| Dokumendiregister | Transpordiamet |
| Viit | 7.1-1/26/1397-1 |
| Registreeritud | 27.01.2026 |
| Sünkroonitud | 23.02.2026 |
| Liik | Sissetulev kiri |
| Funktsioon | 7.1 Teetaristuga seotud õiguste andmine |
| Sari | 7.1-1 Riigitee ristmike kooskõlastamise ja ehitamise dokumendid |
| Toimik | 7.1-1/2026 |
| Juurdepääsupiirang | Avalik |
| Juurdepääsupiirang | |
| Adressaat | ViaVelo Inseneribüroo OÜ |
| Saabumis/saatmisviis | ViaVelo Inseneribüroo OÜ |
| Vastutaja | Merike Joonsaar (Users, Teehoiuteenistus, Planeerimise osakond, Kooskõlastuste üksus) |
| Originaal | Ava uues aknas |
Tere
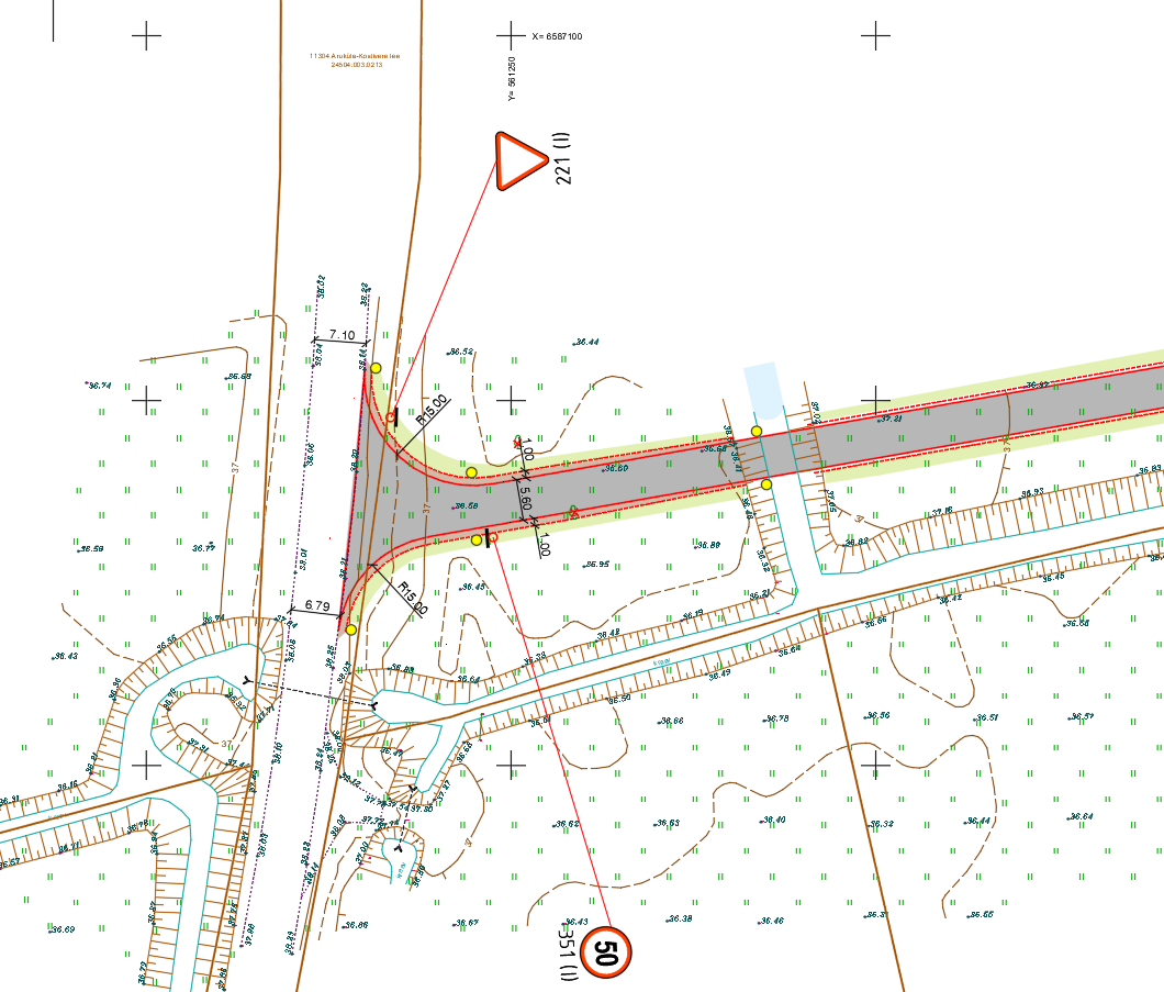
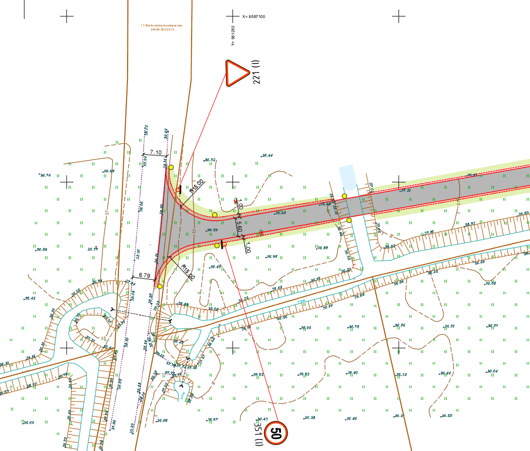
Palun projekteerimise tingimusi ristumisalade projekteerimiseks:


Lugupidamisega
Roland Mäe
ViaVelo Inseneribüroo OÜ
Reg nr 11712139
Valukoja 10, Tallinn
Telefon: 5172182
| Nimi | K.p. | Δ | Viit | Tüüp | Org | Osapooled |
|---|---|---|---|---|---|---|
| Kiri | 22.02.2026 | 1 | 7.1-1/26/1397-2 | Valjaminev kiri | transpordiamet | ViaVelo Inseneribüroo OÜ |