendiplaanile märgitud trassipikkustena (kogupikkused vt. elektrilisel skeemil Joonis EL-02 ja EL-03).
Joonis 10
Joonis 08
M 1:50 1.63
1. 00
projekteeritud kaabelliin kaablikaitsetorus (PVC Ø160 mm) 450N ja reservtoru (PVC Ø160 mm) 450N
hoiatuslint
≥0.30
0.720.72
≥0.30
Olemasolev kivivaba pinnas h= 95 cm Kaitsetoru sängituskiht keskteraline liiv/looduslik kruus fr. 0.063...63, E≥60 MPa
h= 5 cm
Tihendatud kaeviku küna põhi E≥60 MPa (tihendamise mitte saavutamisel kiiluda paekillustikuga 4/16, mis asendab kaitsetoru sängituskihti)
OLEMASOLEVA PINNASE TAASTAMINE
≥0.10≥0.10
M 1:50 1.40
1. 00
projekteeritud kaabelliin kaablikaitsetorus (PVC Ø110/160 mm) 750N
hoiatuslint
≥0.30
0.600.60
≥0.30
Kasvupinnas ja muru külv h= 10 cm Kaeviku tagasitäide välja kaevatud materjaliga, kt=0,92 h= 40 cm
Esmane tagasitäide keskteraline liiv/looduslik kruus või olemasolevpinnas, millest eemaldatud mitte sobiv materjal fr. 0.063...63, E≥60 MPa
h= 20 cm
Kaitsetoru sängituskiht keskteraline liiv/looduslik kruus fr. 0.063...63, E≥60 MPa
h= 5 cm
Tihendatud kaeviku küna põhi E≥60 MPa (tihendamise mitte saavutamisel kiiluda paekillustikuga 4/16, mis asendab kaitsetoru sängituskihti)
MURU TAASTAMINE
≥0.10≥0.10
≥0.07
Taastatav ala S= 611 m2
2.09
1. 00
projekteeritud kaabelliin kaablikaitsetorus 2x(PVC Ø160 mm) 450N (PVC Ø110 mm) 450N reservtoru (PVC Ø160 mm) 450N
hoiatuslint
≥0.30
0.940.94
≥0.30
Olemasolev kivivaba pinnas h= 95 cm Kaitsetoru sängituskiht keskteraline liiv/looduslik kruus fr. 0.063...63, E≥60 MPa
h= 5 cm
Tihendatud kaeviku küna põhi E≥60 MPa (tihendamise mitte saavutamisel kiiluda paekillustikuga 4/16, mis asendab kaitsetoru sängituskihti)
≥0.10≥0.10
≥0.07
M 1:50 1.63
1. 00
projekteeritud kaabelliin kaablikaitsetorus (PVC Ø160 mm) 450N (PVC Ø110 mm) 450N
hoiatuslint
≥0.30
0.720.72
≥0.30
Kruus h= 95 cm Olemasolev kivivaba pinnas
Kaitsetoru sängituskiht keskteraline liiv/looduslik kruus fr. 0.063...63, E≥60 MPa
h= 5 cm
Tihendatud kaeviku küna põhi E≥60 MPa (tihendamise mitte saavutamisel kiiluda paekillustikuga 4/16, mis asendab kaitsetoru sängituskihti)
PINNASTEE TAASTAMINE
≥0.10≥0.10
≥0.07
Taastatav ala S= 8 m2
2.09
1. 00
projekteeritud kaabelliin kaablikaitsetorus 2x(PVC Ø160 mm) 450N (PVC Ø110 mm) 450N reservtoru (PVC Ø160 mm) 450N
hoiatuslint
≥0.30
0.940.94
≥0.30
≥0.10≥0.10
≥0.07
Taastatav ala S= 195 m2
M 1:50 1.63
1. 00
projekteeritud kaabelliin kaablikaitsetorus (PVC Ø110 mm) 450N (PVC Ø160 mm) 450N
hoiatuslint
≥0.30
0.720.72
≥0.30
≥0.10≥0.10
≥0.07 Kasvupinnas ja muru külv h= 10 cm Kaeviku tagasitäide välja kaevatud materjaliga, kt=0,92 h= 40 cm
Esmane tagasitäide keskteraline liiv/looduslik kruus või olemasolevpinnas, millest eemaldatud mitte sobiv materjal fr. 0.063...63, E≥60 MPa
h= 20 cm
Kaitsetoru sängituskiht keskteraline liiv/looduslik kruus fr. 0.063...63, E≥60 MPa
h= 5 cm
Tihendatud kaeviku küna põhi E≥60 MPa (tihendamise mitte saavutamisel kiiluda paekillustikuga 4/16, mis asendab kaitsetoru sängituskihti)
Kruus h= 95 cm Olemasolev kivivaba pinnas
Kaitsetoru sängituskiht keskteraline liiv/looduslik kruus fr. 0.063...63, E≥60 MPa
h= 5 cm
Tihendatud kaeviku küna põhi E≥60 MPa (tihendamise mitte saavutamisel kiiluda paekillustikuga 4/16, mis asendab kaitsetoru sängituskihti)
31701:001:0613
Kohila tee 3
31701:005:0500 Kuriste tee 6
31701:005:0959 Kohila tee 5
31701:005:0120 Kohila tee 11
31701:005:0650 Kohila tee 9
31701:005:0005 Kohila tee 8
31701:005:0023 Kohila tee 10
31701:005:0021 O
ru 31701:001:0611 Kiriku tee L2
31701:005:0430 Vaino
31701:005:0050 Ernitsa
31701:005:0581 Ülevainu
31701:005:0302 M
äeküla
31701:005:0012 Ann-M
ai
31701:001:0608 Pargi tänav
31701:005:0301 M
äeküla
31701:005:0410 Kohila tee 6
31701:005:0985 Kohila tee 4
31701:005:0033 Kiriku tee 1
31701:001:1496 Kohila tee 4a
31701:005:0480
31701:005:0820 11220 Kernu-Kohila tee
31701:005:0985 Kohila tee 4
31701:005:0985 Kohila tee 4
31701:005:0830 20101 Hageri-Kodila-Kuusiku tee
X X
X X
X X
X X
X XXXXXXXXXXXXXXXXXXXXXXXXXXXXXXXXXXXXXXXXXXXXXXXXXXXXXXXXXXXXXXXXXXXXXXXXXXXXXXXXXXXXXXXXXXXXXXXXXXXXXXXXXXXXXXXXXXXXXXXXXXXXXXXXXXXXXXXXXXXXXXXXXXXXXXXXXXXXXXXXXXXXXXXXXXXXXXXXXXXXXXXXXXXXXXXXXXXXXXXXXXXXXXXXXXXXXXXXXXXXXXXXXXXXXXXXXXXXXXXXXXXXXXXXXXXXXXXXXXXXXXXXXXXXXXXXXXXXXXXXXXXXXXXXXXXXXXXXXXXXXXXXXXXXXXXXXXXXXXXXXXXXXXXXXXXXXXXXXXXXXXXXXXXXXXXXXXXXXXXXXXXXXXXXXXXXXXXXXXXXXXXXXXXXXXXXXXX
2W 2
2W 2
2W 2
2W 2
2W 2
2W 2
2W2
2W2 2W2
2W2 2W2
2W2 2W2
2W2
31701:005:0920 Kohila tee 13
M60 M1 M2
M3
M4
M5
M6
M7
M8
M9
+T R
+K P
+M PS
+M P
-T 1
2N
2U
2V 2W 1W
1V
1U
-M EB
+K PS
+. K0
3
+. K0
1
+. K0
5
M17
ETTEVAATUST! Taastada aed!
ETTEVAATUST! Taastada aed!
1W2 1W2 1W2 1W2 1W2 1W2 1W2 1W2 1W2 1W2 1W2 1W2 1W2 1W2 1W2 1W2 1W2 1W2 1W2 1W2 1W2
1W1 1W1
1W1 1W1
1W1
1W1
1W1
1W1
1W1
1W1
1W1 1W11W11W1
1W1 1W1
1W1 1W1
1W1 1W1
1W1
1W1
1W 1
1W 1
1W 1
1W 1
1W 1
1W 1
1W1 1W1 1W1 1W1 1W1 1W1 1W1 1W1 1W1 1W1
XXXXXXXXXXXXXXXXXXXXXXXXXXXXXXXXXXXXXXXXX
1W 2
1W 2
2
2
2
2 2
2
2
2
2
2
2 2W2W21W21W21W21W21W21W21W21W21W21W2
Kuupäev Töö nr.
Tellija:
Muudatus Kuupäev
MõõtkavaJoonise nr.
Staadium Koostas
23_3619_TP_EL-02_KATTED_240104_HT
LehtJoonis:
Töö nimetus:
Aadress:
Elektritööde reg. nr.: EL10360030-0001
Salve 2a Tallinn 11612 Tel: (+372) 6 701 066 www.eservic .ee
Kontrollis Proj. kood
H. Turja Tööprojekt
04.01.2024 23_3619
Elektrilevi OÜ
H. Turja IP6010
1/5
Kohila vald, Rapla maakond
Katete taastamise asendiplaan
Kohila -Adila 10kV fiidri rekonstrueerimine
EL-02 1:500 / -
MÄRKUSED: 1) Projekt on koostatud lähtuvalt Elektrilevi OÜ lähteülesandest nr: IP6010. 2) Projekti asendiplaani koostamiseks on kasutatud: - Geoalus OÜ poolt koostatud geodeetilist asendiplaani nr: 23-G444; kuup.: 04.01.2024 (koordinaadid L-EST97 ja kõrgused EH2000 süsteemis 3) Õhu- ja maakaabelliinide pikkused on asendiplaanile märgitud trassipikkustena (kogupikkused vt. elektrilisel skeemil Joonis EL-02 ja EL-03).
Joonis 2
TINGMÄRGID Projekteeritud 0,4kV maakaabel kaitsetorus1W1
Olemasolev 0,4kV maakaabelliin Olemasolev keskpinge õhuliin
Olemasolev kanalisatsiooni trass
Projekteeritud 24kV maakaabel kaitsetorus1W2
Olemasolev sadekanalisatsiooni trass
+TR
+KP
+MPS
+MP
-T1
2N
2U
2V
2W 1W
1V
1U
-MEB +KPS
+.K03
+.K01
+.K05
+.K07
+.K08 Projekteeritud alajaam
Projekteeritud 24kV maakaabel (2 kaablit trassis)2W2
Olemasolev kõrgpinge õhuliin
Olemasolev side õhuliin Olemasolev sidekaabel
Olemasolev 0,4kV õhuliin
Olemasolev kinnistupiir Olemasolev vee trass
Puu kaitsevöönd R=2m
Projekteeritud 450N kaitsetoru Projekteeritud 750N kaitsetoru Projekteeritud 1250N kaitsetoru
Projekteeritud jaotuskilp
31701:005:0760 M
eierei tee 1
31701:005:0058 Sutlem
a tee 8
31701:005:0350 M
eierei tee 2 // Sutlem a tee 10
31701:005:0066 Tuuleveski tee 2
31701:005:0067Allee
31701:005:0068 Tuuleveski tee 331701:005:0937
M eierei alajaam
31701:005:0057 Sutlem
a tee 6
31701:001:0613 Kuriste tee
31701:005:0451 Sutlem
a tee 4
Kohila tee 3
31701:005:0440 Kohila tee 1 // Sutlema tee 2
31701:005:0500 Kuriste tee 6
31701:005:0959 Kohila tee 5
31701:005:0660 Kuriste tee 12
31701:005:0120 Kohila tee 11
31701:005:0270 Kuriste tee 14
31701:005:0650 Kohila tee 9
31701:005:0005 Kohila tee 8
31701:001:1144Sutlema kergtee L1
31701:005:0059Sutlema jalgtee
31701:001:1036 Kuriste tee 1
31701:005:0750 Kabelikopli tee 2
31701:001:0612 Kabelikopli tee
31701:001:0549 Sutlem
a kergtee
31701:001:219011240 Tõdva-Hageri tee
Sutlema kergtee L1 31701:001:1144
11240 Tõdva-Hageri tee 31701:001:2190
31701:005:0480
31701:005:0820 11220 Kernu-Kohila tee
X X
X X
X X
X X
X X X X X X X X X X X X X X X X X X X X X X X X X X X X X X X X X X X X X X X X X X X X X X X X X X X X X X X X X X X X X X X X X X X X X X X
X X
X X
X X
X X
X X
X X
X X
M17
31701:005:0870 Puhastusseadm
e
31701:005:0007 Tuuleveski tee 4
31701:001:1211 Härjasilm
a
31701:001:1509 Kuriste tee L1
31701:001:1108 M
eierei tee 6
31701:005:0069 M
eierei tee 5
31701:005:0890 M
eierei tee 4
31701:005:0950 M
eierei tee 3
31701:005:0936 Tuuleveski alajaam
31701:005:0170 Tuuleveski tee 6
M13
M24 M24A
M23M22 M16
XX
X X
X X
X X
X X
X X
X X
X X
X X
X X
X X
X X
X X
X X
X X
X X
X X
X X
X X
X X
X X
X
ETTEVAATUST! Taastada aed!
31701:005:0280 Kuriste tee 10
1W1
1W1 1W1
1W1 1W1
1W1
1W1
1W1
1W1
1W1
1W1
1W1 1W11W11W1
1W2 1W21W21W21W21W21W21W21W2
1W21W21W21W21W21W21W21W21W21W21W21W21W2
1W 2
1W 2
1W 2
1W 2
1W 2
1W 2
1W 2
1W 2
1W 2
1W 2
1W 2
1W 2
1W 2
1W 2
1W 2
1W2 1W2
2
2
2
2 2
2
2
2
2
2
2 2W2W2
M 1:50 1.40
1. 00
projekteeritud kaabelliin kaablikaitsetorus (PVC Ø160 mm) 450/750N
hoiatuslint
≥0.30
0.600.60
≥0.30
Kasvupinnas ja muru külv h= 10 cm Kaeviku tagasitäide välja kaevatud materjaliga, kt=0,92 h= 40 cm
Esmane tagasitäide keskteraline liiv/looduslik kruus või olemasolevpinnas, millest eemaldatud mitte sobiv materjal fr. 0.063...63, E≥60 MPa
h= 20 cm
Kaitsetoru sängituskiht keskteraline liiv/looduslik kruus fr. 0.063...63, E≥60 MPa
h= 5 cm
Tihendatud kaeviku küna põhi E≥60 MPa (tihendamise mitte saavutamisel kiiluda paekillustikuga 4/16, mis asendab kaitsetoru sängituskihti)
MURU TAASTAMINE
≥0.10≥0.10
Taastatav ala S= 500 m2
M 1:50 3.00
1. 00
projekteeritud kaabelliin kaablikaitsetorus (PVC Ø160 mm) 750N
0.300.30 0.30 0.30
hoiatuslint min 0.30
min 0.30
≥0.30
0.600.60
≥0.30
SÕIDUTEE KILLUSTIKKATTE TAASTAMINE
Purustatud killustik fr. 0.063...20 h= 10 cm Paekillustikust alus fr.32/63, kiilutud E≥170 MPa h= 25 cm Dreenkiht keskteraline liiv/looduslik fr. 0.063...63, kt=0,98 h= 20 cm
Tee mulle keskteraline liiv/looduslik kruus või olemasolevpinnas, millest eemaldatud mitte sobiv materjal fr. 0.063...63, kt=0,98
h= 25 cm
Esmane tagasitäide keskteraline liiv/looduslik kruus või olemasolevpinnas, millest eemaldatud mitte sobiv materjal fr. 0.063...63, E≥65 MPa
h= 20 cm
Kaitsetoru sängituskiht keskteraline liiv/looduslik kruus fr. 0.063...63, E≥65 MPa
h= 5 cm
Tihendatud kaeviku küna põhi E≥65 MPa (tihendamise mitte saavutamisel kiiluda paekillustikuga 4/16, mis asendab kaitsetoru sängituskihti)
Taastatav ala S= 17 m2
M 1:50 1.40
1. 00
projekteeritud kaabelliin kaablikaitsetorus (PVC Ø160 mm) 450N
hoiatuslint
≥0.30
0.600.60
≥0.30
PINNASTEE TAASTAMINE
≥0.10≥0.10
Taastatav ala S= 9 m2
Kruus h= 95 cm Olemasolev kivivaba pinnas
Kaitsetoru sängituskiht keskteraline liiv/looduslik kruus fr. 0.063...63, E≥60 MPa
h= 5 cm
Tihendatud kaeviku küna põhi E≥60 MPa (tihendamise mitte saavutamisel kiiluda paekillustikuga 4/16, mis asendab kaitsetoru sängituskihti)
Kuupäev Töö nr.
Tellija:
Muudatus Kuupäev
MõõtkavaJoonise nr.
Staadium Koostas
23_3619_TP_EL-02_KATTED_240104_HT
LehtJoonis:
Töö nimetus:
Aadress:
Elektritööde reg. nr.: EL10360030-0001
Salve 2a Tallinn 11612 Tel: (+372) 6 701 066 www.eservice.ee
Kontrollis Proj. kood
H. Turja Tööprojekt
04.01.2024 23_3619
Elektrilevi OÜ
H. Turja IP6010
2/5
Kohila vald, Rapla maakond
Kateet taastamise asendiplaan
Kohila -Adila 10kV fiidri rekonstrueerimine
EL-02 1:500 / -
MÄRKUSED: 1) Projekt on koostatud lähtuvalt Elektrilevi OÜ lähteülesandest nr: IP6010. 2) Projekti asendiplaani koostamiseks on kasutatud: - Geoalus OÜ poolt koostatud geodeetilist asendiplaani nr: 23-G444; kuup.: 04.01.2024 (koordinaadid L-EST97 ja kõrgused EH2000 süsteemis 3) Õhu- ja maakaabelliinide pikkused on asendiplaanile märgitud trassipikkustena (kogupikkused vt. elektrilisel skeemil Joonis EL-02 ja EL-03).
TINGMÄRGID Projekteeritud 0,4kV maakaabel kaitsetorus1W1
Olemasolev 0,4kV maakaabelliin Olemasolev keskpinge õhuliin
Olemasolev kanalisatsiooni trass
Projekteeritud 24kV maakaabel kaitsetorus1W2
Olemasolev sadekanalisatsiooni trass
Olemasolev sidekaabel
Olemasolev 0,4kV õhuliin
Olemasolev kinnistupiir Olemasolev vee trass
Puu kaitsevöönd R=2m
Joonis 11
Projekteeritud 450N kaitsetoru Projekteeritud 750N kaitsetoru Projekteeritud 1250N kaitsetoru
31701:001:0288
Mesitaru
31701:005:0221
Võsalepa
31701:001:1870
Allika
31701:001:0263
Koka
31701:001:2471
Vardi metskond 77
31701:005:0170
Tuuleveski tee 6
31 70
1: 00
1: 05
49
Su tle
m a k
er gt
ee
31701:001:2190
11240 Tõdva-Hageri tee
1W2 1W2
1W2 1W2 1W2 1W2 1W2 1W2 1W2 1W2 1W2 1W2 1W2 1W2 1W2 1W2 1W2 1W2
1W2 1W2 1W2 1W2 1W2 1W2 1W2 1W2 1W2 1W2 1W2 1W2 1W2 1W2 1W2 1W2 1W2 1W2 1W2 1W2 1W2 1W2 1W2 1W2 1W2 1W2 1W2
1W2 1W2
1W2 1W2 1W2
1W2 1W2 1W2 1W2 1W2 1W2 1W2
1W2 1W2
1W2 1W2 1W2 1W2 1W2 1W2 1W2 1W2
1W2 1W2
1W2 1W2
1W2
1W2
1W2 1W2
1W2 1W2
1W2
1W2 1W2
1W2
1W2 1W2
1W2
1W2
1W2 1W2
1W2 1W2
1W2 1W2 1W2 1W2 1W2
1W2 1W2
1W2 1W2
1W2 1W2
1W2 1W2
1W2 1W2
M 1:50 1.40
1. 00
projekteeritud kaabelliin kaablikaitsetorus (PVC Ø160 mm) 450N
hoiatuslint
≥0.30
0.600.60
≥0.30
OLEMASOLEVA PINNASE TAASTAMINE
≥0.10≥0.10
Taastatav ala S= 729 m2
Olemasolev kivivaba pinnas h= 95 cm Kaitsetoru sängituskiht keskteraline liiv/looduslik kruus fr. 0.063...63, E≥60 MPa
h= 5 cm
Tihendatud kaeviku küna põhi E≥60 MPa (tihendamise mitte saavutamisel kiiluda paekillustikuga 4/16, mis asendab kaitsetoru sängituskihti)
M 1:50 1.40
1. 00
projekteeritud kaabelliin kaablikaitsetorus (PVC Ø160 mm) 450N
hoiatuslint
≥0.30
0.600.60
≥0.30
PINNASTEE TAASTAMINE
≥0.10≥0.10
Taastatav ala S= 6 m2
Kruus h= 95 cm Olemasolev kivivaba pinnas
Kaitsetoru sängituskiht keskteraline liiv/looduslik kruus fr. 0.063...63, E≥60 MPa
h= 5 cm
Tihendatud kaeviku küna põhi E≥60 MPa (tihendamise mitte saavutamisel kiiluda paekillustikuga 4/16, mis asendab kaitsetoru sängituskihti)
Kuupäev Töö nr.
Tellija:
Muudatus Kuupäev
MõõtkavaJoonise nr.
Staadium Koostas
23_3619_TP_EL-02_KATTED_240104_HT
LehtJoonis:
Töö nimetus:
Aadress:
Elektritööde reg. nr.: EL10360030-0001
Salve 2a Tallinn 11612 Tel: (+372) 6 701 066 www.eservice.ee
Kontrollis Proj. kood
H. Turja Tööprojekt
04.01.2024 23_3619
Elektrilevi OÜ
H. Turja IP6010
3/5
Kohila vald, Rapla maakond
Katete taastamise asendiplaan
Kohila -Adila 10kV fiidri rekonstrueerimine
EL-02 1:500 / -
MÄRKUSED: 1) Projekt on koostatud lähtuvalt Elektrilevi OÜ lähteülesandest nr: IP6010. 2) Projekti asendiplaani koostamiseks on kasutatud: - Geoalus OÜ poolt koostatud geodeetilist asendiplaani nr: 23-G444; kuup.: 04.01.2024 (koordinaadid L-EST97 ja kõrgused EH2000 süsteemis 3) Õhu- ja maakaabelliinide pikkused on asendiplaanile märgitud trassipikkustena (kogupikkused vt. elektrilisel skeemil Joonis EL-02 ja EL-03).
TINGMÄRGID
Olemasolev keskpinge maakaabelliin
Projekteeritud 24kV maakaabel kaitsetorus1W2
Olemasolev 0,4kV õhuliin
Olemasolev kinnistupiir
Projekteeritud 450N kaitsetoru
Projekteeritud 24kV harukilp Projekteeritud 24kV jätkumuhv
Joonis 4
31701:001:2691
Mäeotsa
31701:001:2471
Vardi metskond 77
1W2 1W2
1W2 1W2
1W2 1W2
1W2 1W2
1W2 1W2
1W2 1W2 1W2 1W2 1W2
1W2 1W2 1W2
1W2 1W2
1W2
1W2 1W2
1W2 1W2
1W2
1W2 1W2
1W2 1W2
1W2 1W2
1W2 1W2
1W2
1W2 1W2
1W 2
1W 2
1W 2
1W 2
1W 2
1W 2
1W 2
1W 2
1W 2
1W 2
1W 2
1W 2
1W 2
1W 2
X X X X X X X X X X X X X X X X X X X X X X X X X X X X X X X X X X X X X M37
M 1:50 1.40
1. 00
projekteeritud kaabelliin kaablikaitsetorus (PVC Ø160 mm) 450N
hoiatuslint
≥0.30
0.600.60
≥0.30
OLEMASOLEVA PINNASE TAASTAMINE
≥0.10≥0.10
Olemasolev kivivaba pinnas h= 95 cm Kaitsetoru sängituskiht keskteraline liiv/looduslik kruus fr. 0.063...63, E≥60 MPa
h= 5 cm
Tihendatud kaeviku küna põhi E≥60 MPa (tihendamise mitte saavutamisel kiiluda paekillustikuga 4/16, mis asendab kaitsetoru sängituskihti)
M 1:50 1.40
1. 00
projekteeritud kaabelliin kaablikaitsetorus (PVC Ø160 mm) 450N
hoiatuslint
≥0.30
0.600.60
≥0.30
PINNASTEE TAASTAMINE
≥0.10≥0.10
Kruus h= 95 cm Olemasolev kivivaba pinnas
Kaitsetoru sängituskiht keskteraline liiv/looduslik kruus fr. 0.063...63, E≥60 MPa
h= 5 cm
Tihendatud kaeviku küna põhi E≥60 MPa (tihendamise mitte saavutamisel kiiluda paekillustikuga 4/16, mis asendab kaitsetoru sängituskihti)
Kuupäev Töö nr.
Tellija:
Muudatus Kuupäev
MõõtkavaJoonise nr.
Staadium Koostas
23_3619_TP_EL-02_KATTED_240104_HT
LehtJoonis:
Töö nimetus:
Aadress:
Elektritööde reg. nr.: EL10360030-0001
Salve 2a Tallinn 11612 Tel: (+372) 6 701 066 www.eservice.ee
Kontrollis Proj. kood
H. Turja Tööprojekt
04.01.2024 23_3619
Elektrilevi OÜ
H. Turja IP6010
4/5
Kohila vald, Rapla maakond
Katete taastamise asendiplaan
Kohila -Adila 10kV fiidri rekonstrueerimine
EL-02 1:500 / A3
MÄRKUSED: 1) Projekt on koostatud lähtuvalt Elektrilevi OÜ lähteülesandest nr: IP6010. 2) Projekti asendiplaani koostamiseks on kasutatud: - Geoalus OÜ poolt koostatud geodeetilist asendiplaani nr: 23-G444; kuup.: 04.01.2024 (koordinaadid L-EST97 ja kõrgused EH2000 süsteemis 3) Õhu- ja maakaabelliinide pikkused on asendiplaanile märgitud trassipikkustena (kogupikkused vt. elektrilisel skeemil Joonis EL-02 ja EL-03).
TINGMÄRGID
Olemasolev keskpinge maakaabelliin
Projekteeritud 24kV maakaabel kaitsetorus1W2
Olemasolev 0,4kV õhuliin
Olemasolev kinnistupiir
Projekteeritud 450N kaitsetoru
Olemasolev 0,4kV maakaabelliin
X X X X X X Demonteeritav keskpinge õhuliin
Joonis 3
31701:006:1090 20103 Pihali-Adila-Rabivere tee
31 70
1: 00
6: 11
55
Pih ali
al aja
am
M129H5
M129H4
10 0
1W 1
1W 1
1W 1
1W 1
1W 1
1W 1
1W1
1W1
1W1
1W1
1W1
1W1
1W1
1W1
1W1
1W1
1W1
1W1
1W1
1W1
1W1
1W1
1W1
1W 1
1W 1
1W 1
1W 1
1W 1
1W 1
1W 1
1W 1
1W 1
1W 1
1W 1
31 70
1: 00
1: 18
52
Pä rtl
e
M 1:50 1.40
0. 70
projekteeritud kaabelliin kaablikaitsetorus (PVC Ø160 mm) 450N
hoiatuslint
≥0.30
0.600.60
≥0.30
OLEMASOLEVA PINNASE TAASTAMINE
≥0.10≥0.10
Taastatav ala S= 33 m2
Olemasolev kivivaba pinnas h= 95 cm Kaitsetoru sängituskiht keskteraline liiv/looduslik kruus fr. 0.063...63, E≥60 MPa
h= 5 cm
Tihendatud kaeviku küna põhi E≥60 MPa (tihendamise mitte saavutamisel kiiluda paekillustikuga 4/16, mis asendab kaitsetoru sängituskihti)
Kuupäev Töö nr.
Tellija:
Muudatus Kuupäev
MõõtkavaJoonise nr.
Staadium Koostas
23_3619_TP_EL-02_KATTED_240104_HT
LehtJoonis:
Töö nimetus:
Aadress:
Elektritööde reg. nr.: EL10360030-0001
Salve 2a Tallinn 11612 Tel: (+372) 6 701 066 www.eservice.ee
Kontrollis Proj. kood
H. Turja Tööprojekt
04.01.2024 23_3619
Elektrilevi OÜ
H. Turja IP6010
5/5
Kohila vald, Rapla maakond
Katete taastamise asendiplaan
Kohila -Adila 10kV fiidri rekonstrueerimine
EL-02 1:250 / A3
MÄRKUSED: 1) Projekt on koostatud lähtuvalt Elektrilevi OÜ lähteülesandest nr: IP6010. 2) Projekti asendiplaani koostamiseks on kasutatud: - Geoalus OÜ poolt koostatud geodeetilist asendiplaani nr: 23-G444; kuup.: 04.01.2024 (koordinaadid L-EST97 ja kõrgused EH2000 süsteemis 3) Õhu- ja maakaabelliinide pikkused on asendiplaanile märgitud trassipikkustena (kogupikkused vt. elektrilisel skeemil Joonis EL-02 ja EL-03).
TINGMÄRGID
Projekteeritud 0,4kV maakaabel1W1
Olemasolev kinnistupiir
Olemasolev 0,4kV maakaabelliin Olemasolev 0,4kV õhuliin
Olemasolev 10kV õhuliin Olemasolev raudbetoonmast
100 Projekteeritud mastalajaam
Projekteeritud BLL62 õhuliin
Tartu
2024
MTR reg. nr. EL10360030-0001 Salve 2A , 11612 Tallinn , Tel. 6 701 066
Tellija: Elektrilevi OÜ
Töö nr: 23_3619
Projekti kood: IP6010
Kohila-Adila 10 kV fiidri rekonstrueerimine
Tööprojekt
Aadress: Kohila vald, Rapla maakond
Koostas: Helina Turja
Kontrollis: Helina Turja
Töönimi: Kohila-Adila 10 kV fiidri rekonstrueerimine Töö nr: 23_3619
Kuupäev: 04.01.2024 Projekti kood: IP6010
E-Service AS
Reg.nr: 10360030 2/16
SISUKORD ASUKOHT ..................................................................................................................................................3 SELETUSKIRI ..............................................................................................................................................4
1.1. Üldosa .......................................................................................................................................4 1.2. Projektlahendus .......................................................................................................................5
1.2.1. 24kV maakaabelliinide paigaldus .....................................................................................5 1.2.2. 0,4 kV maakaabelliini paigaldus .......................................................................................7 1.2.3. Rekonstrueeritav Kõue-Adila 10kV fiidri õhuliin ..............................................................9 1.2.4. Projekteeritud 21(10,5)/0,41kV alajaam (AJ14233) ...................................................... 10 1.2.5. Projekteeritud mastalajaamad ...................................................................................... 10
1.3. Kaitse ja maandamine ........................................................................................................... 10 1.4. Pinnasekatete taastamine ..................................................................................................... 11 1.5. Märgiste paigaldus ................................................................................................................ 11 1.6. Käit......................................................................................................................................... 11
2. TÖÖKIRJELDUSED .......................................................................................................................... 12 2.1. Ehitusplatsi ettevalmistus ..................................................................................................... 12 2.2. Ohutuse tagamine ja liikluskorraldus .................................................................................... 12 2.3. Olemasolevate ehitistega ja rajatistega arvestamine ........................................................... 12 2.4. Töötervishoid ja tööohutusnõuded ...................................................................................... 13 2.5. Ehitustööde dokumenteerimine ja järelevalve ..................................................................... 13 2.6. Tööde kvaliteedinõuded ....................................................................................................... 13
3. DEMONTAAž .................................................................................................................................. 14 TABELID ................................................................................................................................................. 16
3.1. Tabel 1 – Materjalide spetsifikatsioon .................................................................................. 16 3.2. Tabel 2 – Mastitabel .............................................................................................................. 16 3.3. Tabel 3 – Töödemahud .......................................................................................................... 16 JOONISED Joonis EL-00 – Üldplaan Joonis EL-01 – Asendiplaan (16 lehte) Joonis EL-02– Katete taastamise asendiplaan (5 lehte) Joonis EL-03 – Elektriskeem (2 lehte) Joonis EL-04– Skeemiparandus Joonis EL-05 – Masti joonis (4 lehte) LISAD Lisa 1 – Elektrilevi OÜ projektülesanne Lisa 2 – Kooskõlastuste koondtabel Lisa 3 – Kooskõlastuste ärakirjad
Töönimi: Kohila-Adila 10 kV fiidri rekonstrueerimine Töö nr: 23_3619
Kuupäev: 04.01.2024 Projekti kood: IP6010
E-Service AS
Reg.nr: 10360030 3/16
ASUKOHT
Töönimi: Kohila-Adila 10 kV fiidri rekonstrueerimine Töö nr: 23_3619
Kuupäev: 04.01.2024 Projekti kood: IP6010
E-Service AS
Reg.nr: 10360030 4/16
SELETUSKIRI
1.1. Üldosa
Käesoleva projektiga on lahendatud Kohila-Adila 10kV fiidri rekonstrueerimine, Kohila vallas, Rapla maakonnas.
Projekteerimistöö aluseks on Tellija poolt väljastatud projektülesanne (Vt. Lisa 1).
Projekti koostamisel on lähtutud järgmistest seadustest, standarditest, eeskirjadest, normidest jms:
• Eesti Vabariigi Ehitusseadustik, Ehitusseadustiku ja planeerimisseaduse rakendamise seadus, Seadme ohutus seadus, Nõuded ehitusprojektile ja teised kehtivad seadused, nõuded ning õigusaktid.
• Elektrilevi OÜ ettevõtte standardid, juhendid, normid, nõuded ja teised kehtivad dokumendid.
• EVS-HD 60364-4-41:2017+A12:2019 Madalpingelised elektripaigaldised. Osa 4-41: Kaitseviisid. Kaitse elektrilöögi eest
• EVS-HD 60364-4-42:2011+A1:2015 Madalpingelised elektripaigaldised. Osa 4-42: Kaitseviisid. Kaitse kuumustoime eest.
• EVS-HD 60364-4-43:2023 Madalpingelised elektripaigaldised. Osa 4-43, Kaitseviisid. Liigvoolukaitse.
• EVS-HD 60364-4-444:2010 Madalpingelised elektripaigaldised. Osa 4-444: Kaitseviisid. Kaitse pingehäiringute ja elektromagnetiliste häiringute eest.
• EVS-HD 60364-4-444:2010/AC:2012 Madalpingelised elektripaigaldised. Osa 4-444: Kaitseviisid. Kaitse pingehäiringute ja elektromagnetiliste häiringute eest.
• EVS-HD 60364-5-52:2011+A11:2017 Madalpingelised elektripaigaldised. Osa 5-52: Elektriseadmete valik ja paigaldamine. Juhistikud.
• EVS-HD 60364-5-54:2011+A11:2017 Madalpingelised elektripaigaldised. Osa 5-54: Elektriseadmete valik ja paigaldamine. Maandamine ja kaitsejuhid.
• EVS-EN 50341-1:2013 Elektriõhuliinid vahelduvpingega üle 1 kV. Osa 1: Üldnõuded.
• EVS-EN 61936-1:2021 Tugevvoolupaigaldised nimivahelduvpingega üle 1kV. Osa 1: Üldnõuded.
• EVS-EN 50341-2-20:2018 Elektriõhuliinid vahelduvpingega üle 1 kV. Osa 2-20: Eesti siseriiklikud erinõuded (SEN).
• EVS EN 50522:2022 Üle 1 kV nimivahelduvpingega tugevvoolupaigaldiste maandamine.
Nimetatud dokumentidega tuleb arvestada ka ehitustööde teostamisel. Samuti järgida nimetatud dokumente elektripaigaldise hilisemal käidul.
Kolm päeva enne ehitustööde algust on ehitajal kohustus võtta ühendust kinnistute valdajatega, teavitades neid tööde teostamisest nende maaüksustel ning arvestama nende tingimuste, nõudmiste ja kooskõlastuste tingimustega (Vt. Lisa 2 ja Lisa 3).
Kolm päeva enne ehitustööde algust on ehitajal kohustus teavitada töödega alustamisest Tellija projektijuhti, kohaliku omavalitsust, ristuvate tehnovõrkude valdajaid ning arvestama ehitustöödel nende tingimuste, nõudmiste ja kooskõlastuste tingimustega (Vt. Lisa 2 ja Lisa 3). Vajadusel võtta tööde teostamiseks tööluba.
Ehitustööd teostada vastavalt Tellija ja kohaliku omavalitsuse kehtestatud korrale. Meetmed ohutuks tööks elektripaigaldises ja selle kaitsevööndis määrata kindlaks tööjuhatuse koosolekul enne tööde alustamist.
Töönimi: Kohila-Adila 10 kV fiidri rekonstrueerimine Töö nr: 23_3619
Kuupäev: 04.01.2024 Projekti kood: IP6010
E-Service AS
Reg.nr: 10360030 5/16
Ehitustööde käigus ja elektripaigaldise hilisemal käidul juhinduda eelpool toodud eeskirjadest ja Eesti Vabariigis kehtivatest normatiividest ning seadustest. Samuti pidada kinni töötervishoiu, tööohutuse ja elektriohutuse nõuetest ning headest tavadest.
Ehitajal on kohustus täita liikluskorralduse nõudeid teetöödel, mis on kehtestatud Majandus- ja kommunikatsiooniministri 13. juuli 2015.a. määrusega nr 90, liiklejale ohutute liikumistingimuste loomiseks teel ja töö tegijale ohutute töötingimuste loomiseks teel ja tee kaitsevööndis.
Seadmete parameetrid on antud asendiplaanil (Vt. Joonis EL-01) ja elektriskeemil (Vt. Joonis EL-03 ja EL-04). Paigaldatud kaitsmed ja projekteeritud maanduspaigaldised tagavad elektripaigaldise ohutuse. Uute madalpingeliinide ehitamisel jätta faasijärjestus samaks.
Projekti asendiplaanil ja töömahtude tabelis on toodud kaablitele projektsioonväärtused ning materjalide spetsifikatsioonis ja elektrilisel skeemil antud arvutuslikud kaablite pikkused.
Projekti asendiplaani koostamisel on aluseks võetud:
• Geodeetiline asendiplaan: Geoalus OÜ (töö nr – GEO 23-G444; kuupäev – 04.01.2024 (Koordinaadid L-EST97; kõrgused EH2000 süsteemis).
• Connecto Eesti AS poolt koostatud Sutlema tee 6 elektriliitumise asendiplaan nr: LR9845-1; kuup.: 25.01.2024 (koordinaadid L-EST97 ja kõrgused EH2000 süsteemis
NB! Ehitustöödel või selle ettevalmistamisel tekkinud küsimused ja probleemid, mida pole kajastatud käesolevas projektis või on ebaselged/vastuolulised, lahendatakse töö käigus kooskõlastatult projekteerija ja Tellijaga.
• Peale teostusjooniste koostamist sõlmida kaablitrassi kaitsetsooni ulatuses maakasutusõiguse saamiseks isikliku kasutusõiguse lepingud või seada sundvaldused.
• Uus alajaam ja maakaabelliinid vajavad kokkuleppelist sundvaldust või IKÕ seadmist.
• Vajalikud maa omanike eelnevad kooskõlastused
• Vajalikud maa omaniku vastavad krundijaotusplaanid
1.2. Projektlahendus
1.2.1. 24kV maakaabelliinide paigaldus
Projekteeritud maakaabelliinid paigaldada vastavalt Elektrilevi OÜ ettevõttestandardile: UUP338 - 0,4…20kV VÕRGUSTANDARD – 20kV KAABELLIINIDUU.
Kaablite kulgemine looduses on esitatud asendiplaanil (Vt. Jooniseid EL-01). Kaablite parameetrid koos algus- ja lõpp-punktidega on toodud elektrilisel skeemil (Vt. Joonis EL-03). Põhimaterjalid koos varuga on spetsifitseeritud materjalide spetsifikatsioonis (Vt. Tabel 1) ja tööde mahud on esitatud vormikohases tööde mahtude tabelis (Vt. Tabel 2).
Kaabeliinitrass puhastada vajadusel vajalikus ulatuses puudest/võsast ja kividest.
Kaablite paigaldamisel jälgida tootja poolt lubatud painderaadiusi, tõmbejõudusid ja teisi paigaldustingimusi.
Kivises pinnases või kui kaeviku põhi jäetakse tasandamata tuleb kaabel/kaitsetoru koos kaabliga paigaldada liivapadja sisse.
Kaablid paigaldada lahtisel/kinnisel meetodil kaablikaitsetorusse min 1 m sügavusele maapinnast vastavalt asendiplaanil (Vt. Jooniseid EL-01) toodule.
Töönimi: Kohila-Adila 10 kV fiidri rekonstrueerimine Töö nr: 23_3619
Kuupäev: 04.01.2024 Projekti kood: IP6010
E-Service AS
Reg.nr: 10360030 6/16
Riigitee ületamisel kaabel paigaldada kinnisel meetodil 1250N kaitsetorru min 2,2m sügavusele maapinnast (Vt. Joonis EL-01).
Suundpuurimistööde esimene etapp on pilootpuurimine, mis teostatakse vastavalt projektile maha märgitud trassile. Teine etapp on puuritava tunneli eellaiendamine mõõtu. Rasketes pinnastes nagu paekivi, liivakivi ja moreen tuleb teha mitmeid laiendusi, et saavutada lõplik tunneli läbimõõt. Nende töödega samaaegselt toimub torude põkk-keevitamine. Peale eellaiendustöid saab alustada kaablikaitse hülsside sisse vedamise töödega, mille käigus asetatakse jällegi kõige ette vajaliku läbimõõduga laiendi mille külge haagitakse sisseveetavad kaablihülsid. Samal ajal pumbatakse läbi pilootvarraste bentoniidi (ehituslikku savi) lahust 3-5 korda rohkem puuritava pinnase mahust, et transportida üleliigne pinnas puurimistunnelist välja vahekaevikutesse. Pinnasest küllastunud lahus imetatakse vahekaevikutest välja ja utiliseeritakse. Kogu puurimistööde ajal on kaablikaitse hülsid hermeetilised, et vältida pinnase ja muude osakeste sattumine hülssidesse. Selleks, et pinnas pärast puurimist ei vajuks, peab lisaks tavalisele puurimissegule kasutama ka kivistuvat segu.
Kivistuva segu kasutamiseks peab läbima puurimistunnelit 2 korra (tagasitõmbamine tehakse koos laiendi ja torudega) asemel 4 korda (esimene tagasitõmbamine tehakse ainult laiendiga ja teine tagasitõmbamine torudega).
Koos torude paketiga tuleb tõmmata lisaks üks toru PE D50 mm SDR11 nii, et üks toruots tuleb maast välja , aga teine ots jääb maa all ca sõidutee keskel.
Peale torupaki sisse tõmbamist pumbatakse 50mm toru sisse nt. Cebo Drill Grout ( eri bentoniidi segu) mida kivistub 7....30 päeva jooksul
Teemaal paigaldada kaabel lahtisel meetodil 750N kaitsetorru min 1m sügavusele maapinnast (Vt. Joonis EL-01).
Tehnovõrkude teemaale paigaldamisel on kõrvalekalded kooskõlastatud projektist keelatud.
Tehnovõrgu riigiteealusele maale paigaldamise korral peab tehnovõrgu omanik enne projekti realiseerima asumist esitama Transpordiametile vormikohase taotluse koos projektis kooskõlastatud asukoha-skeemiga tehnovõrgu paigaldamise ja talumise lepingu sõlmimiseks (vorm saadaval Transpordiameti kodulehel). Sõlmitud leping on aluseks riigitee alusel maal projektijärgsete tööde teostamiseks vajaliku liiklusväliste tööde loa väljastamiseks.
Kaablist/kaitsetorus olevast kaablist 0,3 m kõrgemale paigaldada kaablihoiatuslint. Hoiatuslint peab asetsema kaitstava kaabliga kohakuti.
Ristumisel teiste maa-aluste kommunikatsioonidega (tarbijakaablid, side, jne) tuleb kohale kutsuda vastavate kommunikatsioonitrasside valdajate esindajad. Juhinduda normidekohastest püst- ja horisontaalvahekaugustest ning kooskõlastustes toodud tingimustest. Kaevamistööd teiste kommunikatsioonide kaitsetsoonis teostada käsitsi (Vt. Lisa 3). Mehhaniseeritud kaevamine on lubatav ainult maa-aluste rajatiste valdajate loal, seejuures enne kontrollides, kas maa sees ei leidu plaanidele kandmata rajatisi. Ristumistel allmaarajatistega tuleb kaabli paigaldussügavus täpsustada kohapeal ehituse käigus, tehes käsitsi kaevates kindlaks nende täpse asukoha ja suuna ning otsustada pealt või altpoolt läbimineku kasuks. Vajadusel toestada sidekaablid ja olemasolevad elektrikaablid kaevetööde ajaks. Kaevamistööde käigus selgunud maa-aluste kommunikatsioonide teisiti paiknemisel teavitada sellest vastavate kommunikatsioonitrasside valdajate esindajad. Pärast kaablite paigaldamist tuleb teha kaabelliini ja maanduspaigaldise teostusjoonised.
Pärast kaevetööde ja kaabelliini paigaldustööde lõppu tuleb kaablikaevis täita tihendatud pinnasega (pinnase tihendamise koefitsient sõidu- ja kõnniteedel on 0,98). Samuti taastada teekatted ja haljastus endisele või maapinna taastamise joonisel ettenähtud kujule.
Töönimi: Kohila-Adila 10 kV fiidri rekonstrueerimine Töö nr: 23_3619
Kuupäev: 04.01.2024 Projekti kood: IP6010
E-Service AS
Reg.nr: 10360030 7/16
24- ja 0,4kV maakaabli ja tehnorajatise vahelised väiksemad lubatavad vahekaugused (kujad) [m]
Tehnorajatise nimetus Rõhtvahekaugus rööpkulgemisel Püstvahekaugused ristumisel
I II I II
Vee ja kanalisatsiooni toru
-kaabel torus
1/0,5PP
1)
0,25PP
1)
1
0,5
0,25PP
9)
0,3
0,2
Elektrikaabel
-paigaldatav kaabel torus
0,1
0,07PP
2)
0,2...0,3
0,25)
0PP
7)8)
0,1/0,5PP
10)
0,1
0,2
0PP
7)
Sidekaabel või -kanalisatsioon
-paigaldatav kaabel torus
0,5
0,1PP
5)
0,25...0,5
0,2PP
5)
0PP
7)8)
0,5
0,15PP
11)
0,2
0PP
7)
P
1) PKitsas kohas erikooskõlastuse kohaselt.
P
5) PKaabel kaitstud tugeva või keskmise kaitseastmega või eraldatud betoonvaheseinaga. Alus: Tehnilised nõuded sideliinide
ristumisel elektriliinidega. Juhendi projekt.
P
7) PMõlemad kaablid kaitstud (torus või kanalis).
P
8) PVähimad rõhtkaugused lähenemisel.
P
9) PKaablit kaitsev toru peab ulatuma ristuvast rajatisest ±2 m kummalegi poole.
P
10) PRistumisel keskpinge- või kõrgepingekaabliga.
P
11) PKaablid p.o. 1 m pikkuselt kummalegi poole olema eraldatud betoonplaatide või A-tugevusklassi torudega; sidekaabel
peab paiknema kõrgemal.
I veerg sisaldab kooskõlastamis- ja ehituspraktikas seni kehtivaks tunnistatud elektriseadmete ehituseeskirjade norme.
II veerg sisaldab Eesti Projekteerimisnormide EPN 17 eelnõu osa 8 tabelites 8.2–8.4 ja 8.6 toodud norme, mis pole veel üldkohustuslikena kehtestatud, kuid mille täitmist võib (eriti vähendatud kaugusi kitsastes kohtades) projekteerimisel taotleda.
Eriti kitsastes kohtades kooskõlastatult rajatise valdajaga võib projekteerida tooduist erinevaid (vähendatud) kaugusi tingimusel, et need võimaldavad täita ehituse, remondi ja hooldamise ohutusnõudeid.
1.2.2. 0,4 kV maakaabelliini paigaldus
Projekteeritud maakaabelliin paigaldada vastavalt Elektrilevi OÜ ettevõttestandardile: P342 - 0,4…20kV VÕRGUSTANDARD – 0,4 kV KAABELLIINID.
Kaablite kulgemine looduses on esitatud asendiplaanil (Vt. Joonis EL-01). Kaablite parameetrid koos algus- ja lõpp-punktidega on toodud elektriskeemil (Vt. Joonis EL-03). Põhimaterjalid koos varuga on spetsifitseeritud materjalide spetsifikatsioonis (Vt. Tabel 1), tööde mahud on esitatud vormikohases tööde mahtude tabelis (Vt. Tabel 2).
Kaabelliinitrass puhastada vajadusel vajalikus ulatuses kividest.
Kaabli paigaldamisel jälgida tootja poolt lubatud painderaadiuseid, tõmbejõudusid ja teisi paigaldustingimusi.
Kivises pinnases või kui kaeviku põhi jäetakse tasandamata kaabel paigaldada liivapadja sisse.
Kaabel paigaldada lahtisel meetodil haljasalal min 1m sügavusele vastavalt asendiplaanil (Vt. joonis EL- 01) toodule.
Töönimi: Kohila-Adila 10 kV fiidri rekonstrueerimine Töö nr: 23_3619
Kuupäev: 04.01.2024 Projekti kood: IP6010
E-Service AS
Reg.nr: 10360030 8/16
Riigitee ületamisel kaabel paigaldada kinnisel meetodil 1250N kaitsetorru min 2,2m sügavusele maapinnast (Vt. Joonis EL-01).
Suundpuurimistööde esimene etapp on pilootpuurimine, mis teostatakse vastavalt projektile maha märgitud trassile. Teine etapp on puuritava tunneli eellaiendamine mõõtu. Rasketes pinnastes nagu paekivi, liivakivi ja moreen tuleb teha mitmeid laiendusi, et saavutada lõplik tunneli läbimõõt. Nende töödega samaaegselt toimub torude põkk-keevitamine. Peale eellaiendustöid saab alustada kaablikaitse hülsside sisse vedamise töödega, mille käigus asetatakse jällegi kõige ette vajaliku läbimõõduga laiendi mille külge haagitakse sisseveetavad kaablihülsid. Samal ajal pumbatakse läbi pilootvarraste bentoniidi (ehituslikku savi) lahust 3-5 korda rohkem puuritava pinnase mahust, et transportida üleliigne pinnas puurimistunnelist välja vahekaevikutesse. Pinnasest küllastunud lahus imetatakse vahekaevikutest välja ja utiliseeritakse. Kogu puurimistööde ajal on kaablikaitse hülsid hermeetilised, et vältida pinnase ja muude osakeste sattumine hülssidesse. Selleks, et pinnas pärast puurimist ei vajuks, peab lisaks tavalisele puurimissegule kasutama ka kivistuvat segu.
Kivistuva segu kasutamiseks peab läbima puurimistunnelit 2 korra (tagasitõmbamine tehakse koos laiendi ja torudega) asemel 4 korda (esimene tagasitõmbamine tehakse ainult laiendiga ja teine tagasitõmbamine torudega).
Koos torude paketiga tuleb tõmmata lisaks üks toru PE D50 mm SDR11 nii, et üks toruots tuleb maast välja , aga teine ots jääb maa all ca sõidutee keskel.
Peale torupaki sisse tõmbamist pumbatakse 50mm toru sisse nt. Cebo Drill Grout ( eri bentoniidi segu) mida kivistub 7....30 päeva jooksul.
Teemaal paigaldada kaabel lahtisel meetodil 750N kaitsetorru min 1m sügavusele maapinnast (Vt. Joonis EL-01).
Tehnovõrkude teemaale paigaldamisel on kõrvalekalded kooskõlastatud projektist keelatud.
Tehnovõrgu riigiteealusele maale paigaldamise korral peab tehnovõrgu omanik enne projekti realiseerima asumist esitama Transpordiametile vormikohase taotluse koos projektis kooskõlastatud asukoha-skeemiga tehnovõrgu paigaldamise ja talumise lepingu sõlmimiseks (vorm saadaval Transpordiameti kodulehel). Sõlmitud leping on aluseks riigitee alusel maal projektijärgsete tööde teostamiseks vajaliku liiklusväliste tööde loa väljastamiseks.
Kaitsetorus olevast kaablist 0,3 m kõrgemale paigaldada kaablihoiatuslint. Hoiatuslint peab asetsema kaitstava kaabliga kohakuti.
Ristumisel maa-aluste kommunikatsioonidega tuleb kohale kutsuda vastavate kommunikatsioonitrasside valdajate esindajad. Juhinduda normikohastest püst- ja horisontaalvahekaugustest ning kooskõlastustes toodud tingimustest. Kaevamistööd teiste kommunikatsioonide kaitsetsoonis teostada käsitsi (Vt. Lisa 2 ja Lisa 3). Mehhaniseeritud kaevamine on lubatav ainult maa-aluste rajatiste valdajate loal, seejuures enne kontrollides, kas maa sees ei leidu plaanidele kandmata rajatisi. Ristumistel allmaarajatistega tuleb kaabli paigaldussügavus täpsustada kohapeal ehituse käigus, tehes käsitsi kaevates kindlaks nende täpse asukoha ja suuna ning otsustada pealt või altpoolt läbimineku kasuks. Vajadusel toestada olemasolevad kommunikatsioonitrassid kaevetööde ajaks. Kaevamistööde käigus selgunud maa-aluste kommunikatsioonide teisiti paiknemisel teavitada sellest vastavate kommunikatsioonitrasside valdajate esindajad. Pärast kaablite paigaldamist tuleb teha kaabelliini ja maanduspaigaldise teostusjoonised.
Pärast kaevetööde ja kaabelliini paigaldustööde lõppu tuleb kaablikaevis täita tihendatud pinnasega. Samuti taastada haljastus endisele või katete taastamise asendiplaani joonisel (Vt. Joonis EL-01) ettenähtud kujule.
Töönimi: Kohila-Adila 10 kV fiidri rekonstrueerimine Töö nr: 23_3619
Kuupäev: 04.01.2024 Projekti kood: IP6010
E-Service AS
Reg.nr: 10360030 9/16
Eriti kitsastes kohtades kooskõlastatult rajatise valdajaga võib projekteerida tooduist erinevaid (vähendatud) kaugusi tingimusel, et need võimaldavad täita ehituse, remondi ja hooldamise ohutusnõudeid.
1.2.3. Rekonstrueeritav Kõue-Adila 10kV fiidri õhuliin
Projekteeritud õhuliin paigaldada vastavalt Elektrilevi OÜ ettevõttestandardile: P339 0,4 - 20 kV VÕRGUSTANDARD - 20 kV ÕHULIINID.
Paljasjuhtmed asendada BLL62/99 mm2 ristlõikega isoleeritud õhuliinijuhtmetega vastavalt asendiplaani joonistel näidatud mahus (Vt. Joonis EL-01).
Korraga paigaldatakse ühe faasi juhe, ülejäänud juhtmed võivad olla paigaldatud või paigaldamata. Arvestada tuleb konkreetsele liini elemendile ebasoodsaima juhtmete paigaldusjärjekorraga. Juhtmete tõmme võetakse vastavalt paigaldustabelitele. Paigaldustabelites on esitatud juhtmete tõmbed ja ripped erinevate taandatud visangu pikkuste jaoks. Lisaks on iga taandatud visangu korral esitatud ripped konkreetsete pikkustega viseerimisvisangute jaoks. Paigaldustabelid on leitavad dokumendi J3301 lisades.
Kõikidele raudbetoonmastidele tuleb ehitada maandus. Raudbetoonmasti maanduse maandustakistuse väärtus määratakse vastavalt standardi EVS-EN 50341-1:2013 osadele 6.4.1 ja 6.4.2 ning lisale G4, arvestades erinevate paikade lisatakistuste mõjuga. Lubatud puutepinge vastuvõetavaks väärtuseks kestva maaühenduse korral tuleb lugeda 80 V, piirkonnaalajaama 1-faasilise mahtuvusliku maaühendusvoolu suuruseks ELV keskpingevõrgus 10 A ning maanduspingeks kahekordne arvutatud puutepinge väärtus. Seega masti maandustakistus paikades, kus inimesed võivad liikuda paljajalu, ei tohi olla üle 16 Ω, mujal üle 25 Ω. Kui ehituse käigus mõõdetav masti maandustakistuse väärtus on lubatust suurem tuleb lisada maandusvardaid või ehitada välja potentsiaalitasandusrõngas. Potentsiaalitasandusrõnga maandustakistuse väärtust mõõtma ei pea, kuid selle puhul peab mastil olema maandusklemm. Ka võib masti ümbritseva pinnase katta jämedafraktsioonilise killustiku kihiga vähemalt 1,5 meetri ulatuses mastist.
Asendada mastid vastavalt asendiplaanile (vt. joonised EL-01). Mastide paigaldamisel arvestada arvutusliku paigaldussügavusega: 11 m ja 12 m mastid paigaldatakse 2 m sügavusele ning 13 m, 14 m ja 15 m mastid paigaldatakse 2,5 m sügavusele. Vajadusel õiguda olemasolevad mastid. Kõik tugiisolaatorid tuleb asendada uutega, pingetasemega vähemalt 20 kV. Kaetud juhtmele on lubatud kasutada plasthülsiga kinnitusuurdega heledaid portselanist tõirisolaatoreid, mis võimaldavad vedada juhet veorullikuid kasutamata. Kõikide traaversite puhul tuleb tõirisolaatorina kasutada vene-tüüpi isolaatoreid ШФ20Г1 (SHF20G1) või ШФ20 (SHF20-13-E-1-I) ja isolaatori tõira mõõtudele vastavaid plastist kattekoonuseid. Tõmbeisolaatorina tuleb nõutava lekkeraja pikkuse tagamiseks kasutada ainult komposiitisolaatorit SDI90.280. Kõik uued ja olemasolevad mastid tuleb nummerdada vastavalt asendiplaanile.
Vastavalt asendiplaanile paigutada mastidele sädevahemikud. Õhkvahemikud sädevahemike elektroodide vahel seadistada L=150 mm. Sädemikud võivad paikneda traaversist suvalisel pool kusjuures keskmise faasi sädemik tuleks mastil paigaldada teisele poole välimiste juhtmete sädemikest (P339 6.7). NB! Jälgida sädemike kaugust spiraalsidemest, mis ei tohi olla väiksem kui 50mm (vt allolevat joonist).
Töönimi: Kohila-Adila 10 kV fiidri rekonstrueerimine Töö nr: 23_3619
Kuupäev: 04.01.2024 Projekti kood: IP6010
E-Service AS
Reg.nr: 10360030 10/16
Mastidel kasutatavad seadmed on välja toodud mastitabelites. Toega mastide kindlustamiseks paigaldada pehmes pinnases mastile riigel vastavalt OÜ Elektrilevi võrgustandardi joonisele P339-17. Vajadusel paigaldada riigel ka toele. Tugi dimensioneerida survele, mast väljatõmbele.
1.2.4. Projekteeritud 21(10,5)/0,41kV alajaam (AJ14233)
Projekteeritud alajaama asukoht looduses on toodud asendiplaanil (Vt. Jooniseid EL-01 leht 11). Alajaama parameetrid on toodud elektrilisel ja normaalskeemi parandusel (Vt. Jooniseid EL-03 ja EL- 04). Alajaama paigaldamisel järgida normdokumente ning paigutus ja maanduspaigaldise joonist (Vt. Joonis EL-05).
Alajaam paigaldada olemasoleva alajaama (AJ Hageri hooldekodu) asemele. Vajadusel kasutada generaatorit.
1.2.5. Projekteeritud mastalajaamad
Mastalajaamade ehitamisel lähtuda Elektrilevi OÜ normdokumendist: P340 – 20Kv VÕRGUSTANDARD- MASTALAJAAMAD.
Olemasolev Pihali KTP alajaam demonteerida ja rajada uus mastalajaam AJ14234 asendatavale mastile nr M129H5. Paigaldada uus trafo 100 kVA 21(10,5)/0,41kV. Paigaldada alajaama masti kõrvale 0,4 kV jaotuskilp (vt joonis EL-01, EL-03 ja EL-05)
1.3. Kaitse ja maandamine
Maanduspaigaldise ehitamisel lähtuda Elektrilevi OÜ normdokumendist: UP393 - NÕUDED KESKPINGE MASTLÜLITUSPUNKTIDE, KESKPINGE KAABLIVÕRGU HARUKILPIDE, LÕPUMUHVIDE, ALAJAAMADE JA MADALPINGEVÕRGU MAANDUSPAIGALDISTE EHITUSEKS U.
Alajaama maandus ühendada olemasoleva maandusega ja vajadusel täiendada, et tagada ≤ 4,0Ω. Maanduri ehitamisel on soovitatav kasutada 4,2 m pikkuseid vasetatud terasvardaid, mis ühendatakse kokku jämedakiulise paljasvaskjuhtmega Cu25. Maandusvarraste vahekaugus peab olema vähemalt kahekordne varda pikkus. Ümber alajaama 1m kaugusele ja 0,3 m sügavusele rajada potentsiaaliühtlusti jämedakiulise paljasvaskjuhtmega Cu25. Valmis ehitatud potentsiaaliringi terviklikkust peab saama mõõta maanduslatilt lahti ühendamise teel. Maa sees olevad maandusseadme ühendused teha keevisliidetena või pressliidetena.
Töönimi: Kohila-Adila 10 kV fiidri rekonstrueerimine Töö nr: 23_3619
Kuupäev: 04.01.2024 Projekti kood: IP6010
E-Service AS
Reg.nr: 10360030 11/16
Käesolevas elektripaigaldises on elektriohutuse tagamisel rakendatud peamiselt järgmisi kaitseviise:
PÕHIKAITSENA (otsepuutekaitse) – põhiisolatsiooni ohtlike pingestatud osade ja pingealdiste juhtivate osade vahel ning kaitsekatete ja kaitseümbriste kasutamist;
RIKKEKAITSENA (kaudpuutekaitse) – toite automaatset väljalülitamist koos maandatud kaitsepotentsiaaliühtlustussüsteemi väljaehitamisega, millega tagatakse elektripaigaldise pingealdiste juhtivate osade arvestuslik puutepinge alla 50 VAC.
Maanduspaigaldise materjali kogused ja parameetrid on toodud materjalide spetsifikatsioonis (Vt. Tabel 2).
1.4. Pinnasekatete taastamine
Pinnasekatete taastamise joonisel (Vt. Joonis EL-02) näidatud maa-ala tuleb ehitusjärgselt taastada, tasandada ning ehitusprahist puhastada.
Ehituskaevikust väljakaevatav pinnas ei ole sobiv esmaseks tagasitäiteks.
Haljasalal kasutada kaablikaeviku tagasitäiteks võimaluse korral väljakaevatavat kivivaba sõmerat pinnast.
Ehituskaevikust väljakaevatav ja tagasitäiteks mittekasutatav pinnas vedada koheselt ja ladustada kooskõlastatult kohaliku omavalitsuse poolt ette nähtud kohta või kinnistu omaniku poolt kooskõlastatud kohta viimase kinnistul.
Töövõtja vastutab tööde teostamise ajal keskkonnakaitse eest ehitusplatsil ja selle kõrval oleval alal vastavalt Eesti Vabariigis kehtivatele seadustele ja nõuetele.
1.5. Märgiste paigaldus
Projekteeritud maakaabelliinide, õhuliinide, jaotus- ja liitumiskilpide, alajaamade ja nendes asetsevate seadmete märgiste paigaldamisel lähtuda Elektrilevi OÜ normdokumendist: UUP346 - VÕRGUVARA TÄHISTAMISE JA MÄRGISTAMISE NÕUDEDU.
1.6. Käit
Pärast elektrivõrgu kasutuselevõttu tuleb pärast esimest ekspluatatsiooniaastat lähtuda ülevaatuste ja hooldustööde planeerimisel Elektrilevi OÜ normdokumendist: J31 – ELEKTRIPAIGALDISTE KÄIDU OHUTUSJUHEND.
Töönimi: Kohila-Adila 10 kV fiidri rekonstrueerimine Töö nr: 23_3619
Kuupäev: 04.01.2024 Projekti kood: IP6010
E-Service AS
Reg.nr: 10360030 12/16
2. TÖÖKIRJELDUSED
2.1. Ehitusplatsi ettevalmistus
Kõik ehitus- ja paigaldustööd peavad olema tehtud tööde kirjeldustes ja joonistel toodu kohaselt. Töövõtja peab oma pakkumise esitama selliselt, et see sisaldaks kõigi seadmete, materjali, tööjõu, transpordi, paigalduse, jms maksumusi ning arvestusega, et tööd oleksid tehtud kuni täieliku valmiduseni. Käesoleva projekti mahtu kuuluvad kõik tööd, mis on vajalikud projektiga määratud nimetatud tööde tegemiseks, sh tööd mida ei ole käesolevas projektis otsesõnu kirjeldatud kuid mis kuuluvad Töövõtja poolt tegemisele hea ehitustava kohaselt. Kõikide nimetatud tööde maksumus sisaldub töövõtja poolt esitatud pakkumises. Normatiivides toodud teimid, jms kuuluvad töövõttu. Enne ehitustööde alustamist taotleda vastava ehitustöö tegevusluba kohalikult omavalitsuselt ja teistelt ehitustöödega seotud organisatsioonilt. Ehitatav liinitrass, seadme asukoht, jms Tellijaga üle vaadata. Enne ehitustööde algust tuleb ehitatav liinitrass, seadme asukoht, jms kooskõlastada täiendavalt teiste trassivaldajatega ja kinnistuomanikega. Töövõtja peab Tellijale ja kohaliku omavalitsuse poolt määratud instantsidele esitama omapoolse tööde organiseerimise ja töökorralduse planeeritud ajagraafiku. See peab sisaldama ka ohutustehnilisi meetmeid tööde teostamisel kaasaarvatud meetmeid jalakäijate kaitseks, ajutiste kaitsepiirete rajamist, liikluse ümberkorraldusi, valgustust, märgistust, jne. Ehitustöödel tekkinud küsimused ja probleemid, mida pole kajastatud käesolevas projektis või on ebaselged, lahendatakse töö käigus kooskõlastatult projekti autori ja töö tellijaga.
2.2. Ohutuse tagamine ja liikluskorraldus
Ehitustöödega mõjutatav piirkond peab kogu tööperioodi vältel olema tähistatud ja vastavalt vajadusele ka valgustatud nii, et tööde teostamine ei ohustaks piirkonda läbivate või seal töid teostavate inimeste elu ja tervist ning vara. Tänavate sulgemine osaliselt või täielikult sõidukite liikluseks on võimalik ainult vastavalt omavalitsuspiirkonnas kehtivale korrale. Tööde teostaja peab arvestama kõigi projekti teostamiseks vajalike liikluse sulgemisest, ümbersuunamisest ja endise liiklusolukorra taastamisest (näit. olemasolevate liiklusmärkide eemaldamine, ajutiste liiklusmärkide paigaldamine, jne.) tulenevate kulutustega. Kasutatavate liiklusmärkide kuju ja paigaldus peavad vastama kehtivale korrale. Tööde teostaja peab arvestama kõigi projekti teostamiseks vajalike tööpiirkonna tähistamisest tulenevate kulutustega. Tööde teostaja vastutab ajutiste tähiste, piirete ja liiklusmärkide säilimise ning nende puudumisest tekkinud kahjude hüvitamise eest. Kõik ehitusplatsil töötavad inimesed peavad olema instrueeritud ohutustehnika nõuetes. Kõrvaliste isikute juurdepääs ehitusplatsile ja töötsoonidesse peab olema tõkestatud. Ohutuse eest ehitusplatsil vastutab täielikult Töövõtja.
2.3. Olemasolevate ehitistega ja rajatistega arvestamine
Kõik elektritööd peavad olema tehtud vastavalt Eesti Vabariigis kehtivatele nõuetele ja normatiividele ja Tellija volitatud esindaja nõudeid järgides.
Töövõtja peab ehitus- ja paigaldustöödel täitma kõiki territooriumi- või võrguvaldaja ning Tellija poolt volitatud isiku ettekirjutusi. Ehitusele seatakse garantiiaeg, mille pikkus määratakse Tellija ja Töövõtja vahelises lepingus, kõik ehituse garantiiajal ilmnenud vead või ebakvaliteetsed materjalid kõrvaldab Töövõtja omal kulul.
Töönimi: Kohila-Adila 10 kV fiidri rekonstrueerimine Töö nr: 23_3619
Kuupäev: 04.01.2024 Projekti kood: IP6010
E-Service AS
Reg.nr: 10360030 13/16
Enne tööde alustamist tuleb tööde teostajal koostöös olemasolevate maa-aluste rajatiste valdajatega rajatiste asukoht täpsustada ja tähistada. Tööde teostajal tuleb täita nimetatud rajatiste valdajate poolt esitatavaid nõudeid (näit. toestamine) rajatiste vahetus läheduses töötamisel.
Järgida tuleb kõikide kooskõlastusi andnud organisatsioonide nõudeid ning arvestada neist tulenevate kuludega.
2.4. Töötervishoid ja tööohutusnõuded
Tööde teostamisel tuleb järgida Eesti Vabariigi seadusi ja määrusi.
2.5. Ehitustööde dokumenteerimine ja järelevalve
Tööde tegemisel jälgida ehitustööde head tava, pärast tööde lõpetamist peab olema ehitusplats koristatud ja heakord taastatud. Elektritöödele võib lubada ainult sellekohast väljaõpet omavat personali. Ehitustööde dokumenteerimisel lähtuda Eesti Vabariigi Ehitusseadusest ja Tellija elektripaigaldise kasutuselevõtu protseduurist. Ehituse järelevalvet teostab Tellija poolne esindaja. Kõrvalekalded projektist kooskõlastatakse tellijaga ja projekteerijaga ning fikseeritakse kirjalikult. Tööde teostamise kohta koostatakse kaetud tööde aktid. Tööde lõpetamisel peab Töövõtja teostama kõik vajalikud kontrollmõõtmised, mis tõestavad tööde kvaliteetset teostust. On kohustuslik, et kontrollmõõtmised teeb mitte Töövõtja vaid teine vastavaid lube ja registreeringuid omav ettevõtja. Elektritöid ei loeta valmisolevaks enne, kui kõik teimid ja testid on tehtud ning nende tulemused vastavad nõuetele.
Töövõtjal peab enne ehituse alustamist olema ehituse tööohutuse plaan, mis peab sisaldama:
- abinõusid, mida sellel ehitusplatsil rakendatakse ohutute töötingimuste loomiseks, võttes arvesse ka platsil või selle läheduses toimuvat tegevust, liiklust jm.
- liikluskorraldust.
Ehitusplatsil paiknevad väiksemate ehituste alad ja kommunikatsioonide kaevikud piirata tähiste ja hoiatusmärkidega. Töövõtja peab oma igasuguse tegevuse ehitusplatsil kooskõlastama Tellija esindajaga; kooskõlastama kohaliku omavalitsusega, st taotlema kaeveloa ja ehituse alustamise loa.
2.6. Tööde kvaliteedinõuded
Ehitustööde kvaliteedinõuete puhul juhinduda Elektrilevi OÜ poolt välja töötatud eeskirjadest ja normidest ning MaaRYL 2010 nõuetest.
Töönimi: Kohila-Adila 10 kV fiidri rekonstrueerimine Töö nr: 23_3619
Kuupäev: 04.01.2024 Projekti kood: IP6010
E-Service AS
Reg.nr: 10360030 14/16
3. DEMONTAAŽ
Utiliseerimine korraldada läbi utiliseerimist teostavate ettevõtete vastavalt juhendile „Mittevajaliku vara ja tagastuvate elektriseadmete käsitlemise protseduur“ ning utiliseeritav ja tagastuv materjal dokumenteerida vastavalt Elektrilevi OÜ poolt kehtestatud korrale.
Demontaaži mahud on toodud alljärgnevas tabelis:
Nimetus Tüüp Kogus Mü MÄRKUSED
Alajaam AJ Pihali KTP 1 kmpl
Demonteerida AJ ja seadmed (10- ja 0,4 kV JS-d, trafo, juhtmestikud jms)
Kuni 1,0 m sügavuseni demonteeritava AJ alt materjalid/seadmed eemaldada.
Kaoarvesti ja kontsentraator tõsta ümber uude projekteeritavasse alajaama AJ14234.
Trafo 100kVA 1 Tk Demonteerida ja tagastada ELV-le
Alajaam AJ Hageri Hooldekodu
1 kmpl
Demonteerida AJ ja seadmed (10- ja 0,4 kV JS-d, trafo, juhtmestikud jms)
Kuni 1,0 m sügavuseni demonteeritava AJ alt materjalid/seadmed eemaldada.
Kontsentraator ja kaoarvesti tõsta ümber uude projekteeritavasse alajaama AJ14233.
Trafo 400kVA 1 Tk Demonteerida ja tagastada ELV-le
Alajaam AJ Tiiu MAJ 1 kmpl
Demonteerida AJ ja seadmed (10- ja 0,4 kV JS-d, trafo, juhtmestikud jms)
Kuni 1,0 m sügavuseni demonteeritava AJ alt materjalid/seadmed eemaldada.
Demonteerida kontsentraator ja kaoarvesti.
Trafo 63kVA 1 Tk Demonteerida ja tagastada ELV-le
Raudbetoonmast ja tugi 58 tk Demonteerida.
Puitmast ja masti tugi 136 tk Demonteerida.
Tõmmits 4 kmpl Demonteerida.
10 kV õhuliin AS-50 1011
(trass) m Demonteerida.
10 kV õhuliin AS-35 8620
(trass) m Demonteerida.
10 kV õhuliin AS-25 7958
(trass) m Demonteerida.
10 kV õhuliin 3 CCCST ASCR 99
613 (trass)
m Demonteerida.
Töönimi: Kohila-Adila 10 kV fiidri rekonstrueerimine Töö nr: 23_3619
Kuupäev: 04.01.2024 Projekti kood: IP6010
E-Service AS
Reg.nr: 10360030 15/16
Nimetus Tüüp Kogus Mü MÄRKUSED
Lahkoormuslüliti 2 kmpl Demonteerida.
Koostas: Helina Turja
Kuupäev: 04.01.2024
Töönimi: Kohila-Adila 10 kV fiidri rekonstrueerimine Töö nr: 23_3619
Kuupäev: 04.01.2024 Projekti kood: IP6010
E-Service AS
Reg.nr: 10360030 16/16
TABELID
3.1. Tabel 1 – Materjalide spetsifikatsioon
Koostas: Helina Turja
Kuupäev: 04.01.2024
3.2. Tabel 2 – Mastitabel
Koostas: Helina Turja
Kuupäev: 04.01.2024
3.3. Tabel 3 – Töödemahud
Koostas: Helina Turja
Kuupäev: 04.01.2024
Töönimi: Kohila-Adila 10 kV fiidri rekonstrueerimine Töö nr: 23_3619
Kuupäev: 04.01.2024 Projekti kood: IP6010
E-Service AS
Reg.nr: 10360030
JOONISED
Joonis EL-00 – Üldplaan
Joonis EL-01 – Asendiplaan (16 lehte)
Joonis EL-02– Katete taastamise asendiplaan (5 lehte)
Joonis EL-03 – Elektriskeem (2 lehte)
Joonis EL-04– Skeemiparandus
Joonis EL-05 – Masti joonis (4 lehte)
Töönimi: Kohila-Adila 10 kV fiidri rekonstrueerimine Töö nr: 23_3619
Kuupäev: 04.01.2024 Projekti kood: IP6010
E-Service AS
Reg.nr: 10360030
LISAD
Lisa 1 – Elektrilevi OÜ projektülesanne
Lisa 2 – Kooskõlastuste koondtabel
Lisa 3 – Kooskõlastuste ärakirjad
31701:005:0650 Kohila tee 9
31701:005:0005 Kohila tee 8
31701:005:0820 11220 Kernu-Kohila tee
31701:005:0023 Kohila tee 10
31701:005:0120 Kohila tee 11
1W 1
1W 1
1W 1
1W 1
1W 1
1W 1
1W 1
1W 1
1 2
1 2
1 2
1 2
1 2
1W 2
1W 2
1W 2
M 1:500
Koostas: Helina Turja E-Service AS projekteerija Töö nr: 23_3619 Projekti nr: IP6010
TINGMÄRGID
ISIKLIKU KASUTUSÕIGUSEGA KOORMATAVA ALA PLAAN
Kinnistu piir Isikliku kasutusõiguse seadmise ala
1W1 1W1 Projekteeritud 0,4 kV maakaabel 1W2 1W2 Projekteeritud 24 kV maakaabel
31701:005:0005 Kohila tee 8
31701:005:0023 Kohila tee 10
31701:005:0012 Ann-M
ai
31701:001:0608 Pargi tänav
31701:005:0301 M
äeküla
31701:005:0410 Kohila tee 6
31701:005:0820 11220 Kernu-Kohila tee
31701:005:0830 20101 Hageri-Kodila-Kuusiku tee
31701:005:0023 Kohila tee 10
1W1 1W1 1W1 1W1
1W1
1W1
1W1
1W1 1W12 2 1W2 1W2 2 2
2
2
2
M 1:250
ISIKLIKU KASUTUSÕIGUSE SEADMISE PLAAN
Koostas: Helina Turja E-Service AS projekteerija Töö nr: 23_3619 Projekti nr: IP6010
TINGMÄRGID
Kinnistu piir Isikliku kasutusõiguse seadmise ala
1W1 1W1 Projekteeritud 0,4 kV maakaabel
Projekteeritud jaotuskilp 1W2 1W2 Projekteeritud 24 kV maakaabel
TAOTLUS
KOOSKÕLASTADA TEHNOVÕRGU JA -RAJATISE PROJEKT
Kellele
TRANSPORDIAMET
Registrikood 70001490
Juriidiline aadress Tallinn 10916, Pärnu mnt 463 a
Kellelt Asutuse nimi E-Service AS
Registri- või isikukood 11445550
Juriidiline aadress
või elukoht Salve tn 2a, Tallinn 11612
Kontaktaadress Salve tn 2a, Tallinn 11612
Telefon 53512312
E-post [email protected]
1. Esitatavad materjalid:
Dokumendi liik (ehitusprojekt, tehniliste
tingimuste või nõuete taotlus)
Dokumenti nimetus (esitatava dokumendi täpne nimetus)
Dokumendi
nr.
Ehitusprojekt 23_3619_TP_EL-01_ASEND_240104_HT.dwg IP6010
Ehitusprojekt 23_3619_TP_EL-01-01_ASEND_240104_HT.pdf IP6010
Ehitusprojekt 23_3619_TP_EL-01-02_ASEND_240104_HT.pdf IP6010
Ehitusprojekt 23_3619_TP_EL-01-03_ASEND_240104_HT.pdf IP6010
Ehitusprojekt 23_3619_TP_EL-01-04_ASEND_240104_HT.pdf IP6010
Ehitusprojekt 23_3619_TP_EL-01-05_ASEND_240104_HT.pdf IP6010
Ehitusprojekt 23_3619_TP_EL-01-06_ASEND_240104_HT.pdf IP6010
Ehitusprojekt 23_3619_TP_EL-01-07_ASEND_240104_HT.pdf IP6010
Ehitusprojekt 23_3619_TP_EL-01-08_ASEND_240104_HT.pdf IP6010
Ehitusprojekt 23_3619_TP_EL-01-09_ASEND_240104_HT.pdf IP6010
Ehitusprojekt 23_3619_TP_EL-01-10_ASEND_240104_HT.pdf IP6010
Ehitusprojekt 23_3619_TP_EL-01-11_ASEND_240104_HT.pdf IP6010
Ehitusprojekt 23_3619_TP_EL-01-12_ASEND_240104_HT.pdf IP6010
Ehitusprojekt 23_3619_TP_EL-01-13_ASEND_240104_HT.pdf IP6010
Ehitusprojekt 23_3619_TP_EL-01-14_ASEND_240104_HT.pdf IP6010
Ehitusprojekt 23_3619_TP_EL-01-15_ASEND_240104_HT.pdf IP6010
Ehitusprojekt 23_3619_TP_EL-02-1_KATTED_240104_HT.pdf IP6010
Ehitusprojekt 23_3619_TP_EL-02-2_KATTED_240104_HT.pdf IP6010
Ehitusprojekt 23_3619_TP_EL-02-3_KATTED_240104_HT.pdf IP6010
Ehitusprojekt 23_3619_TP_EL-02-4_KATTED_240104_HT.pdf IP6010
Ehitusprojekt 23_3619_TP_EL-02-5_KATTED_240104_HT.pdf IP6010
Ehitusprojekt 23_3619_TP_SELETUSKIRI_240104_HT.pdf IP6010
Ehitusprojekt 31701.005.0820.pdf IP6010
Ehitusprojekt 31701.005.0830.pdf IP6010
2. Objekti asukoht (maakond, vald, küla, tee nr, nimetus, asukoht teel (km -vähemalt 10 m täpsusega ja/või vajadusel
koordinaadid)
Rapla maakond, Kohila vald, Pihali küla, 11220 Kernu-Kohila tee, 9.702-9.715, 8.038
Rapla maakond, Kohila vald, Vana-Aespa küla, 11240 Tõdva-Hageri tee, 13.687, 14.445-
14.7
Rapla maakond, Kohila vald, Põikma küla, 20101 Hageri-Kodila-Kuusiku tee, 0-0.085, 0.2-
0.477, 6.83
Rapla maakond, Kohila vald, Adila küla, 20103 Pihali-Adila-Rabivere tee, 2.293, 4.563
4. Põhjendus vajaduse kohta projekteerida tehnovõrk ja –rajatis riigitee maale
(Asjaõigusseadus § 158 lõige 1 ja § 1581 lõige 1)
5. Eelnevad kooskõlastused teistelt Maanteeameti osakondadelt
-
Taotleja Ees- ja
perekonnanimi
Helina Turja (juriidilisest isikust taotleja puhul juriidilise
isiku esindaja) Allkiri //Allkirjastatud digitaalselt//
Taotluse esitamise kuupäev 02.02.2024
Tabel 1. 20101 Hageri-Kodila-Kuusiku tee
Rajatis
Rajatis
riigiteealusel
maal (km)
Rajatis tee
kaitsevööndis (km)
Rajatise ristumine
(km)
Elektri õhuliini
rekonstrueerimine 6.83 6.83
Elektri maakaabelliin 0-0.0.085 0.085-0.477 Jaotuskilp 0.069
Tabel 2. 11220 Kernu-Kohila tee
Rajatis Rajatis
riigiteealusel
maal (km)
Rajatis tee
kaitsevööndis (km)
Rajatise ristumine
(km)
Elektri maakaabelliin 9.702-9.715 9.702-9.715 Elektri õhuliini
rekonstrueerimine 8.038
Tabel 3. 11240 Tõdva-Hageri tee
Rajatis Rajatis
riigiteealusel
maal (km)
Rajatis tee
kaitsevööndis (km)
Rajatise ristumine
(km)
Elektri maakaabelliin 14.427-14.69
13.687
Tabel 4. 20103 Pihali-Adila-Rabivere tee
Rajatis Rajatis
riigiteealusel
maal (km)
Rajatis tee
kaitsevööndis (km)
Rajatise ristumine
(km)
Elektri õhuliini
rekonstrueerimine 2.293
4.563
EL-01-16
100
66903:001:0159 Kivikoigi
66901:001:0567 6690176 Koigi tee L1
66903:001:0160 Kivikünka
66801:001:1877 Uuetoa
66903:001:0055 Kaasiku-Ülepere
66901:001:0677
6690176 Koigi te e L2
66903:001:0189 Metsaveere
66903:001:0188 Põlluaasa
66801:001:1431 Kasesalu
66903:001:0166 Kaasikupõllu
66903:001:0183 Kaasiku-Altpere
66903:001:0184 Männisalu
66903:001:0640 Lepaluku
66903:001:0520 Männiku
66903:001:0030 Nahkjala-Ülepere
66903:001:0154 Kangruotsa
66903:001:0562 Välja
66901:001:0669 6690173 Nurme külatee L4
66903:001:0561 Välja
66903:001:0153 Tänavaotsa
31701:006:1127 Tõnuma-Aadu
31701:006:0147 Uue-Matso
31701:006:0148 Vana-Matso
31701:006:0146 Põllu-Matso
31701:001:1806 Pealtmetsa
31701:001:1412
31701:001:1413
Päiksemäe
Ojapõllu
31701:006:0134 Kungla
31701:006:1254 Kaalu
31701:006:1169 Nurmevälja
31701:001:0699
Krim mikü
la te e L4
31701:001:1795 Nurmeotsa
31701:001:1794 Käänuääre
31701:006:1021 Sepa
31701:001:0869
Suurküla tee L2
31701:006:1022 Sepa
31701:006:0019 Uuetoa
31701:006:0215 Vahtraoru
31701:006:0993 Kassi
31701:006:0209 Iti
31701:001:0868
31701:001:1107 Pipi
Suurküla tee L1
31701:006:1220 Aasa
31701:001:1085 Kurrunurru
31701:006:0051 Kaheküla
31701:006:0991 Kassi
31701:006:0192 Mardi
31701:006:1251 Annuse
31701:001:0581 Tõnuma-Aadu tee L1
31701:006:1080 20101 Hageri-Kodila-Kuusiku tee
31701:006:1154 Tammeotsa
31701:006:1172 Araka
31701:006:0200 Konnakotka
31701:006:0580 Lillemetsa
31701:006:0191 Reinumäe
31701:006:1160 Laanesaare
31701:006:1060 Maasika
31701:006:0680 Möldri
31701:006:1183 Allikaoru
31701:006:1182 Allika
31701:006:1216 Oliveri
31701:006:1090
20103 Pihali-Adila-Rabivere tee
31701:006:1155 Pihali alajaam
31701:006:0700 Indreku
31701:006:1031 Metsatuka
31701:006:0520 Markuse
31701:006:1156 Laane
31701:006:0208 Orase
31701:001:1034 Mesiohaka
31701:001:1136 Vahastu metskond 295
31701:001:1084 Noorteküla
31701:001:1131 Kullamaa
31701:006:0003 Tiigi
66903:001:0184 Männisalu
31701:001:0163
31701:001:0239 Mesila
Jüri
31701:001:0205 Metsavahe
31701:001:1712 Ulja
31701:001:2650 Väljaotsa
31701:001:0157 Nõmmemetsa
31701:001:1895 Harutee
31701:005:0200 Reinholdi
31701:005:0074 Laimikusauna
31701:005:0330 Saariku
31701:005:0028 Pirni 31701:005:0025
Ollamaa
31701:005:0210 Kopli
31701:005:0049 Vainu
31701:005:0571 Hansu
31701:005:0581 Ülevainu
31701:005:0491 Pärdimatsu
31701:005:0700 Uue-Pihla
31701:005:0029 Kirstisoo
31701:005:0262 Sooaluse
31701:005:0078 Kelluka
31701:006:0850 Rabivere turbatootmisala
31701:006:1090 20103 Pihali-Adila-Rabivere tee
31701:006:0208 Orase
31701:006:1183 Allikaoru
31701:006:1022 Sepa
M19H1
M19
74,1
77
74,7
74,2
75,6
73,3
75,9
76,4
75,1
77,4
70,9
75,2
71,6
75
76,1
73,5
77,1
76
72,2
75,9
81,5
M19H2
M19H3
M19H4
M19H5
M19H6
M19H7
M19H8
M19H9
M19H10
M19H11
M19H12
M19H13
M19H14
M19H15
M19H16
M19H17
M19H18
M19H19
M19H20
M19H21
M19H22
23 °
EL-01-1
EL -0
1- 2
69 ,6
75 ,5
80 ,8
67 ,8
65 ,2
62 ,7
62 ,6
70 ,4
M 13
M 13
H1
M 13
H2
M 13
H3
M 13
H4
M 13
H5
M 13
H6
M 13
H7
M 13
H8
10,1
EL -0
1- 3
11 ,6
67 ,5
70 ,4
95 ,7
76 ,7
82 ,9
76 ,3
87 ,7
75 ,9
70 ,7
74 ,3
79 ,1
76 70
,9 72
,6 82
,9 76
,3 80
,6 66
,9 89
73 ,6
M 53
M 53
H 1
M 53
H 2
M 53
H 3
M 53
H 4
M 53
H 5
M 53
H 6
M 53
H 7
M 53
H 8
M 53
H 9
M 53
H 10
M 53
H 11
M 53
H 12
M 53
H 13
M 53
H 14
M 53
H 15
M 53
H 16
M 53
H 17
M 53
H 18
M 53
H 19
M 53
H 20
M 53
H 21
29°
EL-01-4
EL-01-6
EL-01-5
EL-01-7
EL-01-8
EL-01-9
EL-01-10
19,6
110,7
125,5
3,4
70,4
66,7
62,9
74,1
70,2
66,4
72,6
74,5
74,9
72,6
72,7
68,3
68,9
67,2
76,6
65,3
71,2
73,5
70,8
72,9
66
75
73,8
74,9
73,8
69,5
73,2
69,5
107,1
108,9
M 129H5
M 129H3
M 129H2
M 129H4
M 129
88,6
99,3
105,6
118,3
134,8
145,3
143,7
123,7
117,8
137,8
115,7
129
128,3
105,8
102,4
133,4
120
127,7
127,7
109,6
57,2
126,1
85,8
97,8
98,7
101,6
9,9
127,2
120,6
114,4
120,1
89,9
93,2
82,4
66,8 7,5
7,7
M 130
M 131
M 132
M 133
M 134
M 135
M 136
M 137
M 138
M 139
M 140
M 141
M 142
M 143
M 144
M 145
M 146
M 147
M 148
M 149
M 150
M 151
M 152
M 153
M 154
M 155
M 156
M 157
M 158
M 159
M110
M109
M108
M107
M106 M105
M104
M103 M102
M101
M100
M99
M98
M97
M96
M95
M94
M93
M92
M91
M90
M89
M88
M87
M86
M85
M84
M83
M82 M81
M80
M79
M78
M77
M76
M75
M74
M73A
M73 M72
71
Dem onteerida AJ Pihali:(Kohila)
- Dem onteerida trafo 100KVA
- Dem onteerida alajaam
a seadm ed ja juhtm
estik
(kuni 1m sügavuselt dem
onteeritava alajaam a
alt m aterjalid/seadm
ed eem aldada)
- Arvesti ja kontsentraator tõsta üm ber projekteeritavasse alajaam
a AJ14234
20°
27°
57
58
Ristumine teega
59
60
61
62
63
64
74.1
65
M133M132
11
66
67
68
69
11
56
7,2 8
70
57
58
Ristumine teega
59
60
61
62
63
64
73.5
65
M147
M146
11
66
67
68
69
11
56
7,3 5
70
57
58
Ristumine madalpinge õhuliiniga
59
60
61
62
63
64
66
65
M150M149
11
66
67
68
69
11
2,6 5
70
Olemasolev 0,4kV õhuliin
57
58
Ristumine teega
59
60
61
62
63
64
108.9
65
M159
M158
11
66
67
68
69
11
6,8 5
70
31701:001:1131 Kullamaa
31701:006:1216 Oliveri
0°
31701:006:0019 Uuetoa
57
58
Ristumine teega
59
60
61
62
63
64
118.3
65
M106
M107
12
66
67
68
69
12
6,7 7
70
56
55
31701:006:1183Allikaoru 31701:006:1182Allika
57
58
59
60
61
62
63
64
117.8
65
M101
M102
11
66
67
68
69
11
6,9 2
70
71
72
7,4 1
31701:006:1060 Maasika 31701:006:1160Laanesaare
58
Ristumine Kasari jõega
59
60
61
62
63
64
133.4
65
M93
M94
11
66
67
68
69
11 4,6 8
70
31701:006:0580 Lillemetsa 31701:006:1172Araka 31701:006:0200Konnakotka
59
60
61
62
63
64
65
M86M87
12
66
67
68
69
12
6,0 4
70
71
71
72
59
60
61
62
63
64
65
66
67
68
69
70
71
72 M85
12
8,2 9
59
60
61
62
63
64
65
66
67
68
69
70
71
72
M84
127,2 1
73 73 73
59
60
61
62
63
64
65
66
67
68
69
70
71
72
73 M83
11
1,2 6
Olemasolev 0,4kV õhuliin
126,1 85,8 97,8 98,7
31701:001:058131701:006:0195 Mardi Tõnuma-Aadu tee L131701:006:108020101 Hageri-Kodila-Kuusiku tee31701:006:1154Tammeotsa 31701:006:0192Mardi
63
64
65
M76M77
11
66
67
68
69 11 7,2 170
71
72
7
M73
11
73
74
75
63
64
65
66
67
68
69
70
71
72
73
74
75
M75
11
63
64
65
66
67
68
69
70
71
72
73
74
75
M74
11
63
64
65
66
67
68
69
70
71
72
73
74
75
7,6
31701:006:0051 Kaheküla
89,9
31701:006:1021 Sepa
93,24 62 62 62 62
82,4 31701:001:0869 Suurküla tee L2
31701:006:1021 Sepa
31701:006:1022 Sepa
31701:006:1022Sepa 66,8
0°
0°
Asendada lõpumast koos toega. (KRE 11m, 3.kl + tugi 11m, 3.kl).
Paigaldada maanduslülitiga koormuslahklüliti (LP17243).
Demonteerida olemasolev lahklüliti. Ehitada maandus ja pot. ühtlustusring
Rekonstrueerida Lümando10kV haruliin Mastist M19-M19H22isoleeritud õhuliini juhtmega BLL62
L=1589m (trass)
Asendada kandemast(KRE 11m, 3.kl; rõhttraavers)Paigaldada sädevahemikud
Asendada kandemast(KRE 11m, 3.kl; rõhttraavers)
Asendada kandemast(KRE 11m, 3.kl; rõhttraavers)
Asendada kandemast(KRE 11m, 3.kl; rõhttraavers)Paigaldada sädevahemikud Asendada Traavers(rõhttraavers)
Asendada kandemast(KRE 11m, 3.kl; rõhttraavers)
Asendada kandemast(KRE 11m, 3.kl; rõhttraavers)
Asendada kandemast(KRE 11m, 3.kl; rõhttraavers)Paigaldada sädevahemikud
Asendada kandemast(KRE 11m, 3.kl; rõhttraavers)
Asendada kandemast(KRE 11m, 3.kl; rõhttraavers)
Asendada kandemast(KRE 11m, 3.kl; rõhttraavers)Paigaldada sädevahemikud
Asendada kandemast(KRE 11m, 3.kl; rõhttraavers)
Asendada kandemast(KRE 11m, 3.kl; rõhttraavers)
Asendada kandemast(KRE 11m, 3.kl; rõhttraavers)Paigaldada sädevahemikud
Asendada kandemast(KRE 11m, 3.kl; rõhttraavers)
Asendada kandemast(KRE 11m, 3.kl; rõhttraavers)
Asendada nurgamast koos toega(KRE 11m, 3.kl + tugi 11m, 3.kl; nurgatraavers)
Paigaldada sädevahemikud
Asendada kandemast(KRE 11m, 3.kl; rõhttraavers)
Asendada kandemast(KRE 11m, 3.kl; rõhttraavers)
Asendada kandemast(KRE 11m, 3.kl; rõhttraavers)Paigaldada sädevahemikud
Asendada ankrumast koos tõmmitsaga (KRE 11m, 3.kl; Ankrutraavers)
Raie: madal võsa669m2
Re ko
ns tru
ee rid
a L aim
iku 10
kV ha
ru lii
n
M as
tis t M
13 -M
13 H8
iso lee
rit ud
õh uli
ini ju
htm eg
a B LL
62
L= 55
5m (t
ras s)
Ase nd
ad a T
raa ve
rs
Ra ie:
no or
ed m
än nid
22 3m
2
Ase nd
ad a k
an de
mas t
(K RE
1 1m
, 3 .kl
; r õh
ttr aa
ve rs)
Pa iga
lda da
sä de
va he
miku d
Ase nd
ad a k
an de
mas t
(K RE
1 1m
, 3 .kl
; r õh
ttr aa
ve rs)
Ase nd
ad a k
an de
mas t
(T AN 1
1m , 3
.kl ; r
õh ttr
aa ve
rs)
Eh ita
da m
aa nd
us
Ase nd
ad a k
an de
mas t
(T AN 1
1m , 3
.kl ; r
õh ttr
aa ve
rs)
Pa iga
lda da
sä de
va he
miku d
Ase nd
ad a k
an de
mas t
(T AN 1
1m , 3
.kl ; r
õh ttr
aa ve
rs)
Ase nd
ad a k
an de
mas t
(T AN 1
1m , 3
.kl ; r
õh ttr
aa ve
rs)
Ase nd
ad a k
an de
mas t
(T AN 1
1m , 3
.kl ; r
õh ttr
aa ve
rs)
Pa iga
lda da
sä de
va he
miku d
Ase nd
ad a T
raa ve
rs
Paigaldada lõputraavers
A se
nd ad
a lõ
pu m
as t k
oo s t
oe ga
. ( K
RE 1
1m , 3
.k l +
tu gi
1 1m
, 3 .k
l).
Pa ig
al da
da m
aa nd
us lü
lit ig
a ko
or m
us la
hk lü
lit i (
LP 17
24 5)
.
D em
on te
er id
a ol
em as
ol ev
la hk
lü lit
i.
Eh ita
da m
aa nd
us ja
p ot
. ü ht
lu stu
sr in
g
A se
nd ad
a ka
nd em
as t
(K RE
1 1m
, 3 .k
l; rõ
ht tra
av er
s) Pa
ig al
da da
sä de
va he
m ik
ud
A se
nd ad
a ka
nd em
as t
(K RE
1 1m
, 3 .k
l; rõ
ht tra
av er
s)
A se
nd ad
a ka
nd em
as t
(K RE
1 1m
, 3 .k
l; rõ
ht tra
av er
s)
A se
nd ad
a ka
nd em
as t
(K RE
1 1m
, 3 .k
l; rõ
ht tra
av er
s) Pa
ig al
da da
sä de
va he
m ik
ud
A se
nd ad
a ka
nd em
as t
(K RE
1 1m
, 3 .k
l; rõ
ht tra
av er
s)
V ah
et ad
a tra
av er
s ( Rõ
ht tra
av er
s)
V ah
et ad
a tra
av er
s ( Rõ
ht tra
av er
s)
Pa ig
al da
da sä
de va
he m
ik ud
V ah
et ad
a tra
av er
s ( Rõ
ht tra
av er
s)
V ah
et ad
a tra
av er
s ( Rõ
ht tra
av er
s)
A se
nd ad
a N
ur ga
m as
t k oo
s t oe
ga
(K RE
1 1m
, 3 .k
l, tu
gi K
RE 3
kl . 1
1m ; n
ur ga
tra av
er s)
Pa ig
al da
da sä
de va
he m
ik ud
V ah
et ad
a tra
av er
s ( Rõ
ht tra
av er
s)
V ah
et ad
a tra
av er
s ( Rõ
ht tra
av er
s) V
ah et
ad a
tra av
er s (
Rõ ht
tra av
er s)
Pa ig
al da
da sä
de va
he m
ik ud
V ah
et ad
a tra
av er
s ( Rõ
ht tra
av er
s) A
se nd
ad a
ka nd
em as
t (K
RE 1
1m , 3
.k l;
rõ ht
tra av
er s)
A se
nd ad
a ka
nd em
as t
(K RE
1 1m
, 3 .k
l; rõ
ht tra
av er
s)
A se
nd ad
a ka
nd em
as t
(K RE
1 1m
, 3 .k
l; rõ
ht tra
av er
s)
A se
nd ad
a ka
nd em
as t
(K RE
1 1m
, 3 .k
l; rõ
ht tra
av er
s) Pa
ig al
da da
sä de
va he
m ik
ud A
se nd
ad a
ka nd
em as
t (K
RE 1
1m , 3
.k l;
rõ ht
tra av
er s)
Pa ig
al da
da sä
de va
he m
ik ud
A se
nd ad
a lõ
pu tra
av er
s
Re ko
ns tru
ee rid
a H
ag er
i r ab
a 10
kV h
ar ul
iin
M as
tis t M
53 H
1- M
53 H
21 iso
le er
itu d
õh ul
iin i j
uh tm
eg a
BL L6
2
L= 15
47 m
(t ra
ss )
Ra ie
: v õs
a 21
4m 2
Ra ie
: v õs
a 17
4m 2
Rekonstrueerida Pihali 10kV haruliin
M astist M
129-M 129H5
isoleeritud õhuliini juhtmega BLL62
L=331m (trass)
Projekteeritud mastalajaam AJ14234.
Asendada mast koos toega (KRE 11m, 4.kl; tugi KRE11m, 4.kl)
(Paigaldada lõputraavers)
Paigaldada uus trafo 100kVA 21(10,5)/0,41 kV
Paigaldada 0,4 kV JS kilp
Demonteerida tõmmitsad.
Asendada kandemast
(KRE 11m, 3.kl; rõhttraavers)
Asendada kandemast
(KRE 11m, 3.kl; rõhttraavers)
Paigaldada sädevahemikud
Asendada kandemast
(KRE 11m, 3.kl; rõhttraavers)
Asendada kandemast koos toega
(KRE 11m, 3.kl; tugi KRE 11m 3. kl; 3xlõputraavers)
Raie: madal võsa
503m 2
Asendada traavers koos isolaatoritega.
(Rõhttraavers)
Asendada traavers koos isolaatoritega.
(Rõhttraavers)
Asendada kandemast
(KRE 11m, 3.kl; rõhttraavers)
Paigaldada sädevahemikud
Asendada kandemast
(KRE 11m, 3.kl; rõhttraavers)
Asendada kandemast
(KRE 11m, 3.kl; rõhttraavers)
Asendada traavers koos isolaatoritega.
(Rõhttraavers)
Asendada nurgamast koos toega
(KRE 11m, 3. kl; tugi KRE 11m, 3. kl; nurgatraavers)
Paigaldada sädevahemikud
Asendada traavers koos isolaatoritega.
(Rõhttraavers)
Asendada traavers koos isolaatoritega.
(Rõhttraavers)
Asendada traavers koos isolaatoritega.
(Rõhttraavers)
Paigaldada sädevahemikud
Asendada traavers koos isolaatoritega.
(Rõhttraavers)
Asendada traavers koos isolaatoritega.
(Rõhttraavers)
Asendada traavers koos isolaatoritega.
(Rõhttraavers)
Paigaldada sädevahemikud
Asendada traavers koos isolaatoritega.
(Rõhttraavers)
Asendada traavers koos isolaatoritega.
(Rõhttraavers)
Asendada traavers koos isolaatoritega.
(Rõhttraavers)
Paigaldada sädevahemikud
Asendada kandemast
(KRE 11m, 3.kl; rõhttraavers)
Asendada traavers koos isolaatoritega.
(Rõhttraavers)
Asendada traavers koos isolaatoritega.
(Rõhttraavers)
Paigaldada sädevahemikud
Asendada traavers koos isolaatoritega.
(Rõhttraavers)
Paigaldada sädevahemikud
Ehitada maandus R ≤ 15 Ω
Asendada kandemast
(KRE 11m, 3.kl; rõhttraavers)
Paigaldada sädevahemikud
Ehitada maandus R ≤ 15 Ω
Asendada kandemast
(KRE 11m, 3.kl; rõhttraavers)
Asendada traavers koos isolaatoritega.
(Rõhttraavers)
Asendada kandemast
(KRE 11m, 3.kl; rõhttraavers)
Paigaldada sädevahemikud
Asendada kandemast
(KRE 11m, 3.kl; rõhttraavers)
Asendada traavers koos isolaatoritega.
(Rõhttraavers)
Asendada traavers koos isolaatoritega.
(Rõhttraavers)
Paigaldada sädevahemikud
Asendada nurgamast koos toega
(KRE 11m, 3. kl; tugi KRE 11m, 3. kl; nurgatraavers)
Asendada kandemast
(KRE 11m, 3.kl; akrutraavers)
Asendada traavers
(Lõputraavers)
Raie: madal võsa
447m 2
Raie: madal võsa
41m 2
Raie: madal võsa
216m 2
Raie: madal võsa
15m 2
Rekonstrueerida 10kV õhuliin
M astist M
129-M 159
isoleeritud õhuliini juhtmega BLL99
L=2205m (trass)
Rekonstrueerida 10kV õhuliin
M astist M
129-M 159
isoleeritud õhuliini juhtmega BLL99
L=2205m (trass)
Ristum ine M
P õhuliiniga
Gabariit 3m
0,4kV m astidele Ehtada m
aandus R ≤ 30 Ω
2,5m
Asendada kandemast (KRE 11m, 3.kl; Rõhttraavers)
Paigaldada sädevahemikud
Asendada traavers (Lõputraavers)
Rekonstrueerida 10kV õhuliin
Mastist M73-M110 isoleeritud õhuliini juhtmega BLL99
L=3983m (trass)
Asendada kandemast (KRE 11m, 3.kl; Rõhttraavers)
Asendada kandemast (KRE 11m, 3.kl; Rõhttraavers)
Asendada nurgamast koos toega
(KRE 12m, 3. kl; tugi KRE 12m, 3. kl; nurgatraavers)
Paigaldada sädevahemikud
Raie: madal võsa1976m2
Asendada kandemast (KRE 12m, 3.kl; Rõhttraavers)
Asendada kandemast (KRE 11m, 3.kl; Rõhttraavers)
Asendada kandemast (KRE 11m, 3.kl; Rõhttraavers)
Paigaldada sädevahemikud
Asendada kandemast (KRE 11m, 3.kl; Rõhttraavers)
Paigaldada sädevahemikud Asendada kandemast
(KRE 11m, 3.kl; Rõhttraavers)
Asendada kandemast (KRE 11m, 3.kl; Rõhttraavers)
Asendada kandemast (KRE 11m, 3.kl; Rõhttraavers)
Paigaldada sädevahemikud
Asendada kandemast (KRE 11m, 3.kl; Rõhttraavers)
Asendada taarvers ( Rõhttraavers)
Asendada kandemast (KRE 11m, 3.kl; Rõhttraavers)
Paigaldada sädevahemikud
Asendada kandemast (KRE 11m, 3.kl; Rõhttraavers)
Asendada nurgamast koos toega
(KRE 11m, 3.kl, Tugi 11m, 3.kl; Lõputraavers 2x)
Paigaldada riigel
Raie: madal võsa 3350m 2
Asendada kandemast(KRE 11m, 3.kl; Ankrutraavers)Paigaldada sädevahemikud
Raie: madal võsa3033m2
Asendada kandemast(KRE 11m, 3.kl; Rõhttraavers)
Asendada kandemast(KRE 11m, 3.kl; Rõhttraavers)
Asendada kandemast(KRE 11m, 3.kl; Rõhttraavers)Paigaldada sädevahemikud
Asendada kandemast(KRE 11m, 3.kl; Rõhttraavers)
Asendada kandemast (AJ Kaisa)(KRE 11m, 4.kl; Rõhttraavers)Tõsta ümber mastalajaama seadmed uuele mastile!
Asendada kandemast(KRE 12m, 3.kl; Rõhttraavers)Paigaldada sädevahemikud
Asendada kandemast(KRE 12m, 3.kl; Ankrutraavers)
Asendada traavers(Rõhttraavers)Paigaldada sädevahemikudEhitada maandus R ≤ 15 Ω
Asendada traavers(Ankrutraavers)
Asendada traavers(Lõputraavers)Paigaldada tugi (KRE 11m 3. kl)Paigaldada koormuslahklüliti LP17244Ehitada maandus
Rekonstrueerida 10kV õhuliinMastist M73-M110isoleeritud õhuliini juhtmega BLL99L=3983m (trass)
Asendada kandemast(KRE 11m, 3.kl; Rõhttraavers)Paigaldada sädevahemikud
Asendada traavers(Nurgatraavers)
Asendada traavers(Rõhttraavers)
Asendada traavers(Rõhttraavers)Paigaldada sädevahemikud
Asendada traavers(Rõhttraavers)
Asendada traavers(Ankrutraavers)
Asendada traavers(Ankrutraavers)Paigaldada sädevahemikud
Asendada traavers(Ankrutraavers)
Raie: kadakad604m2
Asendada kandemast(KRE 12m, 3.kl; Ankrutraavers)
Asendada kandemast(KRE 12m, 3.kl; Ankrutraavers)Paigaldada sädevahemikudEhitada maandus R ≤ 15 Ω
Asendada traavers(2xLõputraavers)
63,3
72,6
69
69,3
74,4
65,6
71,7
49,5
68,7
73,6
62,9
70,8
67
68,8
69,3
68,5
68,8
66,1
73,3
68,9
69,2
68,3
70,5
65,2
70,6
73,3
53,2
70,9
70,3
70,7
73,4
75,4
53,1
62,7
70,4
68,6
68,4
69,5
69,1
32,5
36
68,1
71
68,6
60,2
67,6
68,9
68,1
71,8
68,3
68,5
69,5
68,9
66,4
70,2
68,2
69,1
67,3
69,6
69,8
68,3
68,3
71,3
67,1
69,6
69,3
75,1
79,9
68,3
66,3
72,4
68,9
69,3
48,9
90,1
47,2
69,1
69,7
68,2
68,3
68,9
72,2
64,3
69,6
M 72H19
M 72H18
M 72H17
M 72H16
M 72H15
M 72H14
M 72H13
M 72H12
M 72H11
M 72H10
M 72H9
M 72H8
M 72H7
M 72H6
M 72H5
M 72H4
M 72H3
M 72H2
M 72H1
M 71
M 70
M 69
M 68
M 67
M 66
M 65
M63
M62
M61
M60
M59
M58
M57
M56
M55
M54
M53
M52
M51
M50
M49
M48
M47
M46
M45
M44
M43
M42
M41
M40
M39
M38
M37
M36
M34
M33
M32
M31
M30
M29
M28
M27
M26
M25
M24
M23
M22
M21
M20
M19
M18
M17
M16
M15
M14
M13
M12
M11
M10
M9
M8
M7
M35
M 64
Asendada mast koos tugedega
(KRE 11m, 3.kl.; 2xtugi KRE 11m, 3.kl.; 3xlõputraavers)
Paigaldada sädevahemikud Asendada traavers
(Rõhttraavers)
Asendada mast
(KRE 11m, 3.kl.; Rõhttraavers)
Asendada mast
(KRE 11m, 3.kl.; Rõhttraavers)
Paigaldada sädevahemikud
Asendada mast
(KRE 11m, 3.kl.; Rõhttraavers)
Asendada mast
(KRE 11m, 3.kl.; Rõhttraavers)
Paigaldada sädevahemikud Asendada mast
(KRE 11m, 3.kl.; Rõhttraavers)
Paigaldada sädevahemikudAsendada traavers
(Rõhttraavers)
Asendada mast
(KRE 11m, 3.kl.; Rõhttraavers)
Asendada mast
(KRE 11m, 3.kl.; Rõhttraavers)
Paigaldada sädevahemikud
Asendada mast
(KRE 11m, 3.kl.; Rõhttraavers)
Asendada mast
(KRE 11m, 3.kl.; Rõhttraavers) Asendada traavers
(Rõhttraavers)
Paigaldada sädevahemikud
Asendada mast
(KRE 11m, 3.kl.; Rõhttraavers)
Asendada mast
(KRE 11m, 3.kl.; Rõhttraavers) Asendada mast
(KRE 11m, 3.kl.; Rõhttraavers)
Paigaldada sädevahemikud
Asendada mast
(KRE 11m, 3.kl.; Rõhttraavers)
Asendada mast
(KRE 11m, 3.kl.; Rõhttraavers)
Asendada mast
(KRE 11m, 3.kl.; Rõhttraavers)
Paigaldada sädevahemikud
Asendada traavers
(Rõhttraavers)
Rekonstrueerida 10kV õhuliin Rabivere LP haruliin
M astist M
72-M 72H19
isoleeritud õhuliini juhtmega BLL99
L=1294m (trass)
M 72H20
Asendada mast
(KRE 11m, 3.kl.; Rõhttraavers)
Asendada traavers
(Rõhttraavers)
Paigaldada sädevahemikud
Asendada mast
(KRE 11m, 3.kl.; Rõhttraavers)
Asendada mast
(KRE 11m, 3.kl.; Rõhttraavers)
Asendada mast
(KRE 11m, 3.kl.; Rõhttraavers)
Paigaldada sädevahemikud
Asendada traavers
(Rõhttraavers)
Asendada mast
(KRE 11m, 3.kl.; Rõhttraavers)
Asendada mast
(KRE 11m, 3.kl.; Rõhttraavers)
Paigaldada sädevahemikud
Rekonstrueerida 10kV õhuliin
M astist M
7-M 72
isoleeritud õhuliini juhtmega BLL99
L=4382m (trass)
60
61
62
63
64
65
M72H14
M72H16
11
66
67
68
69
11
70
71
72
M72H13
11
73
3,5 8
Olemasolev 0,4kV õhuliin
M72H15
11
69,3
31701:001:1085 Kurrunurru
31701:001:1107 Pipi
Raie: madal võsa
1163m 2
Raie: madal võsa
166m 2
Raie: madal võsa
162m 2
74,4
74
75
76
60
61
62
63
64
65
66
67
68
69
70
71
72
73
74
75
76
65,6 60
61
62
63
64
65
66
67
68
69
70
71
72
73
74
75
76
M72H12
11
M72H11
11
49,5
7,8 8
8,4 6
60
61
62
63
64
65
66
67
68
69
70
71
72
73
74
75
76
M72H1
11
73,39
7,1 8
M72
11
M71
11
2,9 1
Olemasolev 0,4kV õhuliin
31701:006:1220 Aasa
31701:006:0209 Iti
63
64
65
66
67
68
69
70
71
72
73
74
75
76
M69
11
M68
11
70,53
8,7 8
31701:006:1169Nurmevälja31701:001:0699 Krimmiküla tee L4
31701:001:1795Nurmeotsa 31701:006:1254 Kaalu 63
64
65
66
67
68
69
70
71
72
73
74
75
76
M66
11
M65
11
73,3
8,7 8
62 31701:006:1254 Kaalu 31701:006:0134
Kungla
Asendada traavers
(Rõhttraavers)
31701:006:0134Kungla
Asendada mast
(KRE 11m, 3.kl.; Rõhttraavers)
Asendada mast
(KRE 11m, 3.kl.; Rõhttraavers)
Paigaldada sädevahemikud
Asendada traavers
(Rõhttraavers)
4°
Asendada nurgamast koos toega
(KRE 11m, 3.kl.;tugi KRE 11m, 3.kl.;
Nurgatraavers)
Asendada mast
(KRE 11m, 3.kl.; Rõhttraavers)
Paigaldada sädevahemikud
Asendada mast
(KRE 11m, 3.kl.; Rõhttraavers)
Raie: madal võsa
738m 2
Asendada traavers
(Rõhttraavers)
Asendada traavers
(Rõhttraavers)
Paigaldada sädevahemikud
Asendada mast
(KRE 11m, 3.kl.; Rõhttraavers)
Asendada mast
(KRE 11m, 3.kl.; Rõhttraavers)
Asendada mast
(KRE 11m, 3.kl.; Rõhttraavers)
Paigaldada sädevahemikud
Asendada traavers
(Rõhttraavers)
Asendada mast
(KRE 11m, 3.kl.; Rõhttraavers) Asendada traavers
(Rõhttraavers)
Paigaldada sädevahemikud
Asendada mast
(KRE 11m, 3.kl.; Rõhttraavers)
Asendada traavers
(Nurgatraavers)
Paigaldada masti tipu kate
Raie: madal võsa
738m 2
Asendada traavers
(Rõhttraavers)
Paigaldada masti tipu kate
Paigaldada sädevahemikud
Asendada traavers
(Rõhttraavers)
Paigaldada masti tipu kate
Asendada mast
(KRE 11m, 3.kl.; Ankrutraavers)
Asendada traavers
(Ankrutraavers)
Paigaldada sädevahemikud
Asendada traavers
(Rõhttraavers)
Asendada traavers
(Rõhttraavers)
Asendada traavers
(Rõhttraavers)
Paigaldada sädevahemikud
Asendada traavers
(Rõhttraavers)
Asendada traavers
(Rõhttraavers)
Asendada traavers
(Rõhttraavers)
Paigaldada sädevahemikud
Asendada traavers
(Rõhttraavers)
Asendada traavers
(Rõhttraavers)
Raie: madal võsa
317m 2
64
65
66
67
68
69
70
71
72
73
74
75
76 M44
11
M68
11
68,05
7,6 7
77
66903:001:0154 Kangruotsa66901:001:0669
6690173 Nurme külatee L4
66903:001:0153 Tänavaotsa
Asendada mast
(KRE 11m, 3.kl.; Rõhttraavers)
Paigaldada sädevahemikud
Asendada traavers
(Rõhttraavers)
Asendada traavers
(Rõhttraavers)
Asendada mast
(KRE 11m, 3.kl.; Rõhttraavers)
Paigaldada sädevahemikud
66903:001:0520Männiku
Raie: madal võsa
261m 2
Asendada mast
(KRE 11m, 3.kl.; Rõhttraavers)
Asendada traavers
(Rõhttraavers)
Asendada traavers
(Rõhttraavers)
Paigaldada sädevahemikud
Asendada traavers
(Rõhttraavers)
Asendada traavers
(Rõhttraavers)
Asendada traavers
(Nurgatraavers)
Paigaldada sädevahemikud
Asendada mast
(KRE 11m, 3.kl.; Rõhttraavers)
Asendada traavers
(Rõhttraavers)
Asendada mast
(KRE 11m, 3.kl.; Rõhttraavers)
Paigaldada sädevahemikud Asendada mast
(KRE 11m, 3.kl.; Rõhttraavers) Asendada mast
(KRE 11m, 3.kl.; Rõhttraavers) Asendada mast
(KRE 11m, 3.kl.; Rõhttraavers)
Paigaldada sädevahemikud Asendada mast
(KRE 11m, 3.kl.; Rõhttraavers)
Asendada mast
(KRE 11m, 3.kl.; Rõhttraavers)
Raie: madal võsa
261m 2
Raie: noored kuused/männid
798m 2
Asendada traavers
(Ankrutraavers)
Asendada mast
(KRE 11m, 3.kl.; Ankrutraavers)
Paigaldada sädevahemikud Asendada mast
(KRE 11m, 3.kl.; Rõhttraavers)
Asendada mast
(KRE 11m, 3.kl.; Rõhttraavers)
Asendada traavers
(Rõhttraavers)
Paigaldada sädevahemikud
Asendada traavers
(Rõhttraavers)
Asendada mast
(KRE 11m, 3.kl.; Rõhttraavers)
Asendada traavers
(Ankrutraavers)
Asendada traavers
(Ankrutraavers)
Asendada traavers
(Lõputraavers)
64
65
66
67
68
69
70
71
72
73
74
75
76 M29
11
M28
11
71,34
7,2 2
77
66903:001:0184 Männisalu
66903:001:0640 Lepaluku
67
68
69
70
71
72
73
74
75
76
77
78
79
80
81
82
83
M16
11
M15
11
47,18
8,4 1
M9
11
64,34
8,6 4
M8
11
M7
11
66903:001:0055Kaasiku-Ülepere66901:001:06776690176 Koigi tee L2
66903:001:0188Põlluaasa 67
68
69
70
71
72
73
74
75
76
77
78
79
80
81
82
67
68
69
70
71
72
73
74
75
76
77
78
79
80
81
82
69,57
7,7 9
66903:001:0159Kivikoigi66901:001:05676690176 Koigi tee L166903:001:0160Kivikünka
Ristumine teega
Gabariit 7,7m
Ristumine teega
Gabariit 8,6m
Ristumine teega
Gabariit 8,4m
Ristumine teega
Gabariit 7,2m
Ristumine teega
Gabariit 7,6m
Ristumine teega
Gabariit 8,7m
Ristumine teega
Gabariit 8,7m
Ristumine
Gabariit 3,5m
Ristumine teega
Gabariit 7,8m Ristumine teega
Gabariit 8,4m
Ristumine teega
Gabariit 7,1m
Ristumine M P õhuliiniga
Gabariit 2,9m
Ristumine teegaGabariit 7,6m
Ristumine teegaGabariit 7m
Ristumine teegaGabariit 7,2m
Ristumine teegaGabariit 8,2m
Ristumine teegaGabariit 7,2m
Ristumine teegaGabariit 6m
Ristumine teegaGabariit 6,7m
Ristumine Kasari jõega Gabariit 4,6m
Ristumine M P õhuliiniga
Gabariit 2,6 m
Ristumine teega
Gabariit 7,3m
Ristumine teega
Gabariit 6,8m
Ristumine teega
Gabariit 7,2m
Ri stu
mine te
eg a
Gab ari
it 7,5
m
Ristumine teegaGabariit 8,2m
Asendada kandemast koos toega
(KRE 11m, 3.kl; tugi KRE 11m 3. kl; Ankrutraavers)
Paigaldada sädevahemikud
M 129H1
57
58
59
60
61
62
63
64
65
66
67
68
69
70
56
55
M105
12
134,67
6,1 3
31701:006:1183 Allikaoru
31701:006:1183Allikaoru
Ristumine teegaGabariit 6,1m
5°
10°
48°
31701:005:0760 Meierei tee 1
31701:005:0058 Sutlema tee 8
31701:005:0350 Meierei tee 2 // Sutlema tee 10
31701:005:0066 Tuuleveski tee 2
31 70
1: 00
5: 00
67
Al le
e
31701:005:0068 Tuuleveski tee 3
31701:005:0937 Meierei alajaam
31701:005:0057 Sutlema tee 6
31701:001:0613 Kuriste tee
31701:005:0451 Sutlema tee 4
Kohila tee 3
31 70
1: 00
5: 04
40
Ko hi
la te
e 1
// S
ut le
m a
te e
2
31701:005:0500 Kuriste tee 6
31701:005:0959 Kohila tee 5
31701:005:0660 Kuriste tee 12
31701:005:0120 Kohila tee 11
31701:005:0270 Kuriste tee 14
31701:005:0650 Kohila tee 9
31701:005:0005 Kohila tee 8
31701:005:0023 Kohila tee 10
31701:005:0021 Oru
31701:001:0611 Kiriku tee L2
31701:005:0430 Vaino
31701:005:0050 Ernitsa
31701:005:0581 Ülevainu
31701:005:0302 Mäeküla
31701:005:0012 Ann-Mai
31701:001:0608 Pargi tänav
31701:005:0301 Mäeküla
31701:005:0410 Kohila tee 6
31701:005:0985 Kohila tee 4
31701:005:0033 Kiriku tee 1
31701:001:1496 Kohila tee 4a
31 70
1: 00
1: 11
44
Su tle
m a
ke rg
te e
L1
31 70
1: 00
5: 00
59
Su tle
m a
ja lg
te e
31701:001:1036 Kuriste tee 1
31701:005:0750 Kabelikopli tee 2
31701:005:0790 Sutlema tee 9
31701:001:0612 Kabelikopli tee
31701:001:0288 Mesitaru
31701:005:0221 Võsalepa
31701:001:1870 Allika
31701:001:2691 Mäeotsa
31701:001:0263 Koka
31701:001:2471 Vardi metskond 77
31701:005:0170 Tuuleveski tee 6
31 70
1: 00
1: 05
49 Su
tle m
a ke
rg te
e
31701:001:0549 Sutlema kergtee
31701:001:2190 11240 Tõdva-Hageri tee
31 70
1: 00
1: 21
90
11 24
0 Tõ
dv a-
Ha ge
ri te
e
31 70
1: 00
5: 01
41
Su tle
m a
te e
11
Su tle
m a
ke rg
te e
L1 31
70 1:
00 1:
11 44
11 24
0 Tõ
dv a-
Ha ge
ri te
e 31
70 1:
00 1:
21 90
31701:005:0480
31701:005:0820 11220 Kernu-Kohila tee
31701:005:0985 Kohila tee 4
31701:005:0985 Kohila tee 4
31 70
1: 00
5: 08
30
20 10
1 Ha
ge ri-
Ko di
la -K
uu sik
u te
e
X X
X X
X X
X X
X X
X X
X X
X X
X X
X X
X
X
X X
X X X X X X 31701:001:1482 Kohila tee 19a
31701:001:0187
31701:001:0188 Laudataguse
31701:005:0340 Kohila tee 21
31701:005:0250 Tuuleveski tee 7
31701:005:0920 Kohila tee 13
31701:001:1141 Pärdipõllu
31701:001:1142 Varsakopli
31701:005:0470 Kohila tee 19
31701:005:0223 Kohila tee 15
31701:001:0439 Vanakooli
31701:005:0510 Kohila tee 17
31701:005:0222 Nurmekõivu
Lauda
Lauda
31701:001:2180 11220 Kernu-Kohila tee
EL -0
1- 11
EL -0
1- 12
EL-01-13
EL-01-14
EL-00
M 60
M 1
M 2
M 3
M 4
M 5
M 6
M 7
M 8
M 9
De m
on te
er id
a KP
õ hu
lii ni
k aa
be l k
oo s m
as tid
eg a
- A S-
35 L=
40 5m
(T RA
SS )
- R au
db et
oo n
m as
t 3 tk
- R au
db et
oo n
m as
ti tu
gi 3
tk - P
ui tm
as t 6
tk - P
ui tm
as ti
tu gi
1 tk
+TR +KP +MPS +MP -T12N2UV2W 1W1V1U-MEB KPS
+.K03 +.K01
+.K05
Pr oj
ek te
er itu
d 24
kV m
aa ka
ab el
- Nr
: K PL
22 05
73 (A
J1 42
33 <
--> M
60 )
- AH
XA M
K- W
3 x2
40 +3
5, L KA
AB EL
=4 90
m , L
TR AS
S= 4
53 m
- Sa
m as
se tr
as si
pa ig
al da
da re
se rv
to ru
D 16
0
-2 x(
AJ 14
23 3<
--> A
D1 60
4 50
N, L
TO RU
=1 77
m , L
TR AS
S= 1
72 m
)
- 2x
(A <-
-> B
D1 60
7 50
N, L T
O RU
=2 41
m , L
TR AS
S= 2
33 m
)
- 2x
(B <-
-> C
D1 60
1 25
0N , L
TO RU
=1 2m
, L TR
AS S=
1 0m
)
- 2x
(C <-
-> M
60 D
16 0
75 0N
, L TO
RU =4
0m , L
TR AS
S= 3
8m )
- Sü
ga vu
s: m
in 1
m
A
De m
on te
er id
a AJ
H ag
er i h
oo ld
ek od
u: (K
oh ila
)
- D em
on te
er id
a tr
af o
40 0k
VA - D
em on
te er
id a
al aj
aa m
a se
ad m
ed ja
ju ht
m es
tik
(k un
i 1 m
sü ga
vu se
lt de
m on
te er
ita va
a la
ja am
a
al t m
at er
ja lid
/s ea
dm ed
e em
al da
da )
- K on
se nt
ra at
or ja
a rv
es ti
tõ st
a üm
be r p
ro je
kt ee
rit av
as se
al aj
aa m
a AJ
14 23
3 - O
le m
as ol
ev ad
0 ,4
kV ü
he nd
us ed
ta as
ta da
v as
ta va
lt
el ek
tr isk
ee m
ile (J
oo ni
s E L-
03 )
Pr oj
ek te
er itu
d ko
m pl
ek ta
la ja
am "
AJ 14
23 3"
1 VM
63 0k
VA (V
t. jo
on is
EL -0
3, E
L- 05
)
- M aa
nd us
ta ki
st us
ta ga
da R ≦4
,0 o
om i;
- O le
m as
ol ev
a m
aa pi
nn a
kõ rg
us : +
65 .6
1 (li
gi ka
ud ne
)
- A la
ja am
a 0-
pu nk
ti kõ
rg us
: + 61
.9 1
- A la
ja am
a pa
ig al
du sp
iir ko
nn a
kõ rg
en di
ku d
ta sa
nd ad
a.
- T aa
st ad
a al
aj aa
m a
üm be
r l ip
pa ed
!
- A la
ja am
a se
nd ad
a ol
em as
ol ev
a al
aj aa
m a
ko ha
le . E
hi tu
se ks
k as
ut ad
a ge
ne ra
at or
it!
B
C
M 17
Pr oj
ek te
er itu
d 0,
4k V
m aa
ka ab
el
- Nr
: M PL
40 47
26 (A
J1 42
33 <-
-> M
17 )
- AX
PK 4G
24 0,
L KA AB
EL =3
91 m
, L TR
AS S=
3 62
m
- AJ
14 23
3< -->
A D1
10 4
50 N,
L T O
RU =1
80 m
, L TR
AS S=
1 74
m
- A<
--> M
17 D
11 0
75 0N
, L TO
RU =1
94 m
, L TR
AS S=
1 88
m
- Sü
ga vu
s: m
in 1
m
Pr oj
ek te
er itu
d 24
kV m
aa ka
ab el
- Nr
: K PL
22 05
74 (A
J1 42
33 <
--> AJ
78 03
)
- AH
XA M
K- W
3 x1
20 +3
5, L KA
AB EL
=1 10
8m , L
TR AS
S= 1
04 6m
- AJ
14 23
3< -->
A D1
60 4
50 N,
L TO RU
=1 77
m , L
TR AS
S= 1
71 m
- A<
--> B
D1 60
7 50
N, L T
OR U
=1 90
m , L
TR AS
S= 1
83 m
- B<
--> C
D1 60
1 25
0N , L
TO RU
=3 7m
, L TR
AS S=
3 2m
- C<
--> D
D1 60
4 50
N, L T
OR U
=7 5m
, L TR
AS S=
7 1m
- D <-
-> E
D1 60
1 25
0N , L
TO RU
=1 0m
, L TR
AS S=
9 m
- E<
--> F
D1 60
4 50
N, L T
O RU
=6 8m
, L TR
AS S=
6 4m
- F<
--> G
D1 60
1 25
0N , L
TO RU
=9 m
, L TR
AS S
= 8m
- G <-
-> H
D1 60
7 50
N, L T
OR U
=3 02
m , L
TR AS
S =
29 3m
- H <-
-> I D
16 0
12 50
N, L T
OR U
=1 3m
, L TR
AS S=
1 2m
- I<
--> J D
16 0
75 0N
, L TO
RU =4
1m , L
TR AS
S =
40 m
- J<
--> K
D1 60
1 25
0N , L
TO RU
=3 7m
, L TR
AS S=
3 5m
- K <-
-> L D
16 0
75 0N
, L TO
RU =1
6m , L
TR AS
S= 1
5m
- L<
--> M
D 16
0 12
50 N,
L T OR
U =9
0m , L
TR AS
S= 8
5m
- M
<- ->
N D1
60 1
25 0N
, L TO
RU =1
2m , L
TR AS
S= 1
0m
- N<
--> AJ
78 03
D 16
0 45
0N , L
TO RU
=2 0m
, L TR
AS S=
1 8m
- Sü
ga vu
s: m
in 1
m
D E
F
G
H
I
M
N
Pr oj
ek te
er itu
d 24
kV m
aa ka
ab el
-N r:
KP L2
20 57
4 (A
J1 42
33 <
--> AJ
78 03
)
- AH
XA M
K- W
3 x1
20 +3
5, L KA
AB EL
=1 10
8m , L
TR AS
S= 1
04 6m
- AJ
14 23
3< -->
A D1
60 4
50 N,
L TO RU
=1 77
m , L
TR AS
S= 1
71 m
- A<
--> B
D1 60
7 50
N, L TO
RU =1
90 m
, L TR
AS S=
1 83
m
-B <-
-> C
D1 60
1 25
0N , L
TO RU
=3 7m
, L TR
AS S=
3 2m
- C <-
-> D
D1 60
4 50
N, L
TO RU
=7 5m
, L TR
AS S=
7 1m
- D<
--> E
D1 60
1 25
0N , L
TO RU
=1 0m
, L TR
AS S=
9 m
- E<
--> F
D1 60
4 50
N, L T
O RU
=6 8m
, L TR
AS S
= 64
m
-F <-
-> G
D1 60
1 25
0N , L
TO RU
=9 m
, L TR
AS S=
8 m
-G <-
-> H
D1 60
7 50
N, L
TO RU
=3 02
m , L
TR AS
S= 2
93 m
- H<
--> I D
16 0
12 50
N, L T
O RU
=1 3m
, L TR
AS S
= 12
m
-I <-
-> J D
16 0
75 0N
, L TO
RU =4
1m , L
TR AS
S= 4
0m
- J<
--> K
D1 60
1 25
0N , L
TO RU
=3 7m
, L TR
AS S=
3 5m
- K<
--> L D
16 0
75 0N
, L TO
RU =1
6m , L
TR AS
S= 1
5m
- L<
--> M
D 16
0 12
50 N,
L TO RU
=9 0m
, L TR
AS S
= 85
m
-M <-
-> N
D1 60
1 25
0N , L
TO RU
=1 2m
, L TR
AS S=
1 0m
-N <-
-> AJ
78 03
D 16
0 45
0N , L
TO RU
=2 0m
, L TR
AS S=
1 8m
- Sü
ga vu
s: m
in 1
m
31701:005:0870 Puhastusseadme
31701:005:0007 Tuuleveski tee 4
31701:001:1211 Härjasilma
31701:001:1509 Kuriste tee L1
31701:001:1108 Meierei tee 6
31701:005:0069 Meierei tee 5
31701:005:0890 Meierei tee 4
31701:005:0950 Meierei tee 3
31701:005:0936 Tuuleveski alajaam
31701:005:0170 Tuuleveski tee 6
M37
Projekteeritu d 24kV maakaabel
- Nr: KPL220575 (HK2042 <-->M37)
- AHXAMK-W 3x50+35, L KAABEL=781m, LTRASS= 731m
- D160 450N, L TORU=752m, LTRASS= 731m
- Sügavus: min 1m
Projekteeritu d 24kV maakaabel
- Nr: KPL220575 (HK2042 <-->M37)
- AHXAMK-W 3x50+35, LKAABEL=781m, L TRASS= 731m
- D160 450N, LTORU=752m, L TRASS= 731m
- Sügavus: min 1m
Projekteeritu d KP harukilp HK2042
- Kilp paigaldada Tuuleveski tee 6 kinnistule;
- Kilbi tüüp: Sokliga pinnases, In= 630A+märketulp
- Kilbi kõrgusmärk: +62.04
- Uks avaneb sissesõidu tee suunas.
Ol. o. KP kaabel AHXAMK-W 3x120+35 (nr: 93802)
- Olemasolev KP kaabel
- Teha kaablile sisselõige ja ühendada proj. KP harukilpi
(nr: H K2042);
Ol. o. KP kaabel AHXAMK-W 3x120+35 (nr: 9 3802)
- Olemasolev KP kaabel
- Teha kaablile sisselõige ja ühendada proj. KP harukilpi
(nr: H K2042);
- Uus kaabli number KPL228102
- Pikendada kaablit jä tkumuhviga
Olemasolev alajaam AJ Sirle
KP JM 1
M 7
M 8
M 9
M 10
M 11
M 12
M 13
M 24
M 24
A M
25
M 26
M 27
M 28
M 29
M 30
M 31
M 32
M 33
M 34
M 35
M 36
M 23
M 22
M 16 M
1 M
1
31701:001:2567 Lauda alajaam
De m
on te
er ita
v õh
ul iin
ik aa
be l 3
C CC
ST A
SC R
99 L TR
AS S=
61 3m
AJ H
ag er
i l au
da -M
13 - D
em on
te er
id a
pu itm
as tid
: 7 tk
- D em
on te
er id
a m
as ti
to ed
(p ui
t): 2
tk
- D em
on te
er id
a tõ
m m
its ad
: 4 tk
De m
on te
er ita
v õh
ul iin
ik aa
be l A
S- 50
L TR AS
S= 10
11 m
Aj S
irl e-
M 13
De m
on te
er ita
v õh
ul iin
ik aa
be l A
S- 25
L TR AS
S= 27
6m
Aj T
iiu -M
13 - D
em on
te er
id a
pu itm
as tid
: 1 3t
k
- D em
on te
er id
a m
as ti
to ed
(p ui
t): 2
tk
- D em
on te
er id
a ra
ud be
to on
m as
tid : 5
tk
- D em
on te
er id
a m
as ti
to ed
(r au
db et
oo n)
: 6 tk
De m
on te
er ita
v M
ad al
pi ng
e õh
ul iin
i k aa
be l
AM KA
3 x7
0+ 50
a lja
am a
ja M
P m
as ti
M 1
va he
l
L TR AS
S= 9m
Tö ös
t v äl
ja m
in ev
k aa
be l
- A J7
80 3<
--> KP
m as
t M 24
A
De m
on te
er id
a AJ
T iiu
:(K oh
ila )
- D em
on te
er id
a tr
af o
63 KV
A - D
em on
te er
id a
al aj
aa m
a se
ad m
ed ja
ju ht
m es
tik
(k un
i 1 m
sü ga
vu se
lt de
m on
te er
ita va
a la
ja am
a
al t m
at er
ja lid
/s ea
dm ed
e em
al da
da )
- De
m on
te er
id a
ar ve
st i j
a ko
nt se
nt ra
at or
C B
31701:005:0280 Kuriste tee 10
Ristumine MP õhuliinigaGabariit 3m 0,4kV mastidele Ehtada maandus R ≤ 30 Ω
1,2m
L
31701:005:0820 11220 Kernu-Kohila tee
31701:006:0195 Mardi
ET TE
VA AT
US T!
Si de
ka ab
el !
ET TE
VA AT
US T!
M P
ka ab
el !
ET TE
VA AT
US T!
Ka na
lis at
sio on
i t or
u!
ET TE
VA AT
US T!
Ve e
to ru
! ET
TE VA
AT US
T! Ta
as ta
da a
ed !
ET TE
VA AT
US T!
Ta as
ta da
a ed
! ET
TE VA
AT US
T! Si
de ka
ab el
!
ET TE
VA AT
US T!
Si de
ka ab
el !
ET TE
VA AT
US T!
Sa de
ve e
ka na
lis at
sio on
i t or
u!
ET TE
VA AT
US T!
Tr as
s k ul
ge b
sid ek
aa bl
i k õr
va l!
Pu ur
im ism
as in
a pa
ik ne
m isa
la !
Pe al
e pu
ur im
ist ta
as ta
da m
ur up
la ts
!
Pu ur
im isk
ae vi
k!
D1 60
-1 25
0N k
ai ts
et or
u L TR
AS S=
32 m
L T O
RU =3
7m (v
t. Ri
st m
ev äl
ja jo
on is
R1 )
NB ! E
NN E
PU UR
IM IS
T TE
HA K
IN DL
AK S
RI ST
UV AT
E TR
AS SI
DE S
ÜG AV
US ED
Ri st
um in
e ki
nn ise
l m ee
to di
l! D1
60 -1
25 0N
k ai
ts et
or u
L TR AS
S= 9m
L TO RU
=1 0m
Sü ga
vu s m
in 1
m
ET TE
VA AT
US T!
Si de
ka ab
el !
ET TE
VA AT
US T!
Si de
ka ab
el !
ET TE
VA AT
US T!
Si de
ka ab
el !
Ri st
um in
e ki
nn ise
l m ee
to di
l! D1
60 -1
25 0N
k ai
ts et
or u
L TR AS
S= 8m
L TO
RU =9
m Sü
ga vu
s m in
1 m
NB ! E
NN E
PU UR
IM IS
T TE
HA K
IN DL
AK S
RI ST
UV AT
E TR
AS SI
DE S
ÜG AV
US ED
ET TE
VA AT
US T!
M P
ka ab
el !
ET TE
VA AT
US T!
M P
ja K
P ka
ab el
!
Ri st
um in
e ki
nn ise
l m ee
to di
l! D1
60 -1
25 0N
k ai
ts et
or u
L TR AS
S= 12
m L TO
RU =1
3m Sü
ga vu
s m in
1 m
Ri st
um in
e ki
nn ise
l m ee
to di
l! D1
60 -1
25 0N
k ai
ts et
or u
L TR AS
S =3
3m L TO
RU =3
5m Sü
ga vu
s m in
1 m
Ri st
um in
e ki
nn ise
l m ee
to di
l! D1
60 -1
25 0N
k ai
ts et
or u
L TR AS
S= 12
m L TO
RU =1
0m Sü
ga vu
s m in
1 m
Pu ur
im ism
as in
a pa
ik ne
m isa
la !
Pu ur
im isk
ae vi
k!
Pu ur
im ism
as in
a pa
ik ne
m isa
la !
Pu ur
im isk
ae vi
k!
ET TE
VA AT
US T!
Si de
ka ab
el !
ET TE
VA AT
US T!
Ve et
or u!
Pu ur
im ism
as in
a pa
ik ne
m isa
la !
Pu ur
im isk
ae vi
k!
Pu ur
im ism
as in
a pa
ik ne
m isa
la !
Pu ur
im isk
ae vi
k!
Pu ur
im ism
as in
a pa
ik ne
m isa
la !
Pu ur
im isk
ae vi
k!
ETTEVAATUST!
Truup!
Kaabel paigaldada tru ubi alt!
2x D1
60 -1
25 0N
k ai
ts et
or u
L TR AS
S= 12
m L
TO RU
=1 0m
ET TE
VA AT
US T!
Ve et
or u!
ET TE
VA AT
US T!
Ka na
lis at
sio on
itr as
s!
ET TE
VA AT
US T!
Pr oj
ek te
er itu
d M
P ka
ab el
!
ET TE
VA AT
US T!
Ve et
ra ss
!
ET TE
VA AT
US T!
Ve et
ra ss
!
ET TE
VA AT
US T!
Ve et
ra ss
!
ET TE
VA AT
US T!
Si de
ka ab
el !
ET TE
VA AT
US T!
Ve et
ra ss
!
ET TE
VA AT
US T!
Si de
ka ab
el !
ET TE
VA AT
US T!
Ve et
ra ss
! K
J
ET TE
VA AT
US T!
EL A
SA si
de tr
as s!
ET TE
VA AT
US T!
Si de
ka ab
el !
ET TE
VA AT
US T!
Si de
ka ab
el !
ET TE
VA AT
US T!
Ve et
or u!
Pu ur
im ism
as in
a pa
ik ne
m isa
la !
Ri st
um in
e ki
nn ise
l m ee
to di
l! (V
t. Ri
st m
ev äl
ja jo
on is
R2 )
D1 60
-1 25
0N k
ai ts
et or
u L TR
AS S=
35 m
L TO RU
=3 7m
Sü ga
vu s m
in 1
m NB
! E NN
E PU
UR IM
IS T
TE HA
K IN
DL AK
S
RI ST
UV AT
E TR
AS SI
DE S
ÜG AV
US ED
ET TE
VA AT
US T!
Ve et
or u!
Pu ur
im isk
ae vi
k!
Ri st
um in
e ki
nn ise
l m ee
to di
l! D1
60 -1
25 0N
k ai
ts et
or u
L TR AS
S= 52
m L TO
RU =5
5m Sü
ga vu
s m in
1 m
31701:001:1852 Pärtle
Demonteerida AJ Tõnu:(Kohila)
- Demonteerida trafo 100KVA
- Demonteerida alajaama seadmed ja juhtmestik
(kuni 1m sügavuselt demonteeritava alajaama
alt materjalid/seadmed eemaldada)
- Arvesti tõsta ümber projekteeritavasse alajaama AJ14598
Projekteeritud mastalajaam AJ14234.
Asendada mast koos toega (KRE 11m, 4.kl; tugi KRE11m, 4.kl)
(Paigaldada 2xlõputraavers)
Paigaldada uus trafo 100kVA 21(10,5)/0,41 kV
Paigaldada 0,4 kV JS kilp
Demonteerida tõmmitsad.
Projekteeritud 0,4kV maakaablid
-Nr: MPL404723 (AJ14234<-->M1)
- AXPK4G120, LKAABEL=23m, LTRASS= 12m
- Sügavus: min 0,7m
-Nr: MPL404724 (AJ14234<-->M1)
- AXPK4G120, LKAABEL=23m, LTRASS = 12m
- Sügavus: min 0,7mOlemasolev RB mast koos toega M1
- Hargnemisklemmid 6xSLIW54
- Hargnemisklemm 2xSL9.21+kate
- Maakaabli kinnitusdetailid RB mastile 2kmpl
- Maakaabli kaitserenn 2xL=2,2m
Olemasolev RB mast koos toega M1
-Hargnemisklemmid 3xSLIW54
-Hargnemisklemm SL9.21+kate
- Maakaabli kinnitusdetailid RB mastile
- Maakaabli kaitserenn L=2,2m
M 129H5
129H4 M1
M1
M1
Projekteeritud 0,4kV maakaablid
-Nr: MPL404722 (AJ14234<-->M1)
- AXPK4G120, LKAABEL=20m, LTRASS= 9m
- Sügavus: min 0,7m
Olemasolev RB mast koos toega M1
-Hargnemisklemmid 3xSLIW54
- Hargnemisklemm SL9.21+kate
- Maakaabli kinnitusdetailid RB mastile
- Maakaabli kaitserenn L=2,2m Projekteeritud 0,4kV maakaablid
- Nr: MPL404725 (AJ14234<-->M1)
-AXPK4G120, LKAABEL =29m, LTRASS = 16m
- Sügavus: min 0,7m
Demonteerida AJ Pihali:(Kohila)
- Demonteerida trafo 100KVA
- Demonteerida alajaama seadmed ja juhtmestik
(kuni 1m sügavuselt demonteeritava alajaama
alt materjalid/seadmed eemaldada)
- Arvesti ja kontsentraator tõsta ümber projekteeritavasse alajaama AJ14234
Kuupäev Töö nr.
Tellija:
Muudatus Kuupäev
MõõtkavaJoonise nr.
Staadium Koostas
23_3619_TP_EL-01_ASEND_240104_HT
LehtJoonis:
Töö nimetus:
Aadress:
Elektritööde reg. nr.: EL10360030-0001
Salve 2a Tallinn 11612 Tel: (+372) 6 701 066 www.eservice.ee
Kontrollis Proj. kood
H. Turja Tööprojekt
04.01.2024 23_3619
Elektrilevi OÜ
H. Turja IP6010
1/1
Kohila vald, Rapla maakond
Asendiplaan
Kohila -Adila 10kV fiidri rekonstrueerimine
EL-00 1:20000/-MÄRKUSED: 1) Projekt on koostatud lähtuvalt Elektrilevi OÜ lähteülesandest nr: IP6010. 2) Projekti asendiplaani koostamiseks on kasutatud: - Geoalus OÜ poolt koostatud geodeetilist asendiplaani nr: 23-G444; kuup.:04.01.2024 (koordinaadid L-EST97 ja kõrgused EH2000 süsteemis 3) Õhu- ja maakaabelliinide pikkused on asendiplaanile märgitud trassipikkustena (kogupikkused vt. elektrilisel skeemil Joonis EL-02 ja EL-03).
TINGMÄRGID
Olemasolev kinnistupiir
64
65
66
67
68
69
70
71
72
73
74
75
76 M29
11
M28
11
71,34
7, 22
77
66903:001:0184 Männisalu
66903:001:0640 Lepaluku
67
68
69
70
71
72
73
74
75
76
77
78
79
80
81
82
83
M16
11
M15
11
47,18
8, 41
M9
11
64,34
8, 64
M8
11
M7
11
66903:001:0055 Kaasiku-Ülepere66901:001:0677
6690176 Koigi tee L2
66903:001:0188 Põlluaasa
67
68
69
70
71
72
73
74
75
76
77
78
79
80
81
82
67
68
69
70
71
72
73
74
75
76
77
78
79
80
81
82
69,57
7, 79
66903:001:0159 Kivikoigi
66901:001:0567 6690176 Koigi tee L1
66903:001:0160 Kivikünka
66903:001:0159
Kivik oigi
66901:001:0567
6690176 Koigi te e L1
66903:001:0160
Kivik ünka
66801:001:1877
Uuetoa
66903:001:0055
Kaasik u-Ü
lepere
66 90
1: 00
1: 06
77
66 90
17 6
Ko ig
i t ee
L2
66903:001:0189
Metsa ve
ere
66903:001:0188
Põllu aasa
66801:001:1431
Kasesalu
66903:001:0166
Kaasik upõllu
66903:001:0183
Kaasik u-Altp
ere
66903:001:0184
Männisa lu
66903:001:0640
Lepaluku
66903:001:0184
Männisa lu
69,1 67,3
69,6 69,8
68,3 68,3
71,3 67,1
69,6 69,3 75,1
79,9 68,3
66,3 72,4
68,9 69,3
48,9 90,1
47,2 69,1
69,7 68,2
68,3 68,9
72,2 64,3
69,6
M34
M33
M32
M31
M30
M29 M28
M27
M26
M25 M24
M23 M22 M21
M20 M19
M18 M17
M16 M15
M14
M13 M12
M11 M10
M9
M8 M7
Asendada mast (KRE 11m, 3.kl.; Rõhttraavers) Paigaldada sädevahemikud
Asendada traavers (Rõhttraavers) Asendada traavers
(Rõhttraavers)
Asendada mast (KRE 11m, 3.kl.; Rõhttraavers) Paigaldada sädevahemikud
66 90
3:0 01
:05 20
M än
nik u
Raie: madal võsa 261m2
Asendada mast (KRE 11m, 3.kl.; Rõhttraavers)
Asendada traavers (Rõhttraavers) Asendada traavers
(Rõhttraavers) Paigaldada sädevahemikud
Asendada traavers (Rõhttraavers) Asendada traavers
(Rõhttraavers)
Asendada traavers (Nurgatraavers) Paigaldada sädevahemikud
Asendada mast (KRE 11m, 3.kl.; Rõhttraavers)
Asendada traavers (Rõhttraavers)
Asendada mast (KRE 11m, 3.kl.; Rõhttraavers) Paigaldada sädevahemikud
Asendada mast (KRE 11m, 3.kl.; Rõhttraavers)
Asendada mast (KRE 11m, 3.kl.; Rõhttraavers)
Asendada mast (KRE 11m, 3.kl.; Rõhttraavers) Paigaldada sädevahemikud
Asendada mast (KRE 11m, 3.kl.; Rõhttraavers)
Asendada mast (KRE 11m, 3.kl.; Rõhttraavers)
Raie: madal võsa 261m2
Raie: noored kuused/männid 798m2
Asendada traavers (Ankrutraavers)
Asendada mast (KRE 11m, 3.kl.; Ankrutraavers) Paigaldada sädevahemikud
Asendada mast (KRE 11m, 3.kl.; Rõhttraavers)
Asendada mast (KRE 11m, 3.kl.; Rõhttraavers)
Asendada traavers (Rõhttraavers) Paigaldada sädevahemikud
Asendada traavers (Rõhttraavers)
Asendada mast (KRE 11m, 3.kl.; Rõhttraavers)
Asendada traavers (Ankrutraavers)
Asendada traavers (Ankrutraavers)
Asendada traavers (Lõputraavers) Mast asendatakse projektiga IP4462 ja paigaldatakse 2 tõmmitsat!
Ristumine teega Gabariit 7,7m
Ristumine teega Gabariit 8,6m
Ristumine teega Gabariit 8,4m
Ristumine teega Gabariit 7,2m
10 °
Kuupäev Töö nr.
Tellija:
Muudatus Kuupäev
MõõtkavaJoonise nr.
Staadium Koostas
23_3619_TP_EL-01_ASEND_240104_HT
LehtJoonis:
Töö nimetus:
Aadress:
Elektritööde reg. nr.: EL10360030-0001
Salve 2a Tallinn 11612 Tel: (+372) 6 701 066 www.eservice.ee
Kontrollis Proj. kood
H. Turja Tööprojekt
04.01.2024 23_3619
Elektrilevi OÜ
H. Turja IP6010
10/16
Kohila vald, Rapla maakond
Asendiplaan
Kohila -Adila 10kV fiidri rekonstrueerimine
EL-01 1:1500 / -
TINGMÄRGID
Olemasolev madalpinge õhuliin Olemasolev keskpinge õhuliin
Projekteeritud puitmast Projekteeritud masti tugi
Projekteeritud BLL99 õhuliin
Olemasolev kinnistupiir
Olemasolev puitmast Olemasolev raudbetoonmast
Raieala
MÄRKUSED: 1) Projekt on koostatud lähtuvalt Elektrilevi OÜ lähteülesandest nr: IP6010. 2) Projekti asendiplaani koostamiseks on kasutatud: - Geoalus OÜ poolt koostatud geodeetilist asendiplaani nr: 23-G444; kuup.: 04.01.2024 (koordinaadid L-EST97 ja kõrgused EH2000 süsteemis 3) Õhu- ja maakaabelliinide pikkused on asendiplaanile märgitud trassipikkustena (kogupikkused vt. elektrilisel skeemil Joonis EL-02 ja EL-03).
Joonis 09
65.00 64.00 63.00 62.00 61.00 60.00 59.00
66.00
La ht
ise ka
ev ik
u al
a
La ht
ise ka
ev ik
u al
a
Sõ id
ut ee
Ristmevälja joonis R1 Ristumine 31701 Kernu-Kohila teega
1:250
1, 17
51
4, 11
(m in
. 2 ,2
m )
3, 4
1, 24
O l.
o. si
de ka
ab el
Sü ga
vu s o
rie nt
. 1 m
KÜ p
iir
O l.
o. si
de ka
ab el
Sü ga
vu s o
rie nt
. 1 m
1, 08
1
0, 75
31701:005:0820 11220 Kernu-Kohila tee 31701:005:0120
Kohila tee 11
4, 49
(m in
. 2 ,2
m )
2, 21
O l.
o. S
K to
ru D
=5 60
Sü ga
vu s 6
3. 00
2, 25
O l.
o. E
LA S
A sid
ek aa
be l
Sü ga
vu s o
rie nt
. 1 m
2, 46
(m in
. 1 m
) KÜ p
iir
3, 41
O l.
o. T
V ka
ab el
Sü ga
vu s o
rie nt
. 1 m
31701:005:0830 20101 Hageri-Kodila-Kuusiku tee
O l.
o. tr
uu p
D= 75
0 Sü
ga vu
s 6 2.
40
1, 38
1, 24
Kinnine kaevis 1xØ160, 1250N 1xØ110, 1250N LTORU=56m, LTRASS=51m
1W1
1W1 1W1 1W1 1W1 1W1
2
2 2 2 2 2
M17
1,2
Kohila tee 3
31701:005:0500 Kuriste tee 6
31701:005:0959 Kohila tee 5
31701:005:0120 Kohila tee 11
31701:005:0650 Kohila tee 931701:005:0005
Kohila tee 8
31701:005:0023 Kohila tee 10
31701:005:0021 O
ru 31701:001:0611 Kiriku tee L2
31701:005:0430 Vaino
31701:005:0050 Ernitsa31701:005:0581
Ülevainu
31701:005:0302 M
äeküla
31701:005:0012 Ann-M
ai
31701:001:0608 Pargi tänav
31701:005:0301 M
äeküla
31701:005:0410 Kohila tee 6
31701:005:0985 Kohila tee 4
31701:005:0033 Kiriku tee 1
31701:001:1496 Kohila tee 4a
31701:005:0480
31701:005:0820 11220 Kernu-Kohila tee
31701:005:0985 Kohila tee 4
31701:005:0985 Kohila tee 4
31701:005:0830 20101 Hageri-Kodila-Kuusiku tee
X X
X X
X X
X X
X XXXXXXXXXXXXXXXXXXXXXXXXXXXXXXXXXXXXXXXXXXXXXXXXXXXXXXXXXXXXXXXXXXXXXXXXXXXXXXXXXXXXXXXXXXXXXXXXXXXXXXXXXXXXXXXXXXXXXXXXXXXXXXXXXXXXXXXXXXXXXXXXXXXXXXXXXXXXXXXXXXXXXXXXXXXXXXXXXXXXXXXXXXXXXXXXXXXXXXXXXXXXXXXXXXXXXXXXXXXXXXXXXXXXXXXXXXXXXXXXXXXXXXXXXXXXXXXXXXXXXXXXXXXXXXXXXXXXXXXXXXXXXXXXXXXXXXXXXXXXXXXXXXXXXXXXXXXXXXXXXXXXXXXXXXXXXXXXXXXXXXXXXXXXXXXXXXXXXXXXXXXXXXXXXXXXXXXXXXXXXXXXXXXXXXXXXXX 1W2 1W2
1W2 1W2 1W2 1W2 1W2 1W2 1W2 1W2 1W2 1W2 1W2 1W2 1W2 1W2 1W2 1W2 1W2 1W2 1W2
31701:005:0920 Kohila tee 13
M60 M1 M2
M3
M4
M5
M6
M7
M8
M9
Demonteerida KP õhuliini kaabel koos mastidega - AS-35 L=405m (TRASS) - Raudbetoon mast 3tk - Raudbetoon masti tugi 3tk - Puitmast 6tk - Puitmasti tugi 1tk
+T R
+K P
+M PS
+M P
-T 1
2N
2U
2V 2W 1W
1V
1U
-M EB
+K PS
+. K0
3
+. K0
1
+. K0
5
Projekteeritud 24kV maakaabel - Nr: KPL220573 (AJ14233 <-->M60) - AHXAMK-W 3x240+35, LKAABEL=489m, LTRASS= 451m - Samasse trassi paigaldada reservtoru D160 - 2x(AJ14233<-->B D160 450N, LTORU=416m, LTRASS= 404m) - 2x(B<-->C D160 1250N, LTORU=8m, LTRASS= 7m) - 2x(C<-->M60 D160 750N, LTORU=42m, LTRASS= 40m) - Sügavus: min 1m
A
Demonteerida AJ Hageri hooldekodu:(Kohila) - Demonteerida trafo 400kVA - Demonteerida alajaama seadmed ja juhtmestik (kuni 1m sügavuselt demonteeritava alajaama alt materjalid/seadmed eemaldada) - Konsentraator ja arvesti tõsta ümber projekteeritavasse alajaama AJ14233 - Olemasolevad 0,4kV ühendused taastada vastavalt elektriskeemile (Joonis EL-03)
Projekteeritud komplektalajaam "AJ14233" 1VM630kVA (Vt. joonis EL-03, EL-05) - Maandustakistus tagada R≦4,0 oomi; - Olemasoleva maapinna kõrgus: +65.61 (ligikaudne) - Alajaama 0-punkti kõrgus: +61.91 - Alajaama paigalduspiirkonna kõrgendikud tasandada. - Taastada alajaama ümber lippaed! - Alajaam asendada olemasoleva alajaama kohale. Ehituseks kasutada generaatorit!
B
C
Projekteeritud 0,4kV maakaabel - Nr: MPL404726 (AJ14233<-->JK67888) - AXPK4G240, LKAABEL=317m, LTRASS= 296m - AJ14233<-->A D110 450N, LTORU=180m, LTRASS= 173m - A<-->M17 D110 750N, LTORU=127m, LTRASS= 123m - Sügavus: min 1m
Projekteeritud 24kV maakaabel - Nr: KPL220574 (AJ14233 <-->AJ7803) - AHXAMK-W 3x120+35, LKAABEL=1078m, LTRASS= 1015m - AJ14233<-->A D160 450N, LTORU=177m, LTRASS= 171m - A<-->B D160 750N, LTORU=168m, LTRASS= 162m (sügavus min 1m) - B<-->C D160 1250N, LTORU=56m, LTRASS= 51m(sügavus min 2,2m) - C<-->D D160 450N, LTORU=72m, LTRASS= 69m(sügavus min 1m) - D<-->E D160 1250N, LTORU=14m, LTRASS= 13m(sügavus min 1m) - E<-->F D160 450N, LTORU=37m, LTRASS= 36m(sügavus min 1m) - F<-->G D160 750N, LTORU=5m, LTRASS= 4m(sügavus min 1m) - G<-->H D160 450N, LTORU=137m, LTRASS= 133m(sügavus min 1m) - H<-->I D160 750N, LTORU=166m, LTRASS= 161m(sügavus min 1m) - I<-->J D160 1250N, LTORU=13m, LTRASS= 12m(sügavus min 1m) - J<-->K D160 750N, LTORU=41m, LTRASS= 40m(sügavus min 1m) - K<-->L D160 1250N, LTORU=37m, LTRASS= 35m(sügavus min 1m) - L<-->M D160 750N, LTORU=17m, LTRASS= 16m(sügavus min 1m) - M<-->N D160 125050N, LTORU=35m, LTRASS= 33m(sügavus min 1m) - N<-->O D160 1250N, LTORU=70m, LTRASS= 66m(sügavus min 1m) - O<-->AJ7803 D160 450N, LTORU=14m, LTRASS= 13m(sügavus min 1m)
D E
1W1 1W1 1W1 1W1
1W1
1W1
1W1
1W1
1W1
1W1 1W1
1W1 1W1
1W1
1W1 1W1
1W1 1W1
1W1 1W1
1W1
1W1
1W 1
1W 1
1W 1
1W 1
1W 1
1W 1
1W1 1W1 1W1 1W1 1W1 1W1 1W1 1W1 1W1 1W1
ETTEVAATUST! Sidekaabel!
ETTEVAATUST! MP kaabel!
ETTEVAATUST! Kanalisatsiooni toru!
ETTEVAATUST! Vee toru!
ETTEVAATUST! Sidekaabel!
ETTEVAATUST! Sadevee kanalisatsiooni toru!
Puurimismasina paiknemisala! Peale puurimist taastada muruplats!
D160-1250N kaitsetoru D110-1250N kaitsetoru LTRASS=51m LTORU=56m Min. sügavus teekatte all 2,2m (vt. Ristmevälja joonis R1) NB! ENNE PUURIMIST TEHA KINDLAKS RISTUVATE TRASSIDE SÜGAVUSED
Ristumine kinnisel meetodil! D160-1250N kaitsetoru LTRASS=13m LTORU=14m Sügavus min 1m
Puurimismasina paiknemisala!
Puurimiskaevik!
ETTEVAATUST! ELA SA sidetrass!
ETTEVAATUST! Sidekaabel!
XXXXXXXXXXXXXXXXXXXXXXXXXXXXXXXXXXXXXXXX
M10M11M12
Mastile M12 paigaldada tõmmits!
Demonteeritav Madalpinge õhuliini kaabel AMKA 3x50+70 masti M1 ja M12 vahel LTRASS=102m Demonteerida RB mastid M10 ja M11 Mastile M12 paigaldada tõmmits
Projekteeritud jaotuskilp - Nr:JK67888 - Kõrgusmärk: 63.23 - Olemasolevatele MP kaablid ühendada proj. jaotuskilpi - Jaotuskilp paigaldada proj. Liitumiskilbi 124032LK kõrvale, eest vaadatult paremale! - Taastada olemasoleva LK toide!
Projekteeritud 0,4kV maakaabel - Nr: MPL423848 (JK67888<-->MP M7) - AXPK4G240, LKAABEL=207m, LTRASS= 193m - JK67888<-->B D110 750N, LTORU=45m, LTRASS= 42m (Sügavus: min 1m) - B<-->C D110 1250N, LTORU=56m, LTRASS= 51m (Sügavus: min 2,2m) - D<-->E D110 750N, LTORU=72m, LTRASS= 70m (Sügavus: min 1m) - E<-->F D110 1250N, LTORU=1m, LTRASS= 13m(Sügavus: min 1m) - F<-->M7 D110 450N, LTORU=19m, LTRASS= 17m(Sügavus: min 1m)
2 2 2 2 2 2 2 2 2 2 1W2 1W2 2 2
2
2
2
2
2
2 2
2
2
2
1W 2
1W 2
2W 2
2W 2
2W 2
2W 2
2W 2
2W 2
2W2
2W2 2W2
2W2 2W2
2W2 2W2
2W2
- Olemasolev kaabel - Uus Nr: MPL423849 (JK67888<-->MP M17) - AXPK4G70 - Kaabel tõsta ümber proj. jaotuskilpi JK67888
M17
ETTEVAATUST! Trass kulgeb sidekaabli kõrval!
Projekteeritud tarbija jaotuskilp - Hageri turvakodu Kõrgusmärk: 65.91 - Jaotuskilp paigaldada tagumise küljega proj. alajaama AJ14233 äärde! - Taastada tarbija ühendused!
3,5
D160 750N KPL220574
D110 750N MPL404726
D160 450N KPL220573
D160 450N reservtoru
D110 450N MPL404726
D160 450N KPL220574
D160 450N KPL220573
D160 450N reservtoru
D160 750N KPL220574
D110 750N MPL423848
D160 450N KPL220574
D110 450N MPL423848
Puurimiskaevik!
C B
Ristumine kinnisel meetodil! 2x(D160-1250N kaitsetoru) LTRASS=7m LTORU=8m Sügavus min 1m
1, 2
1, 1
1
1,2
Kuupäev Töö nr.
Tellija:
Muudatus Kuupäev
MõõtkavaJoonise nr.
Staadium Koostas
23_3619_TP_EL-01_ASEND_240104_HT
LehtJoonis:
Töö nimetus:
Aadress:
Elektritööde reg. nr.: EL10360030-0001
Salve 2a Tallinn 11612 Tel: (+372) 6 701 066 www.eservice.ee
Kontrollis Proj. kood
H. Turja Tööprojekt
04.01.2024 23_3619
Elektrilevi OÜ
H. Turja IP6010
11/16
Kohila vald, Rapla maakond
Asendiplaan
Kohila -Adila 10kV fiidri rekonstrueerimine
EL-01 1:500 / -
MÄRKUSED: 1) Projekt on koostatud lähtuvalt Elektrilevi OÜ lähteülesandest nr: IP6010. 2) Projekti asendiplaani koostamiseks on kasutatud: - Geoalus OÜ poolt koostatud geodeetilist asendiplaani nr: 23-G444; kuup.: 04.01.2024 (koordinaadid L-EST97 ja kõrgused EH2000 süsteemis 3) Õhu- ja maakaabelliinide pikkused on asendiplaanile märgitud trassipikkustena (kogupikkused vt. elektrilisel skeemil Joonis EL-02 ja EL-03).
TINGMÄRGID Projekteeritud 0,4kV maakaabel kaitsetorus1W1
Olemasolev 0,4kV maakaabelliin Olemasolev keskpinge õhuliin
Olemasolev kanalisatsiooni trass
Projekteeritud 24kV maakaabel kaitsetorus1W2
Olemasolev sadekanalisatsiooni trass
+TR
+KP
+MPS
+MP
-T1
2N
2U
2V
2W 1W
1V
1U
-MEB +KPS
+.K03
+.K01
+.K05
+.K07
+.K08 Projekteeritud alajaam
Projekteeritud 24kV maakaabel (2 kaablit trassis)2W2
Olemasolev kõrgpinge õhuliin
Olemasolev side õhuliin Olemasolev sidekaabel
Olemasolev 0,4kV õhuliin
Olemasolev kinnistupiir Olemasolev vee trass
Puu kaitsevöönd R=2m
Joonis 12
Projekteeritud 450N kaitsetoru Projekteeritud 750N kaitsetoru Projekteeritud 1250N kaitsetoru
Projekteeritud jaotuskilp
Lahtise kaeviku ala Puurimiskaevik
1, 1
2, 9
31701:005:0760 M
eierei tee 1
31701:005:0058 Sutlem
a tee 8
31701:005:0350 M
eierei tee 2 // Sutlem a tee 10
31701:005:0066 Tuuleveski tee 2
31701:005:0067Allee
31701:005:0068 Tuuleveski tee 331701:005:0937
M eierei alajaam
31701:005:0057 Sutlem
a tee 6
31701:001:0613 Kuriste tee
31701:005:0451 Sutlem
a tee 4
Kohila tee 3
31701:005:0440 Kohila tee 1 // Sutlema tee 2
31701:005:0500 Kuriste tee 6
31701:005:0959 Kohila tee 5
31701:005:0660 Kuriste tee 12
31701:005:0120 Kohila tee 11
31701:005:0270 Kuriste tee 14
31701:005:0650 Kohila tee 931701:005:0005
Kohila tee 8
31701:001:1144Sutlema kergtee L1
31701:005:0059Sutlema jalgtee
31701:001:1036 Kuriste tee 1
31701:001:0549 Sutlem
a kergtee
31701:001:219011240 Tõdva-Hageri tee
Sutlema kergtee L1 31701:001:1144
11240 Tõdva-Hageri tee 31701:001:2190
31701:005:0480
31701:005:0820 11220 Kernu-Kohila tee
X X
X X
X X
X X
X
X X X X X X X X X X X X X X X X X X X X X X X X X X X X X X X X X X X X X X X X X X X X X X X X X X X X X X X X X X X X X X X X X X
X X
X X
X X
X X
X X
X X
X X
X
B M7
D E
F
G
I
J
N
Projekteeritud 24kV maakaabel - Nr: KPL220574 (AJ14233 <-->AJ7803) - AHXAMK-W 3x120+35, LKAABEL=1078m, LTRASS= 1015m - AJ14233<-->A D160 450N, LTORU=177m, LTRASS= 171m - A<-->B D160 750N, LTORU=168m, LTRASS= 162m (sügavus min 1m) - B<-->C D160 1250N, LTORU=56m, LTRASS= 51m(sügavus min 2,2m) - C<-->D D160 450N, LTORU=72m, LTRASS= 70m(sügavus min 1m) - D<-->E D160 1250N, LTORU=14m, LTRASS= 13m(sügavus min 1m) - E<-->F D160 450N, LTORU=37m, LTRASS= 36m(sügavus min 1m) - F<-->G D160 750N, LTORU=5m, LTRASS= 4m(sügavus min 1m) - G<-->H D160 450N, LTORU=137m, LTRASS= 133m(sügavus min 1m) - H<-->I D160 750N, LTORU=166m, LTRASS= 161m(sügavus min 1m) - I<-->J D160 1250N, LTORU=13m, LTRASS= 12m(sügavus min 1m) - J<-->K D160 750N, LTORU=41m, LTRASS= 40m(sügavus min 1m) - K<-->L D160 1250N, LTORU=37m, LTRASS= 35m(sügavus min 1m) - L<-->M D160 750N, LTORU=17m, LTRASS= 16m(sügavus min 1m) - M<-->N D160 125050N, LTORU=35m, LTRASS= 33m(sügavus min 1m) - N<-->O D160 1250N, LTORU=70m, LTRASS= 66m(sügavus min 1m) - O<-->AJ7803 D160 450N, LTORU=14m, LTRASS= 13m(sügavus min 1m)
31701:005:0870 Puhastusseadm
e
31701:005:0007 Tuuleveski tee 4
31701:001:1211 Härjasilm
a
31701:001:1509 Kuriste tee L1
31701:001:1108 M
eierei tee 6
31701:005:0069 M
eierei tee 5
31701:005:0890 M
eierei tee 4
31701:005:0950 M
eierei tee 3
31701:005:0936 Tuuleveski alajaam
31701:005:0170
M13
M24 M24A
M23M22 M16
XX
X X
X X
X X
X X
X X
X X
X X
X X
X X
X X
X X
X X
X X
X X
X X
X X
X X
X X
X X
X X
X
Tööst väljaminev kaabel - AJ7803<-->KP mast M24A
1W1 1W1 1W1 1W1
1W1
1W1
1W1
1W1
1W1
1W1 1W1
1W1 1W1
1W1
1W1
31701:005:0280 Kuriste tee 10
M
ETTEVAATUST! Sidekaabel!
ETTEVAATUST! Sadevee kanalisatsiooni toru!
D160-1250N kaitsetoru
Ristumine kinnisel meetodil! D160-1250N kaitsetoru LTRASS=13m LTORU=14m Sügavus min 1m
ETTEVAATUST! Sidekaabel!
ETTEVAATUST! MP kaabel! Sügavus 61.98 ETTEVAATUST!
MP ja KP kaabel!
Ristumine kinnisel meetodil! D160-1250N kaitsetoru LTRASS=12m LTORU=13m Sügavus min 1m
Ristumine kinnisel meetodil! D160-1250N kaitsetoru LTRASS=33m LTORU=35m Sügavus min 1m
Puurimismasina paiknemisala!
Puurimiskaevik!
Puurimismasina paiknemisala!
Puurimiskaevik!
ETTEVAATUST! Sidekaabel!
ETTEVAATUST! Veetoru!
Puurimismasina paiknemisala!
Puurimiskaevik!
ETTEVAATUST! Veetoru!
ETTEVAATUST! Kanalisatsioonitrass!
ETTEVAATUST! Projekteeritud MP kaabel!
ETTEVAATUST! Veetrass!
ETTEVAATUST! Veetrass!
ETTEVAATUST! Veetrass!
ETTEVAATUST! Sidekaabel!
ETTEVAATUST! Veetrass!
ETTEVAATUST! Sidekaabel!
ETTEVAATUST! Veetrass!
LK
ETTEVAATUST! ELA SA sidetrass!
ETTEVAATUST! Sidekaabel!
ETTEVAATUST! Sidekaabel!
ETTEVAATUST! Veetoru!
Puurimismasina paiknemisala!
Ristumine kinnisel meetodil! (Vt. Ristmevälja joonis R2) D160-1250N kaitsetoru LTRASS=35m LTORU=37m Sügavus min 1m NB! ENNE PUURIMIST TEHA KINDLAKS RISTUVATE TRASSIDE SÜGAVUSED
ETTEVAATUST! Veetoru!
Puurimiskaevik!
Ristumine kinnisel meetodil! D160-1250N kaitsetoru LTRASS=66m LTORU=70m Sügavus min 1m
ETTEVAATUST! Sidekaabel!
H
Demonteeritav Madalpinge õhuliini kaabel AMKA 3x50+70 masti M1 ja M12 vahel
Projekteeritud 0,4kV maakaabel - Nr: MPL423848 (JK67888<-->MP M7) - AXPK4G240, LKAABEL=207m, LTRASS= 193m - JK67888<-->B D110 750N, LTORU=45m, LTRASS= 42m (Sügavus: min 1m) - B<-->C D110 1250N, LTORU=56m, LTRASS= 51m (Sügavus: min 2,2m) - D<-->E D110 750N, LTORU=72m, LTRASS= 70m (Sügavus: min 1m) - E<-->F D110 1250N, LTORU=1m, LTRASS= 13m(Sügavus: min 1m) - F<-->M7 D110 450N, LTORU=19m, LTRASS= 17m(Sügavus: min 1m)
1W2 1W2 2 2
2
2
2
2
2
2 2
2
2
2
1W2 1W2
1W 2
1W 2
1W 2
1W 2
1W 2
1W 2
1W 2
1W 2
1W 2
1W 2
1W 2
1W 2
1W 2
1W 2
1W 2
1W2 1W2 1W2 1W2 1W2 1W2 1W2 1W2 1W2 1W2 1W2 1W2 1W2 1W2 1W2 1W2 1W2 1W2 1W2 1W2 1W2
1W2
1W1
- Olemasolev kaabel - Uus Nr: MPL423849 (JK67888<-->MP M17) - AXPK4G70 - Kaabel tõsta ümber proj. jaotuskilpi JK67888
M17
ETTEVAATUST! Trass kulgeb sidekaabli kõrval!
ETTEVAATUST! Sidekaabel!
ETTEVAATUST! Sidekaabel!
D160 750N KPL220574
D110 750N MPL423848
D110 450N MPL423848
D160 750N KPL220574
D1 60
7 50
N K
PL 22
05 74
D1 60
4 50
N K
PL 22
05 74
D160 750N KPL220574
D110 450N KPL220574
Puurimiskaevik!1,2
1 1
1,4
1,8
2, 3
1,9
La ht
ise ka
ev ik
u al
a
La ht
ise ka
ev ik
u al
a
Sõ id
ut ee
Ristmevälja joonis R2 1:250
1, 272,44
34.65
4, 37
(m in
. 1 ,2
m )
2, 9
(m in
0 ,5
m )
1, 34
O l.
o. si
de ka
ab el
Sü ga
vu s o
rie nt
. 1 m
KÜ p
iir
O l.
o. si
de ka
ab el
Sü ga
vu s o
rie nt
. 1 m
1W2 1W2
0, 97
(m in
0 ,5
m )
1
1, 04
(m in
1 m
)
1, 99
(m in
0 ,5
m )O
l. o.
V ee
to ru
D =6
3 PP
k at
te ga
Sü ga
vu s 6
1. 43
3,17
31701:005:0350 Meierei tee 2 // Sutlema tee 10 31701:005:0760
Meierei tee 1 Kinnine kaevis 1xØ160, 1250N LTORU=37m, LTRASS=35m
1W2 1W2 1W2 1W2 1W2
Kuupäev Töö nr.
Tellija:
Muudatus Kuupäev
MõõtkavaJoonise nr.
Staadium Koostas
23_3619_TP_EL-01_ASEND_240104_HT
LehtJoonis:
Töö nimetus:
Aadress:
Elektritööde reg. nr.: EL10360030-0001
Salve 2a Tallinn 11612 Tel: (+372) 6 701 066 www.eservice.ee
Kontrollis Proj. kood
H. Turja Tööprojekt
04.01.2024 23_3619
Elektrilevi OÜ
H. Turja IP6010
12/16
Kohila vald, Rapla maakond
Asendiplaan
Kohila -Adila 10kV fiidri rekonstrueerimine
EL-01 1:500 / -
MÄRKUSED: 1) Projekt on koostatud lähtuvalt Elektrilevi OÜ lähteülesandest nr: IP6010. 2) Projekti asendiplaani koostamiseks on kasutatud: - Geoalus OÜ poolt koostatud geodeetilist asendiplaani nr: 23-G444; kuup.: 04.01.2024 (koordinaadid L-EST97 ja kõrgused EH2000 süsteemis - Connecto Eesti AS poolt koostatud Sutlema tee 6 elektriliitumise asendiplaan nr: LR9845-1; kuup.: 25.01.2024 (koordinaadid L-EST97 ja kõrgused EH2000 süsteemis 3) Õhu- ja maakaabelliinide pikkused on asendiplaanile märgitud trassipikkustena (kogupikkused vt. elektrilisel skeemil Joonis EL-02 ja EL-03).
Joonis 11
TINGMÄRGID Projekteeritud 0,4kV maakaabel kaitsetorus1W1
Olemasolev 0,4kV maakaabelliin Olemasolev keskpinge õhuliin
Olemasolev kanalisatsiooni trass
Projekteeritud 24kV maakaabel kaitsetorus1W2
Olemasolev sadekanalisatsiooni trass
+TR
+KP
+MPS
+MP
-T1
2N
2U
2V
2W 1W
1V
1U
-MEB +KPS
+.K03
+.K01
+.K05
+.K07
+.K08 Projekteeritud alajaam
Projekteeritud 24kV maakaabel (2 kaablit trassis)2W2
Olemasolev kõrgpinge õhuliin
Olemasolev side õhuliin Olemasolev sidekaabel
Olemasolev 0,4kV õhuliin
Olemasolev kinnistupiir Olemasolev vee trass
Puu kaitsevöönd R=2m
Projekteeritud 450N kaitsetoru Projekteeritud 750N kaitsetoru Projekteeritud 1250N kaitsetoru
Projekteeritud jaotuskilp
Lahtise kaeviku ala Puurimiskaevik
31701:001:0288
Mesitaru
31701:005:0221
Võsalepa
31701:001:1870
Allika
31701:001:0263
Koka
31701:001:2471
Vardi metskond 77
31701:005:0170
Tuuleveski tee 6
31 70
1: 00
1: 05
49
Su tle
m a k
er gt
ee
31701:001:2190
11240 Tõdva-Hageri tee
1W2 1W2
1W2 1W2 1W2 1W2 1W2 1W2 1W2 1W2 1W2 1W2 1W2 1W2 1W2 1W2 1W2 1W2
1W2 1W2 1W2 1W2 1W2 1W2 1W2 1W2 1W2 1W2 1W2 1W2 1W2 1W2 1W2 1W2 1W2 1W2 1W2 1W2 1W2 1W2 1W2 1W2 1W2 1W2 1W2
1W2 1W2
1W2 1W2 1W2
1W2 1W2 1W2 1W2 1W2 1W2 1W2
1W2 1W2
1W2 1W2 1W2 1W2 1W2 1W2 1W2 1W2
1W2 1W2
1W2 1W2
1W2
1W2
1W2 1W2
1W2 1W2
1W2
1W2 1W2
1W2
1W2 1W2
1W2
1W2
1W2 1W2
1W2 1W2
1W2 1W2 1W2 1W2 1W2
1W2 1W2
1W2 1W2
1W2 1W2
1W2 1W2
1W2 1W2
Projekteeritud 24kV maakaabel - Nr: KPL220575 (HK2042 <-->M37) - AHXAMK-W 3x50+35, LKAABEL=781m, LTRASS= 731m - D160 450N, LTORU=752m, LTRASS= 731m - Sügavus: min 1m
Projekteeritud KP harukilp HK2042 - Kilp paigaldada Tuuleveski tee 6 kinnistule; - Kilbi tüüp: Sokliga pinnases, In=630A+märketulp - Kilbi kõrgusmärk: +62.04 - Uks avaneb sissesõidu tee suunas.
Ol. o. KP kaabel AHXAMK-W 3x120+35 (nr: 93802) - Olemasolev KP kaabel - Teha kaablile sisselõige ja ühendada proj. KP harukilpi (nr: HK2042);
Ol. o. KP kaabel AHXAMK-W 3x120+35 (nr: 93802) - Olemasolev KP kaabel - Teha kaablile sisselõige ja ühendada proj. KP harukilpi (nr: HK2042); - Uus kaabli number KPL228102 - Pikendada kaablit jätkumuhviga - Nr: 93802 (HK2042 <-->KP JM1) - AHXAMK-W 3x120+35, LKAABEL=6m, LTRASS= 3m - D160 450N, LTORU=4m, LTRASS= 3m - Sügavus: min 1m
KP JM1
ETTEVAATUST! Truup! Kaabel paigaldada truubi pealt!
D160 450N KPL220575
D160 450N KPL220575
Kuupäev Töö nr.
Tellija:
Muudatus Kuupäev
MõõtkavaJoonise nr.
Staadium Koostas
23_3619_TP_EL-01_ASEND_240104_HT
LehtJoonis:
Töö nimetus:
Aadress:
Elektritööde reg. nr.: EL10360030-0001
Salve 2a Tallinn 11612 Tel: (+372) 6 701 066 www.eservice.ee
Kontrollis Proj. kood
H. Turja Tööprojekt
04.01.2024 23_3619
Elektrilevi OÜ
H. Turja IP6010
13/16
Kohila vald, Rapla maakond
Asendiplaan
Kohila -Adila 10kV fiidri rekonstrueerimine
EL-01 1:500 / -
MÄRKUSED: 1) Projekt on koostatud lähtuvalt Elektrilevi OÜ lähteülesandest nr: IP6010. 2) Projekti asendiplaani koostamiseks on kasutatud: - Geoalus OÜ poolt koostatud geodeetilist asendiplaani nr: 23-G444; kuup.: 04.01.2024 (koordinaadid L-EST97 ja kõrgused EH2000 süsteemis 3) Õhu- ja maakaabelliinide pikkused on asendiplaanile märgitud trassipikkustena (kogupikkused vt. elektrilisel skeemil Joonis EL-02 ja EL-03).
TINGMÄRGID
Olemasolev keskpinge maakaabelliin
Projekteeritud 24kV maakaabel kaitsetorus1W2
Olemasolev 0,4kV õhuliin
Olemasolev kinnistupiir
Projekteeritud 450N kaitsetoru
Projekteeritud 24kV harukilp Projekteeritud 24kV jätkumuhv
Joonis 14
Lahtise kaeviku ala
31701:001:2691
Mäeotsa
31701:001:2471
Vardi metskond 77
1W2 1W2
1W2 1W2 1W2
1W2 1W2
1W2 1W2
1W2 1W2 1W2 1W2 1W2
1W2 1W2 1W2
1W2 1W2
1W2
1W2 1W2
1W2 1W2
1W2
1W2 1W2
1W2 1W2
1W2 1W2
1W2 1W2
1W2
1W2 1W2
1W 2
1W 2
1W 2
1W 2
1W 2
1W 2
1W 2
1W 2
1W 2
1W 2
1W 2
1W 2
1W 2
1W 2
X X X X X X X X X X X X X X X X X X X X X X X X X X X X X X X X X X X X X X X X X X X X X X M37
Projekteeritud 24kV maakaabel - Nr: KPL220575 (HK2042 <-->M37) - AHXAMK-W 3x50+35, LKAABEL=781m, LTRASS= 731m - D160 450N, LTORU=752m, LTRASS= 731m - Sügavus: min 1m
Olemasolev alajaam AJ Sirle
D160 450N KPL220575
Kuupäev Töö nr.
Tellija:
Muudatus Kuupäev
MõõtkavaJoonise nr.
Staadium Koostas
23_3619_TP_EL-01_ASEND_240104_HT
LehtJoonis:
Töö nimetus:
Aadress:
Elektritööde reg. nr.: EL10360030-0001
Salve 2a Tallinn 11612 Tel: (+372) 6 701 066 www.eservice.ee
Kontrollis Proj. kood
H. Turja Tööprojekt
04.01.2024 23_3619
Elektrilevi OÜ
H. Turja IP6010
14/16
Kohila vald, Rapla maakond
Asendiplaan
Kohila -Adila 10kV fiidri rekonstrueerimine
EL-01 1:500 / A3
MÄRKUSED: 1) Projekt on koostatud lähtuvalt Elektrilevi OÜ lähteülesandest nr: IP6010. 2) Projekti asendiplaani koostamiseks on kasutatud: - Geoalus OÜ poolt koostatud geodeetilist asendiplaani nr: 23-G444; kuup.: 04.01.2024 (koordinaadid L-EST97 ja kõrgused EH2000 süsteemis 3) Õhu- ja maakaabelliinide pikkused on asendiplaanile märgitud trassipikkustena (kogupikkused vt. elektrilisel skeemil Joonis EL-02 ja EL-03).
TINGMÄRGID
Olemasolev keskpinge maakaabelliin
Projekteeritud 24kV maakaabel kaitsetorus1W2
Olemasolev 0,4kV õhuliin
Olemasolev kinnistupiir
Projekteeritud 450N kaitsetoru
Olemasolev 0,4kV maakaabelliin
X X X X X X Demonteeritav keskpinge õhuliin
Joonis 13
Lahtise kaeviku ala
31701:005:0025 O
llam aa
31701:005:0210 Kopli
31701:005:0049 Vainu
31701:005:0571 Hansu
11,6
67,5
70,4
95,7
76,7
82,9
76,3
87,7
M53
M53H1
M53H2
M53H3
M53H4
M53H5
M53H6
M53H7
M53H8
Asendada lõpumast koos toega. (KRE 11m, 3.kl + tugi 11m, 3.kl). Paigaldada maanduslülitiga koormuslahklüliti (LP17245). Demonteerida olemasolev lahklüliti. Ehitada maandus ja pot. ühtlustusring
Asendada kandemast (KRE 11m, 3.kl; rõhttraavers) Paigaldada sädevahemikud
Asendada kandemast (KRE 11m, 3.kl; rõhttraavers)
Asendada kandemast (KRE 11m, 3.kl; rõhttraavers)
Asendada kandemast (KRE 11m, 3.kl; rõhttraavers) Paigaldada sädevahemikud
Asendada kandemast (KRE 11m, 3.kl; rõhttraavers)
Vahetada traavers (Rõhttraavers)
Rekonstrueerida Hageri raba 10kV haruliin Mastist M53H1-M53H21 isoleeritud õhuliini juhtmega BLL62 L=1547m (trass)
Raie: võsa 214m2
Raie: võsa 174m2
31701:005:0760 M
eierei tee 1
31701:005:0058 Sutlem
a tee 8
31701:005:0350 M
eierei tee 2 // Sutlem a tee 10
31701:005:0066 Tuuleveski tee 2
31701:005:0067Allee
31701:005:0068 Tuuleveski tee 331701:005:0937
M eierei alajaam
31701:005:0057 Sutlem
a tee 6
31701:001:0613 Kuriste tee
31701:005:0451 Sutlem
a tee 4
Kohila tee 3
31701:005:0440 Kohila tee 1 // Sutlema tee 2
31701:005:0500 Kuriste tee 6
31701:005:0959 Kohila tee 5
31701:005:0660 Kuriste tee 12
31701:005:0120 Kohila tee 11
31701:005:0270 Kuriste tee 14
31701:005:0650 Kohila tee 931701:005:0005
Kohila tee 8
31701:005:0023 Kohila tee 10
31701:005:0021 O
ru 31701:001:0611 Kiriku tee L2
31701:005:0430 Vaino
31701:005:0050 Ernitsa
31701:005:0581 Ülevainu
31701:005:0302 M
äeküla
31701:005:0012 Ann-M
ai
31701:001:0608 Pargi tänav
31701:005:0301 M
äeküla
31701:005:0410 Kohila tee 6
31701:005:0985 Kohila tee 4
31701:005:0033 Kiriku tee 1
31701:001:1496 Kohila tee 4a
31701:001:1144Sutlema kergtee L1
31701:005:0059Sutlema jalgtee
31701:001:1036 Kuriste tee 1
31701:005:0750 Kabelikopli tee 2
31701:005:0790 Sutlem
a tee 9
31701:001:0612 Kabelikopli tee
31701:001:0288 M
esitaru
31701:005:0221 Võsalepa
31701:001:1870 Allika
31701:001:2691 M
äeotsa
31701:001:0263 Koka
31701:001:2471 Vardi m
etskond 77
31701:005:0170 Tuuleveski tee 6
31701:001:0549Sutlema kergtee
31701:001:0549 Sutlem
a kergtee
31701:001:2190 11240 Tõdva-Hageri tee
31701:001:219011240 Tõdva-Hageri tee
31701:005:0141 Sutlema tee 11
Sutlema kergtee L1 31701:001:1144
11240 Tõdva-Hageri tee 31701:001:2190
31701:005:0480
31701:005:0820 11220 Kernu-Kohila tee
31701:005:0985 Kohila tee 4
31701:005:0985 Kohila tee 4
31701:005:0830 20101 Hageri-Kodila-Kuusiku tee
1W2
1W 2
1W 2
1W 2
1W 2
1W 2
1W 2
1W 2
1W 2
1W 2
1W 2
1W 2
1W 2
1W 2
1W 2
1W 2
1W 2
1W 2
1W 2
1W 2
1W 2
1W 2
1W 2
1W 2
1W 2
1W 2
1W 2
1W 2
1W 2
1W 2
1W 2
1W 2
1W 2
1W 2
1W 2
1W 2
1W 2
1W 2
1W 2
1W 2
1W 2
1W 2
1W 2
1W 2
1W 2
1W 2
1W 2
1W 2
1W 2
1W 2
1W 2
1W 2
1W 2
1W 2
1W 2
1W 2
1W 2
1W 2
1W 2
1W 2
1W 2
1W 2
1W 2
1W2
1W2
1W2
1W2
1W2
1W2
1W2
1W2
1W2
1W2
1W2
1W2
1W2
1W2
1W2
1W2
1W2
1W2
1W2
1W2
1W2
1W2
1W2
1W2
1W2
1W2
1W2
1W2
1W 2
1W 2
1W 2
1W 2
1W 2
1W 2
1W 2
1W 2
1W 2
1W 2
1W 2
1W 2
1W 2
1W2
1W2
1W2
1W2
1W2
1W2
1W2
1W2
1W2
1W 2
1W 2
1W 2
1W 2
1W 2
1W 2
1W 2
X X
X X
X X
X X
X XXXXXXXXXXXXXXXXXXXXXXXXXXXXXXXXXXXXXXXXXXXXXXXXXXXXXXXXXXXXXXXXXXXXXXXXXXXXXXXXXXXXXXXXXXXXXXXXXXXXXXXXXXXXXXXXXXXXXXXXXXXXXXXXXXXXXXXXXXXXXXXXXXXXXXXXXXXXXXXXXXXXXXXXXXXXXXXXXXXXXXXXXXXXXXXXXXXXXXXXXXXXXXXXXXXXXXXXXXXXXXXXXXXXXXXXXXXXXXXXXXXXXXXXXXXXXXXXXXXXXXXXXXXXXXXXXXXXXXXXXXXXXXXXXXXXXXXXXXXXXXXXXXXXXXXXXXXXXXXXXXXXXXXXXXXXXXXXXXXXXXXXXXXXXXXXXXXXXXXXXXXXXXXXXXXXXXXXXXXXXXXXXXXXXXXXXXX
1W2 1W2 1W2 1W2 1W2 1W2 1W2 1W2 1W2 1W2 1W2 1W2 1W2 1W2 1W2 1W2 1W2 1W2 1W2 1W2 1W2
X X
X X
X X
X X
X X
X
X X X X X X X X X X X X X X X X X X X X X X X X X X X X X X X X X X X X X X X X X X X X X X X X X X X X X X X X X X X X X X X X X X X X X X X X X X X X X X X X X X X X X X X X X X X X X X X X X X X X X X X X X X X X X X X X X X X X X X X X X X X X X X X X X X X X X X X X X X X X X X X X X X X X X X X X X X X X X X X X X X X X X X X X X X X X X X X X X X X X X X X X X X X X X X X X X X X X X X X X X X X X X X X X X X X X X X X X X X X X X X X X X X X X X X X X X X X X X X X X X X X X X X X X X X X X X X X X X X X X X X X X X X X X X X X X X X X X X X X X X X X X X X X X X X X X X X X X X X X X X X X
X X
X X
X X
X X
X X
X X
X X
X X
X X
X X
X X
X X
X X
X X
X X
X X
X X
X X
X X
X X
X X
X X
X X
X X
X X
X X
X X
X X
X X
X X
X X
X X
X X
X X
X X
X X
X X
X X
X X
X X
X X
X X
X X
X X
X X
X X
X X
X X
X X
X X
X X
X X
X X
X X
X X
X X
X X
X X
X X
X X
X X
X X
X X
X X
X X
X X
X X
X X
X X
X X
X X
X X
X X
X X
X X
X X
31701:001:1482 Kohila tee 19a
31701:001:0187
31701:001:0188 Laudataguse
31701:005:0340 Kohila tee 21
31701:005:0250 Tuuleveski tee 7
31701:005:0920 Kohila tee 13
31701:001:1141 Pärdipõllu
31701:001:1142 Varsakopli
31701:005:0470 Kohila tee 19
31701:005:0223 Kohila tee 15
31701:001:0439 Vanakooli
31701:005:0510 Kohila tee 17
31701:005:0222 Nurm
ekõivu
Lauda
31701:001:2180
11220 Kernu-Kohila tee
EL-01-11 EL-01-12
EL-01-13
EL-01-14
M60 M1 M2
M3
M4
M5
M6
M7
M8
M9
Demonteerida KP õhuliini kaabel koos mastidega - AS-35 L=405m (TRASS) - Raudbetoon mast 3tk - Raudbetoon masti tugi 3tk - Puitmast 6tk - Puitmasti tugi 1tk
+T R
+K P
+M PS
+M P
-T1
2N 2U
2V 2W 1W
1V
1U
-M EB
+K PS
+.K 03
+.K 01
+.K 05
Projekteeritud 24kV maakaabel - Nr: KPL220573 (AJ14233 <-->M60) - AHXAMK-W 3x240+35, LKAABEL=490m, LTRASS= 453m - Samasse trassi paigaldada reservtoru D160 - 2x(AJ14233<-->A D160 450N, LTORU=177m, LTRASS= 172m) - 2x(A<-->B D160 750N, LTORU=241m, LTRASS= 233m) - 2x(B<-->C D160 1250N, LTORU=12m, LTRASS= 10m) - 2x(C<-->M60 D160 750N, LTORU=40m, LTRASS= 38m) - Sügavus: min 1m
A
Demonteerida AJ Hageri hooldekodu:(Kohila) - Demonteerida trafo 400kVA - Demonteerida alajaama seadmed ja juhtmestik (kuni 1m sügavuselt demonteeritava alajaama alt materjalid/seadmed eemaldada) - Konsentraator ja arvesti tõsta ümber projekteeritavasse alajaama AJ14233 - Olemasolevad 0,4kV ühendused taastada vastavalt elektriskeemile (Joonis EL-03)
Projekteeritud komplektalajaam "AJ14233" 1VM630kVA (Vt. joonis EL-03, EL-05) - Maandustakistus tagada R≦4,0 oomi; - Olemasoleva maapinna kõrgus: +65.61 (ligikaudne) - Alajaama 0-punkti kõrgus: +61.91 - Alajaama paigalduspiirkonna kõrgendikud tasandada. - Taastada alajaama ümber lippaed! - Alajaam asendada olemasoleva alajaama kohale. Ehituseks kasutada generaatorit!
B
D
M7
Projekteeritud 0,4kV maakaabel - Nr: MPL404726 (AJ14233<-->JK...) - AXPK4G240, LKAABEL=317m, LTRASS= 296m - AJ14233<-->A D110 450N, LTORU=180m, LTRASS= 173m - A<-->M17 D110 750N, LTORU=127m, LTRASS= 123m - Sügavus: min 1m
Projekteeritud 24kV maakaabel - Nr: KPL220574 (AJ14233 <-->AJ7803) - AHXAMK-W 3x120+35, LKAABEL=1081m, LTRASS= 1021m - AJ14233<-->A D160 450N, LTORU=177m, LTRASS= 171m - A<-->B D160 750N, LTORU=170m, LTRASS= 165m - B<-->C D160 1250N, LTORU=37m, LTRASS= 32m - C<-->D D160 1250N, LTORU=42m, LTRASS= 37m - D<-->E D160 450N, LTORU=74m, LTRASS= 72m - E<-->F D160 1250N, LTORU=10m, LTRASS= 9m - F<-->G D160 450N, LTORU=38m, LTRASS= 37m - G<-->H D160 750N, LTORU=5m, LTRASS= 4m - H<-->I D160 450N, LTORU=137m, LTRASS= 133m - I<-->J D160 750N, LTORU=167m, LTRASS= 162m - J<-->K D160 1250N, LTORU=13m, LTRASS= 12m - K<-->L D160 750N, LTORU=41m, LTRASS= 40m - L<-->M D160 1250N, LTORU=37m, LTRASS= 35m - M<-->N D160 750N, LTORU=16m, LTRASS= 15m - N<-->O D160 1250N, LTORU=90m, LTRASS= 85m - O<-->P D160 1250N, LTORU=12m, LTRASS= 10m - P<-->AJ7803 D160 450N, LTORU=20m, LTRASS= 18m - Sügavus: min 1m
E
F
G
H
J K
O
P
Projekteeritud 24kV maakaabel - Nr: KPL220574 (AJ14233 <-->AJ7803) - AHXAMK-W 3x120+35, LKAABEL=1081m, LTRASS= 1021m - AJ14233<-->A D160 450N, LTORU=177m, LTRASS= 171m - A<-->B D160 750N, LTORU=170m, LTRASS= 165m - B<-->C D160 1250N, LTORU=37m, LTRASS= 32m - C<-->D D160 1250N, LTORU=42m, LTRASS= 37m - D<-->E D160 450N, LTORU=74m, LTRASS= 72m - E<-->F D160 1250N, LTORU=10m, LTRASS= 9m - F<-->G D160 450N, LTORU=38m, LTRASS= 37m - G<-->H D160 750N, LTORU=5m, LTRASS= 4m - H<-->I D160 450N, LTORU=137m, LTRASS= 133m - I<-->J D160 750N, LTORU=167m, LTRASS= 162m - J<-->K D160 1250N, LTORU=13m, LTRASS= 12m - K<-->L D160 750N, LTORU=41m, LTRASS= 40m - L<-->M D160 1250N, LTORU=37m, LTRASS= 35m - M<-->N D160 750N, LTORU=16m, LTRASS= 15m - N<-->O D160 1250N, LTORU=90m, LTRASS= 85m - O<-->P D160 1250N, LTORU=12m, LTRASS= 10m - P<-->AJ7803 D160 450N, LTORU=20m, LTRASS= 18m - Sügavus: min 1m
31701:005:0870 Puhastusseadm
e
31701:005:0007 Tuuleveski tee 4
31701:001:1211 Härjasilm
a
31701:001:1509 Kuriste tee L1
31701:001:1108 M
eierei tee 6
31701:005:0069 M
eierei tee 5
31701:005:0890 M
eierei tee 4
31701:005:0950 M
eierei tee 3
31701:005:0936 Tuuleveski alajaam
31701:005:0170 Tuuleveski tee 6
M37
Projekteeritud 24kV maakaabel
- Nr: KPL220575 (HK2042 <-->M 37)
- AHXAM K-W
3x50+35, LKAABEL =781m, LTRASS = 731m
- D160 450N, LTORU =752m, LTRASS = 731m
- Sügavus: min 1m
Projekteeritud 24kV maakaabel
- Nr: KPL220575 (HK2042 <-->M 37)
- AHXAM K-W
3x50+35, LKAABEL =781m, LTRASS = 731m
- D160 450N, LTORU =752m, LTRASS = 731m
- Sügavus: min 1m
Projekteeritud KP harukilp HK2042
- Kilp paigaldada Tuuleveski tee 6 kinnistule;
- Kilbi tüüp: Sokliga pinnases, In=630A+märketulp
- Kilbi kõrgusmärk: +62.04
- Uks avaneb sissesõidu tee suunas.
Ol. o. KP kaabel AHXAM K-W
3x120+35 (nr: 93802)
- Olemasolev KP kaabel
- Teha kaablile sisselõige ja ühendada proj. KP harukilpi
(nr: HK2042);
Ol. o. KP kaabel AHXAM K-W
3x120+35 (nr: 93802)
- Olemasolev KP kaabel
- Teha kaablile sisselõige ja ühendada proj. KP harukilpi
(nr: HK2042);
- Uus kaabli number KPL228102
- Pikendada kaablit jätkumuhviga
Olemasolev alajaam AJ Sirle
KP JM 1
M7
M8
M9
M10
M11
M12
M13
M24 M24A M25 M26
M27
M28
M29
M30
M31
M32
M33
M34
M35
M36
M23M22 M16
M1
M1
XX
X X
X X
X X
X X
X X
X X
X X
X X
X X
X X
X X
X X
X X
X X
X X
X X
X X
X X
X X
X X
X
31701:001:2567 Lauda alajaam
Demonteeritav õhuliinikaabel 3 CCCST ASCR 99 LTRASS=613m AJ Hageri lauda-M13 - Demonteerida puitmastid: 7tk - Demonteerida masti toed (puit): 2tk - Demonteerida tõmmitsad: 4tk
Demonteeritav õhuliinikaabel AS-50 LTRASS=1011m Aj Sirle-M13 Demonteeritav õhuliinikaabel AS-25 LTRASS=276m Aj Tiiu-M13 - Demonteerida puitmastid: 13tk - Demonteerida masti toed (puit): 2tk - Demonteerida raudbetoonmastid: 5tk - Demonteerida masti toed (raudbetoon): 6tk
Demonteeritav Madalpinge õhuliini kaabel AMKA 3x70+50 aljaama ja MP masti M1 vahel LTRASS=9m
Tööst väljaminev kaabel - AJ7803<-->KP mast M24A
Demonteerida AJ Tiiu:(Kohila) - Demonteerida trafo 63KVA - Demonteerida alajaama seadmed ja juhtmestik (kuni 1m sügavuselt demonteeritava alajaama alt materjalid/seadmed eemaldada) - Demonteerida arvesti ja kontsentraator
C B
1W1 1W1 1W1 1W1 1W1
1W1
1W1
1W1
1W1
1W1 1W1
1W1 1W1
1W1
1W1 1W1
1W1 1W1
1W1 1W1
1W1
1W1
1W 1
1W 1
1W 1
1W 1
1W 1
1W 1
1W1 1W1 1W1 1W1 1W1 1W1 1W1 1W1 1W1 1W1
31701:005:0280 Kuriste tee 10
N
ETTEVAATUST! Sidekaabel!
ETTEVAATUST! MP kaabel!
ETTEVAATUST! Kanalisatsiooni toru!
ETTEVAATUST! Vee toru!
ETTEVAATUST! Taastada aed! ETTEVAATUST! Sidekaabel!
ETTEVAATUST! Sidekaabel!
ETTEVAATUST! Sadevee kanalisatsiooni toru!
ETTEVAATUST! Trass kulgeb sidekaabli kõrval!
Puurimismasina paiknemisala! Peale puurimist taastada muruplats!
Puurimiskaevik!D160-1250N kaitsetoru LTRASS=37m LTORU=42m (vt. Ristmevälja joonis R1) NB! ENNE PUURIMIST TEHA KINDLAKS RISTUVATE TRASSIDE SÜGAVUSED
Ristumine kinnisel meetodil! D160-1250N kaitsetoru LTRASS=9m LTORU=10m Sügavus min 1m
ETTEVAATUST! Sidekaabel!
ETTEVAATUST! Sidekaabel!
ETTEVAATUST! MP kaabel!
ETTEVAATUST! MP ja KP kaabel!
Ristumine kinnisel meetodil! D160-1250N kaitsetoru LTRASS=12m LTORU=13m Sügavus min 1m
Ristumine kinnisel meetodil! D160-1250N kaitsetoru LTRASS=33m LTORU=35m Sügavus min 1m
Ristumine kinnisel meetodil! D160-1250N kaitsetoru LTRASS=12m LTORU=10m Sügavus min 1m
Puurimismasina paiknemisala!
Puurimiskaevik!
Puurimismasina paiknemisala!
Puurimiskaevik!
ETTEVAATUST! Sidekaabel!
ETTEVAATUST! Veetoru!
Puurimismasina paiknemisala!
Puurimiskaevik!
Puurimismasina paiknemisala!
Puurimiskaevik!
ETTEVAATUST!
Truup!
Kaabel paigaldada truubi alt!
2xD160-1250N kaitsetoru LTRASS=12m LTORU=10m
ETTEVAATUST! Veetoru!
ETTEVAATUST! Kanalisatsioonitrass!
ETTEVAATUST! Projekteeritud MP kaabel!
ETTEVAATUST! Veetrass!
ETTEVAATUST! Veetrass!
ETTEVAATUST! Veetrass!
ETTEVAATUST! Sidekaabel!
ETTEVAATUST! Veetrass!
ETTEVAATUST! Sidekaabel!
ETTEVAATUST! Veetrass!
ML
ETTEVAATUST! ELA SA sidetrass!
ETTEVAATUST! Sidekaabel!
ETTEVAATUST! Sidekaabel!
ETTEVAATUST! Veetoru!
Puurimismasina paiknemisala!
Ristumine kinnisel meetodil! (Vt. Ristmevälja joonis R2) D160-1250N kaitsetoru LTRASS=35m LTORU=37m Sügavus min 1m NB! ENNE PUURIMIST TEHA KINDLAKS RISTUVATE TRASSIDE SÜGAVUSED
ETTEVAATUST! Veetoru!
Puurimiskaevik!
Ristumine kinnisel meetodil! D160-1250N kaitsetoru LTRASS=52m LTORU=55m Sügavus min 1m
C
ETTEVAATUST! Sidekaabel!
I
XXXXXXXXXXXXXXXXXXXXXXXXXXXXXXXXXXXXXXXXXXXXXXXXX
Demonteeritav Madalpinge õhuliini kaabel AMKA 3x50+70 masti M1 ja M12 vahel LTRASS=102m Demonteerida RB mastid M10 ja M11 Mastile M12 paigaldada tõmmits
M10M11M12
Mastile M12 paigaldada tõmmits!
Demonteeritav Madalpinge õhuliini kaabel AMKA 3x50+70 masti M1 ja M12 vahel LTRASS=102m Demonteerida RB mastid M10 ja M11 Mastile M12 paigaldada tõmmits
Projekteeritud jaotuskilp - Nr:JK... - Kõrgusmärk: 63.23 - Olemasolevatele MP kaablid ühendada proj. jaotuskilpi - Jaotuskilp paigaldada proj. Liitumiskilbi 124032LK kõrvale, eest vaadatult paremale! - Taastada olemasoleva LK toide!
Projekteeritud 0,4kV maakaabel - Nr: MPL404726 (JK...<-->MP M7) - AXPK4G240, LKAABEL=217m, LTRASS= 198m - JK...<-->B D110 750N, LTORU=46m, LTRASS= 43m - B<-->C D110 1250N, LTORU=18m, LTRASS= 17m - C<-->D D110 1250N, LTORU=42m, LTRASS= 37m - D<-->E D110 750N, LTORU=75m, LTRASS= 72m - E<-->F D110 1250N, LTORU=10m, LTRASS= 9m - F<-->M7 D110 450N, LTORU=21m, LTRASS= 20m - Sügavus: min 1m (teekatte all vastavalt ristmevälja joonisele R1)
2W22W22W22W22W22W22W22W2 2W22W22W22W22W22W22W22W22W22W22W22W2
2W 2
2W 2
2W 2
2W 2
2W 2
2W 2
2W 2
2W 2
2W 2
2W 2
2W 2
2W 2
2W 2
2W 2
2W 2
2W 2
2W 2
2W2 2W2
2W2 2W2
2W2 2W2
2W2
2W2
2W2
2W2
2W22W22W22W22W22W22W22W22W22W22W22W22W22W22W2
2W 2
2W 2
2W 2
2W 2
2W 2
2W 2
2W2
2W2 2W2
2W2 2W2
2W2 2W2
2W2
2W22W22W22W22W22W22W22W22W2
D160-1250N kaitsetoru LTRASS=18m LTORU=17m (vt. Ristmevälja joonis R3)
Puurimiskaevik!
Puurimismasina paiknemisala!
Puurimiskaevik!
Kuupäev Töö nr.
Tellija:
Muudatus Kuupäev
MõõtkavaJoonise nr.
Staadium Koostas
23_3619_TP_EL-01_ASEND_240104_HT
LehtJoonis:
Töö nimetus:
Aadress:
Elektritööde reg. nr.: EL10360030-0001
Salve 2a Tallinn 11612 Tel: (+372) 6 701 066 www.eservice.ee
Kontrollis Proj. kood
H. Turja Tööprojekt
04.01.2024 23_3619
Elektrilevi OÜ
H. Turja IP6010
15/16
Kohila vald, Rapla maakond
Asendiplaan
Kohila -Adila 10kV fiidri rekonstrueerimine
EL-01 1:2000 /-
MÄRKUSED: 1) Projekt on koostatud lähtuvalt Elektrilevi OÜ lähteülesandest nr: IP6010. 2) Projekti asendiplaani koostamiseks on kasutatud: - Geoalus OÜ poolt koostatud geodeetilist asendiplaani nr: 23-G444; kuup.: 04.01.2024 (koordinaadid L-EST97 ja kõrgused EH2000 süsteemis - Webmap lihtalus 3) Õhu- ja maakaabelliinide pikkused on asendiplaanile märgitud trassipikkustena (kogupikkused vt. elektrilisel skeemil Joonis EL-02 ja EL-03).
Olemasolev puitmast Olemasolev masti tugi Olemasolev mast (raudbetoon)
Olemasolev kinnistupiir X X X X X X X X X X X X Demontaaž
Olemasolev 24kV maakaabelliin Olemasolev keskpinge õhuliin
TINGMÄRGID
Olemasolev 0,4kV maakaabelliin Olemasolev 0,4kV õhuliin
10 0
31701:006:1090 20103 Pihali-Adila-Rabivere tee
31 70
1: 00
6: 11
55
Pih ali
al aja
am M129H4 1W
1
1W 1
1W 1
1W 1
1W 1
1W 1
1W1
1W1
1W1
1W1
1W1
1W1
1W1
1W1
1W1
1W1
1W1
1W1
1W1
1W1
1W1
1W1
1W1
1W 1
1W 1
1W 1
1W 1
1W 1
1W 1
1W 1
1W 1
1W 1
1W 1
1W 1
31 70
1: 00
1: 18
52
Pä rtl
e
Projekteeritud mastalajaam AJ14234. (Paigaldada lõputraavers) Paigaldada uus trafo 100kVA 21(10,5)/0,41 kV Paigaldada 0,4 kV JS kilp
Projekteeritud 0,4kV maakaablid - Nr: MPL404723 (AJ14234<-->M1) - AXPK4G120, LKAABEL=23m, LTRASS= 12m - D110 450N, LTORU=14m, LTRASS= 12m - Sügavus: min 0,7m - Nr: MPL404724 (AJ14234<-->M1) - AXPK4G120, LKAABEL=23m, LTRASS= 12m - D110 450N, LTORU=14m, LTRASS= 12m - Sügavus: min 0,7m
Olemasolev RB mast koos toega M1 - Hargnemisklemmid 6xSLIW54 - Hargnemisklemm 2xSL9.21+kate - Maakaabli kinnitusdetailid RB mastile 2kmpl - Maakaabli kaitserenn 2xL=2,2m - Mastil kurepesa
Olemasolev RB mast koos toega M1 - Hargnemisklemmid 3xSLIW54 - Hargnemisklemm SL9.21+kate - Maakaabli kinnitusdetailid RB mastile - Maakaabli kaitserenn L=2,2m
M129H5
M1M1
M1
Projekteeritud 0,4kV maakaablid - Nr: MPL404722 (AJ14234<-->M1) - AXPK4G120, LKAABEL=20m, LTRASS= 9m - D110 450N, LTORU=11m, LTRASS= 9m - Sügavus: min 0,7m
Olemasolev RB mast koos toega M1 - Hargnemisklemmid 3xSLIW54 - Hargnemisklemm SL9.21+kate - Maakaabli kinnitusdetailid RB mastile - Maakaabli kaitserenn L=2,2m - Mastil kurepesa
Projekteeritud 0,4kV maakaablid - Nr: MPL404725 (AJ14234<-->M1) - AXPK4G120, LKAABEL=29m, LTRASS= 16m - D110 450N, LTORU=18m, LTRASS= 16m - Sügavus: min 0,7m
Demonteerida AJ Pihali:(Kohila) - Demonteerida trafo 100KVA - Demonteerida alajaama seadmed ja juhtmestik (kuni 1m sügavuselt demonteeritava alajaama alt materjalid/seadmed eemaldada) - Arvesti ja kontsentraator tõsta ümber projekteeritavasse alajaama AJ14234
Kuupäev Töö nr.
Tellija:
Muudatus Kuupäev
MõõtkavaJoonise nr.
Staadium Koostas
23_3619_TP_EL-01_ASEND_240104_HT
LehtJoonis:
Töö nimetus:
Aadress:
Elektritööde reg. nr.: EL10360030-0001
Salve 2a Tallinn 11612 Tel: (+372) 6 701 066 www.eservice.ee
Kontrollis Proj. kood
H. Turja Tööprojekt
04.01.2024 23_3619
Elektrilevi OÜ
H. Turja IP6010
16/16
Kohila vald, Rapla maakond
Asendiplaan
Kohila -Adila 10kV fiidri rekonstrueerimine
EL-01 1:250 /A3
MÄRKUSED: 1) Projekt on koostatud lähtuvalt Elektrilevi OÜ lähteülesandest nr: IP6010. 2) Projekti asendiplaani koostamiseks on kasutatud: - Geoalus OÜ poolt koostatud geodeetilist asendiplaani nr: 23-G444; kuup.: 04.01.2024 (koordinaadid L-EST97 ja kõrgused EH2000 süsteemis - Webmap lihtalus 3) Õhu- ja maakaabelliinide pikkused on asendiplaanile märgitud trassipikkustena (kogupikkused vt. elektrilisel skeemil Joonis EL-02 ja EL-03).
TINGMÄRGID
Projekteeritud 0,4kV maakaabel kaitsetorus1W1
Olemasolev kinnistupiir
Olemasolev 0,4kV maakaabelliin Olemasolev 0,4kV õhuliin
Olemasolev 10kV õhuliin Olemasolev raudbetoonmast
100 Projekteeritud mastalajaam
Projekteeritud BLL62 õhuliin
31701:001:0613
Kohila tee 3
31701:005:0500 Kuriste tee 6
31701:005:0959 Kohila tee 5
31701:005:0120 Kohila tee 11
31701:005:0650 Kohila tee 931701:005:0005
Kohila tee 8
31701:005:0023 Kohila tee 10
31701:005:0021 O
ru 31701:001:0611 Kiriku tee L2
31701:005:0430 Vaino
31701:005:0050 Ernitsa31701:005:0581
Ülevainu
31701:005:0302 M
äeküla
31701:005:0012 Ann-M
ai
31701:001:0608 Pargi tänav
31701:005:0301 M
äeküla
31701:005:0410 Kohila tee 6
31701:005:0985 Kohila tee 4
31701:005:0033 Kiriku tee 1
31701:001:1496 Kohila tee 4a
31701:005:0480
31701:005:0820 11220 Kernu-Kohila tee
31701:005:0985 Kohila tee 4
31701:005:0985 Kohila tee 4
31701:005:0830 20101 Hageri-Kodila-Kuusiku tee
X X
X X
X X
X X
X XXXXXXXXXXXXXXXXXXXXXXXXXXXXXXXXXXXXXXXXXXXXXXXXXXXXXXXXXXXXXXXXXXXXXXXXXXXXXXXXXXXXXXXXXXXXXXXXXXXXXXXXXXXXXXXXXXXXXXXXXXXXXXXXXXXXXXXXXXXXXXXXXXXXXXXXXXXXXXXXXXXXXXXXXXXXXXXXXXXXXXXXXXXXXXXXXXXXXXXXXXXXXXXXXXXXXXXXXXXXXXXXXXXXXXXXXXXXXXXXXXXXXXXXXXXXXXXXXXXXXXXXXXXXXXXXXXXXXXXXXXXXXXXXXXXXXXXXXXXXXXXXXXXXXXXXXXXXXXXXXXXXXXXXXXXXXXXXXXXXXXXXXXXXXXXXXXXXXXXXXXXXXXXXXXXXXXXXXXXXXXXXXXXXXXXXXXX
1W2 1W2 1W2 1W2 1W2 1W2 1W2 1W2 1W2 1W2 1W2 1W2 1W2 1W2 1W2 1W2 1W2 1W2 1W2 1W2 1W2
31701:005:0920 Kohila tee 13
M60 M1 M2
M3
M4
M5
M6
M7
M8
M9
Demonteerida KP õhuliini kaabel koos mastidega - AS-35 L=405m (TRASS) - Raudbetoon mast 3tk - Raudbetoon masti tugi 3tk - Puitmast 6tk - Puitmasti tugi 1tk
+T R
+K P
+M PS
+M P
-T 1
2N
2U
2V 2W 1W
1V
1U
-M EB
+K PS
+. K0
3
+. K0
1
+. K0
5
Projekteeritud 24kV maakaabel - Nr: KPL220573 (AJ14233 <-->M60) - AHXAMK-W 3x240+35, LKAABEL=490m, LTRASS= 453m - Samasse trassi paigaldada reservtoru D160 - 2x(AJ14233<-->A D160 450N, LTORU=177m, LTRASS= 172m) - 2x(A<-->B D160 750N, LTORU=241m, LTRASS= 233m) - 2x(B<-->C D160 1250N, LTORU=12m, LTRASS= 10m) - 2x(C<-->M60 D160 750N, LTORU=40m, LTRASS= 38m) - Sügavus: min 1m
A
Demonteerida AJ Hageri hooldekodu:(Kohila) - Demonteerida trafo 400kVA - Demonteerida alajaama seadmed ja juhtmestik (kuni 1m sügavuselt demonteeritava alajaama alt materjalid/seadmed eemaldada) - Konsentraator ja arvesti tõsta ümber projekteeritavasse alajaama AJ14233 - Olemasolevad 0,4kV ühendused taastada vastavalt elektriskeemile (Joonis EL-03)
Projekteeritud komplektalajaam "AJ14233" 1VM630kVA (Vt. joonis EL-03, EL-05) - Maandustakistus tagada R≦4,0 oomi; - Olemasoleva maapinna kõrgus: +65.61 (ligikaudne) - Alajaama 0-punkti kõrgus: +61.91 - Alajaama paigalduspiirkonna kõrgendikud tasandada. - Taastada alajaama ümber lippaed! - Alajaam asendada olemasoleva alajaama kohale. Ehituseks kasutada generaatorit!
B
D
Projekteeritud 0,4kV maakaabel - Nr: MPL404726 (AJ14233<-->JK67888) - AXPK4G240, LKAABEL=317m, LTRASS= 296m - AJ14233<-->A D110 450N, LTORU=180m, LTRASS= 173m - A<-->M17 D110 750N, LTORU=127m, LTRASS= 123m - Sügavus: min 1m
Projekteeritud 24kV maakaabel - Nr: KPL220574 (AJ14233 <-->AJ7803) - AHXAMK-W 3x120+35, LKAABEL=1082m, LTRASS= 1022m - AJ14233<-->A D160 450N, LTORU=177m, LTRASS= 171m - A<-->B D160 750N, LTORU=170m, LTRASS= 165m - B<-->C D160 1250N, LTORU=37m, LTRASS= 32m - C<-->D D160 1250N, LTORU=42m, LTRASS= 37m - D<-->E D160 450N, LTORU=74m, LTRASS= 72m - E<-->F D160 1250N, LTORU=10m, LTRASS= 9m - F<-->G D160 450N, LTORU=39m, LTRASS= 38m - G<-->H D160 750N, LTORU=5m, LTRASS= 4m - H<-->I D160 450N, LTORU=137m, LTRASS= 133m - I<-->J D160 750N, LTORU=167m, LTRASS= 162m - J<-->K D160 1250N, LTORU=13m, LTRASS= 12m - K<-->L D160 750N, LTORU=41m, LTRASS= 40m - L<-->M D160 1250N, LTORU=37m, LTRASS= 35m - M<-->N D160 750N, LTORU=16m, LTRASS= 15m - N<-->O D160 1250N, LTORU=90m, LTRASS= 85m - O<-->P D160 1250N, LTORU=12m, LTRASS= 10m - P<-->AJ7803 D160 450N, LTORU=20m, LTRASS= 18m - Sügavus: min 1m
E
F
C B
1W1 1W1 1W1 1W1 1W1
1W1
1W1
1W1
1W1
1W1 1W1
1W1 1W1
1W1 1W1
1W1 1W1
1W1 1W1
1W1
1W1
1W 1
1W 1
1W 1
1W 1
1W 1
1W 1
1W1 1W1 1W1 1W1 1W1 1W1 1W1 1W1 1W1 1W1
ETTEVAATUST! Sidekaabel!
ETTEVAATUST! MP kaabel!
ETTEVAATUST! Kanalisatsiooni toru!
ETTEVAATUST! Vee toru!
ETTEVAATUST! Taastada aed! ETTEVAATUST! Sidekaabel!
ETTEVAATUST! Sidekaabel!
ETTEVAATUST! Sadevee kanalisatsiooni toru!
ETTEVAATUST! Trass kulgeb sidekaabli kõrval!
Puurimismasina paiknemisala! Peale puurimist taastada muruplats!
Puurimiskaevik!D160-1250N kaitsetoru LTRASS=37m LTORU=42m (vt. Ristmevälja joonis R1) NB! ENNE PUURIMIST TEHA KINDLAKS RISTUVATE TRASSIDE SÜGAVUSED
Ristumine kinnisel meetodil! D160-1250N kaitsetoru LTRASS=9m LTORU=10m Sügavus min 1m
ETTEVAATUST! Sidekaabel!
ETTEVAATUST! Sidekaabel!
Puurimismasina paiknemisala!
Puurimiskaevik!
2xD160-1250N kaitsetoru LTRASS=12m LTORU=10m
ETTEVAATUST! ELA SA sidetrass!
ETTEVAATUST! Sidekaabel!
C
XXXXXXXXXXXXXXXXXXXXXXXXXXXXXXXXXXXXXXXXX
M10M11M12
Mastile M12 paigaldada tõmmits!
Demonteeritav Madalpinge õhuliini kaabel AMKA 3x50+70 masti M1 ja M12 vahel LTRASS=102m Demonteerida RB mastid M10 ja M11 Mastile M12 paigaldada tõmmits
Projekteeritud jaotuskilp - Nr:JK67888 - Kõrgusmärk: 63.23 - Olemasolevatele MP kaablid ühendada proj. jaotuskilpi - Jaotuskilp paigaldada proj. Liitumiskilbi 124032LK kõrvale, eest vaadatult paremale! - Taastada olemasoleva LK toide!
Projekteeritud 0,4kV maakaabel - Nr: MPL423848 (JK67888<-->MP M7) - AXPK4G240, LKAABEL=217m, LTRASS= 198m - JK67888<-->B D110 750N, LTORU=46m, LTRASS= 43m - B<-->C D110 1250N, LTORU=18m, LTRASS= 17m - C<-->D D110 1250N, LTORU=42m, LTRASS= 37m - D<-->E D110 750N, LTORU=75m, LTRASS= 72m - E<-->F D110 1250N, LTORU=10m, LTRASS= 9m - F<-->M7 D110 450N, LTORU=21m, LTRASS= 20m - Sügavus: min 1m (teekatte all vastavalt ristmevälja joonisele R1)
2W 2
2W 2
2W2 2W2
2W2 2W2
2W2
2W2
2W2
2W2
2W22W22W22W22W22W22W22W22W22W22W22W22W22W22W2
2W 2
2W 2
2W 2
2W 2
2W 2
2W 2
2W2
2W2 2W2
2W2 2W2
2W2 2W2
2W2
D160-1250N kaitsetoru LTRASS=18m LTORU=17m (vt. Ristmevälja joonis R3)
Puurimiskaevik!
Puurimismasina paiknemisala!
Puurimiskaevik!
- Olemasolev kaabel - Uus Nr: MPL423849 (JK67888<-->MP M17) - AXPK4G70 - Kaabel tõsta ümber proj. jaotuskilpi JK67888
M17
65.00 64.00 63.00 62.00 61.00 60.00 59.00
66.00
La ht
ise ka
ev ik
u al
a
La ht
ise ka
ev ik
u al
a
Sõ id
ut ee
Ristmevälja joonis R1 Ristumine 31701 Kernu-Kohila teega
1:250
1, 85
6,11
36,57 4,
44 (m
in . 2
,2 m
)
2, 08
1, 65
O l.
o. si
de ka
ab el
Sü ga
vu s o
rie nt
. 1 m
KÜ p
iir
O l.
o. si
de ka
ab el
Sü ga
vu s o
rie nt
. 1 m
1W2 1W2
2, 01
1
1, 03
31701:005:0820 11220 Kernu-Kohila tee 31701:005:0120
Kohila tee 11
3, 88
(m in
. 2 ,2
m )
2, 21
O l.
o. S
K to
ru D
=5 60
Sü ga
vu s 6
3. 00
2, 68
O l.
o. E
LA S
A sid
ek aa
be l
Sü ga
vu s o
rie nt
. 1 m
2, 77
(m in
. 2 ,2
m )
KÜ p
iir
2, 36
O l.
o. T
V ka
ab el
Sü ga
vu s o
rie nt
. 1 m
31701:005:0830 20101 Hageri-Kodila-Kuusiku tee
1W1
1W1 1W1 1W1
1W 1
2W2
2W22W22W2
2W2
M17
Kuupäev Töö nr.
Tellija:
Muudatus Kuupäev
MõõtkavaJoonise nr.
Staadium Koostas
23_3619_TP_EL-01_ASEND_240104_HT
LehtJoonis:
Töö nimetus:
Aadress:
Elektritööde reg. nr.: EL10360030-0001
Salve 2a Tallinn 11612 Tel: (+372) 6 701 066 www.eservice.ee
Kontrollis Proj. kood
H. Turja Tööprojekt
04.01.2024 23_3619
Elektrilevi OÜ
H. Turja IP6010
11/16
Kohila vald, Rapla maakond
Asendiplaan
Kohila -Adila 10kV fiidri rekonstrueerimine
EL-01 1:500 / -
MÄRKUSED: 1) Projekt on koostatud lähtuvalt Elektrilevi OÜ lähteülesandest nr: IP6010. 2) Projekti asendiplaani koostamiseks on kasutatud: - Geoalus OÜ poolt koostatud geodeetilist asendiplaani nr: 23-G444; kuup.: 04.01.2024 (koordinaadid L-EST97 ja kõrgused EH2000 süsteemis 3) Õhu- ja maakaabelliinide pikkused on asendiplaanile märgitud trassipikkustena (kogupikkused vt. elektrilisel skeemil Joonis EL-02 ja EL-03).
TINGMÄRGID Projekteeritud 0,4kV maakaabel kaitsetorus1W1
Olemasolev 0,4kV maakaabelliin Olemasolev keskpinge õhuliin
Olemasolev kanalisatsiooni trass
Projekteeritud 24kV maakaabel kaitsetorus1W2
Olemasolev sadekanalisatsiooni trass
+TR
+KP
+MPS
+MP
-T1
2N
2U
2V
2W 1W
1V
1U
-MEB +KPS
+.K03
+.K01
+.K05
+.K07
+.K08 Projekteeritud alajaam
Projekteeritud 24kV maakaabel (2 kaablit trassis)2W2
Olemasolev kõrgpinge õhuliin
Olemasolev side õhuliin Olemasolev sidekaabel
Olemasolev 0,4kV õhuliin
Olemasolev kinnistupiir Olemasolev vee trass
Puu kaitsevöönd R=2m
Joonis 12
Projekteeritud 450N kaitsetoru Projekteeritud 750N kaitsetoru Projekteeritud 1250N kaitsetoru
31701:001:1895
Harutee
31701:005:0200
Reinholdi
31701:005:0074
Laim ikusauna
31701:005:0330
Saariku
31701:005:0028
Pirni
69,675,580,867,865,262,762,670,4
M13M13H1M13H2M13H3M13H4M13H5M13H6M13H7M13H8
Rekonstrueerida Laimiku10kV haruliin Mastist M13-M13H8 isoleeritud õhuliini juhtmega BLL62 L=555m (trass)
Asendada Traavers
Raie: noored männid 223m2
Asendada kandemast (KRE 11m, 3.kl; rõhttraavers) Paigaldada sädevahemikud
Asendada kandemast (KRE 11m, 3.kl; rõhttraavers)
Asendada kandemast (TAN 11m, 3.kl; rõhttraavers) Ehitada maandus
Asendada kandemast (TAN 11m, 3.kl; rõhttraavers) Paigaldada sädevahemikud
Asendada kandemast (TAN 11m, 3.kl; rõhttraavers)
Asendada kandemast (TAN 11m, 3.kl; rõhttraavers)
Asendada kandemast (TAN 11m, 3.kl; rõhttraavers) Paigaldada sädevahemikud
Asendada Traavers
Ristumine teega Gabariit 7,5m
31701:005:0820
11220 Kernu-Kohila tee
61
62
Ristumine teega
63
64
65
66
67
68
62.7
69
M13H5M13H6
11
70
71
72
73 11
60
7, 55
74
Kuupäev Töö nr.
Tellija:
Muudatus Kuupäev
MõõtkavaJoonise nr.
Staadium Koostas
23_3619_TP_EL-01_ASEND_240104_HT
LehtJoonis:
Töö nimetus:
Aadress:
Elektritööde reg. nr.: EL10360030-0001
Salve 2a Tallinn 11612 Tel: (+372) 6 701 066 www.eservice.ee
Kontrollis Proj. kood
H. Turja Tööprojekt
04.01.2024 23_3619
Elektrilevi OÜ
H. Turja IP6010
2/16
Kohila vald, Rapla maakond
Asendiplaan
Kohila -Adila 10kV fiidri rekonstrueerimine
EL-01 1:1000 / -MÄRKUSED: 1) Projekt on koostatud lähtuvalt Elektrilevi OÜ lähteülesandest nr: IP6010. 2) Projekti asendiplaani koostamiseks on kasutatud: - Geoalus OÜ poolt koostatud geodeetilist asendiplaani nr: 23-G444; kuup.: 04.01.2024 (koordinaadid L-EST97 ja kõrgused EH2000 süsteemis 3) Õhu- ja maakaabelliinide pikkused on asendiplaanile märgitud trassipikkustena (kogupikkused vt. elektrilisel skeemil Joonis EL-02 ja EL-03).
TINGMÄRGID
Olemasolev madalpinge õhuliin Olemasolev keskpinge õhuliin
Projekteeritud puitmast Projekteeritud BLL62 õhuliin
Olemasolev kinnistupiir
Olemasolev puitmast Olemasolev raudbetoonmast
Raieala
X X X X X X X X X X X
36301:001:0910 Kaarlipõllu
36301:001:0184 Lillendi
36301:001:0302 Huntaugu
36301:001:0001 Jõenurme
33801:001:1040 Ülase
36301:001:0503 Habaja-Triigi tee L1
36301:001:0385 Vanaveski
33801:001:1014 Sigala
36301:001:0249 Karu
36301:001:0143 14 Kose-Purila tee
36301:001:0222 Kose mnt 4
33801:001:0135 Veskimaja
36301:001:0383 Väikeveski
36301:001:0177 Kose mnt 1
36301:001:0174 Kose mnt 3
33801:001:0494 Kose mnt 5
M43
M42
M41
M40
M39
M38
M37 M36
M35 M34
M33 M32
M31 M30
M29
123,3
119,1 106,4
109,3 108,1
108,3 110,5
110,8
M28
108,3
111,2
109,9
118,2
106,1
52,6
M38H2
M38H1
M38H3
M38H4
M38H5
M38H6
M38H8
M38H7
M38H9
M38H10 72,9
77,2
84,3
89,3
92
89,1
94,4 74,3
98,8
6,8
114
24°
12°
80°
29°
M29A
36301:001:0028
36301:001:0169 Kose mnt 4a
36301:001:0267 Kose mnt 6
36301:001:0291
33801:001:1275 Kose maantee L1
Mõisa tee 6
Mõisatalli
Sigala 33801:001:1014
1W2
1W21W2
1W2
Asendada lõpumast ja paigaldada tugi (AJ Saareveski) (KRE 11m, 4.kl;tugi 11m, 3.kl; Lõputraavers) Tõsta ümber mastalajaama seadmed uuele mastile!
Asendada traavers (ankrutraavers)
Asendada kandemast (KRE 12m, 3.kl; ankrutraavers) Paigaldada sädevahemikud
Asendada kandemast (KRE 11m, 3.kl; rõhttraavers)
Asendada traavers (rõhttraavers) Paigaldada sädevahemikud
Asendada kandemast (KRE 11m, 3.kl; rõhttraavers)
Asendada nurgamast koos toega (KRE 11m, 3.kl; tugi KRE 11m, 3.kl; nurgatraavers)
Asendada kandemast (KRE 11m, 3.kl; rõhttraavers) Paigaldada sädevahemikud
Asendada kandemast (KRE 11m, 3.kl; rõhttraavers)
Asendada kandemast (KRE 11m, 3.kl; rõhttraavers) Tõsta ümber liigpingepiirikud ja lahkkaitsmed
Asendada kandemast (KRE 11m, 3.kl; rõhttraavers) Paigaldada sädevahemikud
Asendada kandemast (KRE 11m, 3.kl; rõhttraavers)
Asendada kandemast (KRE 11m, 3.kl; rõhttraavers)
Asendada kandemast (KRE 11m, 3.kl; rõhttraavers) Paigaldada sädevahemikud
Asendada kandemast koos toega (KRE 11m, 3.kl; Tugi KRE 11m, 3. kl; rõhttraavers)
Asendada kandemast (KRE 11m, 3.kl; rõhttraavers)
Asendada ankrumast (KRE 11m, 3.kl; ankrutraavers) Paigaldada maanduslülitiga koormuslahklüliti (LP17292). Demonteerida olemasolev lahklüliti. Ehitada maandus ja pot. ühtlustusring
Rekonstrueerida 10kV õhuliin M6 - M43 isoleeritud õhuliini juhtmega BLL99 L=4004m (trass)
Rekonstrueerida 10kV õhuliin M38-M38H10 isoleeritud õhuliini juhtmega BLL99 L=786m (trass)
Asendada ankrumast (KRE 11m, 3.kl; ankrutraavers) Paigaldada sädevahemikud
Asendada nurgamast koos toega (KRE 11m, 3.kl; tugi KRE 11m, 3.kl; nurgatraavers)
Asendada kandemast (KRE 11m, 3.kl; ankrutraavers)
Asendada kandemast (KRE 11m, 3.kl; ankrutraavers) Paigaldada sädevahemikud
Asendada kandemast (KRE 11m, 3.kl; ankrutraavers)
Asendada kandemast (KRE 11m, 3.kl; ankrutraavers)
Asendada nurgamast koos toega (KRE 11m, 3.kl; tugi KRE 11m, 3.kl; 2xlõputraavers) Paigaldada sädevahemikud
Asendada nurgamast koos toega (KRE 11m, 3.kl; tugi KRE 11m, 3.kl; nurgatraavers)
Asendada lõpumast koos toega (KRE 11m, 3.kl; tugi KRE 11m, 3.kl; lõputraavers)
Ristumine teega! Gabariit 6,95m
Ristumine teega! Gabariit 6,96m
Ristumine teega! Gabariit 6,95m
Ristumine teega! Gabariit 7,6m
Asendada traavers (lõputraavers)
A
B
D
C
ETTEVAATUST! Vee toru!
ETTEVAATUST! Kanalisatsiooni toru!
D160-1250N kaitsetoru LTRASS=34m LTORU=36m Sügavus min 1m.
D160-1250N kaitsetoru LTRASS=39m LTORU=41m Sügavus min 1m.
72
73
74
75
76
77
78
79
106,1
80
M41
M42
12
81
82
83
84
11
71
6, 95
85
36301:001:0385 Vanaveski
36301:001:0143 14 Kose-Purila tee
36301:001:0383 Väikeveski
72
73
74
75
76
77
78
79
108,3
80 M34 M35
11
81
82
83
11
71
6, 96
70
69
72
73
74
75
76
77
78
79
80
81
82
83
71
70
69
6, 95
M33
11
114
68
69
72
71
74
72,9
75
76
11
M38H10
11
M38H9
70
77
73
78
79
80
7, 62
81
82
83
33801:001:101436301:001:0249
Sigala
36301:001:0028 Karu
36301:001:0222 Kose mnt 4 Mõisa tee 6
Joonis 03
MÄRKUSED: 1) Projekt on koostatud lähtuvalt Elektrilevi OÜ lähteülesandest nr: IP5962. 2) Projekti asendiplaani koostamiseks on kasutatud: - Geoalus OÜ poolt koostatud geodeetilist asendiplaani nr: 23-G446; kuup.: 10.01.2024 (koordinaadid L-EST97 ja kõrgused EH2000 süsteemis 3) Õhu- ja maakaabelliinide pikkused on asendiplaanile märgitud trassipikkustena (kogupikkused vt. elektrilisel skeemil Joonis EL-05 ja EL-07).
Kuupäev Töö nr.
Tellija:
Muudatus Kuupäev
MõõtkavaJoonise nr.
Staadium Koostas
23_3621_TP_EL-01_ASEND_240110_HT_IP5962
LehtJoonis:
Töö nimetus:
Aadress:
Elektritööde reg. nr.: EL10360030-0001
Salve 2a Tallinn 11612 Tel: (+372) 6 701 066 www.eservice.ee
Kontrollis Proj. kood
H. Turja Tööprojekt
10.01.2024 23_3619
Elektrilevi OÜ
H. Turja IP5962
3/8
Kose vald, Harju maakond
Asendiplaan
fiidri rekonstrueerimine Kõue 35-10 PAJ ja Habaja 10kV
EL-01 1:2000 / -
TINGMÄRGID
Olemasolev madalpinge õhuliin Olemasolev keskpinge õhuliin
Projekteeritud puitmast Projekteeritud masti tugi
Projekteeritud BLL99 õhuliin
Olemasolev kinnistupiir
Olemasolev puitmast Olemasolev raudbetoonmast
Joonis 01
Joonis 06
EL-01-16 10
0
31701:006:1090 20103 Pihali-Adila-Rabivere tee
31 70
1: 00
6: 11
55
Pih ali
al aja
am
31 70
1: 00
6: 07
00
In dr
ek u
31 70
1: 00
6: 10
31
M et
sa tu
ka
31 70
1: 00
6: 05
20
M ar
ku se
31 70
1: 00
6: 11
56
La an
e
31 70
1: 00
6: 02
08
Ora se
31 70
1: 00
1: 10
34
M es
ioh ak
a
31 70
1: 00
6: 02
08
Ora se
19 ,6
11 0,
7
12 5,
5
3, 4
70,4
66,7
62,9
74,1
70,2
66,4
72,6
74,5 74,9 72,6
72,7 68,3 68,9 67,2 76,6 65,3
M129H5
M129H4
71
Demonteerida AJ Pihali:(Kohila) - Demonteerida trafo 100KVA - Demonteerida alajaama seadmed ja juhtmestik (kuni 1m sügavuselt demonteeritava alajaama alt materjalid/seadmed eemaldada) - Arvesti ja kontsentraator tõsta ümber projekteeritavasse alajaama AJ14234
20°
Rekonstrueerida Pihali 10kV haruliin Mastist M129-M129H5 isoleeritud õhuliini juhtmega BLL62 L=331m (trass)
Projekteeritud mastalajaam AJ14234. (Paigaldada lõputraavers) Paigaldada uus trafo 100kVA 21(10,5)/0,41 kV Paigaldada 0,4 kV JS kilp
Asendada kandemast (KRE 11m, 3.kl; rõhttraavers)
Asendada kandemast (KRE 11m, 3.kl; rõhttraavers) Paigaldada sädevahemikud
Asendada kandemast (KRE 11m, 3.kl; rõhttraavers)
Asendada kandemast koos toega (KRE 11m, 3.kl; tugi KRE 11m 3. kl; 3xlõputraavers)
Raie: madal võsa 503m2
Asendada traavers koos isolaatoritega. (Rõhttraavers)
Asendada traavers koos isolaatoritega. (Rõhttraavers)
Asendada kandemast (KRE 11m, 3.kl; rõhttraavers) Paigaldada sädevahemikud
Asendada kandemast (KRE 11m, 3.kl; rõhttraavers)
Asendada kandemast (KRE 11m, 3.kl; rõhttraavers)
Asendada traavers koos isolaatoritega. (Rõhttraavers)
Asendada nurgamast koos toega (KRE 11m, 3. kl; tugi KRE 11m, 3. kl; nurgatraavers) Paigaldada sädevahemikud
Asendada traavers koos isolaatoritega. (Rõhttraavers)
Asendada traavers koos isolaatoritega. (Rõhttraavers)
Asendada traavers koos isolaatoritega. (Rõhttraavers) Paigaldada sädevahemikud
Asendada traavers koos isolaatoritega. (Rõhttraavers)
Asendada traavers koos isolaatoritega. (Rõhttraavers)
Asendada traavers koos isolaatoritega. (Rõhttraavers) Paigaldada sädevahemikud
Asendada traavers koos isolaatoritega. (Rõhttraavers)
Asendada traavers koos isolaatoritega. (Rõhttraavers)
Raie: madal võsa 447m2
Raie: madal võsa 41m2
Raie: madal võsa 216m2
Raie: madal võsa 15m2
Rekonstrueerida 10kV õhuliin Mastist M129-M159 isoleeritud õhuliini juhtmega BLL99 L=2205m (trass)
Ristumine teega Gabariit 7,2m
Asendada kandemast koos toega (KRE 11m, 3.kl; tugi KRE 11m 3. kl; Ankrutraavers) Paigaldada sädevahemikud
1W 1
1W1
1W1 1W1
1W1
1W 1
1W 1
31 70
1: 00
1: 18
52
Pä rtl
e
M129H5
129H4
M1
M
57
58
Ristumine teega
59
60
61
62
63
64
74.1
65
M133M132
11
66
67
68
69
11
56
7, 28
70
Kuupäev Töö nr.
Tellija:
Muudatus Kuupäev
MõõtkavaJoonise nr.
Staadium Koostas
23_3619_TP_EL-01_ASEND_240104_HT
LehtJoonis:
Töö nimetus:
Aadress:
Elektritööde reg. nr.: EL10360030-0001
Salve 2a Tallinn 11612 Tel: (+372) 6 701 066 www.eservice.ee
Kontrollis Proj. kood
H. Turja Tööprojekt
04.01.2024 23_3619
Elektrilevi OÜ
H. Turja IP6010
4/16
Kohila vald, Rapla maakond
Asendiplaan
Kohila -Adila 10kV fiidri rekonstrueerimine
EL-01 1:1500 / -
TINGMÄRGID
Olemasolev madalpinge õhuliin Olemasolev keskpinge õhuliin
Projekteeritud puitmast Projekteeritud masti tugi
Projekteeritud BLL62/99 õhuliin
Olemasolev kinnistupiir
Olemasolev puitmast Olemasolev raudbetoonmast
100 Projekteeritud mastalajaam
Raieala
MÄRKUSED: 1) Projekt on koostatud lähtuvalt Elektrilevi OÜ lähteülesandest nr: IP6010. 2) Projekti asendiplaani koostamiseks on kasutatud: - Geoalus OÜ poolt koostatud geodeetilist asendiplaani nr: 23-G444; kuup.: 04.01.2024 (koordinaadid L-EST97 ja kõrgused EH2000 süsteemis 3) Õhu- ja maakaabelliinide pikkused on asendiplaanile märgitud trassipikkustena (kogupikkused vt. elektrilisel skeemil Joonis EL-02 ja EL-03).
Joonis 05
31 70
1: 00
6: 12
16
Oliv er
i
31 70
1: 00
1: 11
36
Va ha
stu m
et sk
on d 2
95
31 70
1: 00
1: 10
84
Noo rte
kü la
31 70
1: 00
1: 11
31
Ku lla
m aa
31 70
1: 00
6: 00
03
Tii gi
31 70
1: 00
6: 10
90
20 10
3 P iha
li- Ad
ila -R
ab ive
re te
e
71,2 73,5 70,8 72,9 66
75 73,8 74,9 73,8 69,5 73,2 69,5
107,1
108,9
88,6
99,3
M145 M146 M147
M148 M149 M150
M151 M152
M153 M154
M155 M156
M157
M158
M159 M110
M109
27°
Asendada traavers koos isolaatoritega. (Rõhttraavers) Paigaldada sädevahemikud
Asendada kandemast (KRE 11m, 3.kl; rõhttraavers)
Asendada traavers koos isolaatoritega. (Rõhttraavers)
Asendada traavers koos isolaatoritega. (Rõhttraavers) Paigaldada sädevahemikud
Asendada traavers koos isolaatoritega. (Rõhttraavers) Paigaldada sädevahemikud Ehitada maandus R ≤ 15 Ω
Asendada kandemast (KRE 11m, 3.kl; rõhttraavers) Paigaldada sädevahemikud Ehitada maandus R ≤ 15 Ω
Asendada kandemast (KRE 11m, 3.kl; rõhttraavers)
Asendada traavers koos isolaatoritega. (Rõhttraavers)
Asendada kandemast (KRE 11m, 3.kl; rõhttraavers) Paigaldada sädevahemikud
Asendada kandemast (KRE 11m, 3.kl; rõhttraavers)
Asendada traavers koos isolaatoritega. (Rõhttraavers)
Asendada traavers koos isolaatoritega. (Rõhttraavers) Paigaldada sädevahemikud
Asendada nurgamast koos toega (KRE 11m, 3. kl; tugi KRE 11m, 3. kl; nurgatraavers)
Asendada kandemast (KRE 11m, 3.kl; akrutraavers)
Asendada traavers (Lõputraavers)
Rekonstrueerida 10kV õhuliin Mastist M129-M159 isoleeritud õhuliini juhtmega BLL99 L=2205m (trass)
Ristumine MP õhuliiniga Gabariit 3m 0,4kV mastidele Ehtada maandus R ≤ 30 Ω
2,5m Ristumine MP õhuliiniga Gabariit 2,6 m
Ristumine teega Gabariit 7,3m
Ristumine teega Gabariit 6,8m
57
58
Ristumine teega
59
60
61
62
63
64
73.5
65
M147
M146
11
66
67
68
69 11
56
7, 35
70
57
58
Ristumine madalpinge õhuliiniga
59
60
61
62
63
64
66
65
M150 M149
11
66
67
68
69
11
2, 65
70
Olemasolev 0,4kV õhuliin
57
58
Ristumine teega
59
60
61
62
63
64
108.9
65
M159
M158
11
66
67
68
69
11
6, 85
70
31701:001:1131 Kullamaa
31701:006:1216 Oliveri
Kuupäev Töö nr.
Tellija:
Muudatus Kuupäev
MõõtkavaJoonise nr.
Staadium Koostas
23_3619_TP_EL-01_ASEND_240104_HT
LehtJoonis:
Töö nimetus:
Aadress:
Elektritööde reg. nr.: EL10360030-0001
Salve 2a Tallinn 11612 Tel: (+372) 6 701 066 www.eservice.ee
Kontrollis Proj. kood
H. Turja Tööprojekt
04.01.2024 23_3619
Elektrilevi OÜ
H. Turja IP6010
5/16
Kohila vald, Rapla maakond
Asendiplaan
Kohila -Adila 10kV fiidri rekonstrueerimine
EL-01 1:1500 / -
TINGMÄRGID
Olemasolev madalpinge õhuliin Olemasolev keskpinge õhuliin
Projekteeritud puitmast Projekteeritud BLL99 õhuliin
Olemasolev kinnistupiir
Olemasolev puitmast Olemasolev raudbetoonmast
Raieala
MÄRKUSED: 1) Projekt on koostatud lähtuvalt Elektrilevi OÜ lähteülesandest nr: IP6010. 2) Projekti asendiplaani koostamiseks on kasutatud: - Geoalus OÜ poolt koostatud geodeetilist asendiplaani nr: 23-G444; kuup.: 04.01.2024 (koordinaadid L-EST97 ja kõrgused EH2000 süsteemis 3) Õhu- ja maakaabelliinide pikkused on asendiplaanile märgitud trassipikkustena (kogupikkused vt. elektrilisel skeemil Joonis EL-02 ja EL-03).
Joonis 06
Joonis 04
57
58
Ristumine teega
59
60
61
62
63
64
118.3
65
M106
M107
12
66
67
68
69
12
6, 77
70
56
55
31701:006:1183 Allikaoru
31701:006:1182 Allika
57
58
59
60
61
62
63
64
65
66
67
68
69
70
56
55
M105
12
134,67
6, 13
31701:006:1183 Allikaoru
57
58
59
60
61
62
63
64
117.8
65
M101
M102
11
66
67
68
69
11
6, 92
70
71
72
7, 41
31701:006:1060 Maasika 31701:006:1160
Laanesaare
58
Ristumine Kasari jõega
59
60
61
62
63
64
133.4
65
M93
M94
11
66
67
68
69
11
4, 68
70
31701:006:0580 Lillemetsa
31701:006:1172 Araka 31701:006:0200
Konnakotka
71
31701:006:1172Araka
31701:006:0580 Lillemetsa
31701:006:0191 Reinumäe
31701:006:1160 Laanesaare
31701:006:1060 Maasika
31701:006:0680 Möldri
31701:006:1183 Allikaoru
31701:006:1182 Allika
31701:006:1216 Oliveri
20103 Pihali-Adila-Rabivere tee
31701:006:1183 Allikaoru
88,6
99,3
105,6
118,3
134,8
145,3
143,7
123,7
117,8
137,8
115,7
129
128,3
105,8
102,4
133,4
M159
M110
M109
M108
M107
M106
M105
M104
M103
M102
M101
M100
M99
M98
M97
M96
M95
M94
0°
Asendada kandemast (KRE 11m, 3.kl; Rõhttraavers) Paigaldada sädevahemikud
Asendada traavers (Lõputraavers)
Rekonstrueerida 10kV õhuliin Mastist M73-M110 isoleeritud õhuliini juhtmega BLL99 L=3983m (trass)
Asendada kandemast (KRE 11m, 3.kl; Rõhttraavers)
Asendada kandemast (KRE 11m, 3.kl; Rõhttraavers)
Asendada nurgamast koos toega (KRE 12m, 3. kl; tugi KRE 12m, 3. kl; nurgatraavers) Paigaldada sädevahemikud
Raie: madal võsa 1976m2
Asendada kandemast (KRE 12m, 3.kl; Rõhttraavers)
Asendada kandemast (KRE 11m, 3.kl; Rõhttraavers)
Asendada kandemast (KRE 11m, 3.kl; Rõhttraavers) Paigaldada sädevahemikud
Asendada kandemast (KRE 11m, 3.kl; Rõhttraavers) Paigaldada sädevahemikud
Asendada kandemast (KRE 11m, 3.kl; Rõhttraavers)
Asendada kandemast (KRE 11m, 3.kl; Rõhttraavers)
Asendada kandemast (KRE 11m, 3.kl; Rõhttraavers) Paigaldada sädevahemikud
Asendada kandemast (KRE 11m, 3.kl; Rõhttraavers)
Asendada taarvers ( Rõhttraavers)
Asendada kandemast (KRE 11m, 3.kl; Rõhttraavers) Paigaldada sädevahemikud
Asendada kandemast (KRE 11m, 3.kl; Rõhttraavers)
Asendada nurgamast koos toega (KRE 11m, 3.kl, Tugi 11m, 3.kl; Lõputraavers 2x) Paigaldada riigel
Raie: madal võsa 3350m2
Ristumine teega Gabariit 6,7m
Ristumine Kasari jõega Gabariit 4,6m
31701:006:1183 Allikaoru
Ristumine teega Gabariit 6,1m
48°
Kuupäev Töö nr.
Tellija:
Muudatus Kuupäev
MõõtkavaJoonise nr.
Staadium Koostas
23_3619_TP_EL-01_ASEND_240104_HT
LehtJoonis:
Töö nimetus:
Aadress:
Elektritööde reg. nr.: EL10360030-0001
Salve 2a Tallinn 11612 Tel: (+372) 6 701 066 www.eservice.ee
Kontrollis Proj. kood
H. Turja Tööprojekt
04.01.2024 23_3619
Elektrilevi OÜ
H. Turja IP6010
6/16
Kohila vald, Rapla maakond
Asendiplaan
Kohila -Adila 10kV fiidri rekonstrueerimine
EL-01 1:1500 / -
TINGMÄRGID
Olemasolev keskpinge õhuliin
Projekteeritud puitmast Projekteeritud masti tugi
Projekteeritud BLL99 õhuliin
Olemasolev kinnistupiir
Olemasolev puitmast Olemasolev raudbetoonmast
Raieala
MÄRKUSED: 1) Projekt on koostatud lähtuvalt Elektrilevi OÜ lähteülesandest nr: IP6010. 2) Projekti asendiplaani koostamiseks on kasutatud: - Geoalus OÜ poolt koostatud geodeetilist asendiplaani nr: 23-G444; kuup.: 04.01.2024 (koordinaadid L-EST97 ja kõrgused EH2000 süsteemis 3) Õhu- ja maakaabelliinide pikkused on asendiplaanile märgitud trassipikkustena (kogupikkused vt. elektrilisel skeemil Joonis EL-02 ja EL-03).
Joonis 05
Joonis 07
59
60
61
62
63
64
65
M86 M87
12
66
67
68
69
12
6, 04
70
71
72
59
60
61
62
63
64
65
66
67
68
69
70
71
72 M85
12
7, 74
59
60
61
62
63
64
65
66
67
68
69
70
71
72
M84
127, 21
73 73 73
59
60
61
62
63
64
65
66
67
68
69
70
71
72
73 M83
11
1, 26
Olemasolev 0,4kV õhuliin
126,1 88,92 97,8 98,7
31701:001:058131701:006:0195 Mardi Tõnuma-Aadu tee L1
31701:006:1080 20101 Hageri-Kodila-Kuusiku tee
31701:006:1154 Tammeotsa 31701:006:0192
Mardi
63
64
65
M76 M77
11
66
67
68
69 11
7, 2170
71
72
7
M73
11
73
74
75
63
64
65
66
67
68
69
70
71
72
73
74
75
M75
11
63
64
65
66
67
68
69
70
71
72
73
74
75
M74
11
63
64
65
66
67
68
69
70
71
72
73
74
75
7, 6
31701:006:0051 Kaheküla
89,9
31701:006:1021 Sepa
93,24 62 62 62 62
82,4 31701:001:0869 Suurküla tee L2
31701:006:1021 Sepa
31701:006:1022 Sepa
66,8
31701:001:1794Käänuääre
31701:006:1021Sepa
31701:001:0869
Suurküla tee L2
31701:006:0051Kaheküla
31701:006:0991Kassi
31701:006:0192Mardi
31701:006:1251Annuse
31701:001:0581Tõnuma-Aadu tee L131701:006:108020101 Hageri-Kodila-Kuusiku tee
31701:006:1154Tammeotsa
31701:006:0200Konnakotka
120
127,7
127,7
109,6
57,2
126,1
88,9
94,7
98,7
101,6
9,9
127,2
120,6
114,4
120,1
89,9
93,2
82,4
66,8
7,5
7,7
M93
M92
M91
M90
M89
M88
M87
M86
M85
M84
M83
M82 M81
M80
M79
M78
M77
M76
M75
M74
M73A
M73 M72
0°
31701:006:0019
31701:006:1022Sepa
0°
Asendada kandemast (KRE 11m, 3.kl; Ankrutraavers) Paigaldada sädevahemikud
Raie: madal võsa 3033m2
Asendada kandemast (KRE 11m, 3.kl; Rõhttraavers)
Asendada kandemast (KRE 11m, 3.kl; Rõhttraavers)
Asendada kandemast (KRE 11m, 3.kl; Rõhttraavers) Paigaldada sädevahemikud
Asendada kandemast (KRE 11m, 3.kl; Rõhttraavers)
Asendada kandemast (AJ Kaisa) (KRE 11m, 4.kl; Rõhttraavers) Tõsta ümber mastalajaama seadmed uuele mastile!
Asendada kandemast (KRE 12m, 3.kl; Rõhttraavers) Paigaldada sädevahemikud
Asendada kandemast (KRE 12m, 3.kl; Ankrutraavers)
Asendada traavers (Rõhttraavers) Paigaldada sädevahemikud Ehitada maandus R ≤ 15 Ω
Asendada traavers (Ankrutraavers)
Asendada traavers (Lõputraavers) Paigaldada tugi (KRE 11m 3. kl) Paigaldada koormuslahklüliti LP17244 Ehitada maandus
Rekonstrueerida 10kV õhuliin Mastist M73-M110 isoleeritud õhuliini juhtmega BLL99 L=3983m (trass)
Asendada kandemast (KRE 11m, 3.kl; Rõhttraavers) Paigaldada sädevahemikud
Asendada traavers (Nurgatraavers)
Asendada traavers (Rõhttraavers)
Asendada traavers (Rõhttraavers) Paigaldada sädevahemikud
Asendada traavers (Rõhttraavers)
Asendada traavers (Ankrutraavers)
Asendada traavers (Ankrutraavers) Paigaldada sädevahemikud
Asendada traavers (Ankrutraavers)
Raie: kadakad 604m2
Asendada kandemast Uus mast asendada teekattest kaugemale kinnistu piirile (KRE 12m, 3.kl; Ankrutraavers)
Asendada kandemast (KRE 12m, 3.kl; Ankrutraavers) Paigaldada sädevahemikud Ehitada maandus R ≤ 15 Ω
Asendada traavers (2xLõputraavers)
73,3
M72H1
Ristumine M P õhuliiniga
Gabariit 2,9m
Ristumine teega Gabariit 7,6m
Ristumine teega Gabariit 7m
Ristumine teega Gabariit 7,2m
Ristumine teega Gabariit 7,7m
Ristumine teega Gabariit 7,2m
Ristumine teega Gabariit 6m
Ristumine MP õhuliiniga Gabariit 3m 0,4kV mastidele Ehtada maandus R ≤ 30 Ω
1,2m
31701:006:0195Mardi57
Kuupäev Töö nr.
Tellija:
Muudatus Kuupäev
MõõtkavaJoonise nr.
Staadium Koostas
23_3619_TP_EL-01_ASEND_240104_HT
LehtJoonis:
Töö nimetus:
Aadress:
Elektritööde reg. nr.: EL10360030-0001
Salve 2a Tallinn 11612 Tel: (+372) 6 701 066 www.eservice.ee
Kontrollis Proj. kood
H. Turja Tööprojekt
04.01.2024 23_3619
Elektrilevi OÜ
H. Turja IP6010
7/16
Kohila vald, Rapla maakond
Asendiplaan
Kohila -Adila 10kV fiidri rekonstrueerimine
EL-01 1:1500 / -
TINGMÄRGID
Olemasolev madalpinge õhuliin Olemasolev keskpinge õhuliin
Projekteeritud puitmast Projekteeritud masti tugi
Projekteeritud BLL99 õhuliin
Olemasolev kinnistupiir
Olemasolev puitmast Olemasolev raudbetoonmast
Raieala
MÄRKUSED: 1) Projekt on koostatud lähtuvalt Elektrilevi OÜ lähteülesandest nr: IP6010. 2) Projekti asendiplaani koostamiseks on kasutatud: - Geoalus OÜ poolt koostatud geodeetilist asendiplaani nr: 23-G444; kuup.: 04.01.2024 (koordinaadid L-EST97 ja kõrgused EH2000 süsteemis 3) Õhu- ja maakaabelliinide pikkused on asendiplaanile märgitud trassipikkustena (kogupikkused vt. elektrilisel skeemil Joonis EL-02 ja EL-03).
Joonis 06
60
61
62
63
64
65
M72H14
M72H16
11
66
67
68
69
11
70
71
72
M72H13
11
73
3, 58
Olemasolev 0,4kV õhuliin
M72H15
11
69,3 31701:001:1085 Kurrunurru
31701:001:1107 Pipi
74,4
74
75
76
60
61
62
63
64
65
66
67
68
69
70
71
72
73
74
75
76
65,6 60
61
62
63
64
65
66
67
68
69
70
71
72
73
74
75
76
M72H12
11
M72H11
11
49,5
7, 88 8, 46
60
61
62
63
64
65
66
67
68
69
70
71
72
73
74
75
76
M72H1
11
73,39
7, 18
M72
11
M71
11
2, 91
Olemasolev 0,4kV õhuliin
31701:006:1220 Aasa
31701:006:0209 Iti
63
64
65
66
67
68
69
70
71
72
73
74
75
76 M69
11
M68
11
70,53
8, 78
31701:006:1169 Nurmevälja
31701:001:0699 Krimmiküla tee L4
31701:001:1795 Nurmeotsa
31701:006:1254 Kaalu
63
64
65
66
67
68
69
70
71
72
73
74
75
76
M66
11
M65
11
73,3
8, 78
62 31701:006:1254 Kaalu
31701:006:0134 Kungla
31 70
1: 00
6: 01
34
Ku ng
la
31 70
1: 00
6: 12
54
Ka alu31 70
1: 00
6: 11
69
Nur m
ev älj
a
31 70
1: 00
1: 06
99 Kr
im m
ik ül
a te
e L4
31 70
1: 00
1: 17
95
Nur m
eo tsa
31 70
1: 00
1: 17
94
Kä än
uä är
e
31 70
1: 00
6: 10
21
Se pa
31701:001:0869 Suurküla tee L2
31 70
1: 00
6: 10
22
Se pa
31 70
1: 00
6: 00
19
Uue to
a
31 70
1: 00
6: 02
15
Va ht
ra or
u
31 70
1: 00
6: 09
93
Ka ss
i
31 70
1: 00
6: 02
09
Iti
31701:001:0868
31 70
1: 00
1: 11
07
Pip i
Suurküla tee L1
31 70
1: 00
6: 12
20
Aa sa
31 70
1: 00
1: 10
85
Ku rru
nu rru
31 70
1: 00
6: 10
22
Se pa
93 ,2
82 ,4
66 ,8
7, 5
7, 7
M75
M74
M73 A
M73 M7231
70 1:
00 6:
00 19
Uue to
a
31 70
1: 00
6: 10
22
Se pa
Asen da
da tr
aa ve
rs
(A nk
rut raa
ve rs)
Asen da
da tr
aa ve
rs
(A nk
rut raa
ve rs)
Pa iga
lda da
sä de
va he
miku d
Asen da
da tr
aa ve
rs
(A nk
rut raa
ve rs)
Asen da
da tr
aa ve
rs
(2x Lõp
utr aa
ve rs)
63,3 72,6 69 69,3 74,4 65,6 71,7 49,5 68,7 73,6 62,9 70,8 67 68,8 69,3 68,5 68,8 66,1
73,3 68,9 69,2 68,3 70,5 65,2 70,6 73,3 53,2 70,9
M72H19 M72H18 M72H17 M72H16 M72H15 M72H14 M72H13 M72H12 M72H11 M72H10 M72H9 M72H8 M72H7 M72H6 M72H5 M72H4 M72H3 M72H2 M72H1
M71 M70 M69 M68 M67 M66 M65 M64
Asendada mast koos tugedega (KRE 11m, 3.kl.; 2xtugi KRE 11m, 3.kl.; 3xlõputraavers) Paigaldada sädevahemikud
Asendada traavers (Rõhttraavers)
Asendada mast (KRE 11m, 3.kl.; Rõhttraavers)
Asendada mast (KRE 11m, 3.kl.; Rõhttraavers) Paigaldada sädevahemikud
Asendada mast (KRE 11m, 3.kl.; Rõhttraavers)
Asendada mast (KRE 11m, 3.kl.; Rõhttraavers) Paigaldada sädevahemikud
Asendada mast (KRE 11m, 3.kl.; Rõhttraavers) Paigaldada sädevahemikud
Asendada traavers (Rõhttraavers)
Asendada mast (KRE 11m, 3.kl.; Rõhttraavers)
Asendada mast (KRE 11m, 3.kl.; Rõhttraavers) Paigaldada sädevahemikud
Asendada mast (KRE 11m, 3.kl.; Rõhttraavers)
Asendada mast (KRE 11m, 3.kl.; Rõhttraavers)
Asendada traavers (Rõhttraavers) Paigaldada sädevahemikud
Asendada mast (KRE 11m, 3.kl.; Rõhttraavers)
Asendada mast (KRE 11m, 3.kl.; Rõhttraavers)
Asendada mast (KRE 11m, 3.kl.; Rõhttraavers) Paigaldada sädevahemikud
Asendada mast (KRE 11m, 3.kl.; Rõhttraavers)
Asendada mast (KRE 11m, 3.kl.; Rõhttraavers)
Asendada mast (KRE 11m, 3.kl.; Rõhttraavers) Paigaldada sädevahemikud
Asendada traavers (Rõhttraavers)
Rekonstrueerida 10kV õhuliin Rabivere LP haruliin Mastist M72-M72H19 isoleeritud õhuliini juhtmega BLL99 L=1294m (trass)
M72H20
Asendada mast (KRE 11m, 3.kl.; Rõhttraavers)
Asendada traavers (Rõhttraavers) Paigaldada sädevahemikud
Asendada mast (KRE 11m, 3.kl.; Rõhttraavers)
Asendada mast (KRE 11m, 3.kl.; Rõhttraavers)
Asendada mast (KRE 11m, 3.kl.; Rõhttraavers) Paigaldada sädevahemikud
Asendada traavers (Rõhttraavers)
Asendada mast (KRE 11m, 3.kl.; Rõhttraavers)
Asendada mast (KRE 11m, 3.kl.; Rõhttraavers) Paigaldada sädevahemikud
Rekonstrueerida 10kV õhuliin Mastist M7-M72 isoleeritud õhuliini juhtmega BLL99 L=4382m (trass)
Raie: madal võsa 1163m2
Raie: madal võsa 166m2
Raie: madal võsa 162m2
Ristumine teega Gabariit 8,7m
Ristumine teega Gabariit 8,7m
Ristumine Gabariit 3,5m
Ristumine teega Gabariit 7,8m
Ristumine teega Gabariit 8,4m
Ristumine teega Gabariit 7,1m
Ristumine MP õhuliiniga Gabariit 2,9m
Rist um
ine te
eg a
Gab ari
it 7 ,6m
Rist um
ine te
eg a
Gab ari
it 7 m
Kuupäev Töö nr.
Tellija:
Muudatus Kuupäev
MõõtkavaJoonise nr.
Staadium Koostas
23_3619_TP_EL-01_ASEND_240104_HT
LehtJoonis:
Töö nimetus:
Aadress:
Elektritööde reg. nr.: EL10360030-0001
Salve 2a Tallinn 11612 Tel: (+372) 6 701 066 www.eservice.ee
Kontrollis Proj. kood
H. Turja Tööprojekt
04.01.2024 23_3619
Elektrilevi OÜ
H. Turja IP6010
8/16
Kohila vald, Rapla maakond
Asendiplaan
Kohila -Adila 10kV fiidri rekonstrueerimine
EL-01 1:1500 / -
TINGMÄRGID
Olemasolev madalpinge õhuliin Olemasolev keskpinge õhuliin
Projekteeritud puitmast Projekteeritud masti tugi
Projekteeritud BLL99 õhuliin
Olemasolev kinnistupiir
Olemasolev puitmast Olemasolev raudbetoonmast
Raieala
MÄRKUSED: 1) Projekt on koostatud lähtuvalt Elektrilevi OÜ lähteülesandest nr: IP6010. 2) Projekti asendiplaani koostamiseks on kasutatud: - Geoalus OÜ poolt koostatud geodeetilist asendiplaani nr: 23-G444; kuup.: 04.01.2024 (koordinaadid L-EST97 ja kõrgused EH2000 süsteemis 3) Õhu- ja maakaabelliinide pikkused on asendiplaanile märgitud trassipikkustena (kogupikkused vt. elektrilisel skeemil Joonis EL-02 ja EL-03).
Jo on
is 07
Joonis 09
64
65
66
67
68
69
70
71
72
73
74
75
76 M44
11
M68
11
68,05
7, 67
77
66903:001:0154 Kangruotsa66901:001:0669
6690173 Nurme külatee L4
66903:001:0153 Tänavaotsa
66 90
3:0 01
:05 20
M än
nik u
66 90
3:0 01
:00 30
Nah kja
la- Ülep
er e
66 90
3:0 01
:01 54
Ka ng
ru ot
sa
66 90
3:0 01
:05 62
Välj a
66 90
1:0 01
:06 69
66 90
17 3 N
ur me k
üla te
e L 4
66 90
3:0 01
:05 61
Välj a
66 90
3:0 01
:01 53
Tä na
va ot
sa
31 70
1:0 06
:11 27
Tõ nu
ma-A ad
u
31 70
1:0 06
:01 47
Uue -M
ats o
31 70
1:0 06
:01 48
Van a-M
ats o31
70 1:0
06 :01
46
Põ llu
-M ats
o
31 70
1:0 01
:18 06
Pe alt
met sa
31 70
1:0 01
:14 12
31 70
1:0 01
:14 13
Pä iks
em äe
Ojap õll
u
70,3
70,7
73,4
75,4 53,1 62,7 70,4 68,6 68,4 69,5 69,1 32,5 36 68,1
71 68,6 60,2 67,6
68,9 68,1
71,8 68,3
68,5 69,5
68,9 66,4
70,2 68,2
69,1 M63
M62 M61
M60
M59 M58
M57 M56
M55
M54 M53
M52 M51
M50 M49
M48 M47
M46 M45
M44 M43
M42 M41
M40 M39
M38 M37
M36 M35
Asendada traavers (Rõhttraavers)
31 70
1: 00
6: 01
34
Ku ng
la
Asendada mast (KRE 11m, 3.kl.; Rõhttraavers)
Asendada mast (KRE 11m, 3.kl.; Rõhttraavers) Paigaldada sädevahemikud Asendada traavers
(Rõhttraavers)
4°
Asendada nurgamast koos toega (KRE 11m, 3.kl.;tugi KRE 11m, 3.kl.; Nurgatraavers)
Asendada mast (KRE 11m, 3.kl.; Rõhttraavers) Paigaldada sädevahemikud
Asendada mast (KRE 11m, 3.kl.; Rõhttraavers)
Raie: madal võsa 738m2 Asendada traavers
(Rõhttraavers) Asendada traavers (Rõhttraavers) Paigaldada sädevahemikud
Asendada mast (KRE 11m, 3.kl.; Rõhttraavers) Asendada mast
(KRE 11m, 3.kl.; Rõhttraavers)
Asendada mast (KRE 11m, 3.kl.; Rõhttraavers) Paigaldada sädevahemikud
Asendada traavers (Rõhttraavers)
Asendada mast (KRE 11m, 3.kl.; Rõhttraavers)
Asendada traavers (Rõhttraavers) Paigaldada sädevahemikud
Asendada mast (KRE 11m, 3.kl.; Rõhttraavers)
Asendada traavers (Nurgatraavers) Paigaldada masti tipu kate
Raie: madal võsa 738m2
Asendada traavers (Rõhttraavers) Paigaldada masti tipu kate Paigaldada sädevahemikud
Asendada traavers (Rõhttraavers) Paigaldada masti tipu kate
Asendada mast (KRE 11m, 3.kl.; Ankrutraavers)
Asendada traavers (Ankrutraavers) Paigaldada sädevahemikud
Asendada traavers (Rõhttraavers)
Asendada traavers (Rõhttraavers)
Asendada traavers (Rõhttraavers) Paigaldada sädevahemikud
Asendada traavers (Rõhttraavers)
Asendada traavers (Rõhttraavers)
Asendada traavers (Rõhttraavers) Paigaldada sädevahemikud
Asendada traavers (Rõhttraavers)
Asendada traavers (Rõhttraavers)
Raie: madal võsa 317m2
Ristumine teega Gabariit 7,6m
5°
Kuupäev Töö nr.
Tellija:
Muudatus Kuupäev
MõõtkavaJoonise nr.
Staadium Koostas
23_3619_TP_EL-01_ASEND_240104_HT
LehtJoonis:
Töö nimetus:
Aadress:
Elektritööde reg. nr.: EL10360030-0001
Salve 2a Tallinn 11612 Tel: (+372) 6 701 066 www.eservice.ee
Kontrollis Proj. kood
H. Turja Tööprojekt
04.01.2024 23_3619
Elektrilevi OÜ
H. Turja IP6010
9/16
Kohila vald, Rapla maakond
Asendiplaan
Kohila -Adila 10kV fiidri rekonstrueerimine
EL-01 1:1500 / -
TINGMÄRGID
Olemasolev madalpinge õhuliin Olemasolev keskpinge õhuliin
Projekteeritud puitmast Projekteeritud masti tugi
Projekteeritud BLL99 õhuliin
Olemasolev kinnistupiir
Olemasolev puitmast Olemasolev raudbetoonmast
Raieala
MÄRKUSED: 1) Projekt on koostatud lähtuvalt Elektrilevi OÜ lähteülesandest nr: IP6010. 2) Projekti asendiplaani koostamiseks on kasutatud: - Geoalus OÜ poolt koostatud geodeetilist asendiplaani nr: 23-G444; kuup.: 04.01.2024 (koordinaadid L-EST97 ja kõrgused EH2000 süsteemis 3) Õhu- ja maakaabelliinide pikkused on asendiplaanile märgitud trassipikkustena (kogupikkused vt. elektrilisel skeemil Joonis EL-02 ja EL-03).
Joonis 10
Joonis 08
M 1:50 1.63
1. 00
projekteeritud kaabelliin kaablikaitsetorus (PVC Ø160 mm) 450N ja reservtoru (PVC Ø160 mm) 450N
hoiatuslint
≥0.30
0.720.72
≥0.30
Olemasolev kivivaba pinnas h= 95 cm Kaitsetoru sängituskiht keskteraline liiv/looduslik kruus fr. 0.063...63, E≥60 MPa
h= 5 cm
Tihendatud kaeviku küna põhi E≥60 MPa (tihendamise mitte saavutamisel kiiluda paekillustikuga 4/16, mis asendab kaitsetoru sängituskihti)
OLEMASOLEVA PINNASE TAASTAMINE
≥0.10≥0.10
M 1:50 1.40
1. 00
projekteeritud kaabelliin kaablikaitsetorus (PVC Ø110/160 mm) 750N
hoiatuslint
≥0.30
0.600.60
≥0.30
Kasvupinnas ja muru külv h= 10 cm Kaeviku tagasitäide välja kaevatud materjaliga, kt=0,92 h= 40 cm
Esmane tagasitäide keskteraline liiv/looduslik kruus või olemasolevpinnas, millest eemaldatud mitte sobiv materjal fr. 0.063...63, E≥60 MPa
h= 20 cm
Kaitsetoru sängituskiht keskteraline liiv/looduslik kruus fr. 0.063...63, E≥60 MPa
h= 5 cm
Tihendatud kaeviku küna põhi E≥60 MPa (tihendamise mitte saavutamisel kiiluda paekillustikuga 4/16, mis asendab kaitsetoru sängituskihti)
MURU TAASTAMINE
≥0.10≥0.10
≥0.07
Taastatav ala S= 611 m2
2.09
1. 00
projekteeritud kaabelliin kaablikaitsetorus 2x(PVC Ø160 mm) 450N (PVC Ø110 mm) 450N reservtoru (PVC Ø160 mm) 450N
hoiatuslint
≥0.30
0.940.94
≥0.30
Olemasolev kivivaba pinnas h= 95 cm Kaitsetoru sängituskiht keskteraline liiv/looduslik kruus fr. 0.063...63, E≥60 MPa
h= 5 cm
Tihendatud kaeviku küna põhi E≥60 MPa (tihendamise mitte saavutamisel kiiluda paekillustikuga 4/16, mis asendab kaitsetoru sängituskihti)
≥0.10≥0.10
≥0.07
M 1:50 1.63
1. 00
projekteeritud kaabelliin kaablikaitsetorus (PVC Ø160 mm) 450N (PVC Ø110 mm) 450N
hoiatuslint
≥0.30
0.720.72
≥0.30
Kruus h= 95 cm Olemasolev kivivaba pinnas
Kaitsetoru sängituskiht keskteraline liiv/looduslik kruus fr. 0.063...63, E≥60 MPa
h= 5 cm
Tihendatud kaeviku küna põhi E≥60 MPa (tihendamise mitte saavutamisel kiiluda paekillustikuga 4/16, mis asendab kaitsetoru sängituskihti)
PINNASTEE TAASTAMINE
≥0.10≥0.10
≥0.07
Taastatav ala S= 8 m2
2.09
1. 00
projekteeritud kaabelliin kaablikaitsetorus 2x(PVC Ø160 mm) 450N (PVC Ø110 mm) 450N reservtoru (PVC Ø160 mm) 450N
hoiatuslint
≥0.30
0.940.94
≥0.30
≥0.10≥0.10
≥0.07
Taastatav ala S= 195 m2
M 1:50 1.63
1. 00
projekteeritud kaabelliin kaablikaitsetorus (PVC Ø110 mm) 450N (PVC Ø160 mm) 450N
hoiatuslint
≥0.30
0.720.72
≥0.30
≥0.10≥0.10
≥0.07 Kasvupinnas ja muru külv h= 10 cm Kaeviku tagasitäide välja kaevatud materjaliga, kt=0,92 h= 40 cm
Esmane tagasitäide keskteraline liiv/looduslik kruus või olemasolevpinnas, millest eemaldatud mitte sobiv materjal fr. 0.063...63, E≥60 MPa
h= 20 cm
Kaitsetoru sängituskiht keskteraline liiv/looduslik kruus fr. 0.063...63, E≥60 MPa
h= 5 cm
Tihendatud kaeviku küna põhi E≥60 MPa (tihendamise mitte saavutamisel kiiluda paekillustikuga 4/16, mis asendab kaitsetoru sängituskihti)
Kruus h= 95 cm Olemasolev kivivaba pinnas
Kaitsetoru sängituskiht keskteraline liiv/looduslik kruus fr. 0.063...63, E≥60 MPa
h= 5 cm
Tihendatud kaeviku küna põhi E≥60 MPa (tihendamise mitte saavutamisel kiiluda paekillustikuga 4/16, mis asendab kaitsetoru sängituskihti)
31701:001:0613
Kohila tee 3
31701:005:0500 Kuriste tee 6
31701:005:0959 Kohila tee 5
31701:005:0120 Kohila tee 11
31701:005:0650 Kohila tee 9
31701:005:0005 Kohila tee 8
31701:005:0023 Kohila tee 10
31701:005:0021 O
ru 31701:001:0611 Kiriku tee L2
31701:005:0430 Vaino
31701:005:0050 Ernitsa
31701:005:0581 Ülevainu
31701:005:0302 M
äeküla
31701:005:0012 Ann-M
ai
31701:001:0608 Pargi tänav
31701:005:0301 M
äeküla
31701:005:0410 Kohila tee 6
31701:005:0985 Kohila tee 4
31701:005:0033 Kiriku tee 1
31701:001:1496 Kohila tee 4a
31701:005:0480
31701:005:0820 11220 Kernu-Kohila tee
31701:005:0985 Kohila tee 4
31701:005:0985 Kohila tee 4
31701:005:0830 20101 Hageri-Kodila-Kuusiku tee
X X
X X
X X
X X
X XXXXXXXXXXXXXXXXXXXXXXXXXXXXXXXXXXXXXXXXXXXXXXXXXXXXXXXXXXXXXXXXXXXXXXXXXXXXXXXXXXXXXXXXXXXXXXXXXXXXXXXXXXXXXXXXXXXXXXXXXXXXXXXXXXXXXXXXXXXXXXXXXXXXXXXXXXXXXXXXXXXXXXXXXXXXXXXXXXXXXXXXXXXXXXXXXXXXXXXXXXXXXXXXXXXXXXXXXXXXXXXXXXXXXXXXXXXXXXXXXXXXXXXXXXXXXXXXXXXXXXXXXXXXXXXXXXXXXXXXXXXXXXXXXXXXXXXXXXXXXXXXXXXXXXXXXXXXXXXXXXXXXXXXXXXXXXXXXXXXXXXXXXXXXXXXXXXXXXXXXXXXXXXXXXXXXXXXXXXXXXXXXXXXXXXXXXX
2W 2
2W 2
2W 2
2W 2
2W 2
2W 2
2W2
2W2 2W2
2W2 2W2
2W2 2W2
2W2
31701:005:0920 Kohila tee 13
M60 M1 M2
M3
M4
M5
M6
M7
M8
M9
+T R
+K P
+M PS
+M P
-T 1
2N
2U
2V 2W 1W
1V
1U
-M EB
+K PS
+. K0
3
+. K0
1
+. K0
5
M17
ETTEVAATUST! Taastada aed!
ETTEVAATUST! Taastada aed!
1W2 1W2 1W2 1W2 1W2 1W2 1W2 1W2 1W2 1W2 1W2 1W2 1W2 1W2 1W2 1W2 1W2 1W2 1W2 1W2 1W2
1W1 1W1
1W1 1W1
1W1
1W1
1W1
1W1
1W1
1W1
1W1 1W11W11W1
1W1 1W1
1W1 1W1
1W1 1W1
1W1
1W1
1W 1
1W 1
1W 1
1W 1
1W 1
1W 1
1W1 1W1 1W1 1W1 1W1 1W1 1W1 1W1 1W1 1W1
XXXXXXXXXXXXXXXXXXXXXXXXXXXXXXXXXXXXXXXXX
1W 2
1W 2
2
2
2
2 2
2
2
2
2
2
2 2W2W21W21W21W21W21W21W21W21W21W21W2
Kuupäev Töö nr.
Tellija:
Muudatus Kuupäev
MõõtkavaJoonise nr.
Staadium Koostas
23_3619_TP_EL-02_KATTED_240104_HT
LehtJoonis:
Töö nimetus:
Aadress:
Elektritööde reg. nr.: EL10360030-0001
Salve 2a Tallinn 11612 Tel: (+372) 6 701 066 www.eservic .ee
Kontrollis Proj. kood
H. Turja Tööprojekt
04.01.2024 23_3619
Elektrilevi OÜ
H. Turja IP6010
1/5
Kohila vald, Rapla maakond
Katete taastamise asendiplaan
Kohila -Adila 10kV fiidri rekonstrueerimine
EL-02 1:500 / -
MÄRKUSED: 1) Projekt on koostatud lähtuvalt Elektrilevi OÜ lähteülesandest nr: IP6010. 2) Projekti asendiplaani koostamiseks on kasutatud: - Geoalus OÜ poolt koostatud geodeetilist asendiplaani nr: 23-G444; kuup.: 04.01.2024 (koordinaadid L-EST97 ja kõrgused EH2000 süsteemis 3) Õhu- ja maakaabelliinide pikkused on asendiplaanile märgitud trassipikkustena (kogupikkused vt. elektrilisel skeemil Joonis EL-02 ja EL-03).
Joonis 2
TINGMÄRGID Projekteeritud 0,4kV maakaabel kaitsetorus1W1
Olemasolev 0,4kV maakaabelliin Olemasolev keskpinge õhuliin
Olemasolev kanalisatsiooni trass
Projekteeritud 24kV maakaabel kaitsetorus1W2
Olemasolev sadekanalisatsiooni trass
+TR
+KP
+MPS
+MP
-T1
2N
2U
2V
2W 1W
1V
1U
-MEB +KPS
+.K03
+.K01
+.K05
+.K07
+.K08 Projekteeritud alajaam
Projekteeritud 24kV maakaabel (2 kaablit trassis)2W2
Olemasolev kõrgpinge õhuliin
Olemasolev side õhuliin Olemasolev sidekaabel
Olemasolev 0,4kV õhuliin
Olemasolev kinnistupiir Olemasolev vee trass
Puu kaitsevöönd R=2m
Projekteeritud 450N kaitsetoru Projekteeritud 750N kaitsetoru Projekteeritud 1250N kaitsetoru
Projekteeritud jaotuskilp
31701:005:0760 M
eierei tee 1
31701:005:0058 Sutlem
a tee 8
31701:005:0350 M
eierei tee 2 // Sutlem a tee 10
31701:005:0066 Tuuleveski tee 2
31701:005:0067Allee
31701:005:0068 Tuuleveski tee 331701:005:0937
M eierei alajaam
31701:005:0057 Sutlem
a tee 6
31701:001:0613 Kuriste tee
31701:005:0451 Sutlem
a tee 4
Kohila tee 3
31701:005:0440 Kohila tee 1 // Sutlema tee 2
31701:005:0500 Kuriste tee 6
31701:005:0959 Kohila tee 5
31701:005:0660 Kuriste tee 12
31701:005:0120 Kohila tee 11
31701:005:0270 Kuriste tee 14
31701:005:0650 Kohila tee 9
31701:005:0005 Kohila tee 8
31701:001:1144Sutlema kergtee L1
31701:005:0059Sutlema jalgtee
31701:001:1036 Kuriste tee 1
31701:005:0750 Kabelikopli tee 2
31701:001:0612 Kabelikopli tee
31701:001:0549 Sutlem
a kergtee
31701:001:219011240 Tõdva-Hageri tee
Sutlema kergtee L1 31701:001:1144
11240 Tõdva-Hageri tee 31701:001:2190
31701:005:0480
31701:005:0820 11220 Kernu-Kohila tee
X X
X X
X X
X X
X X X X X X X X X X X X X X X X X X X X X X X X X X X X X X X X X X X X X X X X X X X X X X X X X X X X X X X X X X X X X X X X X X X X X X X
X X
X X
X X
X X
X X
X X
X X
M17
31701:005:0870 Puhastusseadm
e
31701:005:0007 Tuuleveski tee 4
31701:001:1211 Härjasilm
a
31701:001:1509 Kuriste tee L1
31701:001:1108 M
eierei tee 6
31701:005:0069 M
eierei tee 5
31701:005:0890 M
eierei tee 4
31701:005:0950 M
eierei tee 3
31701:005:0936 Tuuleveski alajaam
31701:005:0170 Tuuleveski tee 6
M13
M24 M24A
M23M22 M16
XX
X X
X X
X X
X X
X X
X X
X X
X X
X X
X X
X X
X X
X X
X X
X X
X X
X X
X X
X X
X X
X
ETTEVAATUST! Taastada aed!
31701:005:0280 Kuriste tee 10
1W1
1W1 1W1
1W1 1W1
1W1
1W1
1W1
1W1
1W1
1W1
1W1 1W11W11W1
1W2 1W21W21W21W21W21W21W21W2
1W21W21W21W21W21W21W21W21W21W21W21W21W2
1W 2
1W 2
1W 2
1W 2
1W 2
1W 2
1W 2
1W 2
1W 2
1W 2
1W 2
1W 2
1W 2
1W 2
1W 2
1W2 1W2
2
2
2
2 2
2
2
2
2
2
2 2W2W2
M 1:50 1.40
1. 00
projekteeritud kaabelliin kaablikaitsetorus (PVC Ø160 mm) 450/750N
hoiatuslint
≥0.30
0.600.60
≥0.30
Kasvupinnas ja muru külv h= 10 cm Kaeviku tagasitäide välja kaevatud materjaliga, kt=0,92 h= 40 cm
Esmane tagasitäide keskteraline liiv/looduslik kruus või olemasolevpinnas, millest eemaldatud mitte sobiv materjal fr. 0.063...63, E≥60 MPa
h= 20 cm
Kaitsetoru sängituskiht keskteraline liiv/looduslik kruus fr. 0.063...63, E≥60 MPa
h= 5 cm
Tihendatud kaeviku küna põhi E≥60 MPa (tihendamise mitte saavutamisel kiiluda paekillustikuga 4/16, mis asendab kaitsetoru sängituskihti)
MURU TAASTAMINE
≥0.10≥0.10
Taastatav ala S= 500 m2
M 1:50 3.00
1. 00
projekteeritud kaabelliin kaablikaitsetorus (PVC Ø160 mm) 750N
0.300.30 0.30 0.30
hoiatuslint min 0.30
min 0.30
≥0.30
0.600.60
≥0.30
SÕIDUTEE KILLUSTIKKATTE TAASTAMINE
Purustatud killustik fr. 0.063...20 h= 10 cm Paekillustikust alus fr.32/63, kiilutud E≥170 MPa h= 25 cm Dreenkiht keskteraline liiv/looduslik fr. 0.063...63, kt=0,98 h= 20 cm
Tee mulle keskteraline liiv/looduslik kruus või olemasolevpinnas, millest eemaldatud mitte sobiv materjal fr. 0.063...63, kt=0,98
h= 25 cm
Esmane tagasitäide keskteraline liiv/looduslik kruus või olemasolevpinnas, millest eemaldatud mitte sobiv materjal fr. 0.063...63, E≥65 MPa
h= 20 cm
Kaitsetoru sängituskiht keskteraline liiv/looduslik kruus fr. 0.063...63, E≥65 MPa
h= 5 cm
Tihendatud kaeviku küna põhi E≥65 MPa (tihendamise mitte saavutamisel kiiluda paekillustikuga 4/16, mis asendab kaitsetoru sängituskihti)
Taastatav ala S= 17 m2
M 1:50 1.40
1. 00
projekteeritud kaabelliin kaablikaitsetorus (PVC Ø160 mm) 450N
hoiatuslint
≥0.30
0.600.60
≥0.30
PINNASTEE TAASTAMINE
≥0.10≥0.10
Taastatav ala S= 9 m2
Kruus h= 95 cm Olemasolev kivivaba pinnas
Kaitsetoru sängituskiht keskteraline liiv/looduslik kruus fr. 0.063...63, E≥60 MPa
h= 5 cm
Tihendatud kaeviku küna põhi E≥60 MPa (tihendamise mitte saavutamisel kiiluda paekillustikuga 4/16, mis asendab kaitsetoru sängituskihti)
Kuupäev Töö nr.
Tellija:
Muudatus Kuupäev
MõõtkavaJoonise nr.
Staadium Koostas
23_3619_TP_EL-02_KATTED_240104_HT
LehtJoonis:
Töö nimetus:
Aadress:
Elektritööde reg. nr.: EL10360030-0001
Salve 2a Tallinn 11612 Tel: (+372) 6 701 066 www.eservice.ee
Kontrollis Proj. kood
H. Turja Tööprojekt
04.01.2024 23_3619
Elektrilevi OÜ
H. Turja IP6010
2/5
Kohila vald, Rapla maakond
Kateet taastamise asendiplaan
Kohila -Adila 10kV fiidri rekonstrueerimine
EL-02 1:500 / -
MÄRKUSED: 1) Projekt on koostatud lähtuvalt Elektrilevi OÜ lähteülesandest nr: IP6010. 2) Projekti asendiplaani koostamiseks on kasutatud: - Geoalus OÜ poolt koostatud geodeetilist asendiplaani nr: 23-G444; kuup.: 04.01.2024 (koordinaadid L-EST97 ja kõrgused EH2000 süsteemis 3) Õhu- ja maakaabelliinide pikkused on asendiplaanile märgitud trassipikkustena (kogupikkused vt. elektrilisel skeemil Joonis EL-02 ja EL-03).
TINGMÄRGID Projekteeritud 0,4kV maakaabel kaitsetorus1W1
Olemasolev 0,4kV maakaabelliin Olemasolev keskpinge õhuliin
Olemasolev kanalisatsiooni trass
Projekteeritud 24kV maakaabel kaitsetorus1W2
Olemasolev sadekanalisatsiooni trass
Olemasolev sidekaabel
Olemasolev 0,4kV õhuliin
Olemasolev kinnistupiir Olemasolev vee trass
Puu kaitsevöönd R=2m
Joonis 11
Projekteeritud 450N kaitsetoru Projekteeritud 750N kaitsetoru Projekteeritud 1250N kaitsetoru
31701:001:0288
Mesitaru
31701:005:0221
Võsalepa
31701:001:1870
Allika
31701:001:0263
Koka
31701:001:2471
Vardi metskond 77
31701:005:0170
Tuuleveski tee 6
31 70
1: 00
1: 05
49
Su tle
m a k
er gt
ee
31701:001:2190
11240 Tõdva-Hageri tee
1W2 1W2
1W2 1W2 1W2 1W2 1W2 1W2 1W2 1W2 1W2 1W2 1W2 1W2 1W2 1W2 1W2 1W2
1W2 1W2 1W2 1W2 1W2 1W2 1W2 1W2 1W2 1W2 1W2 1W2 1W2 1W2 1W2 1W2 1W2 1W2 1W2 1W2 1W2 1W2 1W2 1W2 1W2 1W2 1W2
1W2 1W2
1W2 1W2 1W2
1W2 1W2 1W2 1W2 1W2 1W2 1W2
1W2 1W2
1W2 1W2 1W2 1W2 1W2 1W2 1W2 1W2
1W2 1W2
1W2 1W2
1W2
1W2
1W2 1W2
1W2 1W2
1W2
1W2 1W2
1W2
1W2 1W2
1W2
1W2
1W2 1W2
1W2 1W2
1W2 1W2 1W2 1W2 1W2
1W2 1W2
1W2 1W2
1W2 1W2
1W2 1W2
1W2 1W2
M 1:50 1.40
1. 00
projekteeritud kaabelliin kaablikaitsetorus (PVC Ø160 mm) 450N
hoiatuslint
≥0.30
0.600.60
≥0.30
OLEMASOLEVA PINNASE TAASTAMINE
≥0.10≥0.10
Taastatav ala S= 729 m2
Olemasolev kivivaba pinnas h= 95 cm Kaitsetoru sängituskiht keskteraline liiv/looduslik kruus fr. 0.063...63, E≥60 MPa
h= 5 cm
Tihendatud kaeviku küna põhi E≥60 MPa (tihendamise mitte saavutamisel kiiluda paekillustikuga 4/16, mis asendab kaitsetoru sängituskihti)
M 1:50 1.40
1. 00
projekteeritud kaabelliin kaablikaitsetorus (PVC Ø160 mm) 450N
hoiatuslint
≥0.30
0.600.60
≥0.30
PINNASTEE TAASTAMINE
≥0.10≥0.10
Taastatav ala S= 6 m2
Kruus h= 95 cm Olemasolev kivivaba pinnas
Kaitsetoru sängituskiht keskteraline liiv/looduslik kruus fr. 0.063...63, E≥60 MPa
h= 5 cm
Tihendatud kaeviku küna põhi E≥60 MPa (tihendamise mitte saavutamisel kiiluda paekillustikuga 4/16, mis asendab kaitsetoru sängituskihti)
Kuupäev Töö nr.
Tellija:
Muudatus Kuupäev
MõõtkavaJoonise nr.
Staadium Koostas
23_3619_TP_EL-02_KATTED_240104_HT
LehtJoonis:
Töö nimetus:
Aadress:
Elektritööde reg. nr.: EL10360030-0001
Salve 2a Tallinn 11612 Tel: (+372) 6 701 066 www.eservice.ee
Kontrollis Proj. kood
H. Turja Tööprojekt
04.01.2024 23_3619
Elektrilevi OÜ
H. Turja IP6010
3/5
Kohila vald, Rapla maakond
Katete taastamise asendiplaan
Kohila -Adila 10kV fiidri rekonstrueerimine
EL-02 1:500 / -
MÄRKUSED: 1) Projekt on koostatud lähtuvalt Elektrilevi OÜ lähteülesandest nr: IP6010. 2) Projekti asendiplaani koostamiseks on kasutatud: - Geoalus OÜ poolt koostatud geodeetilist asendiplaani nr: 23-G444; kuup.: 04.01.2024 (koordinaadid L-EST97 ja kõrgused EH2000 süsteemis 3) Õhu- ja maakaabelliinide pikkused on asendiplaanile märgitud trassipikkustena (kogupikkused vt. elektrilisel skeemil Joonis EL-02 ja EL-03).
TINGMÄRGID
Olemasolev keskpinge maakaabelliin
Projekteeritud 24kV maakaabel kaitsetorus1W2
Olemasolev 0,4kV õhuliin
Olemasolev kinnistupiir
Projekteeritud 450N kaitsetoru
Projekteeritud 24kV harukilp Projekteeritud 24kV jätkumuhv
Joonis 4
31701:001:2691
Mäeotsa
31701:001:2471
Vardi metskond 77
1W2 1W2
1W2 1W2
1W2 1W2
1W2 1W2
1W2 1W2
1W2 1W2 1W2 1W2 1W2
1W2 1W2 1W2
1W2 1W2
1W2
1W2 1W2
1W2 1W2
1W2
1W2 1W2
1W2 1W2
1W2 1W2
1W2 1W2
1W2
1W2 1W2
1W 2
1W 2
1W 2
1W 2
1W 2
1W 2
1W 2
1W 2
1W 2
1W 2
1W 2
1W 2
1W 2
1W 2
X X X X X X X X X X X X X X X X X X X X X X X X X X X X X X X X X X X X X M37
M 1:50 1.40
1. 00
projekteeritud kaabelliin kaablikaitsetorus (PVC Ø160 mm) 450N
hoiatuslint
≥0.30
0.600.60
≥0.30
OLEMASOLEVA PINNASE TAASTAMINE
≥0.10≥0.10
Olemasolev kivivaba pinnas h= 95 cm Kaitsetoru sängituskiht keskteraline liiv/looduslik kruus fr. 0.063...63, E≥60 MPa
h= 5 cm
Tihendatud kaeviku küna põhi E≥60 MPa (tihendamise mitte saavutamisel kiiluda paekillustikuga 4/16, mis asendab kaitsetoru sängituskihti)
M 1:50 1.40
1. 00
projekteeritud kaabelliin kaablikaitsetorus (PVC Ø160 mm) 450N
hoiatuslint
≥0.30
0.600.60
≥0.30
PINNASTEE TAASTAMINE
≥0.10≥0.10
Kruus h= 95 cm Olemasolev kivivaba pinnas
Kaitsetoru sängituskiht keskteraline liiv/looduslik kruus fr. 0.063...63, E≥60 MPa
h= 5 cm
Tihendatud kaeviku küna põhi E≥60 MPa (tihendamise mitte saavutamisel kiiluda paekillustikuga 4/16, mis asendab kaitsetoru sängituskihti)
Kuupäev Töö nr.
Tellija:
Muudatus Kuupäev
MõõtkavaJoonise nr.
Staadium Koostas
23_3619_TP_EL-02_KATTED_240104_HT
LehtJoonis:
Töö nimetus:
Aadress:
Elektritööde reg. nr.: EL10360030-0001
Salve 2a Tallinn 11612 Tel: (+372) 6 701 066 www.eservice.ee
Kontrollis Proj. kood
H. Turja Tööprojekt
04.01.2024 23_3619
Elektrilevi OÜ
H. Turja IP6010
4/5
Kohila vald, Rapla maakond
Katete taastamise asendiplaan
Kohila -Adila 10kV fiidri rekonstrueerimine
EL-02 1:500 / A3
MÄRKUSED: 1) Projekt on koostatud lähtuvalt Elektrilevi OÜ lähteülesandest nr: IP6010. 2) Projekti asendiplaani koostamiseks on kasutatud: - Geoalus OÜ poolt koostatud geodeetilist asendiplaani nr: 23-G444; kuup.: 04.01.2024 (koordinaadid L-EST97 ja kõrgused EH2000 süsteemis 3) Õhu- ja maakaabelliinide pikkused on asendiplaanile märgitud trassipikkustena (kogupikkused vt. elektrilisel skeemil Joonis EL-02 ja EL-03).
TINGMÄRGID
Olemasolev keskpinge maakaabelliin
Projekteeritud 24kV maakaabel kaitsetorus1W2
Olemasolev 0,4kV õhuliin
Olemasolev kinnistupiir
Projekteeritud 450N kaitsetoru
Olemasolev 0,4kV maakaabelliin
X X X X X X Demonteeritav keskpinge õhuliin
Joonis 3
31701:006:1090 20103 Pihali-Adila-Rabivere tee
31 70
1: 00
6: 11
55
Pih ali
al aja
am
M129H5
M129H4
10 0
1W 1
1W 1
1W 1
1W 1
1W 1
1W 1
1W1
1W1
1W1
1W1
1W1
1W1
1W1
1W1
1W1
1W1
1W1
1W1
1W1
1W1
1W1
1W1
1W1
1W 1
1W 1
1W 1
1W 1
1W 1
1W 1
1W 1
1W 1
1W 1
1W 1
1W 1
31 70
1: 00
1: 18
52
Pä rtl
e
M 1:50 1.40
0. 70
projekteeritud kaabelliin kaablikaitsetorus (PVC Ø160 mm) 450N
hoiatuslint
≥0.30
0.600.60
≥0.30
OLEMASOLEVA PINNASE TAASTAMINE
≥0.10≥0.10
Taastatav ala S= 33 m2
Olemasolev kivivaba pinnas h= 95 cm Kaitsetoru sängituskiht keskteraline liiv/looduslik kruus fr. 0.063...63, E≥60 MPa
h= 5 cm
Tihendatud kaeviku küna põhi E≥60 MPa (tihendamise mitte saavutamisel kiiluda paekillustikuga 4/16, mis asendab kaitsetoru sängituskihti)
Kuupäev Töö nr.
Tellija:
Muudatus Kuupäev
MõõtkavaJoonise nr.
Staadium Koostas
23_3619_TP_EL-02_KATTED_240104_HT
LehtJoonis:
Töö nimetus:
Aadress:
Elektritööde reg. nr.: EL10360030-0001
Salve 2a Tallinn 11612 Tel: (+372) 6 701 066 www.eservice.ee
Kontrollis Proj. kood
H. Turja Tööprojekt
04.01.2024 23_3619
Elektrilevi OÜ
H. Turja IP6010
5/5
Kohila vald, Rapla maakond
Katete taastamise asendiplaan
Kohila -Adila 10kV fiidri rekonstrueerimine
EL-02 1:250 / A3
MÄRKUSED: 1) Projekt on koostatud lähtuvalt Elektrilevi OÜ lähteülesandest nr: IP6010. 2) Projekti asendiplaani koostamiseks on kasutatud: - Geoalus OÜ poolt koostatud geodeetilist asendiplaani nr: 23-G444; kuup.: 04.01.2024 (koordinaadid L-EST97 ja kõrgused EH2000 süsteemis 3) Õhu- ja maakaabelliinide pikkused on asendiplaanile märgitud trassipikkustena (kogupikkused vt. elektrilisel skeemil Joonis EL-02 ja EL-03).
TINGMÄRGID
Projekteeritud 0,4kV maakaabel1W1
Olemasolev kinnistupiir
Olemasolev 0,4kV maakaabelliin Olemasolev 0,4kV õhuliin
Olemasolev 10kV õhuliin Olemasolev raudbetoonmast
100 Projekteeritud mastalajaam
Projekteeritud BLL62 õhuliin
Tartu
2024
MTR reg. nr. EL10360030-0001 Salve 2A , 11612 Tallinn , Tel. 6 701 066
Tellija: Elektrilevi OÜ
Töö nr: 23_3619
Projekti kood: IP6010
Kohila-Adila 10 kV fiidri rekonstrueerimine
Tööprojekt
Aadress: Kohila vald, Rapla maakond
Koostas: Helina Turja
Kontrollis: Helina Turja
Töönimi: Kohila-Adila 10 kV fiidri rekonstrueerimine Töö nr: 23_3619
Kuupäev: 04.01.2024 Projekti kood: IP6010
E-Service AS
Reg.nr: 10360030 2/16
SISUKORD ASUKOHT ..................................................................................................................................................3 SELETUSKIRI ..............................................................................................................................................4
1.1. Üldosa .......................................................................................................................................4 1.2. Projektlahendus .......................................................................................................................5
1.2.1. 24kV maakaabelliinide paigaldus .....................................................................................5 1.2.2. 0,4 kV maakaabelliini paigaldus .......................................................................................7 1.2.3. Rekonstrueeritav Kõue-Adila 10kV fiidri õhuliin ..............................................................9 1.2.4. Projekteeritud 21(10,5)/0,41kV alajaam (AJ14233) ...................................................... 10 1.2.5. Projekteeritud mastalajaamad ...................................................................................... 10
1.3. Kaitse ja maandamine ........................................................................................................... 10 1.4. Pinnasekatete taastamine ..................................................................................................... 11 1.5. Märgiste paigaldus ................................................................................................................ 11 1.6. Käit......................................................................................................................................... 11
2. TÖÖKIRJELDUSED .......................................................................................................................... 12 2.1. Ehitusplatsi ettevalmistus ..................................................................................................... 12 2.2. Ohutuse tagamine ja liikluskorraldus .................................................................................... 12 2.3. Olemasolevate ehitistega ja rajatistega arvestamine ........................................................... 12 2.4. Töötervishoid ja tööohutusnõuded ...................................................................................... 13 2.5. Ehitustööde dokumenteerimine ja järelevalve ..................................................................... 13 2.6. Tööde kvaliteedinõuded ....................................................................................................... 13
3. DEMONTAAž .................................................................................................................................. 14 TABELID ................................................................................................................................................. 16
3.1. Tabel 1 – Materjalide spetsifikatsioon .................................................................................. 16 3.2. Tabel 2 – Mastitabel .............................................................................................................. 16 3.3. Tabel 3 – Töödemahud .......................................................................................................... 16 JOONISED Joonis EL-00 – Üldplaan Joonis EL-01 – Asendiplaan (16 lehte) Joonis EL-02– Katete taastamise asendiplaan (5 lehte) Joonis EL-03 – Elektriskeem (2 lehte) Joonis EL-04– Skeemiparandus Joonis EL-05 – Masti joonis (4 lehte) LISAD Lisa 1 – Elektrilevi OÜ projektülesanne Lisa 2 – Kooskõlastuste koondtabel Lisa 3 – Kooskõlastuste ärakirjad
Töönimi: Kohila-Adila 10 kV fiidri rekonstrueerimine Töö nr: 23_3619
Kuupäev: 04.01.2024 Projekti kood: IP6010
E-Service AS
Reg.nr: 10360030 3/16
ASUKOHT
Töönimi: Kohila-Adila 10 kV fiidri rekonstrueerimine Töö nr: 23_3619
Kuupäev: 04.01.2024 Projekti kood: IP6010
E-Service AS
Reg.nr: 10360030 4/16
SELETUSKIRI
1.1. Üldosa
Käesoleva projektiga on lahendatud Kohila-Adila 10kV fiidri rekonstrueerimine, Kohila vallas, Rapla maakonnas.
Projekteerimistöö aluseks on Tellija poolt väljastatud projektülesanne (Vt. Lisa 1).
Projekti koostamisel on lähtutud järgmistest seadustest, standarditest, eeskirjadest, normidest jms:
• Eesti Vabariigi Ehitusseadustik, Ehitusseadustiku ja planeerimisseaduse rakendamise seadus, Seadme ohutus seadus, Nõuded ehitusprojektile ja teised kehtivad seadused, nõuded ning õigusaktid.
• Elektrilevi OÜ ettevõtte standardid, juhendid, normid, nõuded ja teised kehtivad dokumendid.
• EVS-HD 60364-4-41:2017+A12:2019 Madalpingelised elektripaigaldised. Osa 4-41: Kaitseviisid. Kaitse elektrilöögi eest
• EVS-HD 60364-4-42:2011+A1:2015 Madalpingelised elektripaigaldised. Osa 4-42: Kaitseviisid. Kaitse kuumustoime eest.
• EVS-HD 60364-4-43:2023 Madalpingelised elektripaigaldised. Osa 4-43, Kaitseviisid. Liigvoolukaitse.
• EVS-HD 60364-4-444:2010 Madalpingelised elektripaigaldised. Osa 4-444: Kaitseviisid. Kaitse pingehäiringute ja elektromagnetiliste häiringute eest.
• EVS-HD 60364-4-444:2010/AC:2012 Madalpingelised elektripaigaldised. Osa 4-444: Kaitseviisid. Kaitse pingehäiringute ja elektromagnetiliste häiringute eest.
• EVS-HD 60364-5-52:2011+A11:2017 Madalpingelised elektripaigaldised. Osa 5-52: Elektriseadmete valik ja paigaldamine. Juhistikud.
• EVS-HD 60364-5-54:2011+A11:2017 Madalpingelised elektripaigaldised. Osa 5-54: Elektriseadmete valik ja paigaldamine. Maandamine ja kaitsejuhid.
• EVS-EN 50341-1:2013 Elektriõhuliinid vahelduvpingega üle 1 kV. Osa 1: Üldnõuded.
• EVS-EN 61936-1:2021 Tugevvoolupaigaldised nimivahelduvpingega üle 1kV. Osa 1: Üldnõuded.
• EVS-EN 50341-2-20:2018 Elektriõhuliinid vahelduvpingega üle 1 kV. Osa 2-20: Eesti siseriiklikud erinõuded (SEN).
• EVS EN 50522:2022 Üle 1 kV nimivahelduvpingega tugevvoolupaigaldiste maandamine.
Nimetatud dokumentidega tuleb arvestada ka ehitustööde teostamisel. Samuti järgida nimetatud dokumente elektripaigaldise hilisemal käidul.
Kolm päeva enne ehitustööde algust on ehitajal kohustus võtta ühendust kinnistute valdajatega, teavitades neid tööde teostamisest nende maaüksustel ning arvestama nende tingimuste, nõudmiste ja kooskõlastuste tingimustega (Vt. Lisa 2 ja Lisa 3).
Kolm päeva enne ehitustööde algust on ehitajal kohustus teavitada töödega alustamisest Tellija projektijuhti, kohaliku omavalitsust, ristuvate tehnovõrkude valdajaid ning arvestama ehitustöödel nende tingimuste, nõudmiste ja kooskõlastuste tingimustega (Vt. Lisa 2 ja Lisa 3). Vajadusel võtta tööde teostamiseks tööluba.
Ehitustööd teostada vastavalt Tellija ja kohaliku omavalitsuse kehtestatud korrale. Meetmed ohutuks tööks elektripaigaldises ja selle kaitsevööndis määrata kindlaks tööjuhatuse koosolekul enne tööde alustamist.
Töönimi: Kohila-Adila 10 kV fiidri rekonstrueerimine Töö nr: 23_3619
Kuupäev: 04.01.2024 Projekti kood: IP6010
E-Service AS
Reg.nr: 10360030 5/16
Ehitustööde käigus ja elektripaigaldise hilisemal käidul juhinduda eelpool toodud eeskirjadest ja Eesti Vabariigis kehtivatest normatiividest ning seadustest. Samuti pidada kinni töötervishoiu, tööohutuse ja elektriohutuse nõuetest ning headest tavadest.
Ehitajal on kohustus täita liikluskorralduse nõudeid teetöödel, mis on kehtestatud Majandus- ja kommunikatsiooniministri 13. juuli 2015.a. määrusega nr 90, liiklejale ohutute liikumistingimuste loomiseks teel ja töö tegijale ohutute töötingimuste loomiseks teel ja tee kaitsevööndis.
Seadmete parameetrid on antud asendiplaanil (Vt. Joonis EL-01) ja elektriskeemil (Vt. Joonis EL-03 ja EL-04). Paigaldatud kaitsmed ja projekteeritud maanduspaigaldised tagavad elektripaigaldise ohutuse. Uute madalpingeliinide ehitamisel jätta faasijärjestus samaks.
Projekti asendiplaanil ja töömahtude tabelis on toodud kaablitele projektsioonväärtused ning materjalide spetsifikatsioonis ja elektrilisel skeemil antud arvutuslikud kaablite pikkused.
Projekti asendiplaani koostamisel on aluseks võetud:
• Geodeetiline asendiplaan: Geoalus OÜ (töö nr – GEO 23-G444; kuupäev – 04.01.2024 (Koordinaadid L-EST97; kõrgused EH2000 süsteemis).
• Connecto Eesti AS poolt koostatud Sutlema tee 6 elektriliitumise asendiplaan nr: LR9845-1; kuup.: 25.01.2024 (koordinaadid L-EST97 ja kõrgused EH2000 süsteemis
NB! Ehitustöödel või selle ettevalmistamisel tekkinud küsimused ja probleemid, mida pole kajastatud käesolevas projektis või on ebaselged/vastuolulised, lahendatakse töö käigus kooskõlastatult projekteerija ja Tellijaga.
• Peale teostusjooniste koostamist sõlmida kaablitrassi kaitsetsooni ulatuses maakasutusõiguse saamiseks isikliku kasutusõiguse lepingud või seada sundvaldused.
• Uus alajaam ja maakaabelliinid vajavad kokkuleppelist sundvaldust või IKÕ seadmist.
• Vajalikud maa omanike eelnevad kooskõlastused
• Vajalikud maa omaniku vastavad krundijaotusplaanid
1.2. Projektlahendus
1.2.1. 24kV maakaabelliinide paigaldus
Projekteeritud maakaabelliinid paigaldada vastavalt Elektrilevi OÜ ettevõttestandardile: UUP338 - 0,4…20kV VÕRGUSTANDARD – 20kV KAABELLIINIDUU.
Kaablite kulgemine looduses on esitatud asendiplaanil (Vt. Jooniseid EL-01). Kaablite parameetrid koos algus- ja lõpp-punktidega on toodud elektrilisel skeemil (Vt. Joonis EL-03). Põhimaterjalid koos varuga on spetsifitseeritud materjalide spetsifikatsioonis (Vt. Tabel 1) ja tööde mahud on esitatud vormikohases tööde mahtude tabelis (Vt. Tabel 2).
Kaabeliinitrass puhastada vajadusel vajalikus ulatuses puudest/võsast ja kividest.
Kaablite paigaldamisel jälgida tootja poolt lubatud painderaadiusi, tõmbejõudusid ja teisi paigaldustingimusi.
Kivises pinnases või kui kaeviku põhi jäetakse tasandamata tuleb kaabel/kaitsetoru koos kaabliga paigaldada liivapadja sisse.
Kaablid paigaldada lahtisel/kinnisel meetodil kaablikaitsetorusse min 1 m sügavusele maapinnast vastavalt asendiplaanil (Vt. Jooniseid EL-01) toodule.
Töönimi: Kohila-Adila 10 kV fiidri rekonstrueerimine Töö nr: 23_3619
Kuupäev: 04.01.2024 Projekti kood: IP6010
E-Service AS
Reg.nr: 10360030 6/16
Riigitee ületamisel kaabel paigaldada kinnisel meetodil 1250N kaitsetorru min 2,2m sügavusele maapinnast (Vt. Joonis EL-01).
Suundpuurimistööde esimene etapp on pilootpuurimine, mis teostatakse vastavalt projektile maha märgitud trassile. Teine etapp on puuritava tunneli eellaiendamine mõõtu. Rasketes pinnastes nagu paekivi, liivakivi ja moreen tuleb teha mitmeid laiendusi, et saavutada lõplik tunneli läbimõõt. Nende töödega samaaegselt toimub torude põkk-keevitamine. Peale eellaiendustöid saab alustada kaablikaitse hülsside sisse vedamise töödega, mille käigus asetatakse jällegi kõige ette vajaliku läbimõõduga laiendi mille külge haagitakse sisseveetavad kaablihülsid. Samal ajal pumbatakse läbi pilootvarraste bentoniidi (ehituslikku savi) lahust 3-5 korda rohkem puuritava pinnase mahust, et transportida üleliigne pinnas puurimistunnelist välja vahekaevikutesse. Pinnasest küllastunud lahus imetatakse vahekaevikutest välja ja utiliseeritakse. Kogu puurimistööde ajal on kaablikaitse hülsid hermeetilised, et vältida pinnase ja muude osakeste sattumine hülssidesse. Selleks, et pinnas pärast puurimist ei vajuks, peab lisaks tavalisele puurimissegule kasutama ka kivistuvat segu.
Kivistuva segu kasutamiseks peab läbima puurimistunnelit 2 korra (tagasitõmbamine tehakse koos laiendi ja torudega) asemel 4 korda (esimene tagasitõmbamine tehakse ainult laiendiga ja teine tagasitõmbamine torudega).
Koos torude paketiga tuleb tõmmata lisaks üks toru PE D50 mm SDR11 nii, et üks toruots tuleb maast välja , aga teine ots jääb maa all ca sõidutee keskel.
Peale torupaki sisse tõmbamist pumbatakse 50mm toru sisse nt. Cebo Drill Grout ( eri bentoniidi segu) mida kivistub 7....30 päeva jooksul
Teemaal paigaldada kaabel lahtisel meetodil 750N kaitsetorru min 1m sügavusele maapinnast (Vt. Joonis EL-01).
Tehnovõrkude teemaale paigaldamisel on kõrvalekalded kooskõlastatud projektist keelatud.
Tehnovõrgu riigiteealusele maale paigaldamise korral peab tehnovõrgu omanik enne projekti realiseerima asumist esitama Transpordiametile vormikohase taotluse koos projektis kooskõlastatud asukoha-skeemiga tehnovõrgu paigaldamise ja talumise lepingu sõlmimiseks (vorm saadaval Transpordiameti kodulehel). Sõlmitud leping on aluseks riigitee alusel maal projektijärgsete tööde teostamiseks vajaliku liiklusväliste tööde loa väljastamiseks.
Kaablist/kaitsetorus olevast kaablist 0,3 m kõrgemale paigaldada kaablihoiatuslint. Hoiatuslint peab asetsema kaitstava kaabliga kohakuti.
Ristumisel teiste maa-aluste kommunikatsioonidega (tarbijakaablid, side, jne) tuleb kohale kutsuda vastavate kommunikatsioonitrasside valdajate esindajad. Juhinduda normidekohastest püst- ja horisontaalvahekaugustest ning kooskõlastustes toodud tingimustest. Kaevamistööd teiste kommunikatsioonide kaitsetsoonis teostada käsitsi (Vt. Lisa 3). Mehhaniseeritud kaevamine on lubatav ainult maa-aluste rajatiste valdajate loal, seejuures enne kontrollides, kas maa sees ei leidu plaanidele kandmata rajatisi. Ristumistel allmaarajatistega tuleb kaabli paigaldussügavus täpsustada kohapeal ehituse käigus, tehes käsitsi kaevates kindlaks nende täpse asukoha ja suuna ning otsustada pealt või altpoolt läbimineku kasuks. Vajadusel toestada sidekaablid ja olemasolevad elektrikaablid kaevetööde ajaks. Kaevamistööde käigus selgunud maa-aluste kommunikatsioonide teisiti paiknemisel teavitada sellest vastavate kommunikatsioonitrasside valdajate esindajad. Pärast kaablite paigaldamist tuleb teha kaabelliini ja maanduspaigaldise teostusjoonised.
Pärast kaevetööde ja kaabelliini paigaldustööde lõppu tuleb kaablikaevis täita tihendatud pinnasega (pinnase tihendamise koefitsient sõidu- ja kõnniteedel on 0,98). Samuti taastada teekatted ja haljastus endisele või maapinna taastamise joonisel ettenähtud kujule.
Töönimi: Kohila-Adila 10 kV fiidri rekonstrueerimine Töö nr: 23_3619
Kuupäev: 04.01.2024 Projekti kood: IP6010
E-Service AS
Reg.nr: 10360030 7/16
24- ja 0,4kV maakaabli ja tehnorajatise vahelised väiksemad lubatavad vahekaugused (kujad) [m]
Tehnorajatise nimetus Rõhtvahekaugus rööpkulgemisel Püstvahekaugused ristumisel
I II I II
Vee ja kanalisatsiooni toru
-kaabel torus
1/0,5PP
1)
0,25PP
1)
1
0,5
0,25PP
9)
0,3
0,2
Elektrikaabel
-paigaldatav kaabel torus
0,1
0,07PP
2)
0,2...0,3
0,25)
0PP
7)8)
0,1/0,5PP
10)
0,1
0,2
0PP
7)
Sidekaabel või -kanalisatsioon
-paigaldatav kaabel torus
0,5
0,1PP
5)
0,25...0,5
0,2PP
5)
0PP
7)8)
0,5
0,15PP
11)
0,2
0PP
7)
P
1) PKitsas kohas erikooskõlastuse kohaselt.
P
5) PKaabel kaitstud tugeva või keskmise kaitseastmega või eraldatud betoonvaheseinaga. Alus: Tehnilised nõuded sideliinide
ristumisel elektriliinidega. Juhendi projekt.
P
7) PMõlemad kaablid kaitstud (torus või kanalis).
P
8) PVähimad rõhtkaugused lähenemisel.
P
9) PKaablit kaitsev toru peab ulatuma ristuvast rajatisest ±2 m kummalegi poole.
P
10) PRistumisel keskpinge- või kõrgepingekaabliga.
P
11) PKaablid p.o. 1 m pikkuselt kummalegi poole olema eraldatud betoonplaatide või A-tugevusklassi torudega; sidekaabel
peab paiknema kõrgemal.
I veerg sisaldab kooskõlastamis- ja ehituspraktikas seni kehtivaks tunnistatud elektriseadmete ehituseeskirjade norme.
II veerg sisaldab Eesti Projekteerimisnormide EPN 17 eelnõu osa 8 tabelites 8.2–8.4 ja 8.6 toodud norme, mis pole veel üldkohustuslikena kehtestatud, kuid mille täitmist võib (eriti vähendatud kaugusi kitsastes kohtades) projekteerimisel taotleda.
Eriti kitsastes kohtades kooskõlastatult rajatise valdajaga võib projekteerida tooduist erinevaid (vähendatud) kaugusi tingimusel, et need võimaldavad täita ehituse, remondi ja hooldamise ohutusnõudeid.
1.2.2. 0,4 kV maakaabelliini paigaldus
Projekteeritud maakaabelliin paigaldada vastavalt Elektrilevi OÜ ettevõttestandardile: P342 - 0,4…20kV VÕRGUSTANDARD – 0,4 kV KAABELLIINID.
Kaablite kulgemine looduses on esitatud asendiplaanil (Vt. Joonis EL-01). Kaablite parameetrid koos algus- ja lõpp-punktidega on toodud elektriskeemil (Vt. Joonis EL-03). Põhimaterjalid koos varuga on spetsifitseeritud materjalide spetsifikatsioonis (Vt. Tabel 1), tööde mahud on esitatud vormikohases tööde mahtude tabelis (Vt. Tabel 2).
Kaabelliinitrass puhastada vajadusel vajalikus ulatuses kividest.
Kaabli paigaldamisel jälgida tootja poolt lubatud painderaadiuseid, tõmbejõudusid ja teisi paigaldustingimusi.
Kivises pinnases või kui kaeviku põhi jäetakse tasandamata kaabel paigaldada liivapadja sisse.
Kaabel paigaldada lahtisel meetodil haljasalal min 1m sügavusele vastavalt asendiplaanil (Vt. joonis EL- 01) toodule.
Töönimi: Kohila-Adila 10 kV fiidri rekonstrueerimine Töö nr: 23_3619
Kuupäev: 04.01.2024 Projekti kood: IP6010
E-Service AS
Reg.nr: 10360030 8/16
Riigitee ületamisel kaabel paigaldada kinnisel meetodil 1250N kaitsetorru min 2,2m sügavusele maapinnast (Vt. Joonis EL-01).
Suundpuurimistööde esimene etapp on pilootpuurimine, mis teostatakse vastavalt projektile maha märgitud trassile. Teine etapp on puuritava tunneli eellaiendamine mõõtu. Rasketes pinnastes nagu paekivi, liivakivi ja moreen tuleb teha mitmeid laiendusi, et saavutada lõplik tunneli läbimõõt. Nende töödega samaaegselt toimub torude põkk-keevitamine. Peale eellaiendustöid saab alustada kaablikaitse hülsside sisse vedamise töödega, mille käigus asetatakse jällegi kõige ette vajaliku läbimõõduga laiendi mille külge haagitakse sisseveetavad kaablihülsid. Samal ajal pumbatakse läbi pilootvarraste bentoniidi (ehituslikku savi) lahust 3-5 korda rohkem puuritava pinnase mahust, et transportida üleliigne pinnas puurimistunnelist välja vahekaevikutesse. Pinnasest küllastunud lahus imetatakse vahekaevikutest välja ja utiliseeritakse. Kogu puurimistööde ajal on kaablikaitse hülsid hermeetilised, et vältida pinnase ja muude osakeste sattumine hülssidesse. Selleks, et pinnas pärast puurimist ei vajuks, peab lisaks tavalisele puurimissegule kasutama ka kivistuvat segu.
Kivistuva segu kasutamiseks peab läbima puurimistunnelit 2 korra (tagasitõmbamine tehakse koos laiendi ja torudega) asemel 4 korda (esimene tagasitõmbamine tehakse ainult laiendiga ja teine tagasitõmbamine torudega).
Koos torude paketiga tuleb tõmmata lisaks üks toru PE D50 mm SDR11 nii, et üks toruots tuleb maast välja , aga teine ots jääb maa all ca sõidutee keskel.
Peale torupaki sisse tõmbamist pumbatakse 50mm toru sisse nt. Cebo Drill Grout ( eri bentoniidi segu) mida kivistub 7....30 päeva jooksul.
Teemaal paigaldada kaabel lahtisel meetodil 750N kaitsetorru min 1m sügavusele maapinnast (Vt. Joonis EL-01).
Tehnovõrkude teemaale paigaldamisel on kõrvalekalded kooskõlastatud projektist keelatud.
Tehnovõrgu riigiteealusele maale paigaldamise korral peab tehnovõrgu omanik enne projekti realiseerima asumist esitama Transpordiametile vormikohase taotluse koos projektis kooskõlastatud asukoha-skeemiga tehnovõrgu paigaldamise ja talumise lepingu sõlmimiseks (vorm saadaval Transpordiameti kodulehel). Sõlmitud leping on aluseks riigitee alusel maal projektijärgsete tööde teostamiseks vajaliku liiklusväliste tööde loa väljastamiseks.
Kaitsetorus olevast kaablist 0,3 m kõrgemale paigaldada kaablihoiatuslint. Hoiatuslint peab asetsema kaitstava kaabliga kohakuti.
Ristumisel maa-aluste kommunikatsioonidega tuleb kohale kutsuda vastavate kommunikatsioonitrasside valdajate esindajad. Juhinduda normikohastest püst- ja horisontaalvahekaugustest ning kooskõlastustes toodud tingimustest. Kaevamistööd teiste kommunikatsioonide kaitsetsoonis teostada käsitsi (Vt. Lisa 2 ja Lisa 3). Mehhaniseeritud kaevamine on lubatav ainult maa-aluste rajatiste valdajate loal, seejuures enne kontrollides, kas maa sees ei leidu plaanidele kandmata rajatisi. Ristumistel allmaarajatistega tuleb kaabli paigaldussügavus täpsustada kohapeal ehituse käigus, tehes käsitsi kaevates kindlaks nende täpse asukoha ja suuna ning otsustada pealt või altpoolt läbimineku kasuks. Vajadusel toestada olemasolevad kommunikatsioonitrassid kaevetööde ajaks. Kaevamistööde käigus selgunud maa-aluste kommunikatsioonide teisiti paiknemisel teavitada sellest vastavate kommunikatsioonitrasside valdajate esindajad. Pärast kaablite paigaldamist tuleb teha kaabelliini ja maanduspaigaldise teostusjoonised.
Pärast kaevetööde ja kaabelliini paigaldustööde lõppu tuleb kaablikaevis täita tihendatud pinnasega. Samuti taastada haljastus endisele või katete taastamise asendiplaani joonisel (Vt. Joonis EL-01) ettenähtud kujule.
Töönimi: Kohila-Adila 10 kV fiidri rekonstrueerimine Töö nr: 23_3619
Kuupäev: 04.01.2024 Projekti kood: IP6010
E-Service AS
Reg.nr: 10360030 9/16
Eriti kitsastes kohtades kooskõlastatult rajatise valdajaga võib projekteerida tooduist erinevaid (vähendatud) kaugusi tingimusel, et need võimaldavad täita ehituse, remondi ja hooldamise ohutusnõudeid.
1.2.3. Rekonstrueeritav Kõue-Adila 10kV fiidri õhuliin
Projekteeritud õhuliin paigaldada vastavalt Elektrilevi OÜ ettevõttestandardile: P339 0,4 - 20 kV VÕRGUSTANDARD - 20 kV ÕHULIINID.
Paljasjuhtmed asendada BLL62/99 mm2 ristlõikega isoleeritud õhuliinijuhtmetega vastavalt asendiplaani joonistel näidatud mahus (Vt. Joonis EL-01).
Korraga paigaldatakse ühe faasi juhe, ülejäänud juhtmed võivad olla paigaldatud või paigaldamata. Arvestada tuleb konkreetsele liini elemendile ebasoodsaima juhtmete paigaldusjärjekorraga. Juhtmete tõmme võetakse vastavalt paigaldustabelitele. Paigaldustabelites on esitatud juhtmete tõmbed ja ripped erinevate taandatud visangu pikkuste jaoks. Lisaks on iga taandatud visangu korral esitatud ripped konkreetsete pikkustega viseerimisvisangute jaoks. Paigaldustabelid on leitavad dokumendi J3301 lisades.
Kõikidele raudbetoonmastidele tuleb ehitada maandus. Raudbetoonmasti maanduse maandustakistuse väärtus määratakse vastavalt standardi EVS-EN 50341-1:2013 osadele 6.4.1 ja 6.4.2 ning lisale G4, arvestades erinevate paikade lisatakistuste mõjuga. Lubatud puutepinge vastuvõetavaks väärtuseks kestva maaühenduse korral tuleb lugeda 80 V, piirkonnaalajaama 1-faasilise mahtuvusliku maaühendusvoolu suuruseks ELV keskpingevõrgus 10 A ning maanduspingeks kahekordne arvutatud puutepinge väärtus. Seega masti maandustakistus paikades, kus inimesed võivad liikuda paljajalu, ei tohi olla üle 16 Ω, mujal üle 25 Ω. Kui ehituse käigus mõõdetav masti maandustakistuse väärtus on lubatust suurem tuleb lisada maandusvardaid või ehitada välja potentsiaalitasandusrõngas. Potentsiaalitasandusrõnga maandustakistuse väärtust mõõtma ei pea, kuid selle puhul peab mastil olema maandusklemm. Ka võib masti ümbritseva pinnase katta jämedafraktsioonilise killustiku kihiga vähemalt 1,5 meetri ulatuses mastist.
Asendada mastid vastavalt asendiplaanile (vt. joonised EL-01). Mastide paigaldamisel arvestada arvutusliku paigaldussügavusega: 11 m ja 12 m mastid paigaldatakse 2 m sügavusele ning 13 m, 14 m ja 15 m mastid paigaldatakse 2,5 m sügavusele. Vajadusel õiguda olemasolevad mastid. Kõik tugiisolaatorid tuleb asendada uutega, pingetasemega vähemalt 20 kV. Kaetud juhtmele on lubatud kasutada plasthülsiga kinnitusuurdega heledaid portselanist tõirisolaatoreid, mis võimaldavad vedada juhet veorullikuid kasutamata. Kõikide traaversite puhul tuleb tõirisolaatorina kasutada vene-tüüpi isolaatoreid ШФ20Г1 (SHF20G1) või ШФ20 (SHF20-13-E-1-I) ja isolaatori tõira mõõtudele vastavaid plastist kattekoonuseid. Tõmbeisolaatorina tuleb nõutava lekkeraja pikkuse tagamiseks kasutada ainult komposiitisolaatorit SDI90.280. Kõik uued ja olemasolevad mastid tuleb nummerdada vastavalt asendiplaanile.
Vastavalt asendiplaanile paigutada mastidele sädevahemikud. Õhkvahemikud sädevahemike elektroodide vahel seadistada L=150 mm. Sädemikud võivad paikneda traaversist suvalisel pool kusjuures keskmise faasi sädemik tuleks mastil paigaldada teisele poole välimiste juhtmete sädemikest (P339 6.7). NB! Jälgida sädemike kaugust spiraalsidemest, mis ei tohi olla väiksem kui 50mm (vt allolevat joonist).
Töönimi: Kohila-Adila 10 kV fiidri rekonstrueerimine Töö nr: 23_3619
Kuupäev: 04.01.2024 Projekti kood: IP6010
E-Service AS
Reg.nr: 10360030 10/16
Mastidel kasutatavad seadmed on välja toodud mastitabelites. Toega mastide kindlustamiseks paigaldada pehmes pinnases mastile riigel vastavalt OÜ Elektrilevi võrgustandardi joonisele P339-17. Vajadusel paigaldada riigel ka toele. Tugi dimensioneerida survele, mast väljatõmbele.
1.2.4. Projekteeritud 21(10,5)/0,41kV alajaam (AJ14233)
Projekteeritud alajaama asukoht looduses on toodud asendiplaanil (Vt. Jooniseid EL-01 leht 11). Alajaama parameetrid on toodud elektrilisel ja normaalskeemi parandusel (Vt. Jooniseid EL-03 ja EL- 04). Alajaama paigaldamisel järgida normdokumente ning paigutus ja maanduspaigaldise joonist (Vt. Joonis EL-05).
Alajaam paigaldada olemasoleva alajaama (AJ Hageri hooldekodu) asemele. Vajadusel kasutada generaatorit.
1.2.5. Projekteeritud mastalajaamad
Mastalajaamade ehitamisel lähtuda Elektrilevi OÜ normdokumendist: P340 – 20Kv VÕRGUSTANDARD- MASTALAJAAMAD.
Olemasolev Pihali KTP alajaam demonteerida ja rajada uus mastalajaam AJ14234 asendatavale mastile nr M129H5. Paigaldada uus trafo 100 kVA 21(10,5)/0,41kV. Paigaldada alajaama masti kõrvale 0,4 kV jaotuskilp (vt joonis EL-01, EL-03 ja EL-05)
1.3. Kaitse ja maandamine
Maanduspaigaldise ehitamisel lähtuda Elektrilevi OÜ normdokumendist: UP393 - NÕUDED KESKPINGE MASTLÜLITUSPUNKTIDE, KESKPINGE KAABLIVÕRGU HARUKILPIDE, LÕPUMUHVIDE, ALAJAAMADE JA MADALPINGEVÕRGU MAANDUSPAIGALDISTE EHITUSEKS U.
Alajaama maandus ühendada olemasoleva maandusega ja vajadusel täiendada, et tagada ≤ 4,0Ω. Maanduri ehitamisel on soovitatav kasutada 4,2 m pikkuseid vasetatud terasvardaid, mis ühendatakse kokku jämedakiulise paljasvaskjuhtmega Cu25. Maandusvarraste vahekaugus peab olema vähemalt kahekordne varda pikkus. Ümber alajaama 1m kaugusele ja 0,3 m sügavusele rajada potentsiaaliühtlusti jämedakiulise paljasvaskjuhtmega Cu25. Valmis ehitatud potentsiaaliringi terviklikkust peab saama mõõta maanduslatilt lahti ühendamise teel. Maa sees olevad maandusseadme ühendused teha keevisliidetena või pressliidetena.
Töönimi: Kohila-Adila 10 kV fiidri rekonstrueerimine Töö nr: 23_3619
Kuupäev: 04.01.2024 Projekti kood: IP6010
E-Service AS
Reg.nr: 10360030 11/16
Käesolevas elektripaigaldises on elektriohutuse tagamisel rakendatud peamiselt järgmisi kaitseviise:
PÕHIKAITSENA (otsepuutekaitse) – põhiisolatsiooni ohtlike pingestatud osade ja pingealdiste juhtivate osade vahel ning kaitsekatete ja kaitseümbriste kasutamist;
RIKKEKAITSENA (kaudpuutekaitse) – toite automaatset väljalülitamist koos maandatud kaitsepotentsiaaliühtlustussüsteemi väljaehitamisega, millega tagatakse elektripaigaldise pingealdiste juhtivate osade arvestuslik puutepinge alla 50 VAC.
Maanduspaigaldise materjali kogused ja parameetrid on toodud materjalide spetsifikatsioonis (Vt. Tabel 2).
1.4. Pinnasekatete taastamine
Pinnasekatete taastamise joonisel (Vt. Joonis EL-02) näidatud maa-ala tuleb ehitusjärgselt taastada, tasandada ning ehitusprahist puhastada.
Ehituskaevikust väljakaevatav pinnas ei ole sobiv esmaseks tagasitäiteks.
Haljasalal kasutada kaablikaeviku tagasitäiteks võimaluse korral väljakaevatavat kivivaba sõmerat pinnast.
Ehituskaevikust väljakaevatav ja tagasitäiteks mittekasutatav pinnas vedada koheselt ja ladustada kooskõlastatult kohaliku omavalitsuse poolt ette nähtud kohta või kinnistu omaniku poolt kooskõlastatud kohta viimase kinnistul.
Töövõtja vastutab tööde teostamise ajal keskkonnakaitse eest ehitusplatsil ja selle kõrval oleval alal vastavalt Eesti Vabariigis kehtivatele seadustele ja nõuetele.
1.5. Märgiste paigaldus
Projekteeritud maakaabelliinide, õhuliinide, jaotus- ja liitumiskilpide, alajaamade ja nendes asetsevate seadmete märgiste paigaldamisel lähtuda Elektrilevi OÜ normdokumendist: UUP346 - VÕRGUVARA TÄHISTAMISE JA MÄRGISTAMISE NÕUDEDU.
1.6. Käit
Pärast elektrivõrgu kasutuselevõttu tuleb pärast esimest ekspluatatsiooniaastat lähtuda ülevaatuste ja hooldustööde planeerimisel Elektrilevi OÜ normdokumendist: J31 – ELEKTRIPAIGALDISTE KÄIDU OHUTUSJUHEND.
Töönimi: Kohila-Adila 10 kV fiidri rekonstrueerimine Töö nr: 23_3619
Kuupäev: 04.01.2024 Projekti kood: IP6010
E-Service AS
Reg.nr: 10360030 12/16
2. TÖÖKIRJELDUSED
2.1. Ehitusplatsi ettevalmistus
Kõik ehitus- ja paigaldustööd peavad olema tehtud tööde kirjeldustes ja joonistel toodu kohaselt. Töövõtja peab oma pakkumise esitama selliselt, et see sisaldaks kõigi seadmete, materjali, tööjõu, transpordi, paigalduse, jms maksumusi ning arvestusega, et tööd oleksid tehtud kuni täieliku valmiduseni. Käesoleva projekti mahtu kuuluvad kõik tööd, mis on vajalikud projektiga määratud nimetatud tööde tegemiseks, sh tööd mida ei ole käesolevas projektis otsesõnu kirjeldatud kuid mis kuuluvad Töövõtja poolt tegemisele hea ehitustava kohaselt. Kõikide nimetatud tööde maksumus sisaldub töövõtja poolt esitatud pakkumises. Normatiivides toodud teimid, jms kuuluvad töövõttu. Enne ehitustööde alustamist taotleda vastava ehitustöö tegevusluba kohalikult omavalitsuselt ja teistelt ehitustöödega seotud organisatsioonilt. Ehitatav liinitrass, seadme asukoht, jms Tellijaga üle vaadata. Enne ehitustööde algust tuleb ehitatav liinitrass, seadme asukoht, jms kooskõlastada täiendavalt teiste trassivaldajatega ja kinnistuomanikega. Töövõtja peab Tellijale ja kohaliku omavalitsuse poolt määratud instantsidele esitama omapoolse tööde organiseerimise ja töökorralduse planeeritud ajagraafiku. See peab sisaldama ka ohutustehnilisi meetmeid tööde teostamisel kaasaarvatud meetmeid jalakäijate kaitseks, ajutiste kaitsepiirete rajamist, liikluse ümberkorraldusi, valgustust, märgistust, jne. Ehitustöödel tekkinud küsimused ja probleemid, mida pole kajastatud käesolevas projektis või on ebaselged, lahendatakse töö käigus kooskõlastatult projekti autori ja töö tellijaga.
2.2. Ohutuse tagamine ja liikluskorraldus
Ehitustöödega mõjutatav piirkond peab kogu tööperioodi vältel olema tähistatud ja vastavalt vajadusele ka valgustatud nii, et tööde teostamine ei ohustaks piirkonda läbivate või seal töid teostavate inimeste elu ja tervist ning vara. Tänavate sulgemine osaliselt või täielikult sõidukite liikluseks on võimalik ainult vastavalt omavalitsuspiirkonnas kehtivale korrale. Tööde teostaja peab arvestama kõigi projekti teostamiseks vajalike liikluse sulgemisest, ümbersuunamisest ja endise liiklusolukorra taastamisest (näit. olemasolevate liiklusmärkide eemaldamine, ajutiste liiklusmärkide paigaldamine, jne.) tulenevate kulutustega. Kasutatavate liiklusmärkide kuju ja paigaldus peavad vastama kehtivale korrale. Tööde teostaja peab arvestama kõigi projekti teostamiseks vajalike tööpiirkonna tähistamisest tulenevate kulutustega. Tööde teostaja vastutab ajutiste tähiste, piirete ja liiklusmärkide säilimise ning nende puudumisest tekkinud kahjude hüvitamise eest. Kõik ehitusplatsil töötavad inimesed peavad olema instrueeritud ohutustehnika nõuetes. Kõrvaliste isikute juurdepääs ehitusplatsile ja töötsoonidesse peab olema tõkestatud. Ohutuse eest ehitusplatsil vastutab täielikult Töövõtja.
2.3. Olemasolevate ehitistega ja rajatistega arvestamine
Kõik elektritööd peavad olema tehtud vastavalt Eesti Vabariigis kehtivatele nõuetele ja normatiividele ja Tellija volitatud esindaja nõudeid järgides.
Töövõtja peab ehitus- ja paigaldustöödel täitma kõiki territooriumi- või võrguvaldaja ning Tellija poolt volitatud isiku ettekirjutusi. Ehitusele seatakse garantiiaeg, mille pikkus määratakse Tellija ja Töövõtja vahelises lepingus, kõik ehituse garantiiajal ilmnenud vead või ebakvaliteetsed materjalid kõrvaldab Töövõtja omal kulul.
Töönimi: Kohila-Adila 10 kV fiidri rekonstrueerimine Töö nr: 23_3619
Kuupäev: 04.01.2024 Projekti kood: IP6010
E-Service AS
Reg.nr: 10360030 13/16
Enne tööde alustamist tuleb tööde teostajal koostöös olemasolevate maa-aluste rajatiste valdajatega rajatiste asukoht täpsustada ja tähistada. Tööde teostajal tuleb täita nimetatud rajatiste valdajate poolt esitatavaid nõudeid (näit. toestamine) rajatiste vahetus läheduses töötamisel.
Järgida tuleb kõikide kooskõlastusi andnud organisatsioonide nõudeid ning arvestada neist tulenevate kuludega.
2.4. Töötervishoid ja tööohutusnõuded
Tööde teostamisel tuleb järgida Eesti Vabariigi seadusi ja määrusi.
2.5. Ehitustööde dokumenteerimine ja järelevalve
Tööde tegemisel jälgida ehitustööde head tava, pärast tööde lõpetamist peab olema ehitusplats koristatud ja heakord taastatud. Elektritöödele võib lubada ainult sellekohast väljaõpet omavat personali. Ehitustööde dokumenteerimisel lähtuda Eesti Vabariigi Ehitusseadusest ja Tellija elektripaigaldise kasutuselevõtu protseduurist. Ehituse järelevalvet teostab Tellija poolne esindaja. Kõrvalekalded projektist kooskõlastatakse tellijaga ja projekteerijaga ning fikseeritakse kirjalikult. Tööde teostamise kohta koostatakse kaetud tööde aktid. Tööde lõpetamisel peab Töövõtja teostama kõik vajalikud kontrollmõõtmised, mis tõestavad tööde kvaliteetset teostust. On kohustuslik, et kontrollmõõtmised teeb mitte Töövõtja vaid teine vastavaid lube ja registreeringuid omav ettevõtja. Elektritöid ei loeta valmisolevaks enne, kui kõik teimid ja testid on tehtud ning nende tulemused vastavad nõuetele.
Töövõtjal peab enne ehituse alustamist olema ehituse tööohutuse plaan, mis peab sisaldama:
- abinõusid, mida sellel ehitusplatsil rakendatakse ohutute töötingimuste loomiseks, võttes arvesse ka platsil või selle läheduses toimuvat tegevust, liiklust jm.
- liikluskorraldust.
Ehitusplatsil paiknevad väiksemate ehituste alad ja kommunikatsioonide kaevikud piirata tähiste ja hoiatusmärkidega. Töövõtja peab oma igasuguse tegevuse ehitusplatsil kooskõlastama Tellija esindajaga; kooskõlastama kohaliku omavalitsusega, st taotlema kaeveloa ja ehituse alustamise loa.
2.6. Tööde kvaliteedinõuded
Ehitustööde kvaliteedinõuete puhul juhinduda Elektrilevi OÜ poolt välja töötatud eeskirjadest ja normidest ning MaaRYL 2010 nõuetest.
Töönimi: Kohila-Adila 10 kV fiidri rekonstrueerimine Töö nr: 23_3619
Kuupäev: 04.01.2024 Projekti kood: IP6010
E-Service AS
Reg.nr: 10360030 14/16
3. DEMONTAAŽ
Utiliseerimine korraldada läbi utiliseerimist teostavate ettevõtete vastavalt juhendile „Mittevajaliku vara ja tagastuvate elektriseadmete käsitlemise protseduur“ ning utiliseeritav ja tagastuv materjal dokumenteerida vastavalt Elektrilevi OÜ poolt kehtestatud korrale.
Demontaaži mahud on toodud alljärgnevas tabelis:
Nimetus Tüüp Kogus Mü MÄRKUSED
Alajaam AJ Pihali KTP 1 kmpl
Demonteerida AJ ja seadmed (10- ja 0,4 kV JS-d, trafo, juhtmestikud jms)
Kuni 1,0 m sügavuseni demonteeritava AJ alt materjalid/seadmed eemaldada.
Kaoarvesti ja kontsentraator tõsta ümber uude projekteeritavasse alajaama AJ14234.
Trafo 100kVA 1 Tk Demonteerida ja tagastada ELV-le
Alajaam AJ Hageri Hooldekodu
1 kmpl
Demonteerida AJ ja seadmed (10- ja 0,4 kV JS-d, trafo, juhtmestikud jms)
Kuni 1,0 m sügavuseni demonteeritava AJ alt materjalid/seadmed eemaldada.
Kontsentraator ja kaoarvesti tõsta ümber uude projekteeritavasse alajaama AJ14233.
Trafo 400kVA 1 Tk Demonteerida ja tagastada ELV-le
Alajaam AJ Tiiu MAJ 1 kmpl
Demonteerida AJ ja seadmed (10- ja 0,4 kV JS-d, trafo, juhtmestikud jms)
Kuni 1,0 m sügavuseni demonteeritava AJ alt materjalid/seadmed eemaldada.
Demonteerida kontsentraator ja kaoarvesti.
Trafo 63kVA 1 Tk Demonteerida ja tagastada ELV-le
Raudbetoonmast ja tugi 58 tk Demonteerida.
Puitmast ja masti tugi 136 tk Demonteerida.
Tõmmits 4 kmpl Demonteerida.
10 kV õhuliin AS-50 1011
(trass) m Demonteerida.
10 kV õhuliin AS-35 8620
(trass) m Demonteerida.
10 kV õhuliin AS-25 7958
(trass) m Demonteerida.
10 kV õhuliin 3 CCCST ASCR 99
613 (trass)
m Demonteerida.
Töönimi: Kohila-Adila 10 kV fiidri rekonstrueerimine Töö nr: 23_3619
Kuupäev: 04.01.2024 Projekti kood: IP6010
E-Service AS
Reg.nr: 10360030 15/16
Nimetus Tüüp Kogus Mü MÄRKUSED
Lahkoormuslüliti 2 kmpl Demonteerida.
Koostas: Helina Turja
Kuupäev: 04.01.2024
Töönimi: Kohila-Adila 10 kV fiidri rekonstrueerimine Töö nr: 23_3619
Kuupäev: 04.01.2024 Projekti kood: IP6010
E-Service AS
Reg.nr: 10360030 16/16
TABELID
3.1. Tabel 1 – Materjalide spetsifikatsioon
Koostas: Helina Turja
Kuupäev: 04.01.2024
3.2. Tabel 2 – Mastitabel
Koostas: Helina Turja
Kuupäev: 04.01.2024
3.3. Tabel 3 – Töödemahud
Koostas: Helina Turja
Kuupäev: 04.01.2024
Töönimi: Kohila-Adila 10 kV fiidri rekonstrueerimine Töö nr: 23_3619
Kuupäev: 04.01.2024 Projekti kood: IP6010
E-Service AS
Reg.nr: 10360030
JOONISED
Joonis EL-00 – Üldplaan
Joonis EL-01 – Asendiplaan (16 lehte)
Joonis EL-02– Katete taastamise asendiplaan (5 lehte)
Joonis EL-03 – Elektriskeem (2 lehte)
Joonis EL-04– Skeemiparandus
Joonis EL-05 – Masti joonis (4 lehte)
Töönimi: Kohila-Adila 10 kV fiidri rekonstrueerimine Töö nr: 23_3619
Kuupäev: 04.01.2024 Projekti kood: IP6010
E-Service AS
Reg.nr: 10360030
LISAD
Lisa 1 – Elektrilevi OÜ projektülesanne
Lisa 2 – Kooskõlastuste koondtabel
Lisa 3 – Kooskõlastuste ärakirjad
31701:005:0650 Kohila tee 9
31701:005:0005 Kohila tee 8
31701:005:0820 11220 Kernu-Kohila tee
31701:005:0023 Kohila tee 10
31701:005:0120 Kohila tee 11
1W 1
1W 1
1W 1
1W 1
1W 1
1W 1
1W 1
1W 1
1 2
1 2
1 2
1 2
1 2
1W 2
1W 2
1W 2
M 1:500
Koostas: Helina Turja E-Service AS projekteerija Töö nr: 23_3619 Projekti nr: IP6010
TINGMÄRGID
ISIKLIKU KASUTUSÕIGUSEGA KOORMATAVA ALA PLAAN
Kinnistu piir Isikliku kasutusõiguse seadmise ala
1W1 1W1 Projekteeritud 0,4 kV maakaabel 1W2 1W2 Projekteeritud 24 kV maakaabel
31701:005:0005 Kohila tee 8
31701:005:0023 Kohila tee 10
31701:005:0012 Ann-M
ai
31701:001:0608 Pargi tänav
31701:005:0301 M
äeküla
31701:005:0410 Kohila tee 6
31701:005:0820 11220 Kernu-Kohila tee
31701:005:0830 20101 Hageri-Kodila-Kuusiku tee
31701:005:0023 Kohila tee 10
1W1 1W1 1W1 1W1
1W1
1W1
1W1
1W1 1W12 2 1W2 1W2 2 2
2
2
2
M 1:250
ISIKLIKU KASUTUSÕIGUSE SEADMISE PLAAN
Koostas: Helina Turja E-Service AS projekteerija Töö nr: 23_3619 Projekti nr: IP6010
TINGMÄRGID
Kinnistu piir Isikliku kasutusõiguse seadmise ala
1W1 1W1 Projekteeritud 0,4 kV maakaabel
Projekteeritud jaotuskilp 1W2 1W2 Projekteeritud 24 kV maakaabel
TAOTLUS
KOOSKÕLASTADA TEHNOVÕRGU JA -RAJATISE PROJEKT
Kellele
TRANSPORDIAMET
Registrikood 70001490
Juriidiline aadress Tallinn 10916, Pärnu mnt 463 a
Kellelt Asutuse nimi E-Service AS
Registri- või isikukood 11445550
Juriidiline aadress
või elukoht Salve tn 2a, Tallinn 11612
Kontaktaadress Salve tn 2a, Tallinn 11612
Telefon 53512312
E-post [email protected]
1. Esitatavad materjalid:
Dokumendi liik (ehitusprojekt, tehniliste
tingimuste või nõuete taotlus)
Dokumenti nimetus (esitatava dokumendi täpne nimetus)
Dokumendi
nr.
Ehitusprojekt 23_3619_TP_EL-01_ASEND_240104_HT.dwg IP6010
Ehitusprojekt 23_3619_TP_EL-01-01_ASEND_240104_HT.pdf IP6010
Ehitusprojekt 23_3619_TP_EL-01-02_ASEND_240104_HT.pdf IP6010
Ehitusprojekt 23_3619_TP_EL-01-03_ASEND_240104_HT.pdf IP6010
Ehitusprojekt 23_3619_TP_EL-01-04_ASEND_240104_HT.pdf IP6010
Ehitusprojekt 23_3619_TP_EL-01-05_ASEND_240104_HT.pdf IP6010
Ehitusprojekt 23_3619_TP_EL-01-06_ASEND_240104_HT.pdf IP6010
Ehitusprojekt 23_3619_TP_EL-01-07_ASEND_240104_HT.pdf IP6010
Ehitusprojekt 23_3619_TP_EL-01-08_ASEND_240104_HT.pdf IP6010
Ehitusprojekt 23_3619_TP_EL-01-09_ASEND_240104_HT.pdf IP6010
Ehitusprojekt 23_3619_TP_EL-01-10_ASEND_240104_HT.pdf IP6010
Ehitusprojekt 23_3619_TP_EL-01-11_ASEND_240104_HT.pdf IP6010
Ehitusprojekt 23_3619_TP_EL-01-12_ASEND_240104_HT.pdf IP6010
Ehitusprojekt 23_3619_TP_EL-01-13_ASEND_240104_HT.pdf IP6010
Ehitusprojekt 23_3619_TP_EL-01-14_ASEND_240104_HT.pdf IP6010
Ehitusprojekt 23_3619_TP_EL-01-15_ASEND_240104_HT.pdf IP6010
Ehitusprojekt 23_3619_TP_EL-02-1_KATTED_240104_HT.pdf IP6010
Ehitusprojekt 23_3619_TP_EL-02-2_KATTED_240104_HT.pdf IP6010
Ehitusprojekt 23_3619_TP_EL-02-3_KATTED_240104_HT.pdf IP6010
Ehitusprojekt 23_3619_TP_EL-02-4_KATTED_240104_HT.pdf IP6010
Ehitusprojekt 23_3619_TP_EL-02-5_KATTED_240104_HT.pdf IP6010
Ehitusprojekt 23_3619_TP_SELETUSKIRI_240104_HT.pdf IP6010
Ehitusprojekt 31701.005.0820.pdf IP6010
Ehitusprojekt 31701.005.0830.pdf IP6010
2. Objekti asukoht (maakond, vald, küla, tee nr, nimetus, asukoht teel (km -vähemalt 10 m täpsusega ja/või vajadusel
koordinaadid)
Rapla maakond, Kohila vald, Pihali küla, 11220 Kernu-Kohila tee, 9.702-9.715, 8.038
Rapla maakond, Kohila vald, Vana-Aespa küla, 11240 Tõdva-Hageri tee, 13.687, 14.445-
14.7
Rapla maakond, Kohila vald, Põikma küla, 20101 Hageri-Kodila-Kuusiku tee, 0-0.085, 0.2-
0.477, 6.83
Rapla maakond, Kohila vald, Adila küla, 20103 Pihali-Adila-Rabivere tee, 2.293, 4.563
4. Põhjendus vajaduse kohta projekteerida tehnovõrk ja –rajatis riigitee maale
(Asjaõigusseadus § 158 lõige 1 ja § 1581 lõige 1)
5. Eelnevad kooskõlastused teistelt Maanteeameti osakondadelt
-
Taotleja Ees- ja
perekonnanimi
Helina Turja (juriidilisest isikust taotleja puhul juriidilise
isiku esindaja) Allkiri //Allkirjastatud digitaalselt//
Taotluse esitamise kuupäev 02.02.2024
Tabel 1. 20101 Hageri-Kodila-Kuusiku tee
Rajatis
Rajatis
riigiteealusel
maal (km)
Rajatis tee
kaitsevööndis (km)
Rajatise ristumine
(km)
Elektri õhuliini
rekonstrueerimine 6.83 6.83
Elektri maakaabelliin 0-0.0.085 0.085-0.477 Jaotuskilp 0.069
Tabel 2. 11220 Kernu-Kohila tee
Rajatis Rajatis
riigiteealusel
maal (km)
Rajatis tee
kaitsevööndis (km)
Rajatise ristumine
(km)
Elektri maakaabelliin 9.702-9.715 9.702-9.715 Elektri õhuliini
rekonstrueerimine 8.038
Tabel 3. 11240 Tõdva-Hageri tee
Rajatis Rajatis
riigiteealusel
maal (km)
Rajatis tee
kaitsevööndis (km)
Rajatise ristumine
(km)
Elektri maakaabelliin 14.427-14.69
13.687
Tabel 4. 20103 Pihali-Adila-Rabivere tee
Rajatis Rajatis
riigiteealusel
maal (km)
Rajatis tee
kaitsevööndis (km)
Rajatise ristumine
(km)
Elektri õhuliini
rekonstrueerimine 2.293
4.563
| Nimi | K.p. | Δ | Viit | Tüüp | Org | Osapooled |
|---|---|---|---|---|---|---|
| Taotlus | 16.02.2026 | 1 | 7.1-3/26/2646-1 | Sissetulev kiri | transpordiamet | Särts OÜ |
| Elektrilevi taotlus elektri maakaabelliini paigaldamiseks 11220 Kernu-Kohila, 20101 Hageri-Kodila-Kuusiku | 17.06.2024 | 2 | 7.1-5/24/10673-1 | Sissetulev kiri | transpordiamet | Elektrilevi OÜ |
| Vastus Rapla maakond, Kohila vald Kohila-Adila 10 kV fiidri rekonstrueerimine, IP6010 | 01.03.2024 | 30 | 7.1-2/24/430-4 | Valjaminev kiri | transpordiamet | E-Service Aktsiaselts |
| Vastus Rapla maakond, Kohila vald Kohila-Adila 10 kV fiidri rekonstrueerimine, IP6010 | 01.02.2024 | 59 | 7.1-2/24/430-2 | Valjaminev kiri | transpordiamet | E-Service Aktsiaselts |
| Rapla maakond, Kohila vald Kohila-Adila 10 kV fiidri rekonstrueerimine, IP6010 | 09.01.2024 | 82 | 7.1-2/24/430-1 | Sissetulev kiri | transpordiamet | E-Service Aktsiaselts |