| Dokumendiregister | Transpordiamet |
| Viit | 7.1-2/26/1292-3 |
| Registreeritud | 18.02.2026 |
| Sünkroonitud | 19.02.2026 |
| Liik | Sissetulev kiri |
| Funktsioon | 7.1 Teetaristuga seotud õiguste andmine |
| Sari | 7.1-2 Väliste isikute ehitiste ja lubade kooskõlastamise dokumendid |
| Toimik | 7.1-2/2026 |
| Juurdepääsupiirang | Avalik |
| Juurdepääsupiirang | |
| Adressaat | Keskkond & Partnerid OÜ |
| Saabumis/saatmisviis | Keskkond & Partnerid OÜ |
| Vastutaja | Laur Kõiv (Users, Teehoiuteenistus, Planeerimise osakond, Tehnovõrkude üksus) |
| Originaal | Ava uues aknas |
Tere
Palun registreerida minule täitmiseks
Delta viit 7.1-2/26/1292-2
Parimate soovidega
Laur
Kõiv
Peaspetsialist
Tehnovõrkude üksus
Planeerimise osakond
55901417
Teelise 4 / 10916 Tallinn / Transpordiamet
From: Hanno
Koha <[email protected]>
Sent: Wednesday, February 18, 2026 10:54 AM
To: Laur Kõiv <[email protected]>
Subject: Re: Raasiku aleviku vee- ja kanalisatsioonitorustikud
Tere
Esitame muudetud projekti, mis on leitav lingilt: https://www.dropbox.com/scl/fo/82dcdq45origbykhrjn0i/ANCBZPcr4zBkMEnvdDbbGGY?rlkey=0xr9lvd8d08ty3akua95q0ybn&st=6n9zk07z&dl=0
Juhin tähelepanu, et põhjendus, miks on ehitatud eelnevalt kooskõlastatud projektist erinevalt on toodud seletuskirja punktis 3.1
IKÕ plaanidele lisatud puuduolevad tingmärgid.
Lisatud EXTech Design OÜ poolt koostatud muudatusprojekt.
On 2/16/2026 11:51 AM, Laur Kõiv wrote:
Tere
Oleme esitatud materjalid üle vaadanud ning esitame tähelepanekud.
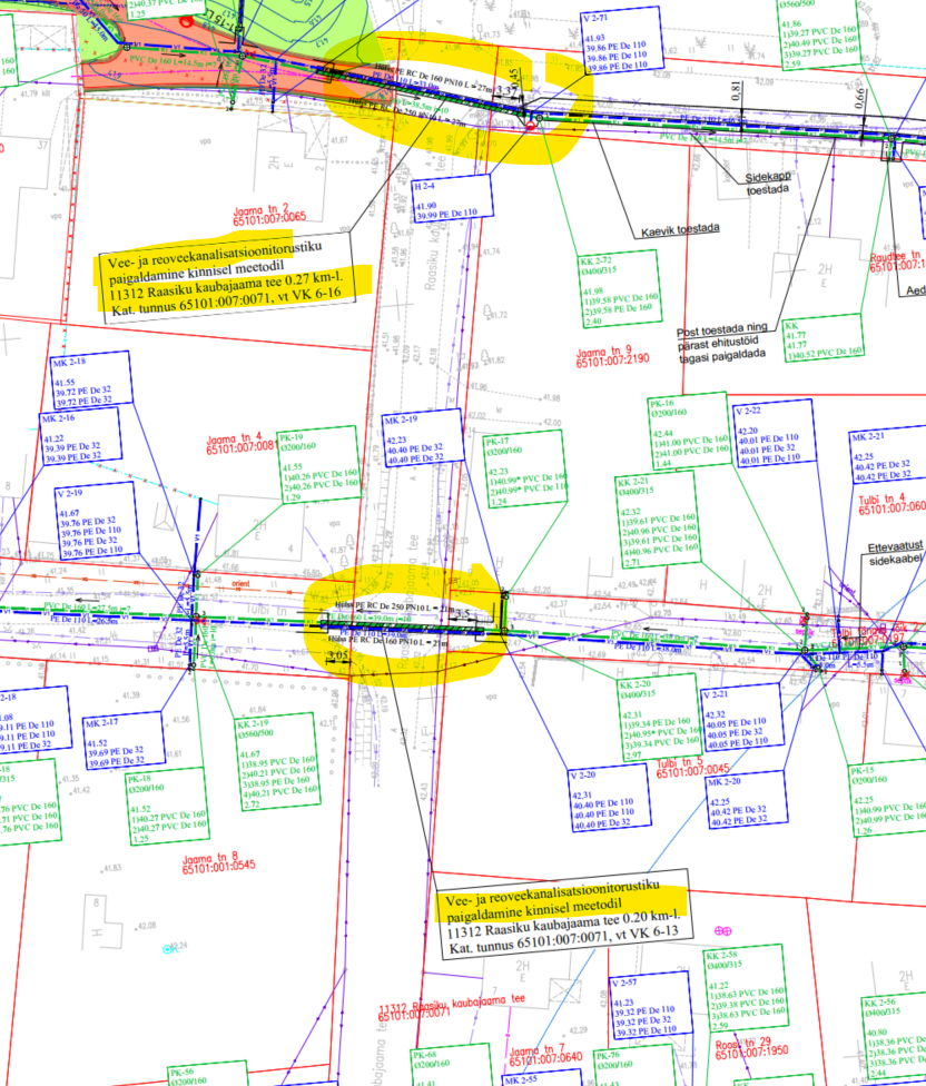
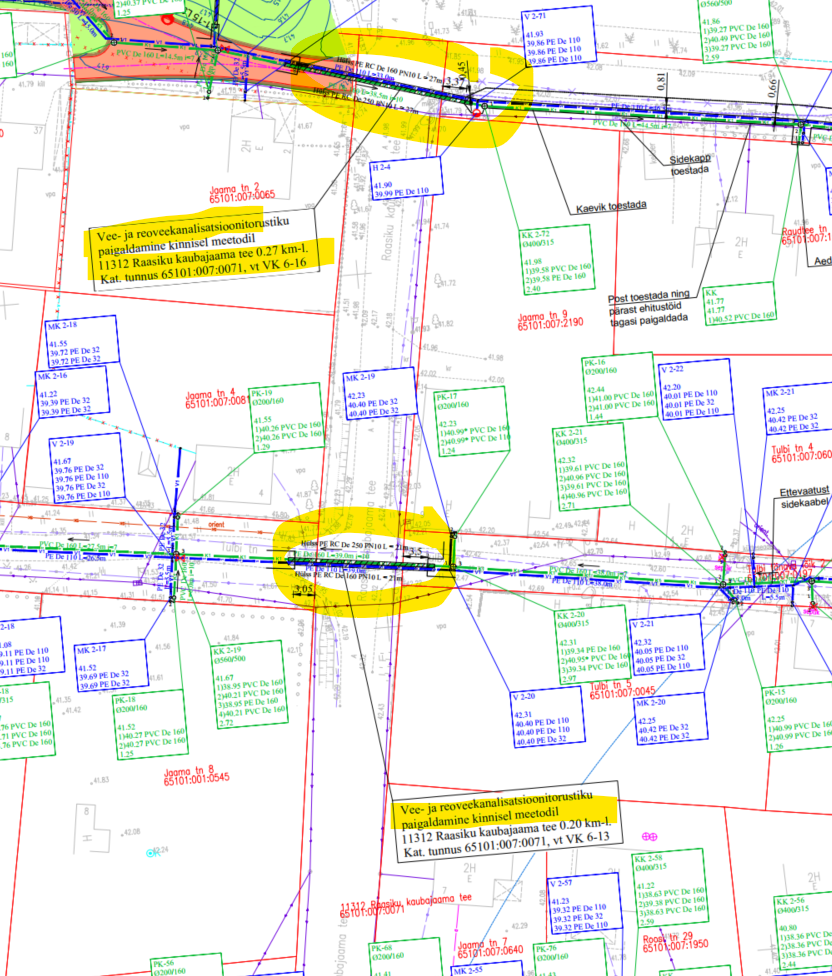
- Palume koostada projekti uus versioon vastavalt rajatud tehnovõrkude paiknemisele/sügavustele (komplektne projekt ning seletuskirjas kajastada, miks tehnovõrgud on rajatud varasemalt kooskõlastatud projektist erinevalt).
- Palume TRAM maaüksusel projekti uue versiooni koostamise aluseks võtta vastava teostusmõõdistuse kontuurid (sh rajatud kaevude/siibrite/maakraanide jne kontuurid) ning vastavalt asendiplaani ning IKÕ plaane korrigeerida. Hetkel tundub, et kohati on ikkagi kontuurid nihkes. Palume kontrollida ning korrigeerida sh ka IKÕ plaane.
Sealhulgas palume TRAM maaüksusel kajastada ka kaevude/siibrite/maakraanide asukohad vastavalt teostusmõõdistusel kajastatule ning vastavalt ka IKÕ plaanidel.
Palume esitada IKÕ plaanid dwg ja pdf kujul.
- Palume koostada ja esitada katete taastamise osa vastavalt planeeritud lahendusele ning kajastada ka asendiplaanil TRAM maaüksustel katete taastamine ja rajamise meetod vastavalt.
Juhime tähelepanu, et antud riigiteega ristumised teostati avatud meetodil ning palume projektis kajastada lahendus, kus on ette nähtud vastavas ulatuses katete taastamine ja meetod.
Lisaks palume esitada katete taastamise osa seletuskiri TRAM maaüksustel.
Transpordiamet on varasemalt kooskõlastanud Raasiku aleviku vee- ja kanalisatsioonitorustike katete taastamise muudatusprojekti EXTech Design OÜ töö nr 24178. Palume lähtuda antud tööst ning esitada ka vastavad osad.
- Palume korrigeerida ka TRAM maaüksuste ristmevälja jooniseid ning pikiprofiili vastavalt (sh kaevikute kontuurid).
- 0672024_TP-VK-6-36_TRAMteekattetaastamine.pdf fail ei ole ilmselt ajakohane, palume korrigeerida.
- Palume IKÕ plaanide tingmärkides/leppemärkides kajastada ka maakraanide ja peakraanide tingmärk. Lisaks palume kajastada TRAM maaüksustel torustike kontuurid ja kaevude, siibrite, maakraanide, peakraanide asukohad IKÕ plaanidel vastavalt teostusmõõdistusele.
Palume edastada korrigeeritud komplektne allkirjastatud projekt, kas minu e-mailile või [email protected].
Parimate soovidega
Laur Kõiv
Peaspetsialist
Tehnovõrkude üksus
Planeerimise osakond
55901417
Teelise 4 / 10916 Tallinn / Transpordiamet
-----Original Message-----
From: Hanno Koha <[email protected]>
Sent: Monday, January 26, 2026 9:42 AM
To: Laur Kõiv <[email protected]>
Subject: Projekti kooskõlastamine
Tere
Tulenevalt muudatusest Raasiku aleviku torustike ehitamisel soovime kooskõlastada tööprojekti uue versiooni transpordiametiga.
Taotlus, milles toodud link pilveteenusele, on kirja manuses.
Lugupidamisega,
--
Hanno Koha
Projekteerija
GSM: +372 58 132 082
Tel: +372 7 330 350
E-post: [email protected]
Keskkond & Partnerid OÜ
Vasara 50
50113 Tartu
--
Hanno Koha
Projekteerija
GSM: +372 58 132 082
Tel: +372 7 330 350
E-post: [email protected]
Keskkond & Partnerid OÜ
Vasara 50
50113 Tartu
www.mahutid.ee
| Nimi | K.p. | Δ | Viit | Tüüp | Org | Osapooled |
|---|---|---|---|---|---|---|
| Vastus Raasiku aleviku vee- ja kanalisatsioonitorustiku projekti muudatus | 10.04.2026 | 3 | 7.1-2/26/1292-5 | Valjaminev kiri | transpordiamet | Keskkond & Partnerid OÜ |
| Raasiku aleviku vee- ja kanalisatsioonitorustiku projekti muudatus | 16.03.2026 | 28 | 7.1-2/26/1292-4 | Sissetulev kiri | transpordiamet | Keskkond & Partnerid OÜ |
| Vastus Raasiku aleviku vee- ja kanalisatsioonitorustiku projekti muudatus | 13.02.2026 | 6 | 7.1-2/26/1292-2 | Valjaminev kiri | transpordiamet | Keskkond & Partnerid OÜ |
| Raasiku aleviku vee- ja kanalisatsioonitorustiku projekti muudatus | 26.01.2026 | 1 | 7.1-2/26/1292-1 | Sissetulev kiri | transpordiamet | Keskkond & Partnerid OÜ |
| Taotlus | 12.09.2025 | 3 | 7.1-3/25/2958-5 | Sissetulev kiri | transpordiamet | Wesico Project OÜ |
| Kiri | 09.05.2025 | 3 | 7.1-3/25/2958-4 | Sissetulev kiri | transpordiamet | Wesico Project OÜ |
| Vastus Raasiku aleviku vee- ja kanalisatsioonitorustiku projekti kooskõlastamine | 02.05.2025 | 3 | 7.1-2/25/181-17 | Valjaminev kiri | transpordiamet | EXTech Design OÜ |
| Raasiku aleviku vee- ja kanalisatsioonitorustiku projekti kooskõlastamine | 30.04.2025 | 1 | 7.1-2/25/181-16 | Sissetulev kiri | transpordiamet | EXTech Design OÜ |
| Kiri | 19.03.2025 | 1 | 7.1-2/25/181-15 | Sissetulev kiri | transpordiamet | Raven OÜ |
| Taotlus | 20.02.2025 | 1 | 7.1-3/25/2958-1 | Sissetulev kiri | transpordiamet | Wesico Project OÜ |
| Notari leping 309 | 12.02.2025 | 1 | 3.2-2/25/218-1 | Maaleping | transpordiamet | |
| Riigivara tasuta kasutamiseks andmine ja kinnisasjade koormamine isikliku kasutusõigusega | 31.01.2025 | 3 | 1.1-3/25/104 | Korraldus | transpordiamet | |
| Raven OÜ taotlus vee- ja survekanalisatsioonitorustiku paigaldamiseks 11310 Aruvalla-Jägala,1 1312 Raasiku-Kaubajaama | 13.01.2025 | 1 | 7.1-5/25/702-1 | Sissetulev kiri | transpordiamet | Raven OÜ |
| Vastus EHR- Raasiku aleviku vee- ja kanalisatsioonitorustiku ehitusloa taotlus, menetlus nr 460361 | 13.01.2025 | 1 | 7.1-2/25/181-14 | Valjaminev kiri | transpordiamet | Raasiku Vallavalitsus |
| EHR- Raasiku aleviku vee- ja kanalisatsioonitorustiku ehitusloa taotlus, menetlus nr 460361 | 09.01.2025 | 1 | 7.1-2/25/181-13 | Sissetulev kiri | transpordiamet | Raasiku Vallavalitsus |
| Raasiku aleviku vee- ja kanalisatsioonitorustiku projekti kooskõlastamine | 09.01.2025 | 1 | 7.1-2/25/181-11 | Sissetulev kiri | transpordiamet | Keskkond & Partnerid OÜ |
| Vastus Raasiku aleviku vee- ja kanalisatsioonitorustiku projekti kooskõlastamine | 09.01.2025 | 1 | 7.1-2/25/181-12 | Valjaminev kiri | transpordiamet | Keskkond & Partnerid OÜ |
| Vastus Raasiku aleviku vee- ja kanalisatsioonitorustiku projekti kooskõlastamine | 08.01.2025 | 1 | 7.1-2/25/181-10 | Valjaminev kiri | transpordiamet | Keskkond & Partnerid OÜ |
| Raasiku aleviku vee- ja kanalisatsioonitorustiku projekti kooskõlastamine | 17.12.2024 | 1 | 7.1-2/24/181-9 | Sissetulev kiri | transpordiamet | Keskkond & Partnerid OÜ |
| Vastus EHR- Raasiku aleviku vee- ja kanalisatsioonitorustiku ehitusloa taotlus, menetlus nr 460361 | 09.12.2024 | 2 | 7.1-2/24/181-8 | Valjaminev kiri | transpordiamet | Raasiku Vallavalitsus |
| Vastus Raasiku aleviku vee- ja kanalisatsioonitorustiku projekti kooskõlastamine | 05.12.2024 | 4 | 7.1-2/24/181-7 | Valjaminev kiri | transpordiamet | Keskkond & Partnerid OÜ |
| EHR- Raasiku aleviku vee- ja kanalisatsioonitorustiku ehitusloa taotlus, menetlus nr 460361 | 15.11.2024 | 3 | 7.1-2/24/181-6 | Sissetulev kiri | transpordiamet | Raasiku Vallavalitsus |
| Raasiku aleviku vee- ja kanalisatsioonitorustiku projekti kooskõlastamine | 07.11.2024 | 4 | 7.1-2/24/181-5 | Sissetulev kiri | transpordiamet | Keskkond & Partnerid OÜ |
| Vastus Raasiku aleviku vee- ja kanalisatsioonitorustiku projekti kooskõlastamine | 17.10.2024 | 4 | 7.1-2/24/181-4 | Valjaminev kiri | transpordiamet | Keskkond & Partnerid OÜ |
| Raasiku aleviku vee- ja kanalisatsioonitorustiku projekti kooskõlastamine | 27.09.2024 | 3 | 7.1-2/24/181-3 | Sissetulev kiri | transpordiamet | Keskkond & Partnerid OÜ |
| Vastus EHR- Harju maakond, Raasiku vald, Raasiku aleviku ÜVK vee- ja kanalisatsioonitorustike projekteerimistingimuste taotlus, menetlus nr 444678 | 29.08.2024 | 4 | 7.1-2/24/13999-2 | Valjaminev kiri | transpordiamet | Raasiku Vallavalitsus |