| Dokumendiregister | Transpordiamet |
| Viit | 7.1-2/26/1292-2 |
| Registreeritud | 13.02.2026 |
| Sünkroonitud | 19.02.2026 |
| Liik | Valjaminev kiri |
| Funktsioon | 7.1 Teetaristuga seotud õiguste andmine |
| Sari | 7.1-2 Väliste isikute ehitiste ja lubade kooskõlastamise dokumendid |
| Toimik | 7.1-2/2026 |
| Juurdepääsupiirang | Avalik |
| Juurdepääsupiirang | |
| Adressaat | Keskkond & Partnerid OÜ |
| Saabumis/saatmisviis | Keskkond & Partnerid OÜ |
| Vastutaja | Laur Kõiv (Users, Teehoiuteenistus, Planeerimise osakond, Tehnovõrkude üksus) |
| Originaal | Ava uues aknas |
From: Laur Kõiv
Sent: Mon, 16 Feb 2026 09:51:02 +0000
To: 'Hanno Koha' <[email protected]>
Subject: RE: Raasiku aleviku vee- ja kanalisatsioonitorustikud
Tere
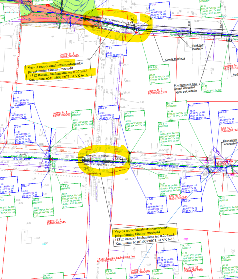
Oleme esitatud materjalid üle vaadanud ning esitame tähelepanekud.
Sealhulgas palume TRAM maaüksusel kajastada ka kaevude/siibrite/maakraanide asukohad vastavalt teostusmõõdistusel kajastatule ning vastavalt ka IKÕ plaanidel.
Palume esitada IKÕ plaanid dwg ja pdf kujul.





Juhime tähelepanu, et antud riigiteega ristumised teostati avatud meetodil ning palume projektis kajastada lahendus, kus on ette nähtud vastavas ulatuses katete taastamine ja meetod.
Lisaks palume esitada katete taastamise osa seletuskiri TRAM maaüksustel.
Transpordiamet on varasemalt kooskõlastanud Raasiku aleviku vee- ja kanalisatsioonitorustike katete taastamise muudatusprojekti EXTech Design OÜ töö nr 24178. Palume lähtuda antud tööst ning esitada ka vastavad osad.




Palume edastada korrigeeritud komplektne allkirjastatud projekt, kas minu e-mailile või [email protected].
Parimate soovidega
Laur Kõiv
Peaspetsialist
Tehnovõrkude üksus
Planeerimise osakond
55901417
Teelise 4 / 10916 Tallinn / Transpordiamet
-----Original Message-----
From: Hanno Koha <[email protected]>
Sent: Monday, January 26, 2026 9:42 AM
To: Laur Kõiv <[email protected]>
Subject: Projekti kooskõlastamine
Tere
Tulenevalt muudatusest Raasiku aleviku torustike ehitamisel soovime kooskõlastada tööprojekti uue versiooni transpordiametiga.
Taotlus, milles toodud link pilveteenusele, on kirja manuses.
Lugupidamisega,
--
Hanno Koha
Projekteerija
GSM: +372 58 132 082
Tel: +372 7 330 350
E-post: [email protected]
Keskkond & Partnerid OÜ
Vasara 50
50113 Tartu
| Nimi | K.p. | Δ | Viit | Tüüp | Org | Osapooled |
|---|---|---|---|---|---|---|
| Vastus Raasiku aleviku vee- ja kanalisatsioonitorustiku projekti muudatus | 10.04.2026 | 3 | 7.1-2/26/1292-5 | Valjaminev kiri | transpordiamet | Keskkond & Partnerid OÜ |
| Raasiku aleviku vee- ja kanalisatsioonitorustiku projekti muudatus | 16.03.2026 | 28 | 7.1-2/26/1292-4 | Sissetulev kiri | transpordiamet | Keskkond & Partnerid OÜ |
| Raasiku aleviku vee- ja kanalisatsioonitorustikud | 18.02.2026 | 1 | 7.1-2/26/1292-3 | Sissetulev kiri | transpordiamet | Keskkond & Partnerid OÜ |
| Raasiku aleviku vee- ja kanalisatsioonitorustiku projekti muudatus | 26.01.2026 | 1 | 7.1-2/26/1292-1 | Sissetulev kiri | transpordiamet | Keskkond & Partnerid OÜ |
| Taotlus | 12.09.2025 | 3 | 7.1-3/25/2958-5 | Sissetulev kiri | transpordiamet | Wesico Project OÜ |
| Kiri | 09.05.2025 | 3 | 7.1-3/25/2958-4 | Sissetulev kiri | transpordiamet | Wesico Project OÜ |
| Vastus Raasiku aleviku vee- ja kanalisatsioonitorustiku projekti kooskõlastamine | 02.05.2025 | 3 | 7.1-2/25/181-17 | Valjaminev kiri | transpordiamet | EXTech Design OÜ |
| Raasiku aleviku vee- ja kanalisatsioonitorustiku projekti kooskõlastamine | 30.04.2025 | 1 | 7.1-2/25/181-16 | Sissetulev kiri | transpordiamet | EXTech Design OÜ |
| Kiri | 19.03.2025 | 1 | 7.1-2/25/181-15 | Sissetulev kiri | transpordiamet | Raven OÜ |
| Taotlus | 20.02.2025 | 1 | 7.1-3/25/2958-1 | Sissetulev kiri | transpordiamet | Wesico Project OÜ |
| Notari leping 309 | 12.02.2025 | 1 | 3.2-2/25/218-1 | Maaleping | transpordiamet | |
| Riigivara tasuta kasutamiseks andmine ja kinnisasjade koormamine isikliku kasutusõigusega | 31.01.2025 | 3 | 1.1-3/25/104 | Korraldus | transpordiamet | |
| Raven OÜ taotlus vee- ja survekanalisatsioonitorustiku paigaldamiseks 11310 Aruvalla-Jägala,1 1312 Raasiku-Kaubajaama | 13.01.2025 | 1 | 7.1-5/25/702-1 | Sissetulev kiri | transpordiamet | Raven OÜ |
| Vastus EHR- Raasiku aleviku vee- ja kanalisatsioonitorustiku ehitusloa taotlus, menetlus nr 460361 | 13.01.2025 | 1 | 7.1-2/25/181-14 | Valjaminev kiri | transpordiamet | Raasiku Vallavalitsus |
| EHR- Raasiku aleviku vee- ja kanalisatsioonitorustiku ehitusloa taotlus, menetlus nr 460361 | 09.01.2025 | 1 | 7.1-2/25/181-13 | Sissetulev kiri | transpordiamet | Raasiku Vallavalitsus |
| Raasiku aleviku vee- ja kanalisatsioonitorustiku projekti kooskõlastamine | 09.01.2025 | 1 | 7.1-2/25/181-11 | Sissetulev kiri | transpordiamet | Keskkond & Partnerid OÜ |
| Vastus Raasiku aleviku vee- ja kanalisatsioonitorustiku projekti kooskõlastamine | 09.01.2025 | 1 | 7.1-2/25/181-12 | Valjaminev kiri | transpordiamet | Keskkond & Partnerid OÜ |
| Vastus Raasiku aleviku vee- ja kanalisatsioonitorustiku projekti kooskõlastamine | 08.01.2025 | 1 | 7.1-2/25/181-10 | Valjaminev kiri | transpordiamet | Keskkond & Partnerid OÜ |
| Raasiku aleviku vee- ja kanalisatsioonitorustiku projekti kooskõlastamine | 17.12.2024 | 1 | 7.1-2/24/181-9 | Sissetulev kiri | transpordiamet | Keskkond & Partnerid OÜ |
| Vastus EHR- Raasiku aleviku vee- ja kanalisatsioonitorustiku ehitusloa taotlus, menetlus nr 460361 | 09.12.2024 | 2 | 7.1-2/24/181-8 | Valjaminev kiri | transpordiamet | Raasiku Vallavalitsus |
| Vastus Raasiku aleviku vee- ja kanalisatsioonitorustiku projekti kooskõlastamine | 05.12.2024 | 4 | 7.1-2/24/181-7 | Valjaminev kiri | transpordiamet | Keskkond & Partnerid OÜ |
| EHR- Raasiku aleviku vee- ja kanalisatsioonitorustiku ehitusloa taotlus, menetlus nr 460361 | 15.11.2024 | 3 | 7.1-2/24/181-6 | Sissetulev kiri | transpordiamet | Raasiku Vallavalitsus |
| Raasiku aleviku vee- ja kanalisatsioonitorustiku projekti kooskõlastamine | 07.11.2024 | 4 | 7.1-2/24/181-5 | Sissetulev kiri | transpordiamet | Keskkond & Partnerid OÜ |
| Vastus Raasiku aleviku vee- ja kanalisatsioonitorustiku projekti kooskõlastamine | 17.10.2024 | 4 | 7.1-2/24/181-4 | Valjaminev kiri | transpordiamet | Keskkond & Partnerid OÜ |
| Raasiku aleviku vee- ja kanalisatsioonitorustiku projekti kooskõlastamine | 27.09.2024 | 3 | 7.1-2/24/181-3 | Sissetulev kiri | transpordiamet | Keskkond & Partnerid OÜ |
| Vastus EHR- Harju maakond, Raasiku vald, Raasiku aleviku ÜVK vee- ja kanalisatsioonitorustike projekteerimistingimuste taotlus, menetlus nr 444678 | 29.08.2024 | 4 | 7.1-2/24/13999-2 | Valjaminev kiri | transpordiamet | Raasiku Vallavalitsus |