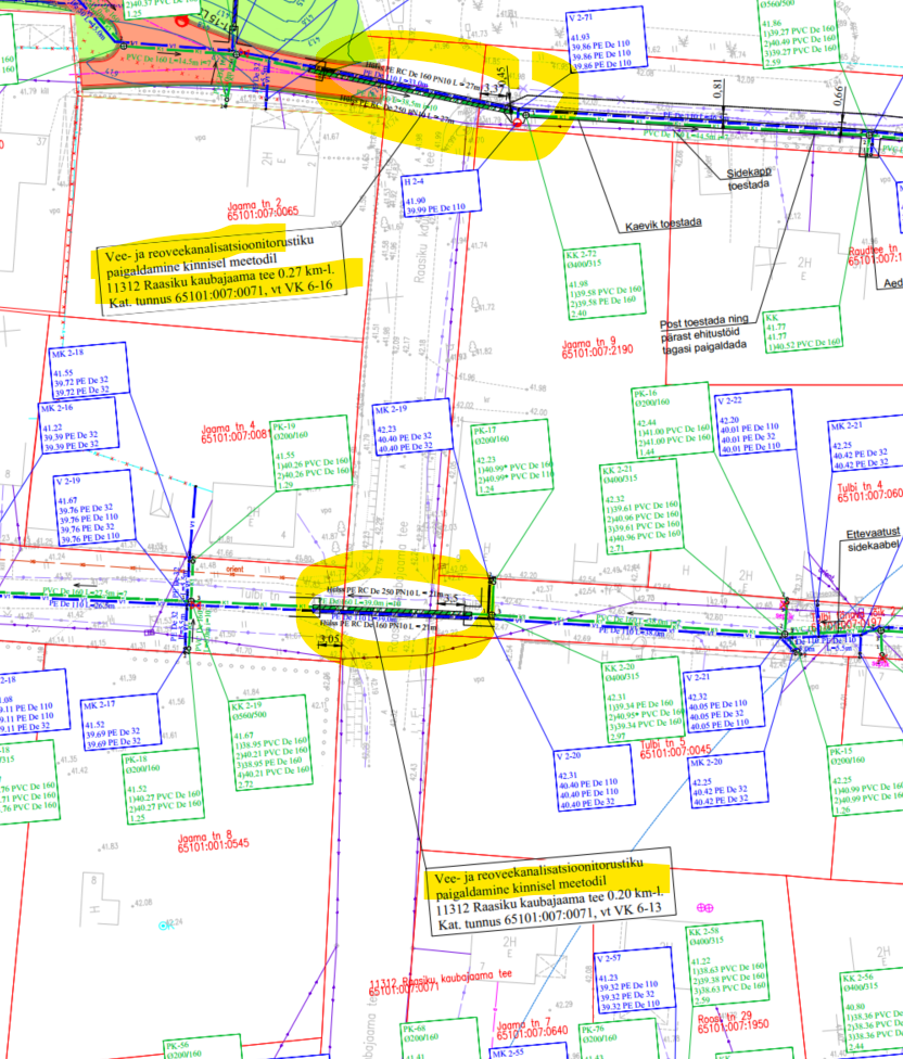
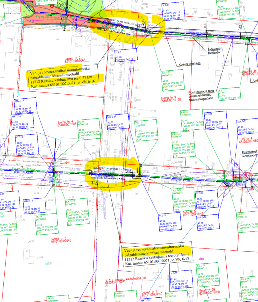
Raasiku aleviku vee- ja kanalisatsioonitorustiku projekti muudatus

Dokumendiregister Transpordiamet
Viit 7.1-2/26/1292-4
Registreeritud 16.03.2026
Sünkroonitud 13.04.2026
Liik Sissetulev kiri
Funktsioon 7.1 Teetaristuga seotud õiguste andmine
Sari 7.1-2 Väliste isikute ehitiste ja lubade kooskõlastamise dokumendid
Toimik 7.1-2/2026
Juurdepääsupiirang Avalik
Juurdepääsupiirang
Adressaat Keskkond & Partnerid OÜ
Saabumis/saatmisviis Keskkond & Partnerid OÜ
Vastutaja Laur Kõiv (Users, Teehoiuteenistus, Planeerimise osakond, Tehnovõrkude üksus)
Originaal Ava uues aknas

Failid

E-kiri.eml
image001.png
image002.png
image003.png
image004.png
image005.jpg
image005.png
image006.jpg
image006.png
image007.jpg
image007.png
image008.png
image009.png
image010.png
image011.png
image012.png
image013.png
image014.png
image015.png
image016.png
image019.png
image020.jpg
image021.jpg
image002.png
image004.png
image005.png
image006.png
image007.png
image008.png
image009.png
image010.png
image011.png
image012.png
image013.png
image014.png
image015.png
image016.png
image019.png

Seosed

Nimi K.p. Δ Viit Tüüp Org Osapooled
Vastus Raasiku aleviku vee- ja kanalisatsioonitorustiku projekti muudatus 10.04.2026 3 7.1-2/26/1292-5 Valjaminev kiri transpordiamet Keskkond & Partnerid OÜ
Raasiku aleviku vee- ja kanalisatsioonitorustikud 18.02.2026 1 7.1-2/26/1292-3 Sissetulev kiri transpordiamet Keskkond & Partnerid OÜ
Vastus Raasiku aleviku vee- ja kanalisatsioonitorustiku projekti muudatus 13.02.2026 6 7.1-2/26/1292-2 Valjaminev kiri transpordiamet Keskkond & Partnerid OÜ
Raasiku aleviku vee- ja kanalisatsioonitorustiku projekti muudatus 26.01.2026 1 7.1-2/26/1292-1 Sissetulev kiri transpordiamet Keskkond & Partnerid OÜ
Taotlus 12.09.2025 3 7.1-3/25/2958-5 Sissetulev kiri transpordiamet Wesico Project OÜ
Kiri 09.05.2025 3 7.1-3/25/2958-4 Sissetulev kiri transpordiamet Wesico Project OÜ
Vastus Raasiku aleviku vee- ja kanalisatsioonitorustiku projekti kooskõlastamine 02.05.2025 3 7.1-2/25/181-17 Valjaminev kiri transpordiamet EXTech Design OÜ
Raasiku aleviku vee- ja kanalisatsioonitorustiku projekti kooskõlastamine 30.04.2025 1 7.1-2/25/181-16 Sissetulev kiri transpordiamet EXTech Design OÜ
Kiri 19.03.2025 1 7.1-2/25/181-15 Sissetulev kiri transpordiamet Raven OÜ
Taotlus 20.02.2025 1 7.1-3/25/2958-1 Sissetulev kiri transpordiamet Wesico Project OÜ
Notari leping 309 12.02.2025 1 3.2-2/25/218-1 Maaleping transpordiamet
Riigivara tasuta kasutamiseks andmine ja kinnisasjade koormamine isikliku kasutusõigusega 31.01.2025 3 1.1-3/25/104 Korraldus transpordiamet
Raven OÜ taotlus vee- ja survekanalisatsioonitorustiku paigaldamiseks 11310 Aruvalla-Jägala,1 1312 Raasiku-Kaubajaama 13.01.2025 1 7.1-5/25/702-1 Sissetulev kiri transpordiamet Raven OÜ
Vastus EHR- Raasiku aleviku vee- ja kanalisatsioonitorustiku ehitusloa taotlus, menetlus nr 460361 13.01.2025 1 7.1-2/25/181-14 Valjaminev kiri transpordiamet Raasiku Vallavalitsus
EHR- Raasiku aleviku vee- ja kanalisatsioonitorustiku ehitusloa taotlus, menetlus nr 460361 09.01.2025 1 7.1-2/25/181-13 Sissetulev kiri transpordiamet Raasiku Vallavalitsus
Raasiku aleviku vee- ja kanalisatsioonitorustiku projekti kooskõlastamine 09.01.2025 1 7.1-2/25/181-11 Sissetulev kiri transpordiamet Keskkond & Partnerid OÜ
Vastus Raasiku aleviku vee- ja kanalisatsioonitorustiku projekti kooskõlastamine 09.01.2025 1 7.1-2/25/181-12 Valjaminev kiri transpordiamet Keskkond & Partnerid OÜ
Vastus Raasiku aleviku vee- ja kanalisatsioonitorustiku projekti kooskõlastamine 08.01.2025 1 7.1-2/25/181-10 Valjaminev kiri transpordiamet Keskkond & Partnerid OÜ
Raasiku aleviku vee- ja kanalisatsioonitorustiku projekti kooskõlastamine 17.12.2024 1 7.1-2/24/181-9 Sissetulev kiri transpordiamet Keskkond & Partnerid OÜ
Vastus EHR- Raasiku aleviku vee- ja kanalisatsioonitorustiku ehitusloa taotlus, menetlus nr 460361 09.12.2024 2 7.1-2/24/181-8 Valjaminev kiri transpordiamet Raasiku Vallavalitsus
Vastus Raasiku aleviku vee- ja kanalisatsioonitorustiku projekti kooskõlastamine 05.12.2024 4 7.1-2/24/181-7 Valjaminev kiri transpordiamet Keskkond & Partnerid OÜ
EHR- Raasiku aleviku vee- ja kanalisatsioonitorustiku ehitusloa taotlus, menetlus nr 460361 15.11.2024 3 7.1-2/24/181-6 Sissetulev kiri transpordiamet Raasiku Vallavalitsus
Raasiku aleviku vee- ja kanalisatsioonitorustiku projekti kooskõlastamine 07.11.2024 4 7.1-2/24/181-5 Sissetulev kiri transpordiamet Keskkond & Partnerid OÜ
Vastus Raasiku aleviku vee- ja kanalisatsioonitorustiku projekti kooskõlastamine 17.10.2024 4 7.1-2/24/181-4 Valjaminev kiri transpordiamet Keskkond & Partnerid OÜ
Raasiku aleviku vee- ja kanalisatsioonitorustiku projekti kooskõlastamine 27.09.2024 3 7.1-2/24/181-3 Sissetulev kiri transpordiamet Keskkond & Partnerid OÜ
Vastus EHR- Harju maakond, Raasiku vald, Raasiku aleviku ÜVK vee- ja kanalisatsioonitorustike projekteerimistingimuste taotlus, menetlus nr 444678 29.08.2024 4 7.1-2/24/13999-2 Valjaminev kiri transpordiamet Raasiku Vallavalitsus